Benvenuto Ospite

Forum Entomologi Italiani

www.entomologiitaliani.net/forum
 
Oggi è 11/04/2026, 18:57

Tutti gli orari sono UTC + 1 ora [ ora legale ]

 Forum   Argomenti   Messaggi   Ultimo messaggio 
Nessun messaggio da leggere
Filtro località
Vespidae indeterminati

99

450

12/02/2026, 15:48

marsal Vedi ultimo messaggio




93% 
511 taxa correttamente determinati su 551 presenti in archivio

Vespidae


[ AFROTROPICALE ] [ ANTARTICO ] [ AUSTRALASIANO ] [ NEARTICO ] [ NEOTROPICALE ] [ ORIENTALE ] [ PALEARTICO ]


nuovo argomento
Vai alla pagina Precedente  1 ... 7, 8, 9, 10, 11, 12, 13 ... 20  Prossimo
Pagina 10 di 20 [ 973 argomenti ]
 Argomenti   Ordine   Autore   Risposte   Visite    Ultimo messaggio 
Annunci
Nessun messaggio da leggere
Allegato(i)
Incontri entomologici della Società Entomologica Italiana 2025-2026
 

Velvet Ant

0

45384

17/11/2025, 19:41

Velvet Ant Vedi ultimo messaggio

Nessun messaggio da leggere
Allegato(i)
Incontri entomologici telematici organizzati dalla Società Entomologica Italiana nel 2022 e nel 2023

[ Vai alla paginaVai alla pagina: 1, 2, 3 ]

 

Velvet Ant

44

1990211

03/03/2023, 15:55

Velvet Ant Vedi ultimo messaggio

Nessun messaggio da leggere  
Allegato(i)
Sondaggio sul declino dell'entomofauna in Italia

[ Vai alla paginaVai alla pagina: 1, 2, 3, 4 ]

 

Velvet Ant

52

2660434

22/10/2022, 19:18

Acquarius Vedi ultimo messaggio

Nessun messaggio da leggere  
Allegato(i)
Progetto: Bibliografia ragionata dei lavori entomologici nei quali sono citati reperti apparsi su FEI

[ Vai alla paginaVai alla pagina: 1, 2, 3 ]

 

Velvet Ant

33

1596917

06/07/2023, 18:31

Orotrechus Vedi ultimo messaggio

Nessun messaggio da leggere
Allegato(i)
Mimesi, il primo documentario cinematografico sull’entomologia in Italia: casting
 

mazzeip

1

1133822

28/02/2019, 20:26

mazzeip Vedi ultimo messaggio

Questo argomento è bloccato, non puoi modificare o inviare ulteriori messaggi.
Allegato(i)
ISTRUZIONI PUBBLICAZIONE NUOVI ARGOMENTI E FOTO

 
Altri Ordini di Insetti

Julodis

4

2949537

13/05/2015, 19:37

Julodis Vedi ultimo messaggio

Nessun messaggio da leggere
Allegato(i)
Limitatore giornaliero di messaggi, uno strumento utile e ormai indispensabile

[ Vai alla paginaVai alla pagina: 1 ... 14, 15, 16 ]

 

Velvet Ant

233

13706482

25/09/2014, 14:31

Inachis Vedi ultimo messaggio

Nessun messaggio da leggere  
NORME PER I COLLABORATORI DEL FORUM

 
 

Velvet Ant

0

667093

02/06/2011, 12:05

Velvet Ant Vedi ultimo messaggio

Nessun messaggio da leggere
Allegato(i)
NORME PER GLI UTENTI DEL FORUM

[ Vai alla paginaVai alla pagina: 1, 2, 3 ]



 
 

Velvet Ant

30

3709817

23/09/2014, 23:54

Maurizio Bollino Vedi ultimo messaggio

Nessun messaggio da leggere  
Lista degli utenti del "Forum entomologi italiani" per campi di interesse e specializzazione

 
Altri Ordini di Insetti

Velvet Ant

13

1117805

07/09/2023, 17:14

Roberto-07 Vedi ultimo messaggio

Argomenti
Nessun messaggio da leggere
Allegato(i)
Ropalidia principalis Kojima, 2001 - Vespidae Polistinae Ropalidiini
Vespidae


12.VII.2013 - PAPUA NUOVA GUINEA - EE
Hymenoptera

Andricus

0

872

29/04/2016, 16:27

Andricus Vedi ultimo messaggio

Nessun messaggio da leggere
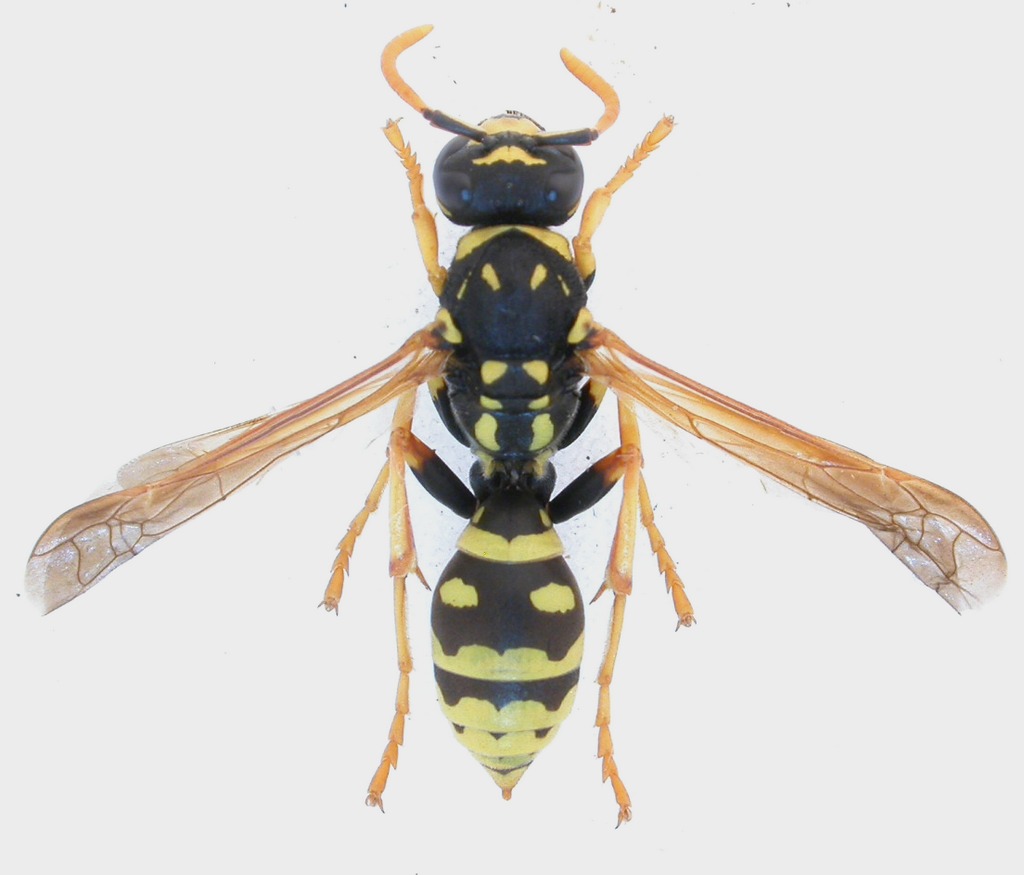
Vespula germanica (Fabricius, 1793) - Vespidae
28.IV.2016 - ITALIA - Lombardia - MI
Allegato(i) Dettagli della specie
Vespula germanica (Fabricius, 1793)
Vespidae


28.IV.2016 - ITALIA - Lombardia - MI
Hymenoptera

TheWings

2

1195

28/04/2016, 18:51

TheWings Vedi ultimo messaggio

Nessun messaggio da leggere
Allegato(i) Dettagli della specie
Polistes (Polistes) dominula (Christ, 1791)
Vespidae


25.III.2016 - GRECIA - EE
Hymenoptera

ruzzpa

3

1178

28/04/2016, 16:41

Andricus Vedi ultimo messaggio

Nessun messaggio da leggere
Allegato(i)
Antepipona scutellaris Giordani Soika, 1985 - Vespidae Eumeninae Odynerini
Vespidae


9.I.2010 - SUD AFRICA - EE
Hymenoptera

Andricus

0

822

28/04/2016, 16:27

Andricus Vedi ultimo messaggio

Nessun messaggio da leggere
Antepipona senegalensis (de Saussure, 1853) - Vespidae Eumeninae Odynerini
15.VII.2011 - REPUBBLICA CENTRAFRICANA - EE
Allegato(i)
Antepipona senegalensis (de Saussure, 1853) - Vespidae Eumeninae Odynerini
Vespidae


15.VII.2011 - REPUBBLICA CENTRAFRICANA - EE
Hymenoptera

Andricus

0

798

28/04/2016, 16:27

Andricus Vedi ultimo messaggio

Nessun messaggio da leggere
Afreumenes erythrosoma (Giordani Soika, 1940) - Vespidae Eumeninae Eumenini
15.XII.2014 - TANZANIA, REPUBBLICA UNITA DI - EE
Allegato(i)
Afreumenes erythrosoma (Giordani Soika, 1940) - Vespidae Eumeninae Eumenini
Vespidae


15.XII.2014 - TANZANIA, REPUBBLICA UNITA DI - EE
Hymenoptera

Andricus

1

1256

28/04/2016, 9:56

Sybilla Vedi ultimo messaggio

Nessun messaggio da leggere
Allegato(i)
Afreumenes melanosoma melanosoma (Saussure, 1852) - Vespidae Eumeninae Eumenini
Vespidae


28.IV.2010 - REPUBBLICA CENTRAFRICANA - EE
Hymenoptera

Andricus

0

1090

27/04/2016, 16:27

Andricus Vedi ultimo messaggio

Nessun messaggio da leggere
Allegato(i)
Tricarinodynerus guerinii (de Saussure, 1853) - Vespidae Eumeninae Odynerini
Vespidae


23.I.2015 - NAMIBIA - EE
Hymenoptera

Andricus

0

933

25/04/2016, 21:47

Andricus Vedi ultimo messaggio

Nessun messaggio da leggere
Ropalidia unidentata Giordani Soika, 1981 - Vespidae Polistinae Ropalidiini
2.XII.2014 - TANZANIA, REPUBBLICA UNITA DI - EE
Allegato(i)
Ropalidia unidentata Giordani Soika, 1981 - Vespidae Polistinae Ropalidiini
Vespidae


2.XII.2014 - TANZANIA, REPUBBLICA UNITA DI - EE
Hymenoptera

Andricus

0

864

23/04/2016, 18:57

Andricus Vedi ultimo messaggio

Nessun messaggio da leggere
Ropalidia nobilis (Gerstaecker, 1857) - Vespidae Polistinae Ropalidiini
2.XII.2014 - TANZANIA, REPUBBLICA UNITA DI - EE
Allegato(i)
Ropalidia nobilis (Gerstaecker, 1857) - Vespidae Polistinae Ropalidiini
Vespidae


2.XII.2014 - TANZANIA, REPUBBLICA UNITA DI - EE
Hymenoptera

Andricus

0

797

23/04/2016, 18:44

Andricus Vedi ultimo messaggio

Nessun messaggio da leggere
Paramischocyttarus buyssoni Gribodo, 1896 - Vespidae Zethinae
29.VI.2011 - REPUBBLICA CENTRAFRICANA - EE
Allegato(i)
Paramischocyttarus buyssoni Gribodo, 1896 - Vespidae Zethinae
Vespidae


29.VI.2011 - REPUBBLICA CENTRAFRICANA - EE
Hymenoptera

Andricus

0

686

22/04/2016, 15:33

Andricus Vedi ultimo messaggio

Nessun messaggio da leggere
Allegato(i)
Pareumenes (Pareumenes) sansibaricus laetefasciatus Giordani Soika, 1944 - Vespidae Eumeninae Odynerini
Vespidae


V.2015 - ETIOPIA - EE
Hymenoptera

Andricus

0

746

22/04/2016, 15:03

Andricus Vedi ultimo messaggio

Nessun messaggio da leggere
Allegato(i)
Pseumenes polillensis (Giordani Soika, 1941) - Vespidae Eumeninae Odynerini
Vespidae


X.2015 - FILIPPINE - EE
Hymenoptera

Andricus

4

933

07/03/2016, 16:02

Andricus Vedi ultimo messaggio

Nessun messaggio da leggere
Allegato(i)
Rhynchium atrum atrum (de Saussure, 1852) - Vespidae Eumeninae Odynerini
Vespidae


X.2015 - FILIPPINE - EE
Hymenoptera

Andricus

0

963

05/03/2016, 22:02

Andricus Vedi ultimo messaggio

Nessun messaggio da leggere
Allegato(i)
Agelaia angulata (Fabricius, 1804) - Vespidae Polistinae Epiponini
Vespidae


IV.2008 - PERU - EE
Hymenoptera

Andricus

0

893

19/02/2016, 22:02

Andricus Vedi ultimo messaggio

Nessun messaggio da leggere
Allegato(i)
Agelaia testacea (Fabricius, 1804) - Vespidae Polistinae Epiponini
Vespidae


IV.2008 - PERU - EE
Hymenoptera

Andricus

0

834

19/02/2016, 22:02

Andricus Vedi ultimo messaggio

Nessun messaggio da leggere
Allegato(i)
Eustenogaster hauxwellii (Bingham, 1894) - Vespidae Stenogastrinae
Vespidae


17.XII.2010 - THAILANDIA - EE
Hymenoptera

Andricus

0

699

19/02/2016, 13:35

Andricus Vedi ultimo messaggio

Nessun messaggio da leggere
Allegato(i)
Polybioides raphigastra (Saussure, 1854) - Vespidae Polistinae Ropalidiini
Vespidae


19.XI.2015 - INDONESIA - OVEST - EE
Hymenoptera

Andricus

0

604

18/02/2016, 22:02

Andricus Vedi ultimo messaggio

Nessun messaggio da leggere
Allegato(i)
Liostenogaster campanulae Turillazzi, 1999 - Vespidae Stenogastrinae
Vespidae


II.2010 - THAILANDIA - EE
Hymenoptera

Andricus

0

545

17/02/2016, 16:57

Andricus Vedi ultimo messaggio

Nessun messaggio da leggere
Allegato(i)
Synoeca surinama (Linnaeus, 1767) - Vespidae Polistinae Epiponini
Vespidae


IV.2008 - PERU - EE
Hymenoptera

Andricus

0

690

17/02/2016, 16:50

Andricus Vedi ultimo messaggio

Nessun messaggio da leggere
Allegato(i)
Delta dimidiatipenne Saussure, 1855 - Vespidae Eumeninae Eumenini
Vespidae


29.I.2016 - SPAGNA - EE
Hymenoptera

Chalybion

2

876

12/02/2016, 21:00

Chalybion Vedi ultimo messaggio

Nessun messaggio da leggere
Allegato(i)
Polistes (Aphanilopterus) buyssoni Brèthes, 1909 - Vespidae Polistinae Polistini
Vespidae


10.XI.2015 - ARGENTINA - EE
Hymenoptera

Andricus

0

702

12/02/2016, 18:53

Andricus Vedi ultimo messaggio

Nessun messaggio da leggere
Allegato(i)
Protodiscoelius merula (Haliday, 1836) - Vespidae Zethinae
Vespidae


18.XII.2014 - CILE - EE
Hymenoptera

Andricus

0

737

12/02/2016, 18:15

Andricus Vedi ultimo messaggio

Nessun messaggio da leggere
Allegato(i)
Polybia (Apopolybia) jurinei de Saussure, 1854 - Vespidae Polistinae Epiponini
Vespidae


28.V.2015 - BOLIVIA - EE
Hymenoptera

Andricus

0

933

11/02/2016, 18:17

Andricus Vedi ultimo messaggio

Nessun messaggio da leggere
Allegato(i)
Hypodynerus colocolo (de Saussure, 1851) - Vespidae Eumeninae Odynerini
Vespidae


6.I.2014 - CILE - EE
Hymenoptera

Andricus

0

987

11/02/2016, 17:58

Andricus Vedi ultimo messaggio

Nessun messaggio da leggere
Allegato(i) Dettagli della specie
Celonites (Celonites) abbreviatus (Villers, 1789)
Vespidae


27.VI.2012 - ALBANIA - EE
Hymenoptera

ivo

2

1465

10/02/2016, 20:02

ivo Vedi ultimo messaggio

Nessun messaggio da leggere
Allegato(i)
Celonites (Eucelonites) hellenicus Gusenleitner, 1997 - Vespidae Masarinae Masarini Masarina
Vespidae


15.VII.2014 - GRECIA - EE
Hymenoptera

Velvet Ant

9

2895

10/02/2016, 17:59

ivo Vedi ultimo messaggio

Nessun messaggio da leggere
Apodynerus troglodytes (Saussure, 1856) - Vespidae Eumeninae Odynerini
VI.2014 - POPOLARE DEL LAOS, REPUBBLICA - EE
Allegato(i)
Apodynerus troglodytes (Saussure, 1856) - Vespidae Eumeninae Odynerini
Vespidae


VI.2014 - POPOLARE DEL LAOS, REPUBBLICA - EE
Hymenoptera

Andricus

0

1144

29/01/2016, 15:35

Andricus Vedi ultimo messaggio

Nessun messaggio da leggere
Allegato(i)
Anterhynchium (Epiodynerus) fulvipenne fulvipenne (Smith, 1859) - Vespidae Eumeninae Odynerini
Vespidae


VII.2013 - INDONESIA - EST - EE
Hymenoptera

Andricus

0

824

28/01/2016, 14:32

Andricus Vedi ultimo messaggio

Nessun messaggio da leggere
Allegato(i)
Subancistrocerus reflexus Giordani Soika, 1994 - Vespidae Eumeninae Odynerini
Vespidae


VI.2014 - POPOLARE DEL LAOS, REPUBBLICA - EE
Hymenoptera

Andricus

0

659

28/01/2016, 14:32

Andricus Vedi ultimo messaggio

Nessun messaggio da leggere
Allegato(i)
Vespa analis Fabricius, 1775 - Vespidae Vespinae
Vespidae


IX.2014 - VIETNAM - EE
Hymenoptera

Andricus

0

1215

27/01/2016, 14:32

Andricus Vedi ultimo messaggio

Nessun messaggio da leggere
Odynerus (Odynerus) cruralis Saussure, 1856 - Vespidae
3.VII.2013 - FEDERAZIONE RUSSA - EE
Allegato(i) Dettagli della specie
Odynerus (Odynerus) cruralis Saussure, 1856
Vespidae


3.VII.2013 - FEDERAZIONE RUSSA - EE
Hymenoptera

Andricus

0

966

26/01/2016, 17:01

Andricus Vedi ultimo messaggio

Nessun messaggio da leggere
Allegato(i)
Vespa binghami du Buysson, 1905 - Vespidae Vespinae
Vespidae


V.2015 - VIETNAM - EE
Hymenoptera

Andricus

0

949

26/01/2016, 15:35

Andricus Vedi ultimo messaggio

Nessun messaggio da leggere
Eumenes (Eumenes) inconspicuus Smith, 1858 - Vespida Eumeninae Eumenini
VI.2014 - POPOLARE DEL LAOS, REPUBBLICA - EE
Allegato(i)
Eumenes (Eumenes) inconspicuus Smith, 1858 - Vespida Eumeninae Eumenini
Vespidae


VI.2014 - POPOLARE DEL LAOS, REPUBBLICA - EE
Hymenoptera

Andricus

0

712

26/01/2016, 14:32

Andricus Vedi ultimo messaggio

Nessun messaggio da leggere
Allegato(i) Dettagli della specie
Eumenes (Eumenes) coronatus coronatus (Panzer, 1799)
Vespidae


30.VIII.2011 - ITALIA - Lazio - RM
Hymenoptera

Julodis

5

1300

25/01/2016, 14:22

Andricus Vedi ultimo messaggio

Nessun messaggio da leggere
Allegato(i)
Euodynerus (Pareuodynerus) koenigsmanni Giordani Soika, 1972 - Vespidae Eumeninae Odynerini
Vespidae


4.IV.2013 - THAILANDIA - EE
Hymenoptera

Andricus

3

1377

07/01/2016, 15:02

Julodis Vedi ultimo messaggio

Nessun messaggio da leggere
Allegato(i)
Labus amoenus van der Vecht, 1935 - Vespidae Eumeninae Odynerini
Vespidae


4.IV.2013 - THAILANDIA - EE
Hymenoptera

Andricus

0

974

07/01/2016, 1:25

Andricus Vedi ultimo messaggio

Nessun messaggio da leggere
Odynerus (Odynerus) spinipes (Linnaeus, 1758) - Vespidae
13.VI.2007 - ITALIA - Emilia-Romagna - FC
Allegato(i) Dettagli della specie
Odynerus (Odynerus) spinipes (Linnaeus, 1758)
Vespidae


13.VI.2007 - ITALIA - Emilia-Romagna - FC
Hymenoptera

Chalybion

6

1760

29/12/2015, 19:06

Chalybion Vedi ultimo messaggio

Nessun messaggio da leggere
Allegato(i) Dettagli della specie
Polistes (Polistes) gallicus (Linnaeus, 1767)
Vespidae


5.III.2015 - MALTA - EE
Hymenoptera

Fumea crassiorella

7

1791

27/12/2015, 2:29

Fumea crassiorella Vedi ultimo messaggio

Nessun messaggio da leggere
Allegato(i)
Parapolybia flava Saito, Nguyen & Kojima, 2015 - Vespidae Polistinae Ropalidiini
Vespidae


V.2015 - VIETNAM - EE
Hymenoptera

Andricus

0

902

23/12/2015, 19:51

Andricus Vedi ultimo messaggio

Nessun messaggio da leggere
Odynerus (Odynerus) femoratus Saussure, 1856 - Vespidae
23.VI.2009 - ITALIA - Lazio - RM
Allegato(i) Dettagli della specie
Odynerus (Odynerus) femoratus Saussure, 1856
Vespidae


23.VI.2009 - ITALIA - Lazio - RM
Hymenoptera

Andricus

0

828

22/12/2015, 21:18

Andricus Vedi ultimo messaggio

Nessun messaggio da leggere
Allegato(i) Dettagli della specie
Syneuodynerus egregius egregius (Herrich-Schaeffer, 1839)
Vespidae


12.VII.2013 - ITALIA - Abruzzo - PE
Hymenoptera

Andricus

0

852

22/12/2015, 20:48

Andricus Vedi ultimo messaggio

Nessun messaggio da leggere
Allegato(i)
Orancistrocerus aterrimus (Saussure, 1852) - Vespidae Eumeninae Odynerini
Vespidae


VII.2015 - VIETNAM - EE
Hymenoptera

Andricus

0

698

22/12/2015, 20:09

Andricus Vedi ultimo messaggio

Nessun messaggio da leggere
Ropalidia rufocollaris (Cameron, 1900) - Vespidae Polistinae Ropalidiini
VI.2014 - POPOLARE DEL LAOS, REPUBBLICA - EE
Allegato(i)
Ropalidia rufocollaris (Cameron, 1900) - Vespidae Polistinae Ropalidiini
Vespidae


VI.2014 - POPOLARE DEL LAOS, REPUBBLICA - EE
Hymenoptera

Andricus

0

862

22/12/2015, 19:51

Andricus Vedi ultimo messaggio

Nessun messaggio da leggere
Allegato(i)
Antodynerus bellatulus bellatulus (Saussure, 1853) - Vespidae Eumeninae Odynerini
Vespidae


10.VII.1975 - COSTA D'AVORIO - EE
Hymenoptera

Andricus

0

1139

20/12/2015, 23:26

Andricus Vedi ultimo messaggio

Nessun messaggio da leggere
Antodynerus alboniger (Bequaert, 1918) - Vespidae Eumeninae Odynerini
1937 - CONGO, REPUBBLICA DEMOCRATICA DEL - EE
Allegato(i)
Antodynerus alboniger (Bequaert, 1918) - Vespidae Eumeninae Odynerini
Vespidae


1937 - CONGO, REPUBBLICA DEMOCRATICA DEL - EE
Hymenoptera

Andricus

0

962

20/12/2015, 23:14

Andricus Vedi ultimo messaggio

Nessun messaggio da leggere
Allegato(i)
Delta lepeletierii (de Saussure, 1852) - Vespidae Eumeninae Eumenini
Vespidae


11.V.2000 - KENYA - EE
Hymenoptera

Andricus

0

792

18/12/2015, 23:58

Andricus Vedi ultimo messaggio

Nessun messaggio da leggere
Allegato(i) Dettagli della specie
Polistes (Polistes) dominula (Christ, 1791)
Vespidae


9.III.2015 - MALTA - EE
Hymenoptera

Fumea crassiorella

2

1126

16/12/2015, 20:15

Fumea crassiorella Vedi ultimo messaggio

Nessun messaggio da leggere
Allegato(i) Dettagli della specie
Vespula germanica (Fabricius, 1793)
Vespidae


9.III.2015 - MALTA - EE
Hymenoptera

Fumea crassiorella

2

1266

15/12/2015, 17:59

Fumea crassiorella Vedi ultimo messaggio

Nessun messaggio da leggere
Euodynerus (Pareuodynerus) notatus (Jurine, 1807) - Vespidae
17.VII.1988 - ITALIA - Trentino-Alto Adige - BZ
Allegato(i) Dettagli della specie
Euodynerus (Pareuodynerus) notatus (Jurine, 1807)
Vespidae


17.VII.1988 - ITALIA - Trentino-Alto Adige - BZ
Hymenoptera

Andricus

0

930

14/12/2015, 15:50

Andricus Vedi ultimo messaggio

Visualizza ultimi argomenti:  Ordina per  Ordine:  
nuovo argomento
Vai alla pagina Precedente  1 ... 7, 8, 9, 10, 11, 12, 13 ... 20  Prossimo
Pagina 10 di 20 [ 973 argomenti ]

Tutti gli orari sono UTC + 1 ora [ ora legale ]


Chi c’è in linea

Visitano il forum: Nessuno e 7 ospiti


Legenda
Messaggi da leggere Messaggi da leggere Nessun messaggio da leggere Nessun messaggio da leggere Annuncio Annuncio
 
Specie indeterminata / discussione generica
Messaggi non letti [ Popolari ] Messaggi non letti [ Popolari ] Nessun messaggio da leggere [ Popolare ] Nessun messaggio da leggere [ Popolare ] Importante Importante
 
Specie determinata fino al genere o cf.
Messaggi non letti [ Bloccati ] Messaggi non letti [ Bloccati ] No messaggi non letti [ Bloccati ] No messaggi non letti [ Bloccati ] Argomento spostato Argomento spostato
 
Specie correttamente determinata
Permessi
Non puoi aprire nuovi argomenti
Non puoi rispondere negli argomenti
Non puoi modificare i tuoi messaggi
Non puoi cancellare i tuoi messaggi
Non puoi inviare allegati

Cerca per:
Vai a: