Benvenuto Ospite

Forum Entomologi Italiani

www.entomologiitaliani.net/forum
 
Oggi è 30/11/2025, 23:44

Tutti gli orari sono UTC + 1 ora [ ora legale ]

 Forum   Argomenti   Messaggi   Ultimo messaggio 
Nessun messaggio da leggere
Filtro località
Carabidae indeterminati

906

4124

10/09/2025, 12:26

pietro lo cascio Vedi ultimo messaggio




 
nessun taxon determinato correttamente in questo archivio

Carabidae


[ AFROTROPICALE ] [ ANTARTICO ] [ AUSTRALASIANO ] [ NEARTICO ] [ NEOTROPICALE ] [ ORIENTALE ] [ PALEARTICO ]


nuovo argomento
Vai alla pagina Precedente  1 ... 8, 9, 10, 11, 12, 13, 14 ... 79  Prossimo
Pagina 11 di 79 [ 3927 argomenti ]
 Argomenti   Ordine   Autore   Risposte   Visite    Ultimo messaggio 
Annunci
Nessun messaggio da leggere
Allegato(i)
Incontri entomologici della Società Entomologica Italiana 2025-2026
 

Velvet Ant

0

8294

17/11/2025, 19:41

Velvet Ant Vedi ultimo messaggio

Nessun messaggio da leggere
Allegato(i)
Incontri entomologici telematici organizzati dalla Società Entomologica Italiana nel 2022 e nel 2023

[ Vai alla paginaVai alla pagina: 1, 2, 3 ]

 

Velvet Ant

44

1558148

03/03/2023, 15:55

Velvet Ant Vedi ultimo messaggio

Nessun messaggio da leggere  
Allegato(i)
Sondaggio sul declino dell'entomofauna in Italia

[ Vai alla paginaVai alla pagina: 1, 2, 3, 4 ]

 

Velvet Ant

52

2033668

22/10/2022, 19:18

Acquarius Vedi ultimo messaggio

Nessun messaggio da leggere  
Allegato(i)
Progetto: Bibliografia ragionata dei lavori entomologici nei quali sono citati reperti apparsi su FEI

[ Vai alla paginaVai alla pagina: 1, 2, 3 ]

 

Velvet Ant

33

1266390

06/07/2023, 18:31

Orotrechus Vedi ultimo messaggio

Nessun messaggio da leggere
Allegato(i)
Mimesi, il primo documentario cinematografico sull’entomologia in Italia: casting
 

mazzeip

1

857622

28/02/2019, 20:26

mazzeip Vedi ultimo messaggio

Questo argomento è bloccato, non puoi modificare o inviare ulteriori messaggi.
Allegato(i)
ISTRUZIONI PUBBLICAZIONE NUOVI ARGOMENTI E FOTO

 
Altri Ordini di Insetti

Julodis

4

2200887

13/05/2015, 19:37

Julodis Vedi ultimo messaggio

Nessun messaggio da leggere
Allegato(i)
Limitatore giornaliero di messaggi, uno strumento utile e ormai indispensabile

[ Vai alla paginaVai alla pagina: 1 ... 14, 15, 16 ]

 

Velvet Ant

233

11500224

25/09/2014, 14:31

Inachis Vedi ultimo messaggio

Nessun messaggio da leggere  
NORME PER I COLLABORATORI DEL FORUM

 
 

Velvet Ant

0

568379

02/06/2011, 12:05

Velvet Ant Vedi ultimo messaggio

Nessun messaggio da leggere
Allegato(i)
NORME PER GLI UTENTI DEL FORUM

[ Vai alla paginaVai alla pagina: 1, 2, 3 ]



 
 

Velvet Ant

30

3069785

23/09/2014, 23:54

Maurizio Bollino Vedi ultimo messaggio

Nessun messaggio da leggere  
Lista degli utenti del "Forum entomologi italiani" per campi di interesse e specializzazione

 
Altri Ordini di Insetti

Velvet Ant

13

979503

07/09/2023, 17:14

Roberto-07 Vedi ultimo messaggio

Argomenti
Nessun messaggio da leggere
Paranchus albipes (Fabricius, 1796) - Carabidae
20.II.2019 - ITALIA - Toscana - MS
Allegato(i)
Paranchus albipes (Fabricius, 1796) - Carabidae

20.II.2019 - ITALIA - Toscana - MS
Coleoptera

Francesco92

6

1386

01/03/2019, 16:59

Francesco92 Vedi ultimo messaggio

Nessun messaggio da leggere
Ocydromus (Ocydromus) decorus (Panzer, 1799) - Carabidae
27.II.2019 - ITALIA - Campania - SA
Allegato(i)
Ocydromus (Ocydromus) decorus (Panzer, 1799) - Carabidae

27.II.2019 - ITALIA - Campania - SA
Coleoptera

Mattia D'Amato

4

773

27/02/2019, 23:10

Mattia D'Amato Vedi ultimo messaggio

Nessun messaggio da leggere
Allegato(i)
Ophonus (Metophonus) rupicola (Sturm, 1818) (cf.) - Carabidae

VII.2018 - ITALIA - Marche - AN
Coleoptera

StagBeetle

6

941

08/02/2019, 0:55

Andrea Pergine Vedi ultimo messaggio

Nessun messaggio da leggere
Allegato(i)
Philorhizus crucifer crucifer (Lucas, 1846) (cf.) - Carabidae

13.X.2018 - ITALIA - Marche - PU
Coleoptera

StagBeetle

0

578

29/01/2019, 23:09

StagBeetle Vedi ultimo messaggio

Nessun messaggio da leggere
Carabus (Archicarabus) rossii Dejean, 1826 - Carabidae
17.I.2018 - ITALIA - Emilia-Romagna - BO
Allegato(i)
Carabus (Archicarabus) rossii Dejean, 1826 - Carabidae

17.I.2018 - ITALIA - Emilia-Romagna - BO
Coleoptera

stefania65

5

843

19/01/2019, 13:44

Daniele Maccapani Vedi ultimo messaggio

Nessun messaggio da leggere
Carabus (Procrustes) coriaceus Linnaeus, 1758 - Carabidae
5.VIII.2017 - ITALIA - Emilia-Romagna - BO
Allegato(i)
Carabus (Procrustes) coriaceus Linnaeus, 1758 - Carabidae

5.VIII.2017 - ITALIA - Emilia-Romagna - BO
Coleoptera

stefania65

5

512

19/01/2019, 13:41

Daniele Maccapani Vedi ultimo messaggio

Nessun messaggio da leggere
Metallina lampros (Herbst, 1784) - Carabidae
26.II.2014 - ITALIA - Emilia-Romagna - FE
Allegato(i)
Metallina lampros (Herbst, 1784) - Carabidae

26.II.2014 - ITALIA - Emilia-Romagna - FE
Coleoptera

Stefano79

3

701

19/01/2019, 0:54

Stefano79 Vedi ultimo messaggio

Nessun messaggio da leggere
Sphaerotachys haemorroidalis (Ponza, 1805) - Carabidae
14.VII.2017 - ITALIA - Toscana - LI
Allegato(i)
Sphaerotachys haemorroidalis (Ponza, 1805) - Carabidae

14.VII.2017 - ITALIA - Toscana - LI
Coleoptera

Stefano79

3

686

06/01/2019, 13:18

Fabio62 Vedi ultimo messaggio

Nessun messaggio da leggere
Amara (Celia) montana Dejean, 1828 (cf.) - Carabidae
23.X.2016 - ITALIA - Toscana - PI
Allegato(i)
Amara (Celia) montana Dejean, 1828 (cf.) - Carabidae

23.X.2016 - ITALIA - Toscana - PI
Coleoptera

Stefano79

2

898

06/01/2019, 0:29

Stefano79 Vedi ultimo messaggio

Nessun messaggio da leggere
Ocydromus (Euperyphus) testaceus (Duftschmid, 1812) - Carabidae
21.VIII.2016 - ITALIA - Emilia-Romagna - BO
Allegato(i)
Ocydromus (Euperyphus) testaceus (Duftschmid, 1812) - Carabidae

21.VIII.2016 - ITALIA - Emilia-Romagna - BO
Coleoptera

Stefano79

2

518

04/01/2019, 1:02

Stefano79 Vedi ultimo messaggio

Nessun messaggio da leggere
Licinus (Licinus) silphoides (Rossi, 1790) - Carabidae
2.I.1978 - ITALIA - Toscana - LU
Allegato(i)
Licinus (Licinus) silphoides (Rossi, 1790) - Carabidae

2.I.1978 - ITALIA - Toscana - LU
Coleoptera

Josefus

6

865

03/01/2019, 22:19

gomphus Vedi ultimo messaggio

Nessun messaggio da leggere
Harpalus (Harpalus) oblitus Dejean, 1829 - Carabidae
26.III.2012 - ITALIA - Toscana - PI
Allegato(i)
Harpalus (Harpalus) oblitus Dejean, 1829 - Carabidae

26.III.2012 - ITALIA - Toscana - PI
Coleoptera

Stefano79

9

1800

01/01/2019, 16:20

Stefano79 Vedi ultimo messaggio

Nessun messaggio da leggere
Pterostichus (Pterostichus) micans Heer, 1841 - Carabidae
VIII.2016 - ITALIA - Trentino-Alto Adige - TN
Allegato(i)
Pterostichus (Pterostichus) micans Heer, 1841 - Carabidae

VIII.2016 - ITALIA - Trentino-Alto Adige - TN
Coleoptera

Batocerino

3

1142

30/12/2018, 0:22

Batocerino Vedi ultimo messaggio

Nessun messaggio da leggere
Allegato(i)
Abax (Abax) parallelepipedus (Piller & Mitterpacher, 1783) - Carabidae

11.V.2018 - ITALIA - Veneto - PD
Coleoptera

Batocerino

2

1476

29/12/2018, 20:15

Batocerino Vedi ultimo messaggio

Nessun messaggio da leggere
Allegato(i)
Carabus (Chaetocarabus) lefebvrei bayardi Solier, 1835 - Carabidae

2.XII.2018 - ITALIA - Campania - SA
Coleoptera

Mattia D'Amato

6

1747

27/12/2018, 0:23

gomphus Vedi ultimo messaggio

Nessun messaggio da leggere
Amara (Celia) montana Dejean, 1828 - Carabidae
8.IV.1963 - ITALIA - Sardegna - SS
Allegato(i)
Amara (Celia) montana Dejean, 1828 - Carabidae

8.IV.1963 - ITALIA - Sardegna - SS
Coleoptera

Stefano79

5

1028

23/12/2018, 15:46

Stefano79 Vedi ultimo messaggio

Nessun messaggio da leggere
Philorhizus quadrisignatus (Dejean, 1825) - Carabidae
18.XII.2018 - ITALIA - Lazio - RM
Allegato(i)
Philorhizus quadrisignatus (Dejean, 1825) - Carabidae

18.XII.2018 - ITALIA - Lazio - RM
Coleoptera

elleelle

1

657

19/12/2018, 19:03

Edo Vedi ultimo messaggio

Nessun messaggio da leggere
Amara (Amara) aenea (De Geer, 1774) - Carabidae
30.VI.2018 - ITALIA - Lombardia - LO
Allegato(i)
Amara (Amara) aenea (De Geer, 1774) - Carabidae

30.VI.2018 - ITALIA - Lombardia - LO
Coleoptera

silviastef

2

1121

14/12/2018, 9:15

silviastef Vedi ultimo messaggio

Nessun messaggio da leggere
Badister (Badister) bullatus (Schrank, 1798) (cf.) - Carabidae
21.VIII.2018 - ITALIA - Lombardia - BS
Allegato(i)
Badister (Badister) bullatus (Schrank, 1798) (cf.) - Carabidae

21.VIII.2018 - ITALIA - Lombardia - BS
Coleoptera

Rothari

2

986

08/12/2018, 19:35

Rothari Vedi ultimo messaggio

Nessun messaggio da leggere
Asaphidion stierlini (Heyden, 1880) - Carabidae
30.VI.2018 - ITALIA - Lombardia - LO
Allegato(i)
Asaphidion stierlini (Heyden, 1880) - Carabidae

30.VI.2018 - ITALIA - Lombardia - LO
Coleoptera

silviastef

4

1510

07/12/2018, 19:11

silviastef Vedi ultimo messaggio

Nessun messaggio da leggere
Allegato(i)
Harpalus (Harpalus) sulphuripes sulphuripes Germar, 1824 - Carabidae

IX.2018 - ITALIA - Liguria - SP
Coleoptera

Stefano79

3

1503

03/12/2018, 16:53

Stefano79 Vedi ultimo messaggio

Nessun messaggio da leggere
Allegato(i)
Ophonus (Metophonus) rufibarbis (Fabricius, 1792) (cf.) - Carabidae

IX.2018 - ITALIA - Liguria - SP
Coleoptera

Stefano79

4

1337

30/11/2018, 19:40

Stefano79 Vedi ultimo messaggio

Nessun messaggio da leggere
Trechus (Trechus) quadristriatus (Schrank, 1781) - Carabidae
27.X.2018 - ITALIA - Toscana - FI
Allegato(i)
Trechus (Trechus) quadristriatus (Schrank, 1781) - Carabidae

27.X.2018 - ITALIA - Toscana - FI
Coleoptera

Arfem

3

1137

30/11/2018, 14:07

Arfem Vedi ultimo messaggio

Nessun messaggio da leggere
Allegato(i)
Harpalus (Harpalus) attenuatus Stephens, 1828 (cf.) - Carabidae

IX.2018 - ITALIA - Liguria - SP
Coleoptera

Stefano79

2

1070

29/11/2018, 19:56

Stefano79 Vedi ultimo messaggio

Nessun messaggio da leggere
Pterostichus (Pterostichus) micans Heer, 1841 - Carabidae
IX.2018 - ITALIA - Liguria - SP
Allegato(i)
Pterostichus (Pterostichus) micans Heer, 1841 - Carabidae

IX.2018 - ITALIA - Liguria - SP
Coleoptera

Stefano79

2

1043

28/11/2018, 17:56

Stefano79 Vedi ultimo messaggio

Nessun messaggio da leggere
Allegato(i)
Bradycellus (Bradycellus) verbasci (Duftschmid, 1812) - Carabidae

17.XI.2018 - ITALIA - Toscana - FI
Coleoptera

Arfem

4

1341

27/11/2018, 2:22

Arfem Vedi ultimo messaggio

Nessun messaggio da leggere
Carabus (Archicarabus) rossii Dejean, 1826 - Carabidae
22.XI.2018 - ITALIA - Umbria - PG
Allegato(i)
Carabus (Archicarabus) rossii Dejean, 1826 - Carabidae

22.XI.2018 - ITALIA - Umbria - PG
Coleoptera

angelo.ditta

2

940

22/11/2018, 19:13

angelo.ditta Vedi ultimo messaggio

Nessun messaggio da leggere
Carabus (Chaetocarabus) intricatus intricatus Linnaeus, 1761
27.XI.2011 - ITALIA - Lombardia - CO
Allegato(i)
Carabus (Chaetocarabus) intricatus intricatus Linnaeus, 1761

[ Vai alla paginaVai alla pagina: 1, 2 ]



27.XI.2011 - ITALIA - Lombardia - CO
Coleoptera

salvo

18

3969

17/11/2018, 8:27

daniel prunier Vedi ultimo messaggio

Nessun messaggio da leggere
Carabus germarii germarii (Sturm, 1815) - Carabidae
19.VIII.2018 - ITALIA - Veneto - VE
Allegato(i)
Carabus germarii germarii (Sturm, 1815) - Carabidae

19.VIII.2018 - ITALIA - Veneto - VE
Coleoptera

matteo.beccardi

6

1886

13/11/2018, 15:18

gomphus Vedi ultimo messaggio

Nessun messaggio da leggere
Paratachys fulvicollis (Dejean, 1831) - Carabidae
30.III.2018 - ITALIA - Lazio - RM
Allegato(i)
Paratachys fulvicollis (Dejean, 1831) - Carabidae

30.III.2018 - ITALIA - Lazio - RM
Coleoptera

Rothari

2

1063

04/11/2018, 20:58

Rothari Vedi ultimo messaggio

Nessun messaggio da leggere
Pterostichus (Pseudomaseus) gracilis (Dejean, 1828) (cf.) - Carabidae
16.VII.2018 - ITALIA - Trentino-Alto Adige - TN
Allegato(i)
Pterostichus (Pseudomaseus) gracilis (Dejean, 1828) (cf.) - Carabidae

[ Vai alla paginaVai alla pagina: 1, 2 ]



16.VII.2018 - ITALIA - Trentino-Alto Adige - TN
Coleoptera

Andrea Pergine

20

3773

04/11/2018, 17:04

f.izzillo Vedi ultimo messaggio

Nessun messaggio da leggere
Acupalpus (Acupalpus) maculatus (Schaum, 1860) - Carabidae
30.III.2018 - ITALIA - Lazio - RM
Allegato(i)
Acupalpus (Acupalpus) maculatus (Schaum, 1860) - Carabidae

30.III.2018 - ITALIA - Lazio - RM
Coleoptera

Rothari

3

1225

02/11/2018, 13:10

Rothari Vedi ultimo messaggio

Nessun messaggio da leggere
Brachinus sp. - Carabidae
17.XII.2017 - ITALIA - Lazio - RM
Allegato(i)
Brachinus sp. - Carabidae

17.XII.2017 - ITALIA - Lazio - RM
Coleoptera

Rothari

5

1427

02/11/2018, 13:00

Rothari Vedi ultimo messaggio

Nessun messaggio da leggere
Allegato(i)
Pseudoophonus (Pseudoophonus) rufipes (De Geer, 1774) - Carabidae

8.IX.2018 - ITALIA - Toscana - FI
Coleoptera

Arfem

2

996

31/10/2018, 12:56

Arfem Vedi ultimo messaggio

Nessun messaggio da leggere
Allegato(i)
Pseudoophonus (Platus) calceatus (Duftschmid, 1812) - Carabidae Harpalinae

28.VII.2018 - ITALIA - Toscana - LI
Coleoptera

Stefano79

10

2260

31/10/2018, 9:14

Stefano79 Vedi ultimo messaggio

Nessun messaggio da leggere
Masoreus wetterhallii (Gyllenhal, 1813) (cf.) - Carabidae
VII.2018 - ITALIA - Toscana - LU
Allegato(i)
Masoreus wetterhallii (Gyllenhal, 1813) (cf.) - Carabidae

VII.2018 - ITALIA - Toscana - LU
Coleoptera

Marchino

3

1207

30/10/2018, 22:45

gomphus Vedi ultimo messaggio

Nessun messaggio da leggere
Larva di Hsteridae
28.VI.2018 - ITALIA - Sardegna - OT
Allegato(i)
Larva di Hsteridae

28.VI.2018 - ITALIA - Sardegna - OT
Coleoptera

elleelle

0

627

09/10/2018, 23:00

elleelle Vedi ultimo messaggio

Nessun messaggio da leggere
Limodromus krynickii (Sperk, 1835) - Carabidae
31.XII.2017 - ITALIA - Lombardia - BS
Allegato(i)
Limodromus krynickii (Sperk, 1835) - Carabidae

31.XII.2017 - ITALIA - Lombardia - BS
Coleoptera

Rothari

3

1077

04/10/2018, 7:26

Rothari Vedi ultimo messaggio

Nessun messaggio da leggere
Pterostichus (Pterostichus) micans Heer, 1841 - Carabidae
8.VI.2018 - ITALIA - Trentino-Alto Adige - TN
Allegato(i)
Pterostichus (Pterostichus) micans Heer, 1841 - Carabidae

8.VI.2018 - ITALIA - Trentino-Alto Adige - TN
Coleoptera

desversen

2

981

04/10/2018, 7:12

desversen Vedi ultimo messaggio

Nessun messaggio da leggere
Agonum (Olisares) viduum (Panzer, 1796) (cf.) - Carabidae
16.VII.2018 - ITALIA - Trentino-Alto Adige - TN
Allegato(i)
Agonum (Olisares) viduum (Panzer, 1796) (cf.) - Carabidae

16.VII.2018 - ITALIA - Trentino-Alto Adige - TN
Coleoptera

desversen

5

1114

03/10/2018, 18:51

desversen Vedi ultimo messaggio

Nessun messaggio da leggere
Agonum (Agonum) muelleri (Herbst, 1784) - Carabidae
16.VII.2018 - ITALIA - Trentino-Alto Adige - TN
Allegato(i)
Agonum (Agonum) muelleri (Herbst, 1784) - Carabidae

16.VII.2018 - ITALIA - Trentino-Alto Adige - TN
Coleoptera

desversen

5

844

03/10/2018, 18:51

desversen Vedi ultimo messaggio

Nessun messaggio da leggere
Allegato(i)
Brachinus (Brachinoaptinus) italicus (Dejean, 1831) - Carabidae

11.II.2018 - ITALIA - Lazio - RM
Coleoptera

Rothari

3

984

01/10/2018, 17:35

Rothari Vedi ultimo messaggio

Nessun messaggio da leggere
Ophonus (Ophonus) ardosiacus (Lutshnik, 1922) - Carabidae
3.IX.2018 - ITALIA - Sicilia - TP
Allegato(i)
Ophonus (Ophonus) ardosiacus (Lutshnik, 1922) - Carabidae

3.IX.2018 - ITALIA - Sicilia - TP
Coleoptera

gigi58

8

1777

25/09/2018, 17:47

gigi58 Vedi ultimo messaggio

Nessun messaggio da leggere
Pterostichus (Cheporus) burmeisteri Heer, 1838 - Carabidae
12.VIII.2018 - ITALIA - Trentino-Alto Adige - TN
Allegato(i)
Pterostichus (Cheporus) burmeisteri Heer, 1838 - Carabidae

12.VIII.2018 - ITALIA - Trentino-Alto Adige - TN
Coleoptera

oreste

2

547

11/09/2018, 16:55

oreste Vedi ultimo messaggio

Nessun messaggio da leggere
Pterostichus (Feronidius) melas (Creutzer, 1799) - Carabidae
1.IX.2018 - ITALIA - Emilia-Romagna - PC
Allegato(i)
Pterostichus (Feronidius) melas (Creutzer, 1799) - Carabidae

1.IX.2018 - ITALIA - Emilia-Romagna - PC
Coleoptera

Christianceruti

3

690

10/09/2018, 13:39

Christianceruti Vedi ultimo messaggio

Nessun messaggio da leggere
Drypta (Deserida) distincta (P. Rossi 1792) - Carabidae
5.IX.2018 - ITALIA - Sardegna - OT
Allegato(i)
Drypta (Deserida) distincta (P. Rossi 1792) - Carabidae

5.IX.2018 - ITALIA - Sardegna - OT
Coleoptera

elleelle

3

798

08/09/2018, 11:08

aug Vedi ultimo messaggio

Nessun messaggio da leggere
Allegato(i)
Pseudoophonus (Pseudoophonus) rufipes (De Geer, 1774) - Carabidae

20.VIII.2018 - ITALIA - Marche - MC
Coleoptera

Monaco

3

664

07/09/2018, 19:10

Nicola Vedi ultimo messaggio

Nessun messaggio da leggere
Calathus (Calathus) fuscipes graecus Dejean, 1831 - Carabidae
26.VIII.2018 - ITALIA - Veneto - VE
Allegato(i)
Calathus (Calathus) fuscipes graecus Dejean, 1831 - Carabidae

26.VIII.2018 - ITALIA - Veneto - VE
Coleoptera

matteo.beccardi

4

972

06/09/2018, 16:58

matteo.beccardi Vedi ultimo messaggio

Nessun messaggio da leggere
Zabrus (Zabrus) tenebrioides (Goeze, 1777) (cf.) - Carabidae
5.IX.2018 - ITALIA - Emilia-Romagna - PR
Allegato(i)
Zabrus (Zabrus) tenebrioides (Goeze, 1777) (cf.) - Carabidae

5.IX.2018 - ITALIA - Emilia-Romagna - PR
Coleoptera

b.fra77

6

1093

05/09/2018, 20:11

b.fra77 Vedi ultimo messaggio

Nessun messaggio da leggere
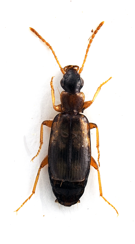
Cryptophonus tenebrosus (Dejean, 1829) - Carabidae Harpalinae
18.VIII.2018 - ITALIA - Lombardia - CO
Allegato(i)
Cryptophonus tenebrosus (Dejean, 1829) - Carabidae Harpalinae

18.VIII.2018 - ITALIA - Lombardia - CO
Coleoptera

Giuseppe

10

1662

05/09/2018, 19:01

Giuseppe Vedi ultimo messaggio

Visualizza ultimi argomenti:  Ordina per  Ordine:  
nuovo argomento
Vai alla pagina Precedente  1 ... 8, 9, 10, 11, 12, 13, 14 ... 79  Prossimo
Pagina 11 di 79 [ 3927 argomenti ]

Tutti gli orari sono UTC + 1 ora [ ora legale ]


Chi c’è in linea

Visitano il forum: Nessuno e 3 ospiti


Legenda
Messaggi da leggere Messaggi da leggere Nessun messaggio da leggere Nessun messaggio da leggere Annuncio Annuncio
 
Specie indeterminata / discussione generica
Messaggi non letti [ Popolari ] Messaggi non letti [ Popolari ] Nessun messaggio da leggere [ Popolare ] Nessun messaggio da leggere [ Popolare ] Importante Importante
 
Specie determinata fino al genere o cf.
Messaggi non letti [ Bloccati ] Messaggi non letti [ Bloccati ] No messaggi non letti [ Bloccati ] No messaggi non letti [ Bloccati ] Argomento spostato Argomento spostato
 
Specie correttamente determinata
Permessi
Non puoi aprire nuovi argomenti
Non puoi rispondere negli argomenti
Non puoi modificare i tuoi messaggi
Non puoi cancellare i tuoi messaggi
Non puoi inviare allegati

Cerca per:
Vai a: