Benvenuto Ospite

Forum Entomologi Italiani

www.entomologiitaliani.net/forum
 
Oggi è 11/04/2026, 18:09

Tutti gli orari sono UTC + 1 ora [ ora legale ]


 
nessun taxon determinato correttamente in questo archivio

Cerambycidae


[ AFROTROPICALE ] [ ANTARTICO ] [ AUSTRALASIANO ] [ NEARTICO ] [ NEOTROPICALE ] [ ORIENTALE ] [ PALEARTICO ]


nuovo argomento
Vai alla pagina Precedente  1, 2, 3, 4, 5, 6  Prossimo
Pagina 3 di 6 [ 254 argomenti ]
 Argomenti   Ordine   Autore   Risposte   Visite    Ultimo messaggio 
Annunci
Nessun messaggio da leggere
Allegato(i)
Incontri entomologici della Società Entomologica Italiana 2025-2026
 

Velvet Ant

0

45377

17/11/2025, 19:41

Velvet Ant Vedi ultimo messaggio

Nessun messaggio da leggere
Allegato(i)
Incontri entomologici telematici organizzati dalla Società Entomologica Italiana nel 2022 e nel 2023

[ Vai alla paginaVai alla pagina: 1, 2, 3 ]

 

Velvet Ant

44

1990082

03/03/2023, 15:55

Velvet Ant Vedi ultimo messaggio

Nessun messaggio da leggere  
Allegato(i)
Sondaggio sul declino dell'entomofauna in Italia

[ Vai alla paginaVai alla pagina: 1, 2, 3, 4 ]

 

Velvet Ant

52

2660305

22/10/2022, 19:18

Acquarius Vedi ultimo messaggio

Nessun messaggio da leggere  
Allegato(i)
Progetto: Bibliografia ragionata dei lavori entomologici nei quali sono citati reperti apparsi su FEI

[ Vai alla paginaVai alla pagina: 1, 2, 3 ]

 

Velvet Ant

33

1596816

06/07/2023, 18:31

Orotrechus Vedi ultimo messaggio

Nessun messaggio da leggere
Allegato(i)
Mimesi, il primo documentario cinematografico sull’entomologia in Italia: casting
 

mazzeip

1

1133791

28/02/2019, 20:26

mazzeip Vedi ultimo messaggio

Questo argomento è bloccato, non puoi modificare o inviare ulteriori messaggi.
Allegato(i)
ISTRUZIONI PUBBLICAZIONE NUOVI ARGOMENTI E FOTO

 
Altri Ordini di Insetti

Julodis

4

2949478

13/05/2015, 19:37

Julodis Vedi ultimo messaggio

Nessun messaggio da leggere
Allegato(i)
Limitatore giornaliero di messaggi, uno strumento utile e ormai indispensabile

[ Vai alla paginaVai alla pagina: 1 ... 14, 15, 16 ]

 

Velvet Ant

233

13705783

25/09/2014, 14:31

Inachis Vedi ultimo messaggio

Nessun messaggio da leggere  
NORME PER I COLLABORATORI DEL FORUM

 
 

Velvet Ant

0

667057

02/06/2011, 12:05

Velvet Ant Vedi ultimo messaggio

Nessun messaggio da leggere
Allegato(i)
NORME PER GLI UTENTI DEL FORUM

[ Vai alla paginaVai alla pagina: 1, 2, 3 ]



 
 

Velvet Ant

30

3709682

23/09/2014, 23:54

Maurizio Bollino Vedi ultimo messaggio

Questo argomento è bloccato, non puoi modificare o inviare ulteriori messaggi.  
Elenco delle specie italiane di Cerambycidae presenti sul forum
Cerambycidae


 
Coleoptera

Plagionotus

0

6410

22/11/2010, 22:28

Plagionotus Vedi ultimo messaggio

Nessun messaggio da leggere  
Lista degli utenti del "Forum entomologi italiani" per campi di interesse e specializzazione

 
Altri Ordini di Insetti

Velvet Ant

13

1117737

07/09/2023, 17:14

Roberto-07 Vedi ultimo messaggio

Argomenti
Nessun messaggio da leggere
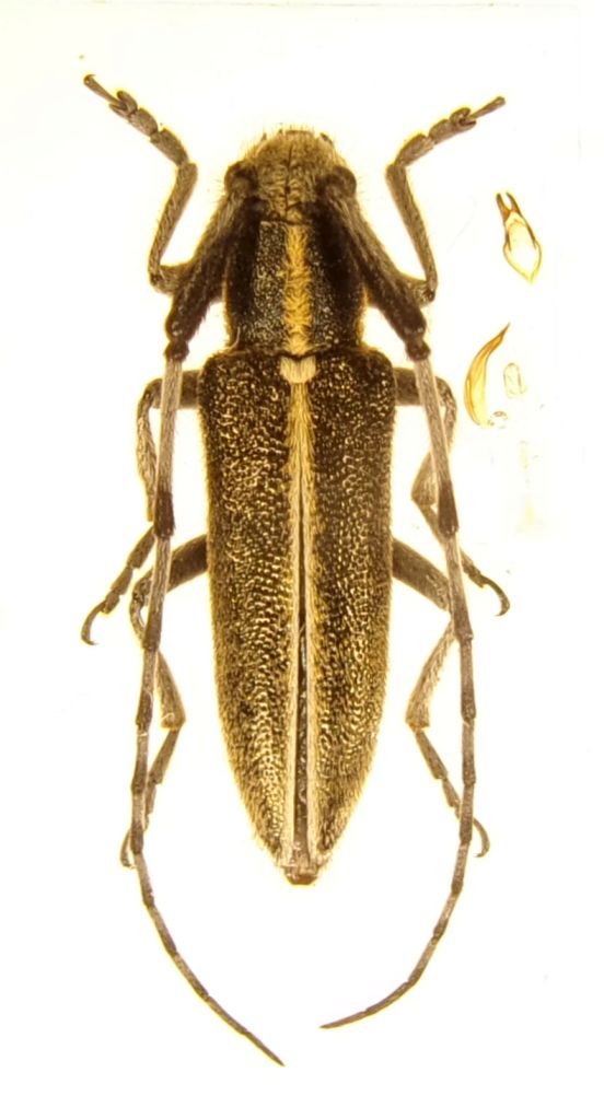
Trichoferus griseus (Fabricius, 1792) cf. - Cerambycidae
25.IX.2016 - ITALIA - Marche - MC
Allegato(i) Dettagli della specie
Trichoferus griseus (Fabricius, 1792) cf.
Cerambycidae


25.IX.2016 - ITALIA - Marche - MC
Coleoptera

skapc66

5

1984

18/11/2017, 11:14

Plagionotus Vedi ultimo messaggio

Nessun messaggio da leggere
Larva di Cerambycidae sp.
9.XI.2017 - ITALIA - Campania - NA
Allegato(i)
Larva di Cerambycidae sp.

9.XI.2017 - ITALIA - Campania - NA
Coleoptera

pako

5

1837

15/11/2017, 0:10

Nicarinus Vedi ultimo messaggio

Nessun messaggio da leggere
Larva di Cerambycidae
7.IX.2017 - ITALIA - Trentino-Alto Adige - TN
Allegato(i)
Larva di Cerambycidae

[ Vai alla paginaVai alla pagina: 1, 2 ]



7.IX.2017 - ITALIA - Trentino-Alto Adige - TN
Coleoptera

Carlo A.

15

4180

14/09/2017, 22:02

Carlo A. Vedi ultimo messaggio

Nessun messaggio da leggere
Allegato(i) Dettagli della specie
Trichoferus fasciculatus fasciculatus (Faldermann, 1837) cf.
Cerambycidae


28.VII.2017 - ITALIA - Toscana - PI
Coleoptera

Stefano79

2

1080

16/08/2017, 18:41

Stefano79 Vedi ultimo messaggio

Nessun messaggio da leggere
Trichoferus holosericeus (Rossi, 1790) cf. - Cerambycidae
6.VIII.2017 - ITALIA - Toscana - PI
Allegato(i) Dettagli della specie
Trichoferus holosericeus (Rossi, 1790) cf.
Cerambycidae


6.VIII.2017 - ITALIA - Toscana - PI
Coleoptera

Stefano79

1

1167

16/08/2017, 14:46

Julodis Vedi ultimo messaggio

Nessun messaggio da leggere
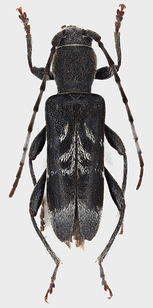
Monochamus sartor (Fabricius, 1787) cf. - Cerambycidae
4.VI.2017 - ITALIA - Toscana - PI
Allegato(i) Dettagli della specie
Monochamus sartor (Fabricius, 1787) cf.
Cerambycidae

[ Vai alla paginaVai alla pagina: 1, 2 ]



4.VI.2017 - ITALIA - Toscana - PI
Coleoptera

Stefano79

15

5477

16/08/2017, 8:40

Stefano79 Vedi ultimo messaggio

Nessun messaggio da leggere
Allegato(i) Dettagli della specie
Anaglyptus zappii Rapuzzi & Sama, 2014 cf.
Cerambycidae


VI.2017 - ITALIA - Lazio - RM
Coleoptera

Julodis

4

2001

25/07/2017, 14:14

Pippistrello Vedi ultimo messaggio

Nessun messaggio da leggere
Larva di Cerambycidae sp.
15.VIII.2014 - ITALIA - Toscana - PI
Allegato(i)
Larva di Cerambycidae sp.

15.VIII.2014 - ITALIA - Toscana - PI
Coleoptera

skip

6

1912

01/07/2017, 16:27

skip Vedi ultimo messaggio

Nessun messaggio da leggere
Anastrangalia dubia dubia (Scopoli, 1763) cf. - Cerambycidae
3.VI.2017 - ITALIA - Piemonte - VB
Allegato(i) Dettagli della specie
Anastrangalia dubia dubia (Scopoli, 1763) cf.
Cerambycidae


3.VI.2017 - ITALIA - Piemonte - VB
Coleoptera

forgix

7

2428

27/06/2017, 9:51

Plagionotus Vedi ultimo messaggio

Nessun messaggio da leggere
Allegato(i) Dettagli della specie
Herophila tristis martinascoi (Contarini & Garagnani, 1983) cf.
Cerambycidae


11.V.2017 - ITALIA - Calabria - CS
Coleoptera

aiello antonio

2

1618

23/06/2017, 9:34

Plagionotus Vedi ultimo messaggio

Nessun messaggio da leggere
Aegosoma scabricorne (Scopoli, 1763) cf. - Cerambycidae
3.VI.2017 - ITALIA - Lombardia - MI
Allegato(i) Dettagli della specie
Aegosoma scabricorne (Scopoli, 1763) cf.
Cerambycidae


3.VI.2017 - ITALIA - Lombardia - MI
Coleoptera

Anur

7

2711

08/06/2017, 14:31

Anur Vedi ultimo messaggio

Nessun messaggio da leggere
Allegato(i) Dettagli della specie
Agapanthia (Agapanthia) cardui (Linnaeus, 1767) cf.
Cerambycidae


27.V.2017 - ITALIA - Umbria - PG
Coleoptera

andreah

1

941

30/05/2017, 18:35

Plagionotus Vedi ultimo messaggio

Nessun messaggio da leggere
Allegato(i) Dettagli della specie
Agapanthia (Agapanthia) cardui (Linnaeus, 1767) cf.
Cerambycidae


6.V.2017 - ITALIA - Sicilia - SR
Coleoptera

skapc66

2

1491

09/05/2017, 12:40

Julodis Vedi ultimo messaggio

Nessun messaggio da leggere
Opsilia coerulescens (Scopoli, 1763) cf. - Cerambycidae
15.IV.2017 - ITALIA - Calabria - CS
Allegato(i) Dettagli della specie
Opsilia coerulescens (Scopoli, 1763) cf.
Cerambycidae


15.IV.2017 - ITALIA - Calabria - CS
Coleoptera

aiello antonio

1

832

04/05/2017, 12:03

Giuseppe Vedi ultimo messaggio

Nessun messaggio da leggere
Allegato(i) Dettagli della specie
Agapanthia (Agapanthia) suturalis (Fabricius, 1787) cf.
Cerambycidae


24.IV.2017 - ITALIA - Sicilia - SR
Coleoptera

skapc66

5

2062

27/04/2017, 11:09

Xylosteus Vedi ultimo messaggio

Nessun messaggio da leggere
Larva di Cerambycidae sp.
4.III.2017 - ITALIA - Sardegna - CA
Allegato(i)
Larva di Cerambycidae sp.

4.III.2017 - ITALIA - Sardegna - CA
Coleoptera

Fumea crassiorella

6

1935

05/03/2017, 22:55

Xylosteus Vedi ultimo messaggio

Nessun messaggio da leggere
Clytus sp. - Cerambycidae
21.V.2016 - ITALIA - Lombardia - LC
Allegato(i)
Clytus sp. - Cerambycidae

21.V.2016 - ITALIA - Lombardia - LC
Coleoptera

michelebutta

4

1883

21/02/2017, 17:51

Plagionotus Vedi ultimo messaggio

Nessun messaggio da leggere
Tetropium fuscum (Fabricius, 1787) cf. - Cerambycidae
15.VI.2016 - ITALIA - Veneto - BL
Allegato(i) Dettagli della specie
Tetropium fuscum (Fabricius, 1787) cf.
Cerambycidae


15.VI.2016 - ITALIA - Veneto - BL
Coleoptera

skapc66

4

1758

06/01/2017, 16:57

Nicola Vedi ultimo messaggio

Nessun messaggio da leggere
Allegato(i) Dettagli della specie
Agapanthia (Agapanthia) cardui (Linnaeus, 1767) cf.
Cerambycidae


16.V.2015 - ITALIA - Calabria - CS
Coleoptera

aiello antonio

5

2671

22/12/2016, 22:01

Julodis Vedi ultimo messaggio

Nessun messaggio da leggere
Larva di Cerambycidae
5.XI.2016 - ITALIA - Toscana - SI
Allegato(i)
Larva di Cerambycidae

5.XI.2016 - ITALIA - Toscana - SI
Coleoptera

skip

2

1155

10/12/2016, 17:50

skip Vedi ultimo messaggio

Nessun messaggio da leggere
Larva di Cerambycidae
27.XI.2016 - ITALIA - Toscana - GR
Allegato(i)
Larva di Cerambycidae

27.XI.2016 - ITALIA - Toscana - GR
Coleoptera

skip

2

1431

03/12/2016, 11:26

skip Vedi ultimo messaggio

Nessun messaggio da leggere
Allegato(i)
Larva di Trichoferus holosericeus (Rossi, 1790) (cf.) - Cerambycidae

27.XI.2016 - ITALIA - Toscana - GR
Coleoptera

skip

9

3056

30/11/2016, 23:39

skip Vedi ultimo messaggio

Nessun messaggio da leggere
Arhopalus sp. - Cerambycidae
18.VIII.2016 - ITALIA - Trentino-Alto Adige - TN
Allegato(i)
Arhopalus sp. - Cerambycidae
Cerambycidae


18.VIII.2016 - ITALIA - Trentino-Alto Adige - TN
Coleoptera

gigilmozzi

3

1396

20/08/2016, 12:48

Plagionotus Vedi ultimo messaggio

Nessun messaggio da leggere
Anastrangalia dubia dubia (Scopoli, 1763) cf. - Cerambycidae
29.VI.2015 - ITALIA - Lombardia - SO
Allegato(i) Dettagli della specie
Anastrangalia dubia dubia (Scopoli, 1763) cf.
Cerambycidae


29.VI.2015 - ITALIA - Lombardia - SO
Coleoptera

skip

3

1557

12/08/2016, 16:52

skip Vedi ultimo messaggio

Nessun messaggio da leggere
Anastrangalia dubia dubia (Scopoli, 1763) cf. - Cerambycidae
5.VII.2016 - ITALIA - Trentino-Alto Adige - TN
Allegato(i) Dettagli della specie
Anastrangalia dubia dubia (Scopoli, 1763) cf.
Cerambycidae


5.VII.2016 - ITALIA - Trentino-Alto Adige - TN
Coleoptera

gigilmozzi

2

1408

07/07/2016, 19:52

gigilmozzi Vedi ultimo messaggio

Nessun messaggio da leggere
Cerambyx welensii (Küster, 1845) cf. - Cerambycidae
2.VIII.2014 - ITALIA - Toscana - PI
Allegato(i) Dettagli della specie
Cerambyx welensii (Küster, 1845) cf.
Cerambycidae


2.VIII.2014 - ITALIA - Toscana - PI
Coleoptera

wgliinsetti

5

2052

05/07/2016, 13:18

marco villa Vedi ultimo messaggio

Nessun messaggio da leggere
Allegato(i) Dettagli della specie
Agapanthia (Agapanthia) suturalis (Fabricius, 1787) cf.
Cerambycidae


26.IV.2016 - ITALIA - Toscana - GR
Coleoptera

Chalybion

8

2886

17/05/2016, 18:50

hypotyphlus Vedi ultimo messaggio

Nessun messaggio da leggere
Allegato(i) Dettagli della specie
Agapanthia (Agapanthia) cardui (Linnaeus, 1767) cf.
Cerambycidae


20.IV.2016 - ITALIA - Lazio - RM
Coleoptera

Edo

8

2144

27/04/2016, 19:01

Edo Vedi ultimo messaggio

Nessun messaggio da leggere
Larva di Cerambycidae da identificare
7.II.2016 - ITALIA - Emilia-Romagna - RA
Allegato(i)
Larva di Cerambycidae da identificare
Cerambycidae


7.II.2016 - ITALIA - Emilia-Romagna - RA
Coleoptera

marco villa

12

2546

10/02/2016, 18:57

marco villa Vedi ultimo messaggio

Nessun messaggio da leggere
invasione in casa
16.I.2016 - ITALIA - Valle d'Aosta - AO
Allegato(i)
invasione in casa

[ Vai alla paginaVai alla pagina: 1, 2, 3 ]



16.I.2016 - ITALIA - Valle d'Aosta - AO
Coleoptera

marco lovison

32

5691

27/01/2016, 10:57

marco lovison Vedi ultimo messaggio

Nessun messaggio da leggere
Larva di Cerambycidae
16.X.2015 - ITALIA - Marche - PU
Allegato(i)
Larva di Cerambycidae
Cerambycidae


16.X.2015 - ITALIA - Marche - PU
Coleoptera

marco paglialunga

6

1566

17/10/2015, 21:35

Entomarci Vedi ultimo messaggio

Nessun messaggio da leggere
Trichoferus griseus (Fabricius, 1792) cf. - Cerambycidae
25.VII.2015 - ITALIA - Toscana - PO
Allegato(i) Dettagli della specie
Trichoferus griseus (Fabricius, 1792) cf.
Cerambycidae


25.VII.2015 - ITALIA - Toscana - PO
Coleoptera

fabry80

0

681

27/07/2015, 9:11

fabry80 Vedi ultimo messaggio

Nessun messaggio da leggere
Allegato(i)
Plagionotus floralis (Pallas, 1773) e Chlorophorus sartor (O. F. Müller, 1766) - Cerambycidae

7.VII.2015 - ITALIA - Basilicata - PZ
Coleoptera

gigilmozzi

3

1267

17/07/2015, 20:11

gigilmozzi Vedi ultimo messaggio

Nessun messaggio da leggere
Herophila tristis tristis (Linnaeus, 1767) cf. - Cerambycidae
7.VII.2015 - ITALIA - Basilicata - PZ
Allegato(i) Dettagli della specie
Herophila tristis tristis (Linnaeus, 1767) cf.
Cerambycidae


7.VII.2015 - ITALIA - Basilicata - PZ
Coleoptera

gigilmozzi

9

2109

16/07/2015, 20:11

gigilmozzi Vedi ultimo messaggio

Nessun messaggio da leggere
Allegato(i)
Stenopterus ater Linnaeus, 1767 e Stenopterus rufus Linnaeus, 1767 - Cerambycidae

14.VI.2015 - ITALIA - Umbria - PG
Coleoptera

andreah

3

1029

16/06/2015, 18:22

Plagionotus Vedi ultimo messaggio

Nessun messaggio da leggere
Allegato(i) Dettagli della specie
Agapanthia (Agapanthia) suturalis (Fabricius, 1787) cf.
Cerambycidae


24.V.2015 - ITALIA - Lazio - RM
Coleoptera

Broc

3

1168

07/06/2015, 22:46

Plagionotus Vedi ultimo messaggio

Nessun messaggio da leggere
Allegato(i) Dettagli della specie
Agapanthia (Agapanthia) suturalis (Fabricius, 1787) cf.
Cerambycidae


13.V.2015 - ITALIA - Molise - IS
Coleoptera

Franco ROSSI

4

1950

27/05/2015, 13:55

Plagionotus Vedi ultimo messaggio

Nessun messaggio da leggere
Agapanthia sp. - Cerambycidae
14.V.2015 - ITALIA - Molise - IS
Allegato(i)
Agapanthia sp. - Cerambycidae

14.V.2015 - ITALIA - Molise - IS
Coleoptera

Franco ROSSI

1

973

26/05/2015, 19:56

Entomarci Vedi ultimo messaggio

Nessun messaggio da leggere
Allegato(i) Dettagli della specie
Clytus arietis arietis (Linnaeus, 1758) cf.
Cerambycidae


10.V.2015 - ITALIA - Lazio - FR
Coleoptera

giuseppe55

5

2066

13/05/2015, 18:18

giuseppe55 Vedi ultimo messaggio

Nessun messaggio da leggere
Prionus coriarius (Linnaeus, 1758) cf. - Cerambycidae
20.IV.2015 - ITALIA - Toscana - GR
Allegato(i) Dettagli della specie
Prionus coriarius (Linnaeus, 1758) cf.
Cerambycidae


20.IV.2015 - ITALIA - Toscana - GR
Coleoptera

skip

2

1042

27/04/2015, 18:33

StagBeetle Vedi ultimo messaggio

Nessun messaggio da leggere
Tetropium castaneum (Linnaeus, 1758) cf. - Cerambycidae
16.IV.2015 - ITALIA - Trentino-Alto Adige - TN
Allegato(i) Dettagli della specie
Tetropium castaneum (Linnaeus, 1758) cf.
Cerambycidae


16.IV.2015 - ITALIA - Trentino-Alto Adige - TN
Coleoptera

gigilmozzi

5

1783

21/04/2015, 16:25

gigilmozzi Vedi ultimo messaggio

Nessun messaggio da leggere
Allegato(i) Dettagli della specie
Exocentrus punctipennis Mulsant & Guillebeau, 1856 cf.
Cerambycidae


6.X.2000 - ITALIA - Emilia-Romagna - BO
Coleoptera

Andream

9

2050

22/03/2015, 0:33

Andream Vedi ultimo messaggio

Nessun messaggio da leggere
Larva di Cerambycidae sp.
24.XII.2014 - ITALIA - Trentino-Alto Adige - BZ
Allegato(i)
Larva di Cerambycidae sp.

24.XII.2014 - ITALIA - Trentino-Alto Adige - BZ
Coleoptera

gigilmozzi

11

2216

25/12/2014, 19:46

marco villa Vedi ultimo messaggio

Nessun messaggio da leggere
Allegato(i) Dettagli della specie
Cortodera humeralis humeralis (Schaller, 1783) cf.
Cerambycidae


30.IV.2011 - ITALIA - Lazio - RI
Coleoptera

Valerio

6

2062

26/11/2014, 15:07

Valerio Vedi ultimo messaggio

Nessun messaggio da leggere
Pachytodes sp. Cerambycidae
25.VI.2014 - ITALIA - Lombardia - SO
Allegato(i)
Pachytodes sp. Cerambycidae

25.VI.2014 - ITALIA - Lombardia - SO
Coleoptera

skip

13

2028

16/10/2014, 19:41

Plagionotus Vedi ultimo messaggio

Nessun messaggio da leggere
Allegato(i) Dettagli della specie
Agapanthia (Epoptes) sicula sicula Ganglbauer, 1884 cf.
Cerambycidae


12.VI.2010 - ITALIA - Sicilia - PA
Coleoptera

Gregorio

2

1084

12/10/2014, 23:04

Gregorio Vedi ultimo messaggio

Nessun messaggio da leggere
Arhopalus rusticus (Linnaeus, 1758) (cf.) - Cerambycidae
11.VIII.2014 - ITALIA - Trentino-Alto Adige - TN
Allegato(i)
Arhopalus rusticus (Linnaeus, 1758) (cf.) - Cerambycidae

11.VIII.2014 - ITALIA - Trentino-Alto Adige - TN
Coleoptera

gigilmozzi

2

1187

11/10/2014, 18:21

gigilmozzi Vedi ultimo messaggio

Nessun messaggio da leggere
Exocentrus lusitanus (Linnaeus, 1767) (cf.) - Cerambycidae
9.VII.1989 - ITALIA - Veneto - TV
Allegato(i)
Exocentrus lusitanus (Linnaeus, 1767) (cf.) - Cerambycidae

9.VII.1989 - ITALIA - Veneto - TV
Coleoptera

klosse

1

960

10/10/2014, 17:15

f.izzillo Vedi ultimo messaggio

Nessun messaggio da leggere
Arhopalus syriacus (Reitter, 1895) (cf.) - Cerambycidae
18.IX.2014 - ITALIA - Sicilia - TP
Allegato(i)
Arhopalus syriacus (Reitter, 1895) (cf.) - Cerambycidae

18.IX.2014 - ITALIA - Sicilia - TP
Coleoptera

Davide Castelli

5

1729

01/10/2014, 16:23

Entomarci Vedi ultimo messaggio

Nessun messaggio da leggere
Tetropium sp.- Cerambycidae
8.IX.2014 - ITALIA - Trentino-Alto Adige - TN
Allegato(i)
Tetropium sp.- Cerambycidae

8.IX.2014 - ITALIA - Trentino-Alto Adige - TN
Coleoptera

gigilmozzi

6

2378

13/09/2014, 21:11

gigilmozzi Vedi ultimo messaggio

Visualizza ultimi argomenti:  Ordina per  Ordine:  
nuovo argomento
Vai alla pagina Precedente  1, 2, 3, 4, 5, 6  Prossimo
Pagina 3 di 6 [ 254 argomenti ]

Tutti gli orari sono UTC + 1 ora [ ora legale ]


Chi c’è in linea

Visitano il forum: Nessuno e 3 ospiti


Legenda
Messaggi da leggere Messaggi da leggere Nessun messaggio da leggere Nessun messaggio da leggere Annuncio Annuncio
 
Specie indeterminata / discussione generica
Messaggi non letti [ Popolari ] Messaggi non letti [ Popolari ] Nessun messaggio da leggere [ Popolare ] Nessun messaggio da leggere [ Popolare ] Importante Importante
 
Specie determinata fino al genere o cf.
Messaggi non letti [ Bloccati ] Messaggi non letti [ Bloccati ] No messaggi non letti [ Bloccati ] No messaggi non letti [ Bloccati ] Argomento spostato Argomento spostato
 
Specie correttamente determinata
Permessi
Non puoi aprire nuovi argomenti
Non puoi rispondere negli argomenti
Non puoi modificare i tuoi messaggi
Non puoi cancellare i tuoi messaggi
Non puoi inviare allegati

Cerca per:
Vai a: