Benvenuto Ospite

Forum Entomologi Italiani

www.entomologiitaliani.net/forum
 
Oggi è 18/02/2026, 10:37

Tutti gli orari sono UTC + 1 ora [ ora legale ]


100%
2927 taxa correttamente determinati su 2928 presenti in archivio

Cerambycidae


[ AFROTROPICALE ] [ ANTARTICO ] [ AUSTRALASIANO ] [ NEARTICO ] [ NEOTROPICALE ] [ ORIENTALE ] [ PALEARTICO ]


nuovo argomento
Vai alla pagina Precedente  1 ... 19, 20, 21, 22, 23, 24, 25 ... 59  Prossimo
Pagina 22 di 59 [ 2928 argomenti ]
 Argomenti   Ordine   Autore   Risposte   Visite    Ultimo messaggio 
Annunci
Nessun messaggio da leggere
Allegato(i)
Incontri entomologici della Società Entomologica Italiana 2025-2026
 

Velvet Ant

0

27252

17/11/2025, 19:41

Velvet Ant Vedi ultimo messaggio

Nessun messaggio da leggere
Allegato(i)
Incontri entomologici telematici organizzati dalla Società Entomologica Italiana nel 2022 e nel 2023

[ Vai alla paginaVai alla pagina: 1, 2, 3 ]

 

Velvet Ant

44

1822414

03/03/2023, 15:55

Velvet Ant Vedi ultimo messaggio

Nessun messaggio da leggere  
Allegato(i)
Sondaggio sul declino dell'entomofauna in Italia

[ Vai alla paginaVai alla pagina: 1, 2, 3, 4 ]

 

Velvet Ant

52

2462614

22/10/2022, 19:18

Acquarius Vedi ultimo messaggio

Nessun messaggio da leggere  
Allegato(i)
Progetto: Bibliografia ragionata dei lavori entomologici nei quali sono citati reperti apparsi su FEI

[ Vai alla paginaVai alla pagina: 1, 2, 3 ]

 

Velvet Ant

33

1463060

06/07/2023, 18:31

Orotrechus Vedi ultimo messaggio

Nessun messaggio da leggere
Allegato(i)
Mimesi, il primo documentario cinematografico sull’entomologia in Italia: casting
 

mazzeip

1

1108199

28/02/2019, 20:26

mazzeip Vedi ultimo messaggio

Questo argomento è bloccato, non puoi modificare o inviare ulteriori messaggi.
Allegato(i)
ISTRUZIONI PUBBLICAZIONE NUOVI ARGOMENTI E FOTO

 
Altri Ordini di Insetti

Julodis

4

2914354

13/05/2015, 19:37

Julodis Vedi ultimo messaggio

Nessun messaggio da leggere
Allegato(i)
Limitatore giornaliero di messaggi, uno strumento utile e ormai indispensabile

[ Vai alla paginaVai alla pagina: 1 ... 14, 15, 16 ]

 

Velvet Ant

233

12959629

25/09/2014, 14:31

Inachis Vedi ultimo messaggio

Nessun messaggio da leggere  
NORME PER I COLLABORATORI DEL FORUM

 
 

Velvet Ant

0

648356

02/06/2011, 12:05

Velvet Ant Vedi ultimo messaggio

Nessun messaggio da leggere
Allegato(i)
NORME PER GLI UTENTI DEL FORUM

[ Vai alla paginaVai alla pagina: 1, 2, 3 ]



 
 

Velvet Ant

30

3579202

23/09/2014, 23:54

Maurizio Bollino Vedi ultimo messaggio

Questo argomento è bloccato, non puoi modificare o inviare ulteriori messaggi.  
Elenco delle specie italiane di Cerambycidae presenti sul forum
Cerambycidae


 
Coleoptera

Plagionotus

0

6268

22/11/2010, 22:28

Plagionotus Vedi ultimo messaggio

Nessun messaggio da leggere  
Lista degli utenti del "Forum entomologi italiani" per campi di interesse e specializzazione

 
Altri Ordini di Insetti

Velvet Ant

13

1057163

07/09/2023, 17:14

Roberto-07 Vedi ultimo messaggio

Argomenti
Nessun messaggio da leggere
Aromia moschata moschata (Linnaeus, 1758) - Cerambycidae
7.IX.2014 - ITALIA - Lazio - VT
Allegato(i) Dettagli della specie
Aromia moschata moschata (Linnaeus, 1758)
Cerambycidae


7.IX.2014 - ITALIA - Lazio - VT
Coleoptera

babunco

4

1604

12/09/2014, 8:09

Julodis Vedi ultimo messaggio

Nessun messaggio da leggere
Rusticoclytus rusticus (Linnaeus, 1758) - Cerambycidae
27.VIII.2014 - ITALIA - Sardegna - CA
Allegato(i) Dettagli della specie
Rusticoclytus rusticus (Linnaeus, 1758)
Cerambycidae


27.VIII.2014 - ITALIA - Sardegna - CA
Coleoptera

Fumea crassiorella

2

1163

11/09/2014, 13:23

Uncle Adam Vedi ultimo messaggio

Nessun messaggio da leggere
Allegato(i) Dettagli della specie
Monochamus galloprovincialis (Olivier, 1795)
Cerambycidae


8.VI.2014 - ITALIA - Marche - AN
Coleoptera

StagBeetle

2

1114

08/09/2014, 20:58

StagBeetle Vedi ultimo messaggio

Nessun messaggio da leggere
Vesperus luridus (Rossi, 1794) - Cerambycidae
7.IX.2014 - ITALIA - Lazio - RM
Allegato(i) Dettagli della specie
Vesperus luridus (Rossi, 1794)
Cerambycidae


7.IX.2014 - ITALIA - Lazio - RM
Coleoptera

Julodis

7

2106

08/09/2014, 16:00

Julodis Vedi ultimo messaggio

Nessun messaggio da leggere
Rhamnusium bicolor demaggii Tippmann, 1956 - Cerambycidae
28.V.2013 - ITALIA - Lazio - RM
Allegato(i) Dettagli della specie
Rhamnusium bicolor demaggii Tippmann, 1956
Cerambycidae

[ Vai alla paginaVai alla pagina: 1, 2 ]



28.V.2013 - ITALIA - Lazio - RM
Coleoptera

Julodis

17

3958

07/09/2014, 16:27

Entomarci Vedi ultimo messaggio

Nessun messaggio da leggere
Allegato(i) Dettagli della specie
Dorcadion (Pedestredorcadion) arenarium marsicanum Fracassi, 1905
Cerambycidae


4.VI.1997 - ITALIA - Veneto - VI
Coleoptera

megalottero

8

2370

07/09/2014, 10:40

Plagionotus Vedi ultimo messaggio

Nessun messaggio da leggere
Trichoferus holosericeus (Rossi, 1790) - Cerambycidae
17.VIII.2014 - ITALIA - Sardegna - CA
Allegato(i) Dettagli della specie
Trichoferus holosericeus (Rossi, 1790)
Cerambycidae


17.VIII.2014 - ITALIA - Sardegna - CA
Coleoptera

ruzzpa

2

1129

06/09/2014, 18:17

ruzzpa Vedi ultimo messaggio

Nessun messaggio da leggere
Vesperus luridus (Rossi, 1794) - Cerambycidae
31.VIII.2014 - ITALIA - Puglia - BT
Allegato(i) Dettagli della specie
Vesperus luridus (Rossi, 1794)
Cerambycidae


31.VIII.2014 - ITALIA - Puglia - BT
Coleoptera

beginner

1

1383

04/09/2014, 23:53

Julodis Vedi ultimo messaggio

Nessun messaggio da leggere
Phytoecia nigricornis (Fabricius, 1782) - Cerambycidae
5.VI.2014 - ITALIA - Campania - AV
Allegato(i) Dettagli della specie
Phytoecia nigricornis (Fabricius, 1782)
Cerambycidae


5.VI.2014 - ITALIA - Campania - AV
Coleoptera

f.izzillo

14

2833

04/09/2014, 17:14

f.izzillo Vedi ultimo messaggio

Nessun messaggio da leggere
Vesperus luridus (Rossi, 1794) - Cerambycidae
2.IX.2014 - ITALIA - Marche - PU
Allegato(i) Dettagli della specie
Vesperus luridus (Rossi, 1794)
Cerambycidae


2.IX.2014 - ITALIA - Marche - PU
Coleoptera

marco paglialunga

1

1270

03/09/2014, 21:40

Julodis Vedi ultimo messaggio

Nessun messaggio da leggere
Rosalia (Rosalia) alpina alpina (Linnaeus, 1758) - Cerambycidae
31.VIII.2014 - ITALIA - Marche - FM
Allegato(i) Dettagli della specie
Rosalia (Rosalia) alpina alpina (Linnaeus, 1758)
Cerambycidae


31.VIII.2014 - ITALIA - Marche - FM
Coleoptera

Carlo A.

5

1555

03/09/2014, 21:17

Carlo A. Vedi ultimo messaggio

Nessun messaggio da leggere
Obrium cantharinum (Linnaeus, 1767) - Cerambycidae
VII.2014 - ITALIA - Toscana - SI
Allegato(i) Dettagli della specie
Obrium cantharinum (Linnaeus, 1767)
Cerambycidae


VII.2014 - ITALIA - Toscana - SI
Coleoptera

Anillus

9

2376

31/08/2014, 21:08

Xylosteus Vedi ultimo messaggio

Nessun messaggio da leggere
Hylotrupes bajulus (Linnaeus, 1758) - Cerambycidae
3.VIII.2014 - ITALIA - Marche - MC
Allegato(i) Dettagli della specie
Hylotrupes bajulus (Linnaeus, 1758)
Cerambycidae


3.VIII.2014 - ITALIA - Marche - MC
Coleoptera

StagBeetle

0

908

29/08/2014, 20:18

StagBeetle Vedi ultimo messaggio

Nessun messaggio da leggere
Stenurella melanura (Linnaeus, 1758) - Cerambycidae
18.V.2013 - ITALIA - Toscana - PI
Allegato(i) Dettagli della specie
Stenurella melanura (Linnaeus, 1758)
Cerambycidae


18.V.2013 - ITALIA - Toscana - PI
Coleoptera

Stefano79

2

1143

29/08/2014, 12:36

Stefano79 Vedi ultimo messaggio

Nessun messaggio da leggere
Herophila tristis tristis (Linnaeus, 1767) - Cerambycidae
25.V.2014 - ITALIA - Abruzzo - AQ
Allegato(i) Dettagli della specie
Herophila tristis tristis (Linnaeus, 1767)
Cerambycidae


25.V.2014 - ITALIA - Abruzzo - AQ
Coleoptera

Logoste

2

941

27/08/2014, 17:44

Logoste Vedi ultimo messaggio

Nessun messaggio da leggere
Penichroa fasciata (Stephens, 1831) - Cerambycidae
27.VI.2014 - ITALIA - Toscana - LI
Allegato(i) Dettagli della specie
Penichroa fasciata (Stephens, 1831)
Cerambycidae


27.VI.2014 - ITALIA - Toscana - LI
Coleoptera

Stefano79

8

1608

26/08/2014, 15:09

Xylosteus Vedi ultimo messaggio

Nessun messaggio da leggere
Allegato(i) Dettagli della specie
Grammoptera ruficornis ruficornis (Fabricius, 1781)
Cerambycidae


18.V.2013 - ITALIA - Toscana - PI
Coleoptera

Stefano79

4

1058

26/08/2014, 7:59

Stefano79 Vedi ultimo messaggio

Nessun messaggio da leggere
Allegato(i) Dettagli della specie
Agapanthia (Agapanthia) cardui (Linnaeus, 1767)
Cerambycidae


5.V.2012 - ITALIA - Toscana - PI
Coleoptera

Stefano79

4

1246

26/08/2014, 7:59

Stefano79 Vedi ultimo messaggio

Nessun messaggio da leggere
Morimus asper asper (Sulzer, 1776) - Cerambycidae
15.VIII.2014 - ITALIA - Toscana - GR
Allegato(i) Dettagli della specie
Morimus asper asper (Sulzer, 1776)
Cerambycidae


15.VIII.2014 - ITALIA - Toscana - GR
Coleoptera

skip

11

2013

25/08/2014, 18:21

skip Vedi ultimo messaggio

Nessun messaggio da leggere
Stenopterus ater (Linnaeus, 1767) - Cerambycidae
11.VI.2014 - ITALIA - Toscana - PI
Allegato(i) Dettagli della specie
Stenopterus ater (Linnaeus, 1767)
Cerambycidae


11.VI.2014 - ITALIA - Toscana - PI
Coleoptera

Stefano79

2

1102

25/08/2014, 8:15

Stefano79 Vedi ultimo messaggio

Nessun messaggio da leggere
Gaurotes (Carilia) virginea (Linnaeus, 1758) - Cerambycidae
24.VIII.2014 - ITALIA - Friuli-Venezia Giulia - PN
Allegato(i) Dettagli della specie
Gaurotes (Carilia) virginea (Linnaeus, 1758)
Cerambycidae


24.VIII.2014 - ITALIA - Friuli-Venezia Giulia - PN
Coleoptera

andreah

3

1383

24/08/2014, 11:55

andreah Vedi ultimo messaggio

Nessun messaggio da leggere
Monochamus galloprovincialis (Olivier, 1795) - Cerambycidae
20.VIII.2014 - ITALIA - Marche - PU
Allegato(i) Dettagli della specie
Monochamus galloprovincialis (Olivier, 1795)
Cerambycidae


20.VIII.2014 - ITALIA - Marche - PU
Coleoptera

marco paglialunga

5

1916

24/08/2014, 8:36

Julodis Vedi ultimo messaggio

Nessun messaggio da leggere
Vesperus macropterus Sama, 1999 - Cerambycidae
22.VIII.2014 - ITALIA - Sardegna - OG
Allegato(i) Dettagli della specie
Vesperus macropterus Sama, 1999
Cerambycidae


22.VIII.2014 - ITALIA - Sardegna - OG
Coleoptera

Gianni Lai

6

10198

23/08/2014, 22:03

Gianni Lai Vedi ultimo messaggio

Nessun messaggio da leggere
Phymatodes testaceus (Linnaeus, 1758) - Cerambycidae
8.V.2013 - ITALIA - Toscana - PI
Allegato(i) Dettagli della specie
Phymatodes testaceus (Linnaeus, 1758)
Cerambycidae


8.V.2013 - ITALIA - Toscana - PI
Coleoptera

Stefano79

2

1454

23/08/2014, 13:17

Stefano79 Vedi ultimo messaggio

Nessun messaggio da leggere
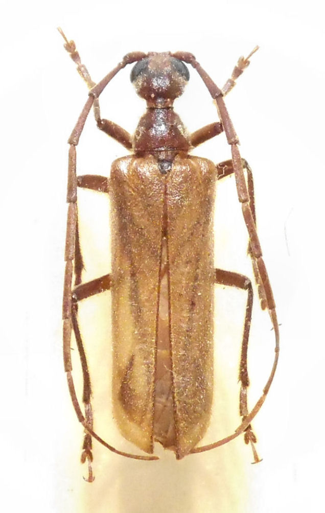
Vesperus strepens (Fabricius, 1792) - Cerambycidae
1.V.2003 - ITALIA - Liguria - IM
Allegato(i) Dettagli della specie
Vesperus strepens (Fabricius, 1792)
Cerambycidae


1.V.2003 - ITALIA - Liguria - IM
Coleoptera

Chalybion

9

3021

17/08/2014, 18:32

Plagionotus Vedi ultimo messaggio

Nessun messaggio da leggere
Xylotrechus (Xylotrechus) stebbingi Gahan, 1906 - Cerambycidae
12.VIII.2014 - ITALIA - Friuli-Venezia Giulia - TS
Allegato(i) Dettagli della specie
Xylotrechus (Xylotrechus) stebbingi Gahan, 1906
Cerambycidae


12.VIII.2014 - ITALIA - Friuli-Venezia Giulia - TS
Coleoptera

Bemisia

2

1124

12/08/2014, 20:02

Bemisia Vedi ultimo messaggio

Nessun messaggio da leggere
Allegato(i) Dettagli della specie
Xylotrechus (Xylotrechus) stebbingi Gahan, 1906
Cerambycidae


6.VIII.2014 - ITALIA - Molise - IS
Coleoptera

Franco ROSSI

2

1374

11/08/2014, 11:15

Franco ROSSI Vedi ultimo messaggio

Nessun messaggio da leggere
Acanthocinus aedilis (Linnaeus, 1758) - Cerambycidae
25.VI.2014 - ITALIA - Lombardia - SO
Allegato(i) Dettagli della specie
Acanthocinus aedilis (Linnaeus, 1758)
Cerambycidae


25.VI.2014 - ITALIA - Lombardia - SO
Coleoptera

skip

8

3298

11/08/2014, 8:56

skip Vedi ultimo messaggio

Nessun messaggio da leggere
Stictoleptura rubra rubra (Linnaeus, 1758) - Cerambycidae
5.VIII.2014 - ITALIA - Toscana - FI
Allegato(i) Dettagli della specie
Stictoleptura rubra rubra (Linnaeus, 1758)
Cerambycidae


5.VIII.2014 - ITALIA - Toscana - FI
Coleoptera

skip

3

1523

07/08/2014, 17:09

skip Vedi ultimo messaggio

Nessun messaggio da leggere
Aromia moschata moschata (Linnaeus, 1758) - Cerambycidae
6.VIII.2014 - ITALIA - Piemonte - VC
Allegato(i) Dettagli della specie
Aromia moschata moschata (Linnaeus, 1758)
Cerambycidae


6.VIII.2014 - ITALIA - Piemonte - VC
Coleoptera

farinetti

4

2198

07/08/2014, 11:11

Julodis Vedi ultimo messaggio

Nessun messaggio da leggere
Aegosoma scabricorne (Scopoli, 1763) - Cerambycidae
20.VII.2014 - ITALIA - Sicilia - PA
Allegato(i) Dettagli della specie
Aegosoma scabricorne (Scopoli, 1763)
Cerambycidae


20.VII.2014 - ITALIA - Sicilia - PA
Coleoptera

Caliddo

1

1437

06/08/2014, 16:40

Julodis Vedi ultimo messaggio

Nessun messaggio da leggere
Stictoleptura rubra rubra (Linnaeus, 1758) - Cerambycidae
19.VII.2014 - ITALIA - Lombardia - BS
Allegato(i) Dettagli della specie
Stictoleptura rubra rubra (Linnaeus, 1758)
Cerambycidae


19.VII.2014 - ITALIA - Lombardia - BS
Coleoptera

Peter

4

1663

06/08/2014, 14:05

Peter Vedi ultimo messaggio

Nessun messaggio da leggere
Prionus coriarius (Linnaeus, 1758) - Cerambycidae
3.VIII.2014 - ITALIA - Sicilia - PA
Allegato(i) Dettagli della specie
Prionus coriarius (Linnaeus, 1758)
Cerambycidae


3.VIII.2014 - ITALIA - Sicilia - PA
Coleoptera

Caliddo

1

831

05/08/2014, 16:43

hypotyphlus Vedi ultimo messaggio

Nessun messaggio da leggere
Allegato(i) Dettagli della specie
Xylotrechus (Xylotrechus) arvicola (Olivier, 1795)
Cerambycidae


2.VIII.2014 - ITALIA - Sicilia - PA
Coleoptera

Caliddo

1

844

04/08/2014, 19:00

Phytoecia Vedi ultimo messaggio

Nessun messaggio da leggere
Stenurella melanura (Linnaeus, 1758) - Cerambycidae
29.VII.2014 - ITALIA - Liguria - GE
Allegato(i) Dettagli della specie
Stenurella melanura (Linnaeus, 1758)
Cerambycidae


29.VII.2014 - ITALIA - Liguria - GE
Coleoptera

venturini

2

903

04/08/2014, 14:45

venturini Vedi ultimo messaggio

Nessun messaggio da leggere
Paracorymbia fulva (De Geer, 1775) - Cerambycidae
25.VII.2014 - ITALIA - Liguria - GE
Allegato(i) Dettagli della specie
Paracorymbia fulva (De Geer, 1775)
Cerambycidae


25.VII.2014 - ITALIA - Liguria - GE
Coleoptera

venturini

2

1115

03/08/2014, 17:03

venturini Vedi ultimo messaggio

Nessun messaggio da leggere
Allegato(i) Dettagli della specie
Xylotrechus (Xylotrechus) stebbingi Gahan, 1906
Cerambycidae


31.VII.2014 - ITALIA - Marche - PU
Coleoptera

Julodis

4

1229

31/07/2014, 21:55

Julodis Vedi ultimo messaggio

Nessun messaggio da leggere
Aegomorphus clavipes (Schrank, 1781) - Cerambycidae
23.VII.2014 - ITALIA - Sardegna - CA
Allegato(i) Dettagli della specie
Aegomorphus clavipes (Schrank, 1781)
Cerambycidae


23.VII.2014 - ITALIA - Sardegna - CA
Coleoptera

Fumea crassiorella

0

798

30/07/2014, 10:24

Fumea crassiorella Vedi ultimo messaggio

Nessun messaggio da leggere
Saperda punctata (Linnaeus, 1767) - Cerambycidae
10.VI.2014 - ITALIA - Emilia-Romagna - BO
Allegato(i) Dettagli della specie
Saperda punctata (Linnaeus, 1767)
Cerambycidae


10.VI.2014 - ITALIA - Emilia-Romagna - BO
Coleoptera

sarsar09

5

1265

29/07/2014, 15:22

sarsar09 Vedi ultimo messaggio

Nessun messaggio da leggere
Saperda punctata (Linnaeus, 1767) - Cerambycidae
25.VII.2014 - ITALIA - Sicilia - PA
Allegato(i) Dettagli della specie
Saperda punctata (Linnaeus, 1767)
Cerambycidae


25.VII.2014 - ITALIA - Sicilia - PA
Coleoptera

carabus

3

1252

27/07/2014, 22:48

Julodis Vedi ultimo messaggio

Nessun messaggio da leggere
Allegato(i) Dettagli della specie
Rosalia (Rosalia) alpina alpina (Linnaeus, 1758)
Cerambycidae


20.VII.2014 - ITALIA - Marche - FM
Coleoptera

StagBeetle

7

2111

25/07/2014, 20:35

StagBeetle Vedi ultimo messaggio

Nessun messaggio da leggere
Acanthocinus henschi henschi Reitter, 1900 - Cerambycidae
9.VI.2014 - ITALIA - Veneto - BL
Allegato(i) Dettagli della specie
Acanthocinus henschi henschi Reitter, 1900
Cerambycidae


9.VI.2014 - ITALIA - Veneto - BL
Coleoptera

michele.carraretto

3

1903

25/07/2014, 17:49

michele.carraretto Vedi ultimo messaggio

Nessun messaggio da leggere
Aegomorphus clavipes (Schrank, 1781) - Cerambycidae
20.VII.2014 - ITALIA - Toscana - FI
Allegato(i) Dettagli della specie
Aegomorphus clavipes (Schrank, 1781)
Cerambycidae


20.VII.2014 - ITALIA - Toscana - FI
Coleoptera

skip

3

1892

21/07/2014, 16:11

skip Vedi ultimo messaggio

Nessun messaggio da leggere
Niphona picticornis Mulsant, 1839 - Cerambycidae
2.VI.2014 - ITALIA - Toscana - LI
Allegato(i) Dettagli della specie
Niphona picticornis Mulsant, 1839
Cerambycidae

[ Vai alla paginaVai alla pagina: 1, 2 ]



2.VI.2014 - ITALIA - Toscana - LI
Coleoptera

barbara314

18

4484

20/07/2014, 19:07

Mauro Vedi ultimo messaggio

Nessun messaggio da leggere
Phymatodes testaceus (Linnaeus, 1758) - Cerambycidae
15.VII.2014 - ITALIA - Liguria - GE
Allegato(i) Dettagli della specie
Phymatodes testaceus (Linnaeus, 1758)
Cerambycidae


15.VII.2014 - ITALIA - Liguria - GE
Coleoptera

venturini

2

1160

18/07/2014, 6:48

venturini Vedi ultimo messaggio

Nessun messaggio da leggere
Chlorophorus varius varius (O. F. Müller, 1766) - Cerambycidae
13.VII.2014 - ITALIA - Piemonte - AL
Allegato(i) Dettagli della specie
Chlorophorus varius varius (O. F. Müller, 1766)
Cerambycidae


13.VII.2014 - ITALIA - Piemonte - AL
Coleoptera

Il Duca

1

1039

16/07/2014, 13:16

marco villa Vedi ultimo messaggio

Nessun messaggio da leggere
Pogonocherus eugeniae eugeniae Ganglbauer, 1891 - Cerambycidae
12.VII.2014 - ITALIA - Basilicata - PZ
Allegato(i) Dettagli della specie
Pogonocherus eugeniae eugeniae Ganglbauer, 1891
Cerambycidae


12.VII.2014 - ITALIA - Basilicata - PZ
Coleoptera

f.izzillo

2

1262

15/07/2014, 18:33

f.izzillo Vedi ultimo messaggio

Nessun messaggio da leggere
Allegato(i) Dettagli della specie
Xylotrechus (Xylotrechus) stebbingi Gahan, 1906
Cerambycidae


21.VI.2014 - ITALIA - Lazio - RM
Coleoptera

babunco

2

1100

15/07/2014, 15:20

babunco Vedi ultimo messaggio

Nessun messaggio da leggere
Leiopus nebulosus nebulosus (Linnaeus, 1758) - Cerambycidae
20.VI.2014 - ITALIA - Toscana - FI
Allegato(i) Dettagli della specie
Leiopus nebulosus nebulosus (Linnaeus, 1758)
Cerambycidae


20.VI.2014 - ITALIA - Toscana - FI
Coleoptera

skip

4

1480

15/07/2014, 12:06

skip Vedi ultimo messaggio

Nessun messaggio da leggere
Trichoferus holosericeus (Rossi, 1790) - Cerambycidae
14.VIII.2013 - ITALIA - Emilia-Romagna - BO
Allegato(i) Dettagli della specie
Trichoferus holosericeus (Rossi, 1790)
Cerambycidae


14.VIII.2013 - ITALIA - Emilia-Romagna - BO
Coleoptera

Drjack

3

1488

15/07/2014, 7:42

Drjack Vedi ultimo messaggio

Visualizza ultimi argomenti:  Ordina per  Ordine:  
nuovo argomento
Vai alla pagina Precedente  1 ... 19, 20, 21, 22, 23, 24, 25 ... 59  Prossimo
Pagina 22 di 59 [ 2928 argomenti ]

Tutti gli orari sono UTC + 1 ora [ ora legale ]


Chi c’è in linea

Visitano il forum: Nessuno e 3 ospiti


Legenda
Messaggi da leggere Messaggi da leggere Nessun messaggio da leggere Nessun messaggio da leggere Annuncio Annuncio
 
Specie indeterminata / discussione generica
Messaggi non letti [ Popolari ] Messaggi non letti [ Popolari ] Nessun messaggio da leggere [ Popolare ] Nessun messaggio da leggere [ Popolare ] Importante Importante
 
Specie determinata fino al genere o cf.
Messaggi non letti [ Bloccati ] Messaggi non letti [ Bloccati ] No messaggi non letti [ Bloccati ] No messaggi non letti [ Bloccati ] Argomento spostato Argomento spostato
 
Specie correttamente determinata
Permessi
Non puoi aprire nuovi argomenti
Non puoi rispondere negli argomenti
Non puoi modificare i tuoi messaggi
Non puoi cancellare i tuoi messaggi
Non puoi inviare allegati

Cerca per:
Vai a: