Benvenuto Ospite

Forum Entomologi Italiani

www.entomologiitaliani.net/forum
 
Oggi è 28/05/2026, 2:59

Tutti gli orari sono UTC + 1 ora [ ora legale ]


92% 
2929 taxa correttamente determinati su 3183 presenti in archivio

Cerambycidae


[ AFROTROPICALE ] [ ANTARTICO ] [ AUSTRALASIANO ] [ NEARTICO ] [ NEOTROPICALE ] [ ORIENTALE ] [ PALEARTICO ]


nuovo argomento
Vai alla pagina Precedente  1, 2, 3, 4, 5, 6, 7 ... 103  Prossimo
Pagina 4 di 103 [ 5110 argomenti ]
 Argomenti   Ordine   Autore   Risposte   Visite    Ultimo messaggio 
Annunci
Nessun messaggio da leggere
Allegato(i)
Incontri entomologici della Società Entomologica Italiana 2025-2026
 

Velvet Ant

0

67742

17/11/2025, 19:41

Velvet Ant Vedi ultimo messaggio

Nessun messaggio da leggere
Allegato(i)
Incontri entomologici telematici organizzati dalla Società Entomologica Italiana nel 2022 e nel 2023

[ Vai alla paginaVai alla pagina: 1, 2, 3 ]

 

Velvet Ant

44

2175929

03/03/2023, 15:55

Velvet Ant Vedi ultimo messaggio

Nessun messaggio da leggere  
Allegato(i)
Sondaggio sul declino dell'entomofauna in Italia

[ Vai alla paginaVai alla pagina: 1, 2, 3, 4 ]

 

Velvet Ant

52

2865384

22/10/2022, 19:18

Acquarius Vedi ultimo messaggio

Nessun messaggio da leggere  
Allegato(i)
Progetto: Bibliografia ragionata dei lavori entomologici nei quali sono citati reperti apparsi su FEI

[ Vai alla paginaVai alla pagina: 1, 2, 3 ]

 

Velvet Ant

33

1744669

06/07/2023, 18:31

Orotrechus Vedi ultimo messaggio

Nessun messaggio da leggere
Allegato(i)
Mimesi, il primo documentario cinematografico sull’entomologia in Italia: casting
 

mazzeip

1

1163411

28/02/2019, 20:26

mazzeip Vedi ultimo messaggio

Questo argomento è bloccato, non puoi modificare o inviare ulteriori messaggi.
Allegato(i)
ISTRUZIONI PUBBLICAZIONE NUOVI ARGOMENTI E FOTO

 
Altri Ordini di Insetti

Julodis

4

2990965

13/05/2015, 19:37

Julodis Vedi ultimo messaggio

Nessun messaggio da leggere
Allegato(i)
Limitatore giornaliero di messaggi, uno strumento utile e ormai indispensabile

[ Vai alla paginaVai alla pagina: 1 ... 14, 15, 16 ]

 

Velvet Ant

233

14501461

25/09/2014, 14:31

Inachis Vedi ultimo messaggio

Nessun messaggio da leggere  
NORME PER I COLLABORATORI DEL FORUM

 
 

Velvet Ant

0

691480

02/06/2011, 12:05

Velvet Ant Vedi ultimo messaggio

Nessun messaggio da leggere
Allegato(i)
NORME PER GLI UTENTI DEL FORUM

[ Vai alla paginaVai alla pagina: 1, 2, 3 ]



 
 

Velvet Ant

30

3859453

23/09/2014, 23:54

Maurizio Bollino Vedi ultimo messaggio

Questo argomento è bloccato, non puoi modificare o inviare ulteriori messaggi.  
Elenco delle specie italiane di Cerambycidae presenti sul forum
Cerambycidae


 
Coleoptera

Plagionotus

0

6516

22/11/2010, 22:28

Plagionotus Vedi ultimo messaggio

Nessun messaggio da leggere  
Lista degli utenti del "Forum entomologi italiani" per campi di interesse e specializzazione

 
Altri Ordini di Insetti

Velvet Ant

13

1185203

07/09/2023, 17:14

Roberto-07 Vedi ultimo messaggio

Argomenti
Nessun messaggio da leggere
Clytus arietis arietis (Linnaeus, 1758) - Cerambycidae
3.VII.2022 - ITALIA - Toscana - PT
Allegato(i) Dettagli della specie
Clytus arietis arietis (Linnaeus, 1758)
Cerambycidae


3.VII.2022 - ITALIA - Toscana - PT
Coleoptera

Parentesi

4

1040

31/08/2022, 16:54

Parentesi Vedi ultimo messaggio

Nessun messaggio da leggere
Allegato(i) Dettagli della specie
Agapanthia (Agapanthia) suturalis (Fabricius, 1787)
Cerambycidae


14.V.2022 - ITALIA - Sardegna - VS
Coleoptera

Chalybion

0

639

28/08/2022, 20:35

Chalybion Vedi ultimo messaggio

Nessun messaggio da leggere
Rutpela maculata maculata (Poda, 1761) - Cerambycidae
28.VI.2022 - ITALIA - Valle d'Aosta - AO
Allegato(i) Dettagli della specie
Rutpela maculata maculata (Poda, 1761)
Cerambycidae


28.VI.2022 - ITALIA - Valle d'Aosta - AO
Coleoptera

carlos

1

650

24/08/2022, 19:36

Chalybion Vedi ultimo messaggio

Nessun messaggio da leggere
Stenurella melanura (Linnaeus, 1758) - Cerambycidae
7.VII.2021 - ITALIA - Lombardia - BG
Allegato(i) Dettagli della specie
Stenurella melanura (Linnaeus, 1758)
Cerambycidae


7.VII.2021 - ITALIA - Lombardia - BG
Coleoptera

Giuseppe Zanetti

3

986

21/08/2022, 11:42

Giuseppe Zanetti Vedi ultimo messaggio

Nessun messaggio da leggere
Leiopus nebulosus nebulosus (Linnaeus, 1758) - Cerambycidae
14.VII.2022 - ITALIA - Toscana - PT
Allegato(i) Dettagli della specie
Leiopus nebulosus nebulosus (Linnaeus, 1758)
Cerambycidae


14.VII.2022 - ITALIA - Toscana - PT
Coleoptera

Parentesi

2

749

20/08/2022, 20:47

Parentesi Vedi ultimo messaggio

Nessun messaggio da leggere
Allegato(i) Dettagli della specie
Stictoleptura scutellata scutellata (Fabricius, 1781)
Cerambycidae


3.VII.2022 - ITALIA - Toscana - PT
Coleoptera

Parentesi

1

709

20/08/2022, 16:42

Plagionotus Vedi ultimo messaggio

Nessun messaggio da leggere
Leptura aurulenta Fabricius, 1792 - Cerambycidae
3.VII.2022 - ITALIA - Toscana - PT
Allegato(i) Dettagli della specie
Leptura aurulenta Fabricius, 1792
Cerambycidae


3.VII.2022 - ITALIA - Toscana - PT
Coleoptera

Parentesi

1

711

20/08/2022, 16:39

Plagionotus Vedi ultimo messaggio

Nessun messaggio da leggere
Pachytodes cerambyciformis (Schrank, 1781) - Cerambycidae
10.VII.2022 - ITALIA - Friuli-Venezia Giulia - UD
Allegato(i) Dettagli della specie
Pachytodes cerambyciformis (Schrank, 1781)
Cerambycidae


10.VII.2022 - ITALIA - Friuli-Venezia Giulia - UD
Coleoptera

Michele A

2

785

13/08/2022, 21:31

Michele A Vedi ultimo messaggio

Nessun messaggio da leggere
Anastrangalia sanguinolenta (Linnaeus, 1760) - Cerambycidae
28.VII.2022 - ITALIA - Calabria - CS
Allegato(i) Dettagli della specie
Anastrangalia sanguinolenta (Linnaeus, 1760)
Cerambycidae


28.VII.2022 - ITALIA - Calabria - CS
Coleoptera

Enzo.C

3

917

02/08/2022, 9:34

Enzo.C Vedi ultimo messaggio

Nessun messaggio da leggere
Tetropium sp. - Cerambycidae
26.VI.2022 - ITALIA - Friuli-Venezia Giulia - UD
Allegato(i)
Tetropium sp. - Cerambycidae

26.VI.2022 - ITALIA - Friuli-Venezia Giulia - UD
Coleoptera

Michele A

5

1036

29/07/2022, 11:27

Michele A Vedi ultimo messaggio

Nessun messaggio da leggere
Stictoleptura rubra rubra (Linnaeus, 1758) - Cerambycidae
24.VII.2022 - ITALIA - Trentino-Alto Adige - TN
Allegato(i) Dettagli della specie
Stictoleptura rubra rubra (Linnaeus, 1758)
Cerambycidae


24.VII.2022 - ITALIA - Trentino-Alto Adige - TN
Coleoptera

Syrio

2

758

28/07/2022, 23:08

Syrio Vedi ultimo messaggio

Nessun messaggio da leggere
Mesosa nebulosa nebulosa (Fabricius, 1781) cf. - Cerambycidae
20.VI.2020 - ITALIA - Lombardia - BS
Allegato(i) Dettagli della specie
Mesosa nebulosa nebulosa (Fabricius, 1781) cf.
Cerambycidae


20.VI.2020 - ITALIA - Lombardia - BS
Coleoptera

Andre_photon

2

735

28/07/2022, 16:47

Andre_photon Vedi ultimo messaggio

Nessun messaggio da leggere
Allegato(i) Dettagli della specie
Monochamus sutor sutor (Linnaeus, 1758)
Cerambycidae


20.VII.2022 - SLOVENIA - EE
Coleoptera

Dicomed

2

758

22/07/2022, 8:38

Dicomed Vedi ultimo messaggio

Nessun messaggio da leggere
Prionus coriarius (Linnaeus, 1758) - Cerambycidae
5.VII.2013 - ITALIA - Marche - AN
Allegato(i) Dettagli della specie
Prionus coriarius (Linnaeus, 1758)
Cerambycidae


5.VII.2013 - ITALIA - Marche - AN
Coleoptera

StagBeetle

11

2975

21/07/2022, 21:19

gomphus Vedi ultimo messaggio

Nessun messaggio da leggere
Cerambyx welensii (Küster, 1845) - Cerambycidae
28.VI.2022 - ITALIA - Molise - CB
Allegato(i) Dettagli della specie
Cerambyx welensii (Küster, 1845)
Cerambycidae


28.VI.2022 - ITALIA - Molise - CB
Coleoptera

Franco ROSSI

1

790

17/07/2022, 12:42

michele.carraretto Vedi ultimo messaggio

Nessun messaggio da leggere
Cerambyx cerdo cerdo Linnaeus, 1758 - Cerambycidae
13.VII.2022 - ITALIA - Lazio - LT
Allegato(i) Dettagli della specie
Cerambyx cerdo cerdo Linnaeus, 1758
Cerambycidae


13.VII.2022 - ITALIA - Lazio - LT
Coleoptera

kar75

6

1222

16/07/2022, 14:45

marco paglialunga Vedi ultimo messaggio

Nessun messaggio da leggere
Allegato(i) Dettagli della specie
Rosalia (Rosalia) alpina alpina (Linnaeus, 1758)
Cerambycidae


10.VII.2022 - ITALIA - Marche - MC
Coleoptera

StagBeetle

0

612

12/07/2022, 13:43

StagBeetle Vedi ultimo messaggio

Nessun messaggio da leggere
Cerambyx cerdo cerdo Linnaeus, 1758 - Cerambycidae
2.VI.2022 - ITALIA - Toscana - LI
Allegato(i) Dettagli della specie
Cerambyx cerdo cerdo Linnaeus, 1758
Cerambycidae


2.VI.2022 - ITALIA - Toscana - LI
Coleoptera

Stefano79

2

759

10/07/2022, 21:52

Stefano79 Vedi ultimo messaggio

Nessun messaggio da leggere
Gaurotes (Carilia) virginea (Linnaeus, 1758) - Cerambycidae
11.VI.2022 - ITALIA - Friuli-Venezia Giulia - UD
Allegato(i) Dettagli della specie
Gaurotes (Carilia) virginea (Linnaeus, 1758)
Cerambycidae


11.VI.2022 - ITALIA - Friuli-Venezia Giulia - UD
Coleoptera

Michele A

2

770

09/07/2022, 9:02

Michele A Vedi ultimo messaggio

Nessun messaggio da leggere
Aegosoma scabricorne (Scopoli, 1763) - Cerambycidae
25.VI.2021 - ITALIA - Marche - PU
Allegato(i) Dettagli della specie
Aegosoma scabricorne (Scopoli, 1763)
Cerambycidae


25.VI.2021 - ITALIA - Marche - PU
Coleoptera

plumipes

4

1105

06/07/2022, 9:51

Lucanus tetraodon Vedi ultimo messaggio

Nessun messaggio da leggere
Pogonocherus hispidus (Linnaeus, 1758) - Cerambycidae
31.V.2022 - ITALIA - Friuli-Venezia Giulia - PN
Allegato(i) Dettagli della specie
Pogonocherus hispidus (Linnaeus, 1758)
Cerambycidae


31.V.2022 - ITALIA - Friuli-Venezia Giulia - PN
Coleoptera

Gabriele

3

1107

04/07/2022, 14:29

Plagionotus Vedi ultimo messaggio

Nessun messaggio da leggere
Musaria affinis affinis (Harrer, 1784) - Cerambycidae
25.VI.2022 - ITALIA - Trentino-Alto Adige - TN
Allegato(i) Dettagli della specie
Musaria affinis affinis (Harrer, 1784)
Cerambycidae


25.VI.2022 - ITALIA - Trentino-Alto Adige - TN
Coleoptera

Biasi

3

900

28/06/2022, 8:40

Biasi Vedi ultimo messaggio

Nessun messaggio da leggere
Monochamus sutor sutor (Linnaeus, 1758) - Cerambycidae
19.VI.2022 - ITALIA - Trentino-Alto Adige - TN
Allegato(i) Dettagli della specie
Monochamus sutor sutor (Linnaeus, 1758)
Cerambycidae


19.VI.2022 - ITALIA - Trentino-Alto Adige - TN
Coleoptera

Syrio

4

1115

27/06/2022, 20:36

Syrio Vedi ultimo messaggio

Nessun messaggio da leggere
Cerambyx miles Bonelli, 1812 - Cerambycidae
23.VI.2022 - ITALIA - Liguria - IM
Allegato(i) Dettagli della specie
Cerambyx miles Bonelli, 1812
Cerambycidae


23.VI.2022 - ITALIA - Liguria - IM
Coleoptera

Carlo Monari

3

923

26/06/2022, 21:13

Carlo Monari Vedi ultimo messaggio

Nessun messaggio da leggere
Callidium violaceum (Linnaeus, 1758) - Cerambycidae
19.VI.2022 - ITALIA - Trentino-Alto Adige - TN
Allegato(i) Dettagli della specie
Callidium violaceum (Linnaeus, 1758)
Cerambycidae


19.VI.2022 - ITALIA - Trentino-Alto Adige - TN
Coleoptera

Syrio

2

755

25/06/2022, 21:48

Syrio Vedi ultimo messaggio

Nessun messaggio da leggere
Rhagium (Rhagium) inquisitor inquisitor (Linnaeus, 1758) - Cerambycidae
19.VI.2022 - ITALIA - Trentino-Alto Adige - TN
Allegato(i) Dettagli della specie
Rhagium (Rhagium) inquisitor inquisitor (Linnaeus, 1758)
Cerambycidae


19.VI.2022 - ITALIA - Trentino-Alto Adige - TN
Coleoptera

Syrio

2

860

24/06/2022, 19:24

Syrio Vedi ultimo messaggio

Nessun messaggio da leggere
Allegato(i) Dettagli della specie
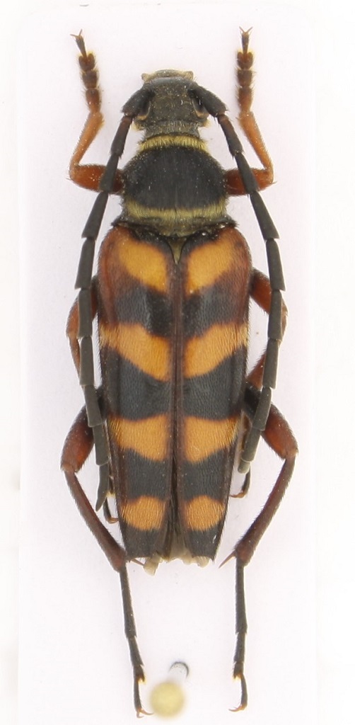
Rosalia (Rosalia) alpina alpina (Linnaeus, 1758)
Cerambycidae

[ Vai alla paginaVai alla pagina: 1, 2, 3 ]



28.VII.2013 - ITALIA - Marche - MC
Coleoptera

StagBeetle

37

9126

19/06/2022, 22:17

StagBeetle Vedi ultimo messaggio

Nessun messaggio da leggere
Cerambyx welensii (Küster, 1845) - Cerambycidae
6.VI.2022 - ITALIA - Marche - AN
Allegato(i) Dettagli della specie
Cerambyx welensii (Küster, 1845)
Cerambycidae


6.VI.2022 - ITALIA - Marche - AN
Coleoptera

StagBeetle

0

758

19/06/2022, 22:12

StagBeetle Vedi ultimo messaggio

Nessun messaggio da leggere
Cerambyx cerdo cerdo Linnaeus, 1758 - Cerambycidae
6.VI.2022 - ITALIA - Marche - AN
Allegato(i) Dettagli della specie
Cerambyx cerdo cerdo Linnaeus, 1758
Cerambycidae


6.VI.2022 - ITALIA - Marche - AN
Coleoptera

StagBeetle

0

694

19/06/2022, 22:10

StagBeetle Vedi ultimo messaggio

Nessun messaggio da leggere
Anastrangalia sanguinolenta (Linnaeus, 1760) - Cerambycidae
5.VI.2022 - ITALIA - Lombardia - SO
Allegato(i) Dettagli della specie
Anastrangalia sanguinolenta (Linnaeus, 1760)
Cerambycidae


5.VI.2022 - ITALIA - Lombardia - SO
Coleoptera

Syrio

3

890

18/06/2022, 21:22

Syrio Vedi ultimo messaggio

Nessun messaggio da leggere
Rutpela maculata maculata (Poda, 1761) - Cerambycidae
17.VI.2022 - ITALIA - Liguria - GE
Allegato(i) Dettagli della specie
Rutpela maculata maculata (Poda, 1761)
Cerambycidae


17.VI.2022 - ITALIA - Liguria - GE
Coleoptera

Antonio Pareto

1

687

17/06/2022, 11:45

Mauro Vedi ultimo messaggio

Nessun messaggio da leggere
Allegato(i) Dettagli della specie
Xylotrechus (Xylotrechus) stebbingi Gahan, 1906
Cerambycidae


16.VI.2022 - ITALIA - Molise - IS
Coleoptera

Franco ROSSI

3

858

16/06/2022, 16:08

Franco ROSSI Vedi ultimo messaggio

Nessun messaggio da leggere
Allegato(i) Dettagli della specie
Xylotrechus (Xylotrechus) stebbingi Gahan, 1906
Cerambycidae


11.VI.2022 - ITALIA - Sicilia - TP
Coleoptera

angelo.ditta

3

858

12/06/2022, 15:26

angelo.ditta Vedi ultimo messaggio

Nessun messaggio da leggere
Stenopterus ater (Linnaeus, 1767) - Cerambycidae
9.VI.2022 - ITALIA - Veneto - VI
Allegato(i) Dettagli della specie
Stenopterus ater (Linnaeus, 1767)
Cerambycidae


9.VI.2022 - ITALIA - Veneto - VI
Coleoptera

barbastrejo

3

779

11/06/2022, 21:10

Xylosteus Vedi ultimo messaggio

Nessun messaggio da leggere
Niphona picticornis Mulsant, 1839 - Cerambycidae
8.VI.2022 - ITALIA - Sicilia - TP
Allegato(i) Dettagli della specie
Niphona picticornis Mulsant, 1839
Cerambycidae


8.VI.2022 - ITALIA - Sicilia - TP
Coleoptera

angelo.ditta

2

727

10/06/2022, 19:19

angelo.ditta Vedi ultimo messaggio

Nessun messaggio da leggere
Phymatodes testaceus (Linnaeus, 1758) - Cerambycidae
5.V.2020 - ITALIA - Veneto - VI
Allegato(i) Dettagli della specie
Phymatodes testaceus (Linnaeus, 1758)
Cerambycidae


5.V.2020 - ITALIA - Veneto - VI
Coleoptera

barbastrejo

4

942

07/06/2022, 20:57

barbastrejo Vedi ultimo messaggio

Nessun messaggio da leggere
Oxymirus cursor (Linnaeus, 1758) - Cerambycidae
5.VI.2022 - ITALIA - Lombardia - SO
Allegato(i) Dettagli della specie
Oxymirus cursor (Linnaeus, 1758)
Cerambycidae


5.VI.2022 - ITALIA - Lombardia - SO
Coleoptera

Syrio

2

791

06/06/2022, 22:32

Syrio Vedi ultimo messaggio

Nessun messaggio da leggere
Penichroa fasciata (Stephens, 1831) - Cerambycidae
3.VI.2022 - ITALIA - Sicilia - TP
Allegato(i) Dettagli della specie
Penichroa fasciata (Stephens, 1831)
Cerambycidae


3.VI.2022 - ITALIA - Sicilia - TP
Coleoptera

angelo.ditta

2

795

06/06/2022, 9:27

angelo.ditta Vedi ultimo messaggio

Nessun messaggio da leggere
Penichroa fasciata (Stephens, 1831) - Cerambycidae
3.VI.2022 - ITALIA - Sicilia - TP
Allegato(i) Dettagli della specie
Penichroa fasciata (Stephens, 1831)
Cerambycidae


3.VI.2022 - ITALIA - Sicilia - TP
Coleoptera

angelo.ditta

2

817

05/06/2022, 14:24

angelo.ditta Vedi ultimo messaggio

Nessun messaggio da leggere
Allegato(i) Dettagli della specie
Plagionotus scalaris (Brullé, 1832)
Cerambycidae


20.VI.2008 - GRECIA - EE
Coleoptera

StagBeetle

0

546

04/06/2022, 19:32

StagBeetle Vedi ultimo messaggio

Nessun messaggio da leggere
Stenostola ferrea (Schrank, 1776) - Cerambycidae
31.VII.2014 - POLONIA - EE
Allegato(i) Dettagli della specie
Stenostola ferrea (Schrank, 1776)
Cerambycidae


31.VII.2014 - POLONIA - EE
Coleoptera

StagBeetle

0

464

04/06/2022, 19:32

StagBeetle Vedi ultimo messaggio

Nessun messaggio da leggere
Allegato(i) Dettagli della specie
Oberea (Amaurostoma) erythrocephala erythrocephala (Schrank, 1776)
Cerambycidae


10.VI.2006 - SPAGNA - EE
Coleoptera

StagBeetle

0

504

03/06/2022, 19:32

StagBeetle Vedi ultimo messaggio

Nessun messaggio da leggere
Allegato(i) Dettagli della specie
Phytoecia nigricornis (Fabricius, 1782)
Cerambycidae


5.VI.2021 - POLONIA - EE
Coleoptera

StagBeetle

0

516

03/06/2022, 19:32

StagBeetle Vedi ultimo messaggio

Nessun messaggio da leggere
Allegato(i) Dettagli della specie
Oberea (Amaurostoma) erythrocephala erythrocephala (Schrank, 1776)
Cerambycidae


 
Coleoptera

StagBeetle

0

418

02/06/2022, 19:32

StagBeetle Vedi ultimo messaggio

Nessun messaggio da leggere
Allegato(i) Dettagli della specie
Oberea (Amaurostoma) erythrocephala erythrocephala (Schrank, 1776)
Cerambycidae


28.V.1999 - BULGARIA - EE
Coleoptera

StagBeetle

0

512

02/06/2022, 19:32

StagBeetle Vedi ultimo messaggio

Nessun messaggio da leggere
Monochamus sutor sutor (Linnaeus, 1758) - Cerambycidae
27.V.2022 - ITALIA - Trentino-Alto Adige - BZ
Allegato(i) Dettagli della specie
Monochamus sutor sutor (Linnaeus, 1758)
Cerambycidae


27.V.2022 - ITALIA - Trentino-Alto Adige - BZ
Coleoptera

Andrea Pergine

4

1313

02/06/2022, 10:04

Andrea Pergine Vedi ultimo messaggio

Nessun messaggio da leggere
Allegato(i) Dettagli della specie
Agapanthia (Agapanthia) cardui (Linnaeus, 1767)
Cerambycidae


28.IV.2022 - ITALIA - Lazio - RM
Coleoptera

soken

2

838

30/05/2022, 16:44

soken Vedi ultimo messaggio

Nessun messaggio da leggere
Exocentrus punctipennis Mulsant & Guillebeau, 1856 - Cerambycidae
27.V.2022 - ITALIA - Friuli-Venezia Giulia - PN
Allegato(i) Dettagli della specie
Exocentrus punctipennis Mulsant & Guillebeau, 1856
Cerambycidae


27.V.2022 - ITALIA - Friuli-Venezia Giulia - PN
Coleoptera

Gabriele

2

799

29/05/2022, 20:45

Gabriele Vedi ultimo messaggio

Nessun messaggio da leggere
Allegato(i) Dettagli della specie
Pidonia (Pidonia) lurida (Fabricius, 1792)
Cerambycidae


7.VI.1997 - POLONIA - EE
Coleoptera

StagBeetle

0

483

27/05/2022, 19:32

StagBeetle Vedi ultimo messaggio

Nessun messaggio da leggere
Allegato(i) Dettagli della specie
Phytoecia caerulea caerulea (Scopoli, 1772)
Cerambycidae


30.IV.2012 - ROMANIA - EE
Coleoptera

StagBeetle

0

496

27/05/2022, 19:32

StagBeetle Vedi ultimo messaggio

Visualizza ultimi argomenti:  Ordina per  Ordine:  
nuovo argomento
Vai alla pagina Precedente  1, 2, 3, 4, 5, 6, 7 ... 103  Prossimo
Pagina 4 di 103 [ 5110 argomenti ]

Tutti gli orari sono UTC + 1 ora [ ora legale ]


Chi c’è in linea

Visitano il forum: Nessuno e 4 ospiti


Legenda
Messaggi da leggere Messaggi da leggere Nessun messaggio da leggere Nessun messaggio da leggere Annuncio Annuncio
 
Specie indeterminata / discussione generica
Messaggi non letti [ Popolari ] Messaggi non letti [ Popolari ] Nessun messaggio da leggere [ Popolare ] Nessun messaggio da leggere [ Popolare ] Importante Importante
 
Specie determinata fino al genere o cf.
Messaggi non letti [ Bloccati ] Messaggi non letti [ Bloccati ] No messaggi non letti [ Bloccati ] No messaggi non letti [ Bloccati ] Argomento spostato Argomento spostato
 
Specie correttamente determinata
Permessi
Non puoi aprire nuovi argomenti
Non puoi rispondere negli argomenti
Non puoi modificare i tuoi messaggi
Non puoi cancellare i tuoi messaggi
Non puoi inviare allegati

Cerca per:
Vai a: