Benvenuto Ospite

Forum Entomologi Italiani

www.entomologiitaliani.net/forum
 
Oggi è 28/05/2026, 4:12

Tutti gli orari sono UTC + 1 ora [ ora legale ]


100%
2929 taxa correttamente determinati su 2930 presenti in archivio

Cerambycidae


[ AFROTROPICALE ] [ ANTARTICO ] [ AUSTRALASIANO ] [ NEARTICO ] [ NEOTROPICALE ] [ ORIENTALE ] [ PALEARTICO ]


nuovo argomento
Vai alla pagina Precedente  1, 2, 3, 4, 5, 6, 7 ... 59  Prossimo
Pagina 4 di 59 [ 2930 argomenti ]
 Argomenti   Ordine   Autore   Risposte   Visite    Ultimo messaggio 
Annunci
Nessun messaggio da leggere
Allegato(i)
Incontri entomologici della Società Entomologica Italiana 2025-2026
 

Velvet Ant

0

67760

17/11/2025, 19:41

Velvet Ant Vedi ultimo messaggio

Nessun messaggio da leggere
Allegato(i)
Incontri entomologici telematici organizzati dalla Società Entomologica Italiana nel 2022 e nel 2023

[ Vai alla paginaVai alla pagina: 1, 2, 3 ]

 

Velvet Ant

44

2176389

03/03/2023, 15:55

Velvet Ant Vedi ultimo messaggio

Nessun messaggio da leggere  
Allegato(i)
Sondaggio sul declino dell'entomofauna in Italia

[ Vai alla paginaVai alla pagina: 1, 2, 3, 4 ]

 

Velvet Ant

52

2865863

22/10/2022, 19:18

Acquarius Vedi ultimo messaggio

Nessun messaggio da leggere  
Allegato(i)
Progetto: Bibliografia ragionata dei lavori entomologici nei quali sono citati reperti apparsi su FEI

[ Vai alla paginaVai alla pagina: 1, 2, 3 ]

 

Velvet Ant

33

1744975

06/07/2023, 18:31

Orotrechus Vedi ultimo messaggio

Nessun messaggio da leggere
Allegato(i)
Mimesi, il primo documentario cinematografico sull’entomologia in Italia: casting
 

mazzeip

1

1163462

28/02/2019, 20:26

mazzeip Vedi ultimo messaggio

Questo argomento è bloccato, non puoi modificare o inviare ulteriori messaggi.
Allegato(i)
ISTRUZIONI PUBBLICAZIONE NUOVI ARGOMENTI E FOTO

 
Altri Ordini di Insetti

Julodis

4

2991028

13/05/2015, 19:37

Julodis Vedi ultimo messaggio

Nessun messaggio da leggere
Allegato(i)
Limitatore giornaliero di messaggi, uno strumento utile e ormai indispensabile

[ Vai alla paginaVai alla pagina: 1 ... 14, 15, 16 ]

 

Velvet Ant

233

14503183

25/09/2014, 14:31

Inachis Vedi ultimo messaggio

Nessun messaggio da leggere  
NORME PER I COLLABORATORI DEL FORUM

 
 

Velvet Ant

0

691506

02/06/2011, 12:05

Velvet Ant Vedi ultimo messaggio

Nessun messaggio da leggere
Allegato(i)
NORME PER GLI UTENTI DEL FORUM

[ Vai alla paginaVai alla pagina: 1, 2, 3 ]



 
 

Velvet Ant

30

3859800

23/09/2014, 23:54

Maurizio Bollino Vedi ultimo messaggio

Questo argomento è bloccato, non puoi modificare o inviare ulteriori messaggi.  
Elenco delle specie italiane di Cerambycidae presenti sul forum
Cerambycidae


 
Coleoptera

Plagionotus

0

6517

22/11/2010, 22:28

Plagionotus Vedi ultimo messaggio

Nessun messaggio da leggere  
Lista degli utenti del "Forum entomologi italiani" per campi di interesse e specializzazione

 
Altri Ordini di Insetti

Velvet Ant

13

1185337

07/09/2023, 17:14

Roberto-07 Vedi ultimo messaggio

Argomenti
Nessun messaggio da leggere
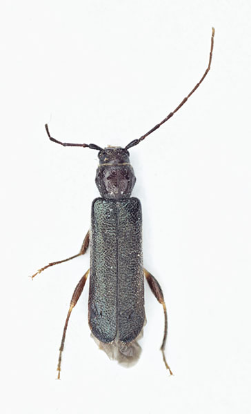
Agapanthia (Agapanthia) cardui (Linnaeus, 1767) - Cerambycidae
22.V.2021 - ITALIA - Lombardia - LC
Allegato(i) Dettagli della specie
Agapanthia (Agapanthia) cardui (Linnaeus, 1767)
Cerambycidae


22.V.2021 - ITALIA - Lombardia - LC
Coleoptera

RicPan

5

1355

14/06/2021, 17:45

RicPan Vedi ultimo messaggio

Nessun messaggio da leggere
Gaurotes (Carilia) virginea (Linnaeus, 1758) - Cerambycidae
12.VI.2021 - ITALIA - Trentino-Alto Adige - TN
Allegato(i) Dettagli della specie
Gaurotes (Carilia) virginea (Linnaeus, 1758)
Cerambycidae


12.VI.2021 - ITALIA - Trentino-Alto Adige - TN
Coleoptera

Syrio

2

922

14/06/2021, 12:36

Syrio Vedi ultimo messaggio

Nessun messaggio da leggere
Mesosa curculionoides (Linnaeus, 1760) - Cerambycidae
29.IV.2021 - ITALIA - Calabria - CS
Allegato(i) Dettagli della specie
Mesosa curculionoides (Linnaeus, 1760)
Cerambycidae


29.IV.2021 - ITALIA - Calabria - CS
Coleoptera

aiello antonio

2

864

11/06/2021, 14:33

aiello antonio Vedi ultimo messaggio

Nessun messaggio da leggere
Chlorophorus glabromaculatus (Goeze, 1777) - Cerambycidae
17.IX.2020 - ITALIA - Calabria - CS
Allegato(i) Dettagli della specie
Chlorophorus glabromaculatus (Goeze, 1777)
Cerambycidae


17.IX.2020 - ITALIA - Calabria - CS
Coleoptera

aiello antonio

2

1057

11/06/2021, 14:11

aiello antonio Vedi ultimo messaggio

Nessun messaggio da leggere
Exocentrus adspersus Mulsant, 1846 - Cerambycidae
24.III.2021 - ITALIA - Toscana - GR
Allegato(i) Dettagli della specie
Exocentrus adspersus Mulsant, 1846
Cerambycidae


24.III.2021 - ITALIA - Toscana - GR
Coleoptera

skip

2

760

04/06/2021, 11:08

skip Vedi ultimo messaggio

Nessun messaggio da leggere
Callimus abdominalis (Olivier, 1795) - Cerambycidae
28.V.2021 - ITALIA - Lazio - RM
Allegato(i) Dettagli della specie
Callimus abdominalis (Olivier, 1795)
Cerambycidae


28.V.2021 - ITALIA - Lazio - RM
Coleoptera

soken

2

772

01/06/2021, 14:19

soken Vedi ultimo messaggio

Nessun messaggio da leggere
Phytoecia cylindrica (Linnaeus, 1758) - Cerambycidae
27.V.2021 - ITALIA - Campania - SA
Allegato(i) Dettagli della specie
Phytoecia cylindrica (Linnaeus, 1758)
Cerambycidae


27.V.2021 - ITALIA - Campania - SA
Coleoptera

Enzo.C

3

895

28/05/2021, 23:56

Enzo.C Vedi ultimo messaggio

Nessun messaggio da leggere
Saperda scalaris scalaris (Linnaeus, 1758) - Cerambycidae
25.V.2021 - ITALIA - Emilia-Romagna - FC
Allegato(i) Dettagli della specie
Saperda scalaris scalaris (Linnaeus, 1758)
Cerambycidae


25.V.2021 - ITALIA - Emilia-Romagna - FC
Coleoptera

clido

0

694

25/05/2021, 22:30

clido Vedi ultimo messaggio

Nessun messaggio da leggere
Anastrangalia dubia dubia (Scopoli, 1763) - Cerambycidae
2.VIII.2020 - ITALIA - Toscana - FI
Allegato(i) Dettagli della specie
Anastrangalia dubia dubia (Scopoli, 1763)
Cerambycidae


2.VIII.2020 - ITALIA - Toscana - FI
Coleoptera

Stefano79

2

835

25/05/2021, 18:47

Stefano79 Vedi ultimo messaggio

Nessun messaggio da leggere
Poecilium lividum (Rossi, 1794) - Cerambycidae
24.III.2021 - ITALIA - Toscana - GR
Allegato(i) Dettagli della specie
Poecilium lividum (Rossi, 1794)
Cerambycidae


24.III.2021 - ITALIA - Toscana - GR
Coleoptera

skip

4

1123

21/05/2021, 9:50

skip Vedi ultimo messaggio

Nessun messaggio da leggere
Callimus abdominalis (Olivier, 1795) - Cerambycidae
14.V.2021 - ITALIA - Campania - SA
Allegato(i) Dettagli della specie
Callimus abdominalis (Olivier, 1795)
Cerambycidae


14.V.2021 - ITALIA - Campania - SA
Coleoptera

Enzo.C

2

857

16/05/2021, 19:16

Enzo.C Vedi ultimo messaggio

Nessun messaggio da leggere
Plagionotus arcuatus (Linnaeus, 1758) - Cerambycidae
13.V.2021 - ITALIA - Piemonte - BI
Allegato(i) Dettagli della specie
Plagionotus arcuatus (Linnaeus, 1758)
Cerambycidae


13.V.2021 - ITALIA - Piemonte - BI
Coleoptera

carlos

3

1010

14/05/2021, 19:52

ruzzpa Vedi ultimo messaggio

Nessun messaggio da leggere
Brachypteroma ottomanum Heyden, 1863 - Cerambycidae
9.V.2021 - ITALIA - Lombardia - MI
Allegato(i) Dettagli della specie
Brachypteroma ottomanum Heyden, 1863
Cerambycidae


9.V.2021 - ITALIA - Lombardia - MI
Coleoptera

RicPan

2

808

13/05/2021, 21:17

RicPan Vedi ultimo messaggio

Nessun messaggio da leggere
Allegato(i) Dettagli della specie
Grammoptera ruficornis ruficornis (Fabricius, 1781)
Cerambycidae


9.V.2021 - ITALIA - Lombardia - MI
Coleoptera

RicPan

5

1061

13/05/2021, 16:52

RicPan Vedi ultimo messaggio

Nessun messaggio da leggere
Niphona picticornis Mulsant, 1839 - Cerambycidae
2.V.2021 - ITALIA - Calabria - CS
Allegato(i) Dettagli della specie
Niphona picticornis Mulsant, 1839
Cerambycidae


2.V.2021 - ITALIA - Calabria - CS
Coleoptera

golfopolikayak

2

879

03/05/2021, 20:46

golfopolikayak Vedi ultimo messaggio

Nessun messaggio da leggere
Clytus arietis arietis (Linnaeus, 1758) - Cerambycidae
1.V.2021 - ITALIA - Trentino-Alto Adige - TN
Allegato(i) Dettagli della specie
Clytus arietis arietis (Linnaeus, 1758)
Cerambycidae


1.V.2021 - ITALIA - Trentino-Alto Adige - TN
Coleoptera

Syrio

1

666

01/05/2021, 18:04

Plagionotus Vedi ultimo messaggio

Nessun messaggio da leggere
Phymatodes testaceus (Linnaeus, 1758) - Cerambycidae
24.IV.2021 - ITALIA - Lombardia - LC
Allegato(i) Dettagli della specie
Phymatodes testaceus (Linnaeus, 1758)
Cerambycidae


24.IV.2021 - ITALIA - Lombardia - LC
Coleoptera

RicPan

3

916

25/04/2021, 10:56

elleelle Vedi ultimo messaggio

Nessun messaggio da leggere
Anastrangalia reyi (Heyden, 1889) - Cerambycidae
31.VII.2010 - ITALIA - Trentino-Alto Adige - TN
Allegato(i) Dettagli della specie
Anastrangalia reyi (Heyden, 1889)
Cerambycidae


31.VII.2010 - ITALIA - Trentino-Alto Adige - TN
Coleoptera

Andrea Pergine

12

2082

11/04/2021, 20:26

Xylosteus Vedi ultimo messaggio

Nessun messaggio da leggere
Pyrrhidium sanguineum (Linnaeus, 1758) - Cerambycidae
29.III.2021 - ITALIA - Trentino-Alto Adige - TN
Allegato(i) Dettagli della specie
Pyrrhidium sanguineum (Linnaeus, 1758)
Cerambycidae


29.III.2021 - ITALIA - Trentino-Alto Adige - TN
Coleoptera

Syrio

2

764

30/03/2021, 0:30

Syrio Vedi ultimo messaggio

Nessun messaggio da leggere
Monochamus sartor (Fabricius, 1787) - Cerambycidae
28.VI.2020 - ITALIA - Lombardia - LC
Allegato(i) Dettagli della specie
Monochamus sartor (Fabricius, 1787)
Cerambycidae


28.VI.2020 - ITALIA - Lombardia - LC
Coleoptera

RicPan

5

1142

10/03/2021, 17:36

Andrea Pergine Vedi ultimo messaggio

Nessun messaggio da leggere
Parmena unifasciata (Rossi, 1790) - Cerambycidae
12.II.2021 - ITALIA - Lazio - RM
Allegato(i) Dettagli della specie
Parmena unifasciata (Rossi, 1790)
Cerambycidae


12.II.2021 - ITALIA - Lazio - RM
Coleoptera

wgliinsetti

1

767

12/02/2021, 19:56

Julodis Vedi ultimo messaggio

Nessun messaggio da leggere
Psacothea hilaris (Pascoe, 1858) - Cerambycidae
14.VI.2020 - ITALIA - Lombardia - LC
Allegato(i) Dettagli della specie
Psacothea hilaris (Pascoe, 1858)
Cerambycidae


14.VI.2020 - ITALIA - Lombardia - LC
Coleoptera

silviana

3

1015

04/01/2021, 16:47

silviana Vedi ultimo messaggio

Nessun messaggio da leggere
Stenopterus ater (Linnaeus, 1767) - Cerambycidae
4.VI.2011 - ITALIA - Lazio - RM
Allegato(i) Dettagli della specie
Stenopterus ater (Linnaeus, 1767)
Cerambycidae


4.VI.2011 - ITALIA - Lazio - RM
Coleoptera

soken

2

707

02/01/2021, 18:55

soken Vedi ultimo messaggio

Nessun messaggio da leggere
Xylotrechus (Xylotrechus) stebbingi Gahan, 1906 - Cerambycidae
10.IX.2010 - ITALIA - Friuli-Venezia Giulia - GO
Allegato(i) Dettagli della specie
Xylotrechus (Xylotrechus) stebbingi Gahan, 1906
Cerambycidae


10.IX.2010 - ITALIA - Friuli-Venezia Giulia - GO
Coleoptera

giovanni alamanni

4

997

27/12/2020, 2:35

Tc70 Vedi ultimo messaggio

Nessun messaggio da leggere
Allegato(i) Dettagli della specie
Pogonocherus hispidulus (Piller & Mitterpacher, 1783)
Cerambycidae


6.VI.2020 - ITALIA - Marche - MC
Coleoptera

StagBeetle

0

621

26/12/2020, 17:24

StagBeetle Vedi ultimo messaggio

Nessun messaggio da leggere
Stictoleptura rubra rubra (Linnaeus, 1758) - Cerambycidae
21.VIII.2018 - ITALIA - Trentino-Alto Adige - TN
Allegato(i) Dettagli della specie
Stictoleptura rubra rubra (Linnaeus, 1758)
Cerambycidae


21.VIII.2018 - ITALIA - Trentino-Alto Adige - TN
Coleoptera

mbondini

6

1327

14/12/2020, 22:27

Chalybion Vedi ultimo messaggio

Nessun messaggio da leggere
Obrium brunneum (Fabricius, 1792) - Cerambycidae
18.VIII.2013 - ITALIA - Toscana - AR
Allegato(i) Dettagli della specie
Obrium brunneum (Fabricius, 1792)
Cerambycidae


18.VIII.2013 - ITALIA - Toscana - AR
Coleoptera

giovanni alamanni

2

837

14/12/2020, 0:11

giovanni alamanni Vedi ultimo messaggio

Nessun messaggio da leggere
Cortodera femorata (Fabricius, 1787) - Cerambycidae
VIII.2020 - ITALIA - Trentino-Alto Adige - TN
Allegato(i) Dettagli della specie
Cortodera femorata (Fabricius, 1787)
Cerambycidae


VIII.2020 - ITALIA - Trentino-Alto Adige - TN
Coleoptera

Biasi

2

779

08/12/2020, 21:27

Biasi Vedi ultimo messaggio

Nessun messaggio da leggere
Psacothea hilaris (Pascoe, 1858) - Cerambycidae
30.XI.2020 - ITALIA - Lombardia - MB
Allegato(i) Dettagli della specie
Psacothea hilaris (Pascoe, 1858)
Cerambycidae


30.XI.2020 - ITALIA - Lombardia - MB
Coleoptera

Tc70

2

927

07/12/2020, 23:54

Tc70 Vedi ultimo messaggio

Nessun messaggio da leggere
Stenurella bifasciata bifasciata (O. F. Müller, 1776) - Cerambycidae
19.VII.2019 - ITALIA - Emilia-Romagna - BO
Allegato(i) Dettagli della specie
Stenurella bifasciata bifasciata (O. F. Müller, 1776)
Cerambycidae


19.VII.2019 - ITALIA - Emilia-Romagna - BO
Coleoptera

Dicomed

7

2332

06/12/2020, 20:30

Andrea Pergine Vedi ultimo messaggio

Nessun messaggio da leggere
Neoclytus acuminatus (Fabricius, 1775) - Cerambycidae
10.I.2013 - ITALIA - Emilia-Romagna - RA
Allegato(i) Dettagli della specie
Neoclytus acuminatus (Fabricius, 1775)
Cerambycidae


10.I.2013 - ITALIA - Emilia-Romagna - RA
Coleoptera

Semanotus

2

843

29/11/2020, 0:36

Semanotus Vedi ultimo messaggio

Nessun messaggio da leggere
Parmena unifasciata (Rossi, 1790) - Cerambycidae
23.VII.2017 - ITALIA - Toscana - AR
Allegato(i) Dettagli della specie
Parmena unifasciata (Rossi, 1790)
Cerambycidae


23.VII.2017 - ITALIA - Toscana - AR
Coleoptera

giovanni alamanni

4

978

27/11/2020, 9:53

giovanni alamanni Vedi ultimo messaggio

Nessun messaggio da leggere
Aegomorphus clavipes (Schrank, 1781) - Cerambycidae
10.X.2020 - ITALIA - Lombardia - MI
Allegato(i) Dettagli della specie
Aegomorphus clavipes (Schrank, 1781)
Cerambycidae


10.X.2020 - ITALIA - Lombardia - MI
Coleoptera

Magma

3

1078

25/11/2020, 11:44

Magma Vedi ultimo messaggio

Nessun messaggio da leggere
Tetropium castaneum (Linnaeus, 1758) - Cerambycidae
15.VII.2020 - ITALIA - Valle d'Aosta - AO
Allegato(i) Dettagli della specie
Tetropium castaneum (Linnaeus, 1758)
Cerambycidae


15.VII.2020 - ITALIA - Valle d'Aosta - AO
Coleoptera

StagBeetle

2

881

18/11/2020, 21:20

StagBeetle Vedi ultimo messaggio

Nessun messaggio da leggere
Phytoecia rufipes rufipes (Olivier, 1795) - Cerambycidae
24.IV.2018 - ITALIA - Lazio - RM
Allegato(i) Dettagli della specie
Phytoecia rufipes rufipes (Olivier, 1795)
Cerambycidae


24.IV.2018 - ITALIA - Lazio - RM
Coleoptera

elleelle

3

788

07/11/2020, 22:21

Chalybion Vedi ultimo messaggio

Nessun messaggio da leggere
Allegato(i) Dettagli della specie
Rosalia (Rosalia) alpina alpina (Linnaeus, 1758)
Cerambycidae


1.VIII.2006 - ITALIA - Lazio - FR
Coleoptera

Julodis

9

2861

29/10/2020, 13:58

marsal Vedi ultimo messaggio

Nessun messaggio da leggere
Stictoleptura rubra rubra (Linnaeus, 1758) - Cerambycidae
15.VIII.2020 - ITALIA - Friuli-Venezia Giulia - UD
Allegato(i) Dettagli della specie
Stictoleptura rubra rubra (Linnaeus, 1758)
Cerambycidae


15.VIII.2020 - ITALIA - Friuli-Venezia Giulia - UD
Coleoptera

Michele A

5

1305

13/10/2020, 16:42

Michele A Vedi ultimo messaggio

Nessun messaggio da leggere
Stictoleptura rubra rubra (Linnaeus, 1758) - Cerambycidae
29.VIII.2020 - ITALIA - Friuli-Venezia Giulia - UD
Allegato(i) Dettagli della specie
Stictoleptura rubra rubra (Linnaeus, 1758)
Cerambycidae


29.VIII.2020 - ITALIA - Friuli-Venezia Giulia - UD
Coleoptera

Michele A

2

812

13/10/2020, 16:41

Michele A Vedi ultimo messaggio

Nessun messaggio da leggere
Rutpela maculata nigricornis Rapuzzi & Sama, 2006 - Cerambycidae
17.VIII.2012 - ITALIA - Calabria - CS
Allegato(i) Dettagli della specie
Rutpela maculata nigricornis Rapuzzi & Sama, 2006
Cerambycidae


17.VIII.2012 - ITALIA - Calabria - CS
Coleoptera

Enzo.C

6

1480

13/10/2020, 1:18

Enzo.C Vedi ultimo messaggio

Nessun messaggio da leggere
Allegato(i) Dettagli della specie
Dorcadion (Pedestredorcadion) etruscum (Rossi, 1790)
Cerambycidae


9.V.2020 - ITALIA - Campania - CE
Coleoptera

cerambyx1

5

1419

18/09/2020, 0:52

cerambyx1 Vedi ultimo messaggio

Nessun messaggio da leggere
Cortodera femorata (Fabricius, 1787) - Cerambycidae
15.VII.2020 - ITALIA - Valle d'Aosta - AO
Allegato(i) Dettagli della specie
Cortodera femorata (Fabricius, 1787)
Cerambycidae


15.VII.2020 - ITALIA - Valle d'Aosta - AO
Coleoptera

StagBeetle

3

987

15/09/2020, 21:55

StagBeetle Vedi ultimo messaggio

Nessun messaggio da leggere
Monochamus galloprovincialis (Olivier, 1795) - Cerambycidae
11.IX.2020 - ITALIA - Lombardia - LC
Allegato(i) Dettagli della specie
Monochamus galloprovincialis (Olivier, 1795)
Cerambycidae


11.IX.2020 - ITALIA - Lombardia - LC
Coleoptera

sala alfio

1

796

12/09/2020, 22:50

Plagionotus Vedi ultimo messaggio

Nessun messaggio da leggere
Stenurella melanura (Linnaeus, 1758) - Cerambycidae
23.VII.2020 - ITALIA - Friuli-Venezia Giulia - UD
Allegato(i) Dettagli della specie
Stenurella melanura (Linnaeus, 1758)
Cerambycidae


23.VII.2020 - ITALIA - Friuli-Venezia Giulia - UD
Coleoptera

Michele A

2

918

10/09/2020, 8:59

Michele A Vedi ultimo messaggio

Nessun messaggio da leggere
Stenurella melanura (Linnaeus, 1758) - Cerambycidae
11.VIII.2020 - ITALIA - Friuli-Venezia Giulia - UD
Allegato(i) Dettagli della specie
Stenurella melanura (Linnaeus, 1758)
Cerambycidae


11.VIII.2020 - ITALIA - Friuli-Venezia Giulia - UD
Coleoptera

Michele A

2

874

10/09/2020, 8:57

Michele A Vedi ultimo messaggio

Nessun messaggio da leggere
Rutpela maculata maculata (Poda, 1761) - Cerambycidae
23.VII.2020 - ITALIA - Valle d'Aosta - AO
Allegato(i) Dettagli della specie
Rutpela maculata maculata (Poda, 1761)
Cerambycidae


23.VII.2020 - ITALIA - Valle d'Aosta - AO
Coleoptera

carlos

2

921

02/09/2020, 20:55

carlos Vedi ultimo messaggio

Nessun messaggio da leggere
Ergates faber faber (Linnaeus, 1760) - Cerambycidae
28.VIII.2020 - ITALIA - Toscana - PI
Allegato(i) Dettagli della specie
Ergates faber faber (Linnaeus, 1760)
Cerambycidae


28.VIII.2020 - ITALIA - Toscana - PI
Coleoptera

federica losacco

1

834

30/08/2020, 18:40

skip Vedi ultimo messaggio

Nessun messaggio da leggere
Aegomorphus clavipes (Schrank, 1781) - Cerambycidae
9.VIII.2020 - ITALIA - Lombardia - MI
Allegato(i) Dettagli della specie
Aegomorphus clavipes (Schrank, 1781)
Cerambycidae


9.VIII.2020 - ITALIA - Lombardia - MI
Coleoptera

carlos

2

1189

30/08/2020, 10:18

carlos Vedi ultimo messaggio

Nessun messaggio da leggere
Allegato(i) Dettagli della specie
Purpuricenus (Purpuricenus) kaehleri kaehleri (Linnaeus, 1758)
Cerambycidae


11.VII.2020 - ITALIA - Sicilia - PA
Coleoptera

Caliddo

2

1129

29/08/2020, 8:55

AleP Vedi ultimo messaggio

Nessun messaggio da leggere
Allegato(i) Dettagli della specie
Dorcadion (Pedestredorcadion) etruscum (Rossi, 1790)
Cerambycidae


14.V.2001 - ITALIA - Sicilia - PA
Coleoptera

Caliddo

3

1220

28/08/2020, 11:33

Maurizio Bollino Vedi ultimo messaggio

Nessun messaggio da leggere
Plagionotus scalaris (Brullé, 1832) - Cerambycidae
22.V.2000 - ITALIA - Sicilia - PA
Allegato(i) Dettagli della specie
Plagionotus scalaris (Brullé, 1832)
Cerambycidae


22.V.2000 - ITALIA - Sicilia - PA
Coleoptera

Caliddo

0

809

27/08/2020, 23:04

Caliddo Vedi ultimo messaggio

Visualizza ultimi argomenti:  Ordina per  Ordine:  
nuovo argomento
Vai alla pagina Precedente  1, 2, 3, 4, 5, 6, 7 ... 59  Prossimo
Pagina 4 di 59 [ 2930 argomenti ]

Tutti gli orari sono UTC + 1 ora [ ora legale ]


Chi c’è in linea

Visitano il forum: Nessuno e 2 ospiti


Legenda
Messaggi da leggere Messaggi da leggere Nessun messaggio da leggere Nessun messaggio da leggere Annuncio Annuncio
 
Specie indeterminata / discussione generica
Messaggi non letti [ Popolari ] Messaggi non letti [ Popolari ] Nessun messaggio da leggere [ Popolare ] Nessun messaggio da leggere [ Popolare ] Importante Importante
 
Specie determinata fino al genere o cf.
Messaggi non letti [ Bloccati ] Messaggi non letti [ Bloccati ] No messaggi non letti [ Bloccati ] No messaggi non letti [ Bloccati ] Argomento spostato Argomento spostato
 
Specie correttamente determinata
Permessi
Non puoi aprire nuovi argomenti
Non puoi rispondere negli argomenti
Non puoi modificare i tuoi messaggi
Non puoi cancellare i tuoi messaggi
Non puoi inviare allegati

Cerca per:
Vai a: