Benvenuto Ospite

Forum Entomologi Italiani

www.entomologiitaliani.net/forum
 
Oggi è 29/05/2026, 18:54

Tutti gli orari sono UTC + 1 ora [ ora legale ]


92% 
2929 taxa correttamente determinati su 3184 presenti in archivio

Cerambycidae


[ AFROTROPICALE ] [ ANTARTICO ] [ AUSTRALASIANO ] [ NEARTICO ] [ NEOTROPICALE ] [ ORIENTALE ] [ PALEARTICO ]


nuovo argomento
Vai alla pagina Precedente  1 ... 37, 38, 39, 40, 41, 42, 43 ... 103  Prossimo
Pagina 40 di 103 [ 5111 argomenti ]
 Argomenti   Ordine   Autore   Risposte   Visite    Ultimo messaggio 
Annunci
Nessun messaggio da leggere
Allegato(i)
Incontri entomologici della Società Entomologica Italiana 2025-2026
 

Velvet Ant

0

68569

17/11/2025, 19:41

Velvet Ant Vedi ultimo messaggio

Nessun messaggio da leggere
Allegato(i)
Incontri entomologici telematici organizzati dalla Società Entomologica Italiana nel 2022 e nel 2023

[ Vai alla paginaVai alla pagina: 1, 2, 3 ]

 

Velvet Ant

44

2187762

03/03/2023, 15:55

Velvet Ant Vedi ultimo messaggio

Nessun messaggio da leggere  
Allegato(i)
Sondaggio sul declino dell'entomofauna in Italia

[ Vai alla paginaVai alla pagina: 1, 2, 3, 4 ]

 

Velvet Ant

52

2877410

22/10/2022, 19:18

Acquarius Vedi ultimo messaggio

Nessun messaggio da leggere  
Allegato(i)
Progetto: Bibliografia ragionata dei lavori entomologici nei quali sono citati reperti apparsi su FEI

[ Vai alla paginaVai alla pagina: 1, 2, 3 ]

 

Velvet Ant

33

1752443

06/07/2023, 18:31

Orotrechus Vedi ultimo messaggio

Nessun messaggio da leggere
Allegato(i)
Mimesi, il primo documentario cinematografico sull’entomologia in Italia: casting
 

mazzeip

1

1164642

28/02/2019, 20:26

mazzeip Vedi ultimo messaggio

Questo argomento è bloccato, non puoi modificare o inviare ulteriori messaggi.
Allegato(i)
ISTRUZIONI PUBBLICAZIONE NUOVI ARGOMENTI E FOTO

 
Altri Ordini di Insetti

Julodis

4

2992552

13/05/2015, 19:37

Julodis Vedi ultimo messaggio

Nessun messaggio da leggere
Allegato(i)
Limitatore giornaliero di messaggi, uno strumento utile e ormai indispensabile

[ Vai alla paginaVai alla pagina: 1 ... 14, 15, 16 ]

 

Velvet Ant

233

14548705

25/09/2014, 14:31

Inachis Vedi ultimo messaggio

Nessun messaggio da leggere  
NORME PER I COLLABORATORI DEL FORUM

 
 

Velvet Ant

0

692375

02/06/2011, 12:05

Velvet Ant Vedi ultimo messaggio

Nessun messaggio da leggere
Allegato(i)
NORME PER GLI UTENTI DEL FORUM

[ Vai alla paginaVai alla pagina: 1, 2, 3 ]



 
 

Velvet Ant

30

3868238

23/09/2014, 23:54

Maurizio Bollino Vedi ultimo messaggio

Questo argomento è bloccato, non puoi modificare o inviare ulteriori messaggi.  
Elenco delle specie italiane di Cerambycidae presenti sul forum
Cerambycidae


 
Coleoptera

Plagionotus

0

6521

22/11/2010, 22:28

Plagionotus Vedi ultimo messaggio

Nessun messaggio da leggere  
Lista degli utenti del "Forum entomologi italiani" per campi di interesse e specializzazione

 
Altri Ordini di Insetti

Velvet Ant

13

1188006

07/09/2023, 17:14

Roberto-07 Vedi ultimo messaggio

Argomenti
Nessun messaggio da leggere
Allegato(i)
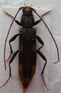
Purpuricenus interscapillatus nabateus Sama, 1999 - Cerambycidae
Cerambycidae


JORDAN - EE
Coleoptera

Isotomus

2

1399

17/07/2014, 10:51

Xylosteus Vedi ultimo messaggio

Nessun messaggio da leggere
Chlorophorus varius varius (O. F. Müller, 1766) - Cerambycidae
13.VII.2014 - ITALIA - Piemonte - AL
Allegato(i) Dettagli della specie
Chlorophorus varius varius (O. F. Müller, 1766)
Cerambycidae


13.VII.2014 - ITALIA - Piemonte - AL
Coleoptera

Il Duca

1

1137

16/07/2014, 13:16

marco villa Vedi ultimo messaggio

Nessun messaggio da leggere
Pogonocherus eugeniae eugeniae Ganglbauer, 1891 - Cerambycidae
12.VII.2014 - ITALIA - Basilicata - PZ
Allegato(i) Dettagli della specie
Pogonocherus eugeniae eugeniae Ganglbauer, 1891
Cerambycidae


12.VII.2014 - ITALIA - Basilicata - PZ
Coleoptera

f.izzillo

2

1376

15/07/2014, 18:33

f.izzillo Vedi ultimo messaggio

Nessun messaggio da leggere
Allegato(i) Dettagli della specie
Xylotrechus (Xylotrechus) stebbingi Gahan, 1906
Cerambycidae


21.VI.2014 - ITALIA - Lazio - RM
Coleoptera

babunco

2

1224

15/07/2014, 15:20

babunco Vedi ultimo messaggio

Nessun messaggio da leggere
Leiopus nebulosus nebulosus (Linnaeus, 1758) - Cerambycidae
20.VI.2014 - ITALIA - Toscana - FI
Allegato(i) Dettagli della specie
Leiopus nebulosus nebulosus (Linnaeus, 1758)
Cerambycidae


20.VI.2014 - ITALIA - Toscana - FI
Coleoptera

skip

4

1636

15/07/2014, 12:06

skip Vedi ultimo messaggio

Nessun messaggio da leggere
Trichoferus holosericeus (Rossi, 1790) - Cerambycidae
14.VIII.2013 - ITALIA - Emilia-Romagna - BO
Allegato(i) Dettagli della specie
Trichoferus holosericeus (Rossi, 1790)
Cerambycidae


14.VIII.2013 - ITALIA - Emilia-Romagna - BO
Coleoptera

Drjack

3

1615

15/07/2014, 7:42

Drjack Vedi ultimo messaggio

Nessun messaggio da leggere
Pupa di Morimus asper
20.VI.2014 - ITALIA - Toscana - FI
Allegato(i)
Pupa di Morimus asper
Cerambycidae


20.VI.2014 - ITALIA - Toscana - FI
Coleoptera

skip

5

1290

14/07/2014, 22:53

skip Vedi ultimo messaggio

Nessun messaggio da leggere
Xylotrechus (Xylotrechus) stebbingi Gahan, 1906 - Cerambycidae
10.VII.2014 - ITALIA - Lombardia - BS
Allegato(i) Dettagli della specie
Xylotrechus (Xylotrechus) stebbingi Gahan, 1906
Cerambycidae


10.VII.2014 - ITALIA - Lombardia - BS
Coleoptera

cesare

10

2435

14/07/2014, 19:57

cesare Vedi ultimo messaggio

Nessun messaggio da leggere
Allegato(i)
Leptorhabdium nitidum Holzschuh, 1974 - Cerambycidae

[ Vai alla paginaVai alla pagina: 1, 2 ]



6.VI.2014 - GRECIA - EE
Coleoptera

Entomarci

20

4349

14/07/2014, 9:51

Entomarci Vedi ultimo messaggio

Nessun messaggio da leggere
Chlorophorus sartor (O. F. Müller, 1766) - Cerambycidae
13.VII.2014 - ITALIA - Emilia-Romagna - PC
Allegato(i) Dettagli della specie
Chlorophorus sartor (O. F. Müller, 1766)
Cerambycidae


13.VII.2014 - ITALIA - Emilia-Romagna - PC
Coleoptera

betelges

3

1361

13/07/2014, 22:26

Lucanus tetraodon Vedi ultimo messaggio

Nessun messaggio da leggere
Phymatodes testaceus (Linnaeus, 1758) - Cerambycidae
1.VI.2014 - ITALIA - Sicilia - CT
Allegato(i) Dettagli della specie
Phymatodes testaceus (Linnaeus, 1758)
Cerambycidae


1.VI.2014 - ITALIA - Sicilia - CT
Coleoptera

carabus

8

2218

13/07/2014, 18:53

hypotyphlus Vedi ultimo messaggio

Nessun messaggio da leggere
Aegosoma scabricorne (Scopoli, 1763) - Cerambycidae
8.VII.2014 - ITALIA - Veneto - VE
Allegato(i) Dettagli della specie
Aegosoma scabricorne (Scopoli, 1763)
Cerambycidae


8.VII.2014 - ITALIA - Veneto - VE
Coleoptera

Jacopo

7

2453

12/07/2014, 13:06

Plagionotus Vedi ultimo messaggio

Nessun messaggio da leggere
Saperda punctata (Linnaeus, 1767) - Cerambycidae
9.V.2008 - ITALIA - Abruzzo - PE
Allegato(i) Dettagli della specie
Saperda punctata (Linnaeus, 1767)
Cerambycidae


9.V.2008 - ITALIA - Abruzzo - PE
Coleoptera

Alessio89

11

2854

12/07/2014, 8:12

marco paglialunga Vedi ultimo messaggio

Nessun messaggio da leggere
Saperda punctata (Linnaeus, 1767) - Cerambycidae
11.VII.2014 - ITALIA - Lombardia - CR
Allegato(i) Dettagli della specie
Saperda punctata (Linnaeus, 1767)
Cerambycidae


11.VII.2014 - ITALIA - Lombardia - CR
Coleoptera

betelges

2

1246

11/07/2014, 23:43

AleP Vedi ultimo messaggio

Nessun messaggio da leggere
Allegato(i) Dettagli della specie
Purpuricenus (Purpuricenus) kaehleri kaehleri (Linnaeus, 1758)
Cerambycidae


11.VII.2014 - ITALIA - Campania - SA
Coleoptera

Enzo.C

4

1550

11/07/2014, 23:18

Enzo.C Vedi ultimo messaggio

Nessun messaggio da leggere
Aegomorphus clavipes (Schrank, 1781) - Cerambycidae
4.I.2014 - ITALIA - Toscana - LI
Allegato(i) Dettagli della specie
Aegomorphus clavipes (Schrank, 1781)
Cerambycidae


4.I.2014 - ITALIA - Toscana - LI
Coleoptera

FORBIX

9

2400

10/07/2014, 16:32

FORBIX Vedi ultimo messaggio

Nessun messaggio da leggere
Vadonia unipunctata - Cerambycidae
24.V.2014 - TURCHIA - EE
Allegato(i)
Vadonia unipunctata - Cerambycidae
Cerambycidae


24.V.2014 - TURCHIA - EE
Coleoptera

ozgur70

3

1135

10/07/2014, 9:17

marco villa Vedi ultimo messaggio

Nessun messaggio da leggere
Cortodera discolor (cf.) - Cerambycidae
24.V.2014 - TURCHIA - EE
Allegato(i)
Cortodera discolor (cf.) - Cerambycidae
Cerambycidae


24.V.2014 - TURCHIA - EE
Coleoptera

ozgur70

2

1095

10/07/2014, 8:53

Xylosteus Vedi ultimo messaggio

Nessun messaggio da leggere
Cerambyx scopolii siculus Rapuzzi & Sama, 2010 - Cerambycidae
6.VII.2014 - ITALIA - Sicilia - ME
Allegato(i) Dettagli della specie
Cerambyx scopolii siculus Rapuzzi & Sama, 2010
Cerambycidae


6.VII.2014 - ITALIA - Sicilia - ME
Coleoptera

carabus

4

2367

09/07/2014, 20:27

Tc70 Vedi ultimo messaggio

Nessun messaggio da leggere
Allegato(i) Dettagli della specie
Rosalia (Rosalia) alpina alpina (Linnaeus, 1758)
Cerambycidae


6.VII.2014 - ITALIA - Sicilia - ME
Coleoptera

carabus

4

1902

09/07/2014, 15:53

Lucanus tetraodon Vedi ultimo messaggio

Nessun messaggio da leggere
Cortodera colchica- Cerambycidae
9.VI.2014 - TURCHIA - EE
Allegato(i)
Cortodera colchica- Cerambycidae
Cerambycidae


9.VI.2014 - TURCHIA - EE
Coleoptera

ozgur70

1

921

09/07/2014, 9:19

Xylosteus Vedi ultimo messaggio

Nessun messaggio da leggere
Allegato(i)
Dorcadion (Pedestredorcadion) infernale Mulsant & Rey, 1863 - Cerambycidae
Cerambycidae


11.IV.2014 - TURCHIA - EE
Coleoptera

ozgur70

1

1039

08/07/2014, 14:58

Xylosteus Vedi ultimo messaggio

Nessun messaggio da leggere
Allegato(i) Dettagli della specie
Opsilia coerulescens (Scopoli, 1763)
Cerambycidae


17.V.2014 - TURCHIA - EE
Coleoptera

ozgur70

2

959

08/07/2014, 14:56

Xylosteus Vedi ultimo messaggio

Nessun messaggio da leggere
Chlorophorus sartor (O. F. Müller, 1766) - Cerambycidae
5.VII.2014 - ITALIA - Veneto - PD
Allegato(i) Dettagli della specie
Chlorophorus sartor (O. F. Müller, 1766)
Cerambycidae


5.VII.2014 - ITALIA - Veneto - PD
Coleoptera

Umbro

2

1117

08/07/2014, 13:54

Umbro Vedi ultimo messaggio

Nessun messaggio da leggere
Cerambyx welensii (Küster, 1845) - Cerambycidae
5.VII.2014 - ITALIA - Toscana - GR
Allegato(i) Dettagli della specie
Cerambyx welensii (Küster, 1845)
Cerambycidae


5.VII.2014 - ITALIA - Toscana - GR
Coleoptera

skip

7

2177

07/07/2014, 11:35

skip Vedi ultimo messaggio

Nessun messaggio da leggere
Chlorophorus varius varius (O. F. Müller, 1766) - Cerambycidae
2.VII.2014 - ITALIA - Lombardia - CR
Allegato(i) Dettagli della specie
Chlorophorus varius varius (O. F. Müller, 1766)
Cerambycidae


2.VII.2014 - ITALIA - Lombardia - CR
Coleoptera

betelges

4

1399

06/07/2014, 9:22

f.izzillo Vedi ultimo messaggio

Nessun messaggio da leggere
Cerambyx welensii (Küster, 1845) - Cerambycidae
2.VII.2014 - ITALIA - Sicilia - PA
Allegato(i) Dettagli della specie
Cerambyx welensii (Küster, 1845)
Cerambycidae


2.VII.2014 - ITALIA - Sicilia - PA
Coleoptera

carabus

6

1990

05/07/2014, 16:05

Lucanus tetraodon Vedi ultimo messaggio

Nessun messaggio da leggere
Musaria tirellii (Luigioni, 1913) - Cerambycidae
4.VII.2014 - ITALIA - Abruzzo - AQ
Allegato(i) Dettagli della specie
Musaria tirellii (Luigioni, 1913)
Cerambycidae


4.VII.2014 - ITALIA - Abruzzo - AQ
Coleoptera

Julodis

3

1566

05/07/2014, 13:55

AleP Vedi ultimo messaggio

Nessun messaggio da leggere
Allegato(i) Dettagli della specie
Aegomorphus clavipes (Schrank, 1781)
Cerambycidae


4.VII.2014 - SVIZZERA - EE
Coleoptera

gio

2

1489

04/07/2014, 22:31

gio Vedi ultimo messaggio

Nessun messaggio da leggere
Saperda punctata (Linnaeus, 1767) - Cerambycidae
22.VI.2014 - ITALIA - Emilia-Romagna - BO
Allegato(i) Dettagli della specie
Saperda punctata (Linnaeus, 1767)
Cerambycidae


22.VI.2014 - ITALIA - Emilia-Romagna - BO
Coleoptera

Salvatore Caiazzo

2

1142

03/07/2014, 1:04

Salvatore Caiazzo Vedi ultimo messaggio

Nessun messaggio da leggere
Cerambyx cerdo cerdo Linnaeus, 1758 - Cerambycidae
1.VII.2014 - ITALIA - Campania - SA
Allegato(i) Dettagli della specie
Cerambyx cerdo cerdo Linnaeus, 1758
Cerambycidae


1.VII.2014 - ITALIA - Campania - SA
Coleoptera

Enzo.C

5

1586

02/07/2014, 13:21

Enzo.C Vedi ultimo messaggio

Nessun messaggio da leggere
Niphona picticornis Mulsant, 1839 - Cerambycidae
25.VI.2014 - ITALIA - Sicilia - PA
Allegato(i) Dettagli della specie
Niphona picticornis Mulsant, 1839
Cerambycidae


25.VI.2014 - ITALIA - Sicilia - PA
Coleoptera

Sakazaky

9

2144

01/07/2014, 21:14

AleP Vedi ultimo messaggio

Nessun messaggio da leggere
Cerambyx scopolii scopolii Fuessly, 1775 - Cerambycidae
20.VI.2014 - ITALIA - Toscana - FI
Allegato(i) Dettagli della specie
Cerambyx scopolii scopolii Fuessly, 1775
Cerambycidae


20.VI.2014 - ITALIA - Toscana - FI
Coleoptera

skip

2

1096

30/06/2014, 23:12

skip Vedi ultimo messaggio

Nessun messaggio da leggere
Allegato(i)
Aristobia approximator (Thomson, 1865) - Cerambycidae

THAILANDIA - EE
Coleoptera

Palaemonetes

3

1205

30/06/2014, 18:59

Enzo.C Vedi ultimo messaggio

Nessun messaggio da leggere
Allegato(i) Dettagli della specie
Rutpela maculata maculata (Poda, 1761)
Cerambycidae


5.VI.2014 - ROMANIA - EE
Coleoptera

AdYRuicanescu

0

779

30/06/2014, 15:57

AdYRuicanescu Vedi ultimo messaggio

Nessun messaggio da leggere
Deroplia troberti troberti (Mulsant, 1843) - Cerambycidae
10.VI.2014 - ITALIA - Sardegna - OT
Allegato(i) Dettagli della specie
Deroplia troberti troberti (Mulsant, 1843)
Cerambycidae


10.VI.2014 - ITALIA - Sardegna - OT
Coleoptera

Fumea crassiorella

5

1605

30/06/2014, 8:17

Entomarci Vedi ultimo messaggio

Nessun messaggio da leggere
Allegato(i) Dettagli della specie
Dinoptera (Dinoptera) collaris (Linnaeus, 1758)
Cerambycidae


17.V.2014 - TURCHIA - EE
Coleoptera

ozgur70

2

1192

27/06/2014, 22:19

Plagionotus Vedi ultimo messaggio

Nessun messaggio da leggere
Allegato(i) Dettagli della specie
Oberea (Amaurostoma) erythrocephala erythrocephala (Schrank, 1776)
Cerambycidae


28.V.2014 - ITALIA - Lombardia - CR
Coleoptera

betelges

10

3168

27/06/2014, 14:51

betelges Vedi ultimo messaggio

Nessun messaggio da leggere
Allegato(i) Dettagli della specie
Agapanthia (Agapanthia) suturalis (Fabricius, 1787)
Cerambycidae


5.V.2014 - TURCHIA - EE
Coleoptera

Guido Sabatinelli

1

1264

25/06/2014, 11:38

Plagionotus Vedi ultimo messaggio

Nessun messaggio da leggere
Penichroa fasciata (Stephens, 1831) - Cerambycidae
23.VI.2014 - ITALIA - Sicilia - TP
Allegato(i) Dettagli della specie
Penichroa fasciata (Stephens, 1831)
Cerambycidae


23.VI.2014 - ITALIA - Sicilia - TP
Coleoptera

Davide Castelli

6

2449

24/06/2014, 14:52

Julodis Vedi ultimo messaggio

Nessun messaggio da leggere
Stictoleptura scutellata melas (Lucas, 1849) - Cerambycidae
21.VI.2014 - ITALIA - Sicilia - PA
Allegato(i) Dettagli della specie
Stictoleptura scutellata melas (Lucas, 1849)
Cerambycidae


21.VI.2014 - ITALIA - Sicilia - PA
Coleoptera

carabus

2

1664

22/06/2014, 21:16

Daniele Maccapani Vedi ultimo messaggio

Nessun messaggio da leggere
Allegato(i)
Purpuricenus schurmanni Slàma, 1985 - Cerambycidae

20.V.2014 - GRECIA - EE
Coleoptera

Entomarci

5

1375

22/06/2014, 11:32

Plagionotus Vedi ultimo messaggio

Nessun messaggio da leggere
Allegato(i) Dettagli della specie
Phytoecia caerulea caerulea (Scopoli, 1772)
Cerambycidae


24.V.2014 - TURCHIA - EE
Coleoptera

ozgur70

1

922

22/06/2014, 9:45

Xylosteus Vedi ultimo messaggio

Nessun messaggio da leggere
Morimus asper asper (Sulzer, 1776) - Cerambycidae
21.VI.2014 - ITALIA - Emilia-Romagna - PR
Allegato(i) Dettagli della specie
Morimus asper asper (Sulzer, 1776)
Cerambycidae


21.VI.2014 - ITALIA - Emilia-Romagna - PR
Coleoptera

chiara92

2

1000

22/06/2014, 0:48

chiara92 Vedi ultimo messaggio

Nessun messaggio da leggere
Allegato(i) Dettagli della specie
Pachytodes cerambyciformis (Schrank, 1781)
Cerambycidae


9.VI.2014 - SVIZZERA - EE
Coleoptera

gio

2

937

21/06/2014, 10:58

gio Vedi ultimo messaggio

Nessun messaggio da leggere
Allegato(i) Dettagli della specie
Tetrops praeustus praeustus (Linnaeus, 1758)
Cerambycidae


19.VI.2014 - SVIZZERA - EE
Coleoptera

gio

2

1082

20/06/2014, 8:11

gio Vedi ultimo messaggio

Nessun messaggio da leggere
Allegato(i) Dettagli della specie
Agapanthia (Epoptes) sicula sicula Ganglbauer, 1884
Cerambycidae


19.VI.2014 - ITALIA - Sicilia - PA
Coleoptera

carabus

3

1270

19/06/2014, 19:59

Plagionotus Vedi ultimo messaggio

Nessun messaggio da leggere
Allegato(i)
Stenurella bifasciata (Muller, 1776) (cf.) - Cerambycidae

15.VI.2014 - SVIZZERA - EE
Coleoptera

gio

2

974

17/06/2014, 19:42

gio Vedi ultimo messaggio

Nessun messaggio da leggere
Allegato(i)
Agapanthia lateralis Ganglbauer, 1884 - Cerambycidae

5.V.2014 - TURCHIA - EE
Coleoptera

Guido Sabatinelli

3

1078

16/06/2014, 10:40

Guido Sabatinelli Vedi ultimo messaggio

Nessun messaggio da leggere
Anaglyptus gibbosus (Fabricius, 1787) - Cerambycidae
11.VI.2014 - ITALIA - Molise - IS
Allegato(i) Dettagli della specie
Anaglyptus gibbosus (Fabricius, 1787)
Cerambycidae


11.VI.2014 - ITALIA - Molise - IS
Coleoptera

Franco ROSSI

6

2113

16/06/2014, 8:58

Franco ROSSI Vedi ultimo messaggio

Visualizza ultimi argomenti:  Ordina per  Ordine:  
nuovo argomento
Vai alla pagina Precedente  1 ... 37, 38, 39, 40, 41, 42, 43 ... 103  Prossimo
Pagina 40 di 103 [ 5111 argomenti ]

Tutti gli orari sono UTC + 1 ora [ ora legale ]


Chi c’è in linea

Visitano il forum: Nessuno e 1 ospite


Legenda
Messaggi da leggere Messaggi da leggere Nessun messaggio da leggere Nessun messaggio da leggere Annuncio Annuncio
 
Specie indeterminata / discussione generica
Messaggi non letti [ Popolari ] Messaggi non letti [ Popolari ] Nessun messaggio da leggere [ Popolare ] Nessun messaggio da leggere [ Popolare ] Importante Importante
 
Specie determinata fino al genere o cf.
Messaggi non letti [ Bloccati ] Messaggi non letti [ Bloccati ] No messaggi non letti [ Bloccati ] No messaggi non letti [ Bloccati ] Argomento spostato Argomento spostato
 
Specie correttamente determinata
Permessi
Non puoi aprire nuovi argomenti
Non puoi rispondere negli argomenti
Non puoi modificare i tuoi messaggi
Non puoi cancellare i tuoi messaggi
Non puoi inviare allegati

Cerca per:
Vai a: