Benvenuto Ospite

Forum Entomologi Italiani

www.entomologiitaliani.net/forum
 
Oggi è 28/05/2026, 0:32

Tutti gli orari sono UTC + 1 ora [ ora legale ]


92% 
2929 taxa correttamente determinati su 3183 presenti in archivio

Cerambycidae


[ AFROTROPICALE ] [ ANTARTICO ] [ AUSTRALASIANO ] [ NEARTICO ] [ NEOTROPICALE ] [ ORIENTALE ] [ PALEARTICO ]


nuovo argomento
Vai alla pagina Precedente  1, 2, 3, 4, 5, 6, 7, 8 ... 103  Prossimo
Pagina 5 di 103 [ 5110 argomenti ]
 Argomenti   Ordine   Autore   Risposte   Visite    Ultimo messaggio 
Annunci
Nessun messaggio da leggere
Allegato(i)
Incontri entomologici della Società Entomologica Italiana 2025-2026
 

Velvet Ant

0

67660

17/11/2025, 19:41

Velvet Ant Vedi ultimo messaggio

Nessun messaggio da leggere
Allegato(i)
Incontri entomologici telematici organizzati dalla Società Entomologica Italiana nel 2022 e nel 2023

[ Vai alla paginaVai alla pagina: 1, 2, 3 ]

 

Velvet Ant

44

2174885

03/03/2023, 15:55

Velvet Ant Vedi ultimo messaggio

Nessun messaggio da leggere  
Allegato(i)
Sondaggio sul declino dell'entomofauna in Italia

[ Vai alla paginaVai alla pagina: 1, 2, 3, 4 ]

 

Velvet Ant

52

2864255

22/10/2022, 19:18

Acquarius Vedi ultimo messaggio

Nessun messaggio da leggere  
Allegato(i)
Progetto: Bibliografia ragionata dei lavori entomologici nei quali sono citati reperti apparsi su FEI

[ Vai alla paginaVai alla pagina: 1, 2, 3 ]

 

Velvet Ant

33

1743877

06/07/2023, 18:31

Orotrechus Vedi ultimo messaggio

Nessun messaggio da leggere
Allegato(i)
Mimesi, il primo documentario cinematografico sull’entomologia in Italia: casting
 

mazzeip

1

1163275

28/02/2019, 20:26

mazzeip Vedi ultimo messaggio

Questo argomento è bloccato, non puoi modificare o inviare ulteriori messaggi.
Allegato(i)
ISTRUZIONI PUBBLICAZIONE NUOVI ARGOMENTI E FOTO

 
Altri Ordini di Insetti

Julodis

4

2990808

13/05/2015, 19:37

Julodis Vedi ultimo messaggio

Nessun messaggio da leggere
Allegato(i)
Limitatore giornaliero di messaggi, uno strumento utile e ormai indispensabile

[ Vai alla paginaVai alla pagina: 1 ... 14, 15, 16 ]

 

Velvet Ant

233

14497635

25/09/2014, 14:31

Inachis Vedi ultimo messaggio

Nessun messaggio da leggere  
NORME PER I COLLABORATORI DEL FORUM

 
 

Velvet Ant

0

691396

02/06/2011, 12:05

Velvet Ant Vedi ultimo messaggio

Nessun messaggio da leggere
Allegato(i)
NORME PER GLI UTENTI DEL FORUM

[ Vai alla paginaVai alla pagina: 1, 2, 3 ]



 
 

Velvet Ant

30

3858673

23/09/2014, 23:54

Maurizio Bollino Vedi ultimo messaggio

Questo argomento è bloccato, non puoi modificare o inviare ulteriori messaggi.  
Elenco delle specie italiane di Cerambycidae presenti sul forum
Cerambycidae


 
Coleoptera

Plagionotus

0

6516

22/11/2010, 22:28

Plagionotus Vedi ultimo messaggio

Nessun messaggio da leggere  
Lista degli utenti del "Forum entomologi italiani" per campi di interesse e specializzazione

 
Altri Ordini di Insetti

Velvet Ant

13

1184849

07/09/2023, 17:14

Roberto-07 Vedi ultimo messaggio

Argomenti
Nessun messaggio da leggere
Pogonocherus neuhausi J. Müller, 1916 - Cerambycidae
25.X.2021 - ITALIA - Marche - AN
Allegato(i) Dettagli della specie
Pogonocherus neuhausi J. Müller, 1916
Cerambycidae


25.X.2021 - ITALIA - Marche - AN
Coleoptera

tommaso.spilli

0

745

26/05/2022, 19:35

tommaso.spilli Vedi ultimo messaggio

Nessun messaggio da leggere
Allegato(i) Dettagli della specie
Anoplodera (Anoplodera) sexguttata (Fabricius, 1775)
Cerambycidae


24.V.2022 - ITALIA - Veneto - VI
Coleoptera

Apoderus

3

933

26/05/2022, 15:39

Liatongus Vedi ultimo messaggio

Nessun messaggio da leggere
Calamobius filum (Rossi, 1790) - Cerambycidae
3.V.2022 - ITALIA - Lazio - RM
Allegato(i) Dettagli della specie
Calamobius filum (Rossi, 1790)
Cerambycidae


3.V.2022 - ITALIA - Lazio - RM
Coleoptera

soken

0

752

22/05/2022, 19:57

soken Vedi ultimo messaggio

Nessun messaggio da leggere
Allegato(i) Dettagli della specie
Cortodera humeralis aspromontana G. Müller, 1948
Cerambycidae


15.V.2008 - GRECIA - EE
Coleoptera

StagBeetle

0

539

21/05/2022, 22:04

StagBeetle Vedi ultimo messaggio

Nessun messaggio da leggere
Allegato(i) Dettagli della specie
Tetropium fuscum (Fabricius, 1787)
Cerambycidae


20.V.2020 - POLONIA - EE
Coleoptera

StagBeetle

0

522

21/05/2022, 22:04

StagBeetle Vedi ultimo messaggio

Nessun messaggio da leggere
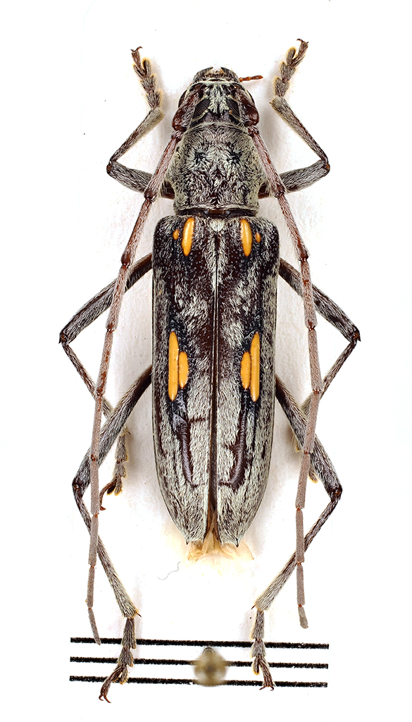
Agapanthia (Agapanthia) cardui (Linnaeus, 1767) - Cerambycidae
15.V.2022 - ITALIA - Lombardia - LC
Allegato(i) Dettagli della specie
Agapanthia (Agapanthia) cardui (Linnaeus, 1767)
Cerambycidae


15.V.2022 - ITALIA - Lombardia - LC
Coleoptera

RicPan

1

859

21/05/2022, 15:03

RicPan Vedi ultimo messaggio

Nessun messaggio da leggere
Agapanthia (Agapanthia) cardui (Linnaeus, 1767) - Cerambycidae
15.V.2022 - ITALIA - Lombardia - LC
Allegato(i) Dettagli della specie
Agapanthia (Agapanthia) cardui (Linnaeus, 1767)
Cerambycidae


15.V.2022 - ITALIA - Lombardia - LC
Coleoptera

RicPan

1

729

21/05/2022, 15:03

RicPan Vedi ultimo messaggio

Nessun messaggio da leggere
Allegato(i) Dettagli della specie
Agapanthia (Agapanthia) cardui (Linnaeus, 1767) cf.
Cerambycidae


7.V.2022 - ITALIA - Lombardia - CR
Coleoptera

Lolapip

0

733

20/05/2022, 23:11

Lolapip Vedi ultimo messaggio

Nessun messaggio da leggere
Allegato(i) Dettagli della specie
Rhagium (Megarhagium) sycophanta (Schrank, 1781)
Cerambycidae


19.VI.2016 - POLONIA - EE
Coleoptera

StagBeetle

0

509

20/05/2022, 22:04

StagBeetle Vedi ultimo messaggio

Nessun messaggio da leggere
Arhopalus rusticus (Linnaeus, 1758) - Cerambycidae
14.VIII.2005 - POLONIA - EE
Allegato(i) Dettagli della specie
Arhopalus rusticus (Linnaeus, 1758)
Cerambycidae


14.VIII.2005 - POLONIA - EE
Coleoptera

StagBeetle

0

548

20/05/2022, 22:04

StagBeetle Vedi ultimo messaggio

Nessun messaggio da leggere
Allegato(i) Dettagli della specie
Agapanthia (Epoptes) villosoviridescens (De Geer, 1775)
Cerambycidae


7.V.2022 - ITALIA - Lombardia - CR
Coleoptera

Lolapip

1

826

20/05/2022, 16:39

f.izzillo Vedi ultimo messaggio

Nessun messaggio da leggere
Allegato(i) Dettagli della specie
Anisorus quercus quercus (Götz, 1783)
Cerambycidae


30.V.2014 - POLONIA - EE
Coleoptera

StagBeetle

0

659

19/05/2022, 22:04

StagBeetle Vedi ultimo messaggio

Nessun messaggio da leggere
Clytus arietis arietis (Linnaeus, 1758) - Cerambycidae
15.V.2022 - ITALIA - Trentino-Alto Adige - TN
Allegato(i) Dettagli della specie
Clytus arietis arietis (Linnaeus, 1758)
Cerambycidae


15.V.2022 - ITALIA - Trentino-Alto Adige - TN
Coleoptera

Syrio

2

827

16/05/2022, 19:55

Syrio Vedi ultimo messaggio

Nessun messaggio da leggere
Phymatodes testaceus (Linnaeus, 1758) - Cerambycidae
3.V.2022 - ITALIA - Lazio - RM
Allegato(i) Dettagli della specie
Phymatodes testaceus (Linnaeus, 1758)
Cerambycidae


3.V.2022 - ITALIA - Lazio - RM
Coleoptera

soken

0

601

14/05/2022, 18:15

soken Vedi ultimo messaggio

Nessun messaggio da leggere
Opsilia coerulescens (Scopoli, 1763) - Cerambycidae
3.V.2022 - ITALIA - Lazio - RM
Allegato(i) Dettagli della specie
Opsilia coerulescens (Scopoli, 1763)
Cerambycidae


3.V.2022 - ITALIA - Lazio - RM
Coleoptera

soken

0

619

14/05/2022, 0:16

soken Vedi ultimo messaggio

Nessun messaggio da leggere
Deilus fugax (Olivier, 1790) - Cerambycidae
3.V.2022 - ITALIA - Lazio - RM
Allegato(i) Dettagli della specie
Deilus fugax (Olivier, 1790)
Cerambycidae


3.V.2022 - ITALIA - Lazio - RM
Coleoptera

soken

3

761

10/05/2022, 13:47

soken Vedi ultimo messaggio

Nessun messaggio da leggere
Allegato(i) Dettagli della specie
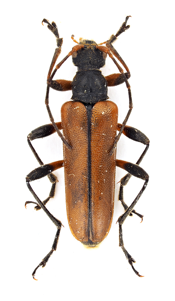
Dorcadion (Pedestredorcadion) arenarium marsicanum Fracassi, 1905
Cerambycidae


3.V.2022 - ITALIA - Lazio - RM
Coleoptera

soken

5

1168

06/05/2022, 15:55

soken Vedi ultimo messaggio

Nessun messaggio da leggere
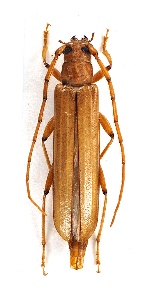
Saperda scalaris scalaris (Linnaeus, 1758) - Cerambycidae
5.VII.2018 - ITALIA - Toscana - PT
Allegato(i) Dettagli della specie
Saperda scalaris scalaris (Linnaeus, 1758)
Cerambycidae


5.VII.2018 - ITALIA - Toscana - PT
Coleoptera

Parentesi

0

584

02/05/2022, 16:16

Parentesi Vedi ultimo messaggio

Nessun messaggio da leggere
Allegato(i) Dettagli della specie
Poecilium rufipes (Fabricius, 1777)
Cerambycidae


23.IV.2022 - BULGARIA - EE
Coleoptera

Joro

4

1024

01/05/2022, 22:03

Joro Vedi ultimo messaggio

Nessun messaggio da leggere
Parmena unifasciata (Rossi, 1790) - Cerambycidae
14.IV.2022 - ITALIA - Lazio - RM
Allegato(i) Dettagli della specie
Parmena unifasciata (Rossi, 1790)
Cerambycidae

[ Vai alla paginaVai alla pagina: 1, 2 ]



14.IV.2022 - ITALIA - Lazio - RM
Coleoptera

soken

18

2820

24/04/2022, 0:13

Clickie Vedi ultimo messaggio

Nessun messaggio da leggere
Cerambyx cerdo cerdo Linnaeus, 1758 - Cerambycidae
1.IV.2022 - ITALIA - Lazio - RM
Allegato(i) Dettagli della specie
Cerambyx cerdo cerdo Linnaeus, 1758
Cerambycidae


1.IV.2022 - ITALIA - Lazio - RM
Coleoptera

Arlette

6

1489

23/04/2022, 20:46

Arlette Vedi ultimo messaggio

Nessun messaggio da leggere
Lamia textor (Linnaeus, 1758) - Cerambycidae
15.IV.2022 - ITALIA - Veneto - PD
Allegato(i) Dettagli della specie
Lamia textor (Linnaeus, 1758)
Cerambycidae


15.IV.2022 - ITALIA - Veneto - PD
Coleoptera

Parentesi

4

1247

17/04/2022, 11:42

Giuseppe Vedi ultimo messaggio

Nessun messaggio da leggere
Allegato(i)
Epidichostates strandi (Breuning 1935) (cf.) - Cerambycidae

V.2021 - TOGO - EE
Coleoptera

tala

3

971

14/04/2022, 13:28

tala Vedi ultimo messaggio

Nessun messaggio da leggere
Monochamus sp. - Cerambycidae
VIII.2021 - ITALIA - Veneto - BL
Allegato(i)
Monochamus sp. - Cerambycidae

VIII.2021 - ITALIA - Veneto - BL
Coleoptera

GiacomoGas

2

870

09/04/2022, 15:02

GiacomoGas Vedi ultimo messaggio

Nessun messaggio da leggere
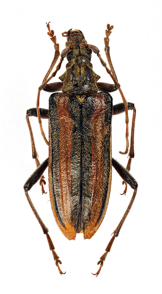
Pyrrhidium sanguineum (Linnaeus, 1758) - Cerambycidae
28.III.2022 - ITALIA - Friuli-Venezia Giulia - GO
Allegato(i) Dettagli della specie
Pyrrhidium sanguineum (Linnaeus, 1758)
Cerambycidae


28.III.2022 - ITALIA - Friuli-Venezia Giulia - GO
Coleoptera

Agdistis

1

781

31/03/2022, 16:40

Davide Ambrosioni Vedi ultimo messaggio

Nessun messaggio da leggere
Allegato(i)
Agapanthia viti Rapuzzi e Sama 2012 - Cerambycidae
Cerambycidae


VI.2009 - UNGHERIA - EE
Coleoptera

StagBeetle

3

944

30/03/2022, 11:04

Xylosteus Vedi ultimo messaggio

Nessun messaggio da leggere
Saphanus piceus piceus (Laicharting, 1784) - Cerambycidae
18.VII.2018 - ITALIA - Piemonte - CN
Allegato(i) Dettagli della specie
Saphanus piceus piceus (Laicharting, 1784)
Cerambycidae


18.VII.2018 - ITALIA - Piemonte - CN
Coleoptera

Parentesi

2

991

20/03/2022, 23:47

Parentesi Vedi ultimo messaggio

Nessun messaggio da leggere
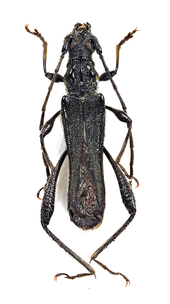
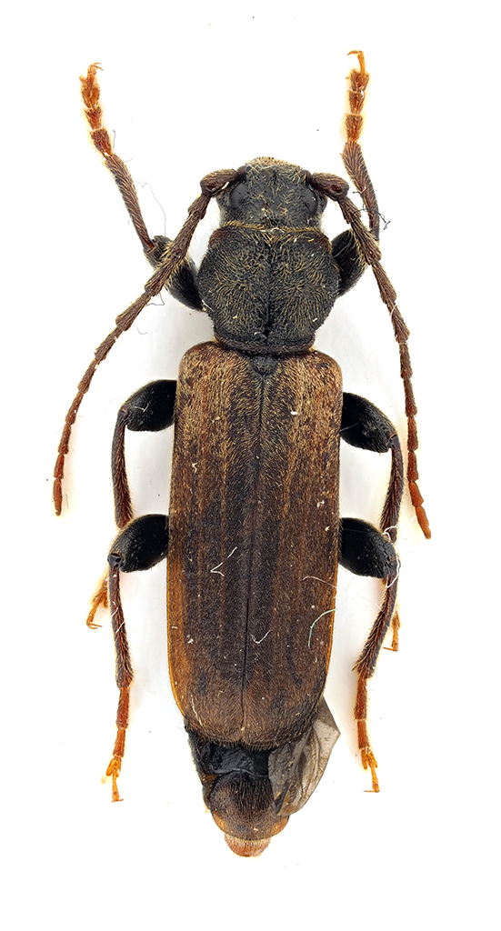
Aegosoma scabricorne (Scopoli, 1763) - Cerambycidae
25.II.2022 - ITALIA - Lazio - RM
Allegato(i) Dettagli della specie
Aegosoma scabricorne (Scopoli, 1763)
Cerambycidae


25.II.2022 - ITALIA - Lazio - RM
Coleoptera

Broc

3

1009

05/03/2022, 8:57

Xylosteus Vedi ultimo messaggio

Nessun messaggio da leggere
Oxypleurus nodieri Mulsant, 1839 - Cerambycidae
25.II.2022 - ITALIA - Campania - SA
Allegato(i) Dettagli della specie
Oxypleurus nodieri Mulsant, 1839
Cerambycidae


25.II.2022 - ITALIA - Campania - SA
Coleoptera

Enzo.C

3

976

26/02/2022, 14:45

Enzo.C Vedi ultimo messaggio

Nessun messaggio da leggere
Ropica signata Pic, 1932 - Cerambycidae
5.I.2001 - MAURITIUS - EE
Allegato(i)
Ropica signata Pic, 1932 - Cerambycidae
Cerambycidae


5.I.2001 - MAURITIUS - EE
Coleoptera

StagBeetle

2

805

24/02/2022, 21:03

StagBeetle Vedi ultimo messaggio

Nessun messaggio da leggere
Allegato(i) Dettagli della specie
Pseudovadonia livida livida (Fabricius, 1777)
Cerambycidae


9.VI.2021 - ITALIA - Lazio - RM
Coleoptera

wgliinsetti

2

863

21/02/2022, 20:02

wgliinsetti Vedi ultimo messaggio

Nessun messaggio da leggere
Allegato(i) Dettagli della specie
Ropalopus (Ropalopus) varini (Bedel, 1870)
Cerambycidae


VI.2021 - ITALIA - Marche - MC
Coleoptera

StagBeetle

7

1542

19/02/2022, 18:40

Plagionotus Vedi ultimo messaggio

Nessun messaggio da leggere
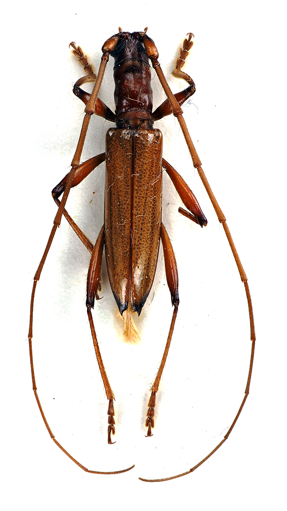
Rhamnusium bicolor bicolor (Schrank, 1781) - Cerambycidae
4.VI.1996 - REPUBBLICA CECA - EE
Allegato(i) Dettagli della specie
Rhamnusium bicolor bicolor (Schrank, 1781)
Cerambycidae


4.VI.1996 - REPUBBLICA CECA - EE
Coleoptera

StagBeetle

11

1774

19/02/2022, 13:18

StagBeetle Vedi ultimo messaggio

Nessun messaggio da leggere
Allegato(i) Dettagli della specie
Stictoleptura scutellata scutellata (Fabricius, 1781)
Cerambycidae


VII.2021 - ITALIA - Marche - MC
Coleoptera

StagBeetle

0

619

14/02/2022, 20:35

StagBeetle Vedi ultimo messaggio

Nessun messaggio da leggere
Allegato(i) Dettagli della specie
Ropalopus (Ropalopus) ungaricus (Herbst, 1784)
Cerambycidae


VII.2021 - ITALIA - Marche - MC
Coleoptera

StagBeetle

0

669

14/02/2022, 20:32

StagBeetle Vedi ultimo messaggio

Nessun messaggio da leggere
Arhopalus ferus (Mulsant, 1839) - Cerambycidae
20.VII.1992 - PORTOGALLO - EE
Allegato(i) Dettagli della specie
Arhopalus ferus (Mulsant, 1839)
Cerambycidae


20.VII.1992 - PORTOGALLO - EE
Coleoptera

StagBeetle

0

616

06/02/2022, 21:12

StagBeetle Vedi ultimo messaggio

Nessun messaggio da leggere
Allegato(i)
Stictoleptura (Cribroleptura) stragulata (Germar, 1824) - Cerambycidae
Cerambycidae


25.VI.1989 - SPAGNA - EE
Coleoptera

StagBeetle

4

886

06/02/2022, 17:08

Plagionotus Vedi ultimo messaggio

Nessun messaggio da leggere
Oxymirus cursor (Linnaeus, 1758) - Cerambycidae
16.VI.2000 - SLOVENIA - EE
Allegato(i) Dettagli della specie
Oxymirus cursor (Linnaeus, 1758)
Cerambycidae


16.VI.2000 - SLOVENIA - EE
Coleoptera

StagBeetle

0

663

05/02/2022, 21:12

StagBeetle Vedi ultimo messaggio

Nessun messaggio da leggere
Allegato(i)
Mallodon spinibarbis (Linnaeus, 1758) (cf.) - Cerambycidae
Cerambycidae


10.XII.1988 - BRASILE - EE
Coleoptera

StagBeetle

0

495

04/02/2022, 21:12

StagBeetle Vedi ultimo messaggio

Nessun messaggio da leggere
Allegato(i)
Callimoxys gracilis (Brullé, 1832) - Cerambycidae
Cerambycidae


20.V.2009 - GRECIA - EE
Coleoptera

StagBeetle

0

477

04/02/2022, 21:12

StagBeetle Vedi ultimo messaggio

Nessun messaggio da leggere
Allegato(i)
Agrianome spinicollis (MacLeay, 1826) - Cerambycidae Prioninae
Cerambycidae


VIII.2006 - AUSTRALIA - EE
Coleoptera

StagBeetle

2

956

04/02/2022, 13:31

StagBeetle Vedi ultimo messaggio

Nessun messaggio da leggere
Tropidion sp. - Cerambycidae
10.XII.1988 - BRASILE - EE
Allegato(i)
Tropidion sp. - Cerambycidae
Cerambycidae


10.XII.1988 - BRASILE - EE
Coleoptera

StagBeetle

1

696

25/01/2022, 14:02

StagBeetle Vedi ultimo messaggio

Nessun messaggio da leggere
Allegato(i) Dettagli della specie
Agapanthia (Epoptes) asphodeli (Latreille, 1804)
Cerambycidae


14.V.1989 - SPAGNA - EE
Coleoptera

StagBeetle

3

914

24/01/2022, 14:25

StagBeetle Vedi ultimo messaggio

Nessun messaggio da leggere
Allegato(i)
Atrypanius haldemani (LeConte, 1852) cf. - Cerambycidae

15.II.1996 - MESSICO - EE
Coleoptera

StagBeetle

2

785

24/01/2022, 7:11

StagBeetle Vedi ultimo messaggio

Nessun messaggio da leggere
Allegato(i) Dettagli della specie
Agapanthia (Epoptes) kirbyi (Gyllenhal, 1817)
Cerambycidae


VI.2008 - TURCHIA - EE
Coleoptera

StagBeetle

0

623

23/01/2022, 23:22

StagBeetle Vedi ultimo messaggio

Nessun messaggio da leggere
Allegato(i)
Malacopterus pavidus (Germar, 1824) - Cerambycidae
Cerambycidae


10.XII.1988 - BRASILE - EE
Coleoptera

StagBeetle

1

748

23/01/2022, 19:56

StagBeetle Vedi ultimo messaggio

Nessun messaggio da leggere
Allegato(i)
Agapanthia annularis (Olivier, 1795) - Cerambycidae

14.V.1989 - SPAGNA - EE
Coleoptera

StagBeetle

0

647

22/01/2022, 23:22

StagBeetle Vedi ultimo messaggio

Nessun messaggio da leggere
Stromatium unicolor (Olivier, 1795) - Cerambycidae
18.VII.2010 - ITALIA - Emilia-Romagna - FC
Allegato(i) Dettagli della specie
Stromatium unicolor (Olivier, 1795)
Cerambycidae


18.VII.2010 - ITALIA - Emilia-Romagna - FC
Coleoptera

Semanotus

11

3090

22/01/2022, 22:23

Chalybion Vedi ultimo messaggio

Nessun messaggio da leggere
Allegato(i)
Eburodacrys sexguttata Lameere 1884 - Cerambycidae Cerambycinae

10.XII.1988 - BRASILE - EE
Coleoptera

StagBeetle

5

1347

22/01/2022, 0:39

StagBeetle Vedi ultimo messaggio

Nessun messaggio da leggere
Allegato(i)
Eburia lanigera Linell, 1898 - Cerambycidae Cerambycinae

6.II.2016 - ECUADOR - EE
Coleoptera

StagBeetle

2

879

22/01/2022, 0:12

StagBeetle Vedi ultimo messaggio

Visualizza ultimi argomenti:  Ordina per  Ordine:  
nuovo argomento
Vai alla pagina Precedente  1, 2, 3, 4, 5, 6, 7, 8 ... 103  Prossimo
Pagina 5 di 103 [ 5110 argomenti ]

Tutti gli orari sono UTC + 1 ora [ ora legale ]


Chi c’è in linea

Visitano il forum: Nessuno e 6 ospiti


Legenda
Messaggi da leggere Messaggi da leggere Nessun messaggio da leggere Nessun messaggio da leggere Annuncio Annuncio
 
Specie indeterminata / discussione generica
Messaggi non letti [ Popolari ] Messaggi non letti [ Popolari ] Nessun messaggio da leggere [ Popolare ] Nessun messaggio da leggere [ Popolare ] Importante Importante
 
Specie determinata fino al genere o cf.
Messaggi non letti [ Bloccati ] Messaggi non letti [ Bloccati ] No messaggi non letti [ Bloccati ] No messaggi non letti [ Bloccati ] Argomento spostato Argomento spostato
 
Specie correttamente determinata
Permessi
Non puoi aprire nuovi argomenti
Non puoi rispondere negli argomenti
Non puoi modificare i tuoi messaggi
Non puoi cancellare i tuoi messaggi
Non puoi inviare allegati

Cerca per:
Vai a: