Benvenuto Ospite

Forum Entomologi Italiani

www.entomologiitaliani.net/forum
 
Oggi è 18/02/2026, 17:25

Tutti gli orari sono UTC + 1 ora [ ora legale ]


100%
2927 taxa correttamente determinati su 2928 presenti in archivio

Cerambycidae


[ AFROTROPICALE ] [ ANTARTICO ] [ AUSTRALASIANO ] [ NEARTICO ] [ NEOTROPICALE ] [ ORIENTALE ] [ PALEARTICO ]


nuovo argomento
Vai alla pagina Precedente  1 ... 38, 39, 40, 41, 42, 43, 44 ... 59  Prossimo
Pagina 41 di 59 [ 2928 argomenti ]
 Argomenti   Ordine   Autore   Risposte   Visite    Ultimo messaggio 
Annunci
Nessun messaggio da leggere
Allegato(i)
Incontri entomologici della Società Entomologica Italiana 2025-2026
 

Velvet Ant

0

27326

17/11/2025, 19:41

Velvet Ant Vedi ultimo messaggio

Nessun messaggio da leggere
Allegato(i)
Incontri entomologici telematici organizzati dalla Società Entomologica Italiana nel 2022 e nel 2023

[ Vai alla paginaVai alla pagina: 1, 2, 3 ]

 

Velvet Ant

44

1823346

03/03/2023, 15:55

Velvet Ant Vedi ultimo messaggio

Nessun messaggio da leggere  
Allegato(i)
Sondaggio sul declino dell'entomofauna in Italia

[ Vai alla paginaVai alla pagina: 1, 2, 3, 4 ]

 

Velvet Ant

52

2463790

22/10/2022, 19:18

Acquarius Vedi ultimo messaggio

Nessun messaggio da leggere  
Allegato(i)
Progetto: Bibliografia ragionata dei lavori entomologici nei quali sono citati reperti apparsi su FEI

[ Vai alla paginaVai alla pagina: 1, 2, 3 ]

 

Velvet Ant

33

1463960

06/07/2023, 18:31

Orotrechus Vedi ultimo messaggio

Nessun messaggio da leggere
Allegato(i)
Mimesi, il primo documentario cinematografico sull’entomologia in Italia: casting
 

mazzeip

1

1108310

28/02/2019, 20:26

mazzeip Vedi ultimo messaggio

Questo argomento è bloccato, non puoi modificare o inviare ulteriori messaggi.
Allegato(i)
ISTRUZIONI PUBBLICAZIONE NUOVI ARGOMENTI E FOTO

 
Altri Ordini di Insetti

Julodis

4

2914535

13/05/2015, 19:37

Julodis Vedi ultimo messaggio

Nessun messaggio da leggere
Allegato(i)
Limitatore giornaliero di messaggi, uno strumento utile e ormai indispensabile

[ Vai alla paginaVai alla pagina: 1 ... 14, 15, 16 ]

 

Velvet Ant

233

12969868

25/09/2014, 14:31

Inachis Vedi ultimo messaggio

Nessun messaggio da leggere  
NORME PER I COLLABORATORI DEL FORUM

 
 

Velvet Ant

0

648453

02/06/2011, 12:05

Velvet Ant Vedi ultimo messaggio

Nessun messaggio da leggere
Allegato(i)
NORME PER GLI UTENTI DEL FORUM

[ Vai alla paginaVai alla pagina: 1, 2, 3 ]



 
 

Velvet Ant

30

3580037

23/09/2014, 23:54

Maurizio Bollino Vedi ultimo messaggio

Questo argomento è bloccato, non puoi modificare o inviare ulteriori messaggi.  
Elenco delle specie italiane di Cerambycidae presenti sul forum
Cerambycidae


 
Coleoptera

Plagionotus

0

6268

22/11/2010, 22:28

Plagionotus Vedi ultimo messaggio

Nessun messaggio da leggere  
Lista degli utenti del "Forum entomologi italiani" per campi di interesse e specializzazione

 
Altri Ordini di Insetti

Velvet Ant

13

1057528

07/09/2023, 17:14

Roberto-07 Vedi ultimo messaggio

Argomenti
Nessun messaggio da leggere
Leptura aurulenta Fabricius, 1792 - Cerambycidae
30.XI.2011 - ITALIA - Emilia-Romagna - MO
Allegato(i) Dettagli della specie
Leptura aurulenta Fabricius, 1792
Cerambycidae


30.XI.2011 - ITALIA - Emilia-Romagna - MO
Coleoptera

conan

3

1448

01/08/2011, 8:54

conan Vedi ultimo messaggio

Nessun messaggio da leggere
Tetropium castaneum (Linnaeus, 1758) - Cerambycidae
5.VII.2011 - ITALIA - Toscana - PT
Allegato(i) Dettagli della specie
Tetropium castaneum (Linnaeus, 1758)
Cerambycidae


5.VII.2011 - ITALIA - Toscana - PT
Coleoptera

Sleepy Moose

4

2040

31/07/2011, 21:25

Plagionotus Vedi ultimo messaggio

Nessun messaggio da leggere
Asemum striatum (Linnaeus, 1758) - Cerambycidae
20.V.2011 - ITALIA - Veneto - BL
Allegato(i) Dettagli della specie
Asemum striatum (Linnaeus, 1758)
Cerambycidae


20.V.2011 - ITALIA - Veneto - BL
Coleoptera

Maw89

2

1436

31/07/2011, 20:25

Maw89 Vedi ultimo messaggio

Nessun messaggio da leggere
Chlorophorus glabromaculatus (Goeze, 1777) - Cerambycidae
30.VII.2011 - ITALIA - Lombardia - CO
Allegato(i) Dettagli della specie
Chlorophorus glabromaculatus (Goeze, 1777)
Cerambycidae


30.VII.2011 - ITALIA - Lombardia - CO
Coleoptera

Xylotrechus

3

1493

31/07/2011, 20:12

Xylotrechus Vedi ultimo messaggio

Nessun messaggio da leggere
Allegato(i) Dettagli della specie
Grammoptera ruficornis ruficornis (Fabricius, 1781)
Cerambycidae


7.V.2011 - ITALIA - Lombardia - BG
Coleoptera

nicoletta

6

1521

31/07/2011, 11:33

Plagionotus Vedi ultimo messaggio

Nessun messaggio da leggere
Leiopus nebulosus nebulosus (Linnaeus, 1758) - Cerambycidae
10.II.2011 - ITALIA - Lombardia - CO
Allegato(i) Dettagli della specie
Leiopus nebulosus nebulosus (Linnaeus, 1758)
Cerambycidae


10.II.2011 - ITALIA - Lombardia - CO
Coleoptera

Xylotrechus

2

884

30/07/2011, 17:54

Xylotrechus Vedi ultimo messaggio

Nessun messaggio da leggere
Allegato(i) Dettagli della specie
Trichoferus griseus (Fabricius, 1792)
Cerambycidae


28.VII.2011 - ITALIA - Puglia
Coleoptera

Fabio Turchetti

2

1066

29/07/2011, 20:46

Fabio Turchetti Vedi ultimo messaggio

Nessun messaggio da leggere
Stictoleptura rubra rubra (Linnaeus, 1758) - Cerambycidae
16.VII.2011 - ITALIA - Abruzzo - PE
Allegato(i) Dettagli della specie
Stictoleptura rubra rubra (Linnaeus, 1758)
Cerambycidae


16.VII.2011 - ITALIA - Abruzzo - PE
Coleoptera

Alessio89

2

1094

29/07/2011, 17:22

Alessio89 Vedi ultimo messaggio

Nessun messaggio da leggere
Ergates faber opifex Mulsant, 1851 - Cerambycidae
14.VII.2010 - ITALIA - Sicilia - ME
Allegato(i) Dettagli della specie
Ergates faber opifex Mulsant, 1851
Cerambycidae


14.VII.2010 - ITALIA - Sicilia - ME
Coleoptera

Lucanus tetraodon

7

2199

29/07/2011, 12:46

Lucanus tetraodon Vedi ultimo messaggio

Nessun messaggio da leggere
Stictoleptura rubra rubra (Linnaeus, 1758) - Cerambycidae
16.VII.2011 - ITALIA - Abruzzo - PE
Allegato(i) Dettagli della specie
Stictoleptura rubra rubra (Linnaeus, 1758)
Cerambycidae


16.VII.2011 - ITALIA - Abruzzo - PE
Coleoptera

Alessio89

4

1363

28/07/2011, 19:54

Isotomus Vedi ultimo messaggio

Nessun messaggio da leggere
Stenurella melanura (Linnaeus, 1758) - Cerambycidae
23.VII.2011 - ITALIA - Toscana - AR
Allegato(i) Dettagli della specie
Stenurella melanura (Linnaeus, 1758)
Cerambycidae


23.VII.2011 - ITALIA - Toscana - AR
Coleoptera

Sleepy Moose

3

1394

28/07/2011, 13:26

Sleepy Moose Vedi ultimo messaggio

Nessun messaggio da leggere
Allegato(i) Dettagli della specie
Agapanthia (Agapanthia) suturalis (Fabricius, 1787)
Cerambycidae


19.V.2011 - ITALIA - Sardegna - OT
Coleoptera

Mauro

2

1373

27/07/2011, 19:45

Mauro Vedi ultimo messaggio

Nessun messaggio da leggere
Anastrangalia dubia dubia (Scopoli, 1763) - Cerambycidae
23.VII.2011 - ITALIA - Toscana - AR
Allegato(i) Dettagli della specie
Anastrangalia dubia dubia (Scopoli, 1763)
Cerambycidae


23.VII.2011 - ITALIA - Toscana - AR
Coleoptera

Sleepy Moose

7

2119

26/07/2011, 19:46

hpl Vedi ultimo messaggio

Nessun messaggio da leggere
Callidium coriaceum Paykull, 1800 - Cerambycidae
18.VII.2011 - ITALIA - Trentino-Alto Adige - BZ
Allegato(i) Dettagli della specie
Callidium coriaceum Paykull, 1800
Cerambycidae


18.VII.2011 - ITALIA - Trentino-Alto Adige - BZ
Coleoptera

Entomarci

0

977

25/07/2011, 14:02

Entomarci Vedi ultimo messaggio

Nessun messaggio da leggere
Pachyta lamed lamed (Linnaeus, 1758) - Cerambycidae
16.VII.2011 - ITALIA - Trentino-Alto Adige - BZ
Allegato(i) Dettagli della specie
Pachyta lamed lamed (Linnaeus, 1758)
Cerambycidae


16.VII.2011 - ITALIA - Trentino-Alto Adige - BZ
Coleoptera

Entomarci

9

2095

25/07/2011, 10:58

cosmln Vedi ultimo messaggio

Nessun messaggio da leggere
Neoclytus acuminatus (Fabricius, 1775) - Cerambycidae
V.2011 - ITALIA - Friuli-Venezia Giulia - TS
Allegato(i) Dettagli della specie
Neoclytus acuminatus (Fabricius, 1775)
Cerambycidae


V.2011 - ITALIA - Friuli-Venezia Giulia - TS
Coleoptera

Bemisia

11

2634

25/07/2011, 10:24

cosmln Vedi ultimo messaggio

Nessun messaggio da leggere
Rutpela maculata maculata (Poda, 1761) - Cerambycidae
23.VII.2011 - ITALIA - Basilicata - PZ
Allegato(i) Dettagli della specie
Rutpela maculata maculata (Poda, 1761)
Cerambycidae


23.VII.2011 - ITALIA - Basilicata - PZ
Coleoptera

Mimmo011

5

1496

24/07/2011, 16:28

Mimmo011 Vedi ultimo messaggio

Nessun messaggio da leggere
Morimus asper asper (Sulzer, 1776) - Cerambycidae
23.VII.2011 - ITALIA - Lazio - RM
Allegato(i) Dettagli della specie
Morimus asper asper (Sulzer, 1776)
Cerambycidae


23.VII.2011 - ITALIA - Lazio - RM
Coleoptera

Fabio Turchetti

13

2516

23/07/2011, 19:47

Lucanus tetraodon Vedi ultimo messaggio

Nessun messaggio da leggere
Ropalopus (Ropalopus) varini (Bedel, 1870) - Cerambycidae
11.VII.2011 - ITALIA - Marche - PU
Allegato(i) Dettagli della specie
Ropalopus (Ropalopus) varini (Bedel, 1870)
Cerambycidae


11.VII.2011 - ITALIA - Marche - PU
Coleoptera

Entomarci

9

2460

23/07/2011, 18:34

Entomarci Vedi ultimo messaggio

Nessun messaggio da leggere
Aegosoma scabricorne (Scopoli, 1763) - Cerambycidae
21.VII.2011 - ITALIA - Lazio - RM
Allegato(i) Dettagli della specie
Aegosoma scabricorne (Scopoli, 1763)
Cerambycidae


21.VII.2011 - ITALIA - Lazio - RM
Coleoptera

soken

2

1259

22/07/2011, 18:52

soken Vedi ultimo messaggio

Nessun messaggio da leggere
Callidium violaceum (Linnaeus, 1758) - Cerambycidae
5.VII.2011 - ITALIA - Toscana - PT
Allegato(i) Dettagli della specie
Callidium violaceum (Linnaeus, 1758)
Cerambycidae

[ Vai alla paginaVai alla pagina: 1, 2 ]



5.VII.2011 - ITALIA - Toscana - PT
Coleoptera

Sleepy Moose

16

5544

21/07/2011, 10:17

conan Vedi ultimo messaggio

Nessun messaggio da leggere
Chlorophorus trifasciatus (Fabricius, 1781) - Cerambycidae
18.VII.2011 - ITALIA - Abruzzo - AQ
Allegato(i) Dettagli della specie
Chlorophorus trifasciatus (Fabricius, 1781)
Cerambycidae


18.VII.2011 - ITALIA - Abruzzo - AQ
Coleoptera

Julodis

1

1236

20/07/2011, 1:40

cosmln Vedi ultimo messaggio

Nessun messaggio da leggere
Niphona picticornis Mulsant, 1839 - Cerambycidae
15.VI.2011 - ITALIA - Lazio - VT
Allegato(i) Dettagli della specie
Niphona picticornis Mulsant, 1839
Cerambycidae


15.VI.2011 - ITALIA - Lazio - VT
Coleoptera

Andricus

1

1176

19/07/2011, 21:06

Julodis Vedi ultimo messaggio

Nessun messaggio da leggere
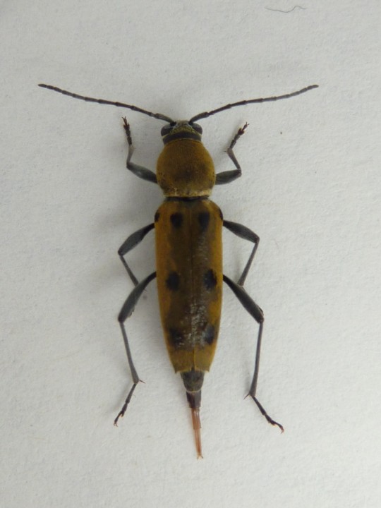
Stenopterus rufus rufus (Linnaeus, 1767) - Cerambycidae
6.VII.2011 - ITALIA - Lazio - VT
Allegato(i) Dettagli della specie
Stenopterus rufus rufus (Linnaeus, 1767)
Cerambycidae


6.VII.2011 - ITALIA - Lazio - VT
Coleoptera

Andricus

0

991

18/07/2011, 20:13

Andricus Vedi ultimo messaggio

Nessun messaggio da leggere
Rutpela maculata maculata (Poda, 1761) - Cerambycidae
18.VI.2011 - ITALIA - Campania - AV
Allegato(i) Dettagli della specie
Rutpela maculata maculata (Poda, 1761)
Cerambycidae


18.VI.2011 - ITALIA - Campania - AV
Coleoptera

clido

2

1302

18/07/2011, 15:47

clido Vedi ultimo messaggio

Nessun messaggio da leggere
Phoracantha recurva Newman, 1840 - Cerambycidae
17.V.2011 - ITALIA - Toscana - PI
Allegato(i) Dettagli della specie
Phoracantha recurva Newman, 1840
Cerambycidae

[ Vai alla paginaVai alla pagina: 1, 2 ]



17.V.2011 - ITALIA - Toscana - PI
Coleoptera

Stefano79

22

4423

18/07/2011, 12:44

Stefano79 Vedi ultimo messaggio

Nessun messaggio da leggere
Rosalia (Rosalia) alpina alpina (Linnaeus, 1758) - Cerambycidae
14.VII.2011 - ITALIA - Emilia-Romagna - FC
Allegato(i) Dettagli della specie
Rosalia (Rosalia) alpina alpina (Linnaeus, 1758)
Cerambycidae


14.VII.2011 - ITALIA - Emilia-Romagna - FC
Coleoptera

Sleepy Moose

2

1064

17/07/2011, 23:15

Tc70 Vedi ultimo messaggio

Nessun messaggio da leggere
Tetropium castaneum (Linnaeus, 1758) - Cerambycidae
6.VII.2011 - ITALIA - Toscana - PT
Allegato(i) Dettagli della specie
Tetropium castaneum (Linnaeus, 1758)
Cerambycidae


6.VII.2011 - ITALIA - Toscana - PT
Coleoptera

Sleepy Moose

1

1028

17/07/2011, 23:07

Sleepy Moose Vedi ultimo messaggio

Nessun messaggio da leggere
Tetropium castaneum (Linnaeus, 1758) - Cerambycidae
6.VII.2011 - ITALIA - Toscana - PT
Allegato(i) Dettagli della specie
Tetropium castaneum (Linnaeus, 1758)
Cerambycidae


6.VII.2011 - ITALIA - Toscana - PT
Coleoptera

Sleepy Moose

1

1030

17/07/2011, 23:06

Sleepy Moose Vedi ultimo messaggio

Nessun messaggio da leggere
Tetropium castaneum (Linnaeus, 1758) - Cerambycidae
6.VII.2011 - ITALIA - Toscana - PT
Allegato(i) Dettagli della specie
Tetropium castaneum (Linnaeus, 1758)
Cerambycidae


6.VII.2011 - ITALIA - Toscana - PT
Coleoptera

Sleepy Moose

6

1633

17/07/2011, 23:04

Sleepy Moose Vedi ultimo messaggio

Nessun messaggio da leggere
Obrium cantharinum (Linnaeus, 1767) - Cerambycidae
16.VII.2011 - ITALIA - Emilia-Romagna - BO
Allegato(i) Dettagli della specie
Obrium cantharinum (Linnaeus, 1767)
Cerambycidae


16.VII.2011 - ITALIA - Emilia-Romagna - BO
Coleoptera

Notoxus59

5

1402

17/07/2011, 15:58

hpl Vedi ultimo messaggio

Nessun messaggio da leggere
Allegato(i) Dettagli della specie
Xylotrechus (Xylotrechus) arvicola (Olivier, 1795)
Cerambycidae


13.VII.2011 - ITALIA - Sardegna - NU
Coleoptera

Fumea crassiorella

2

1120

17/07/2011, 8:48

Fumea crassiorella Vedi ultimo messaggio

Nessun messaggio da leggere
Obrium brunneum (Fabricius, 1792) - Cerambycidae
27.VII.2009 - ITALIA - Veneto - BL
Allegato(i) Dettagli della specie
Obrium brunneum (Fabricius, 1792)
Cerambycidae


27.VII.2009 - ITALIA - Veneto - BL
Coleoptera

Maw89

8

2028

17/07/2011, 8:47

Maw89 Vedi ultimo messaggio

Nessun messaggio da leggere
Stictoleptura scutellata scutellata (Fabricius, 1781) - Cerambycidae
1.VII.2011 - ITALIA - Emilia-Romagna - FC
Allegato(i) Dettagli della specie
Stictoleptura scutellata scutellata (Fabricius, 1781)
Cerambycidae


1.VII.2011 - ITALIA - Emilia-Romagna - FC
Coleoptera

Isotomus

4

1212

17/07/2011, 8:47

Isotomus Vedi ultimo messaggio

Nessun messaggio da leggere
Rosalia (Rosalia) alpina alpina (Linnaeus, 1758) - Cerambycidae
9.VII.2011 - ITALIA - Friuli-Venezia Giulia - UD
Allegato(i) Dettagli della specie
Rosalia (Rosalia) alpina alpina (Linnaeus, 1758)
Cerambycidae


9.VII.2011 - ITALIA - Friuli-Venezia Giulia - UD
Coleoptera

Isotomus

3

1337

16/07/2011, 16:59

Giorgarz Vedi ultimo messaggio

Nessun messaggio da leggere
Etorofus pubescens (Fabricius, 1787) - Cerambycidae
9.VII.2011 - ITALIA - Friuli-Venezia Giulia - UD
Allegato(i) Dettagli della specie
Etorofus pubescens (Fabricius, 1787)
Cerambycidae


9.VII.2011 - ITALIA - Friuli-Venezia Giulia - UD
Coleoptera

Isotomus

0

993

15/07/2011, 17:40

Isotomus Vedi ultimo messaggio

Nessun messaggio da leggere
Musaria affinis nigrohirta (G. Müller, 1948) - Cerambycidae
13.VII.2011 - ITALIA - Abruzzo - AQ
Allegato(i) Dettagli della specie
Musaria affinis nigrohirta (G. Müller, 1948)
Cerambycidae


13.VII.2011 - ITALIA - Abruzzo - AQ
Coleoptera

Julodis

1

1134

15/07/2011, 8:08

Isotomus Vedi ultimo messaggio

Nessun messaggio da leggere
Allegato(i) Dettagli della specie
Musaria affinis nigrohirta (G. Müller, 1948)
Cerambycidae


VI.2005 - ITALIA - Marche - PU
Coleoptera

marco paglialunga

3

1408

15/07/2011, 8:07

Isotomus Vedi ultimo messaggio

Nessun messaggio da leggere
Stenopterus rufus rufus (Linnaeus, 1767) - Cerambycidae
19.VI.2011 - ITALIA - Lazio - RM
Allegato(i) Dettagli della specie
Stenopterus rufus rufus (Linnaeus, 1767)
Cerambycidae


19.VI.2011 - ITALIA - Lazio - RM
Coleoptera

Broc

3

1103

14/07/2011, 22:17

Broc Vedi ultimo messaggio

Nessun messaggio da leggere
Parmena pubescens pubescens (Dalman, 1817) - Cerambycidae
28.VI.2011 - ITALIA - Sicilia - PA
Allegato(i) Dettagli della specie
Parmena pubescens pubescens (Dalman, 1817)
Cerambycidae


28.VI.2011 - ITALIA - Sicilia - PA
Coleoptera

Caliddo

2

1022

14/07/2011, 18:46

Caliddo Vedi ultimo messaggio

Nessun messaggio da leggere
Allegato(i) Dettagli della specie
Trichoferus fasciculatus fasciculatus (Faldermann, 1837)
Cerambycidae


12.VII.2011 - ITALIA - Sicilia - PA
Coleoptera

Caliddo

1

833

14/07/2011, 18:44

Isotomus Vedi ultimo messaggio

Nessun messaggio da leggere
Anaglyptus gibbosus (Fabricius, 1787) - Cerambycidae
10.VII.2011 - ITALIA - Sicilia - PA
Allegato(i) Dettagli della specie
Anaglyptus gibbosus (Fabricius, 1787)
Cerambycidae


10.VII.2011 - ITALIA - Sicilia - PA
Coleoptera

Caliddo

0

794

14/07/2011, 13:40

Caliddo Vedi ultimo messaggio

Nessun messaggio da leggere
Chlorophorus glabromaculatus (Goeze, 1777) - Cerambycidae
13.VII.2011 - ITALIA - Marche - PU
Allegato(i) Dettagli della specie
Chlorophorus glabromaculatus (Goeze, 1777)
Cerambycidae


13.VII.2011 - ITALIA - Marche - PU
Coleoptera

marco paglialunga

0

908

14/07/2011, 9:11

marco paglialunga Vedi ultimo messaggio

Nessun messaggio da leggere
Stenurella nigra (Linnaeus, 1758) - Cerambycidae
6.VI.2007 - ITALIA - Lombardia - SO
Allegato(i) Dettagli della specie
Stenurella nigra (Linnaeus, 1758)
Cerambycidae


6.VI.2007 - ITALIA - Lombardia - SO
Coleoptera

Luciano Menghi

12

2596

13/07/2011, 12:39

Isotomus Vedi ultimo messaggio

Nessun messaggio da leggere
Stenopterus ater (Linnaeus, 1767) - Cerambycidae
26.VI.2011 - ITALIA - Umbria - PG
Allegato(i) Dettagli della specie
Stenopterus ater (Linnaeus, 1767)
Cerambycidae


26.VI.2011 - ITALIA - Umbria - PG
Coleoptera

ilio

4

1167

13/07/2011, 9:40

Isotomus Vedi ultimo messaggio

Nessun messaggio da leggere
Niphona picticornis Mulsant, 1839 - Cerambycidae
9.VII.2011 - ITALIA - Sicilia - AG
Allegato(i) Dettagli della specie
Niphona picticornis Mulsant, 1839
Cerambycidae


9.VII.2011 - ITALIA - Sicilia - AG
Coleoptera

Amata Ciro

2

1005

12/07/2011, 16:51

Amata Ciro Vedi ultimo messaggio

Nessun messaggio da leggere
Xylotrechus (Xylotrechus) stebbingi Gahan, 1906 - Cerambycidae
24.VI.2011 - ITALIA - Lombardia - LC
Allegato(i) Dettagli della specie
Xylotrechus (Xylotrechus) stebbingi Gahan, 1906
Cerambycidae


24.VI.2011 - ITALIA - Lombardia - LC
Coleoptera

daphne75

2

881

12/07/2011, 12:34

f.izzillo Vedi ultimo messaggio

Nessun messaggio da leggere
Stenurella nigra (Linnaeus, 1758) - Cerambycidae
21.V.2011 - ITALIA - Lazio - VT
Allegato(i) Dettagli della specie
Stenurella nigra (Linnaeus, 1758)
Cerambycidae


21.V.2011 - ITALIA - Lazio - VT
Coleoptera

soken

3

1031

12/07/2011, 10:12

soken Vedi ultimo messaggio

Nessun messaggio da leggere
Deilus fugax (Olivier, 1790) - Cerambycidae
21.V.2011 - ITALIA - Lazio - VT
Allegato(i) Dettagli della specie
Deilus fugax (Olivier, 1790)
Cerambycidae


21.V.2011 - ITALIA - Lazio - VT
Coleoptera

soken

3

1101

12/07/2011, 9:35

soken Vedi ultimo messaggio

Nessun messaggio da leggere
Herophila tristis tristis (Linnaeus, 1767) - Cerambycidae
23.VI.2011 - ITALIA - Liguria - GE
Allegato(i) Dettagli della specie
Herophila tristis tristis (Linnaeus, 1767)
Cerambycidae


23.VI.2011 - ITALIA - Liguria - GE
Coleoptera

Marco Marchelli

4

1523

11/07/2011, 20:13

Marco Marchelli Vedi ultimo messaggio

Visualizza ultimi argomenti:  Ordina per  Ordine:  
nuovo argomento
Vai alla pagina Precedente  1 ... 38, 39, 40, 41, 42, 43, 44 ... 59  Prossimo
Pagina 41 di 59 [ 2928 argomenti ]

Tutti gli orari sono UTC + 1 ora [ ora legale ]


Chi c’è in linea

Visitano il forum: Nessuno e 3 ospiti


Legenda
Messaggi da leggere Messaggi da leggere Nessun messaggio da leggere Nessun messaggio da leggere Annuncio Annuncio
 
Specie indeterminata / discussione generica
Messaggi non letti [ Popolari ] Messaggi non letti [ Popolari ] Nessun messaggio da leggere [ Popolare ] Nessun messaggio da leggere [ Popolare ] Importante Importante
 
Specie determinata fino al genere o cf.
Messaggi non letti [ Bloccati ] Messaggi non letti [ Bloccati ] No messaggi non letti [ Bloccati ] No messaggi non letti [ Bloccati ] Argomento spostato Argomento spostato
 
Specie correttamente determinata
Permessi
Non puoi aprire nuovi argomenti
Non puoi rispondere negli argomenti
Non puoi modificare i tuoi messaggi
Non puoi cancellare i tuoi messaggi
Non puoi inviare allegati

Cerca per:
Vai a:  
cron