Benvenuto Ospite

Forum Entomologi Italiani

www.entomologiitaliani.net/forum
 
Oggi è 14/04/2026, 18:45

Tutti gli orari sono UTC + 1 ora [ ora legale ]


100%
2928 taxa correttamente determinati su 2929 presenti in archivio

Cerambycidae


[ AFROTROPICALE ] [ ANTARTICO ] [ AUSTRALASIANO ] [ NEARTICO ] [ NEOTROPICALE ] [ ORIENTALE ] [ PALEARTICO ]


nuovo argomento
Vai alla pagina Precedente  1 ... 42, 43, 44, 45, 46, 47, 48 ... 59  Prossimo
Pagina 45 di 59 [ 2929 argomenti ]
 Argomenti   Ordine   Autore   Risposte   Visite    Ultimo messaggio 
Annunci
Nessun messaggio da leggere
Allegato(i)
Incontri entomologici della Società Entomologica Italiana 2025-2026
 

Velvet Ant

0

46394

17/11/2025, 19:41

Velvet Ant Vedi ultimo messaggio

Nessun messaggio da leggere
Allegato(i)
Incontri entomologici telematici organizzati dalla Società Entomologica Italiana nel 2022 e nel 2023

[ Vai alla paginaVai alla pagina: 1, 2, 3 ]

 

Velvet Ant

44

1996773

03/03/2023, 15:55

Velvet Ant Vedi ultimo messaggio

Nessun messaggio da leggere  
Allegato(i)
Sondaggio sul declino dell'entomofauna in Italia

[ Vai alla paginaVai alla pagina: 1, 2, 3, 4 ]

 

Velvet Ant

52

2667904

22/10/2022, 19:18

Acquarius Vedi ultimo messaggio

Nessun messaggio da leggere  
Allegato(i)
Progetto: Bibliografia ragionata dei lavori entomologici nei quali sono citati reperti apparsi su FEI

[ Vai alla paginaVai alla pagina: 1, 2, 3 ]

 

Velvet Ant

33

1602522

06/07/2023, 18:31

Orotrechus Vedi ultimo messaggio

Nessun messaggio da leggere
Allegato(i)
Mimesi, il primo documentario cinematografico sull’entomologia in Italia: casting
 

mazzeip

1

1136275

28/02/2019, 20:26

mazzeip Vedi ultimo messaggio

Questo argomento è bloccato, non puoi modificare o inviare ulteriori messaggi.
Allegato(i)
ISTRUZIONI PUBBLICAZIONE NUOVI ARGOMENTI E FOTO

 
Altri Ordini di Insetti

Julodis

4

2952971

13/05/2015, 19:37

Julodis Vedi ultimo messaggio

Nessun messaggio da leggere
Allegato(i)
Limitatore giornaliero di messaggi, uno strumento utile e ormai indispensabile

[ Vai alla paginaVai alla pagina: 1 ... 14, 15, 16 ]

 

Velvet Ant

233

13755093

25/09/2014, 14:31

Inachis Vedi ultimo messaggio

Nessun messaggio da leggere  
NORME PER I COLLABORATORI DEL FORUM

 
 

Velvet Ant

0

669353

02/06/2011, 12:05

Velvet Ant Vedi ultimo messaggio

Nessun messaggio da leggere
Allegato(i)
NORME PER GLI UTENTI DEL FORUM

[ Vai alla paginaVai alla pagina: 1, 2, 3 ]



 
 

Velvet Ant

30

3720022

23/09/2014, 23:54

Maurizio Bollino Vedi ultimo messaggio

Questo argomento è bloccato, non puoi modificare o inviare ulteriori messaggi.  
Elenco delle specie italiane di Cerambycidae presenti sul forum
Cerambycidae


 
Coleoptera

Plagionotus

0

6416

22/11/2010, 22:28

Plagionotus Vedi ultimo messaggio

Nessun messaggio da leggere  
Lista degli utenti del "Forum entomologi italiani" per campi di interesse e specializzazione

 
Altri Ordini di Insetti

Velvet Ant

13

1121785

07/09/2023, 17:14

Roberto-07 Vedi ultimo messaggio

Argomenti
Nessun messaggio da leggere
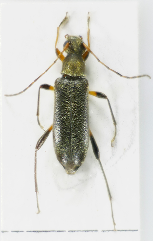
Alosterna tabacicolor (De Geer, 1775) - Cerambycidae
30.V.2011 - ITALIA - Marche - AN
Allegato(i) Dettagli della specie
Alosterna tabacicolor (De Geer, 1775)
Cerambycidae


30.V.2011 - ITALIA - Marche - AN
Coleoptera

Alessio89

4

1702

22/05/2011, 18:11

Julodis Vedi ultimo messaggio

Nessun messaggio da leggere
Allegato(i) Dettagli della specie
Leiopus nebulosus nebulosus (Linnaeus, 1758)
Cerambycidae


21.V.2011 - ITALIA - Marche - PU
Coleoptera

marco paglialunga

2

1171

22/05/2011, 15:52

Plagionotus Vedi ultimo messaggio

Nessun messaggio da leggere
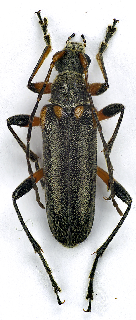
Anaglyptus mysticus (Linnaeus, 1758) - Cerambycidae
30.V.2011 - ITALIA - Marche - AN
Allegato(i) Dettagli della specie
Anaglyptus mysticus (Linnaeus, 1758)
Cerambycidae


30.V.2011 - ITALIA - Marche - AN
Coleoptera

Alessio89

3

1470

22/05/2011, 15:43

Plagionotus Vedi ultimo messaggio

Nessun messaggio da leggere
Clytus arietis arietis (Linnaeus, 1758) - Cerambycidae
30.V.2011 - ITALIA - Marche - AN
Allegato(i) Dettagli della specie
Clytus arietis arietis (Linnaeus, 1758)
Cerambycidae


30.V.2011 - ITALIA - Marche - AN
Coleoptera

Alessio89

1

1208

22/05/2011, 7:58

Julodis Vedi ultimo messaggio

Nessun messaggio da leggere
Allegato(i) Dettagli della specie
Agapanthia (Agapanthia) maculicornis davidi Sláma, 1986
Cerambycidae


2.V.2011 - ITALIA - Sicilia - AG
Coleoptera

carabus

12

4219

22/05/2011, 0:54

Maurizio Bollino Vedi ultimo messaggio

Nessun messaggio da leggere
Opsilia coerulescens (Scopoli, 1763) - Cerambycidae
21.V.2011 - ITALIA - Basilicata - MT
Allegato(i) Dettagli della specie
Opsilia coerulescens (Scopoli, 1763)
Cerambycidae


21.V.2011 - ITALIA - Basilicata - MT
Coleoptera

Mimmo011

4

1493

21/05/2011, 19:56

Mimmo011 Vedi ultimo messaggio

Nessun messaggio da leggere
Phymatodes testaceus (Linnaeus, 1758) - Cerambycidae
17.V.2011 - ITALIA - Marche - PU
Allegato(i) Dettagli della specie
Phymatodes testaceus (Linnaeus, 1758)
Cerambycidae


17.V.2011 - ITALIA - Marche - PU
Coleoptera

marco paglialunga

5

1702

21/05/2011, 19:13

Plagionotus Vedi ultimo messaggio

Nessun messaggio da leggere  
Dettagli della specie
Phytoecia vulneris vulneris Aurivillius, 1923
Cerambycidae


23.V.2009 - ITALIA - Sicilia - PA
Coleoptera

Velvet Ant

2

1499

21/05/2011, 18:47

conan Vedi ultimo messaggio

Nessun messaggio da leggere
Agapanthia (Agapanthia) cardui (Linnaeus, 1767) - Cerambycidae
21.V.2011 - ITALIA - Basilicata - MT
Allegato(i) Dettagli della specie
Agapanthia (Agapanthia) cardui (Linnaeus, 1767)
Cerambycidae


21.V.2011 - ITALIA - Basilicata - MT
Coleoptera

Mimmo011

2

1404

21/05/2011, 18:04

Mimmo011 Vedi ultimo messaggio

Nessun messaggio da leggere
Phytoecia virgula (Charpentier, 1825) - Cerambycidae
16.V.2011 - ITALIA - Lazio - RM
Allegato(i) Dettagli della specie
Phytoecia virgula (Charpentier, 1825)
Cerambycidae


16.V.2011 - ITALIA - Lazio - RM
Coleoptera

Julodis

2

966

20/05/2011, 7:32

Julodis Vedi ultimo messaggio

Nessun messaggio da leggere
Aegomorphus clavipes (Schrank, 1781) - Cerambycidae
11.V.2011 - ITALIA - Lombardia - MI
Allegato(i) Dettagli della specie
Aegomorphus clavipes (Schrank, 1781)
Cerambycidae


11.V.2011 - ITALIA - Lombardia - MI
Coleoptera

Xylotrechus

2

1495

19/05/2011, 15:38

Xylotrechus Vedi ultimo messaggio

Nessun messaggio da leggere
Calamobius filum (Rossi, 1790) - Cerambycidae
18.V.2011 - ITALIA - Lazio - RM
Allegato(i) Dettagli della specie
Calamobius filum (Rossi, 1790)
Cerambycidae


18.V.2011 - ITALIA - Lazio - RM
Coleoptera

Julodis

0

784

19/05/2011, 1:07

Julodis Vedi ultimo messaggio

Nessun messaggio da leggere
Saperda populnea (Linnaeus, 1758) - Cerambycidae
24.IV.2011 - ITALIA - Trentino-Alto Adige - TN
Allegato(i) Dettagli della specie
Saperda populnea (Linnaeus, 1758)
Cerambycidae


24.IV.2011 - ITALIA - Trentino-Alto Adige - TN
Coleoptera

Pippistrello

5

1306

18/05/2011, 23:25

Pippistrello Vedi ultimo messaggio

Nessun messaggio da leggere
Tetrops praeustus praeustus (Linnaeus, 1758) - Cerambycidae
18.V.2011 - ITALIA - Toscana - FI
Allegato(i) Dettagli della specie
Tetrops praeustus praeustus (Linnaeus, 1758)
Cerambycidae


18.V.2011 - ITALIA - Toscana - FI
Coleoptera

Sleepy Moose

0

661

18/05/2011, 23:05

Sleepy Moose Vedi ultimo messaggio

Nessun messaggio da leggere
Grammoptera abdominalis (Stephens, 1831) - Cerambycidae
14.V.2011 - ITALIA - Marche - AN
Allegato(i) Dettagli della specie
Grammoptera abdominalis (Stephens, 1831)
Cerambycidae


14.V.2011 - ITALIA - Marche - AN
Coleoptera

StagBeetle

4

1178

18/05/2011, 13:52

Entomarci Vedi ultimo messaggio

Nessun messaggio da leggere
Morimus asper asper (Sulzer, 1776) - Cerambycidae
15.V.2011 - ITALIA - Basilicata - MT
Allegato(i) Dettagli della specie
Morimus asper asper (Sulzer, 1776)
Cerambycidae


15.V.2011 - ITALIA - Basilicata - MT
Coleoptera

Mimmo011

6

1231

17/05/2011, 19:45

Lucanus tetraodon Vedi ultimo messaggio

Nessun messaggio da leggere
Rusticoclytus rusticus (Linnaeus, 1758) - Cerambycidae
16.V.2011 - ITALIA - Veneto - BL
Allegato(i) Dettagli della specie
Rusticoclytus rusticus (Linnaeus, 1758)
Cerambycidae


16.V.2011 - ITALIA - Veneto - BL
Coleoptera

pazzo

5

1317

17/05/2011, 18:09

Plagionotus Vedi ultimo messaggio

Nessun messaggio da leggere
Aegomorphus clavipes (Schrank, 1781) - Cerambycidae
16.V.2011 - ITALIA - Veneto - BL
Allegato(i) Dettagli della specie
Aegomorphus clavipes (Schrank, 1781)
Cerambycidae


16.V.2011 - ITALIA - Veneto - BL
Coleoptera

pazzo

2

1516

17/05/2011, 17:17

Sleepy Moose Vedi ultimo messaggio

Nessun messaggio da leggere
Cortodera humeralis humeralis (Schaller, 1783) - Cerambycidae
15.V.2011 - ITALIA - Basilicata - MT
Allegato(i) Dettagli della specie
Cortodera humeralis humeralis (Schaller, 1783)
Cerambycidae


15.V.2011 - ITALIA - Basilicata - MT
Coleoptera

Mimmo011

4

1286

16/05/2011, 15:14

Plagionotus Vedi ultimo messaggio

Nessun messaggio da leggere
Leiopus nebulosus nebulosus (Linnaeus, 1758) - Cerambycidae
12.V.2011 - ITALIA - Lombardia - SO
Allegato(i) Dettagli della specie
Leiopus nebulosus nebulosus (Linnaeus, 1758)
Cerambycidae


12.V.2011 - ITALIA - Lombardia - SO
Coleoptera

Pippistrello

4

1546

16/05/2011, 8:09

Pippistrello Vedi ultimo messaggio

Nessun messaggio da leggere
Allegato(i) Dettagli della specie
Xylotrechus (Xylotrechus) arvicola (Olivier, 1795)
Cerambycidae


15.V.2011 - ITALIA - Abruzzo - AQ
Coleoptera

Julodis

1

1134

15/05/2011, 21:51

storm Vedi ultimo messaggio

Nessun messaggio da leggere
Allegato(i) Dettagli della specie
Cortodera humeralis aspromontana G. Müller, 1948
Cerambycidae


8.V.1992 - ITALIA - Puglia - FG
Coleoptera

Velvet Ant

2

1965

15/05/2011, 21:39

conan Vedi ultimo messaggio

Nessun messaggio da leggere
Allegato(i) Dettagli della specie
Agapanthia (Agapanthia) cardui (Linnaeus, 1767)
Cerambycidae


15.V.2011 - ITALIA - Piemonte - TO
Coleoptera

Gremu

2

1610

15/05/2011, 18:40

Plagionotus Vedi ultimo messaggio

Nessun messaggio da leggere
Opsilia coerulescens (Scopoli, 1763) - Cerambycidae
15.V.2011 - ITALIA - Sardegna - CA
Allegato(i) Dettagli della specie
Opsilia coerulescens (Scopoli, 1763)
Cerambycidae


15.V.2011 - ITALIA - Sardegna - CA
Coleoptera

ruzzpa

6

1620

15/05/2011, 14:50

Plagionotus Vedi ultimo messaggio

Nessun messaggio da leggere
Cerambyx cerdo cerdo Linnaeus, 1758 - Cerambycidae
14.V.2011 - ITALIA - Lazio - RM
Allegato(i) Dettagli della specie
Cerambyx cerdo cerdo Linnaeus, 1758
Cerambycidae


14.V.2011 - ITALIA - Lazio - RM
Coleoptera

Julodis

1

868

14/05/2011, 21:32

conan Vedi ultimo messaggio

Nessun messaggio da leggere
Allegato(i) Dettagli della specie
Grammoptera ruficornis ruficornis (Fabricius, 1781)
Cerambycidae


14.V.2011 - ITALIA - Lazio - RM
Coleoptera

Julodis

0

606

14/05/2011, 21:19

Julodis Vedi ultimo messaggio

Nessun messaggio da leggere
Allegato(i) Dettagli della specie
Leiopus nebulosus nebulosus (Linnaeus, 1758)
Cerambycidae


V.2011 - ITALIA - Toscana
Coleoptera

Sleepy Moose

7

1357

14/05/2011, 20:20

Sleepy Moose Vedi ultimo messaggio

Nessun messaggio da leggere
Phymatodes testaceus (Linnaeus, 1758) - Cerambycidae
17.IV.2011 - ITALIA - Emilia-Romagna - RE
Allegato(i) Dettagli della specie
Phymatodes testaceus (Linnaeus, 1758)
Cerambycidae


17.IV.2011 - ITALIA - Emilia-Romagna - RE
Coleoptera

Mikiphasmide

2

913

14/05/2011, 19:26

Mikiphasmide Vedi ultimo messaggio

Nessun messaggio da leggere
Rhamnusium bicolor bicolor (Schrank, 1781) - Cerambycidae
10.V.2011 - ITALIA - Emilia-Romagna - RA
Allegato(i) Dettagli della specie
Rhamnusium bicolor bicolor (Schrank, 1781)
Cerambycidae


10.V.2011 - ITALIA - Emilia-Romagna - RA
Coleoptera

Entomarci

4

1454

14/05/2011, 18:13

Entomarci Vedi ultimo messaggio

Nessun messaggio da leggere
Phymatodes testaceus (Linnaeus, 1758) - Cerambycidae
13.V.2011 - ITALIA - Veneto - VE
Allegato(i) Dettagli della specie
Phymatodes testaceus (Linnaeus, 1758)
Cerambycidae


13.V.2011 - ITALIA - Veneto - VE
Coleoptera

sighthound

4

1127

13/05/2011, 16:27

Plagionotus Vedi ultimo messaggio

Nessun messaggio da leggere
Stenopterus rufus rufus (Linnaeus, 1767) - Cerambycidae
24.IV.2011 - ITALIA - Sardegna - OR
Allegato(i) Dettagli della specie
Stenopterus rufus rufus (Linnaeus, 1767)
Cerambycidae


24.IV.2011 - ITALIA - Sardegna - OR
Coleoptera

Rodgers12

6

1664

11/05/2011, 20:00

Plagionotus Vedi ultimo messaggio

Nessun messaggio da leggere
Allegato(i) Dettagli della specie
Dorcadion (Pedestredorcadion) arenarium marsicanum Fracassi, 1905
Cerambycidae

[ Vai alla paginaVai alla pagina: 1, 2 ]



22.IV.2011 - ITALIA - Basilicata - MT
Coleoptera

Mimmo011

27

7806

11/05/2011, 19:57

Plagionotus Vedi ultimo messaggio

Nessun messaggio da leggere
Deilus fugax (Olivier, 1790) - Cerambycidae
9.V.2011 - ITALIA - Toscana - FI
Allegato(i) Dettagli della specie
Deilus fugax (Olivier, 1790)
Cerambycidae


9.V.2011 - ITALIA - Toscana - FI
Coleoptera

Sleepy Moose

2

1020

11/05/2011, 17:32

Sleepy Moose Vedi ultimo messaggio

Nessun messaggio da leggere
Allegato(i) Dettagli della specie
Grammoptera ruficornis ruficornis (Fabricius, 1781)
Cerambycidae


9.V.2011 - ITALIA - Toscana - FI
Coleoptera

Sleepy Moose

2

880

11/05/2011, 17:31

Sleepy Moose Vedi ultimo messaggio

Nessun messaggio da leggere
Phymatodes testaceus (Linnaeus, 1758) - Cerambycidae
7.V.2011 - ITALIA - Umbria - PG
Allegato(i) Dettagli della specie
Phymatodes testaceus (Linnaeus, 1758)
Cerambycidae


7.V.2011 - ITALIA - Umbria - PG
Coleoptera

ilio

2

777

11/05/2011, 15:43

ilio Vedi ultimo messaggio

Nessun messaggio da leggere
Allegato(i) Dettagli della specie
Grammoptera ruficornis ruficornis (Fabricius, 1781)
Cerambycidae


7.V.2011 - ITALIA - Umbria - PG
Coleoptera

ilio

1

726

11/05/2011, 15:17

Plagionotus Vedi ultimo messaggio

Nessun messaggio da leggere
Allegato(i) Dettagli della specie
Pedostrangalia (Pedostrangalia) revestita (Linnaeus, 1767)
Cerambycidae


27.IV.2011 - ITALIA - Toscana - GR
Coleoptera

hypotyphlus

12

2436

11/05/2011, 14:08

Entomarci Vedi ultimo messaggio

Nessun messaggio da leggere
Allegato(i) Dettagli della specie
Cortodera humeralis humeralis (Schaller, 1783)
Cerambycidae


9.V.2011 - ITALIA - Toscana - FI
Coleoptera

Sleepy Moose

1

781

11/05/2011, 8:25

Entomarci Vedi ultimo messaggio

Nessun messaggio da leggere
Herophila tristis tristis (Linnaeus, 1767) - Cerambycidae
9.V.2011 - ITALIA - Toscana - FI
Allegato(i) Dettagli della specie
Herophila tristis tristis (Linnaeus, 1767)
Cerambycidae


9.V.2011 - ITALIA - Toscana - FI
Coleoptera

Sleepy Moose

2

947

11/05/2011, 0:24

Sleepy Moose Vedi ultimo messaggio

Nessun messaggio da leggere
Stenurella nigra (Linnaeus, 1758) - Cerambycidae
9.V.2011 - ITALIA - Toscana - FI
Allegato(i) Dettagli della specie
Stenurella nigra (Linnaeus, 1758)
Cerambycidae


9.V.2011 - ITALIA - Toscana - FI
Coleoptera

Sleepy Moose

2

925

11/05/2011, 0:23

Sleepy Moose Vedi ultimo messaggio

Nessun messaggio da leggere
Allegato(i) Dettagli della specie
Tetrops praeustus praeustus (Linnaeus, 1758)
Cerambycidae

[ Vai alla paginaVai alla pagina: 1, 2 ]



6.V.2011 - ITALIA - Toscana - FI
Coleoptera

Sleepy Moose

17

3281

09/05/2011, 22:38

Phytoecia Vedi ultimo messaggio

Nessun messaggio da leggere
Grammoptera ruficornis ruficornis (Fabricius, 1781) - Cerambycidae
1.V.2011 - ITALIA - Emilia-Romagna - MO
Allegato(i) Dettagli della specie
Grammoptera ruficornis ruficornis (Fabricius, 1781)
Cerambycidae


1.V.2011 - ITALIA - Emilia-Romagna - MO
Coleoptera

conan

5

1341

09/05/2011, 22:23

Plagionotus Vedi ultimo messaggio

Nessun messaggio da leggere
Allegato(i) Dettagli della specie
Tetrops praeustus praeustus (Linnaeus, 1758)
Cerambycidae


5.V.2011 - ITALIA - Umbria - PG
Coleoptera

ilio

6

1524

09/05/2011, 21:37

Plagionotus Vedi ultimo messaggio

Nessun messaggio da leggere
Allegato(i) Dettagli della specie
Dinoptera (Dinoptera) collaris (Linnaeus, 1758)
Cerambycidae


6.V.2011 - ITALIA - Toscana - FI
Coleoptera

Sleepy Moose

2

1057

09/05/2011, 16:23

Sleepy Moose Vedi ultimo messaggio

Nessun messaggio da leggere
Brachypteroma ottomanum Heyden, 1863 - Cerambycidae
1.V.2011 - ITALIA - Emilia-Romagna - MO
Allegato(i) Dettagli della specie
Brachypteroma ottomanum Heyden, 1863
Cerambycidae


1.V.2011 - ITALIA - Emilia-Romagna - MO
Coleoptera

conan

2

1141

09/05/2011, 16:20

Plagionotus Vedi ultimo messaggio

Nessun messaggio da leggere
Brachypteroma ottomanum Heyden, 1863 - Cerambycidae
8.V.2011 - ITALIA - Emilia-Romagna - MO
Allegato(i) Dettagli della specie
Brachypteroma ottomanum Heyden, 1863
Cerambycidae


8.V.2011 - ITALIA - Emilia-Romagna - MO
Coleoptera

conan

2

1037

09/05/2011, 16:20

Plagionotus Vedi ultimo messaggio

Nessun messaggio da leggere
Stenopterus rufus rufus (Linnaeus, 1767) - Cerambycidae
7.V.2011 - ITALIA - Sardegna - CA
Allegato(i) Dettagli della specie
Stenopterus rufus rufus (Linnaeus, 1767)
Cerambycidae


7.V.2011 - ITALIA - Sardegna - CA
Coleoptera

ruzzpa

2

851

08/05/2011, 15:04

Entomarci Vedi ultimo messaggio

Nessun messaggio da leggere
Deilus fugax (Olivier, 1790) - Cerambycidae
6.V.2011 - ITALIA - Sicilia - AG
Allegato(i) Dettagli della specie
Deilus fugax (Olivier, 1790)
Cerambycidae


6.V.2011 - ITALIA - Sicilia - AG
Coleoptera

carabus

1

904

06/05/2011, 23:51

Julodis Vedi ultimo messaggio

Nessun messaggio da leggere
Saperda scalaris scalaris (Linnaeus, 1758) - Cerambycidae
13.III.2011 - ITALIA - Toscana - FI
Allegato(i) Dettagli della specie
Saperda scalaris scalaris (Linnaeus, 1758)
Cerambycidae

[ Vai alla paginaVai alla pagina: 1, 2, 3 ]



13.III.2011 - ITALIA - Toscana - FI
Coleoptera

Sleepy Moose

32

5516

06/05/2011, 10:57

michele.carraretto Vedi ultimo messaggio

Nessun messaggio da leggere
Exocentrus adspersus Mulsant, 1846 - Cerambycidae
14.IV.2011 - ITALIA - Marche - PU
Allegato(i) Dettagli della specie
Exocentrus adspersus Mulsant, 1846
Cerambycidae


14.IV.2011 - ITALIA - Marche - PU
Coleoptera

marco paglialunga

6

1455

04/05/2011, 9:13

marco paglialunga Vedi ultimo messaggio

Visualizza ultimi argomenti:  Ordina per  Ordine:  
nuovo argomento
Vai alla pagina Precedente  1 ... 42, 43, 44, 45, 46, 47, 48 ... 59  Prossimo
Pagina 45 di 59 [ 2929 argomenti ]

Tutti gli orari sono UTC + 1 ora [ ora legale ]


Chi c’è in linea

Visitano il forum: Nessuno e 4 ospiti


Legenda
Messaggi da leggere Messaggi da leggere Nessun messaggio da leggere Nessun messaggio da leggere Annuncio Annuncio
 
Specie indeterminata / discussione generica
Messaggi non letti [ Popolari ] Messaggi non letti [ Popolari ] Nessun messaggio da leggere [ Popolare ] Nessun messaggio da leggere [ Popolare ] Importante Importante
 
Specie determinata fino al genere o cf.
Messaggi non letti [ Bloccati ] Messaggi non letti [ Bloccati ] No messaggi non letti [ Bloccati ] No messaggi non letti [ Bloccati ] Argomento spostato Argomento spostato
 
Specie correttamente determinata
Permessi
Non puoi aprire nuovi argomenti
Non puoi rispondere negli argomenti
Non puoi modificare i tuoi messaggi
Non puoi cancellare i tuoi messaggi
Non puoi inviare allegati

Cerca per:
Vai a: