Benvenuto Ospite

Forum Entomologi Italiani

www.entomologiitaliani.net/forum
 
Oggi è 19/02/2026, 6:13

Tutti gli orari sono UTC + 1 ora [ ora legale ]


92% 
2927 taxa correttamente determinati su 3181 presenti in archivio

Cerambycidae


[ AFROTROPICALE ] [ ANTARTICO ] [ AUSTRALASIANO ] [ NEARTICO ] [ NEOTROPICALE ] [ ORIENTALE ] [ PALEARTICO ]


nuovo argomento
Vai alla pagina Precedente  1 ... 44, 45, 46, 47, 48, 49, 50 ... 103  Prossimo
Pagina 47 di 103 [ 5107 argomenti ]
 Argomenti   Ordine   Autore   Risposte   Visite    Ultimo messaggio 
Annunci
Nessun messaggio da leggere
Allegato(i)
Incontri entomologici della Società Entomologica Italiana 2025-2026
 

Velvet Ant

0

27543

17/11/2025, 19:41

Velvet Ant Vedi ultimo messaggio

Nessun messaggio da leggere
Allegato(i)
Incontri entomologici telematici organizzati dalla Società Entomologica Italiana nel 2022 e nel 2023

[ Vai alla paginaVai alla pagina: 1, 2, 3 ]

 

Velvet Ant

44

1825501

03/03/2023, 15:55

Velvet Ant Vedi ultimo messaggio

Nessun messaggio da leggere  
Allegato(i)
Sondaggio sul declino dell'entomofauna in Italia

[ Vai alla paginaVai alla pagina: 1, 2, 3, 4 ]

 

Velvet Ant

52

2466364

22/10/2022, 19:18

Acquarius Vedi ultimo messaggio

Nessun messaggio da leggere  
Allegato(i)
Progetto: Bibliografia ragionata dei lavori entomologici nei quali sono citati reperti apparsi su FEI

[ Vai alla paginaVai alla pagina: 1, 2, 3 ]

 

Velvet Ant

33

1465859

06/07/2023, 18:31

Orotrechus Vedi ultimo messaggio

Nessun messaggio da leggere
Allegato(i)
Mimesi, il primo documentario cinematografico sull’entomologia in Italia: casting
 

mazzeip

1

1108601

28/02/2019, 20:26

mazzeip Vedi ultimo messaggio

Questo argomento è bloccato, non puoi modificare o inviare ulteriori messaggi.
Allegato(i)
ISTRUZIONI PUBBLICAZIONE NUOVI ARGOMENTI E FOTO

 
Altri Ordini di Insetti

Julodis

4

2914971

13/05/2015, 19:37

Julodis Vedi ultimo messaggio

Nessun messaggio da leggere
Allegato(i)
Limitatore giornaliero di messaggi, uno strumento utile e ormai indispensabile

[ Vai alla paginaVai alla pagina: 1 ... 14, 15, 16 ]

 

Velvet Ant

233

12995986

25/09/2014, 14:31

Inachis Vedi ultimo messaggio

Nessun messaggio da leggere  
NORME PER I COLLABORATORI DEL FORUM

 
 

Velvet Ant

0

648660

02/06/2011, 12:05

Velvet Ant Vedi ultimo messaggio

Nessun messaggio da leggere
Allegato(i)
NORME PER GLI UTENTI DEL FORUM

[ Vai alla paginaVai alla pagina: 1, 2, 3 ]



 
 

Velvet Ant

30

3581935

23/09/2014, 23:54

Maurizio Bollino Vedi ultimo messaggio

Questo argomento è bloccato, non puoi modificare o inviare ulteriori messaggi.  
Elenco delle specie italiane di Cerambycidae presenti sul forum
Cerambycidae


 
Coleoptera

Plagionotus

0

6270

22/11/2010, 22:28

Plagionotus Vedi ultimo messaggio

Nessun messaggio da leggere  
Lista degli utenti del "Forum entomologi italiani" per campi di interesse e specializzazione

 
Altri Ordini di Insetti

Velvet Ant

13

1058280

07/09/2023, 17:14

Roberto-07 Vedi ultimo messaggio

Argomenti
Nessun messaggio da leggere
Pseudovadonia livida livida (Fabricius, 1777) - Cerambycidae
16.VII.1992 - ITALIA - Umbria - PG
Allegato(i) Dettagli della specie
Pseudovadonia livida livida (Fabricius, 1777)
Cerambycidae


16.VII.1992 - ITALIA - Umbria - PG
Coleoptera

MARIO LUNA

3

929

10/10/2013, 21:54

MARIO LUNA Vedi ultimo messaggio

Nessun messaggio da leggere
Clytus arietis arietis (Linnaeus, 1758) - Cerambycidae
7.VI.2001 - ITALIA - Umbria - PG
Allegato(i) Dettagli della specie
Clytus arietis arietis (Linnaeus, 1758)
Cerambycidae


7.VI.2001 - ITALIA - Umbria - PG
Coleoptera

MARIO LUNA

2

845

09/10/2013, 22:13

MARIO LUNA Vedi ultimo messaggio

Nessun messaggio da leggere
Clytus rhamni Germar, 1817 - Cerambycidae
18.VI.2006 - ITALIA - Umbria - PG
Allegato(i) Dettagli della specie
Clytus rhamni Germar, 1817
Cerambycidae


18.VI.2006 - ITALIA - Umbria - PG
Coleoptera

MARIO LUNA

2

997

09/10/2013, 22:10

MARIO LUNA Vedi ultimo messaggio

Nessun messaggio da leggere
Allegato(i) Dettagli della specie
Agapanthia (Epoptes) sicula malmerendii Sama, 1981
Cerambycidae


17.VI.1998 - ITALIA - Umbria - PG
Coleoptera

MARIO LUNA

2

1113

08/10/2013, 22:12

MARIO LUNA Vedi ultimo messaggio

Nessun messaggio da leggere
Brachyta interrogationis (Linnaeus, 1758) - Cerambycidae
2.VII.2013 - ITALIA - Trentino-Alto Adige - BZ
Allegato(i) Dettagli della specie
Brachyta interrogationis (Linnaeus, 1758)
Cerambycidae


2.VII.2013 - ITALIA - Trentino-Alto Adige - BZ
Coleoptera

StagBeetle

1

992

06/10/2013, 20:17

Entomarci Vedi ultimo messaggio

Nessun messaggio da leggere
Allegato(i)
Psalidognathus friendi friendi Gray, 1831 - Cerambycidae
Cerambycidae


IV.1991 - COLOMBIA - EE
Coleoptera

Diablo

4

1209

06/10/2013, 0:16

Diablo Vedi ultimo messaggio

Nessun messaggio da leggere
Chlorophorus sartor (O. F. Müller, 1766) - Cerambycidae
19.VI.2005 - ITALIA - Umbria - PG
Allegato(i) Dettagli della specie
Chlorophorus sartor (O. F. Müller, 1766)
Cerambycidae


19.VI.2005 - ITALIA - Umbria - PG
Coleoptera

MARIO LUNA

2

968

05/10/2013, 0:05

Julodis Vedi ultimo messaggio

Nessun messaggio da leggere
Allegato(i) Dettagli della specie
Agapanthia (Epoptes) villosoviridescens (De Geer, 1775)
Cerambycidae


8.VI.2006 - ITALIA - Umbria - PG
Coleoptera

MARIO LUNA

2

1174

04/10/2013, 8:01

MARIO LUNA Vedi ultimo messaggio

Nessun messaggio da leggere
Allegato(i) Dettagli della specie
Agapanthia (Agapanthia) cardui (Linnaeus, 1767)
Cerambycidae


27.VI.1999 - ITALIA - Umbria - PG
Coleoptera

MARIO LUNA

2

2893

04/10/2013, 7:58

MARIO LUNA Vedi ultimo messaggio

Nessun messaggio da leggere
Vesperus luridus (Rossi, 1794) - Cerambycidae
8.VIII.1995 - ITALIA - Umbria - PG
Allegato(i) Dettagli della specie
Vesperus luridus (Rossi, 1794)
Cerambycidae


8.VIII.1995 - ITALIA - Umbria - PG
Coleoptera

MARIO LUNA

4

24063

03/10/2013, 19:14

MARIO LUNA Vedi ultimo messaggio

Nessun messaggio da leggere
Allegato(i)
Macrodontia cervicornis (Linnaeus, 1758) - Cerambycidae

XII.2010 - PERU - EE
Coleoptera

Robert

8

3909

02/10/2013, 21:39

Robert Vedi ultimo messaggio

Nessun messaggio da leggere
Allegato(i) Dettagli della specie
Agapanthia (Agapanthia) violacea (Fabricius, 1775)
Cerambycidae


3.VII.1998 - ITALIA - Umbria - PG
Coleoptera

MARIO LUNA

4

1334

02/10/2013, 7:42

MARIO LUNA Vedi ultimo messaggio

Nessun messaggio da leggere
Allegato(i) Dettagli della specie
Agapanthia (Agapanthia) violacea (Fabricius, 1775)
Cerambycidae


13.VI.2000 - ITALIA - Umbria - PG
Coleoptera

MARIO LUNA

1

951

01/10/2013, 19:08

Xylosteus Vedi ultimo messaggio

Nessun messaggio da leggere
Pogonocherus ovatus (Goeze, 1777) - Cerambycidae
28.IX.2013 - ITALIA - Emilia-Romagna - FC
Allegato(i) Dettagli della specie
Pogonocherus ovatus (Goeze, 1777)
Cerambycidae


28.IX.2013 - ITALIA - Emilia-Romagna - FC
Coleoptera

Entomarci

5

1587

29/09/2013, 17:50

Carlo A. Vedi ultimo messaggio

Nessun messaggio da leggere
Allegato(i) Dettagli della specie
Exocentrus punctipennis Mulsant & Guillebeau, 1856
Cerambycidae


20.VI.1997 - ITALIA - Umbria - PG
Coleoptera

MARIO LUNA

8

2067

29/09/2013, 15:43

MARIO LUNA Vedi ultimo messaggio

Nessun messaggio da leggere
Cerambyx cerdo cerdo Linnaeus, 1758 - Cerambycidae
VII.2013 - ITALIA - Veneto - VR
Allegato(i) Dettagli della specie
Cerambyx cerdo cerdo Linnaeus, 1758
Cerambycidae


VII.2013 - ITALIA - Veneto - VR
Coleoptera

AleP

0

1232

29/09/2013, 13:13

AleP Vedi ultimo messaggio

Nessun messaggio da leggere
Plagionotus arcuatus (Linnaeus, 1758) - Cerambycidae
V.2013 - ITALIA - Veneto - VR
Allegato(i) Dettagli della specie
Plagionotus arcuatus (Linnaeus, 1758)
Cerambycidae


V.2013 - ITALIA - Veneto - VR
Coleoptera

AleP

0

553

29/09/2013, 13:13

AleP Vedi ultimo messaggio

Nessun messaggio da leggere
Anastrangalia sanguinolenta (Linnaeus, 1760) - Cerambycidae
17.VII.1998 - ITALIA - Umbria - PG
Allegato(i) Dettagli della specie
Anastrangalia sanguinolenta (Linnaeus, 1760)
Cerambycidae


17.VII.1998 - ITALIA - Umbria - PG
Coleoptera

MARIO LUNA

8

1878

25/09/2013, 23:05

MARIO LUNA Vedi ultimo messaggio

Nessun messaggio da leggere
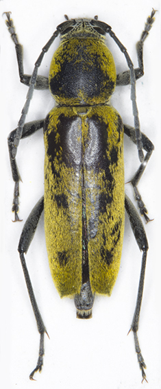
Cerambyx welensii (Küster, 1845) - Cerambycidae
13.VI.1999 - ITALIA - Umbria - PG
Allegato(i) Dettagli della specie
Cerambyx welensii (Küster, 1845)
Cerambycidae


13.VI.1999 - ITALIA - Umbria - PG
Coleoptera

MARIO LUNA

4

1374

25/09/2013, 23:04

MARIO LUNA Vedi ultimo messaggio

Nessun messaggio da leggere
Larva di Cerambycidae
21.IX.2013 - ITALIA - Veneto - VR
Allegato(i)
Larva di Cerambycidae

21.IX.2013 - ITALIA - Veneto - VR
Coleoptera

AleP

13

3131

25/09/2013, 16:21

AleP Vedi ultimo messaggio

Nessun messaggio da leggere
Hesperophanes sericeus (Fabricius, 1787) - Cerambycidae
6.VII.1999 - ITALIA - Umbria - PG
Allegato(i) Dettagli della specie
Hesperophanes sericeus (Fabricius, 1787)
Cerambycidae


6.VII.1999 - ITALIA - Umbria - PG
Coleoptera

MARIO LUNA

1

890

25/09/2013, 11:15

MARIO LUNA Vedi ultimo messaggio

Nessun messaggio da leggere
Arhopalus ferus (Mulsant, 1839) - Cerambycidae
1.VIII.1997 - ITALIA - Umbria - PG
Allegato(i) Dettagli della specie
Arhopalus ferus (Mulsant, 1839)
Cerambycidae


1.VIII.1997 - ITALIA - Umbria - PG
Coleoptera

MARIO LUNA

1

779

25/09/2013, 10:11

MARIO LUNA Vedi ultimo messaggio

Nessun messaggio da leggere
Trichoferus griseus (Fabricius, 1792) - Cerambycidae
14.VIII.1998 - ITALIA - Umbria - PG
Allegato(i) Dettagli della specie
Trichoferus griseus (Fabricius, 1792)
Cerambycidae


14.VIII.1998 - ITALIA - Umbria - PG
Coleoptera

MARIO LUNA

7

1516

25/09/2013, 10:10

MARIO LUNA Vedi ultimo messaggio

Nessun messaggio da leggere
Trichoferus holosericeus (Rossi, 1790) - Cerambycidae
20.VIII.1986 - ITALIA - Umbria - PG
Allegato(i) Dettagli della specie
Trichoferus holosericeus (Rossi, 1790)
Cerambycidae


20.VIII.1986 - ITALIA - Umbria - PG
Coleoptera

MARIO LUNA

1

729

25/09/2013, 10:07

MARIO LUNA Vedi ultimo messaggio

Nessun messaggio da leggere
Parmena unifasciata (Rossi, 1790) - Cerambycidae
18.I.1999 - ITALIA - Umbria - PG
Allegato(i) Dettagli della specie
Parmena unifasciata (Rossi, 1790)
Cerambycidae


18.I.1999 - ITALIA - Umbria - PG
Coleoptera

MARIO LUNA

7

1745

25/09/2013, 10:04

MARIO LUNA Vedi ultimo messaggio

Nessun messaggio da leggere
Allegato(i) Dettagli della specie
Dorcadion (Pedestredorcadion) etruscum (Rossi, 1790)
Cerambycidae


25.VIII.2013 - ITALIA - Abruzzo - PE
Coleoptera

Alessio89

4

3083

25/09/2013, 0:14

Alessio89 Vedi ultimo messaggio

Nessun messaggio da leggere
Vesperus luridus (Rossi, 1794) - Cerambycidae
20.VIII.2013 - ITALIA - Lazio - RM
Allegato(i) Dettagli della specie
Vesperus luridus (Rossi, 1794)
Cerambycidae


20.VIII.2013 - ITALIA - Lazio - RM
Coleoptera

Julodis

5

16940

24/09/2013, 20:57

Plagionotus Vedi ultimo messaggio

Nessun messaggio da leggere
Parmena pubescens pubescens (Dalman, 1817) - Cerambycidae
12.II.1997 - ITALIA - Umbria - TR
Allegato(i) Dettagli della specie
Parmena pubescens pubescens (Dalman, 1817)
Cerambycidae

[ Vai alla paginaVai alla pagina: 1, 2 ]



12.II.1997 - ITALIA - Umbria - TR
Coleoptera

MARIO LUNA

17

11866

20/09/2013, 9:49

MARIO LUNA Vedi ultimo messaggio

Nessun messaggio da leggere
Saperda scalaris scalaris (Linnaeus, 1758) - Cerambycidae
25.V.1998 - ITALIA - Umbria - PG
Allegato(i) Dettagli della specie
Saperda scalaris scalaris (Linnaeus, 1758)
Cerambycidae


25.V.1998 - ITALIA - Umbria - PG
Coleoptera

MARIO LUNA

4

1257

17/09/2013, 21:19

Julodis Vedi ultimo messaggio

Nessun messaggio da leggere
Allegato(i) Dettagli della specie
Ropalopus (Ropalopus) femoratus (Linnaeus, 1758)
Cerambycidae


7.IX.2013 - ITALIA - Marche - AN
Coleoptera

StagBeetle

3

1084

16/09/2013, 23:10

AleP Vedi ultimo messaggio

Nessun messaggio da leggere
Mesosa curculionoides (Linnaeus, 1761) - Cerambycidae
IX.2013 - ITALIA - Veneto - VR
Allegato(i)
Mesosa curculionoides (Linnaeus, 1761) - Cerambycidae

IX.2013 - ITALIA - Veneto - VR
Coleoptera

AleP

2

839

16/09/2013, 23:08

AleP Vedi ultimo messaggio

Nessun messaggio da leggere
Allegato(i) Dettagli della specie
Purpuricenus (Purpuricenus) kaehleri kaehleri (Linnaeus, 1758) cf.
Cerambycidae


IX.2013 - ITALIA - Friuli-Venezia Giulia - TS
Coleoptera

AleP

1

854

16/09/2013, 9:38

f.izzillo Vedi ultimo messaggio

Nessun messaggio da leggere
Allegato(i) Dettagli della specie
Rhagium (Rhagium) inquisitor inquisitor (Linnaeus, 1758)
Cerambycidae


16.VI.2013 - ITALIA - Calabria - CS
Coleoptera

Valerio

4

1777

15/09/2013, 20:23

Valerio Vedi ultimo messaggio

Nessun messaggio da leggere
Allegato(i) Dettagli della specie
Rhagium (Megarhagium) sycophanta (Schrank, 1781)
Cerambycidae


3.VI.1999 - ITALIA - Umbria - PG
Coleoptera

MARIO LUNA

2

2888

15/09/2013, 11:36

MARIO LUNA Vedi ultimo messaggio

Nessun messaggio da leggere
Vesperus luridus (Rossi, 1794) - Cerambycidae
12.IX.2013 - ITALIA - Puglia - BT
Allegato(i) Dettagli della specie
Vesperus luridus (Rossi, 1794)
Cerambycidae


12.IX.2013 - ITALIA - Puglia - BT
Coleoptera

beginner

3

10921

14/09/2013, 17:49

Julodis Vedi ultimo messaggio

Nessun messaggio da leggere
Trichoferus griseus (Fabricius, 1792) - Cerambycidae
28.VI.1999 - ITALIA - Umbria - PG
Allegato(i) Dettagli della specie
Trichoferus griseus (Fabricius, 1792)
Cerambycidae


28.VI.1999 - ITALIA - Umbria - PG
Coleoptera

MARIO LUNA

1

1522

14/09/2013, 0:15

Xylosteus Vedi ultimo messaggio

Nessun messaggio da leggere
Allegato(i) Dettagli della specie
Trichoferus fasciculatus fasciculatus (Faldermann, 1837)
Cerambycidae


17.VI.1998 - ITALIA - Umbria - PG
Coleoptera

MARIO LUNA

3

985

13/09/2013, 9:38

MARIO LUNA Vedi ultimo messaggio

Nessun messaggio da leggere
Allegato(i) Dettagli della specie
Trichoferus fasciculatus fasciculatus (Faldermann, 1837)
Cerambycidae


11.VI.1999 - ITALIA - Umbria - PG
Coleoptera

MARIO LUNA

3

968

13/09/2013, 9:34

MARIO LUNA Vedi ultimo messaggio

Nessun messaggio da leggere
Leiopus nebulosus nebulosus (Linnaeus, 1758) - Cerambycidae
19.VI.1997 - ITALIA - Umbria - PG
Allegato(i) Dettagli della specie
Leiopus nebulosus nebulosus (Linnaeus, 1758)
Cerambycidae


19.VI.1997 - ITALIA - Umbria - PG
Coleoptera

MARIO LUNA

3

1144

12/09/2013, 17:20

MARIO LUNA Vedi ultimo messaggio

Nessun messaggio da leggere
Monochamus galloprovincialis (Olivier, 1795) - Cerambycidae
13.VI.1999 - ITALIA - Umbria - PG
Allegato(i) Dettagli della specie
Monochamus galloprovincialis (Olivier, 1795)
Cerambycidae


13.VI.1999 - ITALIA - Umbria - PG
Coleoptera

MARIO LUNA

5

1630

12/09/2013, 17:09

MARIO LUNA Vedi ultimo messaggio

Nessun messaggio da leggere
Musaria tirellii (Luigioni, 1913) - Cerambycidae
5.VI.2008 - ITALIA - Umbria - PG
Allegato(i) Dettagli della specie
Musaria tirellii (Luigioni, 1913)
Cerambycidae

[ Vai alla paginaVai alla pagina: 1, 2 ]



5.VI.2008 - ITALIA - Umbria - PG
Coleoptera

MARIO LUNA

17

4087

12/09/2013, 16:51

MARIO LUNA Vedi ultimo messaggio

Nessun messaggio da leggere
Chlorophorus glabromaculatus (Goeze, 1777) - Cerambycidae
8.VII.2000 - ITALIA - Umbria - PG
Allegato(i) Dettagli della specie
Chlorophorus glabromaculatus (Goeze, 1777)
Cerambycidae


8.VII.2000 - ITALIA - Umbria - PG
Coleoptera

MARIO LUNA

3

1312

11/09/2013, 6:55

Julodis Vedi ultimo messaggio

Nessun messaggio da leggere
Opsilia coerulescens (Scopoli, 1763) - Cerambycidae
16.VI.1999 - ITALIA - Umbria - PG
Allegato(i) Dettagli della specie
Opsilia coerulescens (Scopoli, 1763)
Cerambycidae


16.VI.1999 - ITALIA - Umbria - PG
Coleoptera

MARIO LUNA

2

1041

10/09/2013, 23:55

MARIO LUNA Vedi ultimo messaggio

Nessun messaggio da leggere
Allegato(i) Dettagli della specie
Oberea (Amaurostoma) erythrocephala erythrocephala (Schrank, 1776)
Cerambycidae


30.VI.1997 - ITALIA - Umbria - PG
Coleoptera

MARIO LUNA

5

1612

10/09/2013, 16:39

MARIO LUNA Vedi ultimo messaggio

Nessun messaggio da leggere
Aromia moschata moschata (Linnaeus, 1758) - Cerambycidae
20.VI.1998 - ITALIA - Umbria - PG
Allegato(i) Dettagli della specie
Aromia moschata moschata (Linnaeus, 1758)
Cerambycidae


20.VI.1998 - ITALIA - Umbria - PG
Coleoptera

MARIO LUNA

2

1020

10/09/2013, 9:17

MARIO LUNA Vedi ultimo messaggio

Nessun messaggio da leggere
Allegato(i) Dettagli della specie
Ropalopus (Ropalopus) femoratus (Linnaeus, 1758)
Cerambycidae


21.VI.1998 - ITALIA - Umbria - PG
Coleoptera

MARIO LUNA

4

1243

09/09/2013, 23:10

MARIO LUNA Vedi ultimo messaggio

Nessun messaggio da leggere
Allegato(i) Dettagli della specie
Purpuricenus (Purpuricenus) kaehleri kaehleri (Linnaeus, 1758)
Cerambycidae


7.IX.2013 - ITALIA - Marche - AN
Coleoptera

StagBeetle

1

1196

09/09/2013, 21:56

Julodis Vedi ultimo messaggio

Nessun messaggio da leggere
Rhagium (Rhagium) inquisitor inquisitor (Linnaeus, 1758) - Cerambycidae
7.VIII.2013 - ITALIA - Friuli-Venezia Giulia - PN
Allegato(i) Dettagli della specie
Rhagium (Rhagium) inquisitor inquisitor (Linnaeus, 1758)
Cerambycidae


7.VIII.2013 - ITALIA - Friuli-Venezia Giulia - PN
Coleoptera

andreah

2

926

09/09/2013, 17:02

andreah Vedi ultimo messaggio

Nessun messaggio da leggere
Callimus abdominalis (Olivier, 1795) - Cerambycidae
10.V.2000 - ITALIA - Umbria - PG
Allegato(i) Dettagli della specie
Callimus abdominalis (Olivier, 1795)
Cerambycidae


10.V.2000 - ITALIA - Umbria - PG
Coleoptera

MARIO LUNA

3

1315

08/09/2013, 21:38

MARIO LUNA Vedi ultimo messaggio

Nessun messaggio da leggere
Cortodera holosericea (Fabricius, 1801) - Cerambycidae
18.VI.1999 - ITALIA - Umbria - PG
Allegato(i) Dettagli della specie
Cortodera holosericea (Fabricius, 1801)
Cerambycidae


18.VI.1999 - ITALIA - Umbria - PG
Coleoptera

MARIO LUNA

5

1747

08/09/2013, 17:20

MARIO LUNA Vedi ultimo messaggio

Visualizza ultimi argomenti:  Ordina per  Ordine:  
nuovo argomento
Vai alla pagina Precedente  1 ... 44, 45, 46, 47, 48, 49, 50 ... 103  Prossimo
Pagina 47 di 103 [ 5107 argomenti ]

Tutti gli orari sono UTC + 1 ora [ ora legale ]


Chi c’è in linea

Visitano il forum: Nessuno e 1 ospite


Legenda
Messaggi da leggere Messaggi da leggere Nessun messaggio da leggere Nessun messaggio da leggere Annuncio Annuncio
 
Specie indeterminata / discussione generica
Messaggi non letti [ Popolari ] Messaggi non letti [ Popolari ] Nessun messaggio da leggere [ Popolare ] Nessun messaggio da leggere [ Popolare ] Importante Importante
 
Specie determinata fino al genere o cf.
Messaggi non letti [ Bloccati ] Messaggi non letti [ Bloccati ] No messaggi non letti [ Bloccati ] No messaggi non letti [ Bloccati ] Argomento spostato Argomento spostato
 
Specie correttamente determinata
Permessi
Non puoi aprire nuovi argomenti
Non puoi rispondere negli argomenti
Non puoi modificare i tuoi messaggi
Non puoi cancellare i tuoi messaggi
Non puoi inviare allegati

Cerca per:
Vai a:  
cron