Benvenuto Ospite

Forum Entomologi Italiani

www.entomologiitaliani.net/forum
 
Oggi è 23/04/2026, 22:20

Tutti gli orari sono UTC + 1 ora [ ora legale ]


100%
2928 taxa correttamente determinati su 2929 presenti in archivio

Cerambycidae


[ AFROTROPICALE ] [ ANTARTICO ] [ AUSTRALASIANO ] [ NEARTICO ] [ NEOTROPICALE ] [ ORIENTALE ] [ PALEARTICO ]


nuovo argomento
Vai alla pagina Precedente  1 ... 44, 45, 46, 47, 48, 49, 50 ... 59  Prossimo
Pagina 47 di 59 [ 2929 argomenti ]
 Argomenti   Ordine   Autore   Risposte   Visite    Ultimo messaggio 
Annunci
Nessun messaggio da leggere
Allegato(i)
Incontri entomologici della Società Entomologica Italiana 2025-2026
 

Velvet Ant

0

50640

17/11/2025, 19:41

Velvet Ant Vedi ultimo messaggio

Nessun messaggio da leggere
Allegato(i)
Incontri entomologici telematici organizzati dalla Società Entomologica Italiana nel 2022 e nel 2023

[ Vai alla paginaVai alla pagina: 1, 2, 3 ]

 

Velvet Ant

44

2015418

03/03/2023, 15:55

Velvet Ant Vedi ultimo messaggio

Nessun messaggio da leggere  
Allegato(i)
Sondaggio sul declino dell'entomofauna in Italia

[ Vai alla paginaVai alla pagina: 1, 2, 3, 4 ]

 

Velvet Ant

52

2688644

22/10/2022, 19:18

Acquarius Vedi ultimo messaggio

Nessun messaggio da leggere  
Allegato(i)
Progetto: Bibliografia ragionata dei lavori entomologici nei quali sono citati reperti apparsi su FEI

[ Vai alla paginaVai alla pagina: 1, 2, 3 ]

 

Velvet Ant

33

1617239

06/07/2023, 18:31

Orotrechus Vedi ultimo messaggio

Nessun messaggio da leggere
Allegato(i)
Mimesi, il primo documentario cinematografico sull’entomologia in Italia: casting
 

mazzeip

1

1139222

28/02/2019, 20:26

mazzeip Vedi ultimo messaggio

Questo argomento è bloccato, non puoi modificare o inviare ulteriori messaggi.
Allegato(i)
ISTRUZIONI PUBBLICAZIONE NUOVI ARGOMENTI E FOTO

 
Altri Ordini di Insetti

Julodis

4

2957003

13/05/2015, 19:37

Julodis Vedi ultimo messaggio

Nessun messaggio da leggere
Allegato(i)
Limitatore giornaliero di messaggi, uno strumento utile e ormai indispensabile

[ Vai alla paginaVai alla pagina: 1 ... 14, 15, 16 ]

 

Velvet Ant

233

13826896

25/09/2014, 14:31

Inachis Vedi ultimo messaggio

Nessun messaggio da leggere  
NORME PER I COLLABORATORI DEL FORUM

 
 

Velvet Ant

0

671865

02/06/2011, 12:05

Velvet Ant Vedi ultimo messaggio

Nessun messaggio da leggere
Allegato(i)
NORME PER GLI UTENTI DEL FORUM

[ Vai alla paginaVai alla pagina: 1, 2, 3 ]



 
 

Velvet Ant

30

3732262

23/09/2014, 23:54

Maurizio Bollino Vedi ultimo messaggio

Questo argomento è bloccato, non puoi modificare o inviare ulteriori messaggi.  
Elenco delle specie italiane di Cerambycidae presenti sul forum
Cerambycidae


 
Coleoptera

Plagionotus

0

6424

22/11/2010, 22:28

Plagionotus Vedi ultimo messaggio

Nessun messaggio da leggere  
Lista degli utenti del "Forum entomologi italiani" per campi di interesse e specializzazione

 
Altri Ordini di Insetti

Velvet Ant

13

1128762

07/09/2023, 17:14

Roberto-07 Vedi ultimo messaggio

Argomenti
Nessun messaggio da leggere
Agapanthia (Epoptes) asphodeli (Latreille, 1804) - Cerambycidae
22.III.2011 - ITALIA - Sardegna - CI
Allegato(i) Dettagli della specie
Agapanthia (Epoptes) asphodeli (Latreille, 1804)
Cerambycidae


22.III.2011 - ITALIA - Sardegna - CI
Coleoptera

Fumea crassiorella

5

2128

24/03/2011, 15:18

Plagionotus Vedi ultimo messaggio

Nessun messaggio da leggere
Allegato(i) Dettagli della specie
Pseudovadonia livida livida (Fabricius, 1777)
Cerambycidae


24.V.2010 - ITALIA - Lazio - RM
Coleoptera

soken

6

1315

21/03/2011, 11:01

cosmln Vedi ultimo messaggio

Nessun messaggio da leggere
Poecilium alni alni (Linnaeus, 1767) - Cerambycidae
11.X.2009 - ITALIA - Abruzzo - AQ
Allegato(i) Dettagli della specie
Poecilium alni alni (Linnaeus, 1767)
Cerambycidae


11.X.2009 - ITALIA - Abruzzo - AQ
Coleoptera

Julodis

4

1329

20/03/2011, 13:18

Plagionotus Vedi ultimo messaggio

Nessun messaggio da leggere
Leiopus nebulosus nebulosus (Linnaeus, 1758) - Cerambycidae
19.III.2011 - ITALIA - Lombardia - CO
Allegato(i) Dettagli della specie
Leiopus nebulosus nebulosus (Linnaeus, 1758)
Cerambycidae


19.III.2011 - ITALIA - Lombardia - CO
Coleoptera

Xylotrechus

2

989

19/03/2011, 15:45

Xylotrechus Vedi ultimo messaggio

Nessun messaggio da leggere
Phoracantha recurva Newman, 1840 - Cerambycidae
17.III.2011 - ITALIA - Sicilia - CL
Allegato(i) Dettagli della specie
Phoracantha recurva Newman, 1840
Cerambycidae


17.III.2011 - ITALIA - Sicilia - CL
Coleoptera

Pippistrello

5

1963

18/03/2011, 20:20

Pippistrello Vedi ultimo messaggio

Nessun messaggio da leggere
Allegato(i) Dettagli della specie
Trichoferus fasciculatus fasciculatus (Faldermann, 1837)
Cerambycidae


23.III.2009 - ITALIA - Puglia - BA
Coleoptera

Julodis

8

1919

17/03/2011, 22:34

Julodis Vedi ultimo messaggio

Nessun messaggio da leggere
Clytus arietis arietis (Linnaeus, 1758) - Cerambycidae
17.III.2011 - ITALIA - Veneto - BL
Allegato(i) Dettagli della specie
Clytus arietis arietis (Linnaeus, 1758)
Cerambycidae


17.III.2011 - ITALIA - Veneto - BL
Coleoptera

Maw89

0

717

17/03/2011, 19:32

Maw89 Vedi ultimo messaggio

Nessun messaggio da leggere
Phoracantha recurva Newman, 1840 - Cerambycidae
15.III.2011 - ITALIA - Lazio - LT
Allegato(i) Dettagli della specie
Phoracantha recurva Newman, 1840
Cerambycidae


15.III.2011 - ITALIA - Lazio - LT
Coleoptera

elleelle

14

3298

17/03/2011, 18:23

Julodis Vedi ultimo messaggio

Nessun messaggio da leggere
Rusticoclytus rusticus (Linnaeus, 1758) - Cerambycidae
2.II.2011 - ITALIA - Trentino-Alto Adige - TN
Allegato(i) Dettagli della specie
Rusticoclytus rusticus (Linnaeus, 1758)
Cerambycidae


2.II.2011 - ITALIA - Trentino-Alto Adige - TN
Coleoptera

Pippistrello

11

3488

16/03/2011, 18:22

Pippistrello Vedi ultimo messaggio

Nessun messaggio da leggere
Saphanus piceus piceus (Laicharting, 1784) - Cerambycidae
15.VI.2006 - ITALIA - Sicilia - ME
Allegato(i) Dettagli della specie
Saphanus piceus piceus (Laicharting, 1784)
Cerambycidae

[ Vai alla paginaVai alla pagina: 1, 2 ]



15.VI.2006 - ITALIA - Sicilia - ME
Coleoptera

Mikiphasmide

20

5163

16/03/2011, 17:48

Daniele Sechi Vedi ultimo messaggio

Nessun messaggio da leggere
Stenurella sennii Sama, 2002 - Cerambycidae
19.VIII.2010 - ITALIA - Abruzzo - AQ
Allegato(i) Dettagli della specie
Stenurella sennii Sama, 2002
Cerambycidae


19.VIII.2010 - ITALIA - Abruzzo - AQ
Coleoptera

conan

10

3340

15/03/2011, 21:55

conan Vedi ultimo messaggio

Nessun messaggio da leggere
Obrium cantharinum (Linnaeus, 1767) - Cerambycidae
12.V.1995 - ITALIA - Puglia - LE
Allegato(i) Dettagli della specie
Obrium cantharinum (Linnaeus, 1767)
Cerambycidae


12.V.1995 - ITALIA - Puglia - LE
Coleoptera

Maurizio Bollino

12

2915

15/03/2011, 18:49

Isotomus Vedi ultimo messaggio

Nessun messaggio da leggere
Parmena subpubescens Hellrigl, 1971 - Cerambycidae
8.III.2011 - ITALIA - Sicilia - RG
Allegato(i) Dettagli della specie
Parmena subpubescens Hellrigl, 1971
Cerambycidae


8.III.2011 - ITALIA - Sicilia - RG
Coleoptera

Pippistrello

9

2359

15/03/2011, 16:43

Plagionotus Vedi ultimo messaggio

Nessun messaggio da leggere
Plagionotus arcuatus (Linnaeus, 1758) - Cerambycidae
31.V.2010 - ITALIA - Emilia-Romagna - MO
Allegato(i) Dettagli della specie
Plagionotus arcuatus (Linnaeus, 1758)
Cerambycidae


31.V.2010 - ITALIA - Emilia-Romagna - MO
Coleoptera

conan

3

1396

15/03/2011, 16:41

Plagionotus Vedi ultimo messaggio

Nessun messaggio da leggere
Allegato(i) Dettagli della specie
Pedostrangalia (Neosphenalia) verticalis (Germar, 1822)
Cerambycidae


1.VI.1995 - ITALIA - Puglia - LE
Coleoptera

Isotomus

3

1456

15/03/2011, 13:26

Maurizio Bollino Vedi ultimo messaggio

Nessun messaggio da leggere
Stenurella nigra (Linnaeus, 1758) - Cerambycidae
27.V.1995 - ITALIA - Puglia - LE
Allegato(i) Dettagli della specie
Stenurella nigra (Linnaeus, 1758)
Cerambycidae


27.V.1995 - ITALIA - Puglia - LE
Coleoptera

Maurizio Bollino

8

2368

15/03/2011, 13:14

Isotomus Vedi ultimo messaggio

Nessun messaggio da leggere
Exocentrus punctipennis Mulsant & Guillebeau, 1856 - Cerambycidae
13.VI.2010 - ITALIA - Emilia-Romagna - RE
Allegato(i) Dettagli della specie
Exocentrus punctipennis Mulsant & Guillebeau, 1856
Cerambycidae


13.VI.2010 - ITALIA - Emilia-Romagna - RE
Coleoptera

conan

1

1194

15/03/2011, 11:32

mcer Vedi ultimo messaggio

Nessun messaggio da leggere
Grammoptera ruficornis ruficornis (Fabricius, 1781) - Cerambycidae
31.V.2010 - ITALIA - Emilia-Romagna - MO
Allegato(i) Dettagli della specie
Grammoptera ruficornis ruficornis (Fabricius, 1781)
Cerambycidae

[ Vai alla paginaVai alla pagina: 1, 2 ]



31.V.2010 - ITALIA - Emilia-Romagna - MO
Coleoptera

conan

18

3766

14/03/2011, 19:32

Plagionotus Vedi ultimo messaggio

Nessun messaggio da leggere
Clytus arietis arietis (Linnaeus, 1758) - Cerambycidae
12.V.1995 - ITALIA - Basilicata - PZ
Allegato(i) Dettagli della specie
Clytus arietis arietis (Linnaeus, 1758)
Cerambycidae


12.V.1995 - ITALIA - Basilicata - PZ
Coleoptera

Maurizio Bollino

4

1593

14/03/2011, 19:28

Plagionotus Vedi ultimo messaggio

Nessun messaggio da leggere
Tetrops praeustus praeustus (Linnaeus, 1758) - Cerambycidae
9.V.2010 - ITALIA - Emilia-Romagna - MO
Allegato(i) Dettagli della specie
Tetrops praeustus praeustus (Linnaeus, 1758)
Cerambycidae


9.V.2010 - ITALIA - Emilia-Romagna - MO
Coleoptera

conan

5

1791

14/03/2011, 18:39

Isotomus Vedi ultimo messaggio

Nessun messaggio da leggere
Cortodera humeralis humeralis (Schaller, 1783) - Cerambycidae
30.IV.2010 - ITALIA - Emilia-Romagna - MO
Allegato(i) Dettagli della specie
Cortodera humeralis humeralis (Schaller, 1783)
Cerambycidae


30.IV.2010 - ITALIA - Emilia-Romagna - MO
Coleoptera

conan

4

1545

14/03/2011, 15:43

Plagionotus Vedi ultimo messaggio

Nessun messaggio da leggere
Grammoptera ruficornis ruficornis (Fabricius, 1781) - Cerambycidae
24.II.2011 - ITALIA - Emilia-Romagna - MO
Allegato(i) Dettagli della specie
Grammoptera ruficornis ruficornis (Fabricius, 1781)
Cerambycidae


24.II.2011 - ITALIA - Emilia-Romagna - MO
Coleoptera

conan

7

1995

14/03/2011, 15:02

Entomarci Vedi ultimo messaggio

Nessun messaggio da leggere
Pseudovadonia livida livida (Fabricius, 1777) - Cerambycidae
13.VI.2010 - ITALIA - Emilia-Romagna - RE
Allegato(i) Dettagli della specie
Pseudovadonia livida livida (Fabricius, 1777)
Cerambycidae


13.VI.2010 - ITALIA - Emilia-Romagna - RE
Coleoptera

conan

1

954

13/03/2011, 23:59

Plagionotus Vedi ultimo messaggio

Nessun messaggio da leggere
Obrium brunneum (Fabricius, 1792) - Cerambycidae
26.VI.2010 - ITALIA - Emilia-Romagna - MO
Allegato(i) Dettagli della specie
Obrium brunneum (Fabricius, 1792)
Cerambycidae


26.VI.2010 - ITALIA - Emilia-Romagna - MO
Coleoptera

conan

2

1313

13/03/2011, 23:49

Plagionotus Vedi ultimo messaggio

Nessun messaggio da leggere
Leiopus nebulosus nebulosus (Linnaeus, 1758) - Cerambycidae
12.III.2011 - ITALIA - Lombardia - CO
Allegato(i) Dettagli della specie
Leiopus nebulosus nebulosus (Linnaeus, 1758)
Cerambycidae

[ Vai alla paginaVai alla pagina: 1, 2 ]



12.III.2011 - ITALIA - Lombardia - CO
Coleoptera

Xylotrechus

15

3406

13/03/2011, 14:10

Plagionotus Vedi ultimo messaggio

Nessun messaggio da leggere
Morimus asper asper (Sulzer, 1776) - Cerambycidae
15.V.2009 - ITALIA - Toscana - PO
Allegato(i) Dettagli della specie
Morimus asper asper (Sulzer, 1776)
Cerambycidae


15.V.2009 - ITALIA - Toscana - PO
Coleoptera

DanieleC

8

1955

12/03/2011, 16:00

DanieleC Vedi ultimo messaggio

Nessun messaggio da leggere
Pyrrhidium sanguineum (Linnaeus, 1758) - Cerambycidae
22.II.2011 - ITALIA - Umbria - PG
Allegato(i) Dettagli della specie
Pyrrhidium sanguineum (Linnaeus, 1758)
Cerambycidae


22.II.2011 - ITALIA - Umbria - PG
Coleoptera

ilio

7

1629

10/03/2011, 15:29

Entomarci Vedi ultimo messaggio

Nessun messaggio da leggere
Stenopterus rufus rufus (Linnaeus, 1767) - Cerambycidae
14.VII.2009 - ITALIA - Lombardia - SO
Allegato(i) Dettagli della specie
Stenopterus rufus rufus (Linnaeus, 1767)
Cerambycidae


14.VII.2009 - ITALIA - Lombardia - SO
Coleoptera

Luciano Menghi

3

1080

09/03/2011, 13:53

Phytoecia Vedi ultimo messaggio

Nessun messaggio da leggere
Stenopterus rufus rufus (Linnaeus, 1767) - Cerambycidae
27.V.2009 - ITALIA - Lombardia - SO
Allegato(i) Dettagli della specie
Stenopterus rufus rufus (Linnaeus, 1767)
Cerambycidae


27.V.2009 - ITALIA - Lombardia - SO
Coleoptera

Luciano Menghi

1

942

09/03/2011, 12:39

cosmln Vedi ultimo messaggio

Nessun messaggio da leggere
Trichoferus arenbergeri Holzschuh, 1995 - Cerambycidae
28.VI.2006 - ITALIA - Sardegna - CA
Allegato(i) Dettagli della specie
Trichoferus arenbergeri Holzschuh, 1995
Cerambycidae

[ Vai alla paginaVai alla pagina: 1, 2 ]



28.VI.2006 - ITALIA - Sardegna - CA
Coleoptera

Isotomus

16

3669

07/03/2011, 17:19

Daniele Sechi Vedi ultimo messaggio

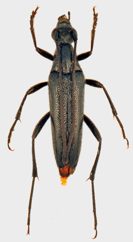
Nessun messaggio da leggere
Allegato(i) Dettagli della specie
Aegosoma scabricorne (Scopoli, 1763)
Cerambycidae


ITALIA - Marche - PU
Coleoptera

marco paglialunga

7

2291

05/03/2011, 9:34

marco paglialunga Vedi ultimo messaggio

Nessun messaggio da leggere
Poecilium glabratum (Charpentier, 1825) - Cerambycidae
27.II.2011 - ITALIA - Emilia-Romagna - RA
Allegato(i) Dettagli della specie
Poecilium glabratum (Charpentier, 1825)
Cerambycidae


27.II.2011 - ITALIA - Emilia-Romagna - RA
Coleoptera

Entomarci

3

1274

04/03/2011, 16:04

Plagionotus Vedi ultimo messaggio

Nessun messaggio da leggere
Allegato(i) Dettagli della specie
Rhagium (Rhagium) inquisitor inquisitor (Linnaeus, 1758)
Cerambycidae


3.III.2011 - ITALIA - Lombardia - SO
Coleoptera

Luciano Menghi

8

2357

03/03/2011, 23:21

Plagionotus Vedi ultimo messaggio

Nessun messaggio da leggere
Allegato(i) Dettagli della specie
Glaphyra (Glaphyra) umbellatarum (Schreber, 1759)
Cerambycidae


21.IV.2007 - ITALIA - Lazio - RI
Coleoptera

Julodis

6

2301

01/03/2011, 16:14

Isotomus Vedi ultimo messaggio

Nessun messaggio da leggere
Grammoptera ustulata (Schaller, 1783) - Cerambycidae
14.III.2005 - ITALIA - Lazio - FR
Allegato(i) Dettagli della specie
Grammoptera ustulata (Schaller, 1783)
Cerambycidae


14.III.2005 - ITALIA - Lazio - FR
Coleoptera

Julodis

3

1412

01/03/2011, 1:36

Julodis Vedi ultimo messaggio

Nessun messaggio da leggere
Allegato(i) Dettagli della specie
Rhagium (Rhagium) inquisitor inquisitor (Linnaeus, 1758)
Cerambycidae


26.II.2011 - ITALIA - Lombardia - SO
Coleoptera

Luciano Menghi

1

853

27/02/2011, 19:10

StagBeetle Vedi ultimo messaggio

Nessun messaggio da leggere
Rusticoclytus rusticus (Linnaeus, 1758) - Cerambycidae
22.V.2009 - ITALIA - Sardegna - CA
Allegato(i) Dettagli della specie
Rusticoclytus rusticus (Linnaeus, 1758)
Cerambycidae


22.V.2009 - ITALIA - Sardegna - CA
Coleoptera

-=M@P=-

4

1390

26/02/2011, 22:32

-=M@P=- Vedi ultimo messaggio

Nessun messaggio da leggere
Niphona picticornis Mulsant, 1839 - Cerambycidae
12.IV.2010 - ITALIA - Sardegna - CA
Allegato(i) Dettagli della specie
Niphona picticornis Mulsant, 1839
Cerambycidae


12.IV.2010 - ITALIA - Sardegna - CA
Coleoptera

-=M@P=-

3

1255

26/02/2011, 20:21

-=M@P=- Vedi ultimo messaggio

Nessun messaggio da leggere
Phytoecia rufipes rufipes (Olivier, 1795) - Cerambycidae
27.V.1995 - ITALIA - Puglia - LE
Allegato(i) Dettagli della specie
Phytoecia rufipes rufipes (Olivier, 1795)
Cerambycidae


27.V.1995 - ITALIA - Puglia - LE
Coleoptera

Plagionotus

9

2102

24/02/2011, 15:28

Plagionotus Vedi ultimo messaggio

Nessun messaggio da leggere
Herophila tristis tristis (Linnaeus, 1767) - Cerambycidae
20.II.2011 - ITALIA - Friuli-Venezia Giulia - GO
Allegato(i) Dettagli della specie
Herophila tristis tristis (Linnaeus, 1767)
Cerambycidae


20.II.2011 - ITALIA - Friuli-Venezia Giulia - GO
Coleoptera

Agdistis

7

1705

21/02/2011, 1:16

Julodis Vedi ultimo messaggio

Nessun messaggio da leggere
Phoracantha recurva Newman, 1840 - Cerambycidae
28.VI.2009 - ITALIA - Sardegna - CA
Allegato(i) Dettagli della specie
Phoracantha recurva Newman, 1840
Cerambycidae

[ Vai alla paginaVai alla pagina: 1, 2 ]



28.VI.2009 - ITALIA - Sardegna - CA
Coleoptera

ruzzpa

21

3694

20/02/2011, 13:08

Plagionotus Vedi ultimo messaggio

Nessun messaggio da leggere
Monochamus sutor sutor (Linnaeus, 1758) - Cerambycidae
22.VIII.2006 - ITALIA - Valle d'Aosta - AO
Allegato(i) Dettagli della specie
Monochamus sutor sutor (Linnaeus, 1758)
Cerambycidae


22.VIII.2006 - ITALIA - Valle d'Aosta - AO
Coleoptera

Fumea crassiorella

6

2182

15/02/2011, 16:06

Plagionotus Vedi ultimo messaggio

Nessun messaggio da leggere
Acanthocinus xanthoneurus (Mulsant & Rey, 1852) - Cerambycidae
III.2010 - ITALIA - Emilia-Romagna - FC
Allegato(i) Dettagli della specie
Acanthocinus xanthoneurus (Mulsant & Rey, 1852)
Cerambycidae


III.2010 - ITALIA - Emilia-Romagna - FC
Coleoptera

Entomarci

13

4569

15/02/2011, 15:07

Entomarci Vedi ultimo messaggio

Nessun messaggio da leggere
Cerambyx scopolii scopolii Fuessly, 1775 - Cerambycidae
6.II.2010 - ITALIA - Lombardia - BG
Allegato(i) Dettagli della specie
Cerambyx scopolii scopolii Fuessly, 1775
Cerambycidae


6.II.2010 - ITALIA - Lombardia - BG
Coleoptera

Pippistrello

0

1082

15/02/2011, 11:12

Pippistrello Vedi ultimo messaggio

Nessun messaggio da leggere
Arhopalus rusticus (Linnaeus, 1758) - Cerambycidae
16.VIII.2009 - ITALIA - Trentino-Alto Adige - TN
Allegato(i) Dettagli della specie
Arhopalus rusticus (Linnaeus, 1758)
Cerambycidae

[ Vai alla paginaVai alla pagina: 1, 2 ]



16.VIII.2009 - ITALIA - Trentino-Alto Adige - TN
Coleoptera

Plagionotus

16

4166

15/02/2011, 0:13

Plagionotus Vedi ultimo messaggio

Nessun messaggio da leggere
Allegato(i) Dettagli della specie
Pogonocherus hispidulus (Piller & Mitterpacher, 1783)
Cerambycidae


2.II.2011 - ITALIA - Lombardia - BG
Coleoptera

Pippistrello

3

1212

14/02/2011, 18:30

Pippistrello Vedi ultimo messaggio

Nessun messaggio da leggere
Allegato(i) Dettagli della specie
Dorcadion (Pedestredorcadion) etruscum (Rossi, 1790)
Cerambycidae

[ Vai alla paginaVai alla pagina: 1, 2 ]



12.II.2011 - ITALIA - Lazio - RM
Coleoptera

Julodis

15

3719

14/02/2011, 17:09

Plagionotus Vedi ultimo messaggio

Nessun messaggio da leggere
Allegato(i) Dettagli della specie
Anaesthetis testacea testacea (Fabricius, 1781)
Cerambycidae


10.II.2011 - ITALIA - Toscana - LI
Coleoptera

FORBIX

3

1397

13/02/2011, 0:15

FORBIX Vedi ultimo messaggio

Nessun messaggio da leggere
Saperda scalaris scalaris (Linnaeus, 1758) - Cerambycidae
15.I.2011 - ITALIA - Abruzzo - PE
Allegato(i) Dettagli della specie
Saperda scalaris scalaris (Linnaeus, 1758)
Cerambycidae


15.I.2011 - ITALIA - Abruzzo - PE
Coleoptera

Alessio89

12

2332

11/02/2011, 0:30

Lucanus tetraodon Vedi ultimo messaggio

Nessun messaggio da leggere
Aegosoma scabricorne (Scopoli, 1763) - Cerambycidae
10.II.2011 - ITALIA - Marche - AN
Allegato(i) Dettagli della specie
Aegosoma scabricorne (Scopoli, 1763)
Cerambycidae


10.II.2011 - ITALIA - Marche - AN
Coleoptera

StagBeetle

5

2233

10/02/2011, 16:30

michele.carraretto Vedi ultimo messaggio

Visualizza ultimi argomenti:  Ordina per  Ordine:  
nuovo argomento
Vai alla pagina Precedente  1 ... 44, 45, 46, 47, 48, 49, 50 ... 59  Prossimo
Pagina 47 di 59 [ 2929 argomenti ]

Tutti gli orari sono UTC + 1 ora [ ora legale ]


Chi c’è in linea

Visitano il forum: Nessuno e 4 ospiti


Legenda
Messaggi da leggere Messaggi da leggere Nessun messaggio da leggere Nessun messaggio da leggere Annuncio Annuncio
 
Specie indeterminata / discussione generica
Messaggi non letti [ Popolari ] Messaggi non letti [ Popolari ] Nessun messaggio da leggere [ Popolare ] Nessun messaggio da leggere [ Popolare ] Importante Importante
 
Specie determinata fino al genere o cf.
Messaggi non letti [ Bloccati ] Messaggi non letti [ Bloccati ] No messaggi non letti [ Bloccati ] No messaggi non letti [ Bloccati ] Argomento spostato Argomento spostato
 
Specie correttamente determinata
Permessi
Non puoi aprire nuovi argomenti
Non puoi rispondere negli argomenti
Non puoi modificare i tuoi messaggi
Non puoi cancellare i tuoi messaggi
Non puoi inviare allegati

Cerca per:
Vai a: