Benvenuto Ospite

Forum Entomologi Italiani

www.entomologiitaliani.net/forum
 
Oggi è 18/02/2026, 5:40

Tutti gli orari sono UTC + 1 ora [ ora legale ]


92% 
2927 taxa correttamente determinati su 3181 presenti in archivio

Cerambycidae


[ AFROTROPICALE ] [ ANTARTICO ] [ AUSTRALASIANO ] [ NEARTICO ] [ NEOTROPICALE ] [ ORIENTALE ] [ PALEARTICO ]


nuovo argomento
Vai alla pagina Precedente  1 ... 48, 49, 50, 51, 52, 53, 54 ... 103  Prossimo
Pagina 51 di 103 [ 5107 argomenti ]
 Argomenti   Ordine   Autore   Risposte   Visite    Ultimo messaggio 
Annunci
Nessun messaggio da leggere
Allegato(i)
Incontri entomologici della Società Entomologica Italiana 2025-2026
 

Velvet Ant

0

27142

17/11/2025, 19:41

Velvet Ant Vedi ultimo messaggio

Nessun messaggio da leggere
Allegato(i)
Incontri entomologici telematici organizzati dalla Società Entomologica Italiana nel 2022 e nel 2023

[ Vai alla paginaVai alla pagina: 1, 2, 3 ]

 

Velvet Ant

44

1821465

03/03/2023, 15:55

Velvet Ant Vedi ultimo messaggio

Nessun messaggio da leggere  
Allegato(i)
Sondaggio sul declino dell'entomofauna in Italia

[ Vai alla paginaVai alla pagina: 1, 2, 3, 4 ]

 

Velvet Ant

52

2461485

22/10/2022, 19:18

Acquarius Vedi ultimo messaggio

Nessun messaggio da leggere  
Allegato(i)
Progetto: Bibliografia ragionata dei lavori entomologici nei quali sono citati reperti apparsi su FEI

[ Vai alla paginaVai alla pagina: 1, 2, 3 ]

 

Velvet Ant

33

1462288

06/07/2023, 18:31

Orotrechus Vedi ultimo messaggio

Nessun messaggio da leggere
Allegato(i)
Mimesi, il primo documentario cinematografico sull’entomologia in Italia: casting
 

mazzeip

1

1108061

28/02/2019, 20:26

mazzeip Vedi ultimo messaggio

Questo argomento è bloccato, non puoi modificare o inviare ulteriori messaggi.
Allegato(i)
ISTRUZIONI PUBBLICAZIONE NUOVI ARGOMENTI E FOTO

 
Altri Ordini di Insetti

Julodis

4

2914190

13/05/2015, 19:37

Julodis Vedi ultimo messaggio

Nessun messaggio da leggere
Allegato(i)
Limitatore giornaliero di messaggi, uno strumento utile e ormai indispensabile

[ Vai alla paginaVai alla pagina: 1 ... 14, 15, 16 ]

 

Velvet Ant

233

12941551

25/09/2014, 14:31

Inachis Vedi ultimo messaggio

Nessun messaggio da leggere  
NORME PER I COLLABORATORI DEL FORUM

 
 

Velvet Ant

0

648286

02/06/2011, 12:05

Velvet Ant Vedi ultimo messaggio

Nessun messaggio da leggere
Allegato(i)
NORME PER GLI UTENTI DEL FORUM

[ Vai alla paginaVai alla pagina: 1, 2, 3 ]



 
 

Velvet Ant

30

3578321

23/09/2014, 23:54

Maurizio Bollino Vedi ultimo messaggio

Questo argomento è bloccato, non puoi modificare o inviare ulteriori messaggi.  
Elenco delle specie italiane di Cerambycidae presenti sul forum
Cerambycidae


 
Coleoptera

Plagionotus

0

6265

22/11/2010, 22:28

Plagionotus Vedi ultimo messaggio

Nessun messaggio da leggere  
Lista degli utenti del "Forum entomologi italiani" per campi di interesse e specializzazione

 
Altri Ordini di Insetti

Velvet Ant

13

1056872

07/09/2023, 17:14

Roberto-07 Vedi ultimo messaggio

Argomenti
Nessun messaggio da leggere
Rusticoclytus rusticus (Linnaeus, 1758) - Cerambycidae
9.VI.2013 - ITALIA - Emilia-Romagna - MO
Allegato(i) Dettagli della specie
Rusticoclytus rusticus (Linnaeus, 1758)
Cerambycidae


9.VI.2013 - ITALIA - Emilia-Romagna - MO
Coleoptera

AleP

6

1624

11/06/2013, 19:05

AleP Vedi ultimo messaggio

Nessun messaggio da leggere
Allegato(i) Dettagli della specie
Stictoleptura cordigera cordigera (Fuessly, 1775)
Cerambycidae


9.VI.2013 - ITALIA - Lazio - VT
Coleoptera

Andricus

0

633

10/06/2013, 18:05

Andricus Vedi ultimo messaggio

Nessun messaggio da leggere
Clytus rhamni Germar, 1817 - Cerambycidae
5.VI.2013 - ITALIA - Lazio - VT
Allegato(i) Dettagli della specie
Clytus rhamni Germar, 1817
Cerambycidae


5.VI.2013 - ITALIA - Lazio - VT
Coleoptera

Andricus

0

632

10/06/2013, 17:49

Andricus Vedi ultimo messaggio

Nessun messaggio da leggere
Gracilia minuta (Fabricius, 1781) - Cerambycidae
25.V.2013 - ITALIA - Lazio - RM
Allegato(i) Dettagli della specie
Gracilia minuta (Fabricius, 1781)
Cerambycidae


25.V.2013 - ITALIA - Lazio - RM
Coleoptera

soken

3

1035

10/06/2013, 14:12

soken Vedi ultimo messaggio

Nessun messaggio da leggere
Rusticoclytus rusticus (Linnaeus, 1758) - Cerambycidae
1.V.2013 - ITALIA - Emilia-Romagna - RA
Allegato(i) Dettagli della specie
Rusticoclytus rusticus (Linnaeus, 1758)
Cerambycidae


1.V.2013 - ITALIA - Emilia-Romagna - RA
Coleoptera

Entomarci

12

2339

09/06/2013, 17:48

AleP Vedi ultimo messaggio

Nessun messaggio da leggere
Allegato(i) Dettagli della specie
Agapanthia (Agapanthia) violacea (Fabricius, 1775)
Cerambycidae


28.IV.2013 - GRECIA - EE
Coleoptera

Apoderus

10

2589

07/06/2013, 19:47

Xylosteus Vedi ultimo messaggio

Nessun messaggio da leggere
Pseudovadonia livida livida (Fabricius, 1777) - Cerambycidae
30.V.2013 - ITALIA - Toscana - LU
Allegato(i) Dettagli della specie
Pseudovadonia livida livida (Fabricius, 1777)
Cerambycidae


30.V.2013 - ITALIA - Toscana - LU
Coleoptera

Marchino

1

841

07/06/2013, 16:04

Daniele Maccapani Vedi ultimo messaggio

Nessun messaggio da leggere
Allegato(i) Dettagli della specie
Herophila tristis tristis (Linnaeus, 1767)
Cerambycidae


24.IV.2013 - GRECIA - EE
Coleoptera

Apoderus

7

1920

06/06/2013, 20:19

Plagionotus Vedi ultimo messaggio

Nessun messaggio da leggere
Cerambyx scopolii scopolii Fuessly, 1775 - Cerambycidae
6.VI.2013 - ITALIA - Liguria - GE
Allegato(i) Dettagli della specie
Cerambyx scopolii scopolii Fuessly, 1775
Cerambycidae


6.VI.2013 - ITALIA - Liguria - GE
Coleoptera

Francesco Cassulo

4

1463

06/06/2013, 10:16

Francesco Cassulo Vedi ultimo messaggio

Nessun messaggio da leggere
Parmena pubescens pubescens (Dalman, 1817) - Cerambycidae
5.VI.2013 - ITALIA - Sicilia - AG
Allegato(i) Dettagli della specie
Parmena pubescens pubescens (Dalman, 1817)
Cerambycidae


5.VI.2013 - ITALIA - Sicilia - AG
Coleoptera

carabus

1

1135

05/06/2013, 22:37

Lucanus tetraodon Vedi ultimo messaggio

Nessun messaggio da leggere
Phymatodes testaceus (Linnaeus, 1758) - Cerambycidae
31.V.2013 - ITALIA - Lazio - VT
Allegato(i) Dettagli della specie
Phymatodes testaceus (Linnaeus, 1758)
Cerambycidae


31.V.2013 - ITALIA - Lazio - VT
Coleoptera

Andricus

1

2124

05/06/2013, 21:59

Plagionotus Vedi ultimo messaggio

Nessun messaggio da leggere
Vesperus luridus (Rossi, 1794) - Cerambycidae
5.VI.2013 - ITALIA - Lazio - VT
Allegato(i) Dettagli della specie
Vesperus luridus (Rossi, 1794)
Cerambycidae


5.VI.2013 - ITALIA - Lazio - VT
Coleoptera

Andricus

4

9497

05/06/2013, 19:19

Andricus Vedi ultimo messaggio

Nessun messaggio da leggere
Allegato(i) Dettagli della specie
Leiopus nebulosus nebulosus (Linnaeus, 1758)
Cerambycidae


2.VI.2013 - ITALIA - Marche - MC
Coleoptera

StagBeetle

2

1929

05/06/2013, 13:05

StagBeetle Vedi ultimo messaggio

Nessun messaggio da leggere
Mesosa nebulosa nebulosa (Fabricius, 1781) - Cerambycidae
2.VI.2013 - ITALIA - Marche - MC
Allegato(i) Dettagli della specie
Mesosa nebulosa nebulosa (Fabricius, 1781)
Cerambycidae


2.VI.2013 - ITALIA - Marche - MC
Coleoptera

StagBeetle

0

872

04/06/2013, 13:15

StagBeetle Vedi ultimo messaggio

Nessun messaggio da leggere
Allegato(i) Dettagli della specie
Pseudosphegesthes cinerea (Laporte & Gory, 1836)
Cerambycidae


2.VI.2013 - ITALIA - Veneto - PD
Coleoptera

Entomarci

2

1200

03/06/2013, 22:35

michele.carraretto Vedi ultimo messaggio

Nessun messaggio da leggere
Agapanthia (Agapanthia) cardui (Linnaeus, 1767) - Cerambycidae
2.VI.2013 - ITALIA - Emilia-Romagna - PC
Allegato(i) Dettagli della specie
Agapanthia (Agapanthia) cardui (Linnaeus, 1767)
Cerambycidae


2.VI.2013 - ITALIA - Emilia-Romagna - PC
Coleoptera

Rodgers12

6

2327

03/06/2013, 22:27

Rodgers12 Vedi ultimo messaggio

Nessun messaggio da leggere
Oberea (Amaurostoma) euphorbiae (Germar, 1813) - Cerambycidae
2.VI.2013 - ITALIA - Emilia-Romagna - RA
Allegato(i) Dettagli della specie
Oberea (Amaurostoma) euphorbiae (Germar, 1813)
Cerambycidae


2.VI.2013 - ITALIA - Emilia-Romagna - RA
Coleoptera

Entomarci

1

1102

03/06/2013, 22:25

michele.carraretto Vedi ultimo messaggio

Nessun messaggio da leggere
Arhopalus ferus (Mulsant, 1839) - Cerambycidae
1.VI.2013 - ITALIA - Sardegna - CA
Allegato(i) Dettagli della specie
Arhopalus ferus (Mulsant, 1839)
Cerambycidae


1.VI.2013 - ITALIA - Sardegna - CA
Coleoptera

ruzzpa

3

1066

03/06/2013, 17:32

Plagionotus Vedi ultimo messaggio

Nessun messaggio da leggere
Stenopterus rufus rufus (Linnaeus, 1767) - Cerambycidae
1.VI.2013 - ITALIA - Puglia - BT
Allegato(i) Dettagli della specie
Stenopterus rufus rufus (Linnaeus, 1767)
Cerambycidae


1.VI.2013 - ITALIA - Puglia - BT
Coleoptera

beginner

7

1583

02/06/2013, 18:11

Tc70 Vedi ultimo messaggio

Nessun messaggio da leggere
Saperda populnea (Linnaeus, 1758) - Cerambycidae
25.V.2013 - ITALIA - Sardegna - CA
Allegato(i) Dettagli della specie
Saperda populnea (Linnaeus, 1758)
Cerambycidae


25.V.2013 - ITALIA - Sardegna - CA
Coleoptera

Fumea crassiorella

4

1229

02/06/2013, 15:03

Plagionotus Vedi ultimo messaggio

Nessun messaggio da leggere
Allegato(i)
Agapanthia maculicornis davidi (Slàma, 1986) - Cerambycidae

31.V.2013 - ITALIA - Molise - IS
Coleoptera

Franco ROSSI

3

1260

01/06/2013, 17:57

Franco ROSSI Vedi ultimo messaggio

Nessun messaggio da leggere
Mesosa curculionoides (Linnaeus, 1760) - Cerambycidae
3.V.2013 - ITALIA - Toscana - LU
Allegato(i) Dettagli della specie
Mesosa curculionoides (Linnaeus, 1760)
Cerambycidae


3.V.2013 - ITALIA - Toscana - LU
Coleoptera

Marchino

3

1004

01/06/2013, 17:40

Marchino Vedi ultimo messaggio

Nessun messaggio da leggere
Saperda carcharias (Linnaeus, 1758) - Cerambycidae
3.IX.1973 - ITALIA - Veneto - VE
Allegato(i) Dettagli della specie
Saperda carcharias (Linnaeus, 1758)
Cerambycidae


3.IX.1973 - ITALIA - Veneto - VE
Coleoptera

ghebo

0

652

01/06/2013, 16:07

ghebo Vedi ultimo messaggio

Nessun messaggio da leggere
Allegato(i) Dettagli della specie
Deroplia troberti troberti (Mulsant, 1843) cf.
Cerambycidae


31.V.2012 - GRECIA - EE
Coleoptera

Enrico Ruzzier

13

2002

31/05/2013, 14:52

Xylosteus Vedi ultimo messaggio

Nessun messaggio da leggere
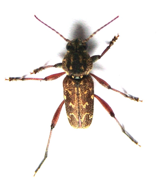
Isotomus jarmilae Sláma, 1982 - Cerambycidae
28.V.2013 - GRECIA - EE
Allegato(i)
Isotomus jarmilae Sláma, 1982 - Cerambycidae

28.V.2013 - GRECIA - EE
Coleoptera

Entomarci

3

1004

29/05/2013, 15:28

Plagionotus Vedi ultimo messaggio

Nessun messaggio da leggere
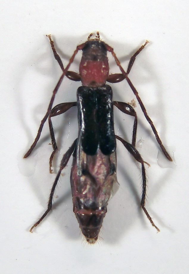
Calamobius filum (Rossi, 1790) - Cerambycidae
25.V.2013 - ITALIA - Umbria - PG
Allegato(i)
Calamobius filum (Rossi, 1790) - Cerambycidae

25.V.2013 - ITALIA - Umbria - PG
Coleoptera

andreah

3

876

28/05/2013, 18:05

andreah Vedi ultimo messaggio

Nessun messaggio da leggere
Plagionotus scalaris (Brullé, 1832) - Cerambycidae
1.V.2013 - ITALIA - Campania - CE
Allegato(i) Dettagli della specie
Plagionotus scalaris (Brullé, 1832)
Cerambycidae


1.V.2013 - ITALIA - Campania - CE
Coleoptera

renillo

5

1440

27/05/2013, 14:22

patacchiola Vedi ultimo messaggio

Nessun messaggio da leggere
Nathrius brevipennis (Mulsant, 1839) - Cerambycidae
20.V.2013 - ITALIA - Marche - AN
Allegato(i) Dettagli della specie
Nathrius brevipennis (Mulsant, 1839)
Cerambycidae


20.V.2013 - ITALIA - Marche - AN
Coleoptera

StagBeetle

1

1092

26/05/2013, 10:16

Plagionotus Vedi ultimo messaggio

Nessun messaggio da leggere
Allegato(i) Dettagli della specie
Agapanthia (Agapanthia) cardui (Linnaeus, 1767) cf.
Cerambycidae


7.V.2013 - ITALIA - Puglia - BA
Coleoptera

Mimmo011

8

2525

26/05/2013, 10:03

Daniele Maccapani Vedi ultimo messaggio

Nessun messaggio da leggere
Allegato(i) Dettagli della specie
Rhagium (Megarhagium) mordax (De Geer, 1775)
Cerambycidae

[ Vai alla paginaVai alla pagina: 1, 2 ]



20.V.2013 - DANIMARCA - EE
Coleoptera

Marco Ferrante

18

3703

25/05/2013, 2:08

Marco Ferrante Vedi ultimo messaggio

Nessun messaggio da leggere
Allegato(i) Dettagli della specie
Agapanthia (Epoptes) sicula malmerendii Sama, 1981
Cerambycidae


19.V.2013 - ITALIA - Campania - SA
Coleoptera

Enzo.C

2

1322

24/05/2013, 19:57

Enzo.C Vedi ultimo messaggio

Nessun messaggio da leggere
Morimus asper asper (Sulzer, 1776) - Cerambycidae
19.V.2013 - ITALIA - Toscana - FI
Allegato(i) Dettagli della specie
Morimus asper asper (Sulzer, 1776)
Cerambycidae


19.V.2013 - ITALIA - Toscana - FI
Coleoptera

archimede

11

2316

24/05/2013, 16:16

Plagionotus Vedi ultimo messaggio

Nessun messaggio da leggere
Allegato(i) Dettagli della specie
Rhagium (Rhagium) inquisitor inquisitor (Linnaeus, 1758)
Cerambycidae


24.IV.2008 - ITALIA - Umbria - PG
Coleoptera

MARIO LUNA

2

877

24/05/2013, 8:34

MARIO LUNA Vedi ultimo messaggio

Nessun messaggio da leggere
Oxymirus cursor (Linnaeus, 1758) - Cerambycidae
22.V.2013 - ITALIA - Emilia-Romagna - BO
Allegato(i) Dettagli della specie
Oxymirus cursor (Linnaeus, 1758)
Cerambycidae


22.V.2013 - ITALIA - Emilia-Romagna - BO
Coleoptera

megasoma

2

1126

23/05/2013, 19:34

megasoma Vedi ultimo messaggio

Nessun messaggio da leggere
Niphona picticornis Mulsant, 1839 - Cerambycidae
14.III.2013 - ITALIA - Lazio - RM
Allegato(i) Dettagli della specie
Niphona picticornis Mulsant, 1839
Cerambycidae

[ Vai alla paginaVai alla pagina: 1, 2 ]



14.III.2013 - ITALIA - Lazio - RM
Coleoptera

Fabio Turchetti

20

4164

23/05/2013, 19:27

Plagionotus Vedi ultimo messaggio

Nessun messaggio da leggere
Allegato(i) Dettagli della specie
Agapanthia (Epoptes) sicula malmerendii Sama, 1981
Cerambycidae


7.V.2013 - ITALIA - Puglia - BA
Coleoptera

Mimmo011

1

1417

23/05/2013, 18:28

Plagionotus Vedi ultimo messaggio

Nessun messaggio da leggere
Allegato(i) Dettagli della specie
Agapanthia (Agapanthia) cardui (Linnaeus, 1767) cf.
Cerambycidae


7.V.2013 - ITALIA - Puglia - BA
Coleoptera

Mimmo011

1

1638

23/05/2013, 18:26

Plagionotus Vedi ultimo messaggio

Nessun messaggio da leggere
Rhagium (Megarhagium) sycophanta (Schrank, 1781) - Cerambycidae
4.V.2013 - ITALIA - Emilia-Romagna - BO
Allegato(i) Dettagli della specie
Rhagium (Megarhagium) sycophanta (Schrank, 1781)
Cerambycidae


4.V.2013 - ITALIA - Emilia-Romagna - BO
Coleoptera

megasoma

6

1894

23/05/2013, 16:17

megasoma Vedi ultimo messaggio

Nessun messaggio da leggere
Morimus asper asper (Sulzer, 1776) - Cerambycidae
18.V.2013 - ITALIA - Veneto - PD
Allegato(i) Dettagli della specie
Morimus asper asper (Sulzer, 1776)
Cerambycidae


18.V.2013 - ITALIA - Veneto - PD
Coleoptera

Marketto

7

1918

23/05/2013, 15:22

Plagionotus Vedi ultimo messaggio

Nessun messaggio da leggere
Anaglyptus gibbosus (Fabricius, 1787) - Cerambycidae
25.IV.2013 - ITALIA - Lazio - FR
Allegato(i) Dettagli della specie
Anaglyptus gibbosus (Fabricius, 1787)
Cerambycidae


25.IV.2013 - ITALIA - Lazio - FR
Coleoptera

Goliathus

2

1028

22/05/2013, 23:14

Goliathus Vedi ultimo messaggio

Nessun messaggio da leggere
Pupa di Cerambycidae sp.
19.V.2013 - ITALIA - Emilia-Romagna - RA
Allegato(i)
Pupa di Cerambycidae sp.

19.V.2013 - ITALIA - Emilia-Romagna - RA
Coleoptera

marco villa

6

1409

21/05/2013, 13:52

marco villa Vedi ultimo messaggio

Nessun messaggio da leggere
Saperda scalaris scalaris (Linnaeus, 1758) - Cerambycidae
19.V.2013 - ITALIA - Friuli-Venezia Giulia - UD
Allegato(i) Dettagli della specie
Saperda scalaris scalaris (Linnaeus, 1758)
Cerambycidae


19.V.2013 - ITALIA - Friuli-Venezia Giulia - UD
Coleoptera

AleP

6

1234

20/05/2013, 14:49

aug Vedi ultimo messaggio

Nessun messaggio da leggere
Opsilia coerulescens (Scopoli, 1763) - Cerambycidae
17.V.2013 - ITALIA - Sicilia - PA
Allegato(i) Dettagli della specie
Opsilia coerulescens (Scopoli, 1763)
Cerambycidae


17.V.2013 - ITALIA - Sicilia - PA
Coleoptera

carabus

7

1148

18/05/2013, 7:20

Xylosteus Vedi ultimo messaggio

Nessun messaggio da leggere
Allegato(i) Dettagli della specie
Cortodera humeralis humeralis (Schaller, 1783)
Cerambycidae


14.V.2013 - ITALIA - Lazio - VT
Coleoptera

Andricus

3

927

16/05/2013, 19:59

Plagionotus Vedi ultimo messaggio

Nessun messaggio da leggere
Allegato(i) Dettagli della specie
Agapanthia (Epoptes) asphodeli (Latreille, 1804)
Cerambycidae


9.V.2013 - ITALIA - Sicilia - PA
Coleoptera

carabus

11

2627

15/05/2013, 20:01

Plagionotus Vedi ultimo messaggio

Nessun messaggio da leggere
Allegato(i) Dettagli della specie
Grammoptera ruficornis ruficornis (Fabricius, 1781)
Cerambycidae


14.V.2013 - ITALIA - Lazio - VT
Coleoptera

Andricus

0

734

15/05/2013, 19:57

Andricus Vedi ultimo messaggio

Nessun messaggio da leggere
Allegato(i) Dettagli della specie
Dinoptera (Dinoptera) collaris (Linnaeus, 1758)
Cerambycidae


14.V.2013 - ITALIA - Lazio - VT
Coleoptera

Andricus

0

815

15/05/2013, 19:41

Andricus Vedi ultimo messaggio

Nessun messaggio da leggere
Allegato(i) Dettagli della specie
Agapanthia (Agapanthia) cardui (Linnaeus, 1767)
Cerambycidae


14.V.2013 - ITALIA - Lazio - VT
Coleoptera

Andricus

1

1284

15/05/2013, 19:21

Andricus Vedi ultimo messaggio

Nessun messaggio da leggere
Allegato(i) Dettagli della specie
Agapanthia (Epoptes) irrorata (Fabricius, 1787)
Cerambycidae


7.V.2013 - ITALIA - Puglia - BA
Coleoptera

Mimmo011

2

1641

15/05/2013, 19:18

Mimmo011 Vedi ultimo messaggio

Nessun messaggio da leggere
Rhamnusium bicolor demaggii Tippmann, 1956 - Cerambycidae
14.V.2013 - ITALIA - Lazio - RM
Allegato(i) Dettagli della specie
Rhamnusium bicolor demaggii Tippmann, 1956
Cerambycidae


14.V.2013 - ITALIA - Lazio - RM
Coleoptera

patacchiola

1

1360

15/05/2013, 16:14

FORBIX Vedi ultimo messaggio

Visualizza ultimi argomenti:  Ordina per  Ordine:  
nuovo argomento
Vai alla pagina Precedente  1 ... 48, 49, 50, 51, 52, 53, 54 ... 103  Prossimo
Pagina 51 di 103 [ 5107 argomenti ]

Tutti gli orari sono UTC + 1 ora [ ora legale ]


Chi c’è in linea

Visitano il forum: Nessuno e 1 ospite


Legenda
Messaggi da leggere Messaggi da leggere Nessun messaggio da leggere Nessun messaggio da leggere Annuncio Annuncio
 
Specie indeterminata / discussione generica
Messaggi non letti [ Popolari ] Messaggi non letti [ Popolari ] Nessun messaggio da leggere [ Popolare ] Nessun messaggio da leggere [ Popolare ] Importante Importante
 
Specie determinata fino al genere o cf.
Messaggi non letti [ Bloccati ] Messaggi non letti [ Bloccati ] No messaggi non letti [ Bloccati ] No messaggi non letti [ Bloccati ] Argomento spostato Argomento spostato
 
Specie correttamente determinata
Permessi
Non puoi aprire nuovi argomenti
Non puoi rispondere negli argomenti
Non puoi modificare i tuoi messaggi
Non puoi cancellare i tuoi messaggi
Non puoi inviare allegati

Cerca per:
Vai a:  
cron