Benvenuto Ospite

Forum Entomologi Italiani

www.entomologiitaliani.net/forum
 
Oggi è 17/02/2026, 8:51

Tutti gli orari sono UTC + 1 ora [ ora legale ]


100%
2927 taxa correttamente determinati su 2928 presenti in archivio

Cerambycidae


[ AFROTROPICALE ] [ ANTARTICO ] [ AUSTRALASIANO ] [ NEARTICO ] [ NEOTROPICALE ] [ ORIENTALE ] [ PALEARTICO ]


nuovo argomento
Vai alla pagina Precedente  1 ... 50, 51, 52, 53, 54, 55, 56 ... 59  Prossimo
Pagina 53 di 59 [ 2928 argomenti ]
 Argomenti   Ordine   Autore   Risposte   Visite    Ultimo messaggio 
Annunci
Nessun messaggio da leggere
Allegato(i)
Incontri entomologici della Società Entomologica Italiana 2025-2026
 

Velvet Ant

0

26771

17/11/2025, 19:41

Velvet Ant Vedi ultimo messaggio

Nessun messaggio da leggere
Allegato(i)
Incontri entomologici telematici organizzati dalla Società Entomologica Italiana nel 2022 e nel 2023

[ Vai alla paginaVai alla pagina: 1, 2, 3 ]

 

Velvet Ant

44

1816295

03/03/2023, 15:55

Velvet Ant Vedi ultimo messaggio

Nessun messaggio da leggere  
Allegato(i)
Sondaggio sul declino dell'entomofauna in Italia

[ Vai alla paginaVai alla pagina: 1, 2, 3, 4 ]

 

Velvet Ant

52

2455165

22/10/2022, 19:18

Acquarius Vedi ultimo messaggio

Nessun messaggio da leggere  
Allegato(i)
Progetto: Bibliografia ragionata dei lavori entomologici nei quali sono citati reperti apparsi su FEI

[ Vai alla paginaVai alla pagina: 1, 2, 3 ]

 

Velvet Ant

33

1458042

06/07/2023, 18:31

Orotrechus Vedi ultimo messaggio

Nessun messaggio da leggere
Allegato(i)
Mimesi, il primo documentario cinematografico sull’entomologia in Italia: casting
 

mazzeip

1

1107448

28/02/2019, 20:26

mazzeip Vedi ultimo messaggio

Questo argomento è bloccato, non puoi modificare o inviare ulteriori messaggi.
Allegato(i)
ISTRUZIONI PUBBLICAZIONE NUOVI ARGOMENTI E FOTO

 
Altri Ordini di Insetti

Julodis

4

2913320

13/05/2015, 19:37

Julodis Vedi ultimo messaggio

Nessun messaggio da leggere
Allegato(i)
Limitatore giornaliero di messaggi, uno strumento utile e ormai indispensabile

[ Vai alla paginaVai alla pagina: 1 ... 14, 15, 16 ]

 

Velvet Ant

233

12897380

25/09/2014, 14:31

Inachis Vedi ultimo messaggio

Nessun messaggio da leggere  
NORME PER I COLLABORATORI DEL FORUM

 
 

Velvet Ant

0

647837

02/06/2011, 12:05

Velvet Ant Vedi ultimo messaggio

Nessun messaggio da leggere
Allegato(i)
NORME PER GLI UTENTI DEL FORUM

[ Vai alla paginaVai alla pagina: 1, 2, 3 ]



 
 

Velvet Ant

30

3574442

23/09/2014, 23:54

Maurizio Bollino Vedi ultimo messaggio

Questo argomento è bloccato, non puoi modificare o inviare ulteriori messaggi.  
Elenco delle specie italiane di Cerambycidae presenti sul forum
Cerambycidae


 
Coleoptera

Plagionotus

0

6250

22/11/2010, 22:28

Plagionotus Vedi ultimo messaggio

Nessun messaggio da leggere  
Lista degli utenti del "Forum entomologi italiani" per campi di interesse e specializzazione

 
Altri Ordini di Insetti

Velvet Ant

13

1055186

07/09/2023, 17:14

Roberto-07 Vedi ultimo messaggio

Argomenti
Nessun messaggio da leggere
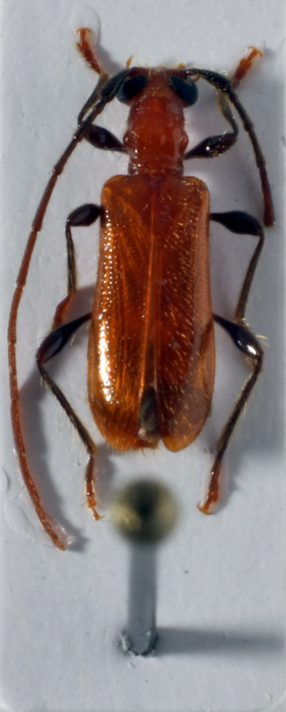
Phymatodes testaceus (Linnaeus, 1758) - Cerambycidae
24.VII.2010 - ITALIA - Emilia-Romagna - MO
Allegato(i) Dettagli della specie
Phymatodes testaceus (Linnaeus, 1758)
Cerambycidae


24.VII.2010 - ITALIA - Emilia-Romagna - MO
Coleoptera

conan

5

1459

28/07/2010, 9:49

conan Vedi ultimo messaggio

Nessun messaggio da leggere
Allegato(i) Dettagli della specie
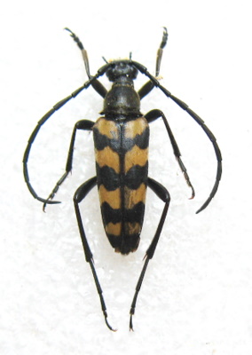
Xylotrechus (Xylotrechus) antilope antilope (Schöenherr, 1817)
Cerambycidae


24.VII.2010 - ITALIA - Emilia-Romagna - MO
Coleoptera

conan

5

1756

28/07/2010, 9:21

Isotomus Vedi ultimo messaggio

Nessun messaggio da leggere
Allegato(i) Dettagli della specie
Purpuricenus (Purpuricenus) kaehleri kaehleri (Linnaeus, 1758)
Cerambycidae


24.VII.2010 - ITALIA - Emilia-Romagna - MO
Coleoptera

conan

4

1487

28/07/2010, 8:38

Isotomus Vedi ultimo messaggio

Nessun messaggio da leggere
Allegato(i) Dettagli della specie
Trichoferus fasciculatus fasciculatus (Faldermann, 1837)
Cerambycidae


VII.2010 - ITALIA - Emilia-Romagna - BO
Coleoptera

Loriscola

2

920

27/07/2010, 18:37

Isotomus Vedi ultimo messaggio

Nessun messaggio da leggere
Allegato(i) Dettagli della specie
Trichoferus fasciculatus fasciculatus (Faldermann, 1837)
Cerambycidae


VII.2010 - ITALIA - Emilia-Romagna - BO
Coleoptera

Loriscola

2

1015

27/07/2010, 16:45

Loriscola Vedi ultimo messaggio

Nessun messaggio da leggere
Phymatodes testaceus (Linnaeus, 1758) - Cerambycidae
24.VI.2010 - ITALIA - Emilia-Romagna - MO
Allegato(i) Dettagli della specie
Phymatodes testaceus (Linnaeus, 1758)
Cerambycidae


24.VI.2010 - ITALIA - Emilia-Romagna - MO
Coleoptera

conan

4

1098

26/07/2010, 12:43

Isotomus Vedi ultimo messaggio

Nessun messaggio da leggere
Allegato(i) Dettagli della specie
Xylotrechus (Xylotrechus) antilope antilope (Schoenherr, 1817)
Cerambycidae


24.VII.2010 - ITALIA - Emilia-Romagna - MO
Coleoptera

conan

5

1311

26/07/2010, 8:40

conan Vedi ultimo messaggio

Nessun messaggio da leggere
Cortodera humeralis humeralis (Schaller, 1783) - Cerambycidae
24.VII.2010 - ITALIA - Emilia-Romagna - MO
Allegato(i) Dettagli della specie
Cortodera humeralis humeralis (Schaller, 1783)
Cerambycidae


24.VII.2010 - ITALIA - Emilia-Romagna - MO
Coleoptera

conan

5

1283

26/07/2010, 8:16

Isotomus Vedi ultimo messaggio

Nessun messaggio da leggere
Isotomus speciosus barbarae Sama, 1977 - Cerambycidae
6.VII.2010 - ITALIA - Lazio - FR
Allegato(i) Dettagli della specie
Isotomus speciosus barbarae Sama, 1977
Cerambycidae


6.VII.2010 - ITALIA - Lazio - FR
Coleoptera

Julodis

6

1976

24/07/2010, 14:08

Plagionotus Vedi ultimo messaggio

Nessun messaggio da leggere
Monochamus galloprovincialis (Olivier, 1795) - Cerambycidae
8.VII.2010 - ITALIA - Toscana - LI
Allegato(i) Dettagli della specie
Monochamus galloprovincialis (Olivier, 1795)
Cerambycidae


8.VII.2010 - ITALIA - Toscana - LI
Coleoptera

FORBIX

3

1387

24/07/2010, 13:26

FORBIX Vedi ultimo messaggio

Nessun messaggio da leggere
Saperda punctata (Linnaeus, 1767) - Cerambycidae
23.VII.2010 - ITALIA - Lazio - FR
Allegato(i) Dettagli della specie
Saperda punctata (Linnaeus, 1767)
Cerambycidae


23.VII.2010 - ITALIA - Lazio - FR
Coleoptera

Julodis

2

1260

24/07/2010, 8:16

Julodis Vedi ultimo messaggio

Nessun messaggio da leggere
Allegato(i) Dettagli della specie
Xylotrechus (Xylotrechus) antilope antilope (Schoenherr, 1817)
Cerambycidae

[ Vai alla paginaVai alla pagina: 1, 2 ]



VII.2010 - ITALIA - Emilia-Romagna - BO
Coleoptera

Loriscola

25

4842

23/07/2010, 21:56

Entomarci Vedi ultimo messaggio

Nessun messaggio da leggere
Clytus rhamni Germar, 1817 - Cerambycidae
12.VI.2010 - ITALIA - Marche - MC
Allegato(i) Dettagli della specie
Clytus rhamni Germar, 1817
Cerambycidae


12.VI.2010 - ITALIA - Marche - MC
Coleoptera

marco paglialunga

8

2459

23/07/2010, 14:01

Plagionotus Vedi ultimo messaggio

Nessun messaggio da leggere
Vesperus luridus (Rossi, 1794) - Cerambycidae
25.VIII.2009 - ITALIA - Marche - AN
Allegato(i) Dettagli della specie
Vesperus luridus (Rossi, 1794)
Cerambycidae

[ Vai alla paginaVai alla pagina: 1, 2 ]



25.VIII.2009 - ITALIA - Marche - AN
Coleoptera

StagBeetle

16

4345

23/07/2010, 7:54

Daniele Sechi Vedi ultimo messaggio

Nessun messaggio da leggere
Vesperus luridus (Rossi, 1794) - Cerambycidae
IX.2003 - ITALIA - Puglia - LE
Allegato(i) Dettagli della specie
Vesperus luridus (Rossi, 1794)
Cerambycidae


IX.2003 - ITALIA - Puglia - LE
Coleoptera

StagBeetle

10

3760

23/07/2010, 7:54

Daniele Sechi Vedi ultimo messaggio

Nessun messaggio da leggere
Allegato(i) Dettagli della specie
Xylotrechus (Xylotrechus) stebbingi Gahan, 1906
Cerambycidae


16.VII.2010 - ITALIA - Lazio - FR
Coleoptera

Julodis

13

2550

22/07/2010, 22:20

Plagionotus Vedi ultimo messaggio

Nessun messaggio da leggere
Plagionotus scalaris (Brullé, 1832) - Cerambycidae
24.V.2008 - ITALIA - Puglia - FG
Allegato(i) Dettagli della specie
Plagionotus scalaris (Brullé, 1832)
Cerambycidae


24.V.2008 - ITALIA - Puglia - FG
Coleoptera

Eopteryx

5

1624

22/07/2010, 21:43

Falconyere Vedi ultimo messaggio

Nessun messaggio da leggere
Allegato(i) Dettagli della specie
Clytus rhamni Germar, 1817
Cerambycidae

[ Vai alla paginaVai alla pagina: 1, 2 ]



ITALIA - Puglia - FG
Coleoptera

Eopteryx

18

4457

22/07/2010, 16:19

Isotomus Vedi ultimo messaggio

Nessun messaggio da leggere
Aegosoma scabricorne (Scopoli, 1763) - Cerambycidae
VII.2010 - ITALIA - Lombardia - BS
Allegato(i) Dettagli della specie
Aegosoma scabricorne (Scopoli, 1763)
Cerambycidae


VII.2010 - ITALIA - Lombardia - BS
Coleoptera

Pippistrello

12

3477

22/07/2010, 14:18

Plagionotus Vedi ultimo messaggio

Nessun messaggio da leggere
Allegato(i) Dettagli della specie
Leptura quadrifasciata quadrifasciata Linnaeus, 1758
Cerambycidae


19.VII.2010 - ITALIA - Lombardia - SO
Coleoptera

Giuseppe

2

1120

21/07/2010, 9:09

Giuseppe Vedi ultimo messaggio

Nessun messaggio da leggere
Stenocorus (Stenocorus) meridianus (Linnaeus, 1758) - Cerambycidae
19.VII.2010 - ITALIA - Lombardia - SO
Allegato(i) Dettagli della specie
Stenocorus (Stenocorus) meridianus (Linnaeus, 1758)
Cerambycidae


19.VII.2010 - ITALIA - Lombardia - SO
Coleoptera

Giuseppe

0

940

20/07/2010, 10:56

Giuseppe Vedi ultimo messaggio

Nessun messaggio da leggere
Clytus arietis arietis (Linnaeus, 1758) - Cerambycidae
11.VII.2010 - ITALIA - Trentino-Alto Adige - TN
Allegato(i) Dettagli della specie
Clytus arietis arietis (Linnaeus, 1758)
Cerambycidae


11.VII.2010 - ITALIA - Trentino-Alto Adige - TN
Coleoptera

conan

1

911

20/07/2010, 7:09

Isotomus Vedi ultimo messaggio

Nessun messaggio da leggere
Anastrangalia sanguinolenta (Linnaeus, 1760) - Cerambycidae
11.VII.2010 - ITALIA - Trentino-Alto Adige - TN
Allegato(i) Dettagli della specie
Anastrangalia sanguinolenta (Linnaeus, 1760)
Cerambycidae


11.VII.2010 - ITALIA - Trentino-Alto Adige - TN
Coleoptera

conan

1

1110

20/07/2010, 7:08

Isotomus Vedi ultimo messaggio

Nessun messaggio da leggere
Obrium cantharinum (Linnaeus, 1767) - Cerambycidae
20.VII.2010 - ITALIA - Abruzzo - PE
Allegato(i) Dettagli della specie
Obrium cantharinum (Linnaeus, 1767)
Cerambycidae


20.VII.2010 - ITALIA - Abruzzo - PE
Coleoptera

conan

1

968

20/07/2010, 7:06

Isotomus Vedi ultimo messaggio

Nessun messaggio da leggere
Hesperophanes sericeus (Fabricius, 1787) - Cerambycidae
18.VII.2010 - ITALIA - Sicilia - PA
Allegato(i) Dettagli della specie
Hesperophanes sericeus (Fabricius, 1787)
Cerambycidae


18.VII.2010 - ITALIA - Sicilia - PA
Coleoptera

Skarab

2

1316

19/07/2010, 15:23

Isotomus Vedi ultimo messaggio

Nessun messaggio da leggere
Xylotrechus (Xylotrechus) stebbingi Gahan, 1906 - Cerambycidae
VII.2010 - ITALIA - Emilia-Romagna - BO
Allegato(i) Dettagli della specie
Xylotrechus (Xylotrechus) stebbingi Gahan, 1906
Cerambycidae


VII.2010 - ITALIA - Emilia-Romagna - BO
Coleoptera

Loriscola

0

730

18/07/2010, 20:04

Loriscola Vedi ultimo messaggio

Nessun messaggio da leggere
Allegato(i) Dettagli della specie
Stictoleptura cordigera cordigera (Fuessly, 1775)
Cerambycidae


18.VII.2010 - ITALIA - Lazio - RM
Coleoptera

Broc

3

1123

18/07/2010, 17:55

Isotomus Vedi ultimo messaggio

Nessun messaggio da leggere
Saperda punctata (Linnaeus, 1767) - Cerambycidae
VIII.1991 - ITALIA - Marche - PU
Allegato(i) Dettagli della specie
Saperda punctata (Linnaeus, 1767)
Cerambycidae

[ Vai alla paginaVai alla pagina: 1, 2 ]



VIII.1991 - ITALIA - Marche - PU
Coleoptera

marco paglialunga

28

4279

17/07/2010, 18:03

marco paglialunga Vedi ultimo messaggio

Questo argomento è bloccato, non puoi modificare o inviare ulteriori messaggi.
Allegato(i) Dettagli della specie
Agapanthia (Epoptes) sicula malmerendii Sama, 1981
Cerambycidae

[ Vai alla paginaVai alla pagina: 1, 2, 3 ]



ITALIA - Sardegna - NU
Coleoptera

Peibol il Sardo

32

6206

16/07/2010, 20:52

Hemerobius Vedi ultimo messaggio

Nessun messaggio da leggere
Musaria tirellii (Luigioni, 1913) - Cerambycidae
16.VI.2004 - ITALIA - Marche - PU
Allegato(i) Dettagli della specie
Musaria tirellii (Luigioni, 1913)
Cerambycidae


16.VI.2004 - ITALIA - Marche - PU
Coleoptera

Isotomus

8

3394

16/07/2010, 19:20

zerun59 Vedi ultimo messaggio

Nessun messaggio da leggere
Aegosoma scabricorne (Scopoli, 1763) - Cerambycidae
14.VII.2010 - ITALIA - Lombardia - CO
Allegato(i) Dettagli della specie
Aegosoma scabricorne (Scopoli, 1763)
Cerambycidae


14.VII.2010 - ITALIA - Lombardia - CO
Coleoptera

Giuseppe

10

3410

15/07/2010, 23:38

Julodis Vedi ultimo messaggio

Nessun messaggio da leggere
Leptura aurulenta Fabricius, 1792 - Cerambycidae
26.VI.2010 - ITALIA - Lombardia - CO
Allegato(i) Dettagli della specie
Leptura aurulenta Fabricius, 1792
Cerambycidae

[ Vai alla paginaVai alla pagina: 1, 2 ]



26.VI.2010 - ITALIA - Lombardia - CO
Coleoptera

Giuseppe

24

3782

15/07/2010, 11:08

Loriscola Vedi ultimo messaggio

Nessun messaggio da leggere
Leptura aurulenta Fabricius, 1792 - Cerambycidae
11.VII.2010 - ITALIA - Emilia-Romagna - BO
Allegato(i) Dettagli della specie
Leptura aurulenta Fabricius, 1792
Cerambycidae


11.VII.2010 - ITALIA - Emilia-Romagna - BO
Coleoptera

Loriscola

6

1312

14/07/2010, 23:39

Julodis Vedi ultimo messaggio

Nessun messaggio da leggere
Brachyta interrogationis (Linnaeus, 1758) - Cerambycidae
10.VII.2010 - ITALIA - Piemonte - CN
Allegato(i) Dettagli della specie
Brachyta interrogationis (Linnaeus, 1758)
Cerambycidae


10.VII.2010 - ITALIA - Piemonte - CN
Coleoptera

Ric

2

1033

14/07/2010, 20:44

Isotomus Vedi ultimo messaggio

Nessun messaggio da leggere  
Dettagli della specie
Xylotrechus (Xylotrechus) arvicola (Olivier, 1795)
Cerambycidae


14.VII.2010 - ITALIA - Lazio - VT
Coleoptera

Andricus

1

778

14/07/2010, 13:05

jaho Vedi ultimo messaggio

Nessun messaggio da leggere
Brachyta interrogationis (Linnaeus, 1758) - Cerambycidae
10.VII.2010 - ITALIA - Piemonte - CN
Allegato(i) Dettagli della specie
Brachyta interrogationis (Linnaeus, 1758)
Cerambycidae


10.VII.2010 - ITALIA - Piemonte - CN
Coleoptera

Ric

3

1312

14/07/2010, 11:10

Ric Vedi ultimo messaggio

Nessun messaggio da leggere
Anastrangalia dubia dubia (Scopoli, 1763) - Cerambycidae
VII.2010 - ITALIA - Emilia-Romagna - BO
Allegato(i) Dettagli della specie
Anastrangalia dubia dubia (Scopoli, 1763)
Cerambycidae


VII.2010 - ITALIA - Emilia-Romagna - BO
Coleoptera

Loriscola

7

1764

13/07/2010, 12:46

Isotomus Vedi ultimo messaggio

Nessun messaggio da leggere
Obrium cantharinum (Linnaeus, 1767) - Cerambycidae
VII.2010 - ITALIA - Emilia-Romagna - BO
Allegato(i) Dettagli della specie
Obrium cantharinum (Linnaeus, 1767)
Cerambycidae


VII.2010 - ITALIA - Emilia-Romagna - BO
Coleoptera

Loriscola

7

1527

13/07/2010, 12:23

Fumea crassiorella Vedi ultimo messaggio

Nessun messaggio da leggere
Leiopus nebulosus nebulosus (Linnaeus, 1758) - Cerambycidae
VI.2010 - ITALIA - Emilia-Romagna - BO
Allegato(i) Dettagli della specie
Leiopus nebulosus nebulosus (Linnaeus, 1758)
Cerambycidae


VI.2010 - ITALIA - Emilia-Romagna - BO
Coleoptera

Loriscola

2

868

13/07/2010, 9:30

Loriscola Vedi ultimo messaggio

Nessun messaggio da leggere
Chlorophorus varius varius (O. F. Müller, 1766) - Cerambycidae
9.VII.2010 - ITALIA - Basilicata - MT
Allegato(i) Dettagli della specie
Chlorophorus varius varius (O. F. Müller, 1766)
Cerambycidae


9.VII.2010 - ITALIA - Basilicata - MT
Coleoptera

Mimmo011

5

1545

13/07/2010, 8:29

Isotomus Vedi ultimo messaggio

Nessun messaggio da leggere
Ergates faber faber (Linnaeus, 1760) - Cerambycidae
6.VI.2010 - ITALIA - Liguria - GE
Allegato(i) Dettagli della specie
Ergates faber faber (Linnaeus, 1760)
Cerambycidae

[ Vai alla paginaVai alla pagina: 1, 2 ]



6.VI.2010 - ITALIA - Liguria - GE
Coleoptera

Pactolinus

27

4600

12/07/2010, 22:53

Pactolinus Vedi ultimo messaggio

Nessun messaggio da leggere
Aegosoma scabricorne (Scopoli, 1763) - Cerambycidae
2.VII.2010 - ITALIA - Lazio - RM
Allegato(i) Dettagli della specie
Aegosoma scabricorne (Scopoli, 1763)
Cerambycidae


2.VII.2010 - ITALIA - Lazio - RM
Coleoptera

madh

3

1371

12/07/2010, 14:59

Isotomus Vedi ultimo messaggio

Nessun messaggio da leggere
Ropalopus (Ropalopus) clavipes (Fabricius, 1775) - Cerambycidae
11.VII.2010 - ITALIA - Lombardia - CO
Allegato(i) Dettagli della specie
Ropalopus (Ropalopus) clavipes (Fabricius, 1775)
Cerambycidae


11.VII.2010 - ITALIA - Lombardia - CO
Coleoptera

Giuseppe

1

964

12/07/2010, 13:20

Isotomus Vedi ultimo messaggio

Nessun messaggio da leggere
Aegomorphus clavipes (Schrank, 1781) - Cerambycidae
24.VI.2010 - ITALIA - Lazio - RM
Allegato(i) Dettagli della specie
Aegomorphus clavipes (Schrank, 1781)
Cerambycidae


24.VI.2010 - ITALIA - Lazio - RM
Coleoptera

soken

2

1196

10/07/2010, 13:02

soken Vedi ultimo messaggio

Nessun messaggio da leggere
Herophila tristis tristis (Linnaeus, 1767) - Cerambycidae
8.VII.2010 - ITALIA - Lombardia - LC
Allegato(i) Dettagli della specie
Herophila tristis tristis (Linnaeus, 1767)
Cerambycidae


8.VII.2010 - ITALIA - Lombardia - LC
Coleoptera

Giuseppe

0

859

08/07/2010, 19:59

Giuseppe Vedi ultimo messaggio

Nessun messaggio da leggere
Nathrius brevipennis (Mulsant, 1839) - Cerambycidae
8.VII.2010 - ITALIA - Lazio - RM
Allegato(i) Dettagli della specie
Nathrius brevipennis (Mulsant, 1839)
Cerambycidae


8.VII.2010 - ITALIA - Lazio - RM
Coleoptera

Eopteryx

4

1512

08/07/2010, 16:47

Eopteryx Vedi ultimo messaggio

Nessun messaggio da leggere
Clytus arietis arietis (Linnaeus, 1758) - Cerambycidae
27.VI.2010 - ITALIA - Liguria - SV
Allegato(i) Dettagli della specie
Clytus arietis arietis (Linnaeus, 1758)
Cerambycidae


27.VI.2010 - ITALIA - Liguria - SV
Coleoptera

Ric

3

1196

06/07/2010, 15:08

Isotomus Vedi ultimo messaggio

Nessun messaggio da leggere  
Dettagli della specie
Morimus asper asper (Sulzer, 1776)
Cerambycidae

[ Vai alla paginaVai alla pagina: 1, 2 ]



ITALIA - Emilia-Romagna
Coleoptera

conan

24

4445

04/07/2010, 23:27

Maurizio Bollino Vedi ultimo messaggio

Nessun messaggio da leggere
Trichoferus holosericeus (Rossi, 1790) - Cerambycidae
VII.2010 - ITALIA - Lombardia - BG
Allegato(i) Dettagli della specie
Trichoferus holosericeus (Rossi, 1790)
Cerambycidae


VII.2010 - ITALIA - Lombardia - BG
Coleoptera

Pippistrello

5

1663

04/07/2010, 22:27

Pippistrello Vedi ultimo messaggio

Nessun messaggio da leggere
Allegato(i) Dettagli della specie
Agapanthia (Epoptes) irrorata (Fabricius, 1787)
Cerambycidae


3.VII.2010 - ITALIA - Sicilia - PA
Coleoptera

carabus

1

1268

04/07/2010, 22:03

Falconyere Vedi ultimo messaggio

Visualizza ultimi argomenti:  Ordina per  Ordine:  
nuovo argomento
Vai alla pagina Precedente  1 ... 50, 51, 52, 53, 54, 55, 56 ... 59  Prossimo
Pagina 53 di 59 [ 2928 argomenti ]

Tutti gli orari sono UTC + 1 ora [ ora legale ]


Chi c’è in linea

Visitano il forum: Nessuno e 1 ospite


Legenda
Messaggi da leggere Messaggi da leggere Nessun messaggio da leggere Nessun messaggio da leggere Annuncio Annuncio
 
Specie indeterminata / discussione generica
Messaggi non letti [ Popolari ] Messaggi non letti [ Popolari ] Nessun messaggio da leggere [ Popolare ] Nessun messaggio da leggere [ Popolare ] Importante Importante
 
Specie determinata fino al genere o cf.
Messaggi non letti [ Bloccati ] Messaggi non letti [ Bloccati ] No messaggi non letti [ Bloccati ] No messaggi non letti [ Bloccati ] Argomento spostato Argomento spostato
 
Specie correttamente determinata
Permessi
Non puoi aprire nuovi argomenti
Non puoi rispondere negli argomenti
Non puoi modificare i tuoi messaggi
Non puoi cancellare i tuoi messaggi
Non puoi inviare allegati

Cerca per:
Vai a: