Benvenuto Ospite

Forum Entomologi Italiani

www.entomologiitaliani.net/forum
 
Oggi è 23/12/2025, 12:57

Tutti gli orari sono UTC + 1 ora [ ora legale ]


100%
2927 taxa correttamente determinati su 2928 presenti in archivio

Cerambycidae


[ AFROTROPICALE ] [ ANTARTICO ] [ AUSTRALASIANO ] [ NEARTICO ] [ NEOTROPICALE ] [ ORIENTALE ] [ PALEARTICO ]


nuovo argomento
Vai alla pagina Precedente  1 ... 51, 52, 53, 54, 55, 56, 57 ... 59  Prossimo
Pagina 54 di 59 [ 2928 argomenti ]
 Argomenti   Ordine   Autore   Risposte   Visite    Ultimo messaggio 
Annunci
Nessun messaggio da leggere
Allegato(i)
Incontri entomologici della Società Entomologica Italiana 2025-2026
 

Velvet Ant

0

13895

17/11/2025, 19:41

Velvet Ant Vedi ultimo messaggio

Nessun messaggio da leggere
Allegato(i)
Incontri entomologici telematici organizzati dalla Società Entomologica Italiana nel 2022 e nel 2023

[ Vai alla paginaVai alla pagina: 1, 2, 3 ]

 

Velvet Ant

44

1698992

03/03/2023, 15:55

Velvet Ant Vedi ultimo messaggio

Nessun messaggio da leggere  
Allegato(i)
Sondaggio sul declino dell'entomofauna in Italia

[ Vai alla paginaVai alla pagina: 1, 2, 3, 4 ]

 

Velvet Ant

52

2322743

22/10/2022, 19:18

Acquarius Vedi ultimo messaggio

Nessun messaggio da leggere  
Allegato(i)
Progetto: Bibliografia ragionata dei lavori entomologici nei quali sono citati reperti apparsi su FEI

[ Vai alla paginaVai alla pagina: 1, 2, 3 ]

 

Velvet Ant

33

1364243

06/07/2023, 18:31

Orotrechus Vedi ultimo messaggio

Nessun messaggio da leggere
Allegato(i)
Mimesi, il primo documentario cinematografico sull’entomologia in Italia: casting
 

mazzeip

1

1088118

28/02/2019, 20:26

mazzeip Vedi ultimo messaggio

Questo argomento è bloccato, non puoi modificare o inviare ulteriori messaggi.
Allegato(i)
ISTRUZIONI PUBBLICAZIONE NUOVI ARGOMENTI E FOTO

 
Altri Ordini di Insetti

Julodis

4

2886475

13/05/2015, 19:37

Julodis Vedi ultimo messaggio

Nessun messaggio da leggere
Allegato(i)
Limitatore giornaliero di messaggi, uno strumento utile e ormai indispensabile

[ Vai alla paginaVai alla pagina: 1 ... 14, 15, 16 ]

 

Velvet Ant

233

12424030

25/09/2014, 14:31

Inachis Vedi ultimo messaggio

Nessun messaggio da leggere  
NORME PER I COLLABORATORI DEL FORUM

 
 

Velvet Ant

0

633098

02/06/2011, 12:05

Velvet Ant Vedi ultimo messaggio

Nessun messaggio da leggere
Allegato(i)
NORME PER GLI UTENTI DEL FORUM

[ Vai alla paginaVai alla pagina: 1, 2, 3 ]



 
 

Velvet Ant

30

3482372

23/09/2014, 23:54

Maurizio Bollino Vedi ultimo messaggio

Questo argomento è bloccato, non puoi modificare o inviare ulteriori messaggi.  
Elenco delle specie italiane di Cerambycidae presenti sul forum
Cerambycidae


 
Coleoptera

Plagionotus

0

6117

22/11/2010, 22:28

Plagionotus Vedi ultimo messaggio

Nessun messaggio da leggere  
Lista degli utenti del "Forum entomologi italiani" per campi di interesse e specializzazione

 
Altri Ordini di Insetti

Velvet Ant

13

1008744

07/09/2023, 17:14

Roberto-07 Vedi ultimo messaggio

Argomenti
Nessun messaggio da leggere
Xylotrechus (Xylotrechus) stebbingi Gahan, 1906 - Cerambycidae
4.VII.2010 - ITALIA - Lombardia - LC
Allegato(i) Dettagli della specie
Xylotrechus (Xylotrechus) stebbingi Gahan, 1906
Cerambycidae


4.VII.2010 - ITALIA - Lombardia - LC
Coleoptera

Giuseppe

0

821

04/07/2010, 20:12

Giuseppe Vedi ultimo messaggio

Nessun messaggio da leggere
Allegato(i) Dettagli della specie
Trichoferus fasciculatus fasciculatus (Faldermann, 1837)
Cerambycidae


2.VII.2010 - ITALIA - Puglia - LE
Coleoptera

Pippistrello

1

803

04/07/2010, 7:01

Trichoferus Vedi ultimo messaggio

Nessun messaggio da leggere
Cerambyx welensii (Küster, 1845) - Cerambycidae
2.VII.2010 - ITALIA - Lazio - RM
Allegato(i) Dettagli della specie
Cerambyx welensii (Küster, 1845)
Cerambycidae


2.VII.2010 - ITALIA - Lazio - RM
Coleoptera

madh

9

1887

03/07/2010, 18:38

Julodis Vedi ultimo messaggio

Nessun messaggio da leggere
Prionus coriarius (Linnaeus, 1758) - Cerambycidae
2.VII.2010 - ITALIA - Lazio - RM
Allegato(i) Dettagli della specie
Prionus coriarius (Linnaeus, 1758)
Cerambycidae


2.VII.2010 - ITALIA - Lazio - RM
Coleoptera

madh

1

979

03/07/2010, 13:22

Diablo Vedi ultimo messaggio

Nessun messaggio da leggere
Oberea (Oberea) oculata (Linnaeus, 1758) - Cerambycidae
1.VII.2010 - ITALIA - Lombardia - LC
Allegato(i) Dettagli della specie
Oberea (Oberea) oculata (Linnaeus, 1758)
Cerambycidae


1.VII.2010 - ITALIA - Lombardia - LC
Coleoptera

Giuseppe

2

1186

02/07/2010, 15:58

Giuseppe Vedi ultimo messaggio

Nessun messaggio da leggere
Allegato(i) Dettagli della specie
Clytus triangulimacula Costa, 1847
Cerambycidae


ITALIA - Puglia - FG
Coleoptera

Eopteryx

0

1077

30/06/2010, 21:18

Eopteryx Vedi ultimo messaggio

Nessun messaggio da leggere
Chlorophorus sartor (O. F. Müller, 1766) - Cerambycidae
25.VI.2010 - ITALIA - Sicilia - PA
Allegato(i) Dettagli della specie
Chlorophorus sartor (O. F. Müller, 1766)
Cerambycidae


25.VI.2010 - ITALIA - Sicilia - PA
Coleoptera

Skarab

4

1417

30/06/2010, 16:06

Plagionotus Vedi ultimo messaggio

Nessun messaggio da leggere
Agapanthia (Agapanthia) cardui (Linnaeus, 1767) - Cerambycidae
29.VI.2010 - ITALIA - Piemonte - TO
Allegato(i) Dettagli della specie
Agapanthia (Agapanthia) cardui (Linnaeus, 1767)
Cerambycidae


29.VI.2010 - ITALIA - Piemonte - TO
Coleoptera

Gremu

3

1739

29/06/2010, 22:49

Plagionotus Vedi ultimo messaggio

Nessun messaggio da leggere
Allegato(i) Dettagli della specie
Agapanthia (Epoptes) sicula malmerendii Sama, 1981
Cerambycidae


27.VI.2010 - ITALIA - Sardegna - OR
Coleoptera

Fumea crassiorella

2

1517

28/06/2010, 17:17

Fumea crassiorella Vedi ultimo messaggio

Nessun messaggio da leggere
Stenopterus ater (Linnaeus, 1767) - Cerambycidae
21.VI.2010 - ITALIA - Sicilia - PA
Allegato(i) Dettagli della specie
Stenopterus ater (Linnaeus, 1767)
Cerambycidae


21.VI.2010 - ITALIA - Sicilia - PA
Coleoptera

carabus

10

2289

26/06/2010, 21:50

jaho Vedi ultimo messaggio

Nessun messaggio da leggere
Clytus rhamni Germar, 1817 - Cerambycidae
23.VI.2010 - ITALIA - Toscana - LI
Allegato(i) Dettagli della specie
Clytus rhamni Germar, 1817
Cerambycidae


23.VI.2010 - ITALIA - Toscana - LI
Coleoptera

FORBIX

2

928

26/06/2010, 20:43

Julodis Vedi ultimo messaggio

Nessun messaggio da leggere
Chlorophorus sartor (O. F. Müller, 1766) - Cerambycidae
23.VI.2010 - ITALIA - Toscana - LI
Allegato(i) Dettagli della specie
Chlorophorus sartor (O. F. Müller, 1766)
Cerambycidae


23.VI.2010 - ITALIA - Toscana - LI
Coleoptera

FORBIX

1

915

26/06/2010, 20:03

Plagionotus Vedi ultimo messaggio

Nessun messaggio da leggere
Allegato(i) Dettagli della specie
Purpuricenus (Purpuricenus) kaehleri kaehleri (Linnaeus, 1758)
Cerambycidae


26.VI.2010 - ITALIA - Lazio - RM
Coleoptera

madh

5

1894

26/06/2010, 19:38

Plagionotus Vedi ultimo messaggio

Nessun messaggio da leggere
Callidium violaceum (Linnaeus, 1758) - Cerambycidae
13.VI.2010 - ITALIA - Veneto - BL
Allegato(i) Dettagli della specie
Callidium violaceum (Linnaeus, 1758)
Cerambycidae


13.VI.2010 - ITALIA - Veneto - BL
Coleoptera

Maw89

2

1098

26/06/2010, 13:50

Maw89 Vedi ultimo messaggio

Nessun messaggio da leggere
Neoclytus acuminatus (Fabricius, 1775) - Cerambycidae
12.VI.2010 - ITALIA - Veneto - BL
Allegato(i) Dettagli della specie
Neoclytus acuminatus (Fabricius, 1775)
Cerambycidae


12.VI.2010 - ITALIA - Veneto - BL
Coleoptera

Maw89

0

1286

26/06/2010, 13:36

Maw89 Vedi ultimo messaggio

Nessun messaggio da leggere
Allegato(i) Dettagli della specie
Agapanthia (Epoptes) asphodeli (Latreille, 1804)
Cerambycidae


17.IV.2008 - ITALIA - Toscana - LI
Coleoptera

FORBIX

6

2631

25/06/2010, 21:34

FORBIX Vedi ultimo messaggio

Nessun messaggio da leggere
Allegato(i) Dettagli della specie
Agapanthia (Agapanthia) cardui (Linnaeus, 1767)
Cerambycidae


VI.2010 - ITALIA - Marche - MC
Coleoptera

marco paglialunga

4

1947

25/06/2010, 10:50

Plagionotus Vedi ultimo messaggio

Nessun messaggio da leggere
Cortodera holosericea (Fabricius, 1801) - Cerambycidae
12.VI.2010 - ITALIA - Marche - MC
Allegato(i) Dettagli della specie
Cortodera holosericea (Fabricius, 1801)
Cerambycidae


12.VI.2010 - ITALIA - Marche - MC
Coleoptera

marco paglialunga

1

1160

25/06/2010, 0:46

Velvet Ant Vedi ultimo messaggio

Nessun messaggio da leggere
Stenopterus ater (Linnaeus, 1767) - Cerambycidae
22.VI.2010 - ITALIA - Sardegna - CA
Allegato(i) Dettagli della specie
Stenopterus ater (Linnaeus, 1767)
Cerambycidae


22.VI.2010 - ITALIA - Sardegna - CA
Coleoptera

Fumea crassiorella

3

1313

24/06/2010, 10:40

Plagionotus Vedi ultimo messaggio

Nessun messaggio da leggere
Anaglyptus gibbosus (Fabricius, 1787) - Cerambycidae
VI.2010 - ITALIA - Emilia-Romagna - BO
Allegato(i) Dettagli della specie
Anaglyptus gibbosus (Fabricius, 1787)
Cerambycidae


VI.2010 - ITALIA - Emilia-Romagna - BO
Coleoptera

Loriscola

11

2661

24/06/2010, 8:31

Loriscola Vedi ultimo messaggio

Nessun messaggio da leggere
Allegato(i) Dettagli della specie
Agapanthia (Epoptes) sicula malmerendii Sama, 1981
Cerambycidae


17.VI.2010 - ITALIA - Abruzzo - CH
Coleoptera

Giuseppe

4

1745

23/06/2010, 0:34

Giuseppe Vedi ultimo messaggio

Nessun messaggio da leggere
Allegato(i) Dettagli della specie
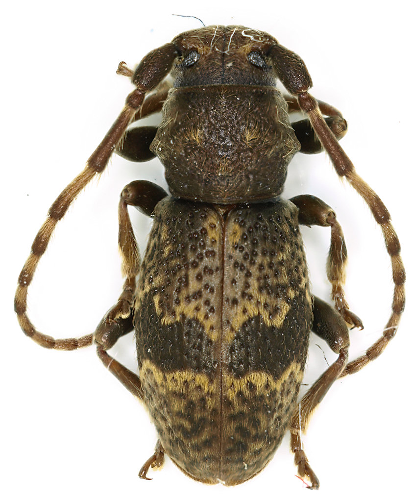
Dorcadion (Pedestredorcadion) etruscum (Rossi, 1790)
Cerambycidae


17.VI.2010 - ITALIA - Abruzzo - CH
Coleoptera

Giuseppe

4

1408

22/06/2010, 16:40

Plagionotus Vedi ultimo messaggio

Nessun messaggio da leggere
Parmena solieri Mulsant, 1839 - Cerambycidae
24.XII.2008 - ITALIA - Toscana - LI
Allegato(i) Dettagli della specie
Parmena solieri Mulsant, 1839
Cerambycidae


24.XII.2008 - ITALIA - Toscana - LI
Coleoptera

FORBIX

14

2901

22/06/2010, 13:37

Plagionotus Vedi ultimo messaggio

Nessun messaggio da leggere
Allegato(i) Dettagli della specie
Xylotrechus (Xylotrechus) stebbingi Gahan, 1906
Cerambycidae


17.VI.2010 - ITALIA - Veneto - BL
Coleoptera

Maw89

2

1009

22/06/2010, 13:32

Plagionotus Vedi ultimo messaggio

Nessun messaggio da leggere
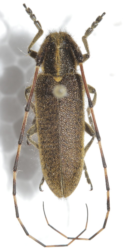
Gracilia minuta (Fabricius, 1781) - Cerambycidae
5.VI.2010 - ITALIA - Lazio - RM
Allegato(i) Dettagli della specie
Gracilia minuta (Fabricius, 1781)
Cerambycidae


5.VI.2010 - ITALIA - Lazio - RM
Coleoptera

Julodis

0

750

22/06/2010, 0:01

Julodis Vedi ultimo messaggio

Nessun messaggio da leggere
Allegato(i) Dettagli della specie
Dorcadion (Pedestredorcadion) arenarium marsicanum Fracassi, 1905
Cerambycidae


29.V.2010 - ITALIA - Lazio - RM
Coleoptera

Julodis

12

2272

21/06/2010, 23:47

Julodis Vedi ultimo messaggio

Nessun messaggio da leggere
Parmena unifasciata (Rossi, 1790) - Cerambycidae
20.I.2008 - ITALIA - Toscana - LI
Allegato(i) Dettagli della specie
Parmena unifasciata (Rossi, 1790)
Cerambycidae


20.I.2008 - ITALIA - Toscana - LI
Coleoptera

FORBIX

5

1397

21/06/2010, 20:17

Plagionotus Vedi ultimo messaggio

Nessun messaggio da leggere
Allegato(i) Dettagli della specie
Dorcadion (Pedestredorcadion) arenarium marsicanum Fracassi, 1905
Cerambycidae


6.VI.2010 - ITALIA - Lazio - RM
Coleoptera

Julodis

7

1671

21/06/2010, 19:35

Julodis Vedi ultimo messaggio

Nessun messaggio da leggere
Opsilia coerulescens (Scopoli, 1763) - Cerambycidae
19.VI.2010 - ITALIA - Lazio - FR
Allegato(i) Dettagli della specie
Opsilia coerulescens (Scopoli, 1763)
Cerambycidae


19.VI.2010 - ITALIA - Lazio - FR
Coleoptera

Julodis

5

1277

21/06/2010, 13:51

Plagionotus Vedi ultimo messaggio

Nessun messaggio da leggere
Allegato(i) Dettagli della specie
Dorcadion (Pedestredorcadion) arenarium marsicanum Fracassi, 1905
Cerambycidae


12.VI.2010 - ITALIA - Marche - MC
Coleoptera

StagBeetle

2

881

20/06/2010, 12:24

Plagionotus Vedi ultimo messaggio

Nessun messaggio da leggere
Phytoecia virgula (Charpentier, 1825) - Cerambycidae
18.VI.2010 - ITALIA - Sicilia - PA
Allegato(i) Dettagli della specie
Phytoecia virgula (Charpentier, 1825)
Cerambycidae


18.VI.2010 - ITALIA - Sicilia - PA
Coleoptera

carabus

2

850

19/06/2010, 0:36

conan Vedi ultimo messaggio

Nessun messaggio da leggere
Stenopterus ater (Linnaeus, 1767) - Cerambycidae
17.VI.2010 - ITALIA - Sardegna - CA
Allegato(i) Dettagli della specie
Stenopterus ater (Linnaeus, 1767)
Cerambycidae


17.VI.2010 - ITALIA - Sardegna - CA
Coleoptera

PierFrancescoMurgia

8

1914

18/06/2010, 21:23

Plagionotus Vedi ultimo messaggio

Nessun messaggio da leggere
Pachytodes erraticus erraticus (Dalman, 1817) - Cerambycidae
18.VI.2010 - ITALIA - Sicilia - PA
Allegato(i) Dettagli della specie
Pachytodes erraticus erraticus (Dalman, 1817)
Cerambycidae


18.VI.2010 - ITALIA - Sicilia - PA
Coleoptera

carabus

1

765

18/06/2010, 21:10

Plagionotus Vedi ultimo messaggio

Nessun messaggio da leggere
Penichroa fasciata (Stephens, 1831) - Cerambycidae
17.VI.2010 - ITALIA - Sardegna - CA
Allegato(i) Dettagli della specie
Penichroa fasciata (Stephens, 1831)
Cerambycidae


17.VI.2010 - ITALIA - Sardegna - CA
Coleoptera

PierFrancescoMurgia

4

1068

18/06/2010, 10:46

Velvet Ant Vedi ultimo messaggio

Nessun messaggio da leggere
Allegato(i) Dettagli della specie
Anaesthetis testacea testacea (Fabricius, 1781)
Cerambycidae


15.VI.2010 - ITALIA - Toscana - LI
Coleoptera

FORBIX

9

2062

17/06/2010, 0:17

FORBIX Vedi ultimo messaggio

Nessun messaggio da leggere
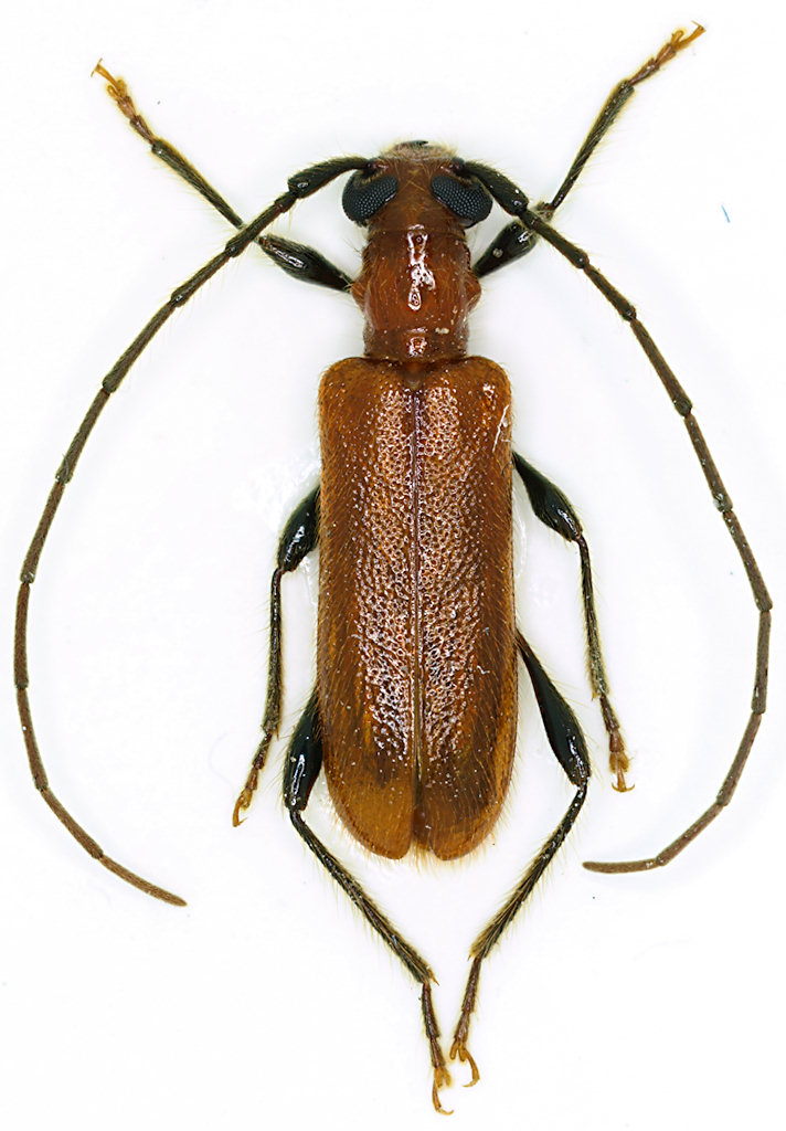
Saperda scalaris scalaris (Linnaeus, 1758) - Cerambycidae
13.VI.2010 - ITALIA - Umbria - PG
Allegato(i) Dettagli della specie
Saperda scalaris scalaris (Linnaeus, 1758)
Cerambycidae


13.VI.2010 - ITALIA - Umbria - PG
Coleoptera

madh

3

1187

15/06/2010, 22:27

madh Vedi ultimo messaggio

Nessun messaggio da leggere
Deilus fugax (Olivier, 1790) - Cerambycidae
7.VI.2010 - ITALIA - Toscana - LI
Allegato(i) Dettagli della specie
Deilus fugax (Olivier, 1790)
Cerambycidae


7.VI.2010 - ITALIA - Toscana - LI
Coleoptera

FORBIX

2

882

14/06/2010, 21:19

FORBIX Vedi ultimo messaggio

Nessun messaggio da leggere
Allegato(i) Dettagli della specie
Agapanthia (Epoptes) sicula malmerendii Sama, 1981
Cerambycidae


13.VI.2010 - ITALIA - Sardegna - SS
Coleoptera

Mauro

4

1408

14/06/2010, 19:19

Hemerobius Vedi ultimo messaggio

Nessun messaggio da leggere
Exocentrus adspersus Mulsant, 1846 - Cerambycidae
V.2010 - ITALIA - Emilia-Romagna - BO
Allegato(i) Dettagli della specie
Exocentrus adspersus Mulsant, 1846
Cerambycidae


V.2010 - ITALIA - Emilia-Romagna - BO
Coleoptera

Loriscola

9

1984

14/06/2010, 18:59

Entomarci Vedi ultimo messaggio

Nessun messaggio da leggere
Chlorophorus sartor (O. F. Müller, 1766) - Cerambycidae
13.VI.2010 - ITALIA - Sicilia - PA
Allegato(i) Dettagli della specie
Chlorophorus sartor (O. F. Müller, 1766)
Cerambycidae


13.VI.2010 - ITALIA - Sicilia - PA
Coleoptera

carabus

0

883

14/06/2010, 14:33

carabus Vedi ultimo messaggio

Nessun messaggio da leggere
Allegato(i) Dettagli della specie
Anoplodera (Anoplodera) sexguttata (Fabricius, 1775)
Cerambycidae


13.VI.2009 - ITALIA - Veneto - VI
Coleoptera

Apoderus

5

1724

12/06/2010, 18:24

Apoderus Vedi ultimo messaggio

Nessun messaggio da leggere
Obrium cantharinum (Linnaeus, 1767) - Cerambycidae
8.VI.2010 - ITALIA - Lazio - RM
Allegato(i) Dettagli della specie
Obrium cantharinum (Linnaeus, 1767)
Cerambycidae


8.VI.2010 - ITALIA - Lazio - RM
Coleoptera

Julodis

10

2519

11/06/2010, 9:36

Plagionotus Vedi ultimo messaggio

Nessun messaggio da leggere
Penichroa fasciata (Stephens, 1831) - Cerambycidae
9.VI.2010 - ITALIA - Sicilia - PA
Allegato(i) Dettagli della specie
Penichroa fasciata (Stephens, 1831)
Cerambycidae


9.VI.2010 - ITALIA - Sicilia - PA
Coleoptera

carabus

1

1068

09/06/2010, 18:19

Velvet Ant Vedi ultimo messaggio

Nessun messaggio da leggere
Phoracantha recurva Newman, 1840 - Cerambycidae
V.2010 - ITALIA - Lazio - RM
Allegato(i) Dettagli della specie
Phoracantha recurva Newman, 1840
Cerambycidae


V.2010 - ITALIA - Lazio - RM
Coleoptera

Julodis

0

937

09/06/2010, 0:48

Julodis Vedi ultimo messaggio

Nessun messaggio da leggere
Allegato(i) Dettagli della specie
Dorcadion (Pedestredorcadion) etruscum (Rossi, 1790)
Cerambycidae


15.V.2010 - ITALIA - Calabria - CS
Coleoptera

Andrea Pergine

2

932

08/06/2010, 22:24

Andrea Pergine Vedi ultimo messaggio

Nessun messaggio da leggere
Parmena unifasciata (Rossi, 1790) - Cerambycidae
2.I.2010 - ITALIA - Lazio - RI
Allegato(i) Dettagli della specie
Parmena unifasciata (Rossi, 1790)
Cerambycidae


2.I.2010 - ITALIA - Lazio - RI
Coleoptera

Julodis

2

881

08/06/2010, 7:21

Julodis Vedi ultimo messaggio

Nessun messaggio da leggere
Cerambyx scopolii scopolii Fuessly, 1775 - Cerambycidae
22.V.2010 - ITALIA - Emilia-Romagna - MO
Allegato(i) Dettagli della specie
Cerambyx scopolii scopolii Fuessly, 1775
Cerambycidae

[ Vai alla paginaVai alla pagina: 1, 2 ]



22.V.2010 - ITALIA - Emilia-Romagna - MO
Coleoptera

conan

15

3769

07/06/2010, 13:02

Plagionotus Vedi ultimo messaggio

Nessun messaggio da leggere
Niphona picticornis Mulsant, 1839 - Cerambycidae
2.I.2010 - ITALIA - Lazio - RI
Allegato(i) Dettagli della specie
Niphona picticornis Mulsant, 1839
Cerambycidae


2.I.2010 - ITALIA - Lazio - RI
Coleoptera

Julodis

0

1103

07/06/2010, 0:44

Julodis Vedi ultimo messaggio

Nessun messaggio da leggere
Allegato(i) Dettagli della specie
Agapanthia (Epoptes) sicula malmerendii Sama, 1981
Cerambycidae

[ Vai alla paginaVai alla pagina: 1, 2, 3 ]



III.2010 - ITALIA - Marche - MC
Coleoptera

marco paglialunga

33

6333

03/06/2010, 19:08

Plagionotus Vedi ultimo messaggio

Nessun messaggio da leggere
Plagionotus arcuatus (Linnaeus, 1758) - Cerambycidae
1.V.2010 - ITALIA - Marche - PU
Allegato(i) Dettagli della specie
Plagionotus arcuatus (Linnaeus, 1758)
Cerambycidae


1.V.2010 - ITALIA - Marche - PU
Coleoptera

marco paglialunga

6

2183

03/06/2010, 19:02

Plagionotus Vedi ultimo messaggio

Visualizza ultimi argomenti:  Ordina per  Ordine:  
nuovo argomento
Vai alla pagina Precedente  1 ... 51, 52, 53, 54, 55, 56, 57 ... 59  Prossimo
Pagina 54 di 59 [ 2928 argomenti ]

Tutti gli orari sono UTC + 1 ora [ ora legale ]


Chi c’è in linea

Visitano il forum: Nessuno e 1 ospite


Legenda
Messaggi da leggere Messaggi da leggere Nessun messaggio da leggere Nessun messaggio da leggere Annuncio Annuncio
 
Specie indeterminata / discussione generica
Messaggi non letti [ Popolari ] Messaggi non letti [ Popolari ] Nessun messaggio da leggere [ Popolare ] Nessun messaggio da leggere [ Popolare ] Importante Importante
 
Specie determinata fino al genere o cf.
Messaggi non letti [ Bloccati ] Messaggi non letti [ Bloccati ] No messaggi non letti [ Bloccati ] No messaggi non letti [ Bloccati ] Argomento spostato Argomento spostato
 
Specie correttamente determinata
Permessi
Non puoi aprire nuovi argomenti
Non puoi rispondere negli argomenti
Non puoi modificare i tuoi messaggi
Non puoi cancellare i tuoi messaggi
Non puoi inviare allegati

Cerca per:
Vai a: