Benvenuto Ospite

Forum Entomologi Italiani

www.entomologiitaliani.net/forum
 
Oggi è 17/02/2026, 6:30

Tutti gli orari sono UTC + 1 ora [ ora legale ]


100%
2927 taxa correttamente determinati su 2928 presenti in archivio

Cerambycidae


[ AFROTROPICALE ] [ ANTARTICO ] [ AUSTRALASIANO ] [ NEARTICO ] [ NEOTROPICALE ] [ ORIENTALE ] [ PALEARTICO ]


nuovo argomento
Vai alla pagina Precedente  1 ... 53, 54, 55, 56, 57, 58, 59  Prossimo
Pagina 56 di 59 [ 2928 argomenti ]
 Argomenti   Ordine   Autore   Risposte   Visite    Ultimo messaggio 
Annunci
Nessun messaggio da leggere
Allegato(i)
Incontri entomologici della Società Entomologica Italiana 2025-2026
 

Velvet Ant

0

26720

17/11/2025, 19:41

Velvet Ant Vedi ultimo messaggio

Nessun messaggio da leggere
Allegato(i)
Incontri entomologici telematici organizzati dalla Società Entomologica Italiana nel 2022 e nel 2023

[ Vai alla paginaVai alla pagina: 1, 2, 3 ]

 

Velvet Ant

44

1815692

03/03/2023, 15:55

Velvet Ant Vedi ultimo messaggio

Nessun messaggio da leggere  
Allegato(i)
Sondaggio sul declino dell'entomofauna in Italia

[ Vai alla paginaVai alla pagina: 1, 2, 3, 4 ]

 

Velvet Ant

52

2454492

22/10/2022, 19:18

Acquarius Vedi ultimo messaggio

Nessun messaggio da leggere  
Allegato(i)
Progetto: Bibliografia ragionata dei lavori entomologici nei quali sono citati reperti apparsi su FEI

[ Vai alla paginaVai alla pagina: 1, 2, 3 ]

 

Velvet Ant

33

1457592

06/07/2023, 18:31

Orotrechus Vedi ultimo messaggio

Nessun messaggio da leggere
Allegato(i)
Mimesi, il primo documentario cinematografico sull’entomologia in Italia: casting
 

mazzeip

1

1107344

28/02/2019, 20:26

mazzeip Vedi ultimo messaggio

Questo argomento è bloccato, non puoi modificare o inviare ulteriori messaggi.
Allegato(i)
ISTRUZIONI PUBBLICAZIONE NUOVI ARGOMENTI E FOTO

 
Altri Ordini di Insetti

Julodis

4

2913190

13/05/2015, 19:37

Julodis Vedi ultimo messaggio

Nessun messaggio da leggere
Allegato(i)
Limitatore giornaliero di messaggi, uno strumento utile e ormai indispensabile

[ Vai alla paginaVai alla pagina: 1 ... 14, 15, 16 ]

 

Velvet Ant

233

12894521

25/09/2014, 14:31

Inachis Vedi ultimo messaggio

Nessun messaggio da leggere  
NORME PER I COLLABORATORI DEL FORUM

 
 

Velvet Ant

0

647775

02/06/2011, 12:05

Velvet Ant Vedi ultimo messaggio

Nessun messaggio da leggere
Allegato(i)
NORME PER GLI UTENTI DEL FORUM

[ Vai alla paginaVai alla pagina: 1, 2, 3 ]



 
 

Velvet Ant

30

3573958

23/09/2014, 23:54

Maurizio Bollino Vedi ultimo messaggio

Questo argomento è bloccato, non puoi modificare o inviare ulteriori messaggi.  
Elenco delle specie italiane di Cerambycidae presenti sul forum
Cerambycidae


 
Coleoptera

Plagionotus

0

6248

22/11/2010, 22:28

Plagionotus Vedi ultimo messaggio

Nessun messaggio da leggere  
Lista degli utenti del "Forum entomologi italiani" per campi di interesse e specializzazione

 
Altri Ordini di Insetti

Velvet Ant

13

1054931

07/09/2023, 17:14

Roberto-07 Vedi ultimo messaggio

Argomenti
Nessun messaggio da leggere
Allegato(i) Dettagli della specie
Calamobius filum (Rossi, 1790)
Cerambycidae


ITALIA - Sardegna - CA
Coleoptera

Palaemonetes

4

1249

15/04/2010, 17:43

Palaemonetes Vedi ultimo messaggio

Nessun messaggio da leggere
Allegato(i) Dettagli della specie
Dorcadion (Pedestredorcadion) etruscum (Rossi, 1790)
Cerambycidae

[ Vai alla paginaVai alla pagina: 1, 2 ]



30.III.2010 - ITALIA - Lazio - RM
Coleoptera

Julodis

27

5379

10/04/2010, 15:53

Maurizio Bollino Vedi ultimo messaggio

Nessun messaggio da leggere
Allegato(i) Dettagli della specie
Purpuricenus (Purpuricenus) globulicollis Dejean, 1839
Cerambycidae


ITALIA - Friuli-Venezia Giulia
Coleoptera

Xylosteus

6

3117

09/04/2010, 20:35

Trichoferus Vedi ultimo messaggio

Nessun messaggio da leggere
Saperda scalaris scalaris (Linnaeus, 1758) - Cerambycidae
IV.2010 - ITALIA - Emilia-Romagna - FC
Allegato(i) Dettagli della specie
Saperda scalaris scalaris (Linnaeus, 1758)
Cerambycidae


IV.2010 - ITALIA - Emilia-Romagna - FC
Coleoptera

Entomarci

12

2619

08/04/2010, 23:17

Julodis Vedi ultimo messaggio

Nessun messaggio da leggere
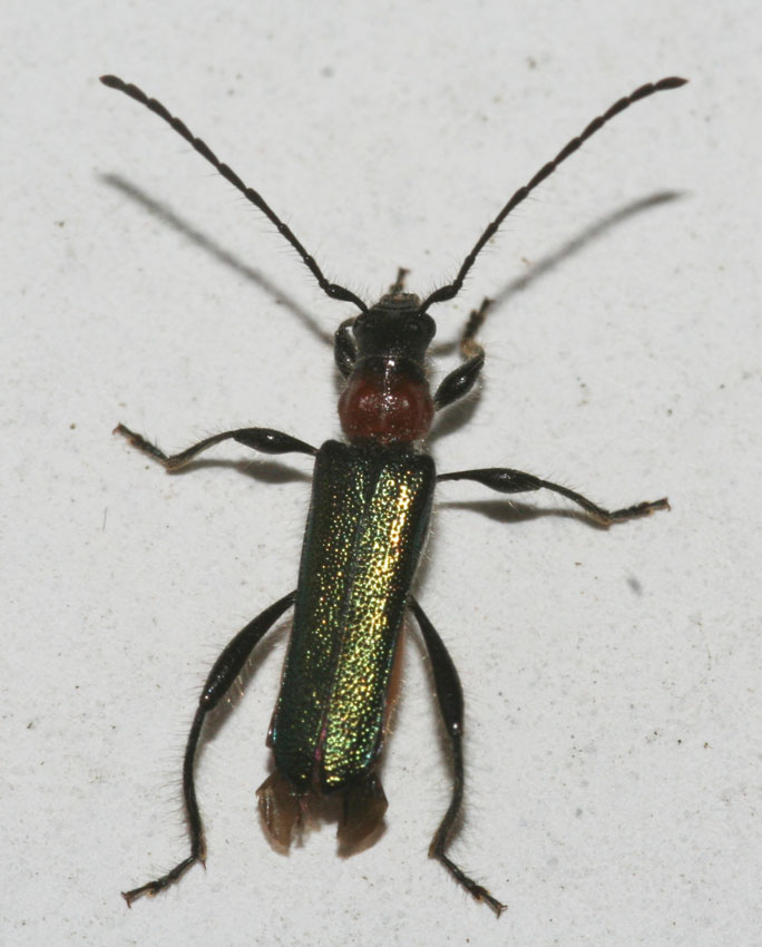
Axinopalpis gracilis gracilis (Krynicki, 1832) - Cerambycidae
8.IV.2010 - ITALIA - Emilia-Romagna - FC
Allegato(i) Dettagli della specie
Axinopalpis gracilis gracilis (Krynicki, 1832)
Cerambycidae


8.IV.2010 - ITALIA - Emilia-Romagna - FC
Coleoptera

Entomarci

0

1041

08/04/2010, 15:42

Entomarci Vedi ultimo messaggio

Nessun messaggio da leggere
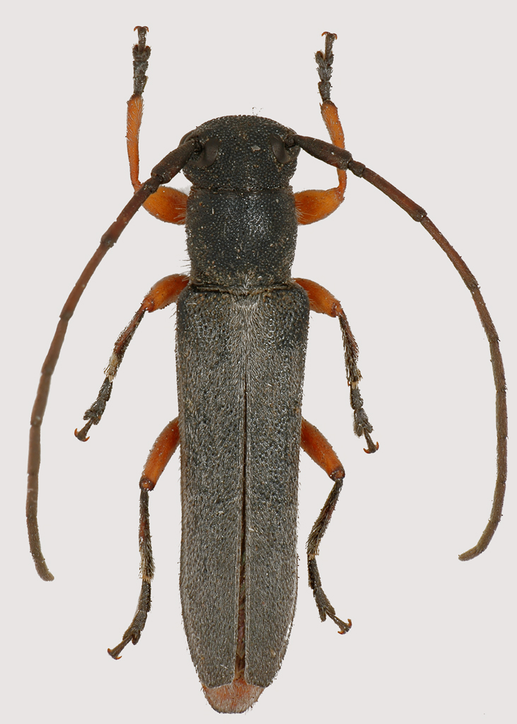
Deroplia genei genei (Aragona, 1830) - Cerambycidae
IV.2010 - ITALIA - Toscana - GR
Allegato(i) Dettagli della specie
Deroplia genei genei (Aragona, 1830)
Cerambycidae


IV.2010 - ITALIA - Toscana - GR
Coleoptera

Xylosteus

6

2232

07/04/2010, 21:06

Maw89 Vedi ultimo messaggio

Nessun messaggio da leggere
Mesosa curculionoides (Linnaeus, 1760) - Cerambycidae
29.IX.1984 - ITALIA - Lazio - FR
Allegato(i) Dettagli della specie
Mesosa curculionoides (Linnaeus, 1760)
Cerambycidae


29.IX.1984 - ITALIA - Lazio - FR
Coleoptera

Julodis

0

876

02/04/2010, 0:51

Julodis Vedi ultimo messaggio

Nessun messaggio da leggere
Purpuricenus (Purpuricenus) kaehleri kaehleri (Linnaeus, 1758) - Cerambycidae
VI.1996 - ITALIA - Friuli-Venezia Giulia - TS
Allegato(i) Dettagli della specie
Purpuricenus (Purpuricenus) kaehleri kaehleri (Linnaeus, 1758)
Cerambycidae

[ Vai alla paginaVai alla pagina: 1, 2 ]



VI.1996 - ITALIA - Friuli-Venezia Giulia - TS
Coleoptera

marco paglialunga

15

3328

01/04/2010, 18:33

Pactolinus Vedi ultimo messaggio

Nessun messaggio da leggere
Phymatodes testaceus (Linnaeus, 1758) - Cerambycidae
31.III.2010 - ITALIA - Veneto - BL
Allegato(i) Dettagli della specie
Phymatodes testaceus (Linnaeus, 1758)
Cerambycidae


31.III.2010 - ITALIA - Veneto - BL
Coleoptera

Maw89

5

1455

01/04/2010, 18:06

Xylosteus Vedi ultimo messaggio

Nessun messaggio da leggere
Phytoecia rufipes rufipes (Olivier, 1795) - Cerambycidae
3.VI.1995 - ITALIA - Puglia - LE
Allegato(i) Dettagli della specie
Phytoecia rufipes rufipes (Olivier, 1795)
Cerambycidae


3.VI.1995 - ITALIA - Puglia - LE
Coleoptera

Maurizio Bollino

1

1218

31/03/2010, 20:59

Glaphyrus Vedi ultimo messaggio

Nessun messaggio da leggere
Allegato(i) Dettagli della specie
Exocentrus punctipennis Mulsant & Guillebeau, 1856
Cerambycidae


6.VI.2009 - ITALIA - Veneto - VE
Coleoptera

Plagionotus

13

3227

31/03/2010, 20:28

Plagionotus Vedi ultimo messaggio

Nessun messaggio da leggere
Allegato(i) Dettagli della specie
Purpuricenus (Purpuricenus) kaehleri kaehleri (Linnaeus, 1758)
Cerambycidae


VI.1973 - ITALIA - Lazio - RM
Coleoptera

Julodis

0

1091

31/03/2010, 17:39

Julodis Vedi ultimo messaggio

Nessun messaggio da leggere
Allegato(i) Dettagli della specie
Agapanthia (Agapanthia) suturalis (Fabricius, 1787)
Cerambycidae


30.III.2010 - ITALIA - Sardegna - CA
Coleoptera

Fumea crassiorella

2

1240

30/03/2010, 21:34

Fumea crassiorella Vedi ultimo messaggio

Nessun messaggio da leggere
Allegato(i) Dettagli della specie
Acanthocinus xanthoneurus (Mulsant & Rey, 1852)
Cerambycidae


4.VII.1987 - ITALIA - Lazio - FR
Coleoptera

Julodis

6

2649

24/03/2010, 10:50

Isotomus Vedi ultimo messaggio

Nessun messaggio da leggere
Clytus arietis arietis (Linnaeus, 1758) - Cerambycidae
26.II.2010 - ITALIA - Lombardia - MB
Allegato(i) Dettagli della specie
Clytus arietis arietis (Linnaeus, 1758)
Cerambycidae

[ Vai alla paginaVai alla pagina: 1, 2 ]



26.II.2010 - ITALIA - Lombardia - MB
Coleoptera

arcing

17

3436

23/03/2010, 0:31

Anillus Vedi ultimo messaggio

Nessun messaggio da leggere
Allegato(i) Dettagli della specie
Agapanthia (Epoptes) villosoviridescens (De Geer, 1775)
Cerambycidae


V.1997 - ITALIA - Marche - PU
Coleoptera

marco paglialunga

5

1894

22/03/2010, 13:30

marco paglialunga Vedi ultimo messaggio

Nessun messaggio da leggere
Allegato(i) Dettagli della specie
Pogonocherus perroudi perroudi Mulsant, 1839
Cerambycidae


XI.1995 - ITALIA - Marche - PU
Coleoptera

marco paglialunga

6

2033

21/03/2010, 20:43

Plagionotus Vedi ultimo messaggio

Nessun messaggio da leggere
Phytoecia virgula (Charpentier, 1825) - Cerambycidae
V.2006 - ITALIA - Marche - PU
Allegato(i) Dettagli della specie
Phytoecia virgula (Charpentier, 1825)
Cerambycidae


V.2006 - ITALIA - Marche - PU
Coleoptera

marco paglialunga

3

1101

21/03/2010, 16:31

Entomarci Vedi ultimo messaggio

Nessun messaggio da leggere
Allegato(i) Dettagli della specie
Monochamus galloprovincialis (Olivier, 1795)
Cerambycidae


IX.1991 - ITALIA - Marche - PU
Coleoptera

marco paglialunga

2

1126

21/03/2010, 15:30

Xylosteus Vedi ultimo messaggio

Nessun messaggio da leggere
Allegato(i) Dettagli della specie
Axinopalpis gracilis gracilis (Krynicki, 1832)
Cerambycidae

[ Vai alla paginaVai alla pagina: 1, 2 ]



VI.1993 - ITALIA - Marche - PU
Coleoptera

marco paglialunga

17

4730

21/03/2010, 0:32

Entomarci Vedi ultimo messaggio

Nessun messaggio da leggere
Allegato(i) Dettagli della specie
Rhagium (Megarhagium) sycophanta (Schrank, 1781)
Cerambycidae


21.IV.1984 - ITALIA - Lazio - RM
Coleoptera

Julodis

3

1970

20/03/2010, 17:20

Julodis Vedi ultimo messaggio

Nessun messaggio da leggere
Gracilia minuta (Fabricius, 1781) - Cerambycidae
V.1993 - ITALIA - Marche - PU
Allegato(i) Dettagli della specie
Gracilia minuta (Fabricius, 1781)
Cerambycidae


V.1993 - ITALIA - Marche - PU
Coleoptera

marco paglialunga

2

1324

20/03/2010, 16:46

dorbodervus Vedi ultimo messaggio

Nessun messaggio da leggere
Monochamus galloprovincialis (Olivier, 1795) - Cerambycidae
VIII.2002 - ITALIA - Toscana - FI
Allegato(i) Dettagli della specie
Monochamus galloprovincialis (Olivier, 1795)
Cerambycidae


VIII.2002 - ITALIA - Toscana - FI
Coleoptera

marco paglialunga

0

800

20/03/2010, 12:07

marco paglialunga Vedi ultimo messaggio

Nessun messaggio da leggere
Allegato(i) Dettagli della specie
Monochamus galloprovincialis (Olivier, 1795)
Cerambycidae


IX.1996 - ITALIA - Toscana - FI
Coleoptera

marco paglialunga

0

695

20/03/2010, 12:06

marco paglialunga Vedi ultimo messaggio

Nessun messaggio da leggere
Allegato(i) Dettagli della specie
Monochamus galloprovincialis (Olivier, 1795)
Cerambycidae


IX.1996 - ITALIA - Marche - PU
Coleoptera

marco paglialunga

0

660

20/03/2010, 12:04

marco paglialunga Vedi ultimo messaggio

Nessun messaggio da leggere
Allegato(i) Dettagli della specie
Monochamus galloprovincialis (Olivier, 1795)
Cerambycidae


IX.2000 - ITALIA - Marche - PU
Coleoptera

marco paglialunga

0

624

20/03/2010, 12:02

marco paglialunga Vedi ultimo messaggio

Nessun messaggio da leggere
Allegato(i) Dettagli della specie
Monochamus galloprovincialis (Olivier, 1795)
Cerambycidae


VIII.2005 - ITALIA - Marche - PU
Coleoptera

marco paglialunga

0

573

20/03/2010, 12:01

marco paglialunga Vedi ultimo messaggio

Nessun messaggio da leggere
Allegato(i) Dettagli della specie
Monochamus galloprovincialis (Olivier, 1795)
Cerambycidae


VIII.2008 - ITALIA - Marche - PU
Coleoptera

marco paglialunga

0

628

20/03/2010, 11:59

marco paglialunga Vedi ultimo messaggio

Nessun messaggio da leggere
Allegato(i) Dettagli della specie
Stenhomalus (Obriopsis) bicolor (Kraatz, 1862)
Cerambycidae


V.1997 - ITALIA - Marche - PU
Coleoptera

marco paglialunga

3

1117

20/03/2010, 11:59

Isotomus Vedi ultimo messaggio

Nessun messaggio da leggere
Allegato(i) Dettagli della specie
Monochamus galloprovincialis (Olivier, 1795)
Cerambycidae


VIII.1991 - ITALIA - Marche - PU
Coleoptera

marco paglialunga

0

675

20/03/2010, 11:58

marco paglialunga Vedi ultimo messaggio

Nessun messaggio da leggere
Stenurella nigra (Linnaeus, 1758) - Cerambycidae
V.2006 - ITALIA - Marche - PU
Allegato(i) Dettagli della specie
Stenurella nigra (Linnaeus, 1758)
Cerambycidae


V.2006 - ITALIA - Marche - PU
Coleoptera

marco paglialunga

0

700

20/03/2010, 11:38

marco paglialunga Vedi ultimo messaggio

Nessun messaggio da leggere
Allegato(i) Dettagli della specie
Agapanthia (Agapanthia) violacea (Fabricius, 1775)
Cerambycidae


VI.2005 - ITALIA - Marche - PU
Coleoptera

marco paglialunga

1

1016

20/03/2010, 10:50

Isotomus Vedi ultimo messaggio

Nessun messaggio da leggere
Poecilium fasciatum (Villers, 1789) - Cerambycidae
V.2004 - ITALIA - Marche - PU
Allegato(i) Dettagli della specie
Poecilium fasciatum (Villers, 1789)
Cerambycidae


V.2004 - ITALIA - Marche - PU
Coleoptera

marco paglialunga

1

1102

20/03/2010, 10:47

Isotomus Vedi ultimo messaggio

Nessun messaggio da leggere
Allegato(i) Dettagli della specie
Neodorcadion bilineatum (Germar, 1824)
Cerambycidae


ITALIA - Puglia - LE
Coleoptera

Maurizio Bollino

4

1856

17/03/2010, 20:51

Maurizio Bollino Vedi ultimo messaggio

Nessun messaggio da leggere
Allegato(i) Dettagli della specie
Pachytodes erraticus erraticus (Dalman, 1817)
Cerambycidae


ITALIA - Sicilia
Coleoptera

Velvet Ant

0

851

17/03/2010, 19:55

Velvet Ant Vedi ultimo messaggio

Nessun messaggio da leggere
Allegato(i) Dettagli della specie
Pachytodes erraticus erraticus (Dalman, 1817)
Cerambycidae


V.1997 - ITALIA - Marche - PU
Coleoptera

marco paglialunga

0

1178

17/03/2010, 19:03

marco paglialunga Vedi ultimo messaggio

Nessun messaggio da leggere
Clytus arietis arietis (Linnaeus, 1758) - Cerambycidae
III.2008 - ITALIA - Lazio - RM
Allegato(i) Dettagli della specie
Clytus arietis arietis (Linnaeus, 1758)
Cerambycidae


III.2008 - ITALIA - Lazio - RM
Coleoptera

Julodis

2

867

14/03/2010, 20:12

Julodis Vedi ultimo messaggio

Nessun messaggio da leggere
Herophila tristis tristis (Linnaeus, 1767) - Cerambycidae
15.V.2008 - ITALIA - Sardegna - OT
Allegato(i) Dettagli della specie
Herophila tristis tristis (Linnaeus, 1767)
Cerambycidae


15.V.2008 - ITALIA - Sardegna - OT
Coleoptera

Fumea crassiorella

3

1158

14/03/2010, 12:14

Fumea crassiorella Vedi ultimo messaggio

Nessun messaggio da leggere
Parmena unifasciata (Rossi, 1790) - Cerambycidae
7.III.2010 - ITALIA - Emilia-Romagna - BO
Allegato(i) Dettagli della specie
Parmena unifasciata (Rossi, 1790)
Cerambycidae


7.III.2010 - ITALIA - Emilia-Romagna - BO
Coleoptera

Loriscola

14

2757

09/03/2010, 15:22

Julodis Vedi ultimo messaggio

Nessun messaggio da leggere
Aromia moschata moschata (Linnaeus, 1758) - Cerambycidae
VIII.2008 - ITALIA - Marche - PU
Allegato(i) Dettagli della specie
Aromia moschata moschata (Linnaeus, 1758)
Cerambycidae


VIII.2008 - ITALIA - Marche - PU
Coleoptera

marco paglialunga

5

1735

06/03/2010, 0:56

Julodis Vedi ultimo messaggio

Nessun messaggio da leggere
Pogonocherus hispidus (Linnaeus, 1758) - Cerambycidae
27.II.2010 - ITALIA - Emilia-Romagna - BO
Allegato(i) Dettagli della specie
Pogonocherus hispidus (Linnaeus, 1758)
Cerambycidae


27.II.2010 - ITALIA - Emilia-Romagna - BO
Coleoptera

Loriscola

7

1894

04/03/2010, 10:04

Xylosteus Vedi ultimo messaggio

Nessun messaggio da leggere
Callimus abdominalis (Olivier, 1795) - Cerambycidae
24.V.2009 - ITALIA - Sardegna - SS
Allegato(i) Dettagli della specie
Callimus abdominalis (Olivier, 1795)
Cerambycidae


24.V.2009 - ITALIA - Sardegna - SS
Coleoptera

Pietro Niolu

7

2930

03/03/2010, 21:49

Plagionotus Vedi ultimo messaggio

Nessun messaggio da leggere
Allegato(i) Dettagli della specie
Aromia moschata ambrosiaca (Steven, 1809)
Cerambycidae

[ Vai alla paginaVai alla pagina: 1, 2 ]



1995 - ITALIA - Campania - NA
Coleoptera

clido

24

7440

02/03/2010, 20:27

Plagionotus Vedi ultimo messaggio

Nessun messaggio da leggere
Callimus abdominalis (Olivier, 1795) - Cerambycidae
V.2006 - ITALIA - Marche - PU
Allegato(i) Dettagli della specie
Callimus abdominalis (Olivier, 1795)
Cerambycidae


V.2006 - ITALIA - Marche - PU
Coleoptera

marco paglialunga

0

950

02/03/2010, 19:40

marco paglialunga Vedi ultimo messaggio

Nessun messaggio da leggere
Allegato(i) Dettagli della specie
Stictoleptura cordigera cordigera (Fuessly, 1775)
Cerambycidae


21.VI.2009 - ITALIA - Lazio - RM
Coleoptera

Alessio84

5

1843

01/03/2010, 15:53

Julodis Vedi ultimo messaggio

Nessun messaggio da leggere
Agapanthia (Epoptes) asphodeli (Latreille, 1804) - Cerambycidae
21.II.2010 - ITALIA - Sardegna - CA
Allegato(i) Dettagli della specie
Agapanthia (Epoptes) asphodeli (Latreille, 1804)
Cerambycidae


21.II.2010 - ITALIA - Sardegna - CA
Coleoptera

Fumea crassiorella

1

1009

22/02/2010, 20:10

Fumea crassiorella Vedi ultimo messaggio

Nessun messaggio da leggere
Aegomorphus clavipes (Schrank, 1781) - Cerambycidae
VI.2007 - ITALIA - Marche - PU
Allegato(i) Dettagli della specie
Aegomorphus clavipes (Schrank, 1781)
Cerambycidae


VI.2007 - ITALIA - Marche - PU
Coleoptera

marco paglialunga

10

2734

22/02/2010, 10:06

Xylosteus Vedi ultimo messaggio

Nessun messaggio da leggere
Agapanthia (Agapanthia) cardui (Linnaeus, 1767) - Cerambycidae
9.V.2009 - ITALIA - Emilia-Romagna - BO
Allegato(i) Dettagli della specie
Agapanthia (Agapanthia) cardui (Linnaeus, 1767)
Cerambycidae


9.V.2009 - ITALIA - Emilia-Romagna - BO
Coleoptera

Loriscola

6

2051

19/02/2010, 18:34

Isotomus Vedi ultimo messaggio

Nessun messaggio da leggere
Brachypteroma ottomanum Heyden, 1863 - Cerambycidae
1.V.2009 - ITALIA - Lazio - FR
Allegato(i) Dettagli della specie
Brachypteroma ottomanum Heyden, 1863
Cerambycidae


1.V.2009 - ITALIA - Lazio - FR
Coleoptera

Goliathus

0

815

17/02/2010, 23:32

Goliathus Vedi ultimo messaggio

Nessun messaggio da leggere
Menesia bipunctata (Zubkov, 1829) - Cerambycidae
V.1998 - ITALIA - Friuli-Venezia Giulia - UD
Allegato(i) Dettagli della specie
Menesia bipunctata (Zubkov, 1829)
Cerambycidae


V.1998 - ITALIA - Friuli-Venezia Giulia - UD
Coleoptera

StagBeetle

2

1384

12/02/2010, 10:30

Isotomus Vedi ultimo messaggio

Visualizza ultimi argomenti:  Ordina per  Ordine:  
nuovo argomento
Vai alla pagina Precedente  1 ... 53, 54, 55, 56, 57, 58, 59  Prossimo
Pagina 56 di 59 [ 2928 argomenti ]

Tutti gli orari sono UTC + 1 ora [ ora legale ]


Chi c’è in linea

Visitano il forum: Nessuno e 4 ospiti


Legenda
Messaggi da leggere Messaggi da leggere Nessun messaggio da leggere Nessun messaggio da leggere Annuncio Annuncio
 
Specie indeterminata / discussione generica
Messaggi non letti [ Popolari ] Messaggi non letti [ Popolari ] Nessun messaggio da leggere [ Popolare ] Nessun messaggio da leggere [ Popolare ] Importante Importante
 
Specie determinata fino al genere o cf.
Messaggi non letti [ Bloccati ] Messaggi non letti [ Bloccati ] No messaggi non letti [ Bloccati ] No messaggi non letti [ Bloccati ] Argomento spostato Argomento spostato
 
Specie correttamente determinata
Permessi
Non puoi aprire nuovi argomenti
Non puoi rispondere negli argomenti
Non puoi modificare i tuoi messaggi
Non puoi cancellare i tuoi messaggi
Non puoi inviare allegati

Cerca per:
Vai a: