Benvenuto Ospite

Forum Entomologi Italiani

www.entomologiitaliani.net/forum
 
Oggi è 14/04/2026, 15:47

Tutti gli orari sono UTC + 1 ora [ ora legale ]


100%
2928 taxa correttamente determinati su 2929 presenti in archivio

Cerambycidae


[ AFROTROPICALE ] [ ANTARTICO ] [ AUSTRALASIANO ] [ NEARTICO ] [ NEOTROPICALE ] [ ORIENTALE ] [ PALEARTICO ]


nuovo argomento
Vai alla pagina Precedente  1 ... 54, 55, 56, 57, 58, 59  Prossimo
Pagina 57 di 59 [ 2929 argomenti ]
 Argomenti   Ordine   Autore   Risposte   Visite    Ultimo messaggio 
Annunci
Nessun messaggio da leggere
Allegato(i)
Incontri entomologici della Società Entomologica Italiana 2025-2026
 

Velvet Ant

0

46368

17/11/2025, 19:41

Velvet Ant Vedi ultimo messaggio

Nessun messaggio da leggere
Allegato(i)
Incontri entomologici telematici organizzati dalla Società Entomologica Italiana nel 2022 e nel 2023

[ Vai alla paginaVai alla pagina: 1, 2, 3 ]

 

Velvet Ant

44

1996680

03/03/2023, 15:55

Velvet Ant Vedi ultimo messaggio

Nessun messaggio da leggere  
Allegato(i)
Sondaggio sul declino dell'entomofauna in Italia

[ Vai alla paginaVai alla pagina: 1, 2, 3, 4 ]

 

Velvet Ant

52

2667793

22/10/2022, 19:18

Acquarius Vedi ultimo messaggio

Nessun messaggio da leggere  
Allegato(i)
Progetto: Bibliografia ragionata dei lavori entomologici nei quali sono citati reperti apparsi su FEI

[ Vai alla paginaVai alla pagina: 1, 2, 3 ]

 

Velvet Ant

33

1602457

06/07/2023, 18:31

Orotrechus Vedi ultimo messaggio

Nessun messaggio da leggere
Allegato(i)
Mimesi, il primo documentario cinematografico sull’entomologia in Italia: casting
 

mazzeip

1

1136260

28/02/2019, 20:26

mazzeip Vedi ultimo messaggio

Questo argomento è bloccato, non puoi modificare o inviare ulteriori messaggi.
Allegato(i)
ISTRUZIONI PUBBLICAZIONE NUOVI ARGOMENTI E FOTO

 
Altri Ordini di Insetti

Julodis

4

2952949

13/05/2015, 19:37

Julodis Vedi ultimo messaggio

Nessun messaggio da leggere
Allegato(i)
Limitatore giornaliero di messaggi, uno strumento utile e ormai indispensabile

[ Vai alla paginaVai alla pagina: 1 ... 14, 15, 16 ]

 

Velvet Ant

233

13754412

25/09/2014, 14:31

Inachis Vedi ultimo messaggio

Nessun messaggio da leggere  
NORME PER I COLLABORATORI DEL FORUM

 
 

Velvet Ant

0

669333

02/06/2011, 12:05

Velvet Ant Vedi ultimo messaggio

Nessun messaggio da leggere
Allegato(i)
NORME PER GLI UTENTI DEL FORUM

[ Vai alla paginaVai alla pagina: 1, 2, 3 ]



 
 

Velvet Ant

30

3719952

23/09/2014, 23:54

Maurizio Bollino Vedi ultimo messaggio

Questo argomento è bloccato, non puoi modificare o inviare ulteriori messaggi.  
Elenco delle specie italiane di Cerambycidae presenti sul forum
Cerambycidae


 
Coleoptera

Plagionotus

0

6416

22/11/2010, 22:28

Plagionotus Vedi ultimo messaggio

Nessun messaggio da leggere  
Lista degli utenti del "Forum entomologi italiani" per campi di interesse e specializzazione

 
Altri Ordini di Insetti

Velvet Ant

13

1121766

07/09/2023, 17:14

Roberto-07 Vedi ultimo messaggio

Argomenti
Nessun messaggio da leggere
Menesia bipunctata (Zubkov, 1829) - Cerambycidae
V.1998 - ITALIA - Friuli-Venezia Giulia - UD
Allegato(i) Dettagli della specie
Menesia bipunctata (Zubkov, 1829)
Cerambycidae


V.1998 - ITALIA - Friuli-Venezia Giulia - UD
Coleoptera

StagBeetle

2

1443

12/02/2010, 10:30

Isotomus Vedi ultimo messaggio

Nessun messaggio da leggere
Brachyta interrogationis (Linnaeus, 1758) - Cerambycidae
VII.1986 - ITALIA - Valle d'Aosta - AO
Allegato(i) Dettagli della specie
Brachyta interrogationis (Linnaeus, 1758)
Cerambycidae


VII.1986 - ITALIA - Valle d'Aosta - AO
Coleoptera

StagBeetle

1

1213

12/02/2010, 0:55

Velvet Ant Vedi ultimo messaggio

Nessun messaggio da leggere
Allegato(i) Dettagli della specie
Niphona picticornis Mulsant, 1839
Cerambycidae


ITALIA - Sicilia - PA
Coleoptera

Velvet Ant

0

820

11/02/2010, 23:53

Velvet Ant Vedi ultimo messaggio

Nessun messaggio da leggere
Allegato(i) Dettagli della specie
Morimus asper asper (Sulzer, 1776)
Cerambycidae

[ Vai alla paginaVai alla pagina: 1, 2 ]



ITALIA - Calabria - RC
Coleoptera

finley82

16

3088

11/02/2010, 10:03

Isotomus Vedi ultimo messaggio

Nessun messaggio da leggere
Anoplophora chinensis (Forster, 1771) - Cerambycidae
IX.2009 - ITALIA - Lombardia - MI
Allegato(i) Dettagli della specie
Anoplophora chinensis (Forster, 1771)
Cerambycidae


IX.2009 - ITALIA - Lombardia - MI
Coleoptera

arcing

4

2269

04/02/2010, 20:48

Velvet Ant Vedi ultimo messaggio

Nessun messaggio da leggere
Agapanthia (Epoptes) villosoviridescens (De Geer, 1775) - Cerambycidae
19.V.2009 - ITALIA - Emilia-Romagna - BO
Allegato(i) Dettagli della specie
Agapanthia (Epoptes) villosoviridescens (De Geer, 1775)
Cerambycidae


19.V.2009 - ITALIA - Emilia-Romagna - BO
Coleoptera

Loriscola

13

3365

03/02/2010, 20:05

Isotomus Vedi ultimo messaggio

Nessun messaggio da leggere
Pyrrhidium sanguineum (Linnaeus, 1758) - Cerambycidae
19.VI.2007 - ITALIA - Sardegna - OG
Allegato(i) Dettagli della specie
Pyrrhidium sanguineum (Linnaeus, 1758)
Cerambycidae


19.VI.2007 - ITALIA - Sardegna - OG
Coleoptera

Hemerobius

7

1982

01/02/2010, 21:02

Daniele Sechi Vedi ultimo messaggio

Nessun messaggio da leggere
Deilus fugax (Olivier, 1790) - Cerambycidae
17.VI.2006 - ITALIA - Toscana - FI
Allegato(i) Dettagli della specie
Deilus fugax (Olivier, 1790)
Cerambycidae


17.VI.2006 - ITALIA - Toscana - FI
Coleoptera

Notoxus59

6

2050

31/01/2010, 13:09

Julodis Vedi ultimo messaggio

Nessun messaggio da leggere
Anastrangalia dubia dubia (Scopoli, 1763) - Cerambycidae
6.VII.2008 - ITALIA - Umbria - PG
Allegato(i) Dettagli della specie
Anastrangalia dubia dubia (Scopoli, 1763)
Cerambycidae


6.VII.2008 - ITALIA - Umbria - PG
Coleoptera

Notoxus59

4

1703

31/01/2010, 9:57

Isotomus Vedi ultimo messaggio

Nessun messaggio da leggere
Trichoferus holosericeus (Rossi, 1790) - Cerambycidae
19.VIII.2009 - ITALIA - Lazio - FR
Allegato(i) Dettagli della specie
Trichoferus holosericeus (Rossi, 1790)
Cerambycidae


19.VIII.2009 - ITALIA - Lazio - FR
Coleoptera

Goliathus

5

1973

31/01/2010, 9:38

Isotomus Vedi ultimo messaggio

Nessun messaggio da leggere
Clytus arietis arietis (Linnaeus, 1758) - Cerambycidae
17.VI.2008 - ITALIA - Toscana - FI
Allegato(i) Dettagli della specie
Clytus arietis arietis (Linnaeus, 1758)
Cerambycidae


17.VI.2008 - ITALIA - Toscana - FI
Coleoptera

Notoxus59

2

1130

30/01/2010, 22:16

Notoxus59 Vedi ultimo messaggio

Nessun messaggio da leggere
Allegato(i) Dettagli della specie
Oberea (Oberea) linearis (Linnaeus, 1760)
Cerambycidae


ITALIA - Sardegna - NU
Coleoptera

Hemerobius

13

3556

29/01/2010, 16:59

Hemerobius Vedi ultimo messaggio

Nessun messaggio da leggere
Chlorophorus sartor (O. F. Müller, 1766) - Cerambycidae
12.VII.2008 - ITALIA - Umbria - PG
Allegato(i) Dettagli della specie
Chlorophorus sartor (O. F. Müller, 1766)
Cerambycidae


12.VII.2008 - ITALIA - Umbria - PG
Coleoptera

silvio1953

4

1338

29/01/2010, 12:20

Loriscola Vedi ultimo messaggio

Nessun messaggio da leggere
Allegato(i) Dettagli della specie
Stictoleptura cordigera cordigera (Fuessly, 1775)
Cerambycidae


22.VI.2008 - ITALIA - Umbria - PG
Coleoptera

silvio1953

4

1248

27/01/2010, 22:53

silvio1953 Vedi ultimo messaggio

Nessun messaggio da leggere
Stenopterus rufus rufus (Linnaeus, 1767) - Cerambycidae
10.V.2007 - ITALIA - Umbria - PG
Allegato(i) Dettagli della specie
Stenopterus rufus rufus (Linnaeus, 1767)
Cerambycidae


10.V.2007 - ITALIA - Umbria - PG
Coleoptera

silvio1953

2

966

27/01/2010, 20:47

silvio1953 Vedi ultimo messaggio

Nessun messaggio da leggere
Rutpela maculata maculata (Poda, 1761) - Cerambycidae
18.VII.2009 - ITALIA - Umbria - PG
Allegato(i) Dettagli della specie
Rutpela maculata maculata (Poda, 1761)
Cerambycidae


18.VII.2009 - ITALIA - Umbria - PG
Coleoptera

silvio1953

4

1356

23/01/2010, 11:49

Isotomus Vedi ultimo messaggio

Nessun messaggio da leggere
Allegato(i) Dettagli della specie
Neopiciella sicula (Ganglbauer, 1885)
Cerambycidae


ITALIA - Sicilia
Coleoptera

Xylosteus

7

2268

14/01/2010, 14:29

f.izzillo Vedi ultimo messaggio

Nessun messaggio da leggere
Stenurella melanura (Linnaeus, 1758) - Cerambycidae
19.VIII.2009 - ITALIA - Veneto - BL
Allegato(i) Dettagli della specie
Stenurella melanura (Linnaeus, 1758)
Cerambycidae


19.VIII.2009 - ITALIA - Veneto - BL
Coleoptera

Maw89

3

1056

27/12/2009, 18:45

Isotomus Vedi ultimo messaggio

Nessun messaggio da leggere
Pseudovadonia livida livida (Fabricius, 1777) - Cerambycidae
8.VII.2009 - ITALIA - Veneto - BL
Allegato(i) Dettagli della specie
Pseudovadonia livida livida (Fabricius, 1777)
Cerambycidae


8.VII.2009 - ITALIA - Veneto - BL
Coleoptera

Maw89

2

965

27/12/2009, 13:10

Maw89 Vedi ultimo messaggio

Nessun messaggio da leggere
Saperda scalaris scalaris (Linnaeus, 1758) - Cerambycidae
22.VI.2009 - ITALIA - Veneto - BL
Allegato(i) Dettagli della specie
Saperda scalaris scalaris (Linnaeus, 1758)
Cerambycidae


22.VI.2009 - ITALIA - Veneto - BL
Coleoptera

Maw89

3

1406

27/12/2009, 11:19

StagBeetle Vedi ultimo messaggio

Nessun messaggio da leggere
Alosterna tabacicolor (De Geer, 1775) - Cerambycidae
8.VII.2009 - ITALIA - Veneto - BL
Allegato(i) Dettagli della specie
Alosterna tabacicolor (De Geer, 1775)
Cerambycidae


8.VII.2009 - ITALIA - Veneto - BL
Coleoptera

Maw89

2

1215

26/12/2009, 18:46

Maw89 Vedi ultimo messaggio

Nessun messaggio da leggere
Stromatium unicolor (Olivier, 1795) - Cerambycidae
21.VI.2008 - ITALIA - Lazio - FR
Allegato(i) Dettagli della specie
Stromatium unicolor (Olivier, 1795)
Cerambycidae


21.VI.2008 - ITALIA - Lazio - FR
Coleoptera

Goliathus

2

1145

25/12/2009, 16:58

Goliathus Vedi ultimo messaggio

Nessun messaggio da leggere
Clytus clavicornis Reiche, 1860 - Cerambycidae
19.XII.2009 - ITALIA - Sicilia - EN
Allegato(i) Dettagli della specie
Clytus clavicornis Reiche, 1860
Cerambycidae


19.XII.2009 - ITALIA - Sicilia - EN
Coleoptera

Anillus

7

2588

23/12/2009, 10:06

Livio Vedi ultimo messaggio

Nessun messaggio da leggere
Arhopalus ferus (Mulsant, 1839) - Cerambycidae
13.VIII.2008 - ITALIA - Lazio - FR
Allegato(i) Dettagli della specie
Arhopalus ferus (Mulsant, 1839)
Cerambycidae


13.VIII.2008 - ITALIA - Lazio - FR
Coleoptera

Goliathus

8

2886

23/12/2009, 0:43

Plagionotus Vedi ultimo messaggio

Nessun messaggio da leggere
Pogonocherus perroudi perroudi Mulsant, 1839 - Cerambycidae
9.IX.2009 - ITALIA - Sardegna - CA
Allegato(i) Dettagli della specie
Pogonocherus perroudi perroudi Mulsant, 1839
Cerambycidae


9.IX.2009 - ITALIA - Sardegna - CA
Coleoptera

ESAPODA

6

1562

22/12/2009, 20:58

ESAPODA Vedi ultimo messaggio

Nessun messaggio da leggere
Arhopalus syriacus (Reitter, 1895) - Cerambycidae
22.V.2009 - ITALIA - Sardegna - CA
Allegato(i) Dettagli della specie
Arhopalus syriacus (Reitter, 1895)
Cerambycidae


22.V.2009 - ITALIA - Sardegna - CA
Coleoptera

ESAPODA

1

724

22/12/2009, 19:05

Isotomus Vedi ultimo messaggio

Nessun messaggio da leggere
Cerambyx welensii (Küster, 1845) - Cerambycidae
9.VII.2004 - ITALIA - Lazio - VT
Allegato(i) Dettagli della specie
Cerambyx welensii (Küster, 1845)
Cerambycidae


9.VII.2004 - ITALIA - Lazio - VT
Coleoptera

Goliathus

7

1749

22/12/2009, 18:49

Isotomus Vedi ultimo messaggio

Nessun messaggio da leggere
Arhopalus syriacus (Reitter, 1895) - Cerambycidae
21.VI.2009 - ITALIA - Sardegna - SS
Allegato(i) Dettagli della specie
Arhopalus syriacus (Reitter, 1895)
Cerambycidae


21.VI.2009 - ITALIA - Sardegna - SS
Coleoptera

ESAPODA

0

591

22/12/2009, 13:47

ESAPODA Vedi ultimo messaggio

Nessun messaggio da leggere
Arhopalus syriacus (Reitter, 1895) - Cerambycidae
10.VII.2009 - ITALIA - Sardegna - OR
Allegato(i) Dettagli della specie
Arhopalus syriacus (Reitter, 1895)
Cerambycidae


10.VII.2009 - ITALIA - Sardegna - OR
Coleoptera

ESAPODA

0

760

22/12/2009, 13:47

ESAPODA Vedi ultimo messaggio

Nessun messaggio da leggere
Pogonocherus perroudi perroudi Mulsant, 1839 - Cerambycidae
23.IX.2009 - ITALIA - Sardegna - SS
Allegato(i) Dettagli della specie
Pogonocherus perroudi perroudi Mulsant, 1839
Cerambycidae


23.IX.2009 - ITALIA - Sardegna - SS
Coleoptera

ESAPODA

0

1041

22/12/2009, 13:10

ESAPODA Vedi ultimo messaggio

Nessun messaggio da leggere
Cerambyx welensii (Küster, 1845) - Cerambycidae
20.VII.2008 - ITALIA - Marche - AP
Allegato(i) Dettagli della specie
Cerambyx welensii (Küster, 1845)
Cerambycidae


20.VII.2008 - ITALIA - Marche - AP
Coleoptera

Goliathus

0

806

21/12/2009, 23:46

Goliathus Vedi ultimo messaggio

Nessun messaggio da leggere
Brachyta interrogationis (Linnaeus, 1758) - Cerambycidae
14.VII.2009 - ITALIA - Trentino-Alto Adige - TN
Allegato(i) Dettagli della specie
Brachyta interrogationis (Linnaeus, 1758)
Cerambycidae


14.VII.2009 - ITALIA - Trentino-Alto Adige - TN
Coleoptera

Goliathus

5

1609

21/12/2009, 22:37

eurinomio Vedi ultimo messaggio

Nessun messaggio da leggere
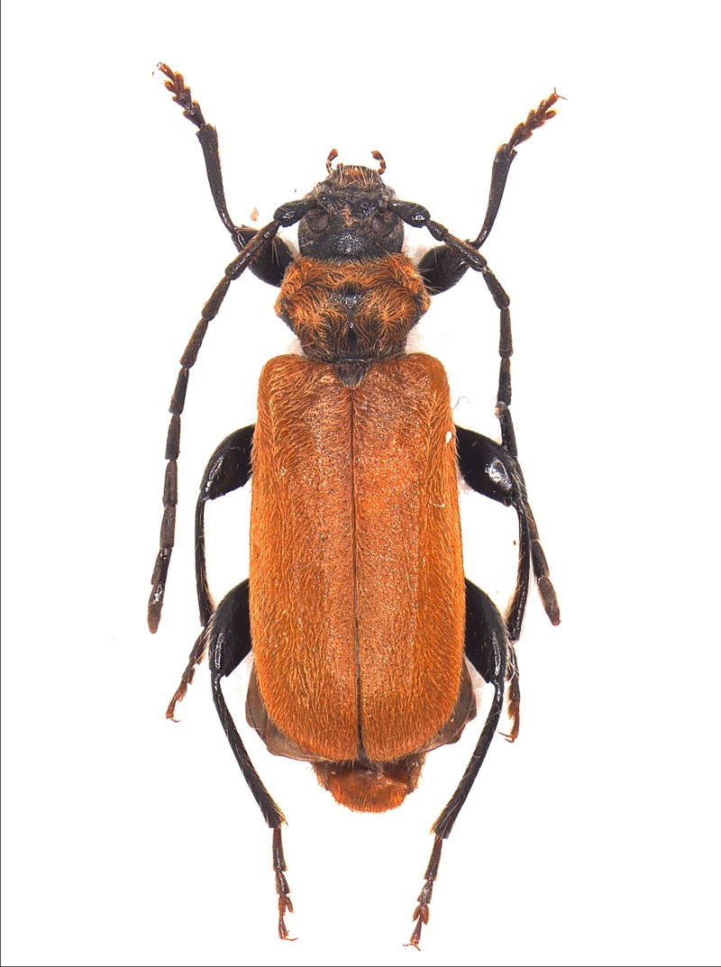
Aegosoma scabricorne (Scopoli, 1763) - Cerambycidae
25.VII.2009 - ITALIA - Lazio - RM
Allegato(i) Dettagli della specie
Aegosoma scabricorne (Scopoli, 1763)
Cerambycidae


25.VII.2009 - ITALIA - Lazio - RM
Coleoptera

Goliathus

1

1026

20/12/2009, 13:59

Plagionotus Vedi ultimo messaggio

Nessun messaggio da leggere
Pachytodes cerambyciformis (Schrank, 1781) - Cerambycidae
13.VII.2009 - ITALIA - Trentino-Alto Adige - TN
Allegato(i) Dettagli della specie
Pachytodes cerambyciformis (Schrank, 1781)
Cerambycidae


13.VII.2009 - ITALIA - Trentino-Alto Adige - TN
Coleoptera

Goliathus

2

957

20/12/2009, 12:01

Isotomus Vedi ultimo messaggio

Nessun messaggio da leggere
Allegato(i) Dettagli della specie
Grammoptera ruficornis ruficornis (Fabricius, 1781)
Cerambycidae


23.VI.2009 - ITALIA - Veneto - BL
Coleoptera

Maw89

4

1234

20/12/2009, 10:59

Maw89 Vedi ultimo messaggio

Nessun messaggio da leggere
Hylotrupes bajulus (Linnaeus, 1758) - Cerambycidae
6.VI.2009 - ITALIA - Lazio - RM
Allegato(i) Dettagli della specie
Hylotrupes bajulus (Linnaeus, 1758)
Cerambycidae


6.VI.2009 - ITALIA - Lazio - RM
Coleoptera

Goliathus

1

918

20/12/2009, 10:23

Plagionotus Vedi ultimo messaggio

Nessun messaggio da leggere
Pachyta quadrimaculata (Linnaeus, 1758) - Cerambycidae
13.VII.2009 - ITALIA - Trentino-Alto Adige - TN
Allegato(i) Dettagli della specie
Pachyta quadrimaculata (Linnaeus, 1758)
Cerambycidae


13.VII.2009 - ITALIA - Trentino-Alto Adige - TN
Coleoptera

Goliathus

2

1167

20/12/2009, 10:22

Plagionotus Vedi ultimo messaggio

Nessun messaggio da leggere
Morimus asper asper (Sulzer, 1776) - Cerambycidae
9.V.2009 - ITALIA - Lazio - RM
Allegato(i) Dettagli della specie
Morimus asper asper (Sulzer, 1776)
Cerambycidae


9.V.2009 - ITALIA - Lazio - RM
Coleoptera

Goliathus

2

948

20/12/2009, 2:24

Goliathus Vedi ultimo messaggio

Nessun messaggio da leggere
Allegato(i) Dettagli della specie
Dorcadion (Pedestredorcadion) etruscum (Rossi, 1790)
Cerambycidae


1999 - ITALIA - Marche
Coleoptera

StagBeetle

5

1408

16/12/2009, 20:12

Plagionotus Vedi ultimo messaggio

Nessun messaggio da leggere
Phoracantha recurva Newman, 1840 - Cerambycidae
22.XII.2006 - ITALIA - Sicilia - PA
Allegato(i) Dettagli della specie
Phoracantha recurva Newman, 1840
Cerambycidae


22.XII.2006 - ITALIA - Sicilia - PA
Coleoptera

Velvet Ant

3

1929

08/11/2009, 17:19

Entomarci Vedi ultimo messaggio

Nessun messaggio da leggere
Leptura aurulenta Fabricius, 1792 - Cerambycidae
8.VI.2008 - ITALIA - Liguria - SV
Allegato(i) Dettagli della specie
Leptura aurulenta Fabricius, 1792
Cerambycidae


8.VI.2008 - ITALIA - Liguria - SV
Coleoptera

arcing

2

1282

01/11/2009, 11:17

arcing Vedi ultimo messaggio

Nessun messaggio da leggere
Clytus triangulimacula Costa, 1847 - Cerambycidae
1999 - ITALIA - Campania - NA
Allegato(i) Dettagli della specie
Clytus triangulimacula Costa, 1847
Cerambycidae


1999 - ITALIA - Campania - NA
Coleoptera

Jacek Hilszczanski

1

1490

29/10/2009, 9:27

Hemerobius Vedi ultimo messaggio

Nessun messaggio da leggere
Phytoecia cylindrica (Linnaeus, 1758) - Cerambycidae
19.VII.2009 - ITALIA - Veneto - BL
Allegato(i) Dettagli della specie
Phytoecia cylindrica (Linnaeus, 1758)
Cerambycidae


19.VII.2009 - ITALIA - Veneto - BL
Coleoptera

Maw89

2

1587

27/10/2009, 10:55

Maw89 Vedi ultimo messaggio

Nessun messaggio da leggere
Allegato(i) Dettagli della specie
Dinoptera (Dinoptera) collaris (Linnaeus, 1758)
Cerambycidae


ITALIA - Marche - MC
Coleoptera

dorbodervus

4

1962

26/10/2009, 21:47

dorbodervus Vedi ultimo messaggio

Nessun messaggio da leggere
Allegato(i) Dettagli della specie
Phymatodes testaceus (Linnaeus, 1758)
Cerambycidae

[ Vai alla paginaVai alla pagina: 1, 2 ]



ITALIA - Sardegna - OG
Coleoptera

Hemerobius

18

6081

25/10/2009, 8:20

Isotomus Vedi ultimo messaggio

Nessun messaggio da leggere
Allegato(i) Dettagli della specie
Rhamnusium graecum italicum G. Müller, 1966
Cerambycidae


2003 - ITALIA - Basilicata - PZ
Coleoptera

Isotomus

6

2607

22/10/2009, 8:53

Plagionotus Vedi ultimo messaggio

Nessun messaggio da leggere
Allegato(i) Dettagli della specie
Rhamnusium bicolor demaggii Tippmann, 1956
Cerambycidae


V.2009 - ITALIA - Lazio - RM
Coleoptera

elleelle

4

2078

22/10/2009, 8:10

Isotomus Vedi ultimo messaggio

Nessun messaggio da leggere
Allegato(i) Dettagli della specie
Hesperophanes sericeus (Fabricius, 1787)
Cerambycidae


ITALIA - Sardegna - OT
Coleoptera

Mauro

2

1667

21/10/2009, 14:30

Mauro Vedi ultimo messaggio

Nessun messaggio da leggere
Allegato(i) Dettagli della specie
Pogonocherus marcoi Sama, 1993
Cerambycidae


ITALIA - Toscana - GR
Coleoptera

Isotomus

12

3546

20/10/2009, 20:21

Plagionotus Vedi ultimo messaggio

Nessun messaggio da leggere
Hylotrupes bajulus (Linnaeus, 1758) - Cerambycidae
1.VII.2009 - ITALIA - Sicilia - TP
Allegato(i) Dettagli della specie
Hylotrupes bajulus (Linnaeus, 1758)
Cerambycidae


1.VII.2009 - ITALIA - Sicilia - TP
Coleoptera

gigi58

2

1364

18/10/2009, 12:22

gigi58 Vedi ultimo messaggio

Visualizza ultimi argomenti:  Ordina per  Ordine:  
nuovo argomento
Vai alla pagina Precedente  1 ... 54, 55, 56, 57, 58, 59  Prossimo
Pagina 57 di 59 [ 2929 argomenti ]

Tutti gli orari sono UTC + 1 ora [ ora legale ]


Chi c’è in linea

Visitano il forum: Nessuno e 6 ospiti


Legenda
Messaggi da leggere Messaggi da leggere Nessun messaggio da leggere Nessun messaggio da leggere Annuncio Annuncio
 
Specie indeterminata / discussione generica
Messaggi non letti [ Popolari ] Messaggi non letti [ Popolari ] Nessun messaggio da leggere [ Popolare ] Nessun messaggio da leggere [ Popolare ] Importante Importante
 
Specie determinata fino al genere o cf.
Messaggi non letti [ Bloccati ] Messaggi non letti [ Bloccati ] No messaggi non letti [ Bloccati ] No messaggi non letti [ Bloccati ] Argomento spostato Argomento spostato
 
Specie correttamente determinata
Permessi
Non puoi aprire nuovi argomenti
Non puoi rispondere negli argomenti
Non puoi modificare i tuoi messaggi
Non puoi cancellare i tuoi messaggi
Non puoi inviare allegati

Cerca per:
Vai a: