Benvenuto Ospite

Forum Entomologi Italiani

www.entomologiitaliani.net/forum
 
Oggi è 28/05/2026, 7:34

Tutti gli orari sono UTC + 1 ora [ ora legale ]


92% 
2929 taxa correttamente determinati su 3183 presenti in archivio

Cerambycidae


[ AFROTROPICALE ] [ ANTARTICO ] [ AUSTRALASIANO ] [ NEARTICO ] [ NEOTROPICALE ] [ ORIENTALE ] [ PALEARTICO ]


nuovo argomento
Vai alla pagina Precedente  1 ... 56, 57, 58, 59, 60, 61, 62 ... 103  Prossimo
Pagina 59 di 103 [ 5110 argomenti ]
 Argomenti   Ordine   Autore   Risposte   Visite    Ultimo messaggio 
Annunci
Nessun messaggio da leggere
Allegato(i)
Incontri entomologici della Società Entomologica Italiana 2025-2026
 

Velvet Ant

0

67830

17/11/2025, 19:41

Velvet Ant Vedi ultimo messaggio

Nessun messaggio da leggere
Allegato(i)
Incontri entomologici telematici organizzati dalla Società Entomologica Italiana nel 2022 e nel 2023

[ Vai alla paginaVai alla pagina: 1, 2, 3 ]

 

Velvet Ant

44

2177487

03/03/2023, 15:55

Velvet Ant Vedi ultimo messaggio

Nessun messaggio da leggere  
Allegato(i)
Sondaggio sul declino dell'entomofauna in Italia

[ Vai alla paginaVai alla pagina: 1, 2, 3, 4 ]

 

Velvet Ant

52

2867026

22/10/2022, 19:18

Acquarius Vedi ultimo messaggio

Nessun messaggio da leggere  
Allegato(i)
Progetto: Bibliografia ragionata dei lavori entomologici nei quali sono citati reperti apparsi su FEI

[ Vai alla paginaVai alla pagina: 1, 2, 3 ]

 

Velvet Ant

33

1745763

06/07/2023, 18:31

Orotrechus Vedi ultimo messaggio

Nessun messaggio da leggere
Allegato(i)
Mimesi, il primo documentario cinematografico sull’entomologia in Italia: casting
 

mazzeip

1

1163585

28/02/2019, 20:26

mazzeip Vedi ultimo messaggio

Questo argomento è bloccato, non puoi modificare o inviare ulteriori messaggi.
Allegato(i)
ISTRUZIONI PUBBLICAZIONE NUOVI ARGOMENTI E FOTO

 
Altri Ordini di Insetti

Julodis

4

2991170

13/05/2015, 19:37

Julodis Vedi ultimo messaggio

Nessun messaggio da leggere
Allegato(i)
Limitatore giornaliero di messaggi, uno strumento utile e ormai indispensabile

[ Vai alla paginaVai alla pagina: 1 ... 14, 15, 16 ]

 

Velvet Ant

233

14507648

25/09/2014, 14:31

Inachis Vedi ultimo messaggio

Nessun messaggio da leggere  
NORME PER I COLLABORATORI DEL FORUM

 
 

Velvet Ant

0

691580

02/06/2011, 12:05

Velvet Ant Vedi ultimo messaggio

Nessun messaggio da leggere
Allegato(i)
NORME PER GLI UTENTI DEL FORUM

[ Vai alla paginaVai alla pagina: 1, 2, 3 ]



 
 

Velvet Ant

30

3860646

23/09/2014, 23:54

Maurizio Bollino Vedi ultimo messaggio

Questo argomento è bloccato, non puoi modificare o inviare ulteriori messaggi.  
Elenco delle specie italiane di Cerambycidae presenti sul forum
Cerambycidae


 
Coleoptera

Plagionotus

0

6517

22/11/2010, 22:28

Plagionotus Vedi ultimo messaggio

Nessun messaggio da leggere  
Lista degli utenti del "Forum entomologi italiani" per campi di interesse e specializzazione

 
Altri Ordini di Insetti

Velvet Ant

13

1185715

07/09/2023, 17:14

Roberto-07 Vedi ultimo messaggio

Argomenti
Nessun messaggio da leggere
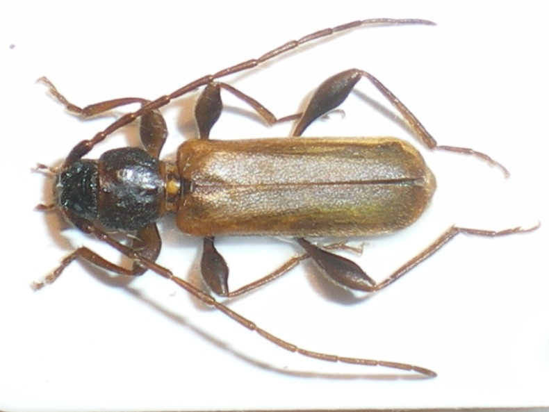
Hesperophanes sericeus (Fabricius, 1787) - Cerambycidae
26.VII.2012 - ITALIA - Sardegna - CA
Allegato(i) Dettagli della specie
Hesperophanes sericeus (Fabricius, 1787)
Cerambycidae


26.VII.2012 - ITALIA - Sardegna - CA
Coleoptera

Fumea crassiorella

8

2297

28/07/2012, 23:14

Fumea crassiorella Vedi ultimo messaggio

Nessun messaggio da leggere
Trichoferus spartii (G. Müller, 1948) - Cerambycidae
12.VII.2012 - ITALIA - Umbria - PG
Allegato(i) Dettagli della specie
Trichoferus spartii (G. Müller, 1948)
Cerambycidae


12.VII.2012 - ITALIA - Umbria - PG
Coleoptera

Maura

3

1453

28/07/2012, 21:06

Maura Vedi ultimo messaggio

Nessun messaggio da leggere
Stictoleptura rubra rubra (Linnaeus, 1758) - Cerambycidae
28.VII.2012 - ITALIA - Friuli-Venezia Giulia - PN
Allegato(i) Dettagli della specie
Stictoleptura rubra rubra (Linnaeus, 1758)
Cerambycidae


28.VII.2012 - ITALIA - Friuli-Venezia Giulia - PN
Coleoptera

andreah

2

1352

28/07/2012, 15:50

andreah Vedi ultimo messaggio

Nessun messaggio da leggere
Acanthocinus xanthoneurus (Mulsant & Rey, 1852) - Cerambycidae
16.VI.2012 - ITALIA - Emilia-Romagna - FC
Allegato(i) Dettagli della specie
Acanthocinus xanthoneurus (Mulsant & Rey, 1852)
Cerambycidae


16.VI.2012 - ITALIA - Emilia-Romagna - FC
Coleoptera

Entomarci

13

5024

27/07/2012, 20:47

Entomarci Vedi ultimo messaggio

Nessun messaggio da leggere
Monochamus galloprovincialis (Olivier, 1795) - Cerambycidae
25.VII.2012 - ITALIA - Marche - PU
Allegato(i) Dettagli della specie
Monochamus galloprovincialis (Olivier, 1795)
Cerambycidae


25.VII.2012 - ITALIA - Marche - PU
Coleoptera

marco paglialunga

9

2974

27/07/2012, 20:20

marco paglialunga Vedi ultimo messaggio

Nessun messaggio da leggere
Ropalopus (Ropalopus) varini (Bedel, 1870) - Cerambycidae
14.VII.2012 - ITALIA - Marche - MC
Allegato(i) Dettagli della specie
Ropalopus (Ropalopus) varini (Bedel, 1870)
Cerambycidae


14.VII.2012 - ITALIA - Marche - MC
Coleoptera

StagBeetle

6

2013

27/07/2012, 13:35

Plagionotus Vedi ultimo messaggio

Nessun messaggio da leggere
Leiopus nebulosus nebulosus (Linnaeus, 1758) - Cerambycidae
23.III.2012 - ITALIA - Marche - MC
Allegato(i) Dettagli della specie
Leiopus nebulosus nebulosus (Linnaeus, 1758)
Cerambycidae

[ Vai alla paginaVai alla pagina: 1, 2 ]



23.III.2012 - ITALIA - Marche - MC
Coleoptera

StagBeetle

15

3803

27/07/2012, 9:11

StagBeetle Vedi ultimo messaggio

Nessun messaggio da leggere
Aegomorphus clavipes (Schrank, 1781) - Cerambycidae
10.V.2011 - ITALIA - Marche - AN
Allegato(i) Dettagli della specie
Aegomorphus clavipes (Schrank, 1781)
Cerambycidae


10.V.2011 - ITALIA - Marche - AN
Coleoptera

StagBeetle

0

1024

27/07/2012, 8:55

StagBeetle Vedi ultimo messaggio

Nessun messaggio da leggere
Stenurella bifasciata bifasciata (O. F. Müller, 1776) - Cerambycidae
13.VI.2012 - ITALIA - Emilia-Romagna - FE
Allegato(i) Dettagli della specie
Stenurella bifasciata bifasciata (O. F. Müller, 1776)
Cerambycidae


13.VI.2012 - ITALIA - Emilia-Romagna - FE
Coleoptera

Daniele Maccapani

11

2596

26/07/2012, 14:19

Daniele Maccapani Vedi ultimo messaggio

Nessun messaggio da leggere
Allegato(i)
Pogonocherus eugeniae taygetanus (Pic, 1903) - Cerambycidae
Cerambycidae


24.VII.2012 - GRECIA - EE
Coleoptera

Entomarci

3

1477

26/07/2012, 8:11

Julodis Vedi ultimo messaggio

Nessun messaggio da leggere
Stenurella bifasciata bifasciata (O. F. Müller, 1776) - Cerambycidae
13.VI.2012 - ITALIA - Emilia-Romagna - FE
Allegato(i) Dettagli della specie
Stenurella bifasciata bifasciata (O. F. Müller, 1776)
Cerambycidae


13.VI.2012 - ITALIA - Emilia-Romagna - FE
Coleoptera

Daniele Maccapani

1

1139

25/07/2012, 21:39

Andricus Vedi ultimo messaggio

Nessun messaggio da leggere
Allegato(i) Dettagli della specie
Agapanthia (Agapanthia) maculicornis davidi Sláma, 1986
Cerambycidae


30.V.2012 - ITALIA - Toscana - SI
Coleoptera

Anillus

0

1450

25/07/2012, 19:39

Anillus Vedi ultimo messaggio

Nessun messaggio da leggere
Rhagium (Megarhagium) mordax (De Geer, 1775) - Cerambycidae
25.VII.2012 - ITALIA - Friuli-Venezia Giulia - PN
Allegato(i) Dettagli della specie
Rhagium (Megarhagium) mordax (De Geer, 1775)
Cerambycidae


25.VII.2012 - ITALIA - Friuli-Venezia Giulia - PN
Coleoptera

andreah

5

2038

25/07/2012, 19:29

andreah Vedi ultimo messaggio

Nessun messaggio da leggere
Allegato(i) Dettagli della specie
Agapanthia (Agapanthia) violacea (Fabricius, 1775)
Cerambycidae


V.2012 - GRECIA - EE
Coleoptera

Apoderus

5

2030

25/07/2012, 19:25

Apoderus Vedi ultimo messaggio

Nessun messaggio da leggere
Pachyta quadrimaculata (Linnaeus, 1758) - Cerambycidae
24.VII.2012 - ITALIA - Friuli-Venezia Giulia - PN
Allegato(i) Dettagli della specie
Pachyta quadrimaculata (Linnaeus, 1758)
Cerambycidae


24.VII.2012 - ITALIA - Friuli-Venezia Giulia - PN
Coleoptera

andreah

4

1833

24/07/2012, 21:20

Julodis Vedi ultimo messaggio

Nessun messaggio da leggere
Rhagium (Rhagium) inquisitor inquisitor (Linnaeus, 1758) - Cerambycidae
11.VII.2012 - ITALIA - Trentino-Alto Adige - TN
Allegato(i) Dettagli della specie
Rhagium (Rhagium) inquisitor inquisitor (Linnaeus, 1758)
Cerambycidae


11.VII.2012 - ITALIA - Trentino-Alto Adige - TN
Coleoptera

Mikiphasmide

7

2009

24/07/2012, 12:21

Mikiphasmide Vedi ultimo messaggio

Nessun messaggio da leggere
Opsilia coerulescens (Scopoli, 1763) - Cerambycidae
25.VI.2011 - ITALIA - Marche - MC
Allegato(i) Dettagli della specie
Opsilia coerulescens (Scopoli, 1763)
Cerambycidae


25.VI.2011 - ITALIA - Marche - MC
Coleoptera

StagBeetle

7

1952

24/07/2012, 8:10

StagBeetle Vedi ultimo messaggio

Nessun messaggio da leggere
Ropalopus (Ropalopus) clavipes (Fabricius, 1775) - Cerambycidae
17.VII.2012 - ITALIA - Piemonte - TO
Allegato(i) Dettagli della specie
Ropalopus (Ropalopus) clavipes (Fabricius, 1775)
Cerambycidae


17.VII.2012 - ITALIA - Piemonte - TO
Coleoptera

Laurana

6

1709

23/07/2012, 19:07

Mikiphasmide Vedi ultimo messaggio

Nessun messaggio da leggere
Oberea (Oberea) oculata (Linnaeus, 1758) - Cerambycidae
23.VII.2012 - ITALIA - Friuli-Venezia Giulia - PN
Allegato(i) Dettagli della specie
Oberea (Oberea) oculata (Linnaeus, 1758)
Cerambycidae


23.VII.2012 - ITALIA - Friuli-Venezia Giulia - PN
Coleoptera

andreah

2

1148

23/07/2012, 15:17

andreah Vedi ultimo messaggio

Nessun messaggio da leggere
Icosium tomentosum tomentosum Lucas, 1854 - Cerambycidae
20.VII.2012 - ITALIA - Sardegna - OT
Allegato(i) Dettagli della specie
Icosium tomentosum tomentosum Lucas, 1854
Cerambycidae


20.VII.2012 - ITALIA - Sardegna - OT
Coleoptera

MauroV.

1

1169

22/07/2012, 22:13

Tenebrio Vedi ultimo messaggio

Nessun messaggio da leggere
Aegosoma scabricorne (Scopoli, 1763) - Cerambycidae
20.I.2012 - ITALIA - Marche - PU
Allegato(i) Dettagli della specie
Aegosoma scabricorne (Scopoli, 1763)
Cerambycidae

[ Vai alla paginaVai alla pagina: 1, 2 ]



20.I.2012 - ITALIA - Marche - PU
Coleoptera

Maura

24

6396

21/07/2012, 20:04

Maura Vedi ultimo messaggio

Nessun messaggio da leggere
Aromia moschata moschata (Linnaeus, 1758) - Cerambycidae
20.VII.2012 - ITALIA - Piemonte - VB
Allegato(i) Dettagli della specie
Aromia moschata moschata (Linnaeus, 1758)
Cerambycidae


20.VII.2012 - ITALIA - Piemonte - VB
Coleoptera

Remo

12

4133

20/07/2012, 22:03

Julodis Vedi ultimo messaggio

Nessun messaggio da leggere
Allegato(i) Dettagli della specie
Stictoleptura cordigera cordigera (Fuessly, 1775)
Cerambycidae


12.VII.2012 - ITALIA - Umbria - PG
Coleoptera

Maura

3

1506

19/07/2012, 19:12

Maura Vedi ultimo messaggio

Nessun messaggio da leggere
Allegato(i) Dettagli della specie
Rosalia (Rosalia) alpina alpina (Linnaeus, 1758)
Cerambycidae

[ Vai alla paginaVai alla pagina: 1, 2 ]



17.VII.2012 - ITALIA - Lazio - FR
Coleoptera

Julodis

21

4786

18/07/2012, 23:07

AleP Vedi ultimo messaggio

Nessun messaggio da leggere
Aegosoma scabricorne (Scopoli, 1763) - Cerambycidae
17.VII.2012 - ITALIA - Emilia-Romagna - RE
Allegato(i) Dettagli della specie
Aegosoma scabricorne (Scopoli, 1763)
Cerambycidae


17.VII.2012 - ITALIA - Emilia-Romagna - RE
Coleoptera

Mikiphasmide

6

2535

18/07/2012, 21:59

marco villa Vedi ultimo messaggio

Nessun messaggio da leggere
Allegato(i)
Cyriopalus wallacei (Pascoe, 1869) - Cerambycidae

 
Coleoptera

Isidro

3

1324

18/07/2012, 16:01

Isidro Vedi ultimo messaggio

Nessun messaggio da leggere
Allegato(i) Dettagli della specie
Stenurella bifasciata bifasciata (O. F. Müller, 1776)
Cerambycidae


6.VII.2012 - ITALIA - Abruzzo - AQ
Coleoptera

clido

3

1040

17/07/2012, 19:21

clido Vedi ultimo messaggio

Nessun messaggio da leggere
Phymatodes testaceus (Linnaeus, 1758) - Cerambycidae
14.VII.2012 - ITALIA - Marche - MC
Allegato(i) Dettagli della specie
Phymatodes testaceus (Linnaeus, 1758)
Cerambycidae


14.VII.2012 - ITALIA - Marche - MC
Coleoptera

StagBeetle

2

1076

17/07/2012, 18:10

StagBeetle Vedi ultimo messaggio

Nessun messaggio da leggere
Herophila tristis tristis (Linnaeus, 1767) - Cerambycidae
16.VII.2012 - ITALIA - Veneto - VR
Allegato(i) Dettagli della specie
Herophila tristis tristis (Linnaeus, 1767)
Cerambycidae


16.VII.2012 - ITALIA - Veneto - VR
Coleoptera

AleP

0

877

17/07/2012, 16:39

AleP Vedi ultimo messaggio

Nessun messaggio da leggere
Allegato(i) Dettagli della specie
Xylotrechus (Xylotrechus) stebbingi Gahan, 1906
Cerambycidae


13.III.2012 - ITALIA - Veneto - VR
Coleoptera

AleP

12

3622

15/07/2012, 21:55

AleP Vedi ultimo messaggio

Nessun messaggio da leggere
Glaphyra baiocchii Rapuzzi & Sama, 2012 - nuova specie - Cerambycidae
13.IV.2012 - IRAN, REPUBBLICA ISLAMICA DELL' - EE
Allegato(i)
Glaphyra baiocchii Rapuzzi & Sama, 2012 - nuova specie - Cerambycidae
Cerambycidae

[ Vai alla paginaVai alla pagina: 1, 2 ]



13.IV.2012 - IRAN, REPUBBLICA ISLAMICA DELL' - EE
Coleoptera

Julodis

17

4260

15/07/2012, 11:55

AleP Vedi ultimo messaggio

Nessun messaggio da leggere
Stenopterus rufus rufus (Linnaeus, 1767) - Cerambycidae
14.VI.2012 - ITALIA - Emilia-Romagna - BO
Allegato(i) Dettagli della specie
Stenopterus rufus rufus (Linnaeus, 1767)
Cerambycidae

[ Vai alla paginaVai alla pagina: 1, 2 ]



14.VI.2012 - ITALIA - Emilia-Romagna - BO
Coleoptera

TomTom

23

4978

12/07/2012, 0:27

Daniele Maccapani Vedi ultimo messaggio

Nessun messaggio da leggere
Allegato(i) Dettagli della specie
Chlorophorus sartor (O. F. Müller, 1766)
Cerambycidae


8.VII.2012 - ROMANIA - EE
Coleoptera

cosmln

5

1868

11/07/2012, 20:27

hpl Vedi ultimo messaggio

Nessun messaggio da leggere
Xylotrechus (Xylotrechus) arvicola (Olivier, 1795) - Cerambycidae
1.VII.2012 - ITALIA - Emilia-Romagna - BO
Allegato(i) Dettagli della specie
Xylotrechus (Xylotrechus) arvicola (Olivier, 1795)
Cerambycidae


1.VII.2012 - ITALIA - Emilia-Romagna - BO
Coleoptera

sarsar09

10

2351

11/07/2012, 11:39

sarsar09 Vedi ultimo messaggio

Nessun messaggio da leggere
Pedestredorcadion drusoides (Breuning, 1962) - Cerambycidae
24.IV.2005 - REPUBBLICA ARABA SIRIANA - EE
Allegato(i)
Pedestredorcadion drusoides (Breuning, 1962) - Cerambycidae
Cerambycidae


24.IV.2005 - REPUBBLICA ARABA SIRIANA - EE
Coleoptera

ivo

7

1869

11/07/2012, 10:40

ivo Vedi ultimo messaggio

Nessun messaggio da leggere
Allegato(i)
Pedestredorcadion infernale (Mulsant & Rey, 1863) - Cerambycidae
Cerambycidae


9.V.1994 - TURCHIA - EE
Coleoptera

ivo

2

985

11/07/2012, 10:39

ivo Vedi ultimo messaggio

Nessun messaggio da leggere
Allegato(i) Dettagli della specie
Chlorophorus varius varius (O. F. Müller, 1766)
Cerambycidae


30.VI.2012 - ITALIA - Sicilia - TP
Coleoptera

Marco Ferrante

2

1225

10/07/2012, 19:58

Marco Ferrante Vedi ultimo messaggio

Nessun messaggio da leggere
Allegato(i) Dettagli della specie
Purpuricenus (Purpuricenus) kaehleri kaehleri (Linnaeus, 1758)
Cerambycidae


VII.2012 - ITALIA - Piemonte - VB
Coleoptera

Nibe il Lungo

2

1158

10/07/2012, 7:26

Julodis Vedi ultimo messaggio

Nessun messaggio da leggere
Allegato(i) Dettagli della specie
Purpuricenus (Purpuricenus) kaehleri kaehleri (Linnaeus, 1758)
Cerambycidae


3.VII.2012 - ITALIA - Lazio - VT
Coleoptera

Andricus

4

1334

09/07/2012, 8:25

Julodis Vedi ultimo messaggio

Nessun messaggio da leggere
Stenurella nigra (Linnaeus, 1758) - Cerambycidae
5.VII.2012 - ITALIA - Lazio - VT
Allegato(i) Dettagli della specie
Stenurella nigra (Linnaeus, 1758)
Cerambycidae


5.VII.2012 - ITALIA - Lazio - VT
Coleoptera

Andricus

2

997

09/07/2012, 0:49

Andricus Vedi ultimo messaggio

Nessun messaggio da leggere
Prionus coriarius (Linnaeus, 1758) - Cerambycidae
8.VII.2012 - ITALIA - Piemonte - CN
Allegato(i) Dettagli della specie
Prionus coriarius (Linnaeus, 1758)
Cerambycidae


8.VII.2012 - ITALIA - Piemonte - CN
Coleoptera

Pandaproject

2

1109

09/07/2012, 0:11

Pandaproject Vedi ultimo messaggio

Nessun messaggio da leggere
Allegato(i)
Agapanthia viti Rapuzzi & Sama, 2012 - Cerambycidae

[ Vai alla paginaVai alla pagina: 1, 2 ]



IV.2008 - UNGHERIA - EE
Coleoptera

Trichoferus

15

4213

08/07/2012, 15:22

Plagionotus Vedi ultimo messaggio

Nessun messaggio da leggere
Allegato(i) Dettagli della specie
Xylotrechus (Xylotrechus) antilope antilope (Schöenherr, 1817)
Cerambycidae


23.VI.2012 - ITALIA - Abruzzo - PE
Coleoptera

Alessio89

3

1454

08/07/2012, 15:13

Plagionotus Vedi ultimo messaggio

Nessun messaggio da leggere
Allegato(i) Dettagli della specie
Agapanthia (Agapanthia) cardui (Linnaeus, 1767)
Cerambycidae


15.V.2012 - GRECIA - EE
Coleoptera

Entomarci

3

1539

08/07/2012, 15:08

Plagionotus Vedi ultimo messaggio

Nessun messaggio da leggere
Allegato(i)
Purpuricenus desfontainii desfontainii (Fabricius, 1792) - Cerambycidae
Cerambycidae


23.V.2008 - GRECIA - EE
Coleoptera

Fabio Turchetti

4

1253

08/07/2012, 15:07

Plagionotus Vedi ultimo messaggio

Nessun messaggio da leggere
Cerambyx welensii (Küster, 1845) - Cerambycidae
6.VII.2012 - ITALIA - Marche - PU
Allegato(i) Dettagli della specie
Cerambyx welensii (Küster, 1845)
Cerambycidae


6.VII.2012 - ITALIA - Marche - PU
Coleoptera

marco paglialunga

2

1135

07/07/2012, 21:43

marco paglialunga Vedi ultimo messaggio

Nessun messaggio da leggere
Saperda punctata (Linnaeus, 1767) - Cerambycidae
25.VI.2012 - ITALIA - Molise - IS
Allegato(i) Dettagli della specie
Saperda punctata (Linnaeus, 1767)
Cerambycidae


25.VI.2012 - ITALIA - Molise - IS
Coleoptera

Franco ROSSI

4

1259

06/07/2012, 8:23

Franco ROSSI Vedi ultimo messaggio

Nessun messaggio da leggere
Xylotrechus (Xylotrechus) stebbingi Gahan, 1906 - Cerambycidae
7.XII.2012 - ITALIA - Piemonte - NO
Allegato(i) Dettagli della specie
Xylotrechus (Xylotrechus) stebbingi Gahan, 1906
Cerambycidae


7.XII.2012 - ITALIA - Piemonte - NO
Coleoptera

farinetti

3

1262

05/07/2012, 17:28

conan Vedi ultimo messaggio

Nessun messaggio da leggere
Deilus fugax (Olivier, 1790) - Cerambycidae
13.VI.2012 - ITALIA - Lazio - VT
Allegato(i) Dettagli della specie
Deilus fugax (Olivier, 1790)
Cerambycidae


13.VI.2012 - ITALIA - Lazio - VT
Coleoptera

Andricus

8

1923

05/07/2012, 14:09

Andricus Vedi ultimo messaggio

Nessun messaggio da leggere
Allegato(i) Dettagli della specie
Stenurella bifasciata bifasciata (O. F. Müller, 1776)
Cerambycidae


13.VI.2012 - ITALIA - Lazio - VT
Coleoptera

Andricus

1

880

03/07/2012, 23:13

Phytoecia Vedi ultimo messaggio

Visualizza ultimi argomenti:  Ordina per  Ordine:  
nuovo argomento
Vai alla pagina Precedente  1 ... 56, 57, 58, 59, 60, 61, 62 ... 103  Prossimo
Pagina 59 di 103 [ 5110 argomenti ]

Tutti gli orari sono UTC + 1 ora [ ora legale ]


Chi c’è in linea

Visitano il forum: Nessuno e 3 ospiti


Legenda
Messaggi da leggere Messaggi da leggere Nessun messaggio da leggere Nessun messaggio da leggere Annuncio Annuncio
 
Specie indeterminata / discussione generica
Messaggi non letti [ Popolari ] Messaggi non letti [ Popolari ] Nessun messaggio da leggere [ Popolare ] Nessun messaggio da leggere [ Popolare ] Importante Importante
 
Specie determinata fino al genere o cf.
Messaggi non letti [ Bloccati ] Messaggi non letti [ Bloccati ] No messaggi non letti [ Bloccati ] No messaggi non letti [ Bloccati ] Argomento spostato Argomento spostato
 
Specie correttamente determinata
Permessi
Non puoi aprire nuovi argomenti
Non puoi rispondere negli argomenti
Non puoi modificare i tuoi messaggi
Non puoi cancellare i tuoi messaggi
Non puoi inviare allegati

Cerca per:
Vai a: