Benvenuto Ospite

Forum Entomologi Italiani

www.entomologiitaliani.net/forum
 
Oggi è 17/02/2026, 6:47

Tutti gli orari sono UTC + 1 ora [ ora legale ]


100%
2927 taxa correttamente determinati su 2928 presenti in archivio

Cerambycidae


[ AFROTROPICALE ] [ ANTARTICO ] [ AUSTRALASIANO ] [ NEARTICO ] [ NEOTROPICALE ] [ ORIENTALE ] [ PALEARTICO ]


nuovo argomento
Vai alla pagina Precedente  1 ... 6, 7, 8, 9, 10, 11, 12 ... 59  Prossimo
Pagina 9 di 59 [ 2928 argomenti ]
 Argomenti   Ordine   Autore   Risposte   Visite    Ultimo messaggio 
Annunci
Nessun messaggio da leggere
Allegato(i)
Incontri entomologici della Società Entomologica Italiana 2025-2026
 

Velvet Ant

0

26725

17/11/2025, 19:41

Velvet Ant Vedi ultimo messaggio

Nessun messaggio da leggere
Allegato(i)
Incontri entomologici telematici organizzati dalla Società Entomologica Italiana nel 2022 e nel 2023

[ Vai alla paginaVai alla pagina: 1, 2, 3 ]

 

Velvet Ant

44

1815713

03/03/2023, 15:55

Velvet Ant Vedi ultimo messaggio

Nessun messaggio da leggere  
Allegato(i)
Sondaggio sul declino dell'entomofauna in Italia

[ Vai alla paginaVai alla pagina: 1, 2, 3, 4 ]

 

Velvet Ant

52

2454513

22/10/2022, 19:18

Acquarius Vedi ultimo messaggio

Nessun messaggio da leggere  
Allegato(i)
Progetto: Bibliografia ragionata dei lavori entomologici nei quali sono citati reperti apparsi su FEI

[ Vai alla paginaVai alla pagina: 1, 2, 3 ]

 

Velvet Ant

33

1457618

06/07/2023, 18:31

Orotrechus Vedi ultimo messaggio

Nessun messaggio da leggere
Allegato(i)
Mimesi, il primo documentario cinematografico sull’entomologia in Italia: casting
 

mazzeip

1

1107361

28/02/2019, 20:26

mazzeip Vedi ultimo messaggio

Questo argomento è bloccato, non puoi modificare o inviare ulteriori messaggi.
Allegato(i)
ISTRUZIONI PUBBLICAZIONE NUOVI ARGOMENTI E FOTO

 
Altri Ordini di Insetti

Julodis

4

2913206

13/05/2015, 19:37

Julodis Vedi ultimo messaggio

Nessun messaggio da leggere
Allegato(i)
Limitatore giornaliero di messaggi, uno strumento utile e ormai indispensabile

[ Vai alla paginaVai alla pagina: 1 ... 14, 15, 16 ]

 

Velvet Ant

233

12894616

25/09/2014, 14:31

Inachis Vedi ultimo messaggio

Nessun messaggio da leggere  
NORME PER I COLLABORATORI DEL FORUM

 
 

Velvet Ant

0

647783

02/06/2011, 12:05

Velvet Ant Vedi ultimo messaggio

Nessun messaggio da leggere
Allegato(i)
NORME PER GLI UTENTI DEL FORUM

[ Vai alla paginaVai alla pagina: 1, 2, 3 ]



 
 

Velvet Ant

30

3573979

23/09/2014, 23:54

Maurizio Bollino Vedi ultimo messaggio

Questo argomento è bloccato, non puoi modificare o inviare ulteriori messaggi.  
Elenco delle specie italiane di Cerambycidae presenti sul forum
Cerambycidae


 
Coleoptera

Plagionotus

0

6250

22/11/2010, 22:28

Plagionotus Vedi ultimo messaggio

Nessun messaggio da leggere  
Lista degli utenti del "Forum entomologi italiani" per campi di interesse e specializzazione

 
Altri Ordini di Insetti

Velvet Ant

13

1054937

07/09/2023, 17:14

Roberto-07 Vedi ultimo messaggio

Argomenti
Nessun messaggio da leggere
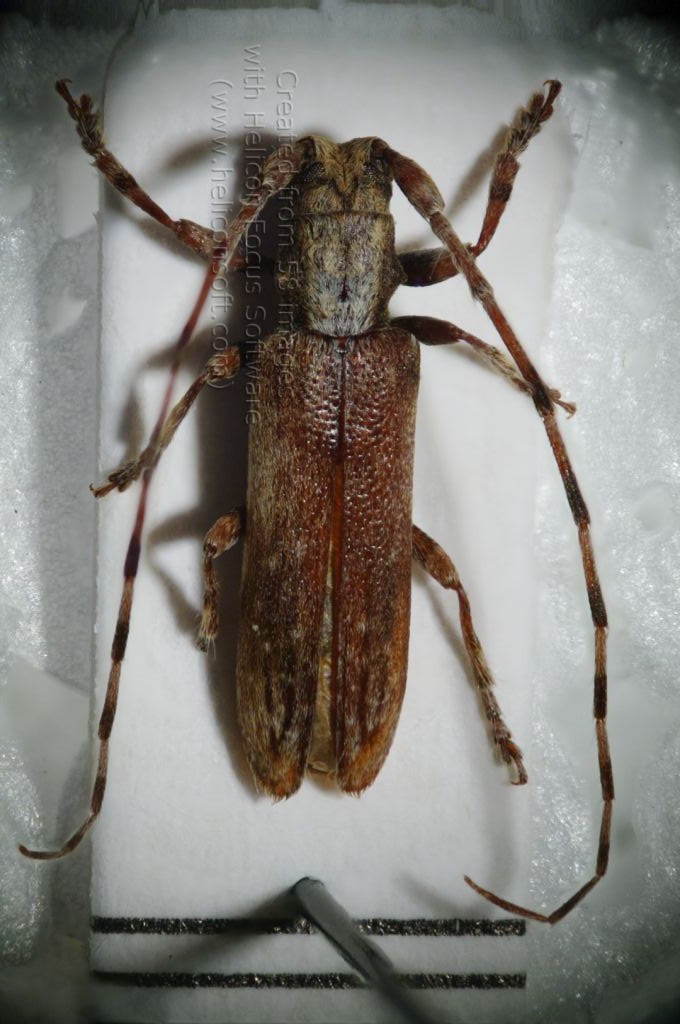
Cerambyx cerdo cerdo Linnaeus, 1758 - Cerambycidae
20.VI.1997 - ITALIA - Campania - NA
Allegato(i) Dettagli della specie
Cerambyx cerdo cerdo Linnaeus, 1758
Cerambycidae


20.VI.1997 - ITALIA - Campania - NA
Coleoptera

Acquarius

6

1947

25/07/2018, 18:02

Acquarius Vedi ultimo messaggio

Nessun messaggio da leggere
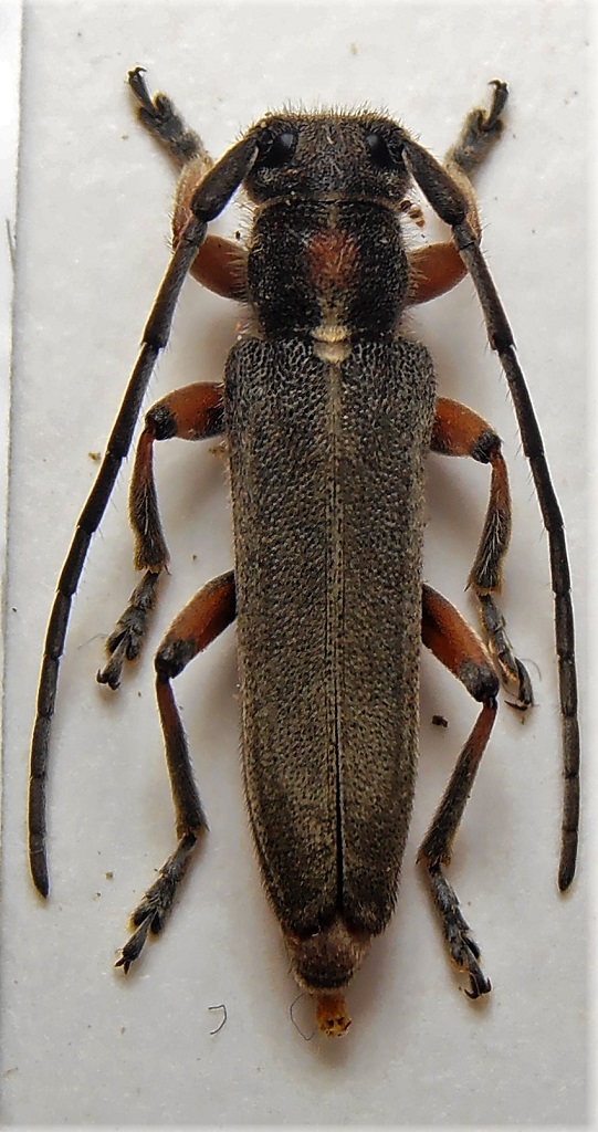
Prionus coriarius (Linnaeus, 1758) - Cerambycidae
18.VII.2018 - ITALIA - Emilia-Romagna - PR
Allegato(i) Dettagli della specie
Prionus coriarius (Linnaeus, 1758)
Cerambycidae


18.VII.2018 - ITALIA - Emilia-Romagna - PR
Coleoptera

b.fra77

1

1085

18/07/2018, 8:50

Il Baratelli Vedi ultimo messaggio

Nessun messaggio da leggere
Prionus coriarius (Linnaeus, 1758) - Cerambycidae
16.VII.2018 - ITALIA - Liguria - SV
Allegato(i) Dettagli della specie
Prionus coriarius (Linnaeus, 1758)
Cerambycidae


16.VII.2018 - ITALIA - Liguria - SV
Coleoptera

fabio.aste

6

1689

17/07/2018, 12:43

fabio.aste Vedi ultimo messaggio

Nessun messaggio da leggere
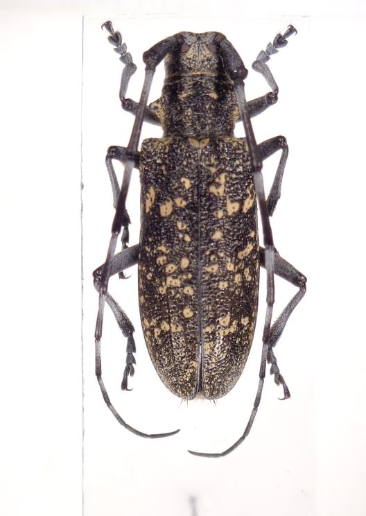
Ropalopus (Ropalopus) clavipes (Fabricius, 1775) - Cerambycidae
17.VI.2018 - ITALIA - Lombardia - LC
Allegato(i) Dettagli della specie
Ropalopus (Ropalopus) clavipes (Fabricius, 1775)
Cerambycidae


17.VI.2018 - ITALIA - Lombardia - LC
Coleoptera

silviana

2

1001

16/07/2018, 21:07

silviana Vedi ultimo messaggio

Nessun messaggio da leggere
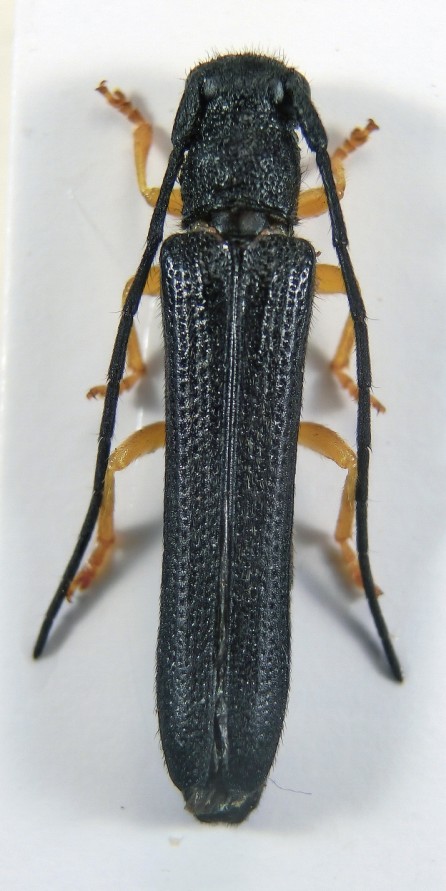
Paracorymbia fulva (De Geer, 1775) - Cerambycidae
11.VII.2018 - ITALIA - Piemonte - BI
Allegato(i) Dettagli della specie
Paracorymbia fulva (De Geer, 1775)
Cerambycidae


11.VII.2018 - ITALIA - Piemonte - BI
Coleoptera

esakki

2

1053

12/07/2018, 14:32

Plagionotus Vedi ultimo messaggio

Nessun messaggio da leggere
Rutpela maculata maculata (Poda, 1761) - Cerambycidae
11.VII.2018 - ITALIA - Piemonte - BI
Allegato(i) Dettagli della specie
Rutpela maculata maculata (Poda, 1761)
Cerambycidae


11.VII.2018 - ITALIA - Piemonte - BI
Coleoptera

esakki

2

1032

12/07/2018, 10:48

f.izzillo Vedi ultimo messaggio

Nessun messaggio da leggere
Pachytodes erraticus erraticus (Dalman, 1817) - Cerambycidae
8.VII.2018 - ITALIA - Sicilia - PA
Allegato(i) Dettagli della specie
Pachytodes erraticus erraticus (Dalman, 1817)
Cerambycidae


8.VII.2018 - ITALIA - Sicilia - PA
Coleoptera

Caliddo

0

881

11/07/2018, 12:00

Caliddo Vedi ultimo messaggio

Nessun messaggio da leggere
Monochamus galloprovincialis (Olivier, 1795) - Cerambycidae
15.VIII.2005 - ITALIA - Friuli-Venezia Giulia - PN
Allegato(i) Dettagli della specie
Monochamus galloprovincialis (Olivier, 1795)
Cerambycidae


15.VIII.2005 - ITALIA - Friuli-Venezia Giulia - PN
Coleoptera

Chalybion

1

1120

11/07/2018, 7:14

michele.carraretto Vedi ultimo messaggio

Nessun messaggio da leggere
Monochamus sutor sutor (Linnaeus, 1758) - Cerambycidae
3.VI.2018 - ITALIA - Friuli-Venezia Giulia - UD
Allegato(i) Dettagli della specie
Monochamus sutor sutor (Linnaeus, 1758)
Cerambycidae


3.VI.2018 - ITALIA - Friuli-Venezia Giulia - UD
Coleoptera

Chalybion

2

1492

10/07/2018, 18:17

Chalybion Vedi ultimo messaggio

Nessun messaggio da leggere
Oberea (Oberea) linearis (Linnaeus, 1760) - Cerambycidae
2.VI.2013 - ITALIA - Marche - MC
Allegato(i) Dettagli della specie
Oberea (Oberea) linearis (Linnaeus, 1760)
Cerambycidae


2.VI.2013 - ITALIA - Marche - MC
Coleoptera

StagBeetle

11

3028

05/07/2018, 22:23

cosmln Vedi ultimo messaggio

Nessun messaggio da leggere
Clytus clavicornis Reiche, 1860 - Cerambycidae
25.IV.2011 - ITALIA - Sicilia - PA
Allegato(i) Dettagli della specie
Clytus clavicornis Reiche, 1860
Cerambycidae


25.IV.2011 - ITALIA - Sicilia - PA
Coleoptera

Entomarci

2

1537

04/07/2018, 11:42

Caliddo Vedi ultimo messaggio

Nessun messaggio da leggere
Stenopterus ater (Linnaeus, 1767) - Cerambycidae
1.VII.2018 - ITALIA - Lazio - RM
Allegato(i) Dettagli della specie
Stenopterus ater (Linnaeus, 1767)
Cerambycidae


1.VII.2018 - ITALIA - Lazio - RM
Coleoptera

Giogiò80

2

1183

03/07/2018, 15:17

Giogiò80 Vedi ultimo messaggio

Nessun messaggio da leggere
Lamia textor (Linnaeus, 1758) - Cerambycidae
2.VII.2018 - ITALIA - Lazio - RI
Allegato(i) Dettagli della specie
Lamia textor (Linnaeus, 1758)
Cerambycidae


2.VII.2018 - ITALIA - Lazio - RI
Coleoptera

Julodis

1

1369

03/07/2018, 12:57

hypotyphlus Vedi ultimo messaggio

Nessun messaggio da leggere
Morimus asper asper (Sulzer, 1776) - Cerambycidae
1.VII.2018 - ITALIA - Marche - MC
Allegato(i) Dettagli della specie
Morimus asper asper (Sulzer, 1776)
Cerambycidae


1.VII.2018 - ITALIA - Marche - MC
Coleoptera

StagBeetle

2

1077

03/07/2018, 8:53

Julodis Vedi ultimo messaggio

Nessun messaggio da leggere
Deroplia troberti troberti (Mulsant, 1843) - Cerambycidae
27.VI.2018 - ITALIA - Sardegna - OR
Allegato(i) Dettagli della specie
Deroplia troberti troberti (Mulsant, 1843)
Cerambycidae


27.VI.2018 - ITALIA - Sardegna - OR
Coleoptera

Adriana49

2

1054

02/07/2018, 7:39

Adriana49 Vedi ultimo messaggio

Nessun messaggio da leggere
Cerambyx cerdo cerdo Linnaeus, 1758 - Cerambycidae
24.VI.2018 - ITALIA - Sicilia - SR
Allegato(i) Dettagli della specie
Cerambyx cerdo cerdo Linnaeus, 1758
Cerambycidae


24.VI.2018 - ITALIA - Sicilia - SR
Coleoptera

Gregorio

8

2340

01/07/2018, 17:45

Plagionotus Vedi ultimo messaggio

Nessun messaggio da leggere
Rutpela maculata maculata (Poda, 1761) - Cerambycidae
29.VI.2018 - ITALIA - Lombardia - LC
Allegato(i) Dettagli della specie
Rutpela maculata maculata (Poda, 1761)
Cerambycidae


29.VI.2018 - ITALIA - Lombardia - LC
Coleoptera

pinux

1

1018

30/06/2018, 12:11

f.izzillo Vedi ultimo messaggio

Nessun messaggio da leggere
Stenopterus rufus rufus (Linnaeus, 1767) - Cerambycidae
25.VI.2018 - ITALIA - Lombardia - LC
Allegato(i) Dettagli della specie
Stenopterus rufus rufus (Linnaeus, 1767)
Cerambycidae


25.VI.2018 - ITALIA - Lombardia - LC
Coleoptera

pinux

2

1289

28/06/2018, 20:49

pinux Vedi ultimo messaggio

Nessun messaggio da leggere
Aromia bungii (Faldermann, 1835) - Cerambycidae
28.VI.2012 - ITALIA - Campania - NA
Allegato(i) Dettagli della specie
Aromia bungii (Faldermann, 1835)
Cerambycidae

[ Vai alla paginaVai alla pagina: 1, 2, 3 ]



28.VI.2012 - ITALIA - Campania - NA
Coleoptera

gdefilippo

42

12659

26/06/2018, 22:01

f.izzillo Vedi ultimo messaggio

Nessun messaggio da leggere
Deilus fugax (Olivier, 1790) - Cerambycidae
10.VI.2018 - ITALIA - Emilia-Romagna - BO
Allegato(i) Dettagli della specie
Deilus fugax (Olivier, 1790)
Cerambycidae


10.VI.2018 - ITALIA - Emilia-Romagna - BO
Coleoptera

checcapitipiti

2

1133

24/06/2018, 9:22

checcapitipiti Vedi ultimo messaggio

Nessun messaggio da leggere
Allegato(i) Dettagli della specie
Agapanthia (Epoptes) sicula malmerendii Sama, 1981
Cerambycidae


16.VI.2018 - ITALIA - Calabria - CS
Coleoptera

aiello antonio

4

1749

22/06/2018, 22:34

aiello antonio Vedi ultimo messaggio

Nessun messaggio da leggere
Rutpela maculata maculata (Poda, 1761) - Cerambycidae
18.VI.2018 - ITALIA - Lombardia - LC
Allegato(i) Dettagli della specie
Rutpela maculata maculata (Poda, 1761)
Cerambycidae


18.VI.2018 - ITALIA - Lombardia - LC
Coleoptera

etguarna

3

1426

19/06/2018, 0:39

etguarna Vedi ultimo messaggio

Nessun messaggio da leggere
Allegato(i) Dettagli della specie
Agapanthia (Agapanthia) suturalis (Fabricius, 1787)
Cerambycidae


13.VI.2018 - ITALIA - Sicilia - ME
Coleoptera

SergioDini

5

1777

16/06/2018, 13:11

SergioDini Vedi ultimo messaggio

Nessun messaggio da leggere
Xylotrechus (Xylotrechus) stebbingi Gahan, 1906 - Cerambycidae
11.VI.2018 - ITALIA - Friuli-Venezia Giulia - UD
Allegato(i) Dettagli della specie
Xylotrechus (Xylotrechus) stebbingi Gahan, 1906
Cerambycidae


11.VI.2018 - ITALIA - Friuli-Venezia Giulia - UD
Coleoptera

cimicifuga

5

1746

13/06/2018, 9:10

gomphus Vedi ultimo messaggio

Nessun messaggio da leggere
Allegato(i) Dettagli della specie
Stenurella bifasciata bifasciata (O. F. Müller, 1776)
Cerambycidae


6.VI.2018 - ITALIA - Liguria - GE
Coleoptera

fiocchino

1

986

08/06/2018, 19:05

michele.carraretto Vedi ultimo messaggio

Nessun messaggio da leggere  
Allegato(i) Dettagli della specie
Pronocera angusta (Kriechbaumer, 1844)
Cerambycidae


V.2018 - ITALIA - Trentino-Alto Adige - BZ
Coleoptera

michele.carraretto

5

1559

07/06/2018, 9:01

hypotyphlus Vedi ultimo messaggio

Nessun messaggio da leggere
Stictoleptura cordigera cordigera (Fuessly, 1775) - Cerambycidae
4.VI.2018 - ITALIA - Emilia-Romagna - RN
Allegato(i) Dettagli della specie
Stictoleptura cordigera cordigera (Fuessly, 1775)
Cerambycidae


4.VI.2018 - ITALIA - Emilia-Romagna - RN
Coleoptera

coneshell

2

970

06/06/2018, 13:59

coneshell Vedi ultimo messaggio

Nessun messaggio da leggere
Allegato(i) Dettagli della specie
Pogonocherus hispidulus (Piller & Mitterpacher, 1783)
Cerambycidae


26.V.2018 - ITALIA - Lombardia - LC
Coleoptera

pinux

2

909

28/05/2018, 0:18

pinux Vedi ultimo messaggio

Nessun messaggio da leggere
Chlorophorus sartor (O. F. Müller, 1766) - Cerambycidae
22.V.2018 - ITALIA - Sicilia - CT
Allegato(i) Dettagli della specie
Chlorophorus sartor (O. F. Müller, 1766)
Cerambycidae


22.V.2018 - ITALIA - Sicilia - CT
Coleoptera

skapc66

1

946

25/05/2018, 9:27

Plagionotus Vedi ultimo messaggio

Nessun messaggio da leggere
Opsilia coerulescens (Scopoli, 1763) - Cerambycidae
20.V.2018 - ITALIA - Sardegna - NU
Allegato(i) Dettagli della specie
Opsilia coerulescens (Scopoli, 1763)
Cerambycidae


20.V.2018 - ITALIA - Sardegna - NU
Coleoptera

Adriana49

3

1228

22/05/2018, 23:08

Plagionotus Vedi ultimo messaggio

Nessun messaggio da leggere
Pseudovadonia livida livida (Fabricius, 1777) - Cerambycidae
14.V.2018 - ITALIA - Toscana - FI
Allegato(i) Dettagli della specie
Pseudovadonia livida livida (Fabricius, 1777)
Cerambycidae


14.V.2018 - ITALIA - Toscana - FI
Coleoptera

Dicomed

1

788

22/05/2018, 7:14

Julodis Vedi ultimo messaggio

Nessun messaggio da leggere
Plagionotus arcuatus (Linnaeus, 1758) - Cerambycidae
24.VI.2014 - ITALIA - Emilia-Romagna - PR
Allegato(i) Dettagli della specie
Plagionotus arcuatus (Linnaeus, 1758)
Cerambycidae


24.VI.2014 - ITALIA - Emilia-Romagna - PR
Coleoptera

skapc66

1

853

17/05/2018, 8:52

Giuseppe Vedi ultimo messaggio

Nessun messaggio da leggere
Cerambyx scopolii scopolii Fuessly, 1775 - Cerambycidae
13.V.2018 - ITALIA - Campania - SA
Allegato(i) Dettagli della specie
Cerambyx scopolii scopolii Fuessly, 1775
Cerambycidae


13.V.2018 - ITALIA - Campania - SA
Coleoptera

Mattia D'Amato

3

1174

14/05/2018, 18:32

Plagionotus Vedi ultimo messaggio

Nessun messaggio da leggere
Clytus triangulimacula Costa, 1847 - Cerambycidae
11.V.2018 - ITALIA - Molise - IS
Allegato(i) Dettagli della specie
Clytus triangulimacula Costa, 1847
Cerambycidae


11.V.2018 - ITALIA - Molise - IS
Coleoptera

Franco ROSSI

13

3045

14/05/2018, 13:07

Franco ROSSI Vedi ultimo messaggio

Nessun messaggio da leggere
Opsilia coerulescens (Scopoli, 1763) - Cerambycidae
11.V.2018 - ITALIA - Sardegna - OR
Allegato(i) Dettagli della specie
Opsilia coerulescens (Scopoli, 1763)
Cerambycidae


11.V.2018 - ITALIA - Sardegna - OR
Coleoptera

Mauro

2

961

14/05/2018, 12:39

Mauro Vedi ultimo messaggio

Nessun messaggio da leggere
Phytoecia vulneris vulneris Aurivillius, 1923 - Cerambycidae
10.V.2018 - ITALIA - Friuli-Venezia Giulia - GO
Allegato(i) Dettagli della specie
Phytoecia vulneris vulneris Aurivillius, 1923
Cerambycidae


10.V.2018 - ITALIA - Friuli-Venezia Giulia - GO
Coleoptera

Agdistis

6

2020

13/05/2018, 21:38

Plagionotus Vedi ultimo messaggio

Nessun messaggio da leggere
Callimus angulatus angulatus (Schrank, 1789) - Cerambycidae
5.IV.2018 - ITALIA - Friuli-Venezia Giulia - TS
Allegato(i) Dettagli della specie
Callimus angulatus angulatus (Schrank, 1789)
Cerambycidae


5.IV.2018 - ITALIA - Friuli-Venezia Giulia - TS
Coleoptera

Agdistis

11

3003

12/05/2018, 20:52

Plagionotus Vedi ultimo messaggio

Nessun messaggio da leggere
Obrium brunneum (Fabricius, 1792) - Cerambycidae
5.IV.2018 - ITALIA - Friuli-Venezia Giulia - TS
Allegato(i) Dettagli della specie
Obrium brunneum (Fabricius, 1792)
Cerambycidae


5.IV.2018 - ITALIA - Friuli-Venezia Giulia - TS
Coleoptera

Agdistis

2

1330

07/05/2018, 23:26

Agdistis Vedi ultimo messaggio

Nessun messaggio da leggere
Phytoecia vulneris vulneris Aurivillius, 1923 - Cerambycidae
21.IV.2018 - ITALIA - Emilia-Romagna - BO
Allegato(i) Dettagli della specie
Phytoecia vulneris vulneris Aurivillius, 1923
Cerambycidae


21.IV.2018 - ITALIA - Emilia-Romagna - BO
Coleoptera

Carlo A.

4

1794

07/05/2018, 12:49

Carlo A. Vedi ultimo messaggio

Nessun messaggio da leggere
Allegato(i) Dettagli della specie
Dorcadion (Pedestredorcadion) etruscum (Rossi, 1790)
Cerambycidae


3.V.2018 - ITALIA - Molise - IS
Coleoptera

Franco ROSSI

2

1317

05/05/2018, 14:38

Franco ROSSI Vedi ultimo messaggio

Nessun messaggio da leggere
Deroplia genei genei (Aragona, 1830) - Cerambycidae
30.IV.2018 - ITALIA - Friuli-Venezia Giulia - TS
Allegato(i) Dettagli della specie
Deroplia genei genei (Aragona, 1830)
Cerambycidae


30.IV.2018 - ITALIA - Friuli-Venezia Giulia - TS
Coleoptera

Agdistis

4

1792

04/05/2018, 16:18

Plagionotus Vedi ultimo messaggio

Nessun messaggio da leggere
Allegato(i) Dettagli della specie
Agapanthia (Agapanthia) cardui (Linnaeus, 1767)
Cerambycidae


1.V.2018 - ITALIA - Sicilia - SR
Coleoptera

skapc66

2

1353

04/05/2018, 7:14

michele.carraretto Vedi ultimo messaggio

Nessun messaggio da leggere
Mesosa curculionoides (Linnaeus, 1760) - Cerambycidae
21.IV.2018 - ITALIA - Trentino-Alto Adige - TN
Allegato(i) Dettagli della specie
Mesosa curculionoides (Linnaeus, 1760)
Cerambycidae


21.IV.2018 - ITALIA - Trentino-Alto Adige - TN
Coleoptera

Syrio

8

2466

30/04/2018, 12:26

Tc70 Vedi ultimo messaggio

Nessun messaggio da leggere
Allegato(i) Dettagli della specie
Herophila tristis martinascoi (Contarini & Garagnani, 1983)
Cerambycidae


9.IV.2018 - ITALIA - Calabria - RC
Coleoptera

Limonium calabrum

1

1384

29/04/2018, 8:05

hypotyphlus Vedi ultimo messaggio

Nessun messaggio da leggere
Allegato(i) Dettagli della specie
Dorcadion (Pedestredorcadion) etruscum (Rossi, 1790)
Cerambycidae


9.IV.2018 - ITALIA - Calabria - RC
Coleoptera

Limonium calabrum

0

1012

29/04/2018, 4:24

Limonium calabrum Vedi ultimo messaggio

Nessun messaggio da leggere
Musaria cephalotes (Küster, 1846) - Cerambycidae
26.IV.2018 - ITALIA - Marche - PU
Allegato(i) Dettagli della specie
Musaria cephalotes (Küster, 1846)
Cerambycidae


26.IV.2018 - ITALIA - Marche - PU
Coleoptera

Sleepy Moose

2

1258

28/04/2018, 21:53

hypotyphlus Vedi ultimo messaggio

Nessun messaggio da leggere
Morimus asper asper (Sulzer, 1776) - Cerambycidae
1.V.1982 - ITALIA - Piemonte - AT
Allegato(i) Dettagli della specie
Morimus asper asper (Sulzer, 1776)
Cerambycidae


1.V.1982 - ITALIA - Piemonte - AT
Coleoptera

Pandaproject

5

1640

28/04/2018, 21:44

gomphus Vedi ultimo messaggio

Nessun messaggio da leggere
Allegato(i) Dettagli della specie
Dorcadion (Pedestredorcadion) etruscum (Rossi, 1790)
Cerambycidae


20.IV.2018 - ITALIA - Toscana - FI
Coleoptera

Sleepy Moose

1

1115

28/04/2018, 19:53

Nicola Vedi ultimo messaggio

Nessun messaggio da leggere
Allegato(i) Dettagli della specie
Dorcadion (Pedestredorcadion) etruscum (Rossi, 1790)
Cerambycidae


20.IV.2018 - ITALIA - Toscana - FI
Coleoptera

Sleepy Moose

2

1041

28/04/2018, 11:53

Sleepy Moose Vedi ultimo messaggio

Nessun messaggio da leggere
Opsilia coerulescens (Scopoli, 1763) - Cerambycidae
10.IV.2018 - ITALIA - Campania - SA
Allegato(i) Dettagli della specie
Opsilia coerulescens (Scopoli, 1763)
Cerambycidae


10.IV.2018 - ITALIA - Campania - SA
Coleoptera

giuseppe cataldo

2

865

21/04/2018, 23:50

giuseppe cataldo Vedi ultimo messaggio

Visualizza ultimi argomenti:  Ordina per  Ordine:  
nuovo argomento
Vai alla pagina Precedente  1 ... 6, 7, 8, 9, 10, 11, 12 ... 59  Prossimo
Pagina 9 di 59 [ 2928 argomenti ]

Tutti gli orari sono UTC + 1 ora [ ora legale ]


Chi c’è in linea

Visitano il forum: Nessuno e 2 ospiti


Legenda
Messaggi da leggere Messaggi da leggere Nessun messaggio da leggere Nessun messaggio da leggere Annuncio Annuncio
 
Specie indeterminata / discussione generica
Messaggi non letti [ Popolari ] Messaggi non letti [ Popolari ] Nessun messaggio da leggere [ Popolare ] Nessun messaggio da leggere [ Popolare ] Importante Importante
 
Specie determinata fino al genere o cf.
Messaggi non letti [ Bloccati ] Messaggi non letti [ Bloccati ] No messaggi non letti [ Bloccati ] No messaggi non letti [ Bloccati ] Argomento spostato Argomento spostato
 
Specie correttamente determinata
Permessi
Non puoi aprire nuovi argomenti
Non puoi rispondere negli argomenti
Non puoi modificare i tuoi messaggi
Non puoi cancellare i tuoi messaggi
Non puoi inviare allegati

Cerca per:
Vai a: