Benvenuto Ospite

Forum Entomologi Italiani

www.entomologiitaliani.net/forum
 
Oggi è 24/12/2025, 12:22

Tutti gli orari sono UTC + 1 ora [ ora legale ]


92% 
2927 taxa correttamente determinati su 3180 presenti in archivio

Cerambycidae


[ AFROTROPICALE ] [ ANTARTICO ] [ AUSTRALASIANO ] [ NEARTICO ] [ NEOTROPICALE ] [ ORIENTALE ] [ PALEARTICO ]


nuovo argomento
Vai alla pagina Precedente  1 ... 78, 79, 80, 81, 82, 83, 84 ... 103  Prossimo
Pagina 81 di 103 [ 5105 argomenti ]
 Argomenti   Ordine   Autore   Risposte   Visite    Ultimo messaggio 
Annunci
Nessun messaggio da leggere
Allegato(i)
Incontri entomologici della Società Entomologica Italiana 2025-2026
 

Velvet Ant

0

14298

17/11/2025, 19:41

Velvet Ant Vedi ultimo messaggio

Nessun messaggio da leggere
Allegato(i)
Incontri entomologici telematici organizzati dalla Società Entomologica Italiana nel 2022 e nel 2023

[ Vai alla paginaVai alla pagina: 1, 2, 3 ]

 

Velvet Ant

44

1703560

03/03/2023, 15:55

Velvet Ant Vedi ultimo messaggio

Nessun messaggio da leggere  
Allegato(i)
Sondaggio sul declino dell'entomofauna in Italia

[ Vai alla paginaVai alla pagina: 1, 2, 3, 4 ]

 

Velvet Ant

52

2328065

22/10/2022, 19:18

Acquarius Vedi ultimo messaggio

Nessun messaggio da leggere  
Allegato(i)
Progetto: Bibliografia ragionata dei lavori entomologici nei quali sono citati reperti apparsi su FEI

[ Vai alla paginaVai alla pagina: 1, 2, 3 ]

 

Velvet Ant

33

1367750

06/07/2023, 18:31

Orotrechus Vedi ultimo messaggio

Nessun messaggio da leggere
Allegato(i)
Mimesi, il primo documentario cinematografico sull’entomologia in Italia: casting
 

mazzeip

1

1088735

28/02/2019, 20:26

mazzeip Vedi ultimo messaggio

Questo argomento è bloccato, non puoi modificare o inviare ulteriori messaggi.
Allegato(i)
ISTRUZIONI PUBBLICAZIONE NUOVI ARGOMENTI E FOTO

 
Altri Ordini di Insetti

Julodis

4

2887301

13/05/2015, 19:37

Julodis Vedi ultimo messaggio

Nessun messaggio da leggere
Allegato(i)
Limitatore giornaliero di messaggi, uno strumento utile e ormai indispensabile

[ Vai alla paginaVai alla pagina: 1 ... 14, 15, 16 ]

 

Velvet Ant

233

12444429

25/09/2014, 14:31

Inachis Vedi ultimo messaggio

Nessun messaggio da leggere  
NORME PER I COLLABORATORI DEL FORUM

 
 

Velvet Ant

0

633521

02/06/2011, 12:05

Velvet Ant Vedi ultimo messaggio

Nessun messaggio da leggere
Allegato(i)
NORME PER GLI UTENTI DEL FORUM

[ Vai alla paginaVai alla pagina: 1, 2, 3 ]



 
 

Velvet Ant

30

3485340

23/09/2014, 23:54

Maurizio Bollino Vedi ultimo messaggio

Questo argomento è bloccato, non puoi modificare o inviare ulteriori messaggi.  
Elenco delle specie italiane di Cerambycidae presenti sul forum
Cerambycidae


 
Coleoptera

Plagionotus

0

6121

22/11/2010, 22:28

Plagionotus Vedi ultimo messaggio

Nessun messaggio da leggere  
Lista degli utenti del "Forum entomologi italiani" per campi di interesse e specializzazione

 
Altri Ordini di Insetti

Velvet Ant

13

1010089

07/09/2023, 17:14

Roberto-07 Vedi ultimo messaggio

Argomenti
Nessun messaggio da leggere
Dorcadion sp. - Cerambycidae
17.V.2000 - GRECIA - EE
Allegato(i)
Dorcadion sp. - Cerambycidae

17.V.2000 - GRECIA - EE
Coleoptera

ivo

5

989

11/02/2011, 19:25

ivo Vedi ultimo messaggio

Nessun messaggio da leggere
Allegato(i)
Dorcadion (Pedestredorcadion) taborskyi Heyrovsky, 1941 - Cerambycidae
Cerambycidae


GRECIA - EE
Coleoptera

Maurizio Bollino

4

1279

11/02/2011, 13:07

Maurizio Bollino Vedi ultimo messaggio

Nessun messaggio da leggere
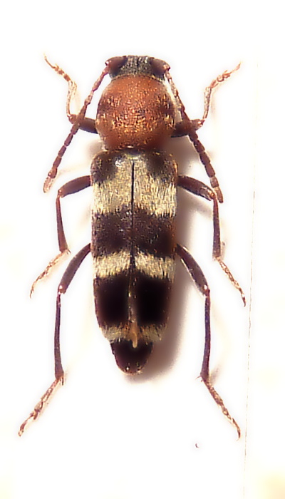
Saperda scalaris scalaris (Linnaeus, 1758) - Cerambycidae
15.I.2011 - ITALIA - Abruzzo - PE
Allegato(i) Dettagli della specie
Saperda scalaris scalaris (Linnaeus, 1758)
Cerambycidae


15.I.2011 - ITALIA - Abruzzo - PE
Coleoptera

Alessio89

12

2006

11/02/2011, 0:30

Lucanus tetraodon Vedi ultimo messaggio

Nessun messaggio da leggere
Allegato(i)
Mesoprionus besikanus (Fairmaire, 1855) cf. - Cerambycidae Prioninae

[ Vai alla paginaVai alla pagina: 1, 2 ]



13.VII.2005 - TURCHIA - EE
Coleoptera

Dave

16

3122

10/02/2011, 22:43

Dave Vedi ultimo messaggio

Nessun messaggio da leggere
Chlorophorus robustior Pic, 1900 - Cerambycidae
6.VII.2006 - TURCHIA - EE
Allegato(i)
Chlorophorus robustior Pic, 1900 - Cerambycidae

[ Vai alla paginaVai alla pagina: 1, 2 ]



6.VII.2006 - TURCHIA - EE
Coleoptera

Dave

17

3836

10/02/2011, 22:29

Dave Vedi ultimo messaggio

Nessun messaggio da leggere
Allegato(i) Dettagli della specie
Strangalia attenuata (Linnaeus, 1758)
Cerambycidae


24.VII.2010 - ROMANIA - EE
Coleoptera

cosmln

1

1173

10/02/2011, 19:59

Entomarci Vedi ultimo messaggio

Nessun messaggio da leggere
Dorcadion (Pedestredorcadion) kaimakcalanum (Jurecek, 1929) - Cerambycidae
8.VII.2010 - MACEDONIA, REPUBBLICA JUGOSLAVA DELLA - EE
Allegato(i)
Dorcadion (Pedestredorcadion) kaimakcalanum (Jurecek, 1929) - Cerambycidae

[ Vai alla paginaVai alla pagina: 1, 2 ]



8.VII.2010 - MACEDONIA, REPUBBLICA JUGOSLAVA DELLA - EE
Coleoptera

zdeno

29

6789

10/02/2011, 18:20

Plagionotus Vedi ultimo messaggio

Nessun messaggio da leggere
Aegosoma scabricorne (Scopoli, 1763) - Cerambycidae
10.II.2011 - ITALIA - Marche - AN
Allegato(i) Dettagli della specie
Aegosoma scabricorne (Scopoli, 1763)
Cerambycidae


10.II.2011 - ITALIA - Marche - AN
Coleoptera

StagBeetle

5

2007

10/02/2011, 16:30

michele.carraretto Vedi ultimo messaggio

Nessun messaggio da leggere
Saperda perforata (Pallas, 1773) - Cerambycidae
II.2011 - REPUBBLICA CECA - EE
Allegato(i) Dettagli della specie
Saperda perforata (Pallas, 1773)
Cerambycidae


II.2011 - REPUBBLICA CECA - EE
Coleoptera

Trichoferus

8

2434

10/02/2011, 16:10

Plagionotus Vedi ultimo messaggio

Nessun messaggio da leggere
Deroplia troberti troberti (Mulsant, 1843) - Cerambycidae
8.II.2011 - ITALIA - Sardegna - CA
Allegato(i) Dettagli della specie
Deroplia troberti troberti (Mulsant, 1843)
Cerambycidae


8.II.2011 - ITALIA - Sardegna - CA
Coleoptera

Fumea crassiorella

5

1323

10/02/2011, 16:08

Plagionotus Vedi ultimo messaggio

Nessun messaggio da leggere
Allegato(i) Dettagli della specie
Leptura quadrifasciata quadrifasciata Linnaeus, 1758
Cerambycidae


24.VII.2010 - ROMANIA - EE
Coleoptera

cosmln

0

798

10/02/2011, 13:25

cosmln Vedi ultimo messaggio

Nessun messaggio da leggere
Allegato(i) Dettagli della specie
Etorofus pubescens (Fabricius, 1787)
Cerambycidae


24.VII.2010 - ROMANIA - EE
Coleoptera

cosmln

0

758

10/02/2011, 11:01

cosmln Vedi ultimo messaggio

Nessun messaggio da leggere
Pogonocherus dimidiatus Blessig, 1873 - Cerambycidae
12.VI.1994 - FEDERAZIONE RUSSA - EE
Allegato(i)
Pogonocherus dimidiatus Blessig, 1873 - Cerambycidae

12.VI.1994 - FEDERAZIONE RUSSA - EE
Coleoptera

Velvet Ant

4

1165

10/02/2011, 9:31

cosmln Vedi ultimo messaggio

Nessun messaggio da leggere
Anaglyptus gibbosus (Fabricius, 1787) - Cerambycidae
VI.2010 - ITALIA - Piemonte - TO
Allegato(i) Dettagli della specie
Anaglyptus gibbosus (Fabricius, 1787)
Cerambycidae


VI.2010 - ITALIA - Piemonte - TO
Coleoptera

Gremu

5

1232

10/02/2011, 1:20

Gremu Vedi ultimo messaggio

Nessun messaggio da leggere
Axinopalpis gracilis gracilis (Krynicki, 1832) - Cerambycidae
22.V.2009 - ITALIA - Emilia-Romagna - FC
Allegato(i) Dettagli della specie
Axinopalpis gracilis gracilis (Krynicki, 1832)
Cerambycidae


22.V.2009 - ITALIA - Emilia-Romagna - FC
Coleoptera

Entomarci

2

1044

09/02/2011, 23:15

Plagionotus Vedi ultimo messaggio

Nessun messaggio da leggere
Allegato(i)
Dorcadion (Pedestredorcadion) cf. parnassi Kraatz, 1873 - Cerambycidae

GRECIA - EE
Coleoptera

zdeno

3

965

09/02/2011, 13:57

zdeno Vedi ultimo messaggio

Nessun messaggio da leggere
Allegato(i)
Dorcadion (Pedestredorcadion) eugeniae emgei Ganglbauer, 1886 - Cerambycidae

VI.2010 - GRECIA - EE
Coleoptera

zdeno

4

1092

09/02/2011, 13:56

zdeno Vedi ultimo messaggio

Nessun messaggio da leggere
Allegato(i)
Dorcadion (Pedestredorcadion) minutum (Kraatz, 1873) - Cerambycidae

VI.2010 - GRECIA - EE
Coleoptera

zdeno

13

2043

09/02/2011, 13:56

zdeno Vedi ultimo messaggio

Nessun messaggio da leggere
Allegato(i) Dettagli della specie
Necydalis (Necydalis) major major Linnaeus, 1758
Cerambycidae


V.2004 - REPUBBLICA CECA - EE
Coleoptera

Trichoferus

4

1254

08/02/2011, 12:30

Trichoferus Vedi ultimo messaggio

Nessun messaggio da leggere
Allegato(i) Dettagli della specie
Necydalis (Necydalis) ulmi (Chevrolat, 1838)
Cerambycidae

[ Vai alla paginaVai alla pagina: 1, 2 ]



VI.2007 - ITALIA - Abruzzo - PE
Coleoptera

Alessio89

22

3510

07/02/2011, 21:44

Entomarci Vedi ultimo messaggio

Nessun messaggio da leggere
Oberea (Oberea) pupillata (Gyllenhal, 1817) - Cerambycidae
21.VI.2005 - REPUBBLICA CECA - EE
Allegato(i) Dettagli della specie
Oberea (Oberea) pupillata (Gyllenhal, 1817)
Cerambycidae


21.VI.2005 - REPUBBLICA CECA - EE
Coleoptera

Trichoferus

4

1499

07/02/2011, 15:13

Entomarci Vedi ultimo messaggio

Nessun messaggio da leggere
Callidiellum rufipenne (Motschulsky, 1862) - Cerambycidae
14.XII.2010 - ITALIA - Emilia-Romagna - RA
Allegato(i) Dettagli della specie
Callidiellum rufipenne (Motschulsky, 1862)
Cerambycidae


14.XII.2010 - ITALIA - Emilia-Romagna - RA
Coleoptera

Entomarci

9

2283

07/02/2011, 14:58

Entomarci Vedi ultimo messaggio

Nessun messaggio da leggere
Aegosoma scabricorne (Scopoli, 1763) - Cerambycidae
5.II.2011 - ITALIA - Marche - MC
Allegato(i) Dettagli della specie
Aegosoma scabricorne (Scopoli, 1763)
Cerambycidae


5.II.2011 - ITALIA - Marche - MC
Coleoptera

StagBeetle

7

2738

07/02/2011, 0:30

Plagionotus Vedi ultimo messaggio

Nessun messaggio da leggere
Mesosa nebulosa nebulosa (Fabricius, 1781) - Cerambycidae
4.II.2011 - ITALIA - Campania - NA
Allegato(i) Dettagli della specie
Mesosa nebulosa nebulosa (Fabricius, 1781)
Cerambycidae


4.II.2011 - ITALIA - Campania - NA
Coleoptera

Pippistrello

8

2041

06/02/2011, 23:43

conan Vedi ultimo messaggio

Nessun messaggio da leggere  
Dettagli della specie
Ropalopus (Ropalopus) varini (Bedel, 1870)
Cerambycidae


 
Coleoptera

Isotomus

7

2101

06/02/2011, 23:00

Plagionotus Vedi ultimo messaggio

Nessun messaggio da leggere
Gaurotes (Carilia) virginea (Linnaeus, 1758) - Cerambycidae
20.VII.2010 - ITALIA - Lombardia - SO
Allegato(i) Dettagli della specie
Gaurotes (Carilia) virginea (Linnaeus, 1758)
Cerambycidae


20.VII.2010 - ITALIA - Lombardia - SO
Coleoptera

Luciano Menghi

8

1742

06/02/2011, 22:46

Plagionotus Vedi ultimo messaggio

Nessun messaggio da leggere
Morimus asper asper (Sulzer, 1776) - Cerambycidae
21.XI.2010 - ITALIA - Sicilia - PA
Allegato(i) Dettagli della specie
Morimus asper asper (Sulzer, 1776)
Cerambycidae

[ Vai alla paginaVai alla pagina: 1, 2 ]



21.XI.2010 - ITALIA - Sicilia - PA
Coleoptera

carabus

26

3200

06/02/2011, 8:59

Isotomus Vedi ultimo messaggio

Nessun messaggio da leggere
Niphona picticornis Mulsant, 1839 - Cerambycidae
2.II.2011 - ITALIA - Sicilia - RG
Allegato(i) Dettagli della specie
Niphona picticornis Mulsant, 1839
Cerambycidae


2.II.2011 - ITALIA - Sicilia - RG
Coleoptera

Pippistrello

0

720

05/02/2011, 20:54

Pippistrello Vedi ultimo messaggio

Nessun messaggio da leggere
Allegato(i)
Ropalopus ledereri ledereri Fairmaire, 1866 -Cerambycidae

ISRAELE - EE
Coleoptera

Isotomus

5

1308

05/02/2011, 18:23

Entomarci Vedi ultimo messaggio

Nessun messaggio da leggere
Allegato(i) Dettagli della specie
Stictoleptura cordigera cordigera (Fuessly, 1775)
Cerambycidae


2.VII.2009 - ITALIA - Puglia - TA
Coleoptera

Ugo Ferrero

8

1756

05/02/2011, 0:16

Plagionotus Vedi ultimo messaggio

Nessun messaggio da leggere
Cerambyx scopolii scopolii Fuessly, 1775 - Cerambycidae
13.V.2009 - ITALIA - Lombardia - SO
Allegato(i) Dettagli della specie
Cerambyx scopolii scopolii Fuessly, 1775
Cerambycidae


13.V.2009 - ITALIA - Lombardia - SO
Coleoptera

Luciano Menghi

3

1124

04/02/2011, 18:36

conan Vedi ultimo messaggio

Nessun messaggio da leggere
Chlorophorus glabromaculatus (Goeze, 1777) - Cerambycidae
27.IX.2006 - ITALIA - Lombardia - SO
Allegato(i) Dettagli della specie
Chlorophorus glabromaculatus (Goeze, 1777)
Cerambycidae


27.IX.2006 - ITALIA - Lombardia - SO
Coleoptera

Luciano Menghi

1

735

04/02/2011, 18:24

jaho Vedi ultimo messaggio

Nessun messaggio da leggere
Cerambyx scopolii scopolii Fuessly, 1775 - Cerambycidae
13.V.2009 - ITALIA - Lombardia - SO
Allegato(i) Dettagli della specie
Cerambyx scopolii scopolii Fuessly, 1775
Cerambycidae


13.V.2009 - ITALIA - Lombardia - SO
Coleoptera

Luciano Menghi

1

694

04/02/2011, 18:09

jaho Vedi ultimo messaggio

Nessun messaggio da leggere
Stenurella nigra (Linnaeus, 1758) - Cerambycidae
22.V.2009 - ITALIA - Lombardia - SO
Allegato(i) Dettagli della specie
Stenurella nigra (Linnaeus, 1758)
Cerambycidae


22.V.2009 - ITALIA - Lombardia - SO
Coleoptera

Luciano Menghi

2

787

04/02/2011, 14:15

jaho Vedi ultimo messaggio

Nessun messaggio da leggere
Anastrangalia sanguinolenta (Linnaeus, 1760) - Cerambycidae
20.VII.2010 - ITALIA - Lombardia - SO
Allegato(i) Dettagli della specie
Anastrangalia sanguinolenta (Linnaeus, 1760)
Cerambycidae


20.VII.2010 - ITALIA - Lombardia - SO
Coleoptera

Luciano Menghi

1

795

04/02/2011, 13:26

Xylosteus Vedi ultimo messaggio

Nessun messaggio da leggere
Chlorophorus varius varius (O. F. Müller, 1766) - Cerambycidae
9.VII.2007 - ITALIA - Lombardia - SO
Allegato(i) Dettagli della specie
Chlorophorus varius varius (O. F. Müller, 1766)
Cerambycidae


9.VII.2007 - ITALIA - Lombardia - SO
Coleoptera

Luciano Menghi

1

790

04/02/2011, 12:23

cosmln Vedi ultimo messaggio

Nessun messaggio da leggere
Phytoecia nigricornis (Fabricius, 1782) - Cerambycidae
15.V.2005 - REPUBBLICA CECA - EE
Allegato(i) Dettagli della specie
Phytoecia nigricornis (Fabricius, 1782)
Cerambycidae


15.V.2005 - REPUBBLICA CECA - EE
Coleoptera

Trichoferus

4

1168

03/02/2011, 23:44

Plagionotus Vedi ultimo messaggio

Nessun messaggio da leggere
Stenopterus rufus rufus (Linnaeus, 1767) - Cerambycidae
4.VI.2009 - ITALIA - Veneto - BL
Allegato(i) Dettagli della specie
Stenopterus rufus rufus (Linnaeus, 1767)
Cerambycidae


4.VI.2009 - ITALIA - Veneto - BL
Coleoptera

Maw89

4

1073

03/02/2011, 22:50

Maw89 Vedi ultimo messaggio

Nessun messaggio da leggere
Opsilia coerulescens (Scopoli, 1763) - Cerambycidae
VI.2005 - REPUBBLICA CECA - EE
Allegato(i) Dettagli della specie
Opsilia coerulescens (Scopoli, 1763)
Cerambycidae


VI.2005 - REPUBBLICA CECA - EE
Coleoptera

Trichoferus

1

700

03/02/2011, 21:35

FORBIX Vedi ultimo messaggio

Nessun messaggio da leggere
Paracorymbia fulva (De Geer, 1775) - Cerambycidae
3.VII.2008 - ITALIA - Lombardia - SO
Allegato(i) Dettagli della specie
Paracorymbia fulva (De Geer, 1775)
Cerambycidae


3.VII.2008 - ITALIA - Lombardia - SO
Coleoptera

Luciano Menghi

2

729

03/02/2011, 20:49

Isotomus Vedi ultimo messaggio

Nessun messaggio da leggere
Paracorymbia fulva (De Geer, 1775) - Cerambycidae
3.VII.2008 - ITALIA - Lombardia - SO
Allegato(i) Dettagli della specie
Paracorymbia fulva (De Geer, 1775)
Cerambycidae


3.VII.2008 - ITALIA - Lombardia - SO
Coleoptera

Luciano Menghi

1

614

03/02/2011, 19:59

jaho Vedi ultimo messaggio

Nessun messaggio da leggere
Chlorophorus sartor (O. F. Müller, 1766) - Cerambycidae
13.VII.2010 - ITALIA - Lombardia - SO
Allegato(i) Dettagli della specie
Chlorophorus sartor (O. F. Müller, 1766)
Cerambycidae


13.VII.2010 - ITALIA - Lombardia - SO
Coleoptera

Luciano Menghi

2

759

03/02/2011, 19:39

jaho Vedi ultimo messaggio

Nessun messaggio da leggere
Chlorophorus varius varius (O. F. Müller, 1766) - Cerambycidae
2.IX.2008 - ITALIA - Lombardia - SO
Allegato(i) Dettagli della specie
Chlorophorus varius varius (O. F. Müller, 1766)
Cerambycidae


2.IX.2008 - ITALIA - Lombardia - SO
Coleoptera

Luciano Menghi

1

665

03/02/2011, 19:23

jaho Vedi ultimo messaggio

Nessun messaggio da leggere
Chlorophorus figuratus (Scopoli, 1763) - Cerambycidae
15.VI.2008 - ITALIA - Lombardia - SO
Allegato(i) Dettagli della specie
Chlorophorus figuratus (Scopoli, 1763)
Cerambycidae


15.VI.2008 - ITALIA - Lombardia - SO
Coleoptera

Luciano Menghi

1

824

03/02/2011, 19:16

jaho Vedi ultimo messaggio

Nessun messaggio da leggere
Anastrangalia sanguinolenta (Linnaeus, 1760) - Cerambycidae
30.V.2007 - ITALIA - Lombardia - SO
Allegato(i) Dettagli della specie
Anastrangalia sanguinolenta (Linnaeus, 1760)
Cerambycidae


30.V.2007 - ITALIA - Lombardia - SO
Coleoptera

Luciano Menghi

2

903

03/02/2011, 18:56

Enrico Ruzzier Vedi ultimo messaggio

Nessun messaggio da leggere
Rutpela maculata maculata (Poda, 1761) - Cerambycidae
25.V.2007 - ITALIA - Lombardia - SO
Allegato(i) Dettagli della specie
Rutpela maculata maculata (Poda, 1761)
Cerambycidae


25.V.2007 - ITALIA - Lombardia - SO
Coleoptera

Luciano Menghi

2

715

03/02/2011, 18:36

Xylotrechus Vedi ultimo messaggio

Nessun messaggio da leggere
Anaesthetis testacea testacea (Fabricius, 1781) - Cerambycidae
20.V.2009 - ITALIA - Lombardia - SO
Allegato(i) Dettagli della specie
Anaesthetis testacea testacea (Fabricius, 1781)
Cerambycidae


20.V.2009 - ITALIA - Lombardia - SO
Coleoptera

Luciano Menghi

1

790

03/02/2011, 18:33

Xylosteus Vedi ultimo messaggio

Nessun messaggio da leggere
Anastrangalia sanguinolenta (Linnaeus, 1760) - Cerambycidae
19.V.2007 - ITALIA - Lombardia - SO
Allegato(i) Dettagli della specie
Anastrangalia sanguinolenta (Linnaeus, 1760)
Cerambycidae


19.V.2007 - ITALIA - Lombardia - SO
Coleoptera

Luciano Menghi

4

1285

03/02/2011, 18:22

Isotomus Vedi ultimo messaggio

Nessun messaggio da leggere
Allegato(i) Dettagli della specie
Agapanthia (Agapanthia) intermedia Ganglbauer, 1884
Cerambycidae


21.VI.2006 - REPUBBLICA CECA - EE
Coleoptera

Trichoferus

7

2258

03/02/2011, 15:52

Trichoferus Vedi ultimo messaggio

Nessun messaggio da leggere
Niphona picticornis Mulsant, 1839 - Cerambycidae
2.II.2011 - ITALIA - Sicilia - RG
Allegato(i) Dettagli della specie
Niphona picticornis Mulsant, 1839
Cerambycidae


2.II.2011 - ITALIA - Sicilia - RG
Coleoptera

Pippistrello

4

1398

03/02/2011, 12:22

Isotomus Vedi ultimo messaggio

Visualizza ultimi argomenti:  Ordina per  Ordine:  
nuovo argomento
Vai alla pagina Precedente  1 ... 78, 79, 80, 81, 82, 83, 84 ... 103  Prossimo
Pagina 81 di 103 [ 5105 argomenti ]

Tutti gli orari sono UTC + 1 ora [ ora legale ]


Chi c’è in linea

Visitano il forum: Nessuno e 1 ospite


Legenda
Messaggi da leggere Messaggi da leggere Nessun messaggio da leggere Nessun messaggio da leggere Annuncio Annuncio
 
Specie indeterminata / discussione generica
Messaggi non letti [ Popolari ] Messaggi non letti [ Popolari ] Nessun messaggio da leggere [ Popolare ] Nessun messaggio da leggere [ Popolare ] Importante Importante
 
Specie determinata fino al genere o cf.
Messaggi non letti [ Bloccati ] Messaggi non letti [ Bloccati ] No messaggi non letti [ Bloccati ] No messaggi non letti [ Bloccati ] Argomento spostato Argomento spostato
 
Specie correttamente determinata
Permessi
Non puoi aprire nuovi argomenti
Non puoi rispondere negli argomenti
Non puoi modificare i tuoi messaggi
Non puoi cancellare i tuoi messaggi
Non puoi inviare allegati

Cerca per:
Vai a: