Benvenuto Ospite

Forum Entomologi Italiani

www.entomologiitaliani.net/forum
 
Oggi è 30/05/2026, 1:37

Tutti gli orari sono UTC + 1 ora [ ora legale ]


92% 
2929 taxa correttamente determinati su 3184 presenti in archivio

Cerambycidae


[ AFROTROPICALE ] [ ANTARTICO ] [ AUSTRALASIANO ] [ NEARTICO ] [ NEOTROPICALE ] [ ORIENTALE ] [ PALEARTICO ]


nuovo argomento
Vai alla pagina Precedente  1 ... 79, 80, 81, 82, 83, 84, 85 ... 103  Prossimo
Pagina 82 di 103 [ 5111 argomenti ]
 Argomenti   Ordine   Autore   Risposte   Visite    Ultimo messaggio 
Annunci
Nessun messaggio da leggere
Allegato(i)
Incontri entomologici della Società Entomologica Italiana 2025-2026
 

Velvet Ant

0

68899

17/11/2025, 19:41

Velvet Ant Vedi ultimo messaggio

Nessun messaggio da leggere
Allegato(i)
Incontri entomologici telematici organizzati dalla Società Entomologica Italiana nel 2022 e nel 2023

[ Vai alla paginaVai alla pagina: 1, 2, 3 ]

 

Velvet Ant

44

2189458

03/03/2023, 15:55

Velvet Ant Vedi ultimo messaggio

Nessun messaggio da leggere  
Allegato(i)
Sondaggio sul declino dell'entomofauna in Italia

[ Vai alla paginaVai alla pagina: 1, 2, 3, 4 ]

 

Velvet Ant

52

2879179

22/10/2022, 19:18

Acquarius Vedi ultimo messaggio

Nessun messaggio da leggere  
Allegato(i)
Progetto: Bibliografia ragionata dei lavori entomologici nei quali sono citati reperti apparsi su FEI

[ Vai alla paginaVai alla pagina: 1, 2, 3 ]

 

Velvet Ant

33

1753818

06/07/2023, 18:31

Orotrechus Vedi ultimo messaggio

Nessun messaggio da leggere
Allegato(i)
Mimesi, il primo documentario cinematografico sull’entomologia in Italia: casting
 

mazzeip

1

1164992

28/02/2019, 20:26

mazzeip Vedi ultimo messaggio

Questo argomento è bloccato, non puoi modificare o inviare ulteriori messaggi.
Allegato(i)
ISTRUZIONI PUBBLICAZIONE NUOVI ARGOMENTI E FOTO

 
Altri Ordini di Insetti

Julodis

4

2992923

13/05/2015, 19:37

Julodis Vedi ultimo messaggio

Nessun messaggio da leggere
Allegato(i)
Limitatore giornaliero di messaggi, uno strumento utile e ormai indispensabile

[ Vai alla paginaVai alla pagina: 1 ... 14, 15, 16 ]

 

Velvet Ant

233

14552648

25/09/2014, 14:31

Inachis Vedi ultimo messaggio

Nessun messaggio da leggere  
NORME PER I COLLABORATORI DEL FORUM

 
 

Velvet Ant

0

692703

02/06/2011, 12:05

Velvet Ant Vedi ultimo messaggio

Nessun messaggio da leggere
Allegato(i)
NORME PER GLI UTENTI DEL FORUM

[ Vai alla paginaVai alla pagina: 1, 2, 3 ]



 
 

Velvet Ant

30

3869668

23/09/2014, 23:54

Maurizio Bollino Vedi ultimo messaggio

Questo argomento è bloccato, non puoi modificare o inviare ulteriori messaggi.  
Elenco delle specie italiane di Cerambycidae presenti sul forum
Cerambycidae


 
Coleoptera

Plagionotus

0

6521

22/11/2010, 22:28

Plagionotus Vedi ultimo messaggio

Nessun messaggio da leggere  
Lista degli utenti del "Forum entomologi italiani" per campi di interesse e specializzazione

 
Altri Ordini di Insetti

Velvet Ant

13

1188510

07/09/2023, 17:14

Roberto-07 Vedi ultimo messaggio

Argomenti
Nessun messaggio da leggere
Anastrangalia sanguinolenta (Linnaeus, 1760) - Cerambycidae
30.V.2007 - ITALIA - Lombardia - SO
Allegato(i) Dettagli della specie
Anastrangalia sanguinolenta (Linnaeus, 1760)
Cerambycidae


30.V.2007 - ITALIA - Lombardia - SO
Coleoptera

Luciano Menghi

2

1084

03/02/2011, 18:56

Enrico Ruzzier Vedi ultimo messaggio

Nessun messaggio da leggere
Rutpela maculata maculata (Poda, 1761) - Cerambycidae
25.V.2007 - ITALIA - Lombardia - SO
Allegato(i) Dettagli della specie
Rutpela maculata maculata (Poda, 1761)
Cerambycidae


25.V.2007 - ITALIA - Lombardia - SO
Coleoptera

Luciano Menghi

2

906

03/02/2011, 18:36

Xylotrechus Vedi ultimo messaggio

Nessun messaggio da leggere
Anaesthetis testacea testacea (Fabricius, 1781) - Cerambycidae
20.V.2009 - ITALIA - Lombardia - SO
Allegato(i) Dettagli della specie
Anaesthetis testacea testacea (Fabricius, 1781)
Cerambycidae


20.V.2009 - ITALIA - Lombardia - SO
Coleoptera

Luciano Menghi

1

948

03/02/2011, 18:33

Xylosteus Vedi ultimo messaggio

Nessun messaggio da leggere
Anastrangalia sanguinolenta (Linnaeus, 1760) - Cerambycidae
19.V.2007 - ITALIA - Lombardia - SO
Allegato(i) Dettagli della specie
Anastrangalia sanguinolenta (Linnaeus, 1760)
Cerambycidae


19.V.2007 - ITALIA - Lombardia - SO
Coleoptera

Luciano Menghi

4

1565

03/02/2011, 18:22

Isotomus Vedi ultimo messaggio

Nessun messaggio da leggere
Allegato(i) Dettagli della specie
Agapanthia (Agapanthia) intermedia Ganglbauer, 1884
Cerambycidae


21.VI.2006 - REPUBBLICA CECA - EE
Coleoptera

Trichoferus

7

2612

03/02/2011, 15:52

Trichoferus Vedi ultimo messaggio

Nessun messaggio da leggere
Niphona picticornis Mulsant, 1839 - Cerambycidae
2.II.2011 - ITALIA - Sicilia - RG
Allegato(i) Dettagli della specie
Niphona picticornis Mulsant, 1839
Cerambycidae


2.II.2011 - ITALIA - Sicilia - RG
Coleoptera

Pippistrello

4

1679

03/02/2011, 12:22

Isotomus Vedi ultimo messaggio

Nessun messaggio da leggere
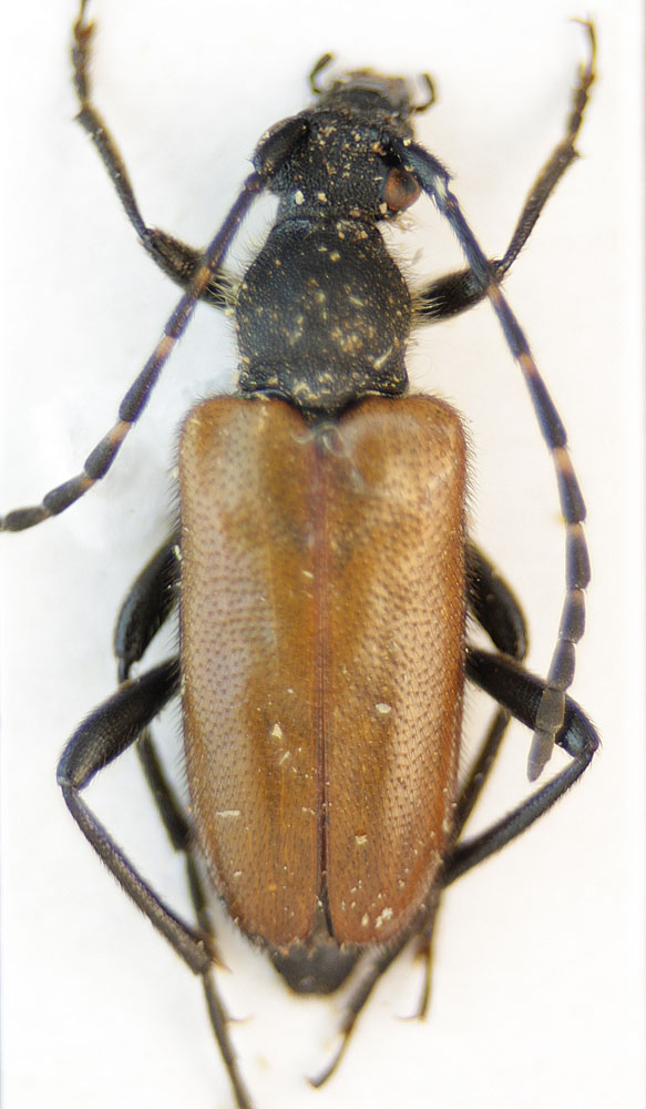
Clytus tropicus (Panzer, 1795) - Cerambycidae
V.2008 - REPUBBLICA CECA - EE
Allegato(i)
Clytus tropicus (Panzer, 1795) - Cerambycidae

V.2008 - REPUBBLICA CECA - EE
Coleoptera

Trichoferus

5

1616

03/02/2011, 9:21

Trichoferus Vedi ultimo messaggio

Nessun messaggio da leggere
Allegato(i) Dettagli della specie
Drymochares truquii Mulsant, 1847
Cerambycidae


2.VI.2009 - FRANCIA - EE
Coleoptera

Daniele Sechi

6

1939

03/02/2011, 4:21

jaho Vedi ultimo messaggio

Nessun messaggio da leggere
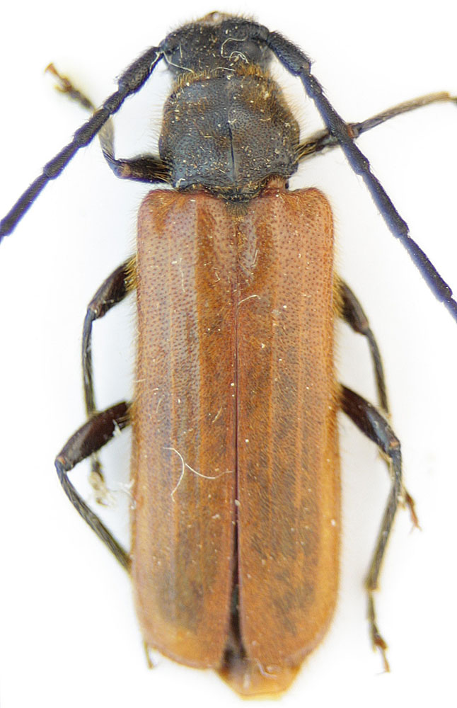
Phymatodes testaceus (Linnaeus, 1758) - Cerambycidae
22.IX.2009 - ITALIA - Lombardia - SO
Allegato(i) Dettagli della specie
Phymatodes testaceus (Linnaeus, 1758)
Cerambycidae


22.IX.2009 - ITALIA - Lombardia - SO
Coleoptera

Luciano Menghi

8

1757

02/02/2011, 23:44

Lucanus tetraodon Vedi ultimo messaggio

Nessun messaggio da leggere
Leptura aethiops Poda, 1761 - Cerambycidae
15.VII.2005 - POLONIA - EE
Allegato(i) Dettagli della specie
Leptura aethiops Poda, 1761
Cerambycidae


15.VII.2005 - POLONIA - EE
Coleoptera

hypotyphlus

3

1622

02/02/2011, 22:54

hypotyphlus Vedi ultimo messaggio

Nessun messaggio da leggere
Allegato(i) Dettagli della specie
Agapanthia (Agapanthia) cardui (Linnaeus, 1767) cf.
Cerambycidae


15.VI.2010 - ITALIA - Campania - NA
Coleoptera

clido

7

2659

02/02/2011, 10:28

clido Vedi ultimo messaggio

Nessun messaggio da leggere
Pidonia (Pidonia) lurida (Fabricius, 1792) - Cerambycidae
17.VI.2000 - ITALIA - Friuli-Venezia Giulia - UD
Allegato(i) Dettagli della specie
Pidonia (Pidonia) lurida (Fabricius, 1792)
Cerambycidae


17.VI.2000 - ITALIA - Friuli-Venezia Giulia - UD
Coleoptera

hypotyphlus

0

1072

01/02/2011, 21:59

hypotyphlus Vedi ultimo messaggio

Nessun messaggio da leggere
Musaria affinis nigrohirta (G. Müller, 1948) - Cerambycidae
10.VI.2007 - ITALIA - Marche - AP
Allegato(i) Dettagli della specie
Musaria affinis nigrohirta (G. Müller, 1948)
Cerambycidae


10.VI.2007 - ITALIA - Marche - AP
Coleoptera

hypotyphlus

0

1188

01/02/2011, 21:30

hypotyphlus Vedi ultimo messaggio

Nessun messaggio da leggere
Cornumutila lineata (Letzner, 1844) - Cerambycidae
2010 - REPUBBLICA CECA - EE
Allegato(i) Dettagli della specie
Cornumutila lineata (Letzner, 1844)
Cerambycidae

[ Vai alla paginaVai alla pagina: 1, 2 ]



2010 - REPUBBLICA CECA - EE
Coleoptera

Drymochares

16

4824

01/02/2011, 20:25

Drymochares Vedi ultimo messaggio

Nessun messaggio da leggere
Allegato(i) Dettagli della specie
Icosium tomentosum atticum Ganglbauer, 1882
Cerambycidae


9.VII.2008 - CROAZIA - EE
Coleoptera

Velvet Ant

0

1305

01/02/2011, 17:18

Velvet Ant Vedi ultimo messaggio

Nessun messaggio da leggere
Rutpela maculata maculata (Poda, 1761) - Cerambycidae
22.V.2007 - ITALIA - Lombardia - SO
Allegato(i) Dettagli della specie
Rutpela maculata maculata (Poda, 1761)
Cerambycidae


22.V.2007 - ITALIA - Lombardia - SO
Coleoptera

Luciano Menghi

3

1460

01/02/2011, 15:19

Xylotrechus Vedi ultimo messaggio

Nessun messaggio da leggere
Musaria affinis affinis (Harrer, 1784) - Cerambycidae
27.VI.2009 - ITALIA - Veneto - BL
Allegato(i) Dettagli della specie
Musaria affinis affinis (Harrer, 1784)
Cerambycidae


27.VI.2009 - ITALIA - Veneto - BL
Coleoptera

Maw89

6

2284

01/02/2011, 10:00

Isotomus Vedi ultimo messaggio

Nessun messaggio da leggere
Allegato(i) Dettagli della specie
Rutpela maculata nigricornis Rapuzzi & Sama, 2006
Cerambycidae


16.VI.2006 - ITALIA - Sicilia - ME
Coleoptera

hypotyphlus

3

1930

31/01/2011, 23:54

Plagionotus Vedi ultimo messaggio

Nessun messaggio da leggere
Allegato(i) Dettagli della specie
Dorcadion (Pedestredorcadion) etruscum (Rossi, 1790)
Cerambycidae


9.V.2009 - ITALIA - Abruzzo - PE
Coleoptera

Alessio89

2

1417

31/01/2011, 20:20

Plagionotus Vedi ultimo messaggio

Nessun messaggio da leggere
Allegato(i)
Agapanthia (Agapanthia) maculicornis maculicornis (Gyllenhal, 1817) - Cerambycidae

19.V.2010 - GRECIA - EE
Coleoptera

cosmln

4

1396

31/01/2011, 20:13

Plagionotus Vedi ultimo messaggio

Nessun messaggio da leggere
Pachytodes cerambyciformis (Schrank, 1781) - Cerambycidae
24.V.2007 - ITALIA - Lombardia - SO
Allegato(i) Dettagli della specie
Pachytodes cerambyciformis (Schrank, 1781)
Cerambycidae


24.V.2007 - ITALIA - Lombardia - SO
Coleoptera

Luciano Menghi

2

1028

31/01/2011, 20:07

Plagionotus Vedi ultimo messaggio

Nessun messaggio da leggere
Rutpela maculata maculata (Poda, 1761) - Cerambycidae
9.VII.2009 - ITALIA - Lombardia - SO
Allegato(i) Dettagli della specie
Rutpela maculata maculata (Poda, 1761)
Cerambycidae


9.VII.2009 - ITALIA - Lombardia - SO
Coleoptera

Luciano Menghi

3

1158

31/01/2011, 19:52

Xylotrechus Vedi ultimo messaggio

Nessun messaggio da leggere
Allegato(i) Dettagli della specie
Rhagium (Rhagium) inquisitor inquisitor (Linnaeus, 1758)
Cerambycidae


9.XI.2007 - ITALIA - Lombardia - SO
Coleoptera

Luciano Menghi

1

918

31/01/2011, 19:09

Plagionotus Vedi ultimo messaggio

Nessun messaggio da leggere
Stictoleptura rubra rubra (Linnaeus, 1758) - Cerambycidae
14.VII.2009 - ITALIA - Lombardia - SO
Allegato(i) Dettagli della specie
Stictoleptura rubra rubra (Linnaeus, 1758)
Cerambycidae


14.VII.2009 - ITALIA - Lombardia - SO
Coleoptera

Luciano Menghi

2

1079

31/01/2011, 19:06

Isotomus Vedi ultimo messaggio

Nessun messaggio da leggere
Allegato(i) Dettagli della specie
Agapanthia (Epoptes) villosoviridescens (De Geer, 1775)
Cerambycidae


22.V.2007 - ITALIA - Lombardia - SO
Coleoptera

Luciano Menghi

1

1130

31/01/2011, 19:01

Plagionotus Vedi ultimo messaggio

Nessun messaggio da leggere
Parmena unifasciata (Rossi, 1790) - Cerambycidae
27.I.2011 - ITALIA - Veneto - BL
Allegato(i) Dettagli della specie
Parmena unifasciata (Rossi, 1790)
Cerambycidae


27.I.2011 - ITALIA - Veneto - BL
Coleoptera

Maw89

11

2300

31/01/2011, 17:09

Isotomus Vedi ultimo messaggio

Nessun messaggio da leggere
Penichroa fasciata (Stephens, 1831) - Cerambycidae
25.II.1995 - ITALIA - Sicilia - AG
Allegato(i) Dettagli della specie
Penichroa fasciata (Stephens, 1831)
Cerambycidae


25.II.1995 - ITALIA - Sicilia - AG
Coleoptera

Velvet Ant

6

1868

31/01/2011, 17:07

Isotomus Vedi ultimo messaggio

Nessun messaggio da leggere
Vesperus luridus (Rossi, 1794) - Cerambycidae
VIII.2010 - ITALIA - Marche - PU
Allegato(i) Dettagli della specie
Vesperus luridus (Rossi, 1794)
Cerambycidae


VIII.2010 - ITALIA - Marche - PU
Coleoptera

cosmln

1

1455

31/01/2011, 11:47

marco paglialunga Vedi ultimo messaggio

Nessun messaggio da leggere
Allegato(i)
Glaphyra schmidti (Ganglbauer, 1883) - Cerambycidae

UCRAINA - EE
Coleoptera

Phytoecia

1

1089

31/01/2011, 0:47

Velvet Ant Vedi ultimo messaggio

Nessun messaggio da leggere
Allegato(i) Dettagli della specie
Anaesthetis testacea testacea (Fabricius, 1781)
Cerambycidae


VI.2010 - ITALIA - Veneto - BL
Coleoptera

Maw89

13

2760

31/01/2011, 0:32

conan Vedi ultimo messaggio

Nessun messaggio da leggere
Phoracantha semipunctata (Fabricius, 1775) - Cerambycidae
9.VIII.1980 - ITALIA - Sicilia - PA
Allegato(i) Dettagli della specie
Phoracantha semipunctata (Fabricius, 1775)
Cerambycidae

[ Vai alla paginaVai alla pagina: 1, 2 ]



9.VIII.1980 - ITALIA - Sicilia - PA
Coleoptera

Velvet Ant

18

5514

31/01/2011, 0:02

Julodis Vedi ultimo messaggio

Nessun messaggio da leggere
Etorofus pubescens (Fabricius, 1787) - Cerambycidae
17.VII.2010 - BULGARIA - EE
Allegato(i) Dettagli della specie
Etorofus pubescens (Fabricius, 1787)
Cerambycidae


17.VII.2010 - BULGARIA - EE
Coleoptera

Joro

0

956

30/01/2011, 18:10

Joro Vedi ultimo messaggio

Nessun messaggio da leggere
Allegato(i) Dettagli della specie
Paracorymbia maculicornis (De Geer, 1775)
Cerambycidae


20.VII.2009 - BULGARIA - EE
Coleoptera

Joro

1

1141

30/01/2011, 18:06

Joro Vedi ultimo messaggio

Nessun messaggio da leggere
Allegato(i) Dettagli della specie
Agapanthia (Agapanthia) violacea (Fabricius, 1775)
Cerambycidae


19.V.2010 - GRECIA - EE
Coleoptera

cosmln

0

956

30/01/2011, 9:59

cosmln Vedi ultimo messaggio

Nessun messaggio da leggere
Allegato(i) Dettagli della specie
Pedostrangalia (Neosphenalia) verticalis (Germar, 1822)
Cerambycidae


19.V.2010 - GRECIA - EE
Coleoptera

cosmln

0

953

29/01/2011, 21:30

cosmln Vedi ultimo messaggio

Nessun messaggio da leggere
Anisarthron barbipes (Schrank, 1781) - Cerambycidae
14.VII.2005 - BULGARIA - EE
Allegato(i) Dettagli della specie
Anisarthron barbipes (Schrank, 1781)
Cerambycidae


14.VII.2005 - BULGARIA - EE
Coleoptera

Joro

2

1368

29/01/2011, 12:05

Joro Vedi ultimo messaggio

Nessun messaggio da leggere
Allegato(i) Dettagli della specie
Isotomus speciosus speciosus (Schneider, 1787)
Cerambycidae


22.VII.2006 - BULGARIA - EE
Coleoptera

Joro

0

1075

29/01/2011, 12:03

Joro Vedi ultimo messaggio

Nessun messaggio da leggere
Tetrops starkii Chevrolat, 1859 - Cerambycidae
13.VI.2008 - BULGARIA - EE
Allegato(i) Dettagli della specie
Tetrops starkii Chevrolat, 1859
Cerambycidae


13.VI.2008 - BULGARIA - EE
Coleoptera

Joro

0

970

29/01/2011, 11:59

Joro Vedi ultimo messaggio

Nessun messaggio da leggere
Exocentrus punctipennis Mulsant & Guillebeau, 1856 - Cerambycidae
10.VI.2000 - ITALIA - Emilia-Romagna - FC
Allegato(i) Dettagli della specie
Exocentrus punctipennis Mulsant & Guillebeau, 1856
Cerambycidae


10.VI.2000 - ITALIA - Emilia-Romagna - FC
Coleoptera

Maw89

0

922

28/01/2011, 23:41

Maw89 Vedi ultimo messaggio

Nessun messaggio da leggere
Exocentrus adspersus Mulsant, 1846 - Cerambycidae
VI.2010 - ITALIA - Veneto - BL
Allegato(i) Dettagli della specie
Exocentrus adspersus Mulsant, 1846
Cerambycidae


VI.2010 - ITALIA - Veneto - BL
Coleoptera

Maw89

0

823

28/01/2011, 23:35

Maw89 Vedi ultimo messaggio

Nessun messaggio da leggere
Leiopus femoratus Fairmaire, 1859 - Cerambycidae
V.2010 - ITALIA - Veneto - BL
Allegato(i) Dettagli della specie
Leiopus femoratus Fairmaire, 1859
Cerambycidae


V.2010 - ITALIA - Veneto - BL
Coleoptera

Maw89

2

1362

28/01/2011, 23:31

Maw89 Vedi ultimo messaggio

Nessun messaggio da leggere
Allegato(i) Dettagli della specie
Exocentrus lusitanus (Linnaeus, 1767)
Cerambycidae


VIII.1980 - CROAZIA - EE
Coleoptera

Maw89

0

1201

28/01/2011, 23:29

Maw89 Vedi ultimo messaggio

Nessun messaggio da leggere
Allegato(i) Dettagli della specie
Dorcadion (Pedestredorcadion) etruscum (Rossi, 1790)
Cerambycidae


22.IV.2010 - ITALIA - Abruzzo - PE
Coleoptera

Alessio89

1

1207

28/01/2011, 23:12

Isotomus Vedi ultimo messaggio

Nessun messaggio da leggere
Allegato(i) Dettagli della specie
Leiopus nebulosus nebulosus (Linnaeus, 1758)
Cerambycidae


V.2010 - ITALIA - Veneto - BL
Coleoptera

Maw89

0

910

28/01/2011, 20:19

Maw89 Vedi ultimo messaggio

Nessun messaggio da leggere
Allegato(i) Dettagli della specie
Mesosa nebulosa nebulosa (Fabricius, 1781)
Cerambycidae


 
Coleoptera

Isotomus

11

2741

28/01/2011, 19:45

Entomarci Vedi ultimo messaggio

Nessun messaggio da leggere
Allegato(i) Dettagli della specie
Acmaeops marginatus (Fabricius, 1781)
Cerambycidae


6.V.2008 - BULGARIA - EE
Coleoptera

Joro

1

1665

28/01/2011, 17:46

Isotomus Vedi ultimo messaggio

Nessun messaggio da leggere
Allegato(i) Dettagli della specie
Glaphyra (Glaphyra) umbellatarum (Schreber, 1759)
Cerambycidae


16.V.2009 - BULGARIA - EE
Coleoptera

Joro

13

4882

28/01/2011, 17:11

Phytoecia Vedi ultimo messaggio

Nessun messaggio da leggere
Allegato(i) Dettagli della specie
Dorcadion (Pedestredorcadion) arenarium arenarium (Scopoli, 1763)
Cerambycidae


18.VI.1993 - SLOVENIA - EE
Coleoptera

Maw89

9

3167

28/01/2011, 10:31

Isotomus Vedi ultimo messaggio

Nessun messaggio da leggere
Allegato(i)
Agapanthia (Epoptes) dahli (Richter, 1820) ? - Cerambycidae, Agapanthiini

23.IV.2010 - SPAGNA - EE
Coleoptera

Trichoferus

6

2231

26/01/2011, 19:47

Plagionotus Vedi ultimo messaggio

Nessun messaggio da leggere
Allegato(i)
Glaphyra kiesenwetteri (Mulsant et Rey, 1861) - Cerambycidae

27.V.2005 - BULGARIA - EE
Coleoptera

Joro

2

1365

26/01/2011, 19:29

Plagionotus Vedi ultimo messaggio

Visualizza ultimi argomenti:  Ordina per  Ordine:  
nuovo argomento
Vai alla pagina Precedente  1 ... 79, 80, 81, 82, 83, 84, 85 ... 103  Prossimo
Pagina 82 di 103 [ 5111 argomenti ]

Tutti gli orari sono UTC + 1 ora [ ora legale ]


Chi c’è in linea

Visitano il forum: Nessuno e 3 ospiti


Legenda
Messaggi da leggere Messaggi da leggere Nessun messaggio da leggere Nessun messaggio da leggere Annuncio Annuncio
 
Specie indeterminata / discussione generica
Messaggi non letti [ Popolari ] Messaggi non letti [ Popolari ] Nessun messaggio da leggere [ Popolare ] Nessun messaggio da leggere [ Popolare ] Importante Importante
 
Specie determinata fino al genere o cf.
Messaggi non letti [ Bloccati ] Messaggi non letti [ Bloccati ] No messaggi non letti [ Bloccati ] No messaggi non letti [ Bloccati ] Argomento spostato Argomento spostato
 
Specie correttamente determinata
Permessi
Non puoi aprire nuovi argomenti
Non puoi rispondere negli argomenti
Non puoi modificare i tuoi messaggi
Non puoi cancellare i tuoi messaggi
Non puoi inviare allegati

Cerca per:
Vai a: