Benvenuto Ospite

Forum Entomologi Italiani

www.entomologiitaliani.net/forum
 
Oggi è 28/05/2026, 23:46

Tutti gli orari sono UTC + 1 ora [ ora legale ]


92% 
2929 taxa correttamente determinati su 3183 presenti in archivio

Cerambycidae


[ AFROTROPICALE ] [ ANTARTICO ] [ AUSTRALASIANO ] [ NEARTICO ] [ NEOTROPICALE ] [ ORIENTALE ] [ PALEARTICO ]


nuovo argomento
Vai alla pagina Precedente  1, 2, 3, 4, 5 ... 103  Prossimo
Pagina 2 di 103 [ 5110 argomenti ]
 Argomenti   Ordine   Autore   Risposte   Visite    Ultimo messaggio 
Annunci
Nessun messaggio da leggere
Allegato(i)
Incontri entomologici della Società Entomologica Italiana 2025-2026
 

Velvet Ant

0

68342

17/11/2025, 19:41

Velvet Ant Vedi ultimo messaggio

Nessun messaggio da leggere
Allegato(i)
Incontri entomologici telematici organizzati dalla Società Entomologica Italiana nel 2022 e nel 2023

[ Vai alla paginaVai alla pagina: 1, 2, 3 ]

 

Velvet Ant

44

2185573

03/03/2023, 15:55

Velvet Ant Vedi ultimo messaggio

Nessun messaggio da leggere  
Allegato(i)
Sondaggio sul declino dell'entomofauna in Italia

[ Vai alla paginaVai alla pagina: 1, 2, 3, 4 ]

 

Velvet Ant

52

2875458

22/10/2022, 19:18

Acquarius Vedi ultimo messaggio

Nessun messaggio da leggere  
Allegato(i)
Progetto: Bibliografia ragionata dei lavori entomologici nei quali sono citati reperti apparsi su FEI

[ Vai alla paginaVai alla pagina: 1, 2, 3 ]

 

Velvet Ant

33

1751016

06/07/2023, 18:31

Orotrechus Vedi ultimo messaggio

Nessun messaggio da leggere
Allegato(i)
Mimesi, il primo documentario cinematografico sull’entomologia in Italia: casting
 

mazzeip

1

1164305

28/02/2019, 20:26

mazzeip Vedi ultimo messaggio

Questo argomento è bloccato, non puoi modificare o inviare ulteriori messaggi.
Allegato(i)
ISTRUZIONI PUBBLICAZIONE NUOVI ARGOMENTI E FOTO

 
Altri Ordini di Insetti

Julodis

4

2992162

13/05/2015, 19:37

Julodis Vedi ultimo messaggio

Nessun messaggio da leggere
Allegato(i)
Limitatore giornaliero di messaggi, uno strumento utile e ormai indispensabile

[ Vai alla paginaVai alla pagina: 1 ... 14, 15, 16 ]

 

Velvet Ant

233

14539756

25/09/2014, 14:31

Inachis Vedi ultimo messaggio

Nessun messaggio da leggere  
NORME PER I COLLABORATORI DEL FORUM

 
 

Velvet Ant

0

692090

02/06/2011, 12:05

Velvet Ant Vedi ultimo messaggio

Nessun messaggio da leggere
Allegato(i)
NORME PER GLI UTENTI DEL FORUM

[ Vai alla paginaVai alla pagina: 1, 2, 3 ]



 
 

Velvet Ant

30

3866528

23/09/2014, 23:54

Maurizio Bollino Vedi ultimo messaggio

Questo argomento è bloccato, non puoi modificare o inviare ulteriori messaggi.  
Elenco delle specie italiane di Cerambycidae presenti sul forum
Cerambycidae


 
Coleoptera

Plagionotus

0

6520

22/11/2010, 22:28

Plagionotus Vedi ultimo messaggio

Nessun messaggio da leggere  
Lista degli utenti del "Forum entomologi italiani" per campi di interesse e specializzazione

 
Altri Ordini di Insetti

Velvet Ant

13

1187322

07/09/2023, 17:14

Roberto-07 Vedi ultimo messaggio

Argomenti
Nessun messaggio da leggere
Stictoleptura rubra (Linnaeus, 1758) - Cerambycidae Lepturinae
7.VIII.2024 - ITALIA - Friuli-Venezia Giulia - UD
Allegato(i)
Stictoleptura rubra (Linnaeus, 1758) - Cerambycidae Lepturinae

7.VIII.2024 - ITALIA - Friuli-Venezia Giulia - UD
Coleoptera

plumipes

2

975

21/08/2024, 10:31

plumipes Vedi ultimo messaggio

Nessun messaggio da leggere
Rutpela maculata maculata (Poda, 1761) - Cerambycidae Lepturinae
7.VIII.2024 - ITALIA - Friuli-Venezia Giulia - UD
Allegato(i)
Rutpela maculata maculata (Poda, 1761) - Cerambycidae Lepturinae

7.VIII.2024 - ITALIA - Friuli-Venezia Giulia - UD
Coleoptera

plumipes

2

926

19/08/2024, 11:31

plumipes Vedi ultimo messaggio

Nessun messaggio da leggere
Aromia moschata (Linnaeus, 1758) - Cerambycidae
7.VIII.2024 - ITALIA - Friuli-Venezia Giulia - UD
Allegato(i)
Aromia moschata (Linnaeus, 1758) - Cerambycidae

7.VIII.2024 - ITALIA - Friuli-Venezia Giulia - UD
Coleoptera

plumipes

1

821

18/08/2024, 0:52

Enzo.C Vedi ultimo messaggio

Nessun messaggio da leggere
Chlorophorus glabromaculatus (Goeze, 1777) - Cerambycidae Clytini
2.VIII.2024 - ITALIA - Emilia-Romagna - MO
Allegato(i)
Chlorophorus glabromaculatus (Goeze, 1777) - Cerambycidae Clytini

2.VIII.2024 - ITALIA - Emilia-Romagna - MO
Coleoptera

Matteo Remigio 01

2

985

03/08/2024, 22:15

Matteo Remigio 01 Vedi ultimo messaggio

Nessun messaggio da leggere
Arhopalus rusticus (Linnaeus, 1758) - Cerambycidae
30.VII.2024 - ITALIA - Trentino-Alto Adige - TN
Allegato(i) Dettagli della specie
Arhopalus rusticus (Linnaeus, 1758)
Cerambycidae


30.VII.2024 - ITALIA - Trentino-Alto Adige - TN
Coleoptera

Syrio

3

1063

02/08/2024, 9:26

Syrio Vedi ultimo messaggio

Nessun messaggio da leggere
Cerambyx welensii (Küster, 1846) - Cerambycidae
22.VII.2024 - ITALIA - Molise - CB
Allegato(i)
Cerambyx welensii (Küster, 1846) - Cerambycidae

22.VII.2024 - ITALIA - Molise - CB
Coleoptera

Franco ROSSI

4

1076

23/07/2024, 16:02

Giuseppe Vedi ultimo messaggio

Nessun messaggio da leggere
Psacothea hilaris (Pascoe, 1857) - Cerambycidae
10.VII.2024 - ITALIA - Lombardia - CO
Allegato(i)
Psacothea hilaris (Pascoe, 1857) - Cerambycidae

10.VII.2024 - ITALIA - Lombardia - CO
Coleoptera

Giuseppe

0

1110

18/07/2024, 10:00

Giuseppe Vedi ultimo messaggio

Nessun messaggio da leggere
Saperda punctata (Linnaeus, 1767) - Cerambycidae
3.VII.2024 - ITALIA - Molise - CB
Allegato(i) Dettagli della specie
Saperda punctata (Linnaeus, 1767)
Cerambycidae


3.VII.2024 - ITALIA - Molise - CB
Coleoptera

Franco ROSSI

2

974

04/07/2024, 11:40

Franco ROSSI Vedi ultimo messaggio

Nessun messaggio da leggere
Callidium violaceum (Linnaeus, 1758) - Cerambycidae
21.VI.2024 - ITALIA - Trentino-Alto Adige - TN
Allegato(i)
Callidium violaceum (Linnaeus, 1758) - Cerambycidae

21.VI.2024 - ITALIA - Trentino-Alto Adige - TN
Coleoptera

Syrio

2

972

22/06/2024, 19:26

Syrio Vedi ultimo messaggio

Nessun messaggio da leggere
Allegato(i)
Dorcadion (Pedestredorcadion) borisi Heyrovský, 1931 - Cerambycidae

1.VI.2011 - BULGARIA - EE
Coleoptera

vgashtarov

10

3482

12/06/2024, 21:05

Cassida Vedi ultimo messaggio

Nessun messaggio da leggere
Anaesthetis testacea (Fabricius, 1781) - Cerambycidae
31.V.2024 - ITALIA - Campania - SA
Allegato(i)
Anaesthetis testacea (Fabricius, 1781) - Cerambycidae

31.V.2024 - ITALIA - Campania - SA
Coleoptera

Enzo.C

3

1068

05/06/2024, 13:05

Enzo.C Vedi ultimo messaggio

Nessun messaggio da leggere
Allegato(i)
Stenopterus ater (Linnaeus, 1767) - Cerambycidae

28.V.2024 - TUNISIA - EE
Coleoptera

Honza

4

1104

03/06/2024, 21:06

Honza Vedi ultimo messaggio

Nessun messaggio da leggere
Allegato(i)
Neodorcadion bilineatum (Germar, 1823) (cf.) - Cerambicide

23.V.2024 - GRECIA - EE
Coleoptera

37formichine

2

1328

26/05/2024, 17:15

37formichine Vedi ultimo messaggio

Nessun messaggio da leggere
Allegato(i) Dettagli della specie
Dorcadion (Pedestredorcadion) etruscum (Rossi, 1790)
Cerambycidae


11.V.2024 - ITALIA - Toscana - LI
Coleoptera

Stefano79

1

975

16/05/2024, 22:28

Chalybion Vedi ultimo messaggio

Nessun messaggio da leggere
Xylotrechus stebbingi Gahan, 1906 - Cerambycidae Clytini
9.IX.2023 - ITALIA - Lombardia - BS
Allegato(i)
Xylotrechus stebbingi Gahan, 1906 - Cerambycidae Clytini

9.IX.2023 - ITALIA - Lombardia - BS
Coleoptera

Michele A

1

942

06/05/2024, 20:37

pedux Vedi ultimo messaggio

Nessun messaggio da leggere
Phoracantha recurva Newman, 1840 - Cerambycidae
5.V.2024 - ITALIA - Lazio - RM
Allegato(i)
Phoracantha recurva Newman, 1840 - Cerambycidae

5.V.2024 - ITALIA - Lazio - RM
Coleoptera

soken

0

1208

05/05/2024, 20:41

soken Vedi ultimo messaggio

Nessun messaggio da leggere
Herophila tristis (Linnaeus, 1767) - Cerambycidae Lamiinae
15.IV.2024 - ITALIA - Molise - CB
Allegato(i)
Herophila tristis (Linnaeus, 1767) - Cerambycidae Lamiinae

15.IV.2024 - ITALIA - Molise - CB
Coleoptera

Franco ROSSI

2

1728

17/04/2024, 9:18

Franco ROSSI Vedi ultimo messaggio

Nessun messaggio da leggere
Allegato(i)
Eodorcadion carinatum involvense Fischer, 1823 - Cerambycidae Lamiinae Dorcadionini
Cerambycidae


17.VII.2015 - MONGOLIA - EE
Coleoptera

Isidro

7

3225

11/04/2024, 12:31

prinobius Vedi ultimo messaggio

Nessun messaggio da leggere
Allegato(i)
Prinobius myardi slamaorum Danilevsky, 2012 - Cerambycide

9.VIII.2023 - ALBANIA - EE
Coleoptera

Gabriele

2

1259

27/03/2024, 12:09

Gabriele Vedi ultimo messaggio

Nessun messaggio da leggere
Pogonocherus hispidus (Linnaeus, 1758) - Cerambycidae
23.III.2024 - ITALIA - Veneto - VI
Allegato(i) Dettagli della specie
Pogonocherus hispidus (Linnaeus, 1758)
Cerambycidae


23.III.2024 - ITALIA - Veneto - VI
Coleoptera

angelo.ditta

2

1146

24/03/2024, 10:12

angelo.ditta Vedi ultimo messaggio

Nessun messaggio da leggere
Mesosa nebulosa (Fabricius 1781) - Cerambycidae Lamiinae
22.III.2023 - ITALIA - Lombardia - MI
Allegato(i)
Mesosa nebulosa (Fabricius 1781) - Cerambycidae Lamiinae

22.III.2023 - ITALIA - Lombardia - MI
Coleoptera

carlos

4

1243

26/02/2024, 21:09

carlos Vedi ultimo messaggio

Nessun messaggio da leggere
Brachyta interrogationis (Linnaeus, 1758) - Cerambycidae Lepturinae
4.VII.2023 - ITALIA - Valle d'Aosta - AO
Allegato(i)
Brachyta interrogationis (Linnaeus, 1758) - Cerambycidae Lepturinae

4.VII.2023 - ITALIA - Valle d'Aosta - AO
Coleoptera

carlos

2

1012

20/02/2024, 19:34

carlos Vedi ultimo messaggio

Nessun messaggio da leggere
Gaurotes (Carilia) virginea (Linnaeus, 1758) - Cerambycidae
12.VII.2019 - ITALIA - Lombardia - BG
Allegato(i)
Gaurotes (Carilia) virginea (Linnaeus, 1758) - Cerambycidae

12.VII.2019 - ITALIA - Lombardia - BG
Coleoptera

Giuseppe Zanetti

1

942

14/01/2024, 18:16

Giuseppe Vedi ultimo messaggio

Nessun messaggio da leggere
Gaurotes cyanipennis (Say, 1824) - Cerambycidae
13.VI.2023 - STATI UNITI - EE
Allegato(i)
Gaurotes cyanipennis (Say, 1824) - Cerambycidae

13.VI.2023 - STATI UNITI - EE
Coleoptera

Batocerino

2

1079

05/01/2024, 19:38

Batocerino Vedi ultimo messaggio

Nessun messaggio da leggere
Allegato(i) Dettagli della specie
Grammoptera ruficornis ruficornis (Fabricius, 1781) cf.
Cerambycidae


7.VI.2020 - ITALIA - Lombardia - BG
Coleoptera

Giuseppe Zanetti

3

1301

01/01/2024, 12:37

Giuseppe Zanetti Vedi ultimo messaggio

Nessun messaggio da leggere
Allegato(i)
Dorcadion (Pedestredorcadion) veluchense (Pic, 1903) - Cerambycidae

[ Vai alla paginaVai alla pagina: 1, 2 ]



23.V.2010 - GRECIA - EE
Coleoptera

Effe Esse

21

5639

01/01/2024, 10:06

cosmln Vedi ultimo messaggio

Nessun messaggio da leggere
Allegato(i)
Stenurella (Priscostenurella) septempunctata latenigra (Pic, 1915) - Cerambycidae
Cerambycidae


25.VI.2020 - TURCHIA - EE
Coleoptera

hsn6a

5

1502

12/12/2023, 14:15

bsabanoglu Vedi ultimo messaggio

Nessun messaggio da leggere
Xylotrechus stebbingi Gahan, 1906 - Cerambycidae
VII.2022 - ITALIA - Lombardia - MI
Allegato(i)
Xylotrechus stebbingi Gahan, 1906 - Cerambycidae

VII.2022 - ITALIA - Lombardia - MI
Coleoptera

UlpiNov

3

1262

05/12/2023, 17:08

UlpiNov Vedi ultimo messaggio

Nessun messaggio da leggere
Allegato(i)
Dorcadion (Cribridorcadion) etruscum fiorii Breuning, 1942 - Cerambycidae
Cerambycidae


15.VI.2022 - ITALIA - Basilicata - PZ
Coleoptera

StagBeetle

4

1535

05/12/2023, 11:05

Xylosteus Vedi ultimo messaggio

Nessun messaggio da leggere
Cortodera steineri Sama, 1997 - Cerambycidae
25.V.2006 - GRECIA - EE
Allegato(i)
Cortodera steineri Sama, 1997 - Cerambycidae

25.V.2006 - GRECIA - EE
Coleoptera

ivo

1

875

01/12/2023, 11:37

Plagionotus Vedi ultimo messaggio

Nessun messaggio da leggere
Pogonocherus hispidus (Linnaeus, 1758) - Cerambycidae
19.XI.2023 - ITALIA - Toscana - PI
Allegato(i) Dettagli della specie
Pogonocherus hispidus (Linnaeus, 1758)
Cerambycidae


19.XI.2023 - ITALIA - Toscana - PI
Coleoptera

Stefano79

4

1289

22/11/2023, 16:57

Stefano79 Vedi ultimo messaggio

Nessun messaggio da leggere
Pseudovadonia livida livida (Fabricius, 1777) - Cerambycidae
22.VI.2022 - ITALIA - Emilia-Romagna - PR
Allegato(i) Dettagli della specie
Pseudovadonia livida livida (Fabricius, 1777)
Cerambycidae


22.VI.2022 - ITALIA - Emilia-Romagna - PR
Coleoptera

picollo

2

944

12/11/2023, 12:08

picollo Vedi ultimo messaggio

Nessun messaggio da leggere
Stenurella melanura (Linnaeus, 1758) - Cerambycidae
22.VI.2022 - ITALIA - Emilia-Romagna - PR
Allegato(i) Dettagli della specie
Stenurella melanura (Linnaeus, 1758)
Cerambycidae


22.VI.2022 - ITALIA - Emilia-Romagna - PR
Coleoptera

picollo

2

792

12/11/2023, 12:08

picollo Vedi ultimo messaggio

Nessun messaggio da leggere
Allegato(i)
Sternotomis (Sternotomis) pulchra (Drury, 1773) - Cerambycidae Lamiinae Sternotomini
Cerambycidae


XI.2019 - GABON - EE
Coleoptera

Daniele Sechi

1

1696

26/10/2023, 22:03

ChesoLari Vedi ultimo messaggio

Nessun messaggio da leggere
Stictoleptura rubra rubra (Linnaeus, 1758) - Cerambycidae
9.VIII.2023 - ITALIA - Friuli-Venezia Giulia - UD
Allegato(i) Dettagli della specie
Stictoleptura rubra rubra (Linnaeus, 1758)
Cerambycidae


9.VIII.2023 - ITALIA - Friuli-Venezia Giulia - UD
Coleoptera

Michele A

1

848

11/10/2023, 11:37

Giuseppe Vedi ultimo messaggio

Nessun messaggio da leggere
Acanthocinus griseus (Fabricius, 1792) - Cerambycidae Lamiinae
20.VIII.2023 - ITALIA - Veneto - BL
Allegato(i)
Acanthocinus griseus (Fabricius, 1792) - Cerambycidae Lamiinae

20.VIII.2023 - ITALIA - Veneto - BL
Coleoptera

GiacomoGas

3

1221

16/09/2023, 22:22

GiacomoGas Vedi ultimo messaggio

Nessun messaggio da leggere
Ergates faber opifex Mulsant, 1851 - Cerambycidae
VII.2023 - ITALIA - Sicilia - ME
Allegato(i) Dettagli della specie
Ergates faber opifex Mulsant, 1851
Cerambycidae


VII.2023 - ITALIA - Sicilia - ME
Coleoptera

StagBeetle

1

995

14/09/2023, 17:11

Lucanus tetraodon Vedi ultimo messaggio

Nessun messaggio da leggere
Saperda punctata (Linnaeus, 1767) - Cerambycidae
7.IX.2023 - ITALIA - Molise - CB
Allegato(i) Dettagli della specie
Saperda punctata (Linnaeus, 1767)
Cerambycidae


7.IX.2023 - ITALIA - Molise - CB
Coleoptera

Franco ROSSI

0

1007

07/09/2023, 22:29

Franco ROSSI Vedi ultimo messaggio

Nessun messaggio da leggere
Acanthocinus aedilis (Linnaeus, 1758) - Cerambycidae
31.VIII.2023 - ITALIA - Toscana - PO
Allegato(i)
Acanthocinus aedilis (Linnaeus, 1758) - Cerambycidae

31.VIII.2023 - ITALIA - Toscana - PO
Coleoptera

skip

0

1035

31/08/2023, 21:04

skip Vedi ultimo messaggio

Nessun messaggio da leggere
Poecilium glabratum (Charpentier, 1825) - Cerambycidae
7.V.2022 - ITALIA - Umbria - PG
Allegato(i) Dettagli della specie
Poecilium glabratum (Charpentier, 1825)
Cerambycidae


7.V.2022 - ITALIA - Umbria - PG
Coleoptera

MARIO LUNA

2

987

29/08/2023, 18:40

MARIO LUNA Vedi ultimo messaggio

Nessun messaggio da leggere
Paracorymbia hybrida (Rey, 1885) - Cerambycidae Lepturinae
2.VIII.2023 - ITALIA - Trentino-Alto Adige - TN
Allegato(i)
Paracorymbia hybrida (Rey, 1885) - Cerambycidae Lepturinae

2.VIII.2023 - ITALIA - Trentino-Alto Adige - TN
Coleoptera

Syrio

8

1586

23/08/2023, 17:54

Mauro Vedi ultimo messaggio

Nessun messaggio da leggere
Leptura aurulenta Fabricius, 1792 - Cerambycidae
8.VII.2023 - ITALIA - Emilia-Romagna - PR
Allegato(i)
Leptura aurulenta Fabricius, 1792 - Cerambycidae

8.VII.2023 - ITALIA - Emilia-Romagna - PR
Coleoptera

picollo

3

1061

17/08/2023, 13:57

Plagionotus Vedi ultimo messaggio

Nessun messaggio da leggere
Stromatium unicolor (Olivier, 1795) - Cerambycidae
12.VIII.2023 - ITALIA - Marche - PU
Allegato(i) Dettagli della specie
Stromatium unicolor (Olivier, 1795)
Cerambycidae


12.VIII.2023 - ITALIA - Marche - PU
Coleoptera

plumipes

4

1212

13/08/2023, 17:49

plumipes Vedi ultimo messaggio

Nessun messaggio da leggere
Stenurella sp. - Cerambycidae
27.VII.2023 - ITALIA - Emilia-Romagna - FC
Allegato(i)
Stenurella sp. - Cerambycidae

27.VII.2023 - ITALIA - Emilia-Romagna - FC
Coleoptera

skip

10

1717

02/08/2023, 21:12

skip Vedi ultimo messaggio

Nessun messaggio da leggere
Acanthocinus reticulatus (Razoumowsky, 1789) - Cerambycidae Lamiinae
27.VII.2023 - ITALIA - Emilia-Romagna - FC
Allegato(i)
Acanthocinus reticulatus (Razoumowsky, 1789) - Cerambycidae Lamiinae

27.VII.2023 - ITALIA - Emilia-Romagna - FC
Coleoptera

skip

4

1289

01/08/2023, 16:37

skip Vedi ultimo messaggio

Nessun messaggio da leggere
Allegato(i) Dettagli della specie
Monochamus sutor sutor (Linnaeus, 1758)
Cerambycidae


9.VII.2023 - AUSTRIA - EE
Coleoptera

Michele A

2

959

28/07/2023, 16:27

Michele A Vedi ultimo messaggio

Nessun messaggio da leggere
Allegato(i) Dettagli della specie
Rutpela maculata nigricornis Rapuzzi & Sama, 2006 cf.
Cerambycidae


24.VI.2023 - ITALIA - Sicilia - PA
Coleoptera

Caliddo

0

1064

08/07/2023, 14:45

Caliddo Vedi ultimo messaggio

Nessun messaggio da leggere
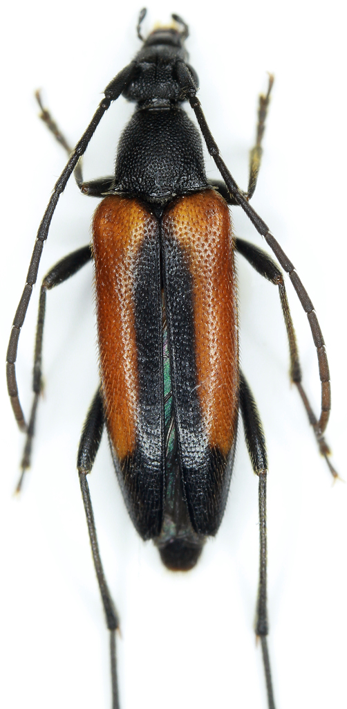
Purpuricenus (Purpuricenus) globulicollis Dejean, 1839 - Cerambycidae
5.VII.2023 - ITALIA - Trentino-Alto Adige - TN
Allegato(i) Dettagli della specie
Purpuricenus (Purpuricenus) globulicollis Dejean, 1839
Cerambycidae


5.VII.2023 - ITALIA - Trentino-Alto Adige - TN
Coleoptera

Biasi

5

1401

07/07/2023, 13:58

Biasi Vedi ultimo messaggio

Nessun messaggio da leggere
Tetrops praeustus praeustus (Linnaeus, 1758) - Cerambycidae
25.VI.2023 - ITALIA - Sicilia - PA
Allegato(i)
Tetrops praeustus praeustus (Linnaeus, 1758) - Cerambycidae

25.VI.2023 - ITALIA - Sicilia - PA
Coleoptera

Caliddo

7

1491

06/07/2023, 10:57

Xylosteus Vedi ultimo messaggio

Nessun messaggio da leggere
Monochamus sp. - Cerambycidae
4.VII.2023 - SVIZZERA - EE
Allegato(i)
Monochamus sp. - Cerambycidae

4.VII.2023 - SVIZZERA - EE
Coleoptera

matthew gandy

2

1001

05/07/2023, 17:28

matthew gandy Vedi ultimo messaggio

Visualizza ultimi argomenti:  Ordina per  Ordine:  
nuovo argomento
Vai alla pagina Precedente  1, 2, 3, 4, 5 ... 103  Prossimo
Pagina 2 di 103 [ 5110 argomenti ]

Tutti gli orari sono UTC + 1 ora [ ora legale ]


Chi c’è in linea

Visitano il forum: Google [Bot] e 1 ospite


Legenda
Messaggi da leggere Messaggi da leggere Nessun messaggio da leggere Nessun messaggio da leggere Annuncio Annuncio
 
Specie indeterminata / discussione generica
Messaggi non letti [ Popolari ] Messaggi non letti [ Popolari ] Nessun messaggio da leggere [ Popolare ] Nessun messaggio da leggere [ Popolare ] Importante Importante
 
Specie determinata fino al genere o cf.
Messaggi non letti [ Bloccati ] Messaggi non letti [ Bloccati ] No messaggi non letti [ Bloccati ] No messaggi non letti [ Bloccati ] Argomento spostato Argomento spostato
 
Specie correttamente determinata
Permessi
Non puoi aprire nuovi argomenti
Non puoi rispondere negli argomenti
Non puoi modificare i tuoi messaggi
Non puoi cancellare i tuoi messaggi
Non puoi inviare allegati

Cerca per:
Vai a: