Benvenuto Ospite

Forum Entomologi Italiani

www.entomologiitaliani.net/forum
 
Oggi è 18/02/2026, 17:28

Tutti gli orari sono UTC + 1 ora [ ora legale ]


100%
2927 taxa correttamente determinati su 2928 presenti in archivio

Cerambycidae


[ AFROTROPICALE ] [ ANTARTICO ] [ AUSTRALASIANO ] [ NEARTICO ] [ NEOTROPICALE ] [ ORIENTALE ] [ PALEARTICO ]


nuovo argomento
Vai alla pagina Precedente  1 ... 11, 12, 13, 14, 15, 16, 17 ... 59  Prossimo
Pagina 14 di 59 [ 2928 argomenti ]
 Argomenti   Ordine   Autore   Risposte   Visite    Ultimo messaggio 
Annunci
Nessun messaggio da leggere
Allegato(i)
Incontri entomologici della Società Entomologica Italiana 2025-2026
 

Velvet Ant

0

27329

17/11/2025, 19:41

Velvet Ant Vedi ultimo messaggio

Nessun messaggio da leggere
Allegato(i)
Incontri entomologici telematici organizzati dalla Società Entomologica Italiana nel 2022 e nel 2023

[ Vai alla paginaVai alla pagina: 1, 2, 3 ]

 

Velvet Ant

44

1823355

03/03/2023, 15:55

Velvet Ant Vedi ultimo messaggio

Nessun messaggio da leggere  
Allegato(i)
Sondaggio sul declino dell'entomofauna in Italia

[ Vai alla paginaVai alla pagina: 1, 2, 3, 4 ]

 

Velvet Ant

52

2463795

22/10/2022, 19:18

Acquarius Vedi ultimo messaggio

Nessun messaggio da leggere  
Allegato(i)
Progetto: Bibliografia ragionata dei lavori entomologici nei quali sono citati reperti apparsi su FEI

[ Vai alla paginaVai alla pagina: 1, 2, 3 ]

 

Velvet Ant

33

1463963

06/07/2023, 18:31

Orotrechus Vedi ultimo messaggio

Nessun messaggio da leggere
Allegato(i)
Mimesi, il primo documentario cinematografico sull’entomologia in Italia: casting
 

mazzeip

1

1108311

28/02/2019, 20:26

mazzeip Vedi ultimo messaggio

Questo argomento è bloccato, non puoi modificare o inviare ulteriori messaggi.
Allegato(i)
ISTRUZIONI PUBBLICAZIONE NUOVI ARGOMENTI E FOTO

 
Altri Ordini di Insetti

Julodis

4

2914536

13/05/2015, 19:37

Julodis Vedi ultimo messaggio

Nessun messaggio da leggere
Allegato(i)
Limitatore giornaliero di messaggi, uno strumento utile e ormai indispensabile

[ Vai alla paginaVai alla pagina: 1 ... 14, 15, 16 ]

 

Velvet Ant

233

12970104

25/09/2014, 14:31

Inachis Vedi ultimo messaggio

Nessun messaggio da leggere  
NORME PER I COLLABORATORI DEL FORUM

 
 

Velvet Ant

0

648455

02/06/2011, 12:05

Velvet Ant Vedi ultimo messaggio

Nessun messaggio da leggere
Allegato(i)
NORME PER GLI UTENTI DEL FORUM

[ Vai alla paginaVai alla pagina: 1, 2, 3 ]



 
 

Velvet Ant

30

3580050

23/09/2014, 23:54

Maurizio Bollino Vedi ultimo messaggio

Questo argomento è bloccato, non puoi modificare o inviare ulteriori messaggi.  
Elenco delle specie italiane di Cerambycidae presenti sul forum
Cerambycidae


 
Coleoptera

Plagionotus

0

6268

22/11/2010, 22:28

Plagionotus Vedi ultimo messaggio

Nessun messaggio da leggere  
Lista degli utenti del "Forum entomologi italiani" per campi di interesse e specializzazione

 
Altri Ordini di Insetti

Velvet Ant

13

1057528

07/09/2023, 17:14

Roberto-07 Vedi ultimo messaggio

Argomenti
Nessun messaggio da leggere
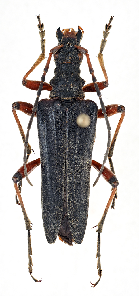
Trichoferus holosericeus (Rossi, 1790) - Cerambycidae
19.VII.2016 - ITALIA - Emilia-Romagna - FE
Allegato(i) Dettagli della specie
Trichoferus holosericeus (Rossi, 1790)
Cerambycidae


19.VII.2016 - ITALIA - Emilia-Romagna - FE
Coleoptera

skapc66

7

2753

14/11/2016, 8:36

skapc66 Vedi ultimo messaggio

Nessun messaggio da leggere
Paracorymbia simplonica (Fairmaire, 1885) - Cerambycidae
15.VI.2014 - ITALIA - Lombardia - SO
Allegato(i) Dettagli della specie
Paracorymbia simplonica (Fairmaire, 1885)
Cerambycidae

[ Vai alla paginaVai alla pagina: 1, 2 ]



15.VI.2014 - ITALIA - Lombardia - SO
Coleoptera

skip

16

4638

13/11/2016, 10:10

Julodis Vedi ultimo messaggio

Nessun messaggio da leggere
Tetropium castaneum (Linnaeus, 1758) - Cerambycidae
28.VII.2016 - ITALIA - Trentino-Alto Adige - TN
Allegato(i) Dettagli della specie
Tetropium castaneum (Linnaeus, 1758)
Cerambycidae


28.VII.2016 - ITALIA - Trentino-Alto Adige - TN
Coleoptera

skip

6

1780

11/11/2016, 16:21

skip Vedi ultimo messaggio

Nessun messaggio da leggere
Parmena unifasciata (Rossi, 1790) - Cerambycidae
25.VI.2016 - ITALIA - Marche - MC
Allegato(i) Dettagli della specie
Parmena unifasciata (Rossi, 1790)
Cerambycidae


25.VI.2016 - ITALIA - Marche - MC
Coleoptera

Andream

2

1028

07/11/2016, 20:21

Andream Vedi ultimo messaggio

Nessun messaggio da leggere
Niphona picticornis Mulsant, 1839 - Cerambycidae
17.VIII.2013 - ITALIA - Lazio - LT
Allegato(i) Dettagli della specie
Niphona picticornis Mulsant, 1839
Cerambycidae


17.VIII.2013 - ITALIA - Lazio - LT
Coleoptera

zefi

2

971

06/11/2016, 15:37

zefi Vedi ultimo messaggio

Nessun messaggio da leggere
Allegato(i) Dettagli della specie
Plagionotus detritus detritus (Linnaeus, 1758)
Cerambycidae


28.V.2016 - ITALIA - Veneto - PD
Coleoptera

skapc66

2

1192

05/11/2016, 19:16

Lucanus tetraodon Vedi ultimo messaggio

Nessun messaggio da leggere
Allegato(i) Dettagli della specie
Pseudosphegesthes cinerea (Laporte & Gory, 1836)
Cerambycidae


1.VIII.2015 - ITALIA - Umbria - PG
Coleoptera

MARIO LUNA

4

1610

25/10/2016, 18:32

MARIO LUNA Vedi ultimo messaggio

Nessun messaggio da leggere
Asemum striatum (Linnaeus, 1758) - Cerambycidae
22.VI.2016 - ITALIA - Umbria - PG
Allegato(i) Dettagli della specie
Asemum striatum (Linnaeus, 1758)
Cerambycidae


22.VI.2016 - ITALIA - Umbria - PG
Coleoptera

MARIO LUNA

3

1508

24/10/2016, 14:50

Julodis Vedi ultimo messaggio

Nessun messaggio da leggere
Allegato(i) Dettagli della specie
Agapanthia (Agapanthia) maculicornis davidi Sláma, 1986
Cerambycidae


4.VI.2016 - ITALIA - Sicilia - PA
Coleoptera

Caliddo

4

1921

20/10/2016, 22:10

Lucanus tetraodon Vedi ultimo messaggio

Nessun messaggio da leggere
Hylotrupes bajulus (Linnaeus, 1758) - Cerambycidae
7.VIII.2016 - ITALIA - Marche - MC
Allegato(i) Dettagli della specie
Hylotrupes bajulus (Linnaeus, 1758)
Cerambycidae


7.VIII.2016 - ITALIA - Marche - MC
Coleoptera

StagBeetle

2

1079

17/10/2016, 20:59

StagBeetle Vedi ultimo messaggio

Nessun messaggio da leggere
Arhopalus ferus (Mulsant, 1839) - Cerambycidae
23.IX.2016 - ITALIA - Molise - IS
Allegato(i) Dettagli della specie
Arhopalus ferus (Mulsant, 1839)
Cerambycidae


23.IX.2016 - ITALIA - Molise - IS
Coleoptera

Franco ROSSI

7

1784

16/10/2016, 11:11

Plagionotus Vedi ultimo messaggio

Nessun messaggio da leggere
Plagionotus detritus detritus (Linnaeus, 1758) - Cerambycidae
30.VII.2005 - ITALIA - Veneto - TV
Allegato(i) Dettagli della specie
Plagionotus detritus detritus (Linnaeus, 1758)
Cerambycidae

[ Vai alla paginaVai alla pagina: 1, 2, 3 ]



30.VII.2005 - ITALIA - Veneto - TV
Coleoptera

andreafabbri

32

9355

09/10/2016, 21:35

Julodis Vedi ultimo messaggio

Nessun messaggio da leggere
Allegato(i) Dettagli della specie
Agapanthia (Agapanthia) cardui (Linnaeus, 1767)
Cerambycidae


20.VI.2016 - ITALIA - Toscana - PI
Coleoptera

Stefano79

3

1463

08/10/2016, 12:23

Stefano79 Vedi ultimo messaggio

Nessun messaggio da leggere  
Allegato(i) Dettagli della specie
Mesosa curculionoides (Linnaeus, 1760)
Cerambycidae


3.X.2016 - ITALIA - Campania - NA
Coleoptera

pako

2

942

03/10/2016, 15:28

f.izzillo Vedi ultimo messaggio

Nessun messaggio da leggere
Allegato(i) Dettagli della specie
Dorcadion (Pedestredorcadion) arenarium marsicanum Fracassi, 1905
Cerambycidae


21.VI.2016 - ITALIA - Marche - AP
Coleoptera

skapc66

4

1514

03/10/2016, 9:32

Plagionotus Vedi ultimo messaggio

Nessun messaggio da leggere
Allegato(i) Dettagli della specie
Purpuricenus (Purpuricenus) kaehleri kaehleri (Linnaeus, 1758)
Cerambycidae


VIII.2016 - ITALIA - Lazio - FR
Coleoptera

Julodis

4

1984

26/09/2016, 23:20

Julodis Vedi ultimo messaggio

Nessun messaggio da leggere
Anastrangalia sanguinolenta (Linnaeus, 1760) - Cerambycidae
29.VI.2015 - ITALIA - Lombardia - SO
Allegato(i) Dettagli della specie
Anastrangalia sanguinolenta (Linnaeus, 1760)
Cerambycidae


29.VI.2015 - ITALIA - Lombardia - SO
Coleoptera

skip

9

2509

23/09/2016, 7:49

skip Vedi ultimo messaggio

Nessun messaggio da leggere
Pidonia (Pidonia) lurida (Fabricius, 1792) - Cerambycidae
27.VI.2014 - ITALIA - Lombardia - SO
Allegato(i) Dettagli della specie
Pidonia (Pidonia) lurida (Fabricius, 1792)
Cerambycidae


27.VI.2014 - ITALIA - Lombardia - SO
Coleoptera

skip

7

1873

18/09/2016, 23:25

skip Vedi ultimo messaggio

Nessun messaggio da leggere
Rutpela maculata maculata (Poda, 1761) - Cerambycidae
3.IX.2016 - ITALIA - Lombardia - BS
Allegato(i) Dettagli della specie
Rutpela maculata maculata (Poda, 1761)
Cerambycidae


3.IX.2016 - ITALIA - Lombardia - BS
Coleoptera

Rothari

6

2052

17/09/2016, 20:59

skip Vedi ultimo messaggio

Nessun messaggio da leggere
Monochamus sartor (Fabricius, 1787) - Cerambycidae
12.IX.2016 - ITALIA - Trentino-Alto Adige - TN
Allegato(i) Dettagli della specie
Monochamus sartor (Fabricius, 1787)
Cerambycidae


12.IX.2016 - ITALIA - Trentino-Alto Adige - TN
Coleoptera

gigilmozzi

3

1536

13/09/2016, 18:09

gigilmozzi Vedi ultimo messaggio

Nessun messaggio da leggere
Allegato(i) Dettagli della specie
Stenurella bifasciata bifasciata (O. F. Müller, 1776)
Cerambycidae


3.VII.2016 - ITALIA - Lazio - RI
Coleoptera

wgliinsetti

1

1176

11/09/2016, 17:09

marco villa Vedi ultimo messaggio

Nessun messaggio da leggere
Evodinus clathratus (Fabricius, 1792) - Cerambycidae
1.VIII.2016 - ITALIA - Lombardia - BS
Allegato(i) Dettagli della specie
Evodinus clathratus (Fabricius, 1792)
Cerambycidae


1.VIII.2016 - ITALIA - Lombardia - BS
Coleoptera

Magma

2

1382

10/09/2016, 20:32

Magma Vedi ultimo messaggio

Nessun messaggio da leggere
Monochamus galloprovincialis (Olivier, 1795) - Cerambycidae
6.IX.2016 - ITALIA - Piemonte - NO
Allegato(i) Dettagli della specie
Monochamus galloprovincialis (Olivier, 1795)
Cerambycidae


6.IX.2016 - ITALIA - Piemonte - NO
Coleoptera

Magma

4

1796

09/09/2016, 20:24

Magma Vedi ultimo messaggio

Nessun messaggio da leggere
Stenopterus ater (Linnaeus, 1767) - Cerambycidae
6.VII.2016 - ITALIA - Sardegna - OG
Allegato(i) Dettagli della specie
Stenopterus ater (Linnaeus, 1767)
Cerambycidae


6.VII.2016 - ITALIA - Sardegna - OG
Coleoptera

Magma

2

1461

09/09/2016, 20:20

Magma Vedi ultimo messaggio

Nessun messaggio da leggere
Rhagium (Megarhagium) mordax (De Geer, 1775) - Cerambycidae
18.VIII.2016 - ITALIA - Trentino-Alto Adige - TN
Allegato(i) Dettagli della specie
Rhagium (Megarhagium) mordax (De Geer, 1775)
Cerambycidae


18.VIII.2016 - ITALIA - Trentino-Alto Adige - TN
Coleoptera

gigilmozzi

2

1122

09/09/2016, 19:26

gigilmozzi Vedi ultimo messaggio

Nessun messaggio da leggere
Morimus asper asper (Sulzer, 1776) - Cerambycidae
15.VI.2016 - ITALIA - Piemonte - AL
Allegato(i) Dettagli della specie
Morimus asper asper (Sulzer, 1776)
Cerambycidae


15.VI.2016 - ITALIA - Piemonte - AL
Coleoptera

Nuriger

3

1310

09/09/2016, 14:09

Nuriger Vedi ultimo messaggio

Nessun messaggio da leggere
Vesperus luridus (Rossi, 1794) - Cerambycidae
5.IX.2016 - ITALIA - Molise - IS
Allegato(i) Dettagli della specie
Vesperus luridus (Rossi, 1794)
Cerambycidae


5.IX.2016 - ITALIA - Molise - IS
Coleoptera

Franco ROSSI

6

2288

08/09/2016, 21:57

Entomarci Vedi ultimo messaggio

Nessun messaggio da leggere
Mesosa curculionoides (Linnaeus, 1760) - Cerambycidae
17.IV.2016 - ITALIA - Calabria - CS
Allegato(i) Dettagli della specie
Mesosa curculionoides (Linnaeus, 1760)
Cerambycidae


17.IV.2016 - ITALIA - Calabria - CS
Coleoptera

aiello antonio

3

1402

08/09/2016, 9:46

aiello antonio Vedi ultimo messaggio

Nessun messaggio da leggere
Saperda punctata (Linnaeus, 1767) - Cerambycidae
31.V.2016 - ITALIA - Emilia-Romagna
Allegato(i) Dettagli della specie
Saperda punctata (Linnaeus, 1767)
Cerambycidae


31.V.2016 - ITALIA - Emilia-Romagna
Coleoptera

Lucanuscervus

3

1399

07/09/2016, 8:25

Lucanuscervus Vedi ultimo messaggio

Nessun messaggio da leggere
Obrium cantharinum (Linnaeus, 1767) - Cerambycidae
2.VII.2016 - ITALIA - Marche - AN
Allegato(i) Dettagli della specie
Obrium cantharinum (Linnaeus, 1767)
Cerambycidae


2.VII.2016 - ITALIA - Marche - AN
Coleoptera

StagBeetle

1

1064

06/09/2016, 20:21

marco villa Vedi ultimo messaggio

Nessun messaggio da leggere
Morimus asper asper (Sulzer, 1776) - Cerambycidae
6.IV.2016 - ITALIA - Calabria - CS
Allegato(i) Dettagli della specie
Morimus asper asper (Sulzer, 1776)
Cerambycidae


6.IV.2016 - ITALIA - Calabria - CS
Coleoptera

aiello antonio

13

2510

03/09/2016, 16:13

Julodis Vedi ultimo messaggio

Nessun messaggio da leggere
Allegato(i) Dettagli della specie
Stictoleptura cordigera cordigera (Fuessly, 1775)
Cerambycidae


3.VII.2016 - ITALIA - Lazio - RI
Coleoptera

wgliinsetti

1

988

02/09/2016, 16:34

Tenebrio Vedi ultimo messaggio

Nessun messaggio da leggere
Aromia moschata moschata (Linnaeus, 1758) - Cerambycidae
19.VIII.2016 - ITALIA - Piemonte - TO
Allegato(i) Dettagli della specie
Aromia moschata moschata (Linnaeus, 1758)
Cerambycidae

[ Vai alla paginaVai alla pagina: 1, 2 ]



19.VIII.2016 - ITALIA - Piemonte - TO
Coleoptera

Falena*

27

6171

29/08/2016, 19:41

Falena* Vedi ultimo messaggio

Nessun messaggio da leggere
Allegato(i) Dettagli della specie
Stenocorus (Stenocorus) meridianus (Linnaeus, 1758)
Cerambycidae


25.VI.2011 - ITALIA - Piemonte - TO
Coleoptera

StagBeetle

0

787

28/08/2016, 21:53

StagBeetle Vedi ultimo messaggio

Nessun messaggio da leggere
Lepturobosca virens (Linnaeus, 1758) - Cerambycidae
12.VIII.2016 - ITALIA - Trentino-Alto Adige - TN
Allegato(i) Dettagli della specie
Lepturobosca virens (Linnaeus, 1758)
Cerambycidae


12.VIII.2016 - ITALIA - Trentino-Alto Adige - TN
Coleoptera

Sleepy Moose

3

1195

28/08/2016, 17:43

Plagionotus Vedi ultimo messaggio

Nessun messaggio da leggere
Vesperus luridus (Rossi, 1794) - Cerambycidae
10.VIII.2016 - ITALIA - Toscana - SI
Allegato(i) Dettagli della specie
Vesperus luridus (Rossi, 1794)
Cerambycidae


10.VIII.2016 - ITALIA - Toscana - SI
Coleoptera

Formelli

2

1386

25/08/2016, 16:47

Formelli Vedi ultimo messaggio

Nessun messaggio da leggere
Allegato(i) Dettagli della specie
Trichoferus fasciculatus fasciculatus (Faldermann, 1837)
Cerambycidae


24.VIII.2016 - ITALIA - Toscana - GR
Coleoptera

skip

5

1601

25/08/2016, 13:49

skip Vedi ultimo messaggio

Nessun messaggio da leggere
Cerambyx welensii (Küster, 1845) - Cerambycidae
24.VIII.2016 - ITALIA - Toscana - GR
Allegato(i) Dettagli della specie
Cerambyx welensii (Küster, 1845)
Cerambycidae


24.VIII.2016 - ITALIA - Toscana - GR
Coleoptera

skip

4

1401

24/08/2016, 22:33

skip Vedi ultimo messaggio

Nessun messaggio da leggere
Trichoferus holosericeus (Rossi, 1790) - Cerambycidae
15.VII.2016 - ITALIA - Lombardia - BS
Allegato(i) Dettagli della specie
Trichoferus holosericeus (Rossi, 1790)
Cerambycidae


15.VII.2016 - ITALIA - Lombardia - BS
Coleoptera

Rothari

4

1356

24/08/2016, 16:49

Rothari Vedi ultimo messaggio

Nessun messaggio da leggere
Chlorophorus glabromaculatus (Goeze, 1777) - Cerambycidae
14.VIII.2016 - ITALIA - Umbria - PG
Allegato(i) Dettagli della specie
Chlorophorus glabromaculatus (Goeze, 1777)
Cerambycidae


14.VIII.2016 - ITALIA - Umbria - PG
Coleoptera

Angelo2

8

1875

20/08/2016, 17:56

Angelo2 Vedi ultimo messaggio

Nessun messaggio da leggere
Chlorophorus sartor (O. F. Müller, 1766) - Cerambycidae
4.VII.2015 - ITALIA - Sicilia - ME
Allegato(i) Dettagli della specie
Chlorophorus sartor (O. F. Müller, 1766)
Cerambycidae


4.VII.2015 - ITALIA - Sicilia - ME
Coleoptera

skapc66

2

1334

19/08/2016, 15:33

Lucanus tetraodon Vedi ultimo messaggio

Nessun messaggio da leggere
Exocentrus punctipennis Mulsant & Guillebeau, 1856 - Cerambycidae
6.VIII.2016 - ITALIA - Lombardia - BS
Allegato(i) Dettagli della specie
Exocentrus punctipennis Mulsant & Guillebeau, 1856
Cerambycidae


6.VIII.2016 - ITALIA - Lombardia - BS
Coleoptera

Livio

2

1336

19/08/2016, 9:43

Livio Vedi ultimo messaggio

Nessun messaggio da leggere
Allegato(i) Dettagli della specie
Trichoferus fasciculatus fasciculatus (Faldermann, 1837)
Cerambycidae


14.VIII.2016 - ITALIA - Sicilia - TP
Coleoptera

angelo.ditta

2

1406

14/08/2016, 18:02

angelo.ditta Vedi ultimo messaggio

Nessun messaggio da leggere
Acanthocinus griseus (Fabricius, 1792) - Cerambycidae
11.VIII.2016 - ITALIA - Lazio - FR
Allegato(i) Dettagli della specie
Acanthocinus griseus (Fabricius, 1792)
Cerambycidae


11.VIII.2016 - ITALIA - Lazio - FR
Coleoptera

Julodis

5

2329

13/08/2016, 21:33

Julodis Vedi ultimo messaggio

Nessun messaggio da leggere
Stenopterus rufus rufus (Linnaeus, 1767) - Cerambycidae
4.VI.2016 - ITALIA - Lazio - RI
Allegato(i) Dettagli della specie
Stenopterus rufus rufus (Linnaeus, 1767)
Cerambycidae


4.VI.2016 - ITALIA - Lazio - RI
Coleoptera

wgliinsetti

6

2039

11/08/2016, 23:04

wgliinsetti Vedi ultimo messaggio

Nessun messaggio da leggere
Anastrangalia dubia dubia (Scopoli, 1763) - Cerambycidae
29.VI.2015 - ITALIA - Lombardia - SO
Allegato(i) Dettagli della specie
Anastrangalia dubia dubia (Scopoli, 1763)
Cerambycidae


29.VI.2015 - ITALIA - Lombardia - SO
Coleoptera

skip

5

2009

10/08/2016, 9:16

skip Vedi ultimo messaggio

Nessun messaggio da leggere
Purpuricenus (Purpuricenus) globulicollis Dejean, 1839 - Cerambycidae
7.VIII.2016 - ITALIA - Trentino-Alto Adige - TN
Allegato(i) Dettagli della specie
Purpuricenus (Purpuricenus) globulicollis Dejean, 1839
Cerambycidae


7.VIII.2016 - ITALIA - Trentino-Alto Adige - TN
Coleoptera

Pippistrello

3

1554

09/08/2016, 22:03

Pippistrello Vedi ultimo messaggio

Nessun messaggio da leggere
Monochamus galloprovincialis (Olivier, 1795) - Cerambycidae
8.VIII.2016 - ITALIA - Friuli-Venezia Giulia - PN
Allegato(i) Dettagli della specie
Monochamus galloprovincialis (Olivier, 1795)
Cerambycidae


8.VIII.2016 - ITALIA - Friuli-Venezia Giulia - PN
Coleoptera

andreah

2

1308

09/08/2016, 17:57

andreah Vedi ultimo messaggio

Nessun messaggio da leggere
Pachytodes cerambyciformis (Schrank, 1781) - Cerambycidae
29.VII.2016 - ITALIA - Trentino-Alto Adige - BZ
Allegato(i) Dettagli della specie
Pachytodes cerambyciformis (Schrank, 1781)
Cerambycidae


29.VII.2016 - ITALIA - Trentino-Alto Adige - BZ
Coleoptera

coneshell

3

1266

09/08/2016, 11:52

coneshell Vedi ultimo messaggio

Nessun messaggio da leggere
Stenurella melanura (Linnaeus, 1758) - Cerambycidae
5.VIII.2016 - ITALIA - Friuli-Venezia Giulia - PN
Allegato(i) Dettagli della specie
Stenurella melanura (Linnaeus, 1758)
Cerambycidae


5.VIII.2016 - ITALIA - Friuli-Venezia Giulia - PN
Coleoptera

andreah

2

1024

05/08/2016, 10:32

andreah Vedi ultimo messaggio

Visualizza ultimi argomenti:  Ordina per  Ordine:  
nuovo argomento
Vai alla pagina Precedente  1 ... 11, 12, 13, 14, 15, 16, 17 ... 59  Prossimo
Pagina 14 di 59 [ 2928 argomenti ]

Tutti gli orari sono UTC + 1 ora [ ora legale ]


Chi c’è in linea

Visitano il forum: Nessuno e 3 ospiti


Legenda
Messaggi da leggere Messaggi da leggere Nessun messaggio da leggere Nessun messaggio da leggere Annuncio Annuncio
 
Specie indeterminata / discussione generica
Messaggi non letti [ Popolari ] Messaggi non letti [ Popolari ] Nessun messaggio da leggere [ Popolare ] Nessun messaggio da leggere [ Popolare ] Importante Importante
 
Specie determinata fino al genere o cf.
Messaggi non letti [ Bloccati ] Messaggi non letti [ Bloccati ] No messaggi non letti [ Bloccati ] No messaggi non letti [ Bloccati ] Argomento spostato Argomento spostato
 
Specie correttamente determinata
Permessi
Non puoi aprire nuovi argomenti
Non puoi rispondere negli argomenti
Non puoi modificare i tuoi messaggi
Non puoi cancellare i tuoi messaggi
Non puoi inviare allegati

Cerca per:
Vai a: