Benvenuto Ospite

Forum Entomologi Italiani

www.entomologiitaliani.net/forum
 
Oggi è 18/02/2026, 0:12

Tutti gli orari sono UTC + 1 ora [ ora legale ]


92% 
2927 taxa correttamente determinati su 3181 presenti in archivio

Cerambycidae


[ AFROTROPICALE ] [ ANTARTICO ] [ AUSTRALASIANO ] [ NEARTICO ] [ NEOTROPICALE ] [ ORIENTALE ] [ PALEARTICO ]


nuovo argomento
Vai alla pagina Precedente  1 ... 17, 18, 19, 20, 21, 22, 23 ... 103  Prossimo
Pagina 20 di 103 [ 5107 argomenti ]
 Argomenti   Ordine   Autore   Risposte   Visite    Ultimo messaggio 
Annunci
Nessun messaggio da leggere
Allegato(i)
Incontri entomologici della Società Entomologica Italiana 2025-2026
 

Velvet Ant

0

27051

17/11/2025, 19:41

Velvet Ant Vedi ultimo messaggio

Nessun messaggio da leggere
Allegato(i)
Incontri entomologici telematici organizzati dalla Società Entomologica Italiana nel 2022 e nel 2023

[ Vai alla paginaVai alla pagina: 1, 2, 3 ]

 

Velvet Ant

44

1820230

03/03/2023, 15:55

Velvet Ant Vedi ultimo messaggio

Nessun messaggio da leggere  
Allegato(i)
Sondaggio sul declino dell'entomofauna in Italia

[ Vai alla paginaVai alla pagina: 1, 2, 3, 4 ]

 

Velvet Ant

52

2460156

22/10/2022, 19:18

Acquarius Vedi ultimo messaggio

Nessun messaggio da leggere  
Allegato(i)
Progetto: Bibliografia ragionata dei lavori entomologici nei quali sono citati reperti apparsi su FEI

[ Vai alla paginaVai alla pagina: 1, 2, 3 ]

 

Velvet Ant

33

1461307

06/07/2023, 18:31

Orotrechus Vedi ultimo messaggio

Nessun messaggio da leggere
Allegato(i)
Mimesi, il primo documentario cinematografico sull’entomologia in Italia: casting
 

mazzeip

1

1107924

28/02/2019, 20:26

mazzeip Vedi ultimo messaggio

Questo argomento è bloccato, non puoi modificare o inviare ulteriori messaggi.
Allegato(i)
ISTRUZIONI PUBBLICAZIONE NUOVI ARGOMENTI E FOTO

 
Altri Ordini di Insetti

Julodis

4

2913975

13/05/2015, 19:37

Julodis Vedi ultimo messaggio

Nessun messaggio da leggere
Allegato(i)
Limitatore giornaliero di messaggi, uno strumento utile e ormai indispensabile

[ Vai alla paginaVai alla pagina: 1 ... 14, 15, 16 ]

 

Velvet Ant

233

12928773

25/09/2014, 14:31

Inachis Vedi ultimo messaggio

Nessun messaggio da leggere  
NORME PER I COLLABORATORI DEL FORUM

 
 

Velvet Ant

0

648191

02/06/2011, 12:05

Velvet Ant Vedi ultimo messaggio

Nessun messaggio da leggere
Allegato(i)
NORME PER GLI UTENTI DEL FORUM

[ Vai alla paginaVai alla pagina: 1, 2, 3 ]



 
 

Velvet Ant

30

3577520

23/09/2014, 23:54

Maurizio Bollino Vedi ultimo messaggio

Questo argomento è bloccato, non puoi modificare o inviare ulteriori messaggi.  
Elenco delle specie italiane di Cerambycidae presenti sul forum
Cerambycidae


 
Coleoptera

Plagionotus

0

6259

22/11/2010, 22:28

Plagionotus Vedi ultimo messaggio

Nessun messaggio da leggere  
Lista degli utenti del "Forum entomologi italiani" per campi di interesse e specializzazione

 
Altri Ordini di Insetti

Velvet Ant

13

1056445

07/09/2023, 17:14

Roberto-07 Vedi ultimo messaggio

Argomenti
Nessun messaggio da leggere
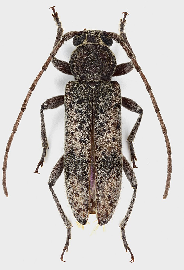
Monochamus sartor (Fabricius, 1787) cf. - Cerambycidae
4.VI.2017 - ITALIA - Toscana - PI
Allegato(i) Dettagli della specie
Monochamus sartor (Fabricius, 1787) cf.
Cerambycidae

[ Vai alla paginaVai alla pagina: 1, 2 ]



4.VI.2017 - ITALIA - Toscana - PI
Coleoptera

Stefano79

15

5245

16/08/2017, 8:40

Stefano79 Vedi ultimo messaggio

Nessun messaggio da leggere
Cerambyx welensii (Küster, 1845) - Cerambycidae
4.VII.2017 - CROAZIA - EE
Allegato(i) Dettagli della specie
Cerambyx welensii (Küster, 1845)
Cerambycidae


4.VII.2017 - CROAZIA - EE
Coleoptera

gstalker

4

1931

15/08/2017, 19:41

gstalker Vedi ultimo messaggio

Nessun messaggio da leggere
Cerambyx welensii (Küster, 1845) - Cerambycidae
28.VI.2017 - CROAZIA - EE
Allegato(i) Dettagli della specie
Cerambyx welensii (Küster, 1845)
Cerambycidae


28.VI.2017 - CROAZIA - EE
Coleoptera

gstalker

2

1192

15/08/2017, 19:40

gstalker Vedi ultimo messaggio

Nessun messaggio da leggere
Aristobia approximator (Thomson, 1865) - Cerambycidae
9.VIII.2017 - THAILANDIA - EE
Allegato(i)
Aristobia approximator (Thomson, 1865) - Cerambycidae
Cerambycidae


9.VIII.2017 - THAILANDIA - EE
Coleoptera

mazzeip

1

1101

11/08/2017, 20:32

TheWings Vedi ultimo messaggio

Nessun messaggio da leggere
Pseudovadonia livida livida (Fabricius, 1777) - Cerambycidae
26.V.2017 - ITALIA - Piemonte - AL
Allegato(i) Dettagli della specie
Pseudovadonia livida livida (Fabricius, 1777)
Cerambycidae


26.V.2017 - ITALIA - Piemonte - AL
Coleoptera

checcapitipiti

2

1077

10/08/2017, 22:55

checcapitipiti Vedi ultimo messaggio

Nessun messaggio da leggere
Allegato(i) Dettagli della specie
Leiopus nebulosus nebulosus (Linnaeus, 1758)
Cerambycidae


VII.2017 - ITALIA - Lazio - FR
Coleoptera

Julodis

7

2073

07/08/2017, 17:58

Xylosteus Vedi ultimo messaggio

Nessun messaggio da leggere
Aegosoma scabricorne (Scopoli, 1763) - Cerambycidae
29.VII.2017 - ITALIA - Molise - IS
Allegato(i) Dettagli della specie
Aegosoma scabricorne (Scopoli, 1763)
Cerambycidae


29.VII.2017 - ITALIA - Molise - IS
Coleoptera

Franco ROSSI

3

1434

04/08/2017, 12:29

Franco ROSSI Vedi ultimo messaggio

Nessun messaggio da leggere
Trichoferus holosericeus (Rossi, 1790) - Cerambycidae
20.VII.2017 - ITALIA - Emilia-Romagna - PC
Allegato(i) Dettagli della specie
Trichoferus holosericeus (Rossi, 1790)
Cerambycidae


20.VII.2017 - ITALIA - Emilia-Romagna - PC
Coleoptera

guguste

7

2275

31/07/2017, 21:34

guguste Vedi ultimo messaggio

Nessun messaggio da leggere
Trichoferus holosericeus (Rossi, 1790) - Cerambycidae
29.VII.2017 - ITALIA - Liguria - SV
Allegato(i) Dettagli della specie
Trichoferus holosericeus (Rossi, 1790)
Cerambycidae


29.VII.2017 - ITALIA - Liguria - SV
Coleoptera

fabio.aste

3

1267

29/07/2017, 23:09

fabio.aste Vedi ultimo messaggio

Nessun messaggio da leggere
Stenopterus rufus rufus (Linnaeus, 1767) - Cerambycidae
23.V.2017 - ITALIA - Calabria - CS
Allegato(i) Dettagli della specie
Stenopterus rufus rufus (Linnaeus, 1767)
Cerambycidae


23.V.2017 - ITALIA - Calabria - CS
Coleoptera

aiello antonio

3

1366

28/07/2017, 23:00

aiello antonio Vedi ultimo messaggio

Nessun messaggio da leggere
Allegato(i)
Trichoferus kotschyi Ganglbauer, 1883 - Cerambycidae
Cerambycidae


VII.2017 - TURCHIA - EE
Coleoptera

Julodis

5

1509

28/07/2017, 21:35

Entomarci Vedi ultimo messaggio

Nessun messaggio da leggere
Oberea (Oberea) oculata (Linnaeus, 1758) - Cerambycidae
17.VII.2017 - ITALIA - Piemonte - VB
Allegato(i) Dettagli della specie
Oberea (Oberea) oculata (Linnaeus, 1758)
Cerambycidae


17.VII.2017 - ITALIA - Piemonte - VB
Coleoptera

marco villa

1

1067

28/07/2017, 15:47

Julodis Vedi ultimo messaggio

Nessun messaggio da leggere
Allegato(i) Dettagli della specie
Purpuricenus (Purpuricenus) globulicollis Dejean, 1839
Cerambycidae


VII.2017 - ITALIA - Lazio - RM
Coleoptera

Julodis

12

3915

27/07/2017, 18:56

Julodis Vedi ultimo messaggio

Nessun messaggio da leggere
Leptura aurulenta Fabricius, 1792 - Cerambycidae
16.VII.2017 - ITALIA - Lombardia - CO
Allegato(i) Dettagli della specie
Leptura aurulenta Fabricius, 1792
Cerambycidae


16.VII.2017 - ITALIA - Lombardia - CO
Coleoptera

etguarna

7

2231

27/07/2017, 7:02

Julodis Vedi ultimo messaggio

Nessun messaggio da leggere
Allegato(i) Dettagli della specie
Stictoleptura scutellata scutellata (Fabricius, 1781)
Cerambycidae


VI.2017 - ITALIA - Lazio - RM
Coleoptera

Julodis

4

1561

26/07/2017, 12:26

Julodis Vedi ultimo messaggio

Nessun messaggio da leggere
Allegato(i) Dettagli della specie
Ropalopus (Ropalopus) ungaricus (Herbst, 1784)
Cerambycidae


VII.2017 - ITALIA - Lazio - RM
Coleoptera

Julodis

9

2794

26/07/2017, 9:58

Plagionotus Vedi ultimo messaggio

Nessun messaggio da leggere
Necydalis (Necydalis) ulmi (Chevrolat, 1838) - Cerambycidae
13.VII.2017 - ITALIA - Trentino-Alto Adige - BZ
Allegato(i) Dettagli della specie
Necydalis (Necydalis) ulmi (Chevrolat, 1838)
Cerambycidae


13.VII.2017 - ITALIA - Trentino-Alto Adige - BZ
Coleoptera

rusticus

12

2874

25/07/2017, 20:25

Pippistrello Vedi ultimo messaggio

Nessun messaggio da leggere
Allegato(i) Dettagli della specie
Anaglyptus zappii Rapuzzi & Sama, 2014 cf.
Cerambycidae


VI.2017 - ITALIA - Lazio - RM
Coleoptera

Julodis

4

1920

25/07/2017, 14:14

Pippistrello Vedi ultimo messaggio

Nessun messaggio da leggere
Allegato(i) Dettagli della specie
Purpuricenus (Purpuricenus) globulicollis Dejean, 1839
Cerambycidae


26.VI.2017 - GRECIA - EE
Coleoptera

Il Baratelli

5

1745

23/07/2017, 15:28

Plagionotus Vedi ultimo messaggio

Nessun messaggio da leggere
Allegato(i) Dettagli della specie
Stenurella bifasciata bifasciata (O. F. Müller, 1776)
Cerambycidae


1.VII.2017 - CROAZIA - EE
Coleoptera

gstalker

11

2729

23/07/2017, 13:14

gstalker Vedi ultimo messaggio

Nessun messaggio da leggere
Anaglyptus gibbosus (Fabricius, 1787) - Cerambycidae
VI.2017 - ITALIA - Lazio - RM
Allegato(i) Dettagli della specie
Anaglyptus gibbosus (Fabricius, 1787)
Cerambycidae


VI.2017 - ITALIA - Lazio - RM
Coleoptera

Julodis

0

992

22/07/2017, 8:29

Julodis Vedi ultimo messaggio

Nessun messaggio da leggere
Allegato(i) Dettagli della specie
Ropalopus (Ropalopus) clavipes (Fabricius, 1775)
Cerambycidae


VII.2017 - ITALIA - Lazio - RM
Coleoptera

Julodis

1

1094

21/07/2017, 8:37

Chiasognathus Vedi ultimo messaggio

Nessun messaggio da leggere
Pachytodes cerambyciformis (Schrank, 1781) - Cerambycidae
20.VII.2017 - ITALIA - Friuli-Venezia Giulia - PN
Allegato(i) Dettagli della specie
Pachytodes cerambyciformis (Schrank, 1781)
Cerambycidae


20.VII.2017 - ITALIA - Friuli-Venezia Giulia - PN
Coleoptera

andreah

2

1182

20/07/2017, 22:32

andreah Vedi ultimo messaggio

Nessun messaggio da leggere
Monochamus galloprovincialis (Olivier, 1795) - Cerambycidae
15.VII.2017 - ITALIA - Lombardia - VA
Allegato(i) Dettagli della specie
Monochamus galloprovincialis (Olivier, 1795)
Cerambycidae


15.VII.2017 - ITALIA - Lombardia - VA
Coleoptera

Il Baratelli

6

2094

20/07/2017, 16:41

Il Baratelli Vedi ultimo messaggio

Nessun messaggio da leggere
Allegato(i) Dettagli della specie
Necydalis (Necydalis) ulmi (Chevrolat, 1838)
Cerambycidae


VII.2017 - ITALIA - Lazio - RM
Coleoptera

Julodis

6

2256

20/07/2017, 6:42

Julodis Vedi ultimo messaggio

Nessun messaggio da leggere
Rosalia (Rosalia) alpina alpina (Linnaeus, 1758) - Cerambycidae
15.VII.2017 - ITALIA - Sicilia - ME
Allegato(i) Dettagli della specie
Rosalia (Rosalia) alpina alpina (Linnaeus, 1758)
Cerambycidae


15.VII.2017 - ITALIA - Sicilia - ME
Coleoptera

Amata Ciro

13

2523

19/07/2017, 0:21

Julodis Vedi ultimo messaggio

Nessun messaggio da leggere
Allegato(i) Dettagli della specie
Rutpela maculata nigricornis Rapuzzi & Sama, 2006
Cerambycidae


15.VII.2017 - ITALIA - Sicilia - ME
Coleoptera

Amata Ciro

4

1600

19/07/2017, 0:19

Julodis Vedi ultimo messaggio

Nessun messaggio da leggere
Pachytodes erraticus erraticus (Dalman, 1817) - Cerambycidae
21.VI.2017 - ITALIA - Sicilia - EN
Allegato(i) Dettagli della specie
Pachytodes erraticus erraticus (Dalman, 1817)
Cerambycidae


21.VI.2017 - ITALIA - Sicilia - EN
Coleoptera

Amata Ciro

2

1195

17/07/2017, 14:53

Amata Ciro Vedi ultimo messaggio

Nessun messaggio da leggere
Asemum striatum (Linnaeus, 1758) - Cerambycidae
24.VI.2017 - ITALIA - Piemonte - CN
Allegato(i) Dettagli della specie
Asemum striatum (Linnaeus, 1758)
Cerambycidae


24.VI.2017 - ITALIA - Piemonte - CN
Coleoptera

checcapitipiti

2

1349

16/07/2017, 10:47

checcapitipiti Vedi ultimo messaggio

Nessun messaggio da leggere
Aegosoma scabricorne (Scopoli, 1763) - Cerambycidae
14.VII.2017 - ITALIA - Emilia-Romagna - PR
Allegato(i) Dettagli della specie
Aegosoma scabricorne (Scopoli, 1763)
Cerambycidae


14.VII.2017 - ITALIA - Emilia-Romagna - PR
Coleoptera

fornaeffe

3

1524

14/07/2017, 19:28

Nicarinus Vedi ultimo messaggio

Nessun messaggio da leggere
Arhopalus syriacus (Reitter, 1895) - Cerambycidae
20.VIII.2014 - ITALIA - Marche - PU
Allegato(i) Dettagli della specie
Arhopalus syriacus (Reitter, 1895)
Cerambycidae


20.VIII.2014 - ITALIA - Marche - PU
Coleoptera

marco paglialunga

13

4405

14/07/2017, 8:56

Plagionotus Vedi ultimo messaggio

Nessun messaggio da leggere
Allegato(i) Dettagli della specie
Exocentrus punctipennis Mulsant & Guillebeau, 1856
Cerambycidae


16.VI.2017 - ITALIA - Toscana - PI
Coleoptera

Stefano79

4

1939

14/07/2017, 8:26

Stefano79 Vedi ultimo messaggio

Nessun messaggio da leggere
Prionus coriarius (Linnaeus, 1758) - Cerambycidae
11.VII.2015 - GERMANIA - EE
Allegato(i) Dettagli della specie
Prionus coriarius (Linnaeus, 1758)
Cerambycidae


11.VII.2015 - GERMANIA - EE
Coleoptera

Arky90

3

1803

12/07/2017, 10:40

Arky90 Vedi ultimo messaggio

Nessun messaggio da leggere
Ergates faber opifex Mulsant, 1851 - Cerambycidae
7.VII.2017 - ITALIA - Sicilia - CT
Allegato(i) Dettagli della specie
Ergates faber opifex Mulsant, 1851
Cerambycidae


7.VII.2017 - ITALIA - Sicilia - CT
Coleoptera

michele.carraretto

12

3777

10/07/2017, 0:24

Anillus Vedi ultimo messaggio

Nessun messaggio da leggere
Anastrangalia dubia dubia (Scopoli, 1763) - Cerambycidae
24.VI.2017 - ITALIA - Piemonte - CN
Allegato(i) Dettagli della specie
Anastrangalia dubia dubia (Scopoli, 1763)
Cerambycidae


24.VI.2017 - ITALIA - Piemonte - CN
Coleoptera

checcapitipiti

2

1210

09/07/2017, 16:56

checcapitipiti Vedi ultimo messaggio

Nessun messaggio da leggere
Cortodera holosericea (Fabricius, 1801) - Cerambycidae
2.VI.1996 - ITALIA - Marche - AN
Allegato(i) Dettagli della specie
Cortodera holosericea (Fabricius, 1801)
Cerambycidae


2.VI.1996 - ITALIA - Marche - AN
Coleoptera

dorbodervus

2

1141

09/07/2017, 16:30

dorbodervus Vedi ultimo messaggio

Nessun messaggio da leggere
Allegato(i)
Vadonia hirsuta K. et J.Daniel, 1891 - Cerambycidae
 

Giannis

1

846

08/07/2017, 18:43

Velvet Ant Vedi ultimo messaggio

Nessun messaggio da leggere
Allegato(i) Dettagli della specie
Agapanthia (Agapanthia) cardui (Linnaeus, 1767)
Cerambycidae


10.VI.2017 - ITALIA - Liguria - GE
Coleoptera

Antonio Pareto

3

1634

08/07/2017, 9:52

Plagionotus Vedi ultimo messaggio

Nessun messaggio da leggere
Xylotrechus (Xylotrechus) stebbingi Gahan, 1906 - Cerambycidae
4.VII.2017 - ITALIA - Trentino-Alto Adige - TN
Allegato(i) Dettagli della specie
Xylotrechus (Xylotrechus) stebbingi Gahan, 1906
Cerambycidae


4.VII.2017 - ITALIA - Trentino-Alto Adige - TN
Coleoptera

Syrio

3

1567

07/07/2017, 16:32

Syrio Vedi ultimo messaggio

Nessun messaggio da leggere
Neoclytus acuminatus (Fabricius, 1775) - Cerambycidae
10.VI.2017 - ITALIA - Toscana - PI
Allegato(i) Dettagli della specie
Neoclytus acuminatus (Fabricius, 1775)
Cerambycidae


10.VI.2017 - ITALIA - Toscana - PI
Coleoptera

Stefano79

4

1600

07/07/2017, 13:26

Plagionotus Vedi ultimo messaggio

Nessun messaggio da leggere
Morimus asper asper (Sulzer, 1776) - Cerambycidae
31.V.2017 - ITALIA - Emilia-Romagna - RE
Allegato(i) Dettagli della specie
Morimus asper asper (Sulzer, 1776)
Cerambycidae


31.V.2017 - ITALIA - Emilia-Romagna - RE
Coleoptera

Mikiphasmide

1

902

04/07/2017, 15:59

marco villa Vedi ultimo messaggio

Nessun messaggio da leggere
Allegato(i) Dettagli della specie
Phymatodes testaceus (Linnaeus, 1758)
Cerambycidae


26.VI.2016 - CROAZIA - EE
Coleoptera

skapc66

1

834

03/07/2017, 9:17

Giuseppe Vedi ultimo messaggio

Nessun messaggio da leggere
Allegato(i) Dettagli della specie
Agapanthia (Epoptes) sicula malmerendii Sama, 1981
Cerambycidae


23.V.2017 - ITALIA - Lazio - RM
Coleoptera

andreah

5

1469

02/07/2017, 21:10

Julodis Vedi ultimo messaggio

Nessun messaggio da leggere
Morimus asper asper (Sulzer, 1776) - Cerambycidae
9.VI.2017 - ITALIA - Sicilia - ME
Allegato(i) Dettagli della specie
Morimus asper asper (Sulzer, 1776)
Cerambycidae


9.VI.2017 - ITALIA - Sicilia - ME
Coleoptera

Salvatore Saitta

3

1123

01/07/2017, 21:02

Lucanus tetraodon Vedi ultimo messaggio

Nessun messaggio da leggere
Larva di Cerambycidae sp.
15.VIII.2014 - ITALIA - Toscana - PI
Allegato(i)
Larva di Cerambycidae sp.

15.VIII.2014 - ITALIA - Toscana - PI
Coleoptera

skip

6

1814

01/07/2017, 16:27

skip Vedi ultimo messaggio

Nessun messaggio da leggere
Allegato(i)
Stenurella novercalis (Reitter, 1901) - Cerambycidae - Lepturinae

27.VI.2017 - TURCHIA - EE
Coleoptera

Baris99

2

909

01/07/2017, 10:42

Baris99 Vedi ultimo messaggio

Nessun messaggio da leggere
Allegato(i)
Agapanthia (Epoptes) dahli (Richter, 1820) - Cerambycidae
Cerambycidae


25.V.2017 - SPAGNA - EE
Coleoptera

matthew gandy

3

1094

30/06/2017, 19:54

Xylosteus Vedi ultimo messaggio

Nessun messaggio da leggere
Saperda octopunctata (Scopoli, 1772) - Cerambycidae
7.V.2015 - ITALIA - Trentino-Alto Adige - TN
Allegato(i) Dettagli della specie
Saperda octopunctata (Scopoli, 1772)
Cerambycidae


7.V.2015 - ITALIA - Trentino-Alto Adige - TN
Coleoptera

michele.carraretto

4

1609

30/06/2017, 16:16

Julodis Vedi ultimo messaggio

Nessun messaggio da leggere
Saperda populnea (Linnaeus, 1758) - Cerambycidae
V.2015 - ITALIA - Abruzzo - AQ
Allegato(i) Dettagli della specie
Saperda populnea (Linnaeus, 1758)
Cerambycidae


V.2015 - ITALIA - Abruzzo - AQ
Coleoptera

Julodis

4

1681

30/06/2017, 15:11

Julodis Vedi ultimo messaggio

Nessun messaggio da leggere
Arhopalus ferus (Mulsant, 1839) - Cerambycidae
VII.2016 - ITALIA - Emilia-Romagna - FE
Allegato(i) Dettagli della specie
Arhopalus ferus (Mulsant, 1839)
Cerambycidae


VII.2016 - ITALIA - Emilia-Romagna - FE
Coleoptera

Daniele Maccapani

9

2914

29/06/2017, 15:22

Julodis Vedi ultimo messaggio

Visualizza ultimi argomenti:  Ordina per  Ordine:  
nuovo argomento
Vai alla pagina Precedente  1 ... 17, 18, 19, 20, 21, 22, 23 ... 103  Prossimo
Pagina 20 di 103 [ 5107 argomenti ]

Tutti gli orari sono UTC + 1 ora [ ora legale ]


Chi c’è in linea

Visitano il forum: Nessuno e 3 ospiti


Legenda
Messaggi da leggere Messaggi da leggere Nessun messaggio da leggere Nessun messaggio da leggere Annuncio Annuncio
 
Specie indeterminata / discussione generica
Messaggi non letti [ Popolari ] Messaggi non letti [ Popolari ] Nessun messaggio da leggere [ Popolare ] Nessun messaggio da leggere [ Popolare ] Importante Importante
 
Specie determinata fino al genere o cf.
Messaggi non letti [ Bloccati ] Messaggi non letti [ Bloccati ] No messaggi non letti [ Bloccati ] No messaggi non letti [ Bloccati ] Argomento spostato Argomento spostato
 
Specie correttamente determinata
Permessi
Non puoi aprire nuovi argomenti
Non puoi rispondere negli argomenti
Non puoi modificare i tuoi messaggi
Non puoi cancellare i tuoi messaggi
Non puoi inviare allegati

Cerca per:
Vai a: