Benvenuto Ospite

Forum Entomologi Italiani

www.entomologiitaliani.net/forum
 
Oggi è 14/04/2026, 11:21

Tutti gli orari sono UTC + 1 ora [ ora legale ]


100%
tutti i taxon di questo archivio sono stati determinati correttamente

Anthicidae


[ AFROTROPICALE ] [ ANTARTICO ] [ AUSTRALASIANO ] [ NEARTICO ] [ NEOTROPICALE ] [ ORIENTALE ] [ PALEARTICO ]


nuovo argomento
Vai alla pagina Precedente  1, 2, 3
Pagina 3 di 3 [ 133 argomenti ]
 Argomenti   Ordine   Autore   Risposte   Visite    Ultimo messaggio 
Annunci
Nessun messaggio da leggere
Allegato(i)
Incontri entomologici della Società Entomologica Italiana 2025-2026
 

Velvet Ant

0

46312

17/11/2025, 19:41

Velvet Ant Vedi ultimo messaggio

Nessun messaggio da leggere
Allegato(i)
Incontri entomologici telematici organizzati dalla Società Entomologica Italiana nel 2022 e nel 2023

[ Vai alla paginaVai alla pagina: 1, 2, 3 ]

 

Velvet Ant

44

1996440

03/03/2023, 15:55

Velvet Ant Vedi ultimo messaggio

Nessun messaggio da leggere  
Allegato(i)
Sondaggio sul declino dell'entomofauna in Italia

[ Vai alla paginaVai alla pagina: 1, 2, 3, 4 ]

 

Velvet Ant

52

2667579

22/10/2022, 19:18

Acquarius Vedi ultimo messaggio

Nessun messaggio da leggere  
Allegato(i)
Progetto: Bibliografia ragionata dei lavori entomologici nei quali sono citati reperti apparsi su FEI

[ Vai alla paginaVai alla pagina: 1, 2, 3 ]

 

Velvet Ant

33

1602243

06/07/2023, 18:31

Orotrechus Vedi ultimo messaggio

Nessun messaggio da leggere
Allegato(i)
Mimesi, il primo documentario cinematografico sull’entomologia in Italia: casting
 

mazzeip

1

1136201

28/02/2019, 20:26

mazzeip Vedi ultimo messaggio

Questo argomento è bloccato, non puoi modificare o inviare ulteriori messaggi.
Allegato(i)
ISTRUZIONI PUBBLICAZIONE NUOVI ARGOMENTI E FOTO

 
Altri Ordini di Insetti

Julodis

4

2952881

13/05/2015, 19:37

Julodis Vedi ultimo messaggio

Nessun messaggio da leggere
Allegato(i)
Limitatore giornaliero di messaggi, uno strumento utile e ormai indispensabile

[ Vai alla paginaVai alla pagina: 1 ... 14, 15, 16 ]

 

Velvet Ant

233

13753215

25/09/2014, 14:31

Inachis Vedi ultimo messaggio

Nessun messaggio da leggere  
NORME PER I COLLABORATORI DEL FORUM

 
 

Velvet Ant

0

669277

02/06/2011, 12:05

Velvet Ant Vedi ultimo messaggio

Nessun messaggio da leggere
Allegato(i)
NORME PER GLI UTENTI DEL FORUM

[ Vai alla paginaVai alla pagina: 1, 2, 3 ]



 
 

Velvet Ant

30

3719753

23/09/2014, 23:54

Maurizio Bollino Vedi ultimo messaggio

Nessun messaggio da leggere  
Lista degli utenti del "Forum entomologi italiani" per campi di interesse e specializzazione

 
Altri Ordini di Insetti

Velvet Ant

13

1121653

07/09/2023, 17:14

Roberto-07 Vedi ultimo messaggio

Argomenti
Nessun messaggio da leggere
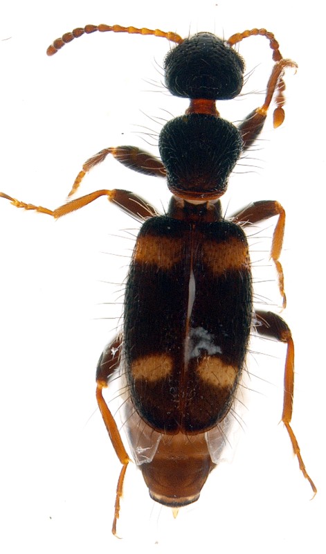
Anthelephila pedestris (P. Rossi, 1790) - Anthicidae
10.IV.2011 - ITALIA - Lazio - VT
Allegato(i) Dettagli della specie
Anthelephila pedestris (P. Rossi, 1790)
Anthicidae


10.IV.2011 - ITALIA - Lazio - VT
Coleoptera

david box

2

1034

27/04/2011, 19:36

Notoxus59 Vedi ultimo messaggio

Nessun messaggio da leggere
Allegato(i) Dettagli della specie
Cordicomus instabilis instabilis (W.L.E. Schmidt, 1842)
Anthicidae


30.III.2011 - ITALIA - Puglia - LE
Coleoptera

Maurizio Bollino

3

976

11/04/2011, 20:49

Notoxus59 Vedi ultimo messaggio

Nessun messaggio da leggere
Allegato(i) Dettagli della specie
Cordicomus instabilis instabilis (W.L.E. Schmidt, 1842)
Anthicidae


25.III.2011 - ITALIA - Sicilia - PA
Coleoptera

carabus

4

1137

31/03/2011, 20:18

Notoxus59 Vedi ultimo messaggio

Nessun messaggio da leggere
Allegato(i) Dettagli della specie
Cordicomus instabilis instabilis (W.L.E. Schmidt, 1842)
Anthicidae


21.III.2011 - ITALIA - Sicilia - TP
Coleoptera

gigi58

9

2124

25/03/2011, 20:54

gigi58 Vedi ultimo messaggio

Nessun messaggio da leggere
Anthelephila pedestris (P. Rossi, 1790) - Anthicidae
19.III.2011 - ITALIA - Friuli-Venezia Giulia - GO
Allegato(i) Dettagli della specie
Anthelephila pedestris (P. Rossi, 1790)
Anthicidae


19.III.2011 - ITALIA - Friuli-Venezia Giulia - GO
Coleoptera

Agdistis

2

1038

20/03/2011, 22:24

Agdistis Vedi ultimo messaggio

Nessun messaggio da leggere
Allegato(i) Dettagli della specie
Cordicomus instabilis instabilis (W.L.E. Schmidt, 1842)
Anthicidae


8.III.2011 - ITALIA - Lazio - RM
Coleoptera

elleelle

2

1057

12/03/2011, 18:00

elleelle Vedi ultimo messaggio

Nessun messaggio da leggere
Cordicomus instabilis instabilis (W.L.E. Schmidt, 1842) - Anthicidae
26.II.2011 - ITALIA - Emilia-Romagna - BO
Allegato(i) Dettagli della specie
Cordicomus instabilis instabilis (W.L.E. Schmidt, 1842)
Anthicidae


26.II.2011 - ITALIA - Emilia-Romagna - BO
Coleoptera

Loriscola

2

789

03/03/2011, 16:34

Loriscola Vedi ultimo messaggio

Nessun messaggio da leggere
Endomia occipitalis (L. Dufour, 1843) - Anthicidae
13.II.2011 - ITALIA - Emilia-Romagna - BO
Allegato(i) Dettagli della specie
Endomia occipitalis (L. Dufour, 1843)
Anthicidae


13.II.2011 - ITALIA - Emilia-Romagna - BO
Coleoptera

Loriscola

2

1292

20/02/2011, 23:00

Loriscola Vedi ultimo messaggio

Nessun messaggio da leggere
Allegato(i) Dettagli della specie
Cordicomus instabilis instabilis (W.L.E. Schmidt, 1842)
Anthicidae


2.II.2011 - ITALIA - Lazio - RM
Coleoptera

elleelle

1

820

04/02/2011, 22:49

Notoxus59 Vedi ultimo messaggio

Nessun messaggio da leggere
Anthicus tristis tristis W.L.E. Schmidt, 1842 - Anthicidae
8.IX.2010 - ITALIA - Sardegna - CA
Allegato(i) Dettagli della specie
Anthicus tristis tristis W.L.E. Schmidt, 1842
Anthicidae


8.IX.2010 - ITALIA - Sardegna - CA
Coleoptera

Palaemonetes

7

1731

22/01/2011, 19:38

Palaemonetes Vedi ultimo messaggio

Nessun messaggio da leggere
Omonadus floralis (Linnaeus, 1758) - Anthicidae
21.VIII.2010 - ITALIA - Lazio - FR
Allegato(i) Dettagli della specie
Omonadus floralis (Linnaeus, 1758)
Anthicidae


21.VIII.2010 - ITALIA - Lazio - FR
Coleoptera

Julodis

1

738

25/08/2010, 16:25

Notoxus59 Vedi ultimo messaggio

Nessun messaggio da leggere
Omonadus bifasciatus (P. Rossi, 1792) - Anthicidae
23.VII.2010 - ITALIA - Lazio - FR
Allegato(i) Dettagli della specie
Omonadus bifasciatus (P. Rossi, 1792)
Anthicidae


23.VII.2010 - ITALIA - Lazio - FR
Coleoptera

Julodis

4

1464

27/07/2010, 15:42

Stefano79 Vedi ultimo messaggio

Nessun messaggio da leggere
Microhoria venusta (A. Villa & G.B. Villa, 1833) - Anthicidae
20.VI.1981 - ITALIA - Piemonte - BI
Allegato(i) Dettagli della specie
Microhoria venusta (A. Villa & G.B. Villa, 1833)
Anthicidae


20.VI.1981 - ITALIA - Piemonte - BI
Coleoptera

Loriscola

2

1395

17/05/2010, 9:12

Loriscola Vedi ultimo messaggio

Nessun messaggio da leggere
Anthicus czernohorskyi Pic, 1912 - Anthicidae
19.VII.2005 - ITALIA - Emilia-Romagna - RA
Allegato(i) Dettagli della specie
Anthicus czernohorskyi Pic, 1912
Anthicidae


19.VII.2005 - ITALIA - Emilia-Romagna - RA
Coleoptera

Notoxus59

0

819

10/02/2010, 14:08

Notoxus59 Vedi ultimo messaggio

Nessun messaggio da leggere
Cordicomus gracilis (Panzer, 1797) - Anthicidae
23.VI.1985 - ITALIA - Emilia-Romagna - BO
Allegato(i) Dettagli della specie
Cordicomus gracilis (Panzer, 1797)
Anthicidae


23.VI.1985 - ITALIA - Emilia-Romagna - BO
Coleoptera

Notoxus59

5

1100

14/01/2010, 19:16

Notoxus59 Vedi ultimo messaggio

Nessun messaggio da leggere
Allegato(i) Dettagli della specie
Cordicomus instabilis instabilis (W.L.E. Schmidt, 1842)
Anthicidae


6.IV.1993 - ITALIA - Sardegna - SS
Coleoptera

Dilar

3

1025

05/12/2009, 15:07

Dilar Vedi ultimo messaggio

Nessun messaggio da leggere
Allegato(i) Dettagli della specie
Cordicomus instabilis instabilis (W.L.E. Schmidt, 1842)
Anthicidae


28.III.2009 - ITALIA - Sicilia - TP
Coleoptera

gigi58

5

987

27/10/2009, 21:02

gigi58 Vedi ultimo messaggio

Nessun messaggio da leggere
Anthicus tristis tristis W.L.E. Schmidt, 1842 - Anthicidae
5.IV.2009 - ITALIA - Emilia-Romagna - BO
Allegato(i) Dettagli della specie
Anthicus tristis tristis W.L.E. Schmidt, 1842
Anthicidae


5.IV.2009 - ITALIA - Emilia-Romagna - BO
Coleoptera

Loriscola

3

992

23/10/2009, 21:03

Notoxus59 Vedi ultimo messaggio

Nessun messaggio da leggere
Cyclodinus constrictus (Curtis, 1838) - Anthicidae
29.VII.2004 - ITALIA - Sardegna - SS
Allegato(i) Dettagli della specie
Cyclodinus constrictus (Curtis, 1838)
Anthicidae


29.VII.2004 - ITALIA - Sardegna - SS
Coleoptera

ESAPODA

2

729

21/10/2009, 13:39

Hemerobius Vedi ultimo messaggio

Nessun messaggio da leggere
Allegato(i) Dettagli della specie
Hirticomus hispidus (P. Rossi, 1792)
Anthicidae


II - ITALIA - Sardegna
Coleoptera

ESAPODA

10

1638

14/10/2009, 19:14

Notoxus59 Vedi ultimo messaggio

Nessun messaggio da leggere
Stricticomus tobias (Marseul, 1879) - Anthicidae
X.2009 - ITALIA - Emilia-Romagna - BO
Allegato(i) Dettagli della specie
Stricticomus tobias (Marseul, 1879)
Anthicidae


X.2009 - ITALIA - Emilia-Romagna - BO
Coleoptera

Loriscola

2

816

10/10/2009, 22:51

Loriscola Vedi ultimo messaggio

Nessun messaggio da leggere
Hirticomus quadriguttatus (P. Rossi, 1792) - Anthicidae
30.VIII.2007 - ITALIA - Sardegna - NU
Allegato(i) Dettagli della specie
Hirticomus quadriguttatus (P. Rossi, 1792)
Anthicidae


30.VIII.2007 - ITALIA - Sardegna - NU
Coleoptera

Hemerobius

7

1518

15/09/2009, 20:23

Notoxus59 Vedi ultimo messaggio

Nessun messaggio da leggere
Anthicus invreai Koch, 1933 - Anthicidae
3.VII.2007 - ITALIA - Sardegna - CA
Allegato(i) Dettagli della specie
Anthicus invreai Koch, 1933
Anthicidae


3.VII.2007 - ITALIA - Sardegna - CA
Coleoptera

Daniele Sechi

10

1808

02/09/2009, 21:01

Daniele Sechi Vedi ultimo messaggio

Nessun messaggio da leggere
Allegato(i) Dettagli della specie
Pseudotomoderus compressicollis compressicollis (Motschulsky, 1839)
Anthicidae


3.VII.2007 - ITALIA - Sardegna - CA
Coleoptera

Daniele Sechi

3

1169

25/08/2009, 22:53

gomphus Vedi ultimo messaggio

Nessun messaggio da leggere
Anthelephila pedestris (P. Rossi, 1790) - Anthicidae
3.VII.2007 - ITALIA - Sardegna - CA
Allegato(i) Dettagli della specie
Anthelephila pedestris (P. Rossi, 1790)
Anthicidae


3.VII.2007 - ITALIA - Sardegna - CA
Coleoptera

Daniele Sechi

1

885

25/08/2009, 22:52

Notoxus59 Vedi ultimo messaggio

Nessun messaggio da leggere
Allegato(i) Dettagli della specie
Cyclodinus bremei bremei (La Ferté-Sénectère, 1842)
Anthicidae


3.VII.2007 - ITALIA - Sardegna - CA
Coleoptera

Daniele Sechi

2

1107

25/08/2009, 22:37

Notoxus59 Vedi ultimo messaggio

Nessun messaggio da leggere
Cyclodinus constrictus (Curtis, 1838) - Anthicidae
15.VIII.2009 - ITALIA - Sardegna - CA
Allegato(i) Dettagli della specie
Cyclodinus constrictus (Curtis, 1838)
Anthicidae


15.VIII.2009 - ITALIA - Sardegna - CA
Coleoptera

Daniele Sechi

2

810

25/08/2009, 22:33

Notoxus59 Vedi ultimo messaggio

Nessun messaggio da leggere
Allegato(i) Dettagli della specie
Cordicomus instabilis instabilis (W.L.E. Schmidt, 1842)
Anthicidae


28.VI.2007 - ITALIA - Sardegna - NU
Coleoptera

Hemerobius

8

1680

20/08/2009, 15:13

ESAPODA Vedi ultimo messaggio

Nessun messaggio da leggere
Anthicus rufivestis Marseul, 1879 - Anthicidae
28.V.2009 - ITALIA - Sardegna - CA
Allegato(i) Dettagli della specie
Anthicus rufivestis Marseul, 1879
Anthicidae


28.V.2009 - ITALIA - Sardegna - CA
Coleoptera

Daniele Sechi

4

860

19/08/2009, 17:16

Daniele Sechi Vedi ultimo messaggio

Nessun messaggio da leggere
Anthicus biguttatus La Ferté-Sénectère, 1849 - Anthicidae
28.V.2009 - ITALIA - Sardegna - CA
Allegato(i) Dettagli della specie
Anthicus biguttatus La Ferté-Sénectère, 1849
Anthicidae


28.V.2009 - ITALIA - Sardegna - CA
Coleoptera

Daniele Sechi

4

851

19/08/2009, 17:08

Daniele Sechi Vedi ultimo messaggio

Nessun messaggio da leggere
Microhoria mylabrina (Gené, 1839) - Anthicidae
19.VI.2007 - ITALIA - Sardegna - NU
Allegato(i) Dettagli della specie
Microhoria mylabrina (Gené, 1839)
Anthicidae


19.VI.2007 - ITALIA - Sardegna - NU
Coleoptera

Hemerobius

3

1280

29/04/2009, 22:29

Velvet Ant Vedi ultimo messaggio

Nessun messaggio da leggere
Endomia tenuicollis tenuicollis (P. Rossi, 1792) - Anthicidae
11.IV.2009 - ITALIA - Emilia-Romagna - BO
Allegato(i) Dettagli della specie
Endomia tenuicollis tenuicollis (P. Rossi, 1792)
Anthicidae


11.IV.2009 - ITALIA - Emilia-Romagna - BO
Coleoptera

Loriscola

1

869

16/04/2009, 19:24

Notoxus59 Vedi ultimo messaggio

Nessun messaggio da leggere
Cyclodinus constrictus (Curtis, 1838) - Anthicidae
4.VII.1991 - ITALIA - Sardegna - OR
Allegato(i) Dettagli della specie
Cyclodinus constrictus (Curtis, 1838)
Anthicidae


4.VII.1991 - ITALIA - Sardegna - OR
Coleoptera

Velvet Ant

0

1130

03/03/2009, 9:26

Velvet Ant Vedi ultimo messaggio

Visualizza ultimi argomenti:  Ordina per  Ordine:  
nuovo argomento
Vai alla pagina Precedente  1, 2, 3
Pagina 3 di 3 [ 133 argomenti ]

Tutti gli orari sono UTC + 1 ora [ ora legale ]


Chi c’è in linea

Visitano il forum: Nessuno e 1 ospite


Legenda
Messaggi da leggere Messaggi da leggere Nessun messaggio da leggere Nessun messaggio da leggere Annuncio Annuncio
 
Specie indeterminata / discussione generica
Messaggi non letti [ Popolari ] Messaggi non letti [ Popolari ] Nessun messaggio da leggere [ Popolare ] Nessun messaggio da leggere [ Popolare ] Importante Importante
 
Specie determinata fino al genere o cf.
Messaggi non letti [ Bloccati ] Messaggi non letti [ Bloccati ] No messaggi non letti [ Bloccati ] No messaggi non letti [ Bloccati ] Argomento spostato Argomento spostato
 
Specie correttamente determinata
Permessi
Non puoi aprire nuovi argomenti
Non puoi rispondere negli argomenti
Non puoi modificare i tuoi messaggi
Non puoi cancellare i tuoi messaggi
Non puoi inviare allegati

Cerca per:
Vai a: