Benvenuto Ospite

Forum Entomologi Italiani

www.entomologiitaliani.net/forum
 
Oggi è 12/04/2026, 11:55

Tutti gli orari sono UTC + 1 ora [ ora legale ]

Rhopalidae


[ AFROTROPICALE ] [ ANTARTICO ] [ AUSTRALASIANO ] [ NEARTICO ] [ NEOTROPICALE ] [ ORIENTALE ] [ PALEARTICO ]


nuovo argomento
Vai alla pagina Precedente  1, 2, 3
Pagina 3 di 3 [ 112 argomenti ]
 Argomenti   Ordine   Autore   Risposte   Visite    Ultimo messaggio 
Annunci
Nessun messaggio da leggere
Allegato(i)
Incontri entomologici della Società Entomologica Italiana 2025-2026
 

Velvet Ant

0

45828

17/11/2025, 19:41

Velvet Ant Vedi ultimo messaggio

Nessun messaggio da leggere
Allegato(i)
Incontri entomologici telematici organizzati dalla Società Entomologica Italiana nel 2022 e nel 2023

[ Vai alla paginaVai alla pagina: 1, 2, 3 ]

 

Velvet Ant

44

1993375

03/03/2023, 15:55

Velvet Ant Vedi ultimo messaggio

Nessun messaggio da leggere  
Allegato(i)
Sondaggio sul declino dell'entomofauna in Italia

[ Vai alla paginaVai alla pagina: 1, 2, 3, 4 ]

 

Velvet Ant

52

2664099

22/10/2022, 19:18

Acquarius Vedi ultimo messaggio

Nessun messaggio da leggere  
Allegato(i)
Progetto: Bibliografia ragionata dei lavori entomologici nei quali sono citati reperti apparsi su FEI

[ Vai alla paginaVai alla pagina: 1, 2, 3 ]

 

Velvet Ant

33

1599596

06/07/2023, 18:31

Orotrechus Vedi ultimo messaggio

Nessun messaggio da leggere
Allegato(i)
Mimesi, il primo documentario cinematografico sull’entomologia in Italia: casting
 

mazzeip

1

1134697

28/02/2019, 20:26

mazzeip Vedi ultimo messaggio

Questo argomento è bloccato, non puoi modificare o inviare ulteriori messaggi.
Allegato(i)
ISTRUZIONI PUBBLICAZIONE NUOVI ARGOMENTI E FOTO

 
Altri Ordini di Insetti

Julodis

4

2950837

13/05/2015, 19:37

Julodis Vedi ultimo messaggio

Nessun messaggio da leggere
Allegato(i)
Limitatore giornaliero di messaggi, uno strumento utile e ormai indispensabile

[ Vai alla paginaVai alla pagina: 1 ... 14, 15, 16 ]

 

Velvet Ant

233

13728582

25/09/2014, 14:31

Inachis Vedi ultimo messaggio

Nessun messaggio da leggere  
NORME PER I COLLABORATORI DEL FORUM

 
 

Velvet Ant

0

667894

02/06/2011, 12:05

Velvet Ant Vedi ultimo messaggio

Nessun messaggio da leggere
Allegato(i)
NORME PER GLI UTENTI DEL FORUM

[ Vai alla paginaVai alla pagina: 1, 2, 3 ]



 
 

Velvet Ant

30

3714071

23/09/2014, 23:54

Maurizio Bollino Vedi ultimo messaggio

Nessun messaggio da leggere  
Lista degli utenti del "Forum entomologi italiani" per campi di interesse e specializzazione

 
Altri Ordini di Insetti

Velvet Ant

13

1119360

07/09/2023, 17:14

Roberto-07 Vedi ultimo messaggio

Argomenti
Nessun messaggio da leggere
Allegato(i)
Chorosoma schillingii (Schilling, 1829) - Rophalidae Rophalinae Chorosomatini - Toscana, Isola d'Elba
Hemiptera

FORBIX

2

856

25/09/2010, 17:01

FORBIX Vedi ultimo messaggio

Nessun messaggio da leggere
Allegato(i)
Stictopleurus punctatonervosus (Goeze 1778) - Heteroptera Rhopalidae - Friuli V.G. (GO)
Hemiptera

Agdistis

11

1359

05/09/2010, 20:33

Agdistis Vedi ultimo messaggio

Nessun messaggio da leggere
Allegato(i)
Rhopalus subrufus (Gmelin, 1790) - Rhopalidae. Toscana, Isola d'Elba
Hemiptera

FORBIX

3

680

20/08/2010, 12:02

FORBIX Vedi ultimo messaggio

Nessun messaggio da leggere
Allegato(i)
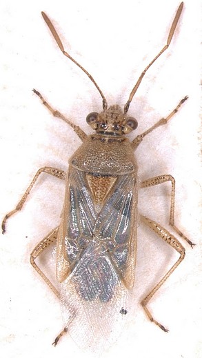
Rhopalidae - Turchia
Hemiptera

Isotomus

1

621

11/07/2010, 10:22

StagBeetle Vedi ultimo messaggio

Nessun messaggio da leggere
Allegato(i)
Corizus hyoscyami (Linnaeus 1758) - Rhopalidae
Hemiptera

Mauro

4

1063

28/06/2010, 11:10

Dioli Vedi ultimo messaggio

Nessun messaggio da leggere
Allegato(i)
Chorosoma schillingii (Schilling, 1829) - Rhopalidae. Sicilia, Madonie
Hemiptera

Velvet Ant

8

1548

28/06/2010, 11:07

Dioli Vedi ultimo messaggio

Nessun messaggio da leggere
Rhopalus (Rhopalus) subrufus (Gmelin, 1790). Lazio
18.IV.2010 - ITALIA - Lazio - RM
Allegato(i)
Rhopalus (Rhopalus) subrufus (Gmelin, 1790). Lazio

18.IV.2010 - ITALIA - Lazio - RM
Hemiptera

soken

3

1061

20/04/2010, 20:11

soken Vedi ultimo messaggio

Nessun messaggio da leggere
Allegato(i)
Rhopalus (Rhopalus) subrufus (Gmelin, 1790) - Rhopalidae

IV.1993 - ITALIA - Marche - PU
Hemiptera

marco paglialunga

2

734

05/01/2010, 21:20

eremicus Vedi ultimo messaggio

Nessun messaggio da leggere
Allegato(i)
Rhopalus (Rhopalus) subrufus (Gmelin 1790), Rhopalidae
Hemiptera

Ranatra

1

596

05/12/2009, 13:06

eremicus Vedi ultimo messaggio

Nessun messaggio da leggere
Allegato(i)
Liorhyssus hyalinus (Fabricius 1794) - Rhopalidae, Sardegna
Hemiptera

Ranatra

1

642

21/09/2009, 12:31

eremicus Vedi ultimo messaggio

Nessun messaggio da leggere
Allegato(i)
Stictopleurus sp. (abutilon o pictus) - Rhopalidae
Hemiptera

soken

10

1432

15/09/2009, 18:24

eremicus Vedi ultimo messaggio

Nessun messaggio da leggere
Allegato(i)
Corizus hyoscyami (Linnaeus, 1758) - Rhopalidae
Hemiptera

soken

3

705

24/08/2009, 13:54

eremicus Vedi ultimo messaggio

Visualizza ultimi argomenti:  Ordina per  Ordine:  
nuovo argomento
Vai alla pagina Precedente  1, 2, 3
Pagina 3 di 3 [ 112 argomenti ]

Tutti gli orari sono UTC + 1 ora [ ora legale ]


Chi c’è in linea

Visitano il forum: Nessuno e 5 ospiti


Legenda
Messaggi da leggere Messaggi da leggere Nessun messaggio da leggere Nessun messaggio da leggere Annuncio Annuncio
 
Specie indeterminata / discussione generica
Messaggi non letti [ Popolari ] Messaggi non letti [ Popolari ] Nessun messaggio da leggere [ Popolare ] Nessun messaggio da leggere [ Popolare ] Importante Importante
 
Specie determinata fino al genere o cf.
Messaggi non letti [ Bloccati ] Messaggi non letti [ Bloccati ] No messaggi non letti [ Bloccati ] No messaggi non letti [ Bloccati ] Argomento spostato Argomento spostato
 
Specie correttamente determinata
Permessi
Non puoi aprire nuovi argomenti
Non puoi rispondere negli argomenti
Non puoi modificare i tuoi messaggi
Non puoi cancellare i tuoi messaggi
Non puoi inviare allegati

Cerca per:
Vai a: