Benvenuto Ospite

Forum Entomologi Italiani

www.entomologiitaliani.net/forum
 
Oggi è 28/04/2026, 3:41

Tutti gli orari sono UTC + 1 ora [ ora legale ]

Ichneumonidae indeterminati


[ AFROTROPICALE ] [ ANTARTICO ] [ AUSTRALASIANO ] [ NEARTICO ] [ NEOTROPICALE ] [ ORIENTALE ] [ PALEARTICO ]


nuovo argomento
Vai alla pagina Precedente  1, 2, 3, 4, 5, 6  Prossimo
Pagina 5 di 6 [ 278 argomenti ]
 Argomenti   Ordine   Autore   Risposte   Visite    Ultimo messaggio 
Annunci
Nessun messaggio da leggere
Allegato(i)
Incontri entomologici della Società Entomologica Italiana 2025-2026
 

Velvet Ant

0

54174

17/11/2025, 19:41

Velvet Ant Vedi ultimo messaggio

Nessun messaggio da leggere
Allegato(i)
Incontri entomologici telematici organizzati dalla Società Entomologica Italiana nel 2022 e nel 2023

[ Vai alla paginaVai alla pagina: 1, 2, 3 ]

 

Velvet Ant

44

2054621

03/03/2023, 15:55

Velvet Ant Vedi ultimo messaggio

Nessun messaggio da leggere  
Allegato(i)
Sondaggio sul declino dell'entomofauna in Italia

[ Vai alla paginaVai alla pagina: 1, 2, 3, 4 ]

 

Velvet Ant

52

2729768

22/10/2022, 19:18

Acquarius Vedi ultimo messaggio

Nessun messaggio da leggere  
Allegato(i)
Progetto: Bibliografia ragionata dei lavori entomologici nei quali sono citati reperti apparsi su FEI

[ Vai alla paginaVai alla pagina: 1, 2, 3 ]

 

Velvet Ant

33

1647199

06/07/2023, 18:31

Orotrechus Vedi ultimo messaggio

Nessun messaggio da leggere
Allegato(i)
Mimesi, il primo documentario cinematografico sull’entomologia in Italia: casting
 

mazzeip

1

1144525

28/02/2019, 20:26

mazzeip Vedi ultimo messaggio

Questo argomento è bloccato, non puoi modificare o inviare ulteriori messaggi.
Allegato(i)
ISTRUZIONI PUBBLICAZIONE NUOVI ARGOMENTI E FOTO

 
Altri Ordini di Insetti

Julodis

4

2964783

13/05/2015, 19:37

Julodis Vedi ultimo messaggio

Nessun messaggio da leggere
Allegato(i)
Limitatore giornaliero di messaggi, uno strumento utile e ormai indispensabile

[ Vai alla paginaVai alla pagina: 1 ... 14, 15, 16 ]

 

Velvet Ant

233

13930957

25/09/2014, 14:31

Inachis Vedi ultimo messaggio

Nessun messaggio da leggere  
NORME PER I COLLABORATORI DEL FORUM

 
 

Velvet Ant

0

675757

02/06/2011, 12:05

Velvet Ant Vedi ultimo messaggio

Nessun messaggio da leggere
Allegato(i)
NORME PER GLI UTENTI DEL FORUM

[ Vai alla paginaVai alla pagina: 1, 2, 3 ]



 
 

Velvet Ant

30

3761059

23/09/2014, 23:54

Maurizio Bollino Vedi ultimo messaggio

Nessun messaggio da leggere  
Lista degli utenti del "Forum entomologi italiani" per campi di interesse e specializzazione

 
Altri Ordini di Insetti

Velvet Ant

13

1143966

07/09/2023, 17:14

Roberto-07 Vedi ultimo messaggio

Argomenti
Nessun messaggio da leggere
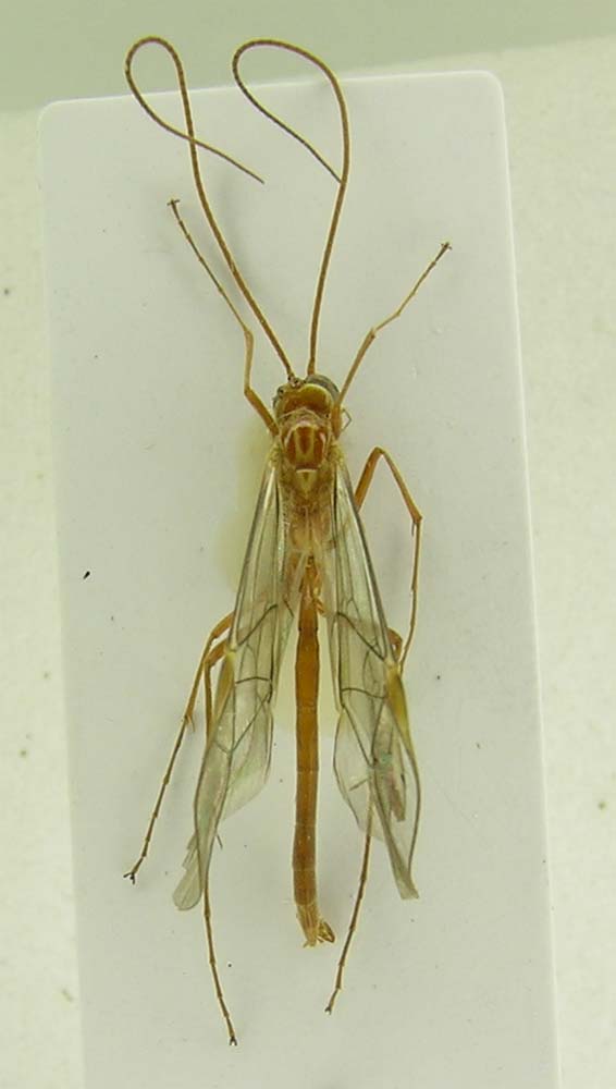
Ichneumonidae Cryptinae
7.VI.2011 - ITALIA - Umbria - PG
Allegato(i)
Ichneumonidae Cryptinae

7.VI.2011 - ITALIA - Umbria - PG
Hymenoptera

Maura

10

2117

05/04/2012, 18:46

hutia Vedi ultimo messaggio

Nessun messaggio da leggere
Ichneumonidae Cryptinae
22.V.2010 - SPAGNA - EE
Allegato(i)
Ichneumonidae Cryptinae

22.V.2010 - SPAGNA - EE
Hymenoptera

Isidro

3

991

07/03/2012, 18:46

Eopteryx Vedi ultimo messaggio

Nessun messaggio da leggere
Ichneumonidae Ichneumoninae
23.XII.2011 - ITALIA - Sicilia - ME
Allegato(i)
Ichneumonidae Ichneumoninae

23.XII.2011 - ITALIA - Sicilia - ME
Hymenoptera

Lucanus tetraodon

3

1039

29/02/2012, 18:06

Lucanus tetraodon Vedi ultimo messaggio

Nessun messaggio da leggere
Gelis sp. (cf.) - Ichneumonidae Cryptinae
24.II.2012 - ITALIA - Marche - AN
Allegato(i)
Gelis sp. (cf.) - Ichneumonidae Cryptinae

24.II.2012 - ITALIA - Marche - AN
Hymenoptera

StagBeetle

2

932

27/02/2012, 21:58

StagBeetle Vedi ultimo messaggio

Nessun messaggio da leggere
Hymenoptera Ichneumonidae?
2.VIII.2011 - ITALIA - Trentino-Alto Adige - TN
Allegato(i)
Hymenoptera Ichneumonidae?

2.VIII.2011 - ITALIA - Trentino-Alto Adige - TN
Hymenoptera

Menhit

2

1113

17/02/2012, 23:34

Menhit Vedi ultimo messaggio

Nessun messaggio da leggere
Exeristes sp. (cf.) - Ichneumonidae
26.IX.2011 - ITALIA - Sicilia - EN
Allegato(i)
Exeristes sp. (cf.) - Ichneumonidae

26.IX.2011 - ITALIA - Sicilia - EN
Hymenoptera

Amata Ciro

2

1191

21/01/2012, 0:13

Eopteryx Vedi ultimo messaggio

Nessun messaggio da leggere
Alomyia sp. - Ichneumonidae, Alomyinae
5.VIII.2011 - ITALIA - Trentino-Alto Adige - TN
Allegato(i)
Alomyia sp. - Ichneumonidae, Alomyinae

5.VIII.2011 - ITALIA - Trentino-Alto Adige - TN
Hymenoptera

Olaffio

4

1564

19/01/2012, 20:40

Olaffio Vedi ultimo messaggio

Nessun messaggio da leggere
Ophion sp. (cf.) - Ichneumonidae
28.XII.2011 - ITALIA - Sicilia - EN
Allegato(i)
Ophion sp. (cf.) - Ichneumonidae

28.XII.2011 - ITALIA - Sicilia - EN
Hymenoptera

skapc66

1

937

16/01/2012, 19:35

Fumea crassiorella Vedi ultimo messaggio

Nessun messaggio da leggere
Ichneumonidae Ichneumoninae ♀
30.X.2011 - ITALIA - Veneto - RO
Allegato(i)
Ichneumonidae Ichneumoninae ♀

30.X.2011 - ITALIA - Veneto - RO
Hymenoptera

Umbro

3

1111

15/11/2011, 19:32

Umbro Vedi ultimo messaggio

Nessun messaggio da leggere  
Ichneumonidae - Ungheria

1.XI.2011 - UNGHERIA - EE
Hymenoptera

Eurythyrea

1

1001

10/11/2011, 22:22

Eopteryx Vedi ultimo messaggio

Nessun messaggio da leggere
Enicospilus sp. - Ichneumonidae Ophioninae
30.X.2011 - ITALIA - Sicilia - TP
Allegato(i)
Enicospilus sp. - Ichneumonidae Ophioninae

30.X.2011 - ITALIA - Sicilia - TP
Hymenoptera

gigi58

8

2220

10/11/2011, 15:02

gigi58 Vedi ultimo messaggio

Nessun messaggio da leggere
Ichneumonidae Cryptinae
7.IX.2011 - ITALIA - Marche - PU
Allegato(i)
Ichneumonidae Cryptinae

7.IX.2011 - ITALIA - Marche - PU
Hymenoptera

marco paglialunga

1

931

09/11/2011, 14:21

Eopteryx Vedi ultimo messaggio

Nessun messaggio da leggere
Ichneumonidae Cryptinae
29.X.2011 - ITALIA - Lazio - RM
Allegato(i)
Ichneumonidae Cryptinae

29.X.2011 - ITALIA - Lazio - RM
Hymenoptera

Fabio Turchetti

2

945

05/11/2011, 10:34

Fabio Turchetti Vedi ultimo messaggio

Nessun messaggio da leggere
Ichneumonidae
17.X.2011 - ITALIA - Lazio - RM
Allegato(i)
Ichneumonidae

17.X.2011 - ITALIA - Lazio - RM
Hymenoptera

Claude54

1

793

26/10/2011, 9:00

Eopteryx Vedi ultimo messaggio

Nessun messaggio da leggere
Ichneumonidae
17.VI.1990 - ITALIA - Lombardia - PV
Allegato(i)
Ichneumonidae

17.VI.1990 - ITALIA - Lombardia - PV
Hymenoptera

giuseppe55

5

1596

23/10/2011, 14:33

giuseppe55 Vedi ultimo messaggio

Nessun messaggio da leggere
Lissonota sp. - Ichneumonidae Banchinae - Lazio
2.X.2011 - ITALIA - Lazio - RM
Allegato(i)
Lissonota sp. - Ichneumonidae Banchinae - Lazio

2.X.2011 - ITALIA - Lazio - RM
Hymenoptera

Julodis

2

1009

10/10/2011, 16:05

Julodis Vedi ultimo messaggio

Nessun messaggio da leggere
Ichneumonidae
2.VI.2011 - ITALIA - Abruzzo - AQ
Allegato(i)
Ichneumonidae

2.VI.2011 - ITALIA - Abruzzo - AQ
Hymenoptera

Claude54

1

848

30/09/2011, 16:23

Eopteryx Vedi ultimo messaggio

Nessun messaggio da leggere
Ichneumonidae Ophioninae
1.V.2011 - ITALIA - Sicilia - AG
Allegato(i)
Ichneumonidae Ophioninae

1.V.2011 - ITALIA - Sicilia - AG
Hymenoptera

carabus

2

1015

19/09/2011, 19:56

carabus Vedi ultimo messaggio

Nessun messaggio da leggere
Allegato(i)
Rhyssella approximator (Fabricius, 1793) cf. - Ichneumonidae Rhyssinae

31.VII.2011 - ITALIA - Abruzzo - AQ
Hymenoptera

Claude54

1

971

19/09/2011, 11:28

Eopteryx Vedi ultimo messaggio

Nessun messaggio da leggere
Ichneumonidae
24.VII.2011 - ITALIA - Abruzzo - AQ
Allegato(i)
Ichneumonidae

24.VII.2011 - ITALIA - Abruzzo - AQ
Hymenoptera

Claude54

4

1392

14/09/2011, 19:01

Claude54 Vedi ultimo messaggio

Nessun messaggio da leggere
Ichneumonidae
24.VIII.2011 - ITALIA - Abruzzo - AQ
Allegato(i)
Ichneumonidae

24.VIII.2011 - ITALIA - Abruzzo - AQ
Hymenoptera

andreah

8

2120

05/09/2011, 20:10

Plagionotus Vedi ultimo messaggio

Nessun messaggio da leggere
Icneumonidae
22.V.2011 - ITALIA - Marche - PU
Allegato(i)
Icneumonidae

22.V.2011 - ITALIA - Marche - PU
Hymenoptera

marco paglialunga

0

760

13/06/2011, 10:33

marco paglialunga Vedi ultimo messaggio

Nessun messaggio da leggere
Icneumonidae...
9.VI.2011 - ITALIA - Emilia-Romagna - RN
Allegato(i)
Icneumonidae...

9.VI.2011 - ITALIA - Emilia-Romagna - RN
Hymenoptera

tala

1

933

10/06/2011, 16:40

D & JP Balmer Vedi ultimo messaggio

Nessun messaggio da leggere
Ophion sp. - Ichneumonidae
21.V.2011 - ITALIA - Marche - PU
Allegato(i)
Ophion sp. - Ichneumonidae

21.V.2011 - ITALIA - Marche - PU
Hymenoptera

marco paglialunga

2

968

25/05/2011, 8:58

marco paglialunga Vedi ultimo messaggio

Nessun messaggio da leggere
Gelis sp. - Ichneumonidae Cryptinae
2.V.2011 - ITALIA - Emilia-Romagna - BO
Allegato(i)
Gelis sp. - Ichneumonidae Cryptinae

2.V.2011 - ITALIA - Emilia-Romagna - BO
Hymenoptera

Gian Luca Agnoli

3

1241

23/05/2011, 22:48

Eopteryx Vedi ultimo messaggio

Nessun messaggio da leggere
Ichneumonidae Cryptinae
4.V.2011 - REGNO UNITO - Inghilterra - EE
Allegato(i)
Ichneumonidae Cryptinae

4.V.2011 - REGNO UNITO - Inghilterra - EE
Hymenoptera

matthew gandy

1

954

04/05/2011, 15:35

Eopteryx Vedi ultimo messaggio

Nessun messaggio da leggere
Ichneumonoidae - Romania
20.IV.2011 - ROMANIA - EE
Allegato(i)
Ichneumonoidae - Romania

20.IV.2011 - ROMANIA - EE
Hymenoptera

alexaandru

0

739

21/04/2011, 7:54

alexaandru Vedi ultimo messaggio

Nessun messaggio da leggere
Ichneumon sp. - Ichneumonidae
26.III.2010 - ITALIA - Emilia-Romagna - MO
Allegato(i)
Ichneumon sp. - Ichneumonidae

26.III.2010 - ITALIA - Emilia-Romagna - MO
Hymenoptera

conan

2

1112

15/04/2011, 9:42

Eopteryx Vedi ultimo messaggio

Nessun messaggio da leggere
Pimpla sp. - Ichneumonidae Pimplinae Pimplini
27.III.2010 - ITALIA - Lombardia - MI
Allegato(i)
Pimpla sp. - Ichneumonidae Pimplinae Pimplini

27.III.2010 - ITALIA - Lombardia - MI
Hymenoptera

ff57

1

985

29/03/2011, 23:39

Eopteryx Vedi ultimo messaggio

Nessun messaggio da leggere
Ophion sp. - Ichneumonidae Ophioninae
20.III.2011 - ITALIA - Emilia-Romagna - RN
Allegato(i)
Ophion sp. - Ichneumonidae Ophioninae

20.III.2011 - ITALIA - Emilia-Romagna - RN
Hymenoptera

tala

1

898

29/03/2011, 18:14

Eopteryx Vedi ultimo messaggio

Nessun messaggio da leggere
Ichneumonidae - Lazio
12.II.2011 - ITALIA - Lazio - RM
Allegato(i)
Ichneumonidae - Lazio

12.II.2011 - ITALIA - Lazio - RM
Hymenoptera

Julodis

4

1245

19/03/2011, 21:42

Eopteryx Vedi ultimo messaggio

Nessun messaggio da leggere
Pupa Ichneumonidae
20.II.2011 - ITALIA - Lombardia - BG
Allegato(i)
Pupa Ichneumonidae

20.II.2011 - ITALIA - Lombardia - BG
Hymenoptera

Pippistrello

1

804

15/03/2011, 12:31

Pippistrello Vedi ultimo messaggio

Nessun messaggio da leggere
Ichneumonidae Cryptinae
25.II.2011 - ITALIA - Veneto - BL
Allegato(i)
Ichneumonidae Cryptinae

25.II.2011 - ITALIA - Veneto - BL
Hymenoptera

Maw89

8

1788

28/02/2011, 14:50

D & JP Balmer Vedi ultimo messaggio

Nessun messaggio da leggere
Ichneumonidae Cryptinae aff. Gelis
25.II.2011 - ITALIA - Veneto - BL
Allegato(i)
Ichneumonidae Cryptinae aff. Gelis

25.II.2011 - ITALIA - Veneto - BL
Hymenoptera

Maw89

2

1158

27/02/2011, 14:25

Maw89 Vedi ultimo messaggio

Nessun messaggio da leggere
Gelis sp. - Ichneumonidae Cryptinae
17.II.2011 - ITALIA - Marche - PU
Allegato(i)
Gelis sp. - Ichneumonidae Cryptinae

17.II.2011 - ITALIA - Marche - PU
Hymenoptera

marco paglialunga

5

1346

24/02/2011, 22:15

marco paglialunga Vedi ultimo messaggio

Nessun messaggio da leggere
Allegato(i)
Da identificare
Hymenoptera

Franco ROSSI

3

1108

17/01/2011, 15:25

Eopteryx Vedi ultimo messaggio

Nessun messaggio da leggere
Ophion sp. - Ichneumonidae
3.I.2011 - ITALIA - Sardegna - CA
Allegato(i)
Ophion sp. - Ichneumonidae

3.I.2011 - ITALIA - Sardegna - CA
Hymenoptera

Fumea crassiorella

2

921

06/01/2011, 10:00

Fumea crassiorella Vedi ultimo messaggio

Nessun messaggio da leggere
Allegato(i)
Ichneumonidae da identificare
Hymenoptera

Bantorp

0

551

22/12/2010, 13:26

Bantorp Vedi ultimo messaggio

Nessun messaggio da leggere
Allegato(i)
Ophion sp. - Ichneumonidae Ophioninae - Sardegna
Hymenoptera

PierFrancescoMurgia

2

822

14/12/2010, 16:26

PierFrancescoMurgia Vedi ultimo messaggio

Nessun messaggio da leggere
Ichneumonidae Ichneumoninae "svernanti" - Lazio
6.XII.2010 - ITALIA - Lazio - RM
Allegato(i)
Ichneumonidae Ichneumoninae "svernanti" - Lazio

6.XII.2010 - ITALIA - Lazio - RM
Hymenoptera

Julodis

5

1295

07/12/2010, 22:04

mauriziomei Vedi ultimo messaggio

Nessun messaggio da leggere
Ichneumonidae Ichneumoninae
21.XI.2010 - ITALIA - Sicilia - PA
Allegato(i)
Ichneumonidae Ichneumoninae

21.XI.2010 - ITALIA - Sicilia - PA
Hymenoptera

carabus

2

1033

04/12/2010, 22:01

Eopteryx Vedi ultimo messaggio

Nessun messaggio da leggere
Allegato(i)
Ichneumonidae?? - Domus de Maria(CA), Sardegna
Hymenoptera

ruzzpa

0

759

04/12/2010, 11:33

ruzzpa Vedi ultimo messaggio

Nessun messaggio da leggere
Allegato(i)
Netelia sp. - Sardegna
Hymenoptera

PierFrancescoMurgia

2

921

27/11/2010, 13:07

PierFrancescoMurgia Vedi ultimo messaggio

Nessun messaggio da leggere
Ophion sp. - Ichneumonidae Ophioninae - Lazio, Viterbo(VT)
22.XI.2010 - ITALIA - Lazio - VT
Allegato(i)
Ophion sp. - Ichneumonidae Ophioninae - Lazio, Viterbo(VT)

22.XI.2010 - ITALIA - Lazio - VT
Hymenoptera

Andricus

6

1541

24/11/2010, 2:10

Eopteryx Vedi ultimo messaggio

Nessun messaggio da leggere
Allegato(i)
Ichneumonidae Ichneumoninae - Sardegna, Giara di Gèsturi
Hymenoptera

Fumea crassiorella

4

1115

02/11/2010, 23:23

Eopteryx Vedi ultimo messaggio

Nessun messaggio da leggere
Allegato(i)
Ichneumonidae Pimplinae Ephialtini - Romania
Hymenoptera

alexaandru

2

939

25/10/2010, 14:32

alexaandru Vedi ultimo messaggio

Nessun messaggio da leggere
Allegato(i)
Ichneumonidae per Pippo
Hymenoptera

Pietro Niolu

2

810

19/10/2010, 22:21

Pietro Niolu Vedi ultimo messaggio

Nessun messaggio da leggere
Allegato(i)
Imenottero da determinare
Hymenoptera

Isotomus

3

913

11/10/2010, 19:13

Eopteryx Vedi ultimo messaggio

Nessun messaggio da leggere
Allegato(i)
Ichneumonidae sp. - Sardegna - Padru
Hymenoptera

Mauro

3

869

04/10/2010, 22:17

Eopteryx Vedi ultimo messaggio

Nessun messaggio da leggere
Allegato(i)
Ichneumonidae Cryptinae - Romania
Hymenoptera

alexaandru

2

727

29/09/2010, 14:44

alexaandru Vedi ultimo messaggio

Visualizza ultimi argomenti:  Ordina per  Ordine:  
nuovo argomento
Vai alla pagina Precedente  1, 2, 3, 4, 5, 6  Prossimo
Pagina 5 di 6 [ 278 argomenti ]

Tutti gli orari sono UTC + 1 ora [ ora legale ]


Chi c’è in linea

Visitano il forum: Nessuno e 1 ospite


Legenda
Messaggi da leggere Messaggi da leggere Nessun messaggio da leggere Nessun messaggio da leggere Annuncio Annuncio
 
Specie indeterminata / discussione generica
Messaggi non letti [ Popolari ] Messaggi non letti [ Popolari ] Nessun messaggio da leggere [ Popolare ] Nessun messaggio da leggere [ Popolare ] Importante Importante
 
Specie determinata fino al genere o cf.
Messaggi non letti [ Bloccati ] Messaggi non letti [ Bloccati ] No messaggi non letti [ Bloccati ] No messaggi non letti [ Bloccati ] Argomento spostato Argomento spostato
 
Specie correttamente determinata
Permessi
Non puoi aprire nuovi argomenti
Non puoi rispondere negli argomenti
Non puoi modificare i tuoi messaggi
Non puoi cancellare i tuoi messaggi
Non puoi inviare allegati

Cerca per:
Vai a: