Benvenuto Ospite

Forum Entomologi Italiani

www.entomologiitaliani.net/forum
 
Oggi è 28/03/2026, 12:05

Tutti gli orari sono UTC + 1 ora [ ora legale ]


77% 
296 taxa correttamente determinati su 382 presenti in archivio

Meloidae


[ AFROTROPICALE ] [ ANTARTICO ] [ AUSTRALASIANO ] [ NEARTICO ] [ NEOTROPICALE ] [ ORIENTALE ] [ PALEARTICO ]


nuovo argomento
Vai alla pagina Precedente  1, 2, 3, 4, 5 ... 15  Prossimo
Pagina 2 di 15 [ 738 argomenti ]
 Argomenti   Ordine   Autore   Risposte   Visite    Ultimo messaggio 
Annunci
Nessun messaggio da leggere
Allegato(i)
Incontri entomologici della Società Entomologica Italiana 2025-2026
 

Velvet Ant

0

39702

17/11/2025, 19:41

Velvet Ant Vedi ultimo messaggio

Nessun messaggio da leggere
Allegato(i)
Incontri entomologici telematici organizzati dalla Società Entomologica Italiana nel 2022 e nel 2023

[ Vai alla paginaVai alla pagina: 1, 2, 3 ]

 

Velvet Ant

44

1949248

03/03/2023, 15:55

Velvet Ant Vedi ultimo messaggio

Nessun messaggio da leggere  
Allegato(i)
Sondaggio sul declino dell'entomofauna in Italia

[ Vai alla paginaVai alla pagina: 1, 2, 3, 4 ]

 

Velvet Ant

52

2611791

22/10/2022, 19:18

Acquarius Vedi ultimo messaggio

Nessun messaggio da leggere  
Allegato(i)
Progetto: Bibliografia ragionata dei lavori entomologici nei quali sono citati reperti apparsi su FEI

[ Vai alla paginaVai alla pagina: 1, 2, 3 ]

 

Velvet Ant

33

1564354

06/07/2023, 18:31

Orotrechus Vedi ultimo messaggio

Nessun messaggio da leggere
Allegato(i)
Mimesi, il primo documentario cinematografico sull’entomologia in Italia: casting
 

mazzeip

1

1128005

28/02/2019, 20:26

mazzeip Vedi ultimo messaggio

Questo argomento è bloccato, non puoi modificare o inviare ulteriori messaggi.
Allegato(i)
ISTRUZIONI PUBBLICAZIONE NUOVI ARGOMENTI E FOTO

 
Altri Ordini di Insetti

Julodis

4

2941687

13/05/2015, 19:37

Julodis Vedi ultimo messaggio

Nessun messaggio da leggere
Allegato(i)
Limitatore giornaliero di messaggi, uno strumento utile e ormai indispensabile

[ Vai alla paginaVai alla pagina: 1 ... 14, 15, 16 ]

 

Velvet Ant

233

13508308

25/09/2014, 14:31

Inachis Vedi ultimo messaggio

Nessun messaggio da leggere  
NORME PER I COLLABORATORI DEL FORUM

 
 

Velvet Ant

0

662913

02/06/2011, 12:05

Velvet Ant Vedi ultimo messaggio

Nessun messaggio da leggere
Allegato(i)
NORME PER GLI UTENTI DEL FORUM

[ Vai alla paginaVai alla pagina: 1, 2, 3 ]



 
 

Velvet Ant

30

3679510

23/09/2014, 23:54

Maurizio Bollino Vedi ultimo messaggio

Nessun messaggio da leggere  
Lista degli utenti del "Forum entomologi italiani" per campi di interesse e specializzazione

 
Altri Ordini di Insetti

Velvet Ant

13

1102684

07/09/2023, 17:14

Roberto-07 Vedi ultimo messaggio

Argomenti
Nessun messaggio da leggere
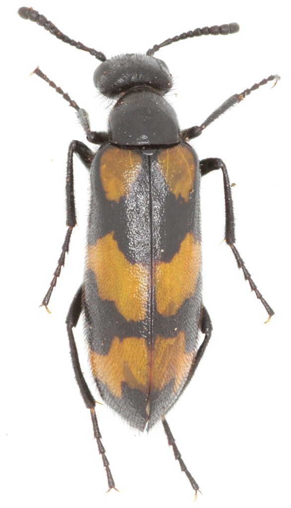
Lydus trimaculatus italicus Kaszab, 1952 - Meloidae
22.VI.2022 - ITALIA - Emilia-Romagna - PR
Allegato(i) Dettagli della specie
Lydus trimaculatus italicus Kaszab, 1952
Meloidae


22.VI.2022 - ITALIA - Emilia-Romagna - PR
Coleoptera

picollo

6

1033

16/09/2022, 17:50

Marco A. Bologna Vedi ultimo messaggio

Nessun messaggio da leggere
Epicauta (Epicauta) rufidorsum (Goeze, 1777) - Meloidae
8.VII.2022 - ITALIA - Marche - PU
Allegato(i) Dettagli della specie
Epicauta (Epicauta) rufidorsum (Goeze, 1777)
Meloidae


8.VII.2022 - ITALIA - Marche - PU
Coleoptera

plumipes

4

911

16/09/2022, 17:46

Marco A. Bologna Vedi ultimo messaggio

Nessun messaggio da leggere
Mylabris (Mylabris) variabilis (Pallas, 1781) - Meloidae
31.VII.2022 - ITALIA - Umbria - PG
Allegato(i) Dettagli della specie
Mylabris (Mylabris) variabilis (Pallas, 1781)
Meloidae


31.VII.2022 - ITALIA - Umbria - PG
Coleoptera

Michele A

4

774

16/09/2022, 17:45

Marco A. Bologna Vedi ultimo messaggio

Nessun messaggio da leggere
Mylabris (Mylabris) variabilis (Pallas, 1781) - Meloidae
31.VIII.2021 - ITALIA - Marche - PU
Allegato(i) Dettagli della specie
Mylabris (Mylabris) variabilis (Pallas, 1781)
Meloidae


31.VIII.2021 - ITALIA - Marche - PU
Coleoptera

plumipes

7

1318

21/03/2022, 16:08

Marco A. Bologna Vedi ultimo messaggio

Nessun messaggio da leggere
Allegato(i)
Epicauta insularis (Haag-Rutenberg, 1880) cf. - Meloidae
Meloidae


VI.2020 - FILIPPINE - EE
Coleoptera

Apoderus

7

1877

21/03/2022, 16:06

Marco A. Bologna Vedi ultimo messaggio

Nessun messaggio da leggere
Allegato(i)
Cerocoma (Cerocoma) adamovichiana (Piller & Mitterpacher, 1783) - Meloidae
Meloidae


25.VI.2001 - GRECIA - EE
Coleoptera

Semanotus

3

723

21/03/2022, 15:58

Marco A. Bologna Vedi ultimo messaggio

Nessun messaggio da leggere
Allegato(i)
Cerocoma (Meloides) rapillyi Pardo Alcaide, 1977 cf. - Meloidae Meloinae Cerocomini
Meloidae


13.VI.2013 - TURCHIA - EE
Coleoptera

Daniele Sechi

1

715

21/03/2022, 15:45

Marco A. Bologna Vedi ultimo messaggio

Nessun messaggio da leggere
Allegato(i)
Lydomorphus (Pardolydus) dusaulti (Dufour, 1821) - Meloidae Meloinae Lyttini
Meloidae


BURKINA FASO - EE
Coleoptera

Daniele Sechi

4

977

21/03/2022, 15:43

Marco A. Bologna Vedi ultimo messaggio

Nessun messaggio da leggere
Allegato(i)
Mylabris (Mylabris) tricincta Chevrolat, 1840 - Meloidae Meloinae Mylabrini
Meloidae


6.V.1997 - MAROCCO - EE
Coleoptera

Semanotus

6

975

21/03/2022, 14:58

Marco A. Bologna Vedi ultimo messaggio

Nessun messaggio da leggere
Allegato(i)
Alosimus viridissimus (Lucas, 1847) - Meloidae Meloinae Lyttini
Meloidae


16.V.1984 - ALGERIA - EE
Coleoptera

Daniele Sechi

3

955

21/03/2022, 14:56

Marco A. Bologna Vedi ultimo messaggio

Nessun messaggio da leggere
Allegato(i)
Mylabris (Mylabris) schreibersi Reiche, 1866 - Meloidae

10.V.1997 - MAROCCO - EE
Coleoptera

Semanotus

4

840

21/03/2022, 14:55

Marco A. Bologna Vedi ultimo messaggio

Nessun messaggio da leggere
Allegato(i) Dettagli della specie
Leptopalpus rostratus (Fabricius, 1792)
Meloidae


SPAGNA - EE
Coleoptera

Daniele Sechi

2

645

21/03/2022, 14:52

Marco A. Bologna Vedi ultimo messaggio

Nessun messaggio da leggere
Meloe (Eurymeloe) ganglbaueri Apfelbeck, 1905 - Meloidae
21.XII.2021 - ITALIA - Lazio - RM
Allegato(i) Dettagli della specie
Meloe (Eurymeloe) ganglbaueri Apfelbeck, 1905
Meloidae


21.XII.2021 - ITALIA - Lazio - RM
Coleoptera

wgliinsetti

7

1299

21/03/2022, 14:02

wgliinsetti Vedi ultimo messaggio

Nessun messaggio da leggere
Apalus bimaculatus (Linnaues, 1760) - Meloidae
3.III.2020 - ROMANIA - EE
Allegato(i) Dettagli della specie
Apalus bimaculatus (Linnaues, 1760)
Meloidae


3.III.2020 - ROMANIA - EE
Coleoptera

cosmln

3

4684

21/03/2022, 13:59

Marco A. Bologna Vedi ultimo messaggio

Nessun messaggio da leggere
Allegato(i) Dettagli della specie
Meloe (Meloe) proscarabaeus proscarabaeus Linnaeus, 1758
Meloidae


9.III.2022 - ITALIA - Marche - PU
Coleoptera

plumipes

7

1498

17/03/2022, 9:40

plumipes Vedi ultimo messaggio

Nessun messaggio da leggere
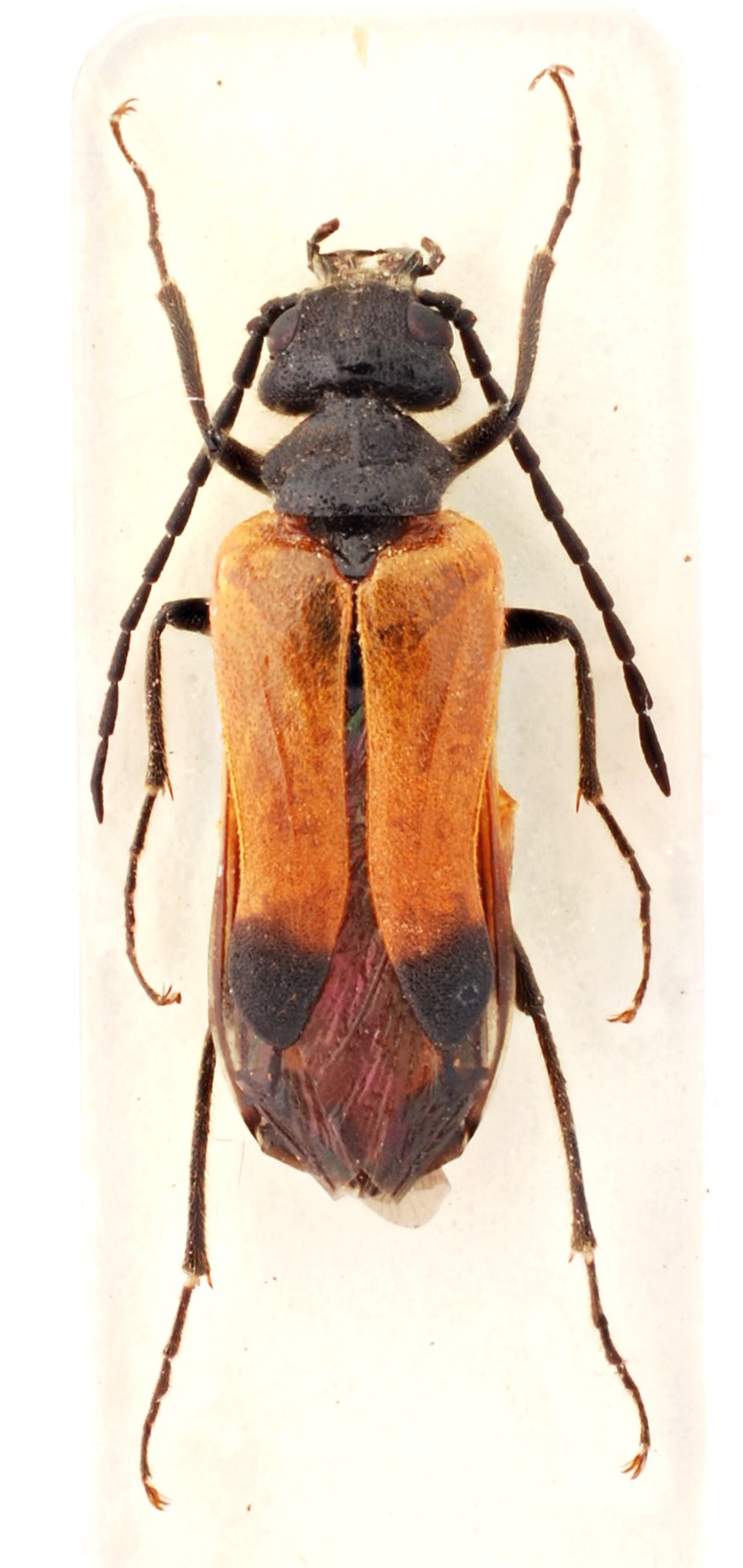
Lydus trimaculatus italicus Kaszab, 1952 - Meloidae
16.VI.2021 - ITALIA - Marche - PU
Allegato(i) Dettagli della specie
Lydus trimaculatus italicus Kaszab, 1952
Meloidae


16.VI.2021 - ITALIA - Marche - PU
Coleoptera

plumipes

2

767

13/03/2022, 20:10

plumipes Vedi ultimo messaggio

Nessun messaggio da leggere
Stenoria (Stenoria) analis Schaum, 1859 - Meloidae
14.IV.2021 - ITALIA - Sardegna - CA
Allegato(i) Dettagli della specie
Stenoria (Stenoria) analis Schaum, 1859
Meloidae


14.IV.2021 - ITALIA - Sardegna - CA
Coleoptera

Fumea crassiorella

3

799

13/03/2022, 16:53

Enoplium Vedi ultimo messaggio

Nessun messaggio da leggere
Oenas graecus (Bologna, 1991) - Meloidae
22.VI.2001 - GRECIA - EE
Allegato(i)
Oenas graecus (Bologna, 1991) - Meloidae
Meloidae


22.VI.2001 - GRECIA - EE
Coleoptera

Semanotus

4

651

28/02/2022, 9:24

strepens Vedi ultimo messaggio

Nessun messaggio da leggere
Allegato(i)
Hycleus brevicollis (Baudi di Selve, 1878) - Meloidae

13.V.1997 - MAROCCO - EE
Coleoptera

Semanotus

3

621

22/02/2022, 13:09

Daniele Sechi Vedi ultimo messaggio

Nessun messaggio da leggere
Allegato(i)
Hycleus hemprichi Klug, 1845 - Meloidae Meloinae Mylabrini
Meloidae


18.V.1979 - MAROCCO - EE
Coleoptera

Daniele Sechi

0

459

05/01/2022, 23:56

Daniele Sechi Vedi ultimo messaggio

Nessun messaggio da leggere
Allegato(i)
Mimesthes maculicollis Marseul, 1872 - Meloidae Meloinae Mylabrini
Meloidae


8.VII.2004 - SUD AFRICA - EE
Coleoptera

Daniele Sechi

0

571

05/01/2022, 18:01

Daniele Sechi Vedi ultimo messaggio

Nessun messaggio da leggere
Ammabris raml Schneider, 1991 - Meloidae Meloinae Mylabrini
15.III.2005 - EMIRATI ARABI UNITI - EE
Allegato(i)
Ammabris raml Schneider, 1991 - Meloidae Meloinae Mylabrini
Meloidae


15.III.2005 - EMIRATI ARABI UNITI - EE
Coleoptera

Daniele Sechi

0

476

02/01/2022, 23:02

Daniele Sechi Vedi ultimo messaggio

Nessun messaggio da leggere
Allegato(i)
Hycleus saharicus (Chobaut, 1901) - Meloidae Meloinae Mylabrini
Meloidae


28.IV.2004 - TUNISIA - EE
Coleoptera

Daniele Sechi

0

399

02/01/2022, 23:02

Daniele Sechi Vedi ultimo messaggio

Nessun messaggio da leggere
Croscherichia richteri Kaszab, 1957 - Meloidae Meloinae Mylabrini
13.III.2005 - EMIRATI ARABI UNITI - EE
Allegato(i)
Croscherichia richteri Kaszab, 1957 - Meloidae Meloinae Mylabrini
Meloidae


13.III.2005 - EMIRATI ARABI UNITI - EE
Coleoptera

Daniele Sechi

0

610

01/01/2022, 23:06

Daniele Sechi Vedi ultimo messaggio

Nessun messaggio da leggere
Allegato(i)
Hycleus praeustus (Fabricius, 1792) - Meloidae Meloinae Mylabrini
Meloidae


29.IV.1984 - ALGERIA - EE
Coleoptera

Daniele Sechi

0

496

01/01/2022, 23:02

Daniele Sechi Vedi ultimo messaggio

Nessun messaggio da leggere
Allegato(i) Dettagli della specie
Mylabris (Micrabris) pusilla latialis Magistretti, 1943
Meloidae

[ Vai alla paginaVai alla pagina: 1, 2 ]



20.VIII.2021 - ITALIA - Lazio - RM
Coleoptera

wgliinsetti

23

2843

09/12/2021, 12:39

Marco A. Bologna Vedi ultimo messaggio

Nessun messaggio da leggere
Allegato(i) Dettagli della specie
Meloe (Treiodous) autumnalis autumnalis A. G. Olivier, 1797
Meloidae


23.X.2021 - ITALIA - Toscana - FI
Coleoptera

Semanotus

3

774

09/12/2021, 12:36

Marco A. Bologna Vedi ultimo messaggio

Nessun messaggio da leggere
Meloe (Eurymeloe) brevicollis brevicollis Panzer, 1793 - Meloidae
17.IV.1993 - ITALIA - Emilia-Romagna - FC
Allegato(i) Dettagli della specie
Meloe (Eurymeloe) brevicollis brevicollis Panzer, 1793
Meloidae


17.IV.1993 - ITALIA - Emilia-Romagna - FC
Coleoptera

Semanotus

4

799

09/12/2021, 12:36

Marco A. Bologna Vedi ultimo messaggio

Nessun messaggio da leggere
Meloe (Meloe) violaceus Marsham, 1802 - Meloidae
22.VI.1994 - ITALIA - Emilia-Romagna - FC
Allegato(i) Dettagli della specie
Meloe (Meloe) violaceus Marsham, 1802
Meloidae


22.VI.1994 - ITALIA - Emilia-Romagna - FC
Coleoptera

Semanotus

8

1003

09/12/2021, 12:35

Marco A. Bologna Vedi ultimo messaggio

Nessun messaggio da leggere
Oenas crassicornis (Illiger, 1800) - Meloidae
22.VI.2001 - GRECIA - EE
Allegato(i) Dettagli della specie
Oenas crassicornis (Illiger, 1800)
Meloidae


22.VI.2001 - GRECIA - EE
Coleoptera

Semanotus

5

903

09/12/2021, 12:33

Marco A. Bologna Vedi ultimo messaggio

Nessun messaggio da leggere
Sitaris (Sitaris) muralis (Förster, 1771) - Meloidae
1.IX.2021 - ITALIA - Friuli-Venezia Giulia - GO
Allegato(i) Dettagli della specie
Sitaris (Sitaris) muralis (Förster, 1771)
Meloidae


1.IX.2021 - ITALIA - Friuli-Venezia Giulia - GO
Coleoptera

Agdistis

2

638

09/12/2021, 12:29

Marco A. Bologna Vedi ultimo messaggio

Nessun messaggio da leggere
Allegato(i)
Cerocoma (Cerocoma) adamovichiana (Piller & Mitterpacher, 1783) - Meloidae
Meloidae


25.VI.2001 - GRECIA - EE
Coleoptera

Semanotus

3

664

06/12/2021, 1:09

Clickie Vedi ultimo messaggio

Nessun messaggio da leggere
Cerocoma graeca Maran, 1944 - Meloidae
25.VI.2010 - GRECIA - EE
Allegato(i)
Cerocoma graeca Maran, 1944 - Meloidae
Meloidae

[ Vai alla paginaVai alla pagina: 1, 2 ]



25.VI.2010 - GRECIA - EE
Coleoptera

Semanotus

22

2495

30/11/2021, 19:12

Clickie Vedi ultimo messaggio

Nessun messaggio da leggere
Lagorina sericea (Waltl, 1835) - Meloidae
12.V.1997 - MAROCCO - EE
Allegato(i)
Lagorina sericea (Waltl, 1835) - Meloidae

12.V.1997 - MAROCCO - EE
Coleoptera

Semanotus

4

767

19/11/2021, 7:48

mylabriss Vedi ultimo messaggio

Nessun messaggio da leggere
Croscherichia litigiosa (Chevrolat, 1840) - Meloidae
28.IV.2005 - REPUBBLICA ARABA SIRIANA - EE
Allegato(i)
Croscherichia litigiosa (Chevrolat, 1840) - Meloidae
Meloidae


28.IV.2005 - REPUBBLICA ARABA SIRIANA - EE
Coleoptera

ivo

3

705

09/10/2021, 17:22

Marco A. Bologna Vedi ultimo messaggio

Nessun messaggio da leggere
Zonitis (Zonitis) flava Fabricius, 1775 - Meloidae
18.VI.2021 - ITALIA - Lazio - RM
Allegato(i) Dettagli della specie
Zonitis (Zonitis) flava Fabricius, 1775
Meloidae


18.VI.2021 - ITALIA - Lazio - RM
Coleoptera

wgliinsetti

5

1031

09/10/2021, 17:21

Marco A. Bologna Vedi ultimo messaggio

Nessun messaggio da leggere
Epicauta (Epicauta) rufidorsum (Goeze, 1777) - Meloidae
7.VII.2021 - ITALIA - Lombardia - BS
Allegato(i) Dettagli della specie
Epicauta (Epicauta) rufidorsum (Goeze, 1777)
Meloidae


7.VII.2021 - ITALIA - Lombardia - BS
Coleoptera

Tc70

4

900

09/10/2021, 17:20

Marco A. Bologna Vedi ultimo messaggio

Nessun messaggio da leggere
Meloe (Meloe) proscarabaeus proscarabaeus Linnaeus, 1758 - Meloidae
12.II.2020 - ITALIA - Emilia-Romagna - PR
Allegato(i) Dettagli della specie
Meloe (Meloe) proscarabaeus proscarabaeus Linnaeus, 1758
Meloidae


12.II.2020 - ITALIA - Emilia-Romagna - PR
Coleoptera

picollo

3

841

09/10/2021, 17:19

Marco A. Bologna Vedi ultimo messaggio

Nessun messaggio da leggere
Epicauta (Epicauta) rufidorsum (Goeze, 1777) - Meloidae
7.VII.2021 - ITALIA - Marche - AN
Allegato(i) Dettagli della specie
Epicauta (Epicauta) rufidorsum (Goeze, 1777)
Meloidae


7.VII.2021 - ITALIA - Marche - AN
Coleoptera

StagBeetle

1

700

09/10/2021, 17:17

Marco A. Bologna Vedi ultimo messaggio

Nessun messaggio da leggere
Stenoria (Stenoria) analis Schaum, 1859 - Meloidae
3.VII.2021 - ITALIA - Marche - MC
Allegato(i) Dettagli della specie
Stenoria (Stenoria) analis Schaum, 1859
Meloidae


3.VII.2021 - ITALIA - Marche - MC
Coleoptera

StagBeetle

6

1192

09/10/2021, 12:38

Marco A. Bologna Vedi ultimo messaggio

Nessun messaggio da leggere
Allegato(i) Dettagli della specie
Cerocoma (Cerocoma) schaefferi (Linnaeus, 1758)
Meloidae


18.V.2021 - BULGARIA - EE
Coleoptera

Joro

2

950

07/10/2021, 22:53

Joro Vedi ultimo messaggio

Nessun messaggio da leggere
Mylabris (Micrabris) flexuosa A. G. Olivier, 1811 - Meloidae
19.VII.2021 - ITALIA - Abruzzo - AQ
Allegato(i) Dettagli della specie
Mylabris (Micrabris) flexuosa A. G. Olivier, 1811
Meloidae


19.VII.2021 - ITALIA - Abruzzo - AQ
Coleoptera

Adriana49

2

741

28/09/2021, 7:56

Adriana49 Vedi ultimo messaggio

Nessun messaggio da leggere
Allegato(i) Dettagli della specie
Meloe (Eurymeloe) mediterraneus J. Müller, 1925
Meloidae


3.I.2021 - ITALIA - Toscana - FI
Coleoptera

corvus

6

1233

29/06/2021, 12:44

Marco A. Bologna Vedi ultimo messaggio

Nessun messaggio da leggere
Actenodia distincta (Chevrolat, 1840) - Meloidae
8.VI.2019 - ITALIA - Sicilia - TP
Allegato(i) Dettagli della specie
Actenodia distincta (Chevrolat, 1840)
Meloidae


8.VI.2019 - ITALIA - Sicilia - TP
Coleoptera

Chalybion

1

740

29/06/2021, 12:41

Marco A. Bologna Vedi ultimo messaggio

Nessun messaggio da leggere
Allegato(i) Dettagli della specie
Meloe (Eurymeloe) tuccia corrosus Brandt & Erichson, 1832
Meloidae


25.I.2021 - ITALIA - Sicilia - RG
Coleoptera

RubenCiantia

2

914

29/06/2021, 12:40

Marco A. Bologna Vedi ultimo messaggio

Nessun messaggio da leggere
Apalus bipunctatus Megerle von Mühlfeld, 1812 - Meloidae
14.III.2021 - ITALIA - Sicilia - PA
Allegato(i) Dettagli della specie
Apalus bipunctatus Megerle von Mühlfeld, 1812
Meloidae


14.III.2021 - ITALIA - Sicilia - PA
Coleoptera

carabus

6

1190

29/06/2021, 12:39

Marco A. Bologna Vedi ultimo messaggio

Nessun messaggio da leggere
Allegato(i)
Mylabris (Eumylabris) cincta Olivier, 1795 - Meloidae

10.VI.2001 - GRECIA - EE
Coleoptera

ivo

2

720

29/06/2021, 12:34

Marco A. Bologna Vedi ultimo messaggio

Nessun messaggio da leggere
Allegato(i)
Mylabris (Eumylabris) fabricii Soumacov, 1924 - Meloidae

10.VI.2001 - GRECIA - EE
Coleoptera

ivo

2

777

29/06/2021, 12:33

Marco A. Bologna Vedi ultimo messaggio

Nessun messaggio da leggere
Mylabris (Eumylabris) calida (Pallas, 1782) cf. - Meloidae
28.IV.2005 - REPUBBLICA ARABA SIRIANA - EE
Allegato(i)
Mylabris (Eumylabris) calida (Pallas, 1782) cf. - Meloidae
Meloidae


28.IV.2005 - REPUBBLICA ARABA SIRIANA - EE
Coleoptera

ivo

1

638

29/06/2021, 12:32

Marco A. Bologna Vedi ultimo messaggio

Nessun messaggio da leggere
Stenoria (Stenoria) analis Schaum, 1859 - Meloidae
IX.2020 - ITALIA - Lazio - FR
Allegato(i) Dettagli della specie
Stenoria (Stenoria) analis Schaum, 1859
Meloidae

[ Vai alla paginaVai alla pagina: 1, 2 ]



IX.2020 - ITALIA - Lazio - FR
Coleoptera

soken

21

3444

15/01/2021, 1:10

soken Vedi ultimo messaggio

Visualizza ultimi argomenti:  Ordina per  Ordine:  
nuovo argomento
Vai alla pagina Precedente  1, 2, 3, 4, 5 ... 15  Prossimo
Pagina 2 di 15 [ 738 argomenti ]

Tutti gli orari sono UTC + 1 ora [ ora legale ]


Chi c’è in linea

Visitano il forum: Nessuno e 1 ospite


Legenda
Messaggi da leggere Messaggi da leggere Nessun messaggio da leggere Nessun messaggio da leggere Annuncio Annuncio
 
Specie indeterminata / discussione generica
Messaggi non letti [ Popolari ] Messaggi non letti [ Popolari ] Nessun messaggio da leggere [ Popolare ] Nessun messaggio da leggere [ Popolare ] Importante Importante
 
Specie determinata fino al genere o cf.
Messaggi non letti [ Bloccati ] Messaggi non letti [ Bloccati ] No messaggi non letti [ Bloccati ] No messaggi non letti [ Bloccati ] Argomento spostato Argomento spostato
 
Specie correttamente determinata
Permessi
Non puoi aprire nuovi argomenti
Non puoi rispondere negli argomenti
Non puoi modificare i tuoi messaggi
Non puoi cancellare i tuoi messaggi
Non puoi inviare allegati

Cerca per:
Vai a: