Benvenuto Ospite

Forum Entomologi Italiani

www.entomologiitaliani.net/forum
 
Oggi è 22/05/2026, 13:35

Tutti gli orari sono UTC + 1 ora [ ora legale ]


77% 
296 taxa correttamente determinati su 382 presenti in archivio

Meloidae


[ AFROTROPICALE ] [ ANTARTICO ] [ AUSTRALASIANO ] [ NEARTICO ] [ NEOTROPICALE ] [ ORIENTALE ] [ PALEARTICO ]


nuovo argomento
Vai alla pagina Precedente  1 ... 9, 10, 11, 12, 13, 14, 15  Prossimo
Pagina 12 di 15 [ 738 argomenti ]
 Argomenti   Ordine   Autore   Risposte   Visite    Ultimo messaggio 
Annunci
Nessun messaggio da leggere
Allegato(i)
Incontri entomologici della Società Entomologica Italiana 2025-2026
 

Velvet Ant

0

64874

17/11/2025, 19:41

Velvet Ant Vedi ultimo messaggio

Nessun messaggio da leggere
Allegato(i)
Incontri entomologici telematici organizzati dalla Società Entomologica Italiana nel 2022 e nel 2023

[ Vai alla paginaVai alla pagina: 1, 2, 3 ]

 

Velvet Ant

44

2143763

03/03/2023, 15:55

Velvet Ant Vedi ultimo messaggio

Nessun messaggio da leggere  
Allegato(i)
Sondaggio sul declino dell'entomofauna in Italia

[ Vai alla paginaVai alla pagina: 1, 2, 3, 4 ]

 

Velvet Ant

52

2830068

22/10/2022, 19:18

Acquarius Vedi ultimo messaggio

Nessun messaggio da leggere  
Allegato(i)
Progetto: Bibliografia ragionata dei lavori entomologici nei quali sono citati reperti apparsi su FEI

[ Vai alla paginaVai alla pagina: 1, 2, 3 ]

 

Velvet Ant

33

1720128

06/07/2023, 18:31

Orotrechus Vedi ultimo messaggio

Nessun messaggio da leggere
Allegato(i)
Mimesi, il primo documentario cinematografico sull’entomologia in Italia: casting
 

mazzeip

1

1159420

28/02/2019, 20:26

mazzeip Vedi ultimo messaggio

Questo argomento è bloccato, non puoi modificare o inviare ulteriori messaggi.
Allegato(i)
ISTRUZIONI PUBBLICAZIONE NUOVI ARGOMENTI E FOTO

 
Altri Ordini di Insetti

Julodis

4

2985256

13/05/2015, 19:37

Julodis Vedi ultimo messaggio

Nessun messaggio da leggere
Allegato(i)
Limitatore giornaliero di messaggi, uno strumento utile e ormai indispensabile

[ Vai alla paginaVai alla pagina: 1 ... 14, 15, 16 ]

 

Velvet Ant

233

14343699

25/09/2014, 14:31

Inachis Vedi ultimo messaggio

Nessun messaggio da leggere  
NORME PER I COLLABORATORI DEL FORUM

 
 

Velvet Ant

0

688427

02/06/2011, 12:05

Velvet Ant Vedi ultimo messaggio

Nessun messaggio da leggere
Allegato(i)
NORME PER GLI UTENTI DEL FORUM

[ Vai alla paginaVai alla pagina: 1, 2, 3 ]



 
 

Velvet Ant

30

3833612

23/09/2014, 23:54

Maurizio Bollino Vedi ultimo messaggio

Nessun messaggio da leggere  
Lista degli utenti del "Forum entomologi italiani" per campi di interesse e specializzazione

 
Altri Ordini di Insetti

Velvet Ant

13

1176034

07/09/2023, 17:14

Roberto-07 Vedi ultimo messaggio

Argomenti
Nessun messaggio da leggere
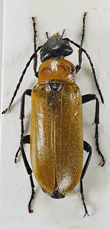
Meloe (Eurymeloe) mediterraneus J. Müller, 1925 - Meloidae
12.IX.2009 - ITALIA - Sardegna - CA
Allegato(i) Dettagli della specie
Meloe (Eurymeloe) mediterraneus J. Müller, 1925
Meloidae


12.IX.2009 - ITALIA - Sardegna - CA
Coleoptera

Fumea crassiorella

5

1755

13/06/2012, 9:56

Marco A. Bologna Vedi ultimo messaggio

Nessun messaggio da leggere
Allegato(i) Dettagli della specie
Meloe (Eurymeloe) murinus Brandt & Erichson, 1832 cf.
Meloidae


1.I.2012 - ITALIA - Sardegna - CA
Coleoptera

ruzzpa

14

4234

13/06/2012, 9:55

Marco A. Bologna Vedi ultimo messaggio

Nessun messaggio da leggere
Allegato(i)
Mylabris (Zitunabris) oleae Chevrolat, 1840 - Meloidae

MAROCCO - EE
Coleoptera

Isidro

7

2158

13/06/2012, 9:47

Marco A. Bologna Vedi ultimo messaggio

Nessun messaggio da leggere
Meloe (Eurymeloe) tuccia tuccia Rossi, 1792 - Meloidae
II.2000 - ITALIA - Sicilia - AG
Allegato(i) Dettagli della specie
Meloe (Eurymeloe) tuccia tuccia Rossi, 1792
Meloidae


II.2000 - ITALIA - Sicilia - AG
Coleoptera

Anillus

3

1627

13/06/2012, 9:43

Marco A. Bologna Vedi ultimo messaggio

Nessun messaggio da leggere
Lydus trimaculatus italicus Kaszab, 1952 - Meloidae
9.VI.2011 - ITALIA - Emilia-Romagna - RE
Allegato(i) Dettagli della specie
Lydus trimaculatus italicus Kaszab, 1952
Meloidae


9.VI.2011 - ITALIA - Emilia-Romagna - RE
Coleoptera

Mikiphasmide

2

1343

13/06/2012, 9:41

Marco A. Bologna Vedi ultimo messaggio

Nessun messaggio da leggere
Mylabris (Mylabris) schreibersi Reiche, 1866 - Meloidae
29.V.2000 - ITALIA - Sicilia - PA
Allegato(i) Dettagli della specie
Mylabris (Mylabris) schreibersi Reiche, 1866
Meloidae


29.V.2000 - ITALIA - Sicilia - PA
Coleoptera

Caliddo

3

1865

13/06/2012, 9:39

Marco A. Bologna Vedi ultimo messaggio

Nessun messaggio da leggere
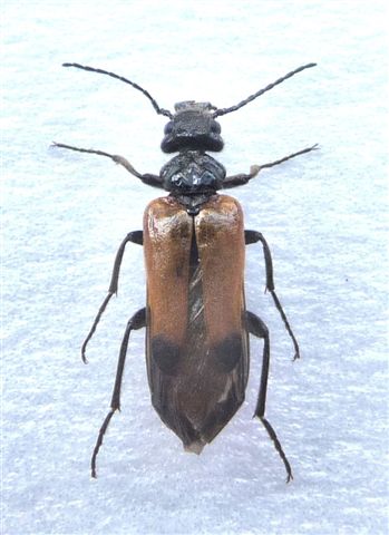
Stenoria (Stenoria) analis Schaum, 1859 - Meloidae
6.IX.2011 - ITALIA - Abruzzo - PE
Allegato(i) Dettagli della specie
Stenoria (Stenoria) analis Schaum, 1859
Meloidae


6.IX.2011 - ITALIA - Abruzzo - PE
Coleoptera

Alessio89

6

2744

31/01/2012, 11:32

Marco A. Bologna Vedi ultimo messaggio

Nessun messaggio da leggere
Zonitis (Zonitis) immaculata (A. G. Olivier, 1789) - Meloidae
16.VII.2011 - ITALIA - Sardegna - NU
Allegato(i) Dettagli della specie
Zonitis (Zonitis) immaculata (A. G. Olivier, 1789)
Meloidae


16.VII.2011 - ITALIA - Sardegna - NU
Coleoptera

Mauro

13

4500

31/01/2012, 11:02

Marco A. Bologna Vedi ultimo messaggio

Nessun messaggio da leggere
Allegato(i) Dettagli della specie
Meloe (Treiodous) autumnalis autumnalis A. G. Olivier, 1797
Meloidae


23.IX.2011 - ROMANIA - EE
Coleoptera

alexaandru

5

1879

14/12/2011, 20:20

alexaandru Vedi ultimo messaggio

Nessun messaggio da leggere
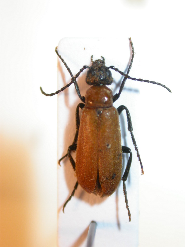
Meloe (Lampromeloe) cavensis L. Petagna, 1819 - Meloidae
11.XII.2011 - ITALIA - Sardegna - CA
Allegato(i) Dettagli della specie
Meloe (Lampromeloe) cavensis L. Petagna, 1819
Meloidae


11.XII.2011 - ITALIA - Sardegna - CA
Coleoptera

PierFrancescoMurgia

6

2447

14/12/2011, 16:01

PierFrancescoMurgia Vedi ultimo messaggio

Nessun messaggio da leggere
Lytta vesicatoria vesicatoria (Linnaeus, 1758) - Meloidae
7.V.2011 - ITALIA - Sicilia - ME
Allegato(i) Dettagli della specie
Lytta vesicatoria vesicatoria (Linnaeus, 1758)
Meloidae


7.V.2011 - ITALIA - Sicilia - ME
Coleoptera

Lucanus tetraodon

2

1391

14/12/2011, 9:45

Marco A. Bologna Vedi ultimo messaggio

Nessun messaggio da leggere
Meloe (Eurymeloe) mediterraneus J. Müller, 1925 - Meloidae
17.X.2011 - ITALIA - Abruzzo - AQ
Allegato(i) Dettagli della specie
Meloe (Eurymeloe) mediterraneus J. Müller, 1925
Meloidae


17.X.2011 - ITALIA - Abruzzo - AQ
Coleoptera

Julodis

8

2962

14/12/2011, 9:39

Marco A. Bologna Vedi ultimo messaggio

Nessun messaggio da leggere
Allegato(i) Dettagli della specie
Meloe (Eurymeloe) mediterraneus J. Müller, 1925
Meloidae


25.X.2011 - ITALIA - Lazio - RM
Coleoptera

Fabio Turchetti

13

3506

14/12/2011, 9:33

Marco A. Bologna Vedi ultimo messaggio

Nessun messaggio da leggere
Cabalia segetum (Fabricius, 1792) - Meloidae
13.V.2002 - ITALIA - Sicilia - TP
Allegato(i) Dettagli della specie
Cabalia segetum (Fabricius, 1792)
Meloidae


13.V.2002 - ITALIA - Sicilia - TP
Coleoptera

Caliddo

3

1817

14/12/2011, 9:29

Marco A. Bologna Vedi ultimo messaggio

Nessun messaggio da leggere
Allegato(i) Dettagli della specie
Meloe (Meloe) proscarabaeus proscarabaeus Linnaeus, 1758
Meloidae


11.IV.2011 - ITALIA - Liguria - SV
Coleoptera

fabio.aste

4

1826

28/11/2011, 14:38

fabio.aste Vedi ultimo messaggio

Nessun messaggio da leggere
Allegato(i) Dettagli della specie
Meloe (Treiodous) autumnalis autumnalis A. G. Olivier, 1797
Meloidae


12.XI.2011 - ITALIA - Lazio - RM
Coleoptera

Claude54

10

2737

28/11/2011, 14:37

fabio.aste Vedi ultimo messaggio

Nessun messaggio da leggere
Meloe (Eurymeloe) ganglbaueri Apfelbeck, 1905 - Meloidae
10.XI.2011 - ITALIA - Lazio - RM
Allegato(i) Dettagli della specie
Meloe (Eurymeloe) ganglbaueri Apfelbeck, 1905
Meloidae


10.XI.2011 - ITALIA - Lazio - RM
Coleoptera

elleelle

4

1756

28/11/2011, 11:54

Marco A. Bologna Vedi ultimo messaggio

Nessun messaggio da leggere
Allegato(i) Dettagli della specie
Meloe (Eurymeloe) ganglbaueri Apfelbeck, 1905 cf.
Meloidae


29.X.2011 - ITALIA - Marche - MC
Coleoptera

StagBeetle

2

1507

21/11/2011, 0:56

StagBeetle Vedi ultimo messaggio

Nessun messaggio da leggere
Allegato(i) Dettagli della specie
Meloe (Treiodous) autumnalis autumnalis A. G. Olivier, 1797
Meloidae


8.X.2011 - ITALIA - Sardegna - CA
Coleoptera

Fumea crassiorella

4

1452

08/11/2011, 2:08

Julodis Vedi ultimo messaggio

Nessun messaggio da leggere
Allegato(i) Dettagli della specie
Meloe (Meloe) proscarabaeus proscarabaeus Linnaeus, 1758
Meloidae


11.IV.2011 - ITALIA - Marche - PU
Coleoptera

marco paglialunga

11

2820

07/11/2011, 10:58

Marco A. Bologna Vedi ultimo messaggio

Nessun messaggio da leggere
Allegato(i) Dettagli della specie
Meloe (Treiodous) autumnalis autumnalis A. G. Olivier, 1797
Meloidae


31.X.2011 - ITALIA - Lazio - FR
Coleoptera

Julodis

1

948

07/11/2011, 10:56

Marco A. Bologna Vedi ultimo messaggio

Nessun messaggio da leggere
Allegato(i) Dettagli della specie
Meloe (Treiodous) autumnalis autumnalis A. G. Olivier, 1797
Meloidae


29.X.2011 - ITALIA - Marche - MC
Coleoptera

StagBeetle

2

1084

07/11/2011, 10:55

Marco A. Bologna Vedi ultimo messaggio

Nessun messaggio da leggere
Actenodia sp. - Meloidae
2.VII.2011 - ISRAELE - EE
Allegato(i)
Actenodia sp. - Meloidae

2.VII.2011 - ISRAELE - EE
Coleoptera

ApolloY

3

1695

05/11/2011, 8:42

Julodis Vedi ultimo messaggio

Nessun messaggio da leggere
Stenoria (Stenoria) analis Schaum, 1859 - Meloidae
4.IX.2011 - ITALIA - Lazio - RM
Allegato(i) Dettagli della specie
Stenoria (Stenoria) analis Schaum, 1859
Meloidae


4.IX.2011 - ITALIA - Lazio - RM
Coleoptera

Goliathus

5

1601

04/10/2011, 18:34

Marco A. Bologna Vedi ultimo messaggio

Nessun messaggio da leggere
Allegato(i)
Oenas laevicollis Abeille de Perrin, 1880 - Meloidae

20.IV.2011 - ISRAELE - EE
Coleoptera

ApolloY

4

1570

04/10/2011, 18:32

Marco A. Bologna Vedi ultimo messaggio

Nessun messaggio da leggere
Allegato(i)
Alosimus syriacus syriacus (Linnaeus, 1758) (cf.) - Meloidae
Meloidae


14.IV.2011 - ISRAELE - EE
Coleoptera

ApolloY

2

1508

19/09/2011, 11:05

Daniele Sechi Vedi ultimo messaggio

Nessun messaggio da leggere
Allegato(i)
Alosimus longicollis (Escherich, 1896) (cf.) - Meloidae

23.V.2011 - TURCHIA - EE
Coleoptera

Isotomus

3

1526

19/09/2011, 9:54

Marco A. Bologna Vedi ultimo messaggio

Nessun messaggio da leggere
Allegato(i)
Mylabris (Micrabris) pusilla Olivier, 1811 (cf.) - Meloidae

7.VI.2011 - ITALIA - Umbria - PG
Coleoptera

ilio

6

2220

19/09/2011, 9:51

Marco A. Bologna Vedi ultimo messaggio

Nessun messaggio da leggere
Allegato(i)
Hycleus pustulatus (Thunberg, 1791) (gruppo) - Meloide

24.VIII.2011 - PAKISTAN - EE
Coleoptera

Guido Sabatinelli

2

1090

19/09/2011, 9:38

Marco A. Bologna Vedi ultimo messaggio

Nessun messaggio da leggere
Zonitis (Zonitis) flava Fabricius, 1775 - Meloidae
26.VII.2011 - ITALIA - Campania - CE
Allegato(i) Dettagli della specie
Zonitis (Zonitis) flava Fabricius, 1775
Meloidae


26.VII.2011 - ITALIA - Campania - CE
Coleoptera

Julodis

1

1042

19/09/2011, 9:35

Marco A. Bologna Vedi ultimo messaggio

Nessun messaggio da leggere
Allegato(i)
Zonitis (Zonitis) nana (Ragusa, 1882) cf. - Meloidae Nemognathinae Nemognathini

7.VIII.2011 - ITALIA - Abruzzo - AQ
Coleoptera

Julodis

1

1090

19/09/2011, 9:34

Marco A. Bologna Vedi ultimo messaggio

Nessun messaggio da leggere
Allegato(i)
Hycleus duodecimpunctatus (Olivier 1811) (cf.) - Meloidae

22.IV.2011 - PORTOGALLO - EE
Coleoptera

sarahpogue

2

1060

19/09/2011, 9:33

Marco A. Bologna Vedi ultimo messaggio

Nessun messaggio da leggere
Lytta vesicatoria vesicatoria (Linnaeus, 1758) - Meloidae
19.VI.2011 - ITALIA - Lazio - RM
Allegato(i) Dettagli della specie
Lytta vesicatoria vesicatoria (Linnaeus, 1758)
Meloidae


19.VI.2011 - ITALIA - Lazio - RM
Coleoptera

Fabio Turchetti

2

1213

19/09/2011, 9:30

Marco A. Bologna Vedi ultimo messaggio

Nessun messaggio da leggere
Allegato(i) Dettagli della specie
Mylabris (Mylabris) quadripunctata quadripunctata (Linnaeus, 1767) cf.
Meloidae


V.2011 - TURCHIA - EE
Coleoptera

Fumea crassiorella

3

1587

19/09/2011, 9:30

Marco A. Bologna Vedi ultimo messaggio

Nessun messaggio da leggere
Zonitis (Zonitis) flava Fabricius, 1775 - Meloidae
18.VI.2011 - ITALIA - Emilia-Romagna - FC
Allegato(i) Dettagli della specie
Zonitis (Zonitis) flava Fabricius, 1775
Meloidae


18.VI.2011 - ITALIA - Emilia-Romagna - FC
Coleoptera

Loriscola

1

1195

19/09/2011, 9:28

Marco A. Bologna Vedi ultimo messaggio

Nessun messaggio da leggere
Stenoria (Stenoria) analis Schaum, 1859 - Meloidae
5.IX.2011 - ITALIA - Marche - AN
Allegato(i) Dettagli della specie
Stenoria (Stenoria) analis Schaum, 1859
Meloidae


5.IX.2011 - ITALIA - Marche - AN
Coleoptera

StagBeetle

0

1304

16/09/2011, 10:52

StagBeetle Vedi ultimo messaggio

Nessun messaggio da leggere
Allegato(i) Dettagli della specie
Mylabris (Micrabris) pusilla latialis Magistretti, 1943
Meloidae


25.VIII.2011 - ITALIA - Lazio - FR
Coleoptera

StagBeetle

0

1209

07/09/2011, 10:52

StagBeetle Vedi ultimo messaggio

Nessun messaggio da leggere
Allegato(i) Dettagli della specie
Mylabris (Mylabris) quadripunctata quadripunctata (Linnaeus, 1767)
Meloidae


23.VII.2011 - ITALIA - Basilicata - PZ
Coleoptera

Mimmo011

4

1850

26/08/2011, 15:36

Marco A. Bologna Vedi ultimo messaggio

Nessun messaggio da leggere
Allegato(i)
Alosimus marginicollis (Haag-Rutenberg, 1880) - Meloidae

27.V.2011 - TURCHIA - EE
Coleoptera

Fumea crassiorella

7

2210

24/08/2011, 10:01

Marco A. Bologna Vedi ultimo messaggio

Nessun messaggio da leggere
Allegato(i)
Stenodera coeruleiceps (Fairmaire, 1892) - Meloidae

4.VI.2011 - TURCHIA - EE
Coleoptera

Maurizio Bollino

9

1794

24/08/2011, 9:59

Marco A. Bologna Vedi ultimo messaggio

Nessun messaggio da leggere
Epicauta (Epicauta) rufidorsum (Goeze, 1777) - Meloidae
24.VII.2011 - ITALIA - Toscana - SI
Allegato(i) Dettagli della specie
Epicauta (Epicauta) rufidorsum (Goeze, 1777)
Meloidae


24.VII.2011 - ITALIA - Toscana - SI
Coleoptera

Carlo Monari

5

1622

24/08/2011, 9:55

Marco A. Bologna Vedi ultimo messaggio

Nessun messaggio da leggere
Mylabris (Mylabris) variabilis (Pallas, 1781) - Meloidae
2.VII.2011 - ITALIA - Lazio - VT
Allegato(i) Dettagli della specie
Mylabris (Mylabris) variabilis (Pallas, 1781)
Meloidae


2.VII.2011 - ITALIA - Lazio - VT
Coleoptera

Andricus

4

1854

24/08/2011, 9:51

Marco A. Bologna Vedi ultimo messaggio

Nessun messaggio da leggere
Sitaris sp.-Meloidae da determinare
17.VIII.2011 - BULGARIA - EE
Allegato(i)
Sitaris sp.-Meloidae da determinare

17.VIII.2011 - BULGARIA - EE
Coleoptera

Joro

0

764

20/08/2011, 15:44

Joro Vedi ultimo messaggio

Nessun messaggio da leggere
Allegato(i) Dettagli della specie
Meloe (Meloe) proscarabaeus proscarabaeus Linnaeus, 1758
Meloidae


16.IV.2011 - ROMANIA - EE
Coleoptera

alexaandru

10

2353

21/07/2011, 17:10

Marco A. Bologna Vedi ultimo messaggio

Nessun messaggio da leggere
Zonitis (Zonitis) flava Fabricius, 1775 - Meloidae
20.VI.2011 - ITALIA - Lazio - RM
Allegato(i) Dettagli della specie
Zonitis (Zonitis) flava Fabricius, 1775
Meloidae


20.VI.2011 - ITALIA - Lazio - RM
Coleoptera

Julodis

2

1183

08/07/2011, 23:56

Julodis Vedi ultimo messaggio

Nessun messaggio da leggere
Lydus trimaculatus italicus Kaszab, 1952 - Meloidae
29.IV.2011 - ITALIA - Puglia - BA
Allegato(i) Dettagli della specie
Lydus trimaculatus italicus Kaszab, 1952
Meloidae


29.IV.2011 - ITALIA - Puglia - BA
Coleoptera

Mimmo011

5

2500

08/07/2011, 16:42

Mimmo011 Vedi ultimo messaggio

Nessun messaggio da leggere
Allegato(i)
Epicauta (Epicauta) erythrocephala (Pallas, 1781) - Meloidae

25.VI.2011 - ROMANIA - EE
Coleoptera

cosmln

4

2161

07/07/2011, 16:20

cosmln Vedi ultimo messaggio

Nessun messaggio da leggere
Allegato(i) Dettagli della specie
Zonitis (Zonitis) flava Fabricius, 1775 cf.
Meloidae


25.VI.2011 - ROMANIA - EE
Coleoptera

cosmln

2

1613

07/07/2011, 14:05

Marco A. Bologna Vedi ultimo messaggio

Nessun messaggio da leggere
Mylabris (Mylabris) variabilis (Pallas, 1781) - Meloidae
5.VI.2011 - ITALIA - Marche - PU
Allegato(i) Dettagli della specie
Mylabris (Mylabris) variabilis (Pallas, 1781)
Meloidae


5.VI.2011 - ITALIA - Marche - PU
Coleoptera

marco paglialunga

2

1066

07/07/2011, 12:27

cosmln Vedi ultimo messaggio

Nessun messaggio da leggere
Zonitis sp. - Meloidae
7.VI.2011 - ITALIA - Umbria - PG
Allegato(i)
Zonitis sp. - Meloidae

7.VI.2011 - ITALIA - Umbria - PG
Coleoptera

ilio

1

1101

07/07/2011, 12:05

Marco A. Bologna Vedi ultimo messaggio

Visualizza ultimi argomenti:  Ordina per  Ordine:  
nuovo argomento
Vai alla pagina Precedente  1 ... 9, 10, 11, 12, 13, 14, 15  Prossimo
Pagina 12 di 15 [ 738 argomenti ]

Tutti gli orari sono UTC + 1 ora [ ora legale ]


Chi c’è in linea

Visitano il forum: Nessuno e 2 ospiti


Legenda
Messaggi da leggere Messaggi da leggere Nessun messaggio da leggere Nessun messaggio da leggere Annuncio Annuncio
 
Specie indeterminata / discussione generica
Messaggi non letti [ Popolari ] Messaggi non letti [ Popolari ] Nessun messaggio da leggere [ Popolare ] Nessun messaggio da leggere [ Popolare ] Importante Importante
 
Specie determinata fino al genere o cf.
Messaggi non letti [ Bloccati ] Messaggi non letti [ Bloccati ] No messaggi non letti [ Bloccati ] No messaggi non letti [ Bloccati ] Argomento spostato Argomento spostato
 
Specie correttamente determinata
Permessi
Non puoi aprire nuovi argomenti
Non puoi rispondere negli argomenti
Non puoi modificare i tuoi messaggi
Non puoi cancellare i tuoi messaggi
Non puoi inviare allegati

Cerca per:
Vai a: