Benvenuto Ospite

Forum Entomologi Italiani

www.entomologiitaliani.net/forum
 
Oggi è 13/05/2026, 0:13

Tutti gli orari sono UTC + 1 ora [ ora legale ]


 
nessun taxon determinato correttamente in questo archivio

Oedemeridae


[ AFROTROPICALE ] [ ANTARTICO ] [ AUSTRALASIANO ] [ NEARTICO ] [ NEOTROPICALE ] [ ORIENTALE ] [ PALEARTICO ]


nuovo argomento
Vai alla pagina Precedente  1, 2
Pagina 2 di 2 [ 80 argomenti ]
 Argomenti   Ordine   Autore   Risposte   Visite    Ultimo messaggio 
Annunci
Nessun messaggio da leggere
Allegato(i)
Incontri entomologici della Società Entomologica Italiana 2025-2026
 

Velvet Ant

0

59658

17/11/2025, 19:41

Velvet Ant Vedi ultimo messaggio

Nessun messaggio da leggere
Allegato(i)
Incontri entomologici telematici organizzati dalla Società Entomologica Italiana nel 2022 e nel 2023

[ Vai alla paginaVai alla pagina: 1, 2, 3 ]

 

Velvet Ant

44

2094909

03/03/2023, 15:55

Velvet Ant Vedi ultimo messaggio

Nessun messaggio da leggere  
Allegato(i)
Sondaggio sul declino dell'entomofauna in Italia

[ Vai alla paginaVai alla pagina: 1, 2, 3, 4 ]

 

Velvet Ant

52

2777034

22/10/2022, 19:18

Acquarius Vedi ultimo messaggio

Nessun messaggio da leggere  
Allegato(i)
Progetto: Bibliografia ragionata dei lavori entomologici nei quali sono citati reperti apparsi su FEI

[ Vai alla paginaVai alla pagina: 1, 2, 3 ]

 

Velvet Ant

33

1681025

06/07/2023, 18:31

Orotrechus Vedi ultimo messaggio

Nessun messaggio da leggere
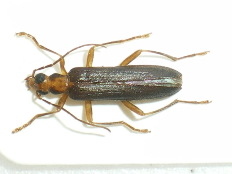
Anogcodes ruficollis (Fabricius, 1781) - Oedemeridae
27.V.2019 - ITALIA - Marche - AN
Allegato(i) Dettagli della specie
Anogcodes ruficollis (Fabricius, 1781)
Oedemeridae


27.V.2019 - ITALIA - Marche - AN
Coleoptera

StagBeetle

7

2521

12/06/2019, 14:51

Plagionotus Vedi ultimo messaggio

Nessun messaggio da leggere
Allegato(i)
Mimesi, il primo documentario cinematografico sull’entomologia in Italia: casting
 

mazzeip

1

1152020

28/02/2019, 20:26

mazzeip Vedi ultimo messaggio

Questo argomento è bloccato, non puoi modificare o inviare ulteriori messaggi.
Allegato(i)
ISTRUZIONI PUBBLICAZIONE NUOVI ARGOMENTI E FOTO

 
Altri Ordini di Insetti

Julodis

4

2974800

13/05/2015, 19:37

Julodis Vedi ultimo messaggio

Nessun messaggio da leggere
Allegato(i)
Limitatore giornaliero di messaggi, uno strumento utile e ormai indispensabile

[ Vai alla paginaVai alla pagina: 1 ... 14, 15, 16 ]

 

Velvet Ant

233

14181285

25/09/2014, 14:31

Inachis Vedi ultimo messaggio

Nessun messaggio da leggere  
NORME PER I COLLABORATORI DEL FORUM

 
 

Velvet Ant

0

682372

02/06/2011, 12:05

Velvet Ant Vedi ultimo messaggio

Nessun messaggio da leggere
Allegato(i)
NORME PER GLI UTENTI DEL FORUM

[ Vai alla paginaVai alla pagina: 1, 2, 3 ]



 
 

Velvet Ant

30

3794104

23/09/2014, 23:54

Maurizio Bollino Vedi ultimo messaggio

Nessun messaggio da leggere  
Lista degli utenti del "Forum entomologi italiani" per campi di interesse e specializzazione

 
Altri Ordini di Insetti

Velvet Ant

13

1158679

07/09/2023, 17:14

Roberto-07 Vedi ultimo messaggio

Argomenti
Nessun messaggio da leggere
Oedemeridae sp. - larva
3.IV.2014 - ITALIA - Marche - PU
Allegato(i)
Oedemeridae sp. - larva

3.IV.2014 - ITALIA - Marche - PU
Coleoptera

marco paglialunga

2

1121

04/04/2014, 12:24

Il Baratelli Vedi ultimo messaggio

Nessun messaggio da leggere
Anogcodes fulvicollis (Scopoli, 1763) cf. - Oedemeridae
3.VIII.2012 - ITALIA - Trentino-Alto Adige - TN
Allegato(i) Dettagli della specie
Anogcodes fulvicollis (Scopoli, 1763) cf.
Oedemeridae


3.VIII.2012 - ITALIA - Trentino-Alto Adige - TN
Coleoptera

Olaffio

4

1783

03/03/2014, 20:58

Olaffio Vedi ultimo messaggio

Nessun messaggio da leggere
Oedemera (Oncomera) femoralis Olivier, 1803 - Oedemeridae
16.VI.2013 - ITALIA - Molise - IS
Allegato(i)
Oedemera (Oncomera) femoralis Olivier, 1803 - Oedemeridae

16.VI.2013 - ITALIA - Molise - IS
Coleoptera

francescoparisi

1

1116

12/02/2014, 17:35

Fumea crassiorella Vedi ultimo messaggio

Nessun messaggio da leggere
Oedemera sp. - Oedemeridae
6.VI.2013 - ITALIA - Molise - IS
Allegato(i)
Oedemera sp. - Oedemeridae

6.VI.2013 - ITALIA - Molise - IS
Coleoptera

Franco ROSSI

5

1047

25/10/2013, 15:59

Klaas Reißmann Vedi ultimo messaggio

Nessun messaggio da leggere
Ischnomera cyanea (Fabricius 1792) (cf.) - Oedemeridae
4.V.2011 - ITALIA - Umbria - PG
Allegato(i)
Ischnomera cyanea (Fabricius 1792) (cf.) - Oedemeridae
Oedemeridae


4.V.2011 - ITALIA - Umbria - PG
Coleoptera

StagBeetle

1

773

17/10/2013, 22:52

Enrico Ruzzier Vedi ultimo messaggio

Nessun messaggio da leggere
Oedemera nobilis - Oedemeridae
26.VIII.2012 - ITALIA - Campania - BN
Allegato(i)
Oedemera nobilis - Oedemeridae

26.VIII.2012 - ITALIA - Campania - BN
Coleoptera

nariana

3

1568

13/09/2013, 21:24

hutia Vedi ultimo messaggio

Nessun messaggio da leggere
Chrysanthia sp. - Oedemerridae
29.VI.2013 - ITALIA - Piemonte - TO
Allegato(i)
Chrysanthia sp. - Oedemerridae

29.VI.2013 - ITALIA - Piemonte - TO
Coleoptera

umskiptar

2

1248

30/06/2013, 11:19

umskiptar Vedi ultimo messaggio

Nessun messaggio da leggere
Allegato(i)
Oedemera nobilis (Scopoli, 1763) (cf.) - femmina - Oedemeridae

ITALIA - Sicilia - SR
Coleoptera

pixelxpixel

1

1162

17/06/2013, 19:03

Junger Vedi ultimo messaggio

Nessun messaggio da leggere
Ischnomera sp. - Oedemeridae
19.V.2013 - ITALIA - Toscana - LU
Allegato(i)
Ischnomera sp. - Oedemeridae

19.V.2013 - ITALIA - Toscana - LU
Coleoptera

Marchino

2

1103

26/05/2013, 22:31

Marchino Vedi ultimo messaggio

Nessun messaggio da leggere
Oedemera sp. - Oedemeridae
25.IV.2013 - ITALIA - Piemonte - TO
Allegato(i)
Oedemera sp. - Oedemeridae
Oedemeridae


25.IV.2013 - ITALIA - Piemonte - TO
Coleoptera

umskiptar

2

1193

28/04/2013, 21:59

Junger Vedi ultimo messaggio

Nessun messaggio da leggere
Allegato(i) Dettagli della specie
Chrysanthia viridissima (Linnaeus, 1758) cf.
Oedemeridae


6.VI.2012 - ITALIA - Veneto - PD
Coleoptera

Marketto

3

1430

05/01/2013, 15:23

Julodis Vedi ultimo messaggio

Nessun messaggio da leggere
Allegato(i) Dettagli della specie
Oedemera (Oedemera) tristis W.Schmidt, 1846 cf.
Oedemeridae


4.VI.2010 - ITALIA - Veneto - TV
Coleoptera

deltabravo

7

2749

20/10/2012, 22:13

deltabravo Vedi ultimo messaggio

Nessun messaggio da leggere
Allegato(i) Dettagli della specie
Oedemera (Oedemera) flavipes (Fabricius, 1792) cf.
Oedemeridae


1.V.2012 - ITALIA - Sicilia - TP
Coleoptera

Marco Ferrante

6

1657

03/06/2012, 21:30

Marco Ferrante Vedi ultimo messaggio

Nessun messaggio da leggere
Allegato(i) Dettagli della specie
Oedemera (Oedemera) nobilis (Scopoli, 1763) cf.
Oedemeridae


23.V.2012 - ITALIA - Campania - NA
Coleoptera

Pylio

7

2186

03/06/2012, 16:53

Pylio Vedi ultimo messaggio

Nessun messaggio da leggere
Chrysantia viridissima (Linnaeus, 1758) - Oedemeridae
5.V.2011 - ITALIA - Emilia-Romagna - PR
Allegato(i)
Chrysantia viridissima (Linnaeus, 1758) - Oedemeridae

5.V.2011 - ITALIA - Emilia-Romagna - PR
Coleoptera

antoEandrea

2

1371

14/12/2011, 22:34

Chrysanthia Vedi ultimo messaggio

Nessun messaggio da leggere
Chrisanthia geniculata (Heyden, 1877) - Oedemeridae
VII.2011 - ITALIA - Toscana - PI
Allegato(i)
Chrisanthia geniculata (Heyden, 1877) - Oedemeridae

VII.2011 - ITALIA - Toscana - PI
Coleoptera

FORBIX

3

1271

20/09/2011, 16:08

Enrico Ruzzier Vedi ultimo messaggio

Nessun messaggio da leggere
Ischnomera caerulea (Linnaeus, 1758) cf. - Oedemeridae
1.VII.2011 - ITALIA - Emilia-Romagna - FC
Allegato(i) Dettagli della specie
Ischnomera caerulea (Linnaeus, 1758) cf.
Oedemeridae


1.VII.2011 - ITALIA - Emilia-Romagna - FC
Coleoptera

Isotomus

3

1715

07/07/2011, 17:18

Isotomus Vedi ultimo messaggio

Nessun messaggio da leggere
Oedemeridae - Oedemera sp. ?
5.VI.2011 - ITALIA - Abruzzo - AQ
Allegato(i)
Oedemeridae - Oedemera sp. ?

5.VI.2011 - ITALIA - Abruzzo - AQ
Coleoptera

Claude54

0

826

21/06/2011, 13:28

Claude54 Vedi ultimo messaggio

Nessun messaggio da leggere
Oedemeridae - Chrysanthia viridissima ?
18.VI.2011 - ITALIA - Abruzzo - AQ
Allegato(i)
Oedemeridae - Chrysanthia viridissima ?

18.VI.2011 - ITALIA - Abruzzo - AQ
Coleoptera

Claude54

0

857

21/06/2011, 13:23

Claude54 Vedi ultimo messaggio

Nessun messaggio da leggere
Allegato(i) Dettagli della specie
Oedemera (Oedemera) atrata W.Schmidt, 1846 cf.
Oedemeridae


23.IV.2011 - ITALIA - Lazio - RM
Coleoptera

Julodis

1

1073

22/05/2011, 15:08

Livio Vedi ultimo messaggio

Nessun messaggio da leggere
Ischnomera cyanea (Fabricius, 1792) cf. - Oedemeridae
21.V.2011 - ITALIA - Basilicata - MT
Allegato(i) Dettagli della specie
Ischnomera cyanea (Fabricius, 1792) cf.
Oedemeridae


21.V.2011 - ITALIA - Basilicata - MT
Coleoptera

Mimmo011

2

1159

21/05/2011, 23:21

Mimmo011 Vedi ultimo messaggio

Nessun messaggio da leggere
Oedemera (Oedemera) atrata W.Schmidt, 1846 cf. - Oedemeridae
21.V.2011 - ITALIA - Basilicata - MT
Allegato(i) Dettagli della specie
Oedemera (Oedemera) atrata W.Schmidt, 1846 cf.
Oedemeridae


21.V.2011 - ITALIA - Basilicata - MT
Coleoptera

Mimmo011

2

1252

21/05/2011, 22:09

Mimmo011 Vedi ultimo messaggio

Nessun messaggio da leggere
Ischnomera sp. - Oedemeridae
5.V.2011 - ITALIA - Umbria - PG
Allegato(i)
Ischnomera sp. - Oedemeridae

5.V.2011 - ITALIA - Umbria - PG
Coleoptera

ilio

2

1142

07/05/2011, 23:28

ilio Vedi ultimo messaggio

Nessun messaggio da leggere
Oedemera sp. - Oedemeridae
20.IV.2011 - ITALIA - Toscana - LI
Allegato(i)
Oedemera sp. - Oedemeridae

20.IV.2011 - ITALIA - Toscana - LI
Coleoptera

FORBIX

1

1050

26/04/2011, 23:49

Andricus Vedi ultimo messaggio

Nessun messaggio da leggere
Ischnomera sicula Vázquez, Bologna & Poloni - Oedemeridae
20.VI.1998 - ITALIA - Sicilia - PA
Allegato(i)
Ischnomera sicula Vázquez, Bologna & Poloni - Oedemeridae
Oedemeridae


20.VI.1998 - ITALIA - Sicilia - PA
Coleoptera

Velvet Ant

6

2166

19/03/2011, 0:30

Chrysanthia Vedi ultimo messaggio

Nessun messaggio da leggere
Allegato(i)
Stenostoma rostratum septentrionale Švihla, 2005 - Oedemeridae Oedemerinae Stenostomini

28.V.2010 - ITALIA - Sicilia - TP
Coleoptera

carabus

5

2143

17/02/2011, 11:45

Daniele Sechi Vedi ultimo messaggio

Nessun messaggio da leggere
Allegato(i)
Probosca viridana W. Schmidt, 1846 - Oedemeridae Oedemerinae Asclerini

VI.2010 - ITALIA - Sicilia - TP
Coleoptera

gigi58

0

1028

08/07/2010, 11:57

gigi58 Vedi ultimo messaggio

Nessun messaggio da leggere
Ischnomera sp. - Oedemeridae - Monte Pollino
30.VI.2005 - ITALIA - Basilicata - PZ
Allegato(i)
Ischnomera sp. - Oedemeridae - Monte Pollino
Oedemeridae


30.VI.2005 - ITALIA - Basilicata - PZ
Coleoptera

Julodis

3

1456

13/02/2010, 15:12

Julodis Vedi ultimo messaggio

Nessun messaggio da leggere
Xanthochroa carniolica (Gisti, 1834) Oedemeridae
11.VII.2009 - ITALIA - Marche - AN
Allegato(i)
Xanthochroa carniolica (Gisti, 1834) Oedemeridae
Oedemeridae


11.VII.2009 - ITALIA - Marche - AN
Coleoptera

StagBeetle

0

1159

15/07/2009, 20:57

StagBeetle Vedi ultimo messaggio

Visualizza ultimi argomenti:  Ordina per  Ordine:  
nuovo argomento
Vai alla pagina Precedente  1, 2
Pagina 2 di 2 [ 80 argomenti ]

Tutti gli orari sono UTC + 1 ora [ ora legale ]


Chi c’è in linea

Visitano il forum: Nessuno e 1 ospite


Legenda
Messaggi da leggere Messaggi da leggere Nessun messaggio da leggere Nessun messaggio da leggere Annuncio Annuncio
 
Specie indeterminata / discussione generica
Messaggi non letti [ Popolari ] Messaggi non letti [ Popolari ] Nessun messaggio da leggere [ Popolare ] Nessun messaggio da leggere [ Popolare ] Importante Importante
 
Specie determinata fino al genere o cf.
Messaggi non letti [ Bloccati ] Messaggi non letti [ Bloccati ] No messaggi non letti [ Bloccati ] No messaggi non letti [ Bloccati ] Argomento spostato Argomento spostato
 
Specie correttamente determinata
Permessi
Non puoi aprire nuovi argomenti
Non puoi rispondere negli argomenti
Non puoi modificare i tuoi messaggi
Non puoi cancellare i tuoi messaggi
Non puoi inviare allegati

Cerca per:
Vai a: