Benvenuto Ospite

Forum Entomologi Italiani

www.entomologiitaliani.net/forum
 
Oggi è 26/04/2026, 5:58

Tutti gli orari sono UTC + 1 ora [ ora legale ]

Elateridae


[ AFROTROPICALE ] [ ANTARTICO ] [ AUSTRALASIANO ] [ NEARTICO ] [ NEOTROPICALE ] [ ORIENTALE ] [ PALEARTICO ]


nuovo argomento
Vai alla pagina Precedente  1 ... 6, 7, 8, 9, 10, 11, 12 ... 40  Prossimo
Pagina 9 di 40 [ 1958 argomenti ]
 Argomenti   Ordine   Autore   Risposte   Visite    Ultimo messaggio 
Annunci
Nessun messaggio da leggere
Allegato(i)
Incontri entomologici della Società Entomologica Italiana 2025-2026
 

Velvet Ant

0

52385

17/11/2025, 19:41

Velvet Ant Vedi ultimo messaggio

Nessun messaggio da leggere
Allegato(i)
Incontri entomologici telematici organizzati dalla Società Entomologica Italiana nel 2022 e nel 2023

[ Vai alla paginaVai alla pagina: 1, 2, 3 ]

 

Velvet Ant

44

2031172

03/03/2023, 15:55

Velvet Ant Vedi ultimo messaggio

Nessun messaggio da leggere  
Allegato(i)
Sondaggio sul declino dell'entomofauna in Italia

[ Vai alla paginaVai alla pagina: 1, 2, 3, 4 ]

 

Velvet Ant

52

2704265

22/10/2022, 19:18

Acquarius Vedi ultimo messaggio

Nessun messaggio da leggere  
Allegato(i)
Progetto: Bibliografia ragionata dei lavori entomologici nei quali sono citati reperti apparsi su FEI

[ Vai alla paginaVai alla pagina: 1, 2, 3 ]

 

Velvet Ant

33

1628976

06/07/2023, 18:31

Orotrechus Vedi ultimo messaggio

Nessun messaggio da leggere
Allegato(i)
Mimesi, il primo documentario cinematografico sull’entomologia in Italia: casting
 

mazzeip

1

1142379

28/02/2019, 20:26

mazzeip Vedi ultimo messaggio

Questo argomento è bloccato, non puoi modificare o inviare ulteriori messaggi.
Allegato(i)
ISTRUZIONI PUBBLICAZIONE NUOVI ARGOMENTI E FOTO

 
Altri Ordini di Insetti

Julodis

4

2960861

13/05/2015, 19:37

Julodis Vedi ultimo messaggio

Nessun messaggio da leggere
Allegato(i)
Limitatore giornaliero di messaggi, uno strumento utile e ormai indispensabile

[ Vai alla paginaVai alla pagina: 1 ... 14, 15, 16 ]

 

Velvet Ant

233

13874632

25/09/2014, 14:31

Inachis Vedi ultimo messaggio

Nessun messaggio da leggere  
NORME PER I COLLABORATORI DEL FORUM

 
 

Velvet Ant

0

674003

02/06/2011, 12:05

Velvet Ant Vedi ultimo messaggio

Nessun messaggio da leggere
Allegato(i)
NORME PER GLI UTENTI DEL FORUM

[ Vai alla paginaVai alla pagina: 1, 2, 3 ]



 
 

Velvet Ant

30

3744466

23/09/2014, 23:54

Maurizio Bollino Vedi ultimo messaggio

Nessun messaggio da leggere  
Lista degli utenti del "Forum entomologi italiani" per campi di interesse e specializzazione

 
Altri Ordini di Insetti

Velvet Ant

13

1134984

07/09/2023, 17:14

Roberto-07 Vedi ultimo messaggio

Argomenti
Nessun messaggio da leggere
Mulsanteus guillebeaui (Mulsant & Godart, 1853) - Elateridae
18.VII.2002 - ITALIA - Sicilia - PA
Allegato(i)
Mulsanteus guillebeaui (Mulsant & Godart, 1853) - Elateridae

18.VII.2002 - ITALIA - Sicilia - PA
Coleoptera

Caliddo

2

508

09/09/2020, 17:48

Caliddo Vedi ultimo messaggio

Nessun messaggio da leggere
Athous (Haplathous) subfuscus (O. F. Müller 1764) - Elateridae
23.VI.2020 - ITALIA - Trentino-Alto Adige - TN
Allegato(i)
Athous (Haplathous) subfuscus (O. F. Müller 1764) - Elateridae

23.VI.2020 - ITALIA - Trentino-Alto Adige - TN
Coleoptera

Chalybion

2

589

08/09/2020, 21:05

Chalybion Vedi ultimo messaggio

Nessun messaggio da leggere
Harminius spiniger (Candèze, 1860) - Elateridae
5.VIII.2019 - ITALIA - Sicilia - PA
Allegato(i)
Harminius spiniger (Candèze, 1860) - Elateridae

5.VIII.2019 - ITALIA - Sicilia - PA
Coleoptera

Caliddo

1

471

08/09/2020, 11:02

Edo Vedi ultimo messaggio

Nessun messaggio da leggere
Mulsanteus guillebeaui (Mulsant & Godart, 1853) - Elateridae
27.VII.2018 - ITALIA - Sicilia - PA
Allegato(i)
Mulsanteus guillebeaui (Mulsant & Godart, 1853) - Elateridae

27.VII.2018 - ITALIA - Sicilia - PA
Coleoptera

Caliddo

1

520

08/09/2020, 11:00

Edo Vedi ultimo messaggio

Nessun messaggio da leggere
Cardiophorus ulcerosus (Gené, 1836) - Elateridae
19.VI.2011 - ITALIA - Sicilia - PA
Allegato(i)
Cardiophorus ulcerosus (Gené, 1836) - Elateridae

19.VI.2011 - ITALIA - Sicilia - PA
Coleoptera

Caliddo

2

534

07/09/2020, 11:42

Caliddo Vedi ultimo messaggio

Nessun messaggio da leggere
Agriotes siciliensis Pic, 1912 - Elateridae
7.VI.2013 - ITALIA - Sicilia - PA
Allegato(i)
Agriotes siciliensis Pic, 1912 - Elateridae

7.VI.2013 - ITALIA - Sicilia - PA
Coleoptera

Caliddo

2

574

07/09/2020, 11:41

Caliddo Vedi ultimo messaggio

Nessun messaggio da leggere
Agriotes siciliensis Pic, 1912 - Elateridae
7.VI.2013 - ITALIA - Sicilia - PA
Allegato(i)
Agriotes siciliensis Pic, 1912 - Elateridae

7.VI.2013 - ITALIA - Sicilia - PA
Coleoptera

Caliddo

2

625

06/09/2020, 12:40

Caliddo Vedi ultimo messaggio

Nessun messaggio da leggere
Athous (s. str.) ineptus Candèze, 1860 - Elateridae
1.VII.2018 - ITALIA - Sicilia - PA
Allegato(i)
Athous (s. str.) ineptus Candèze, 1860 - Elateridae

1.VII.2018 - ITALIA - Sicilia - PA
Coleoptera

Caliddo

2

669

06/09/2020, 12:38

Caliddo Vedi ultimo messaggio

Nessun messaggio da leggere
Athous (Haplathous) subfuscus (O. F. Muller, 1764) - Elateridae
26.VI.2020 - ITALIA - Friuli-Venezia Giulia - UD
Allegato(i)
Athous (Haplathous) subfuscus (O. F. Muller, 1764) - Elateridae

26.VI.2020 - ITALIA - Friuli-Venezia Giulia - UD
Coleoptera

Agdistis

2

608

30/08/2020, 11:20

Agdistis Vedi ultimo messaggio

Nessun messaggio da leggere
Dicronychus equiseti (Herbst, 1784) - Elateridae
16.V.2020 - ITALIA - Friuli-Venezia Giulia - GO
Allegato(i)
Dicronychus equiseti (Herbst, 1784) - Elateridae

16.V.2020 - ITALIA - Friuli-Venezia Giulia - GO
Coleoptera

Agdistis

2

590

30/08/2020, 11:19

Agdistis Vedi ultimo messaggio

Nessun messaggio da leggere
Agriotes sputator (Linnaeus, 1758) - Elateridae
6.VI.2020 - ITALIA - Friuli-Venezia Giulia - GO
Allegato(i)
Agriotes sputator (Linnaeus, 1758) - Elateridae

6.VI.2020 - ITALIA - Friuli-Venezia Giulia - GO
Coleoptera

Agdistis

2

574

29/08/2020, 22:12

Agdistis Vedi ultimo messaggio

Nessun messaggio da leggere
Athous (Orthathous) plagipennis Reitter, 1905 - Elateridae
6.VI.2020 - ITALIA - Friuli-Venezia Giulia - GO
Allegato(i)
Athous (Orthathous) plagipennis Reitter, 1905 - Elateridae

6.VI.2020 - ITALIA - Friuli-Venezia Giulia - GO
Coleoptera

Agdistis

2

633

29/08/2020, 22:12

Agdistis Vedi ultimo messaggio

Nessun messaggio da leggere
Athous (Haplathous) cavifrons Redtenbacher, 1858 - Elateridae
2.VII.2020 - ITALIA - Friuli-Venezia Giulia - UD
Allegato(i)
Athous (Haplathous) cavifrons Redtenbacher, 1858 - Elateridae

2.VII.2020 - ITALIA - Friuli-Venezia Giulia - UD
Coleoptera

Agdistis

3

669

28/08/2020, 15:34

Edo Vedi ultimo messaggio

Nessun messaggio da leggere
Agriotes (Agriotes) ustulatus (Schaller, 1783) - Elateridae
2.VII.2020 - ITALIA - Friuli-Venezia Giulia - UD
Allegato(i)
Agriotes (Agriotes) ustulatus (Schaller, 1783) - Elateridae

2.VII.2020 - ITALIA - Friuli-Venezia Giulia - UD
Coleoptera

Agdistis

2

774

28/08/2020, 14:51

Agdistis Vedi ultimo messaggio

Nessun messaggio da leggere
Megathous nigerrimus (Desbrochers des Loges, 1869) - Elateridae
21.VII.2020 - ITALIA - Piemonte - TO
Allegato(i)
Megathous nigerrimus (Desbrochers des Loges, 1869) - Elateridae

21.VII.2020 - ITALIA - Piemonte - TO
Coleoptera

37formichine

2

717

17/08/2020, 15:42

37formichine Vedi ultimo messaggio

Nessun messaggio da leggere
Athous (Haplathous) flavipennis Candèze, 1860 - Elateridae
26.VII.2020 - ITALIA - Toscana - MS
Allegato(i)
Athous (Haplathous) flavipennis Candèze, 1860 - Elateridae

26.VII.2020 - ITALIA - Toscana - MS
Coleoptera

Dicomed

2

637

01/08/2020, 16:41

Dicomed Vedi ultimo messaggio

Nessun messaggio da leggere
Allegato(i)
Drasterius bimaculatus (Rossi, 1790) - Elateridae

21.VI.2020 - SPAGNA - EE
Coleoptera

Dicomed

1

500

01/08/2020, 16:34

Edo Vedi ultimo messaggio

Nessun messaggio da leggere
Melanotus (Melanotus) dichrous (Erichson, 1841) - Elateridae
25.VII.2020 - ITALIA - Sardegna - NU
Allegato(i)
Melanotus (Melanotus) dichrous (Erichson, 1841) - Elateridae

25.VII.2020 - ITALIA - Sardegna - NU
Coleoptera

ruzzpa

1

519

28/07/2020, 14:44

Edo Vedi ultimo messaggio

Nessun messaggio da leggere
Dalopius marginatus (Linnaeus, 1758) - Elateridae
22.VI.2020 - ITALIA - Veneto - VI
Allegato(i)
Dalopius marginatus (Linnaeus, 1758) - Elateridae

22.VI.2020 - ITALIA - Veneto - VI
Coleoptera

Chalybion

2

671

24/07/2020, 21:24

Chalybion Vedi ultimo messaggio

Nessun messaggio da leggere
Larva di Elateridae Elaterinae sp.
5.V.2020 - TURCHIA - EE
Allegato(i)
Larva di Elateridae Elaterinae sp.

5.V.2020 - TURCHIA - EE
Coleoptera

Tekilay

2

619

21/07/2020, 14:26

Tekilay Vedi ultimo messaggio

Nessun messaggio da leggere
Allegato(i)
Cardiophorus (Cardiophorus) melampus (Illiger, 1807) - Elateridae

27.V.2020 - SPAGNA - EE
Coleoptera

Dicomed

2

772

20/07/2020, 17:08

Dicomed Vedi ultimo messaggio

Nessun messaggio da leggere
Hemicrepidius hirtus (Herbst, 1784) - Elateridae
5.VI.2020 - ITALIA - Friuli-Venezia Giulia - UD
Allegato(i)
Hemicrepidius hirtus (Herbst, 1784) - Elateridae

5.VI.2020 - ITALIA - Friuli-Venezia Giulia - UD
Coleoptera

Michele A

5

1043

20/07/2020, 9:46

hypotyphlus Vedi ultimo messaggio

Nessun messaggio da leggere
Allegato(i)
Peripontius rutilipennis (Illiger, 1807) - Elateridae

11.VI.2020 - SPAGNA - EE
Coleoptera

Dicomed

2

716

16/07/2020, 23:16

Dicomed Vedi ultimo messaggio

Nessun messaggio da leggere
Allegato(i)
Tetralobus sp. 2 - Elateridae Agrypninae Tetralogini

XI.2019 - GABON - EE
Coleoptera

Daniele Sechi

0

624

12/07/2020, 10:28

Daniele Sechi Vedi ultimo messaggio

Nessun messaggio da leggere
Allegato(i)
Tetralobus sp. 1- Elateridae Agrypninae Tetralogini

XI.2019 - GABON - EE
Coleoptera

Daniele Sechi

1

676

11/07/2020, 13:31

Anostirus Vedi ultimo messaggio

Nessun messaggio da leggere
Allegato(i)
Podeonius sp. - Elateridae Phisorhinini - Gabon

XI.2019 - GABON - EE
Coleoptera

Daniele Sechi

1

690

11/07/2020, 13:23

Anostirus Vedi ultimo messaggio

Nessun messaggio da leggere
Allegato(i)
Propsephus sp. - Elateridae Dicrepidiini - Gabon

XI.2019 - GABON - EE
Coleoptera

Daniele Sechi

2

727

10/07/2020, 13:47

Daniele Sechi Vedi ultimo messaggio

Nessun messaggio da leggere
Allegato(i)
Propsephus sp. - Elateridae Dicrepidiini - Gabon

XI.2019 - GABON - EE
Coleoptera

Daniele Sechi

1

778

10/07/2020, 13:45

Anostirus Vedi ultimo messaggio

Nessun messaggio da leggere
Dicronychus sabatinellii Platia & Pulvirenti 2020 - Elateridae
5.IV.2018 - IRAN, REPUBBLICA ISLAMICA DELL' - EE
Allegato(i)
Dicronychus sabatinellii Platia & Pulvirenti 2020 - Elateridae

5.IV.2018 - IRAN, REPUBBLICA ISLAMICA DELL' - EE
Coleoptera

ruzzpa

0

710

05/07/2020, 23:25

ruzzpa Vedi ultimo messaggio

Nessun messaggio da leggere
Anostirus maccapanii Platia, 2017 - Elateridae
30.VI.2018 - ITALIA - Emilia-Romagna - MO
Allegato(i)
Anostirus maccapanii Platia, 2017 - Elateridae

30.VI.2018 - ITALIA - Emilia-Romagna - MO
Coleoptera

ruzzpa

0

736

05/07/2020, 23:25

ruzzpa Vedi ultimo messaggio

Nessun messaggio da leggere
Adrastus rachifer (Geoffroy in Fourcroy, 1785) - Elateridae
29.VI.2018 - ITALIA - Veneto - BL
Allegato(i)
Adrastus rachifer (Geoffroy in Fourcroy, 1785) - Elateridae

29.VI.2018 - ITALIA - Veneto - BL
Coleoptera

Chalybion

2

1349

05/07/2020, 11:16

Chalybion Vedi ultimo messaggio

Nessun messaggio da leggere
Cardiophorus hormozganensis Platia & Pulvirenti 2020 - Elateridae
30.III.2018 - IRAN, REPUBBLICA ISLAMICA DELL' - EE
Allegato(i)
Cardiophorus hormozganensis Platia & Pulvirenti 2020 - Elateridae

30.III.2018 - IRAN, REPUBBLICA ISLAMICA DELL' - EE
Coleoptera

ruzzpa

0

653

04/07/2020, 23:25

ruzzpa Vedi ultimo messaggio

Nessun messaggio da leggere
Allegato(i)
Dicronychus yemenita Platia & Pulvirenti 2020 - Elateridae

30.III.2007 - YEMEN - EE
Coleoptera

ruzzpa

0

785

04/07/2020, 23:25

ruzzpa Vedi ultimo messaggio

Nessun messaggio da leggere
Agrypnus murinus (Linnaeus, 1758) - Elateridae
10.V.2020 - ITALIA - Trentino-Alto Adige - TN
Allegato(i)
Agrypnus murinus (Linnaeus, 1758) - Elateridae

10.V.2020 - ITALIA - Trentino-Alto Adige - TN
Coleoptera

Syrio

2

1068

04/07/2020, 20:04

Syrio Vedi ultimo messaggio

Nessun messaggio da leggere
Allegato(i)
Agrypnus zappii Platia & Pulvirenti 2020 - Elateridae

9.VII.2018 - OMAN - EE
Coleoptera

ruzzpa

2

1243

04/07/2020, 0:47

Sleepy Moose Vedi ultimo messaggio

Nessun messaggio da leggere
Agriotes lorestanicus Platia & Pulvirenti 2020 - Elateridae
IRAN, REPUBBLICA ISLAMICA DELL' - EE
Allegato(i)
Agriotes lorestanicus Platia & Pulvirenti 2020 - Elateridae

IRAN, REPUBBLICA ISLAMICA DELL' - EE
Coleoptera

ruzzpa

0

638

03/07/2020, 23:25

ruzzpa Vedi ultimo messaggio

Nessun messaggio da leggere
Ampedus alinensis Platia & Pulvirenti 2020 - Elateridae
9.VII.2018 - FEDERAZIONE RUSSA - EE
Allegato(i)
Ampedus alinensis Platia & Pulvirenti 2020 - Elateridae

9.VII.2018 - FEDERAZIONE RUSSA - EE
Coleoptera

ruzzpa

0

750

03/07/2020, 23:25

ruzzpa Vedi ultimo messaggio

Nessun messaggio da leggere
Allegato(i)
Podeonius sp. - Elateridae Phisorhinini - Gabon

XI.2019 - GABON - EE
Coleoptera

Daniele Sechi

2

1015

01/07/2020, 21:51

Daniele Sechi Vedi ultimo messaggio

Nessun messaggio da leggere
Mulsanteus sp. - Elateridae
25.VI.2020 - TURCHIA - EE
Allegato(i)
Mulsanteus sp. - Elateridae

25.VI.2020 - TURCHIA - EE
Coleoptera

Tekilay

2

846

01/07/2020, 0:45

Tekilay Vedi ultimo messaggio

Nessun messaggio da leggere
Allegato(i)
Podeonius sp. - Elateridae Phisorhinini - Gabon

XI.2019 - GABON - EE
Coleoptera

Daniele Sechi

1

759

30/06/2020, 17:01

Anostirus Vedi ultimo messaggio

Nessun messaggio da leggere
Allegato(i)
Podeonius sp. - Elateridae Phisorhinini - Gabon

XI.2019 - GABON - EE
Coleoptera

Daniele Sechi

2

930

29/06/2020, 17:14

Daniele Sechi Vedi ultimo messaggio

Nessun messaggio da leggere
Allegato(i)
Cardiophorus sp. - Elateridae Cardiophorinae - Gabon

XI.2019 - GABON - EE
Coleoptera

Daniele Sechi

2

924

29/06/2020, 17:00

Daniele Sechi Vedi ultimo messaggio

Nessun messaggio da leggere
Ctenicera pectinicornis (Linnaeus, 1758) - Elateridae
24.VI.2020 - ITALIA - Friuli-Venezia Giulia - UD
Allegato(i)
Ctenicera pectinicornis (Linnaeus, 1758) - Elateridae

24.VI.2020 - ITALIA - Friuli-Venezia Giulia - UD
Coleoptera

Agdistis

6

1443

27/06/2020, 23:46

Edo Vedi ultimo messaggio

Nessun messaggio da leggere
Ctenicera cuprea (Fabricius, 1775) - Elateridae
21.VI.2020 - ITALIA - Trentino-Alto Adige - TN
Allegato(i)
Ctenicera cuprea (Fabricius, 1775) - Elateridae

21.VI.2020 - ITALIA - Trentino-Alto Adige - TN
Coleoptera

Syrio

2

1074

23/06/2020, 8:43

Syrio Vedi ultimo messaggio

Nessun messaggio da leggere
Peripontius terminatus (Erichson, 1841) - Elateridae
16.V.2020 - ITALIA - Friuli-Venezia Giulia - GO
Allegato(i)
Peripontius terminatus (Erichson, 1841) - Elateridae

16.V.2020 - ITALIA - Friuli-Venezia Giulia - GO
Coleoptera

Agdistis

1

1033

17/06/2020, 20:39

Edo Vedi ultimo messaggio

Nessun messaggio da leggere
Allegato(i)
Athous (Athous) haemorrhoidalis (Fabricius, 1801) - Elateridae

15.VI.2020 - ITALIA - Liguria - GE
Coleoptera

Antonio Pareto

4

1729

16/06/2020, 17:25

Edo Vedi ultimo messaggio

Nessun messaggio da leggere
Athous (Orthathous) sp. - Elateridae
11.VI.2020 - ITALIA - Friuli-Venezia Giulia - GO
Allegato(i)
Athous (Orthathous) sp. - Elateridae

11.VI.2020 - ITALIA - Friuli-Venezia Giulia - GO
Coleoptera

Agdistis

2

1358

15/06/2020, 22:06

Agdistis Vedi ultimo messaggio

Nessun messaggio da leggere
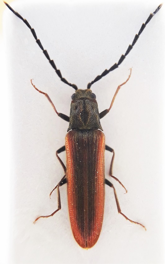
Mosotalesus impressus (Fabricius, 1793) - Elateridae
12.VII.1996 - ITALIA - Piemonte - CN
Allegato(i)
Mosotalesus impressus (Fabricius, 1793) - Elateridae

12.VII.1996 - ITALIA - Piemonte - CN
Coleoptera

Daniele Sechi

1

1142

10/06/2020, 23:02

Clickie Vedi ultimo messaggio

Nessun messaggio da leggere
Athous (Athous) vittatus (Gmelin, 1790) - Elateridae
25.V.2020 - ITALIA - Toscana - MS
Allegato(i)
Athous (Athous) vittatus (Gmelin, 1790) - Elateridae

25.V.2020 - ITALIA - Toscana - MS
Coleoptera

Francesco92

5

1864

10/06/2020, 19:37

Francesco92 Vedi ultimo messaggio

Nessun messaggio da leggere
Melanotus tenebrosus (Erichson 1841) - Elateridae
28.V.2020 - ITALIA - Toscana - MS
Allegato(i)
Melanotus tenebrosus (Erichson 1841) - Elateridae

28.V.2020 - ITALIA - Toscana - MS
Coleoptera

Francesco92

2

1203

10/06/2020, 14:01

Francesco92 Vedi ultimo messaggio

Visualizza ultimi argomenti:  Ordina per  Ordine:  
nuovo argomento
Vai alla pagina Precedente  1 ... 6, 7, 8, 9, 10, 11, 12 ... 40  Prossimo
Pagina 9 di 40 [ 1958 argomenti ]

Tutti gli orari sono UTC + 1 ora [ ora legale ]


Chi c’è in linea

Visitano il forum: Nessuno e 5 ospiti


Legenda
Messaggi da leggere Messaggi da leggere Nessun messaggio da leggere Nessun messaggio da leggere Annuncio Annuncio
 
Specie indeterminata / discussione generica
Messaggi non letti [ Popolari ] Messaggi non letti [ Popolari ] Nessun messaggio da leggere [ Popolare ] Nessun messaggio da leggere [ Popolare ] Importante Importante
 
Specie determinata fino al genere o cf.
Messaggi non letti [ Bloccati ] Messaggi non letti [ Bloccati ] No messaggi non letti [ Bloccati ] No messaggi non letti [ Bloccati ] Argomento spostato Argomento spostato
 
Specie correttamente determinata
Permessi
Non puoi aprire nuovi argomenti
Non puoi rispondere negli argomenti
Non puoi modificare i tuoi messaggi
Non puoi cancellare i tuoi messaggi
Non puoi inviare allegati

Cerca per:
Vai a: