Benvenuto Ospite

Forum Entomologi Italiani

www.entomologiitaliani.net/forum
 
Oggi è 22/05/2026, 19:13

Tutti gli orari sono UTC + 1 ora [ ora legale ]

Malachiidae


[ AFROTROPICALE ] [ ANTARTICO ] [ AUSTRALASIANO ] [ NEARTICO ] [ NEOTROPICALE ] [ ORIENTALE ] [ PALEARTICO ]


nuovo argomento
Vai alla pagina Precedente  1, 2, 3, 4, 5, 6 ... 8  Prossimo
Pagina 3 di 8 [ 379 argomenti ]
 Argomenti   Ordine   Autore   Risposte   Visite    Ultimo messaggio 
Annunci
Nessun messaggio da leggere
Allegato(i)
Incontri entomologici della Società Entomologica Italiana 2025-2026
 

Velvet Ant

0

64939

17/11/2025, 19:41

Velvet Ant Vedi ultimo messaggio

Nessun messaggio da leggere
Allegato(i)
Incontri entomologici telematici organizzati dalla Società Entomologica Italiana nel 2022 e nel 2023

[ Vai alla paginaVai alla pagina: 1, 2, 3 ]

 

Velvet Ant

44

2144645

03/03/2023, 15:55

Velvet Ant Vedi ultimo messaggio

Nessun messaggio da leggere  
Allegato(i)
Sondaggio sul declino dell'entomofauna in Italia

[ Vai alla paginaVai alla pagina: 1, 2, 3, 4 ]

 

Velvet Ant

52

2831037

22/10/2022, 19:18

Acquarius Vedi ultimo messaggio

Nessun messaggio da leggere  
Allegato(i)
Progetto: Bibliografia ragionata dei lavori entomologici nei quali sono citati reperti apparsi su FEI

[ Vai alla paginaVai alla pagina: 1, 2, 3 ]

 

Velvet Ant

33

1720834

06/07/2023, 18:31

Orotrechus Vedi ultimo messaggio

Nessun messaggio da leggere
Allegato(i)
Mimesi, il primo documentario cinematografico sull’entomologia in Italia: casting
 

mazzeip

1

1159650

28/02/2019, 20:26

mazzeip Vedi ultimo messaggio

Questo argomento è bloccato, non puoi modificare o inviare ulteriori messaggi.
Allegato(i)
ISTRUZIONI PUBBLICAZIONE NUOVI ARGOMENTI E FOTO

 
Altri Ordini di Insetti

Julodis

4

2985531

13/05/2015, 19:37

Julodis Vedi ultimo messaggio

Nessun messaggio da leggere
Allegato(i)
Limitatore giornaliero di messaggi, uno strumento utile e ormai indispensabile

[ Vai alla paginaVai alla pagina: 1 ... 14, 15, 16 ]

 

Velvet Ant

233

14347384

25/09/2014, 14:31

Inachis Vedi ultimo messaggio

Nessun messaggio da leggere  
NORME PER I COLLABORATORI DEL FORUM

 
 

Velvet Ant

0

688511

02/06/2011, 12:05

Velvet Ant Vedi ultimo messaggio

Nessun messaggio da leggere
Allegato(i)
NORME PER GLI UTENTI DEL FORUM

[ Vai alla paginaVai alla pagina: 1, 2, 3 ]



 
 

Velvet Ant

30

3834488

23/09/2014, 23:54

Maurizio Bollino Vedi ultimo messaggio

Nessun messaggio da leggere  
Lista degli utenti del "Forum entomologi italiani" per campi di interesse e specializzazione

 
Altri Ordini di Insetti

Velvet Ant

13

1176450

07/09/2023, 17:14

Roberto-07 Vedi ultimo messaggio

Argomenti
Nessun messaggio da leggere
Attalus analis (Panzer, 1798) - Malachiidae
VIII.2020 - ITALIA - Toscana - PI
Allegato(i)
Attalus analis (Panzer, 1798) - Malachiidae

VIII.2020 - ITALIA - Toscana - PI
Coleoptera

Stefano79

2

891

30/10/2020, 16:49

Stefano79 Vedi ultimo messaggio

Nessun messaggio da leggere
Malachiidae Malachiinae - Gabon
XI.2019 - GABON - EE
Allegato(i)
Malachiidae Malachiinae - Gabon

XI.2019 - GABON - EE
Coleoptera

Daniele Sechi

1

924

17/08/2020, 15:46

gabrif Vedi ultimo messaggio

Nessun messaggio da leggere
Charopus concolor (Fabricius, 1801) - Malachiidae
17.IV.2020 - ITALIA - Friuli-Venezia Giulia - UD
Allegato(i)
Charopus concolor (Fabricius, 1801) - Malachiidae

17.IV.2020 - ITALIA - Friuli-Venezia Giulia - UD
Coleoptera

Simox

2

946

14/08/2020, 12:25

Simox Vedi ultimo messaggio

Nessun messaggio da leggere
Sphinginus constrictus (Erichson, 1840) - Malachiidae
12.VI.2020 - ITALIA - Sardegna - OT
Allegato(i)
Sphinginus constrictus (Erichson, 1840) - Malachiidae

12.VI.2020 - ITALIA - Sardegna - OT
Coleoptera

Mauro

5

1657

16/07/2020, 10:54

gabrif Vedi ultimo messaggio

Nessun messaggio da leggere
Malachius australis Mulsant & Rey, 1867 - Malachiidae
29.IV.2018 - ITALIA - Lazio - VT
Allegato(i)
Malachius australis Mulsant & Rey, 1867 - Malachiidae

29.IV.2018 - ITALIA - Lazio - VT
Coleoptera

Andricus

2

1311

24/06/2020, 13:11

Andricus Vedi ultimo messaggio

Nessun messaggio da leggere
Ebaeus flavicornis Erichson, 1840 - Malachiidae
19.VIII.2019 - ITALIA - Veneto - BL
Allegato(i)
Ebaeus flavicornis Erichson, 1840 - Malachiidae

19.VIII.2019 - ITALIA - Veneto - BL
Coleoptera

Andricus

1

1054

19/06/2020, 11:27

gabrif Vedi ultimo messaggio

Nessun messaggio da leggere
Colotes maculatus (Laporte de Castelnau, 1838) - Malachiidae
17.VIII.2019 - ITALIA - Lazio - RM
Allegato(i)
Colotes maculatus (Laporte de Castelnau, 1838) - Malachiidae

17.VIII.2019 - ITALIA - Lazio - RM
Coleoptera

soken

3

1570

31/05/2020, 18:08

soken Vedi ultimo messaggio

Nessun messaggio da leggere
Ebaeus ruffoi Pardo Alcaide, 1962 - Malachiidae
21.V.2020 - ITALIA - Sicilia - TP
Allegato(i)
Ebaeus ruffoi Pardo Alcaide, 1962 - Malachiidae

21.V.2020 - ITALIA - Sicilia - TP
Coleoptera

angelo.ditta

4

1787

22/05/2020, 15:58

angelo.ditta Vedi ultimo messaggio

Nessun messaggio da leggere
Malachidae sp.
12.XI.2019 - PAPUA NUOVA GUINEA - EE
Allegato(i)
Malachidae sp.

12.XI.2019 - PAPUA NUOVA GUINEA - EE
Coleoptera

Loriscola

2

1669

17/05/2020, 15:50

strepens Vedi ultimo messaggio

Nessun messaggio da leggere
Allegato(i)
Malachius coccineus Waltl, 1838 - Malachiidae - Turkey

17.IV.2015 - TURCHIA - EE
Coleoptera

Maxim Smirnov

3

1464

11/05/2020, 17:43

Maxim Smirnov Vedi ultimo messaggio

Nessun messaggio da leggere
Malachius aeneus (Linnaeus, 1758) - Malachiidae
25.VI.2003 - ARMENIA - EE
Allegato(i)
Malachius aeneus (Linnaeus, 1758) - Malachiidae

25.VI.2003 - ARMENIA - EE
Coleoptera

Maxim Smirnov

3

1606

11/05/2020, 11:49

gabrif Vedi ultimo messaggio

Nessun messaggio da leggere
Allegato(i)
Ceratistes cervulus (Reitter, 1894) - Malachiidae

2.V.2020 - BULGARIA - EE
Coleoptera

Joro

9

2749

08/05/2020, 18:15

strepens Vedi ultimo messaggio

Nessun messaggio da leggere
Troglops colasi Wittmer 1968 - Malachiidae
15.IV.2015 - TURCHIA - EE
Allegato(i)
Troglops colasi Wittmer 1968 - Malachiidae

15.IV.2015 - TURCHIA - EE
Coleoptera

Maxim Smirnov

6

2148

07/05/2020, 21:59

Maxim Smirnov Vedi ultimo messaggio

Nessun messaggio da leggere
Allegato(i)
Cordylepherus koenigi (Abeille de Perrin, 1900) - Malachiidae

11.VI.2000 - TURCHIA - EE
Coleoptera

strepens

2

1345

04/05/2020, 19:54

strepens Vedi ultimo messaggio

Nessun messaggio da leggere
Hypebaeus flavicollis (Erichson 1840) - Malachiidae
16.IV.2020 - ITALIA - Lazio - RM
Allegato(i)
Hypebaeus flavicollis (Erichson 1840) - Malachiidae

16.IV.2020 - ITALIA - Lazio - RM
Coleoptera

soken

2

1317

04/05/2020, 14:07

soken Vedi ultimo messaggio

Nessun messaggio da leggere
Allegato(i)
Ebaeus battonii Pardo Alcaide, 1962 (cf.) - Malachiidae

V.2014 - ITALIA - Veneto - BL
Coleoptera

Maw89

5

1965

28/04/2020, 14:50

Andrea Pergine Vedi ultimo messaggio

Nessun messaggio da leggere
Malachius australis Mulsant & Rey 1867 - Malachiidae
5.V.2019 - ITALIA - Liguria - SP
Allegato(i)
Malachius australis Mulsant & Rey 1867 - Malachiidae

5.V.2019 - ITALIA - Liguria - SP
Coleoptera

Francesco92

3

1576

15/04/2020, 12:26

Francesco92 Vedi ultimo messaggio

Nessun messaggio da leggere
Troglops brevis Erichson, 1840 - Malachiidae
10.III.2017 - ITALIA - Sardegna - OT
Allegato(i)
Troglops brevis Erichson, 1840 - Malachiidae

10.III.2017 - ITALIA - Sardegna - OT
Coleoptera

Fumea crassiorella

1

1244

24/03/2020, 20:26

gabrif Vedi ultimo messaggio

Nessun messaggio da leggere
Allegato(i)
Axinotarsus (Axinotarsus) ruficollis (A.G. Olivier 1790) - Malachiidae

2.VI.2016 - ITALIA - Lombardia - BS
Coleoptera

Livio

2

1349

17/03/2020, 13:05

Livio Vedi ultimo messaggio

Nessun messaggio da leggere
Colotes maculatus (Laporte de Castelnau, 1838) - Malachiidae
2.VI.2016 - ITALIA - Lombardia - BS
Allegato(i)
Colotes maculatus (Laporte de Castelnau, 1838) - Malachiidae

2.VI.2016 - ITALIA - Lombardia - BS
Coleoptera

Livio

4

1856

16/03/2020, 20:14

Livio Vedi ultimo messaggio

Nessun messaggio da leggere
Malachius australis Mulsant & Rey, 1867 - Malachiidae
27.VI.2019 - ITALIA - Sicilia - PA
Allegato(i)
Malachius australis Mulsant & Rey, 1867 - Malachiidae

27.VI.2019 - ITALIA - Sicilia - PA
Coleoptera

Chalybion

3

2259

16/03/2020, 20:08

gabrif Vedi ultimo messaggio

Nessun messaggio da leggere
Clanoptilus emarginatus (Krauss, 1902) - Malachiidae
15.VII.2019 - ITALIA - Friuli-Venezia Giulia - GO
Allegato(i)
Clanoptilus emarginatus (Krauss, 1902) - Malachiidae

15.VII.2019 - ITALIA - Friuli-Venezia Giulia - GO
Coleoptera

Chalybion

2

2636

15/03/2020, 21:59

Chalybion Vedi ultimo messaggio

Nessun messaggio da leggere
Carphurus sp. - Malachiidae
12.XI.2019 - PAPUA NUOVA GUINEA - EE
Allegato(i)
Carphurus sp. - Malachiidae

12.XI.2019 - PAPUA NUOVA GUINEA - EE
Coleoptera

Loriscola

5

3598

08/03/2020, 17:44

Carlo A. Vedi ultimo messaggio

Nessun messaggio da leggere
Carphurus sp (cf.) - Malachiidae
12.XI.2019 - PAPUA NUOVA GUINEA - EE
Allegato(i)
Carphurus sp (cf.) - Malachiidae

12.XI.2019 - PAPUA NUOVA GUINEA - EE
Coleoptera

Loriscola

2

2882

08/03/2020, 17:14

gabrif Vedi ultimo messaggio

Nessun messaggio da leggere
Cerapheles lateplagiatus (Fairmaire, 1862) - Malachiidae
28.IV.2017 - ITALIA - Emilia-Romagna - BO
Allegato(i)
Cerapheles lateplagiatus (Fairmaire, 1862) - Malachiidae

28.IV.2017 - ITALIA - Emilia-Romagna - BO
Coleoptera

Loriscola

2

2520

06/03/2020, 19:01

gabrif Vedi ultimo messaggio

Nessun messaggio da leggere
Allegato(i)
Nudopectinus flabellicornis Erichson, 1840 - Malachiidae

5.IV.1982 - EGITTO - EE
Coleoptera

gabrif

5

1819

01/03/2020, 9:39

Daniele Sechi Vedi ultimo messaggio

Nessun messaggio da leggere
Allegato(i)
Callotroglops eburifer Peyron, 1877 - Malachiidae

5.VII.2008 - GRECIA - EE
Coleoptera

strepens

3

1623

26/02/2020, 21:58

Glaphyrus Vedi ultimo messaggio

Nessun messaggio da leggere
Allegato(i)
Attalus (Attalus) alpinus (Giraud, 1851) - Malachiidae

ITALIA - Valle d'Aosta - AO
Coleoptera

gabrif

0

3743

25/02/2020, 19:43

gabrif Vedi ultimo messaggio

Nessun messaggio da leggere
Cordylepherus viridis (Fabricius, 1787) - Malachiidae
7.V.2019 - ITALIA - Emilia-Romagna - RA
Allegato(i)
Cordylepherus viridis (Fabricius, 1787) - Malachiidae

7.V.2019 - ITALIA - Emilia-Romagna - RA
Coleoptera

Chalybion

4

1462

29/01/2020, 20:29

Chalybion Vedi ultimo messaggio

Nessun messaggio da leggere
Attalus (Abrinus) ragusae (Schaufuss 1871) - Malachiidae
III.2019 - ITALIA - Sicilia - PA
Allegato(i)
Attalus (Abrinus) ragusae (Schaufuss 1871) - Malachiidae

III.2019 - ITALIA - Sicilia - PA
Coleoptera

Loriscola

2

1373

09/12/2019, 14:29

Loriscola Vedi ultimo messaggio

Nessun messaggio da leggere
Allegato(i)
Clanoptilus (Hypoptilus) assimilis (Erichson, 1840) - Malachiidae

6.V.2016 - BULGARIA - EE
Coleoptera

Joro

4

1562

20/11/2019, 20:35

Joro Vedi ultimo messaggio

Nessun messaggio da leggere
Allegato(i)
Clanoptilus affinis ssp. subconcolor (Pic, 1911) - Malachiidae

5.V.2012 - ITALIA - Marche - PU
Coleoptera

StagBeetle

3

1484

18/11/2019, 13:23

StagBeetle Vedi ultimo messaggio

Nessun messaggio da leggere
Clanoptilus bellieri (Peyron, 1877) - Malachiidae
1.VI.1969 - ITALIA - Puglia - BR
Allegato(i)
Clanoptilus bellieri (Peyron, 1877) - Malachiidae

1.VI.1969 - ITALIA - Puglia - BR
Coleoptera

gabrif

3

1969

18/11/2019, 11:01

gabrif Vedi ultimo messaggio

Nessun messaggio da leggere
Allegato(i)
Clanoptilus (Clanoptilus) emarginatus (Krauss, 1902) - Malachiidae

8.VI.2012 - ITALIA - Umbria - PG
Coleoptera

Maura

3

1648

16/11/2019, 17:08

gabrif Vedi ultimo messaggio

Nessun messaggio da leggere
Allegato(i)
Malachius mariae Abeille de Perrin, 1885 - Malachiidae

8.VI.2019 - BULGARIA - EE
Coleoptera

Joro

4

1396

09/11/2019, 21:43

Joro Vedi ultimo messaggio

Nessun messaggio da leggere
Allegato(i)
Anthocomus equestris (Fabricius, 1781) - Malachiidae

11.VII.2019 - BULGARIA - EE
Coleoptera

Joro

1

981

08/11/2019, 12:24

gabrif Vedi ultimo messaggio

Nessun messaggio da leggere
Cyrtosus abeillei Dodero, 1922 - Malachiidae
1.V.1999 - ITALIA - Sardegna - CA
Allegato(i)
Cyrtosus abeillei Dodero, 1922 - Malachiidae

1.V.1999 - ITALIA - Sardegna - CA
Coleoptera

gabrif

0

1096

05/11/2019, 18:57

gabrif Vedi ultimo messaggio

Nessun messaggio da leggere
Cordylepherus viridis (Fabricius, 1787) - Malachiidae
3.VI.2018 - ITALIA - Friuli-Venezia Giulia - TS
Allegato(i)
Cordylepherus viridis (Fabricius, 1787) - Malachiidae

3.VI.2018 - ITALIA - Friuli-Venezia Giulia - TS
Coleoptera

Chalybion

3

1413

28/09/2019, 19:26

Chalybion Vedi ultimo messaggio

Nessun messaggio da leggere
Cordylepherus viridis (Fabricius, 1787) ♀ - Malachiidae
3.VI.2018 - ITALIA - Friuli-Venezia Giulia - TS
Allegato(i)
Cordylepherus viridis (Fabricius, 1787) ♀ - Malachiidae

3.VI.2018 - ITALIA - Friuli-Venezia Giulia - TS
Coleoptera

Chalybion

1

1073

28/09/2019, 19:23

Chalybion Vedi ultimo messaggio

Nessun messaggio da leggere
Charopus concolor (Fabricius, 1801) - Malachiidae
4.V.2019 - ITALIA - Piemonte - TO
Allegato(i)
Charopus concolor (Fabricius, 1801) - Malachiidae

4.V.2019 - ITALIA - Piemonte - TO
Coleoptera

DTVD

6

2158

25/09/2019, 18:46

DTVD Vedi ultimo messaggio

Nessun messaggio da leggere
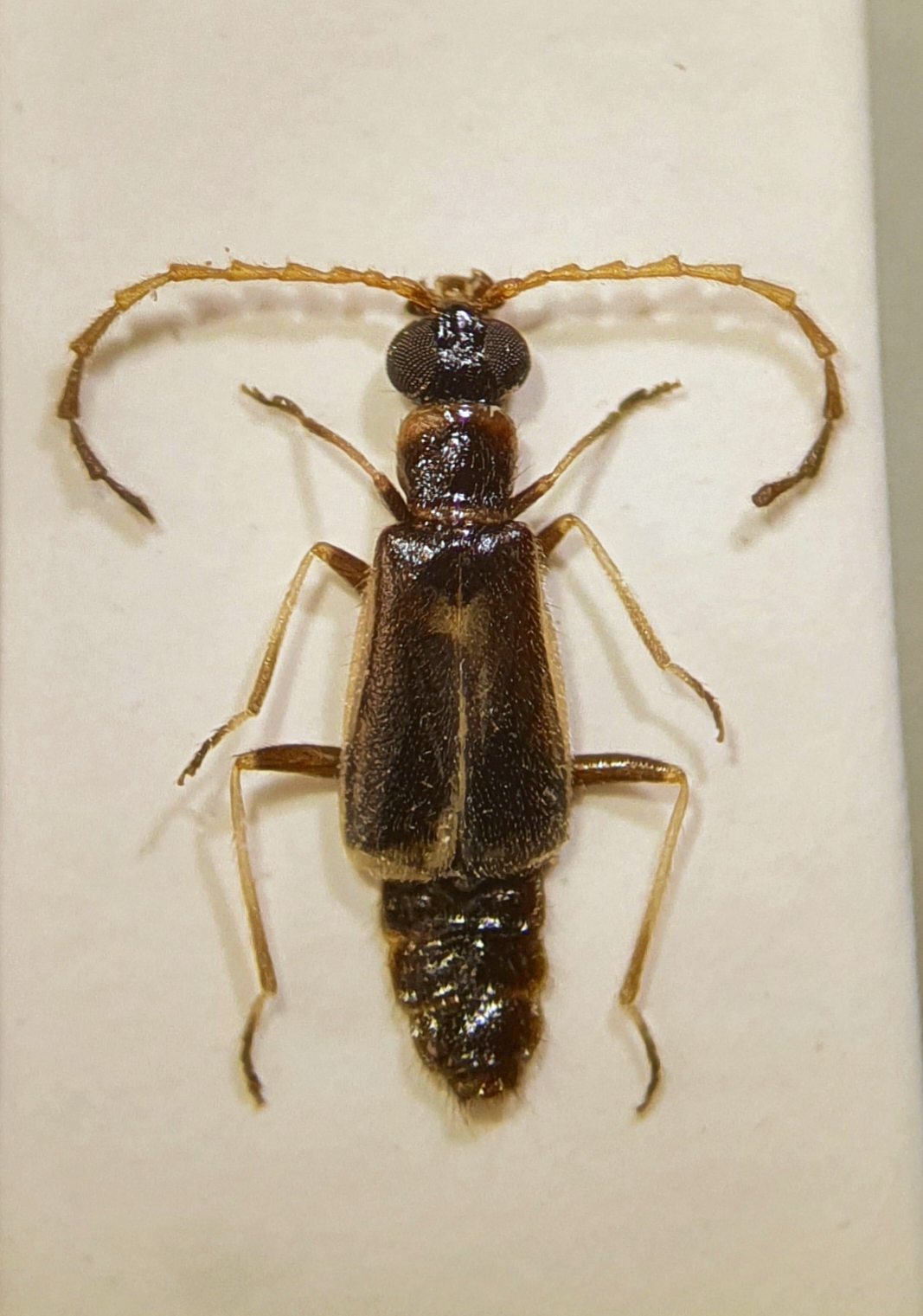
Laius cf. wallacei Pic, 1937 - Malachiidae
24.VII.2016 - MALESIA - EE
Allegato(i)
Laius cf. wallacei Pic, 1937 - Malachiidae

24.VII.2016 - MALESIA - EE
Coleoptera

Enoplium

8

2397

17/09/2019, 19:39

Enoplium Vedi ultimo messaggio

Nessun messaggio da leggere
Intybia plagiata (Walker, 1858) - Malachiidae
22.VII.2017 - SRI LANKA - EE
Allegato(i)
Intybia plagiata (Walker, 1858) - Malachiidae

22.VII.2017 - SRI LANKA - EE
Coleoptera

Enoplium

2

1541

17/09/2019, 19:33

Enoplium Vedi ultimo messaggio

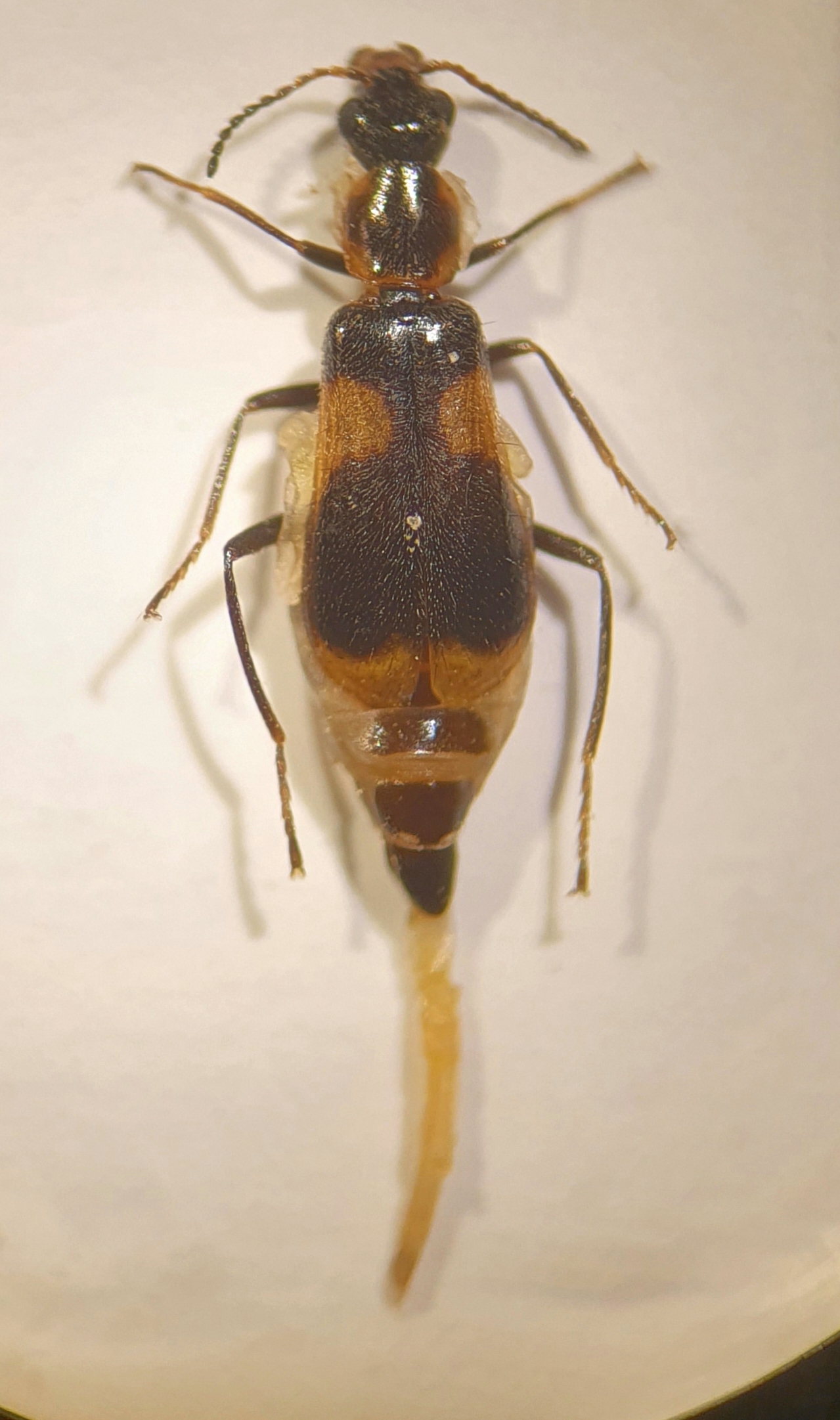
Nessun messaggio da leggere
Intybia externenotata (Pic, 1913) - Malachiidae
28.VII.2017 - SRI LANKA - EE
Allegato(i)
Intybia externenotata (Pic, 1913) - Malachiidae

[ Vai alla paginaVai alla pagina: 1, 2 ]



28.VII.2017 - SRI LANKA - EE
Coleoptera

Enoplium

16

4172

17/09/2019, 19:32

Enoplium Vedi ultimo messaggio

Nessun messaggio da leggere
Allegato(i)
Malachius (Malachius) lusitanicus atlasicus Escalera, 1914 - Malachiidae

28.VI.2019 - MAROCCO - EE
Coleoptera

Fumea crassiorella

2

1245

04/09/2019, 23:06

Fumea crassiorella Vedi ultimo messaggio

Nessun messaggio da leggere
Allegato(i)
Clanoptilus (Clanoptilus) spinipennis (Germar, 1824) - Malachiidae

29.V.2019 - ITALIA - Puglia - LE
Coleoptera

Michael Becker

4

1525

21/08/2019, 6:06

Michael Becker Vedi ultimo messaggio

Nessun messaggio da leggere
Colorful Malachiidae from Turkey
23.VII.2019 - TURCHIA - EE
Allegato(i)
Colorful Malachiidae from Turkey

23.VII.2019 - TURCHIA - EE
Coleoptera

Baris99

7

2285

29/07/2019, 21:41

Baris99 Vedi ultimo messaggio

Nessun messaggio da leggere
Cordylepherus viridis (Fabricius, 1787) - Malachiidae
7.VI.2019 - ITALIA - Friuli-Venezia Giulia - TS
Allegato(i)
Cordylepherus viridis (Fabricius, 1787) - Malachiidae

7.VI.2019 - ITALIA - Friuli-Venezia Giulia - TS
Coleoptera

Chalybion

3

1382

15/07/2019, 14:18

gabrif Vedi ultimo messaggio

Nessun messaggio da leggere
Axinotarsus ruficollis (Olivier, 1790) - Malachiidae
7.VI.2019 - ITALIA - Friuli-Venezia Giulia - TS
Allegato(i)
Axinotarsus ruficollis (Olivier, 1790) - Malachiidae

7.VI.2019 - ITALIA - Friuli-Venezia Giulia - TS
Coleoptera

Chalybion

2

1302

11/07/2019, 22:00

Chalybion Vedi ultimo messaggio

Nessun messaggio da leggere
Clanoptilus (Hypoptilus) sardous Erichson, 1840 - Malachiidae
16.VI.2019 - ITALIA - Sardegna - OT
Allegato(i)
Clanoptilus (Hypoptilus) sardous Erichson, 1840 - Malachiidae

16.VI.2019 - ITALIA - Sardegna - OT
Coleoptera

Mauro

2

1154

21/06/2019, 8:46

Mauro Vedi ultimo messaggio

Nessun messaggio da leggere
Allegato(i)
Attalus dalmatinus Erichson, 1840 - Malachiidae

9.VI.2013 - GRECIA - EE
Coleoptera

gabrif

0

980

09/06/2019, 21:35

gabrif Vedi ultimo messaggio

Visualizza ultimi argomenti:  Ordina per  Ordine:  
nuovo argomento
Vai alla pagina Precedente  1, 2, 3, 4, 5, 6 ... 8  Prossimo
Pagina 3 di 8 [ 379 argomenti ]

Tutti gli orari sono UTC + 1 ora [ ora legale ]


Chi c’è in linea

Visitano il forum: Nessuno e 1 ospite


Legenda
Messaggi da leggere Messaggi da leggere Nessun messaggio da leggere Nessun messaggio da leggere Annuncio Annuncio
 
Specie indeterminata / discussione generica
Messaggi non letti [ Popolari ] Messaggi non letti [ Popolari ] Nessun messaggio da leggere [ Popolare ] Nessun messaggio da leggere [ Popolare ] Importante Importante
 
Specie determinata fino al genere o cf.
Messaggi non letti [ Bloccati ] Messaggi non letti [ Bloccati ] No messaggi non letti [ Bloccati ] No messaggi non letti [ Bloccati ] Argomento spostato Argomento spostato
 
Specie correttamente determinata
Permessi
Non puoi aprire nuovi argomenti
Non puoi rispondere negli argomenti
Non puoi modificare i tuoi messaggi
Non puoi cancellare i tuoi messaggi
Non puoi inviare allegati

Cerca per:
Vai a: