Benvenuto Ospite

Forum Entomologi Italiani

www.entomologiitaliani.net/forum
 
Oggi è 17/01/2026, 23:20

Tutti gli orari sono UTC + 1 ora [ ora legale ]

 Forum   Argomenti   Messaggi   Ultimo messaggio 
Nessun messaggio da leggere
Filtro località
Buprestidae indeterminati

235

1497

19/06/2024, 18:17

AdYRuicanescu Vedi ultimo messaggio




89% 
1299 taxa correttamente determinati su 1456 presenti in archivio

Buprestoidea


[ AFROTROPICALE ] [ ANTARTICO ] [ AUSTRALASIANO ] [ NEARTICO ] [ NEOTROPICALE ] [ ORIENTALE ] [ PALEARTICO ]


nuovo argomento
Vai alla pagina Precedente  1 ... 27, 28, 29, 30, 31, 32, 33 ... 60  Prossimo
Pagina 30 di 60 [ 2977 argomenti ]
 Argomenti   Ordine   Autore   Risposte   Visite    Ultimo messaggio 
Annunci
Nessun messaggio da leggere
Allegato(i)
Incontri entomologici della Società Entomologica Italiana 2025-2026
 

Velvet Ant

0

18533

17/11/2025, 19:41

Velvet Ant Vedi ultimo messaggio

Nessun messaggio da leggere
Allegato(i)
Incontri entomologici telematici organizzati dalla Società Entomologica Italiana nel 2022 e nel 2023

[ Vai alla paginaVai alla pagina: 1, 2, 3 ]

 

Velvet Ant

44

1743604

03/03/2023, 15:55

Velvet Ant Vedi ultimo messaggio

Nessun messaggio da leggere  
Allegato(i)
Sondaggio sul declino dell'entomofauna in Italia

[ Vai alla paginaVai alla pagina: 1, 2, 3, 4 ]

 

Velvet Ant

52

2373925

22/10/2022, 19:18

Acquarius Vedi ultimo messaggio

Nessun messaggio da leggere  
Allegato(i)
Progetto: Bibliografia ragionata dei lavori entomologici nei quali sono citati reperti apparsi su FEI

[ Vai alla paginaVai alla pagina: 1, 2, 3 ]

 

Velvet Ant

33

1400218

06/07/2023, 18:31

Orotrechus Vedi ultimo messaggio

Nessun messaggio da leggere
Allegato(i)
Mimesi, il primo documentario cinematografico sull’entomologia in Italia: casting
 

mazzeip

1

1095418

28/02/2019, 20:26

mazzeip Vedi ultimo messaggio

Questo argomento è bloccato, non puoi modificare o inviare ulteriori messaggi.
Allegato(i)
ISTRUZIONI PUBBLICAZIONE NUOVI ARGOMENTI E FOTO

 
Altri Ordini di Insetti

Julodis

4

2896453

13/05/2015, 19:37

Julodis Vedi ultimo messaggio

Nessun messaggio da leggere
Allegato(i)
Limitatore giornaliero di messaggi, uno strumento utile e ormai indispensabile

[ Vai alla paginaVai alla pagina: 1 ... 14, 15, 16 ]

 

Velvet Ant

233

12617581

25/09/2014, 14:31

Inachis Vedi ultimo messaggio

Nessun messaggio da leggere  
NORME PER I COLLABORATORI DEL FORUM

 
 

Velvet Ant

0

638401

02/06/2011, 12:05

Velvet Ant Vedi ultimo messaggio

Nessun messaggio da leggere
Allegato(i)
NORME PER GLI UTENTI DEL FORUM

[ Vai alla paginaVai alla pagina: 1, 2, 3 ]



 
 

Velvet Ant

30

3515049

23/09/2014, 23:54

Maurizio Bollino Vedi ultimo messaggio

Nessun messaggio da leggere  
Lista degli utenti del "Forum entomologi italiani" per campi di interesse e specializzazione

 
Altri Ordini di Insetti

Velvet Ant

13

1026375

07/09/2023, 17:14

Roberto-07 Vedi ultimo messaggio

Argomenti
Nessun messaggio da leggere
Allegato(i) Dettagli della specie
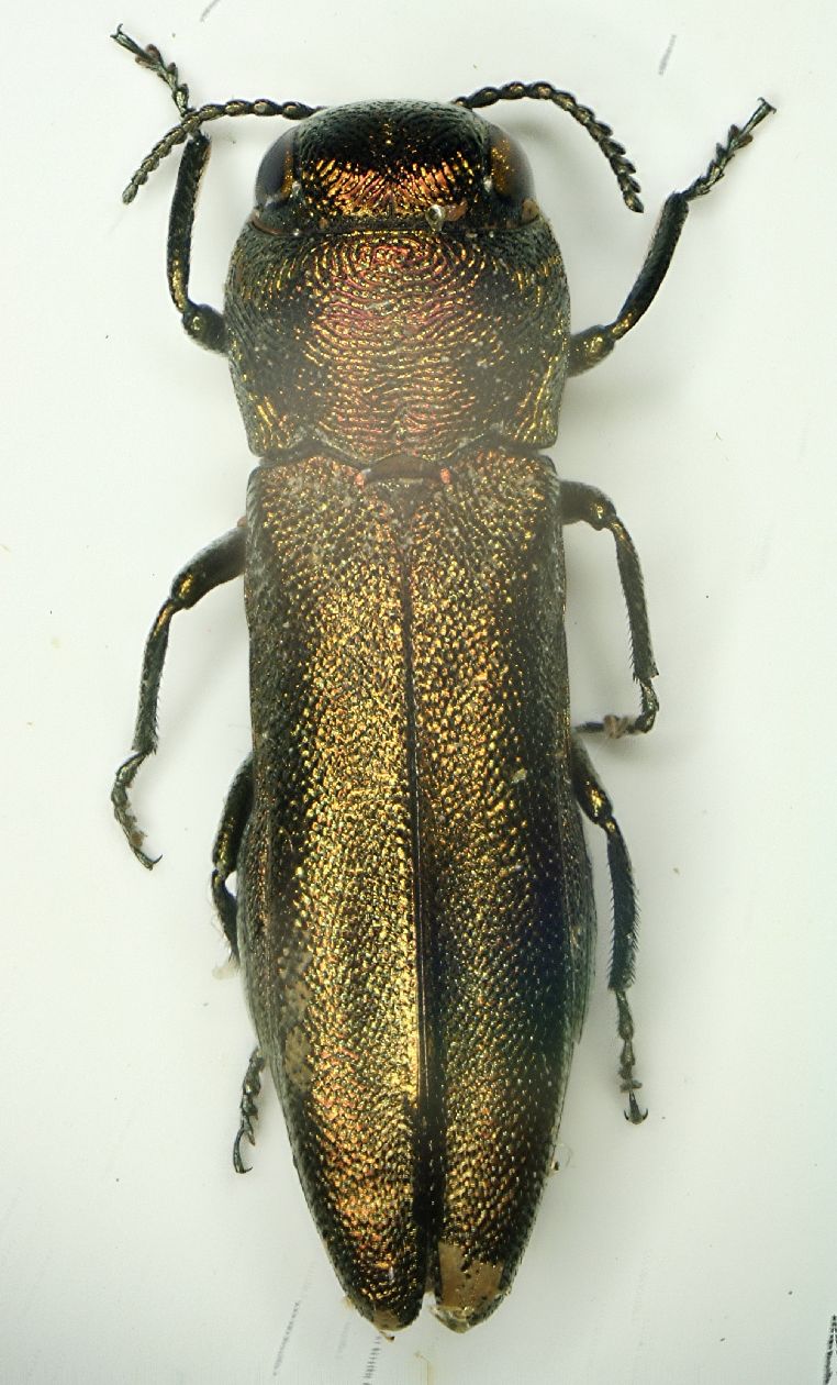
Agrilus (Anambus) angustulus angustulus (Illiger, 1803) cf.
Buprestidae


21.II.2013 - ITALIA - Veneto - VR
Coleoptera

AleP

13

3185

24/02/2013, 12:27

AleP Vedi ultimo messaggio

Nessun messaggio da leggere
Allegato(i)
Sphenoptera (Tropeopeltis) remota Jakovlev, 1902 - Buprestidae

30.VII.2012 - TOGO - EE
Coleoptera

Enrico Ruzzier

3

1162

21/02/2013, 0:07

Julodis Vedi ultimo messaggio

Nessun messaggio da leggere
Allegato(i)
Sphenoptera (Sphenoptera) tragacanthae (Klug, 1929) - Buprestidae
Buprestidae


19.V.1999 - AZERBAIJAN - EE
Coleoptera

Dominique

12

2836

16/02/2013, 11:02

Acmaeodera Vedi ultimo messaggio

Nessun messaggio da leggere
Buprestis (Ancylocheira) rustica rustica Linnaeus, 1758 - Buprestidae
11.VIII.2012 - ITALIA - Trentino-Alto Adige - TN
Allegato(i) Dettagli della specie
Buprestis (Ancylocheira) rustica rustica Linnaeus, 1758
Buprestidae


11.VIII.2012 - ITALIA - Trentino-Alto Adige - TN
Coleoptera

StagBeetle

4

1379

14/02/2013, 20:41

StagBeetle Vedi ultimo messaggio

Nessun messaggio da leggere
Trachys troglodytiformis Obenberger, 1918 - Buprestidae
21.IV.2012 - ITALIA - Marche - AP
Allegato(i) Dettagli della specie
Trachys troglodytiformis Obenberger, 1918
Buprestidae


21.IV.2012 - ITALIA - Marche - AP
Coleoptera

StagBeetle

3

1399

14/02/2013, 20:40

AdYRuicanescu Vedi ultimo messaggio

Nessun messaggio da leggere
Phaenops cyanea (Fabricius, 1775) - Buprestidae
VI.2012 - ITALIA - Marche - MC
Allegato(i) Dettagli della specie
Phaenops cyanea (Fabricius, 1775)
Buprestidae


VI.2012 - ITALIA - Marche - MC
Coleoptera

StagBeetle

12

2900

14/02/2013, 20:36

f.izzillo Vedi ultimo messaggio

Nessun messaggio da leggere
Allegato(i) Dettagli della specie
Anthaxia (Anthaxia) salicis salicis (Fabricius, 1777)
Buprestidae


19.V.2011 - TURCHIA - EE
Coleoptera

Fumea crassiorella

9

2797

14/02/2013, 17:44

Julodis Vedi ultimo messaggio

Nessun messaggio da leggere
Allegato(i)
Sphaerobothris (Hoggarobothris) aghababiani Volkovitsh & Kalashian, 1998
Buprestidae


21.VI.2012 - ARMENIA - EE
Coleoptera

Acmaeodera

2

1323

12/02/2013, 10:05

FORBIX Vedi ultimo messaggio

Nessun messaggio da leggere
Agrilus (Anambus) roscidus Kiesenwetter, 1857 - Buprestidae
22.V.2009 - ITALIA - Emilia-Romagna - BO
Allegato(i) Dettagli della specie
Agrilus (Anambus) roscidus Kiesenwetter, 1857
Buprestidae


22.V.2009 - ITALIA - Emilia-Romagna - BO
Coleoptera

Loriscola

3

1411

09/02/2013, 10:00

Autarcontes Vedi ultimo messaggio

Nessun messaggio da leggere
Agrilus (Agrilus) hyperici (Creutzer, 1799) - Buprestidae
14.VI.2009 - ITALIA - Emilia-Romagna - BO
Allegato(i) Dettagli della specie
Agrilus (Agrilus) hyperici (Creutzer, 1799)
Buprestidae


14.VI.2009 - ITALIA - Emilia-Romagna - BO
Coleoptera

Loriscola

3

1414

09/02/2013, 9:58

Autarcontes Vedi ultimo messaggio

Nessun messaggio da leggere
Allegato(i) Dettagli della specie
Anthaxia (Anthaxia) midas midas Kiesenwetter, 1857
Buprestidae

[ Vai alla paginaVai alla pagina: 1, 2 ]



2.V.2011 - GRECIA - EE
Coleoptera

f.izzillo

16

4409

31/01/2013, 15:22

Julodis Vedi ultimo messaggio

Nessun messaggio da leggere
Allegato(i) Dettagli della specie
Agrilus (Agrilus) viridis viridis (Linnaeus, 1758)
Buprestidae

[ Vai alla paginaVai alla pagina: 1, 2 ]



26.I.2013 - ITALIA - Abruzzo - AQ
Coleoptera

Alessio89

22

6257

30/01/2013, 11:45

Alessio89 Vedi ultimo messaggio

Nessun messaggio da leggere
Allegato(i)
Acmaeodera cisti Wollaston, 1862 - Buprestidae

20.I.2013 - SPAGNA - EE
Coleoptera

zdeno

3

1953

28/01/2013, 3:24

zdeno Vedi ultimo messaggio

Nessun messaggio da leggere
Allegato(i) Dettagli della specie
Cyphosoma euphraticum insulare (Kiesenwetter, 1858)
Buprestidae

[ Vai alla paginaVai alla pagina: 1, 2, 3, 4 ]



13.VII.1993 - GRECIA - EE
Coleoptera

f.izzillo

59

7917

20/01/2013, 11:49

f.izzillo Vedi ultimo messaggio

Nessun messaggio da leggere
Allegato(i) Dettagli della specie
Agrilus (Anambus) graminis graminis Kiesenwetter, 1857
Buprestidae


10.VII.2011 - ITALIA - Umbria - PG
Coleoptera

Notoxus59

8

2781

20/01/2013, 11:47

cosmln Vedi ultimo messaggio

Nessun messaggio da leggere
Allegato(i)
Acmaeodera (Acmaeotethya) kabateki Volkovitsh, 2012 - Buprestidae
Buprestidae


XII.2003 - YEMEN - EE
Coleoptera

Julodis

4

1577

11/01/2013, 18:35

Julodis Vedi ultimo messaggio

Nessun messaggio da leggere
Allegato(i)
Euchroma gigantea (Linnaeus, 1758) - Buprestidae
Buprestidae

[ Vai alla paginaVai alla pagina: 1, 2 ]



 
Coleoptera

Federico A.

22

3597

08/01/2013, 0:36

Julodis Vedi ultimo messaggio

Nessun messaggio da leggere
Allegato(i) Dettagli della specie
Meliboeus (Meliboeus) gibbicollis maddalenae Curletti & Magnani, 1987
Buprestidae


26.VI.1999 - ITALIA - Sardegna - CA
Coleoptera

f.izzillo

2

990

06/01/2013, 19:46

f.izzillo Vedi ultimo messaggio

Nessun messaggio da leggere
Allegato(i) Dettagli della specie
Chalcophorella (Rossiella) fabricii (P. Rossi, 1794)
Buprestidae


3.I.2013 - ITALIA - Lazio - RM
Coleoptera

elleelle

13

2609

06/01/2013, 18:23

f.izzillo Vedi ultimo messaggio

Nessun messaggio da leggere
Allegato(i) Dettagli della specie
Anthaxia (Anthaxia) senicula senicula (Schrank, 1789)
Buprestidae


1.V.2012 - ITALIA - Puglia - FG
Coleoptera

cosmln

2

1390

05/01/2013, 18:04

cosmln Vedi ultimo messaggio

Nessun messaggio da leggere
Allegato(i)
Agrilus litura Kiesenwetter, 1857 - Buprestidae

10.V.2005 - TURCHIA - EE
Coleoptera

Acmaeodera

7

1787

05/01/2013, 12:03

Acmaeodera Vedi ultimo messaggio

Nessun messaggio da leggere
Agrilus sp. - Buprestidae
16.VI.1988 - ARMENIA - EE
Allegato(i)
Agrilus sp. - Buprestidae

16.VI.1988 - ARMENIA - EE
Coleoptera

Acmaeodera

4

1607

04/01/2013, 23:18

Autarcontes Vedi ultimo messaggio

Nessun messaggio da leggere
Agrilus chlorophyllus Abeille de Perrin, 1904 - Buprestidae
5.VI.2005 - IRAN, REPUBBLICA ISLAMICA DELL' - EE
Allegato(i)
Agrilus chlorophyllus Abeille de Perrin, 1904 - Buprestidae
Buprestidae


5.VI.2005 - IRAN, REPUBBLICA ISLAMICA DELL' - EE
Coleoptera

Acmaeodera

2

1130

04/01/2013, 19:35

Acmaeodera Vedi ultimo messaggio

Nessun messaggio da leggere
Polybothris sulcicollis (Kerremans, 1903)
1987 - MADAGASCAR - EE
Allegato(i)
Polybothris sulcicollis (Kerremans, 1903)
Buprestidae


1987 - MADAGASCAR - EE
Coleoptera

Julodis

0

923

03/01/2013, 23:34

Julodis Vedi ultimo messaggio

Nessun messaggio da leggere
Acmaeodera ( Loepotethya ) ocellata Abeille de Perrin,1891 - Buprestidae
27.V.2009 - IRAN, REPUBBLICA ISLAMICA DELL' - EE
Allegato(i)
Acmaeodera ( Loepotethya ) ocellata Abeille de Perrin,1891 - Buprestidae
Buprestidae


27.V.2009 - IRAN, REPUBBLICA ISLAMICA DELL' - EE
Coleoptera

Acmaeodera

6

2146

03/01/2013, 23:25

f.izzillo Vedi ultimo messaggio

Nessun messaggio da leggere
Allegato(i) Dettagli della specie
Meliboeus (Meliboeus) graminis mammutones Curletti, 2001
Buprestidae


13.VI.1993 - ITALIA - Sardegna - CA
Coleoptera

f.izzillo

0

834

03/01/2013, 19:30

f.izzillo Vedi ultimo messaggio

Nessun messaggio da leggere
Allegato(i)
Polybothris (Coccinellopsis) coccinella (Laporte & Gory, 1837)
Buprestidae


I.1978 - MADAGASCAR - EE
Coleoptera

Julodis

8

2030

03/01/2013, 18:41

Julodis Vedi ultimo messaggio

Nessun messaggio da leggere
Allegato(i) Dettagli della specie
Agrilus (Agrilus) integerrimus (Ratzeburg, 1837)
Buprestidae


1.VIII.2009 - ITALIA - Veneto - VR
Coleoptera

Enrico Ruzzier

14

3511

03/01/2013, 18:28

Enrico Ruzzier Vedi ultimo messaggio

Nessun messaggio da leggere
Allegato(i)
Chalcophorella (Chalcophorella) stigmatica (Dalman, 1817) - Buprestidae
Buprestidae


7.V.2011 - TURCHIA - EE
Coleoptera

cosmln

9

2473

03/01/2013, 17:16

Sleepy Moose Vedi ultimo messaggio

Nessun messaggio da leggere
Anthaxia (Melanthaxia) masculina Bily, 1984
6.V.2011 - TURCHIA - EE
Allegato(i)
Anthaxia (Melanthaxia) masculina Bily, 1984
Buprestidae


6.V.2011 - TURCHIA - EE
Coleoptera

cosmln

5

1833

02/01/2013, 23:24

cosmln Vedi ultimo messaggio

Nessun messaggio da leggere
Allegato(i)
Agrilus (Agrilomorphus) fahrei Saunders 1871 - Buprestidae
Buprestidae


9.XII.2003 - SUD AFRICA - EE
Coleoptera

Acmaeodera

2

1596

31/12/2012, 21:52

Acmaeodera Vedi ultimo messaggio

Nessun messaggio da leggere
Allegato(i) Dettagli della specie
Agrilus (Anambus) angustulus angustulus (Illiger, 1803) cf.
Buprestidae


17.VI.2012 - ITALIA - Lazio - RM
Coleoptera

Broc

14

3603

31/12/2012, 11:48

Autarcontes Vedi ultimo messaggio

Nessun messaggio da leggere
Allegato(i) Dettagli della specie
Acmaeodera (Acmaeotethya) degener degener (Scopoli, 1763)
Buprestidae


13.VI.1986 - SLOVACCHIA - EE
Coleoptera

f.izzillo

3

1818

30/12/2012, 16:37

aphodius Vedi ultimo messaggio

Nessun messaggio da leggere
Allegato(i)
Phthyotis opacus (Curletti & Bellamy, 2005) - Buprestidae
Buprestidae


VI.1997 - CAMERUN - EE
Coleoptera

Autarcontes

3

1453

30/12/2012, 12:44

f.izzillo Vedi ultimo messaggio

Nessun messaggio da leggere
Allegato(i) Dettagli della specie
Acmaeoderella (Euacmaeoderella) perroti franzinii Curletti e Magnani, 1987
Buprestidae


10.VII.2012 - ITALIA - Basilicata - PZ
Coleoptera

f.izzillo

1

1601

30/12/2012, 9:36

Julodis Vedi ultimo messaggio

Nessun messaggio da leggere
Bellamyus fulgidus Curletti, 1997 - Buprestidae
VIII.1959 - CONGO, REPUBBLICA DEMOCRATICA DEL - EE
Allegato(i)
Bellamyus fulgidus Curletti, 1997 - Buprestidae

VIII.1959 - CONGO, REPUBBLICA DEMOCRATICA DEL - EE
Coleoptera

Autarcontes

9

2648

30/12/2012, 9:27

Julodis Vedi ultimo messaggio

Nessun messaggio da leggere
Allegato(i)
Agrilus (Diplolophotus) acroneus Obenberger 1942 (cf.) - Buprestidae

5.I.2007 - MADAGASCAR - EE
Coleoptera

Acmaeodera

4

1719

29/12/2012, 13:28

Acmaeodera Vedi ultimo messaggio

Nessun messaggio da leggere
Allegato(i)
Agrilaxia schmidti Obenberger, 1924 - Buprestidae

18.V.2004 - PANAMA - EE
Coleoptera

Autarcontes

3

1586

28/12/2012, 23:38

Julodis Vedi ultimo messaggio

Nessun messaggio da leggere
Allegato(i) Dettagli della specie
Acmaeodera (Palaeotethya) bipunctata romanoi Sparacio, 1992
Buprestidae

[ Vai alla paginaVai alla pagina: 1, 2 ]



11.V.1991 - ITALIA - Sicilia - TP
Coleoptera

f.izzillo

26

4854

28/12/2012, 12:15

f.izzillo Vedi ultimo messaggio

Nessun messaggio da leggere
Allegato(i)
Psiloptera nattereri Redtenbacher, 1868 - Buprestidae
Buprestidae


30.I.2005 - PARAGUAY - EE
Coleoptera

Julodis

0

964

28/12/2012, 0:46

Julodis Vedi ultimo messaggio

Nessun messaggio da leggere
Allegato(i)
Anthaxia (Anthaxia) muliebris Obenberger, 1918 - Buprestidae
Buprestidae


V.2011 - TURCHIA - EE
Coleoptera

Fumea crassiorella

5

927

27/12/2012, 21:48

Julodis Vedi ultimo messaggio

Nessun messaggio da leggere
Allegato(i)
Steraspis (Pissteras) aeruginosa Klug 1855 - Buprestidae
Buprestidae


I.2005 - ZAMBIA - EE
Coleoptera

Notoxus59

6

1150

27/12/2012, 14:45

Notoxus59 Vedi ultimo messaggio

Nessun messaggio da leggere
Allegato(i)
Psiloptera reichei (Laporte & Gory, 1836) - Buprestidae
Buprestidae


IV.1995 - BRASILE - EE
Coleoptera

Julodis

2

742

27/12/2012, 1:32

Julodis Vedi ultimo messaggio

Nessun messaggio da leggere
Allegato(i)
Chalcophora yunnana yunnana Fairmaire, 1888 - Buprestidae
Buprestidae


VI.1996 - THAILANDIA - EE
Coleoptera

Notoxus59

3

792

26/12/2012, 23:07

Notoxus59 Vedi ultimo messaggio

Nessun messaggio da leggere
Allegato(i)
Psiloptera rubromarginata Chevrolat, 1838 - Buprestidae
Buprestidae


13.XI.2004 - PARAGUAY - EE
Coleoptera

Julodis

0

828

26/12/2012, 15:03

Julodis Vedi ultimo messaggio

Nessun messaggio da leggere
Allegato(i)
Psiloptera equestris (Olivier, 1790) - Buprestidae
Buprestidae

[ Vai alla paginaVai alla pagina: 1, 2 ]



II.1985 - BRASILE - EE
Coleoptera

Notoxus59

15

2751

26/12/2012, 15:00

Autarcontes Vedi ultimo messaggio

Nessun messaggio da leggere
Iridotaenia (Iridotaenia) soror Kerremans, 1894
VI.2007 - INDONESIA - OVEST - EE
Allegato(i)
Iridotaenia (Iridotaenia) soror Kerremans, 1894
Buprestidae


VI.2007 - INDONESIA - OVEST - EE
Coleoptera

Julodis

0

659

26/12/2012, 1:01

Julodis Vedi ultimo messaggio

Nessun messaggio da leggere
Pseudhyperantha bloetei Théry, 1935 - Buprestidae
VI.2009 - INDONESIA - EST - EE
Allegato(i)
Pseudhyperantha bloetei Théry, 1935 - Buprestidae
Buprestidae


VI.2009 - INDONESIA - EST - EE
Coleoptera

Julodis

0

830

25/12/2012, 23:37

Julodis Vedi ultimo messaggio

Nessun messaggio da leggere
Allegato(i)
Psiloptera bicarinata (Thunberg, 1789) - Buprestidae
Buprestidae


II.1985 - BRASILE - EE
Coleoptera

Notoxus59

2

1266

25/12/2012, 22:50

Notoxus59 Vedi ultimo messaggio

Nessun messaggio da leggere
Allegato(i)
Paracupta (Gibbicupta) helopioides (Boisduval, 1835) - Buprestidae
Buprestidae


XII.2004 - ISOLE SALOMONE - EE
Coleoptera

Julodis

2

1452

25/12/2012, 17:00

cesare RBO Vedi ultimo messaggio

Visualizza ultimi argomenti:  Ordina per  Ordine:  
nuovo argomento
Vai alla pagina Precedente  1 ... 27, 28, 29, 30, 31, 32, 33 ... 60  Prossimo
Pagina 30 di 60 [ 2977 argomenti ]

Tutti gli orari sono UTC + 1 ora [ ora legale ]


Chi c’è in linea

Visitano il forum: Nessuno e 1 ospite


Legenda
Messaggi da leggere Messaggi da leggere Nessun messaggio da leggere Nessun messaggio da leggere Annuncio Annuncio
 
Specie indeterminata / discussione generica
Messaggi non letti [ Popolari ] Messaggi non letti [ Popolari ] Nessun messaggio da leggere [ Popolare ] Nessun messaggio da leggere [ Popolare ] Importante Importante
 
Specie determinata fino al genere o cf.
Messaggi non letti [ Bloccati ] Messaggi non letti [ Bloccati ] No messaggi non letti [ Bloccati ] No messaggi non letti [ Bloccati ] Argomento spostato Argomento spostato
 
Specie correttamente determinata
Permessi
Non puoi aprire nuovi argomenti
Non puoi rispondere negli argomenti
Non puoi modificare i tuoi messaggi
Non puoi cancellare i tuoi messaggi
Non puoi inviare allegati

Cerca per:
Vai a: