Benvenuto Ospite

Forum Entomologi Italiani

www.entomologiitaliani.net/forum
 
Oggi è 23/01/2026, 13:42

Tutti gli orari sono UTC + 1 ora [ ora legale ]

Cydnidae


[ AFROTROPICALE ] [ ANTARTICO ] [ AUSTRALASIANO ] [ NEARTICO ] [ NEOTROPICALE ] [ ORIENTALE ] [ PALEARTICO ]


nuovo argomento
Vai alla pagina Precedente  1, 2
Pagina 2 di 2 [ 100 argomenti ]
 Argomenti   Ordine   Autore   Risposte   Visite    Ultimo messaggio 
Annunci
Nessun messaggio da leggere
Allegato(i)
Incontri entomologici della Società Entomologica Italiana 2025-2026
 

Velvet Ant

0

19315

17/11/2025, 19:41

Velvet Ant Vedi ultimo messaggio

Nessun messaggio da leggere
Allegato(i)
Incontri entomologici telematici organizzati dalla Società Entomologica Italiana nel 2022 e nel 2023

[ Vai alla paginaVai alla pagina: 1, 2, 3 ]

 

Velvet Ant

44

1748465

03/03/2023, 15:55

Velvet Ant Vedi ultimo messaggio

Nessun messaggio da leggere  
Allegato(i)
Sondaggio sul declino dell'entomofauna in Italia

[ Vai alla paginaVai alla pagina: 1, 2, 3, 4 ]

 

Velvet Ant

52

2380293

22/10/2022, 19:18

Acquarius Vedi ultimo messaggio

Nessun messaggio da leggere  
Allegato(i)
Progetto: Bibliografia ragionata dei lavori entomologici nei quali sono citati reperti apparsi su FEI

[ Vai alla paginaVai alla pagina: 1, 2, 3 ]

 

Velvet Ant

33

1404740

06/07/2023, 18:31

Orotrechus Vedi ultimo messaggio

Nessun messaggio da leggere
Allegato(i)
Mimesi, il primo documentario cinematografico sull’entomologia in Italia: casting
 

mazzeip

1

1096297

28/02/2019, 20:26

mazzeip Vedi ultimo messaggio

Questo argomento è bloccato, non puoi modificare o inviare ulteriori messaggi.
Allegato(i)
ISTRUZIONI PUBBLICAZIONE NUOVI ARGOMENTI E FOTO

 
Altri Ordini di Insetti

Julodis

4

2897592

13/05/2015, 19:37

Julodis Vedi ultimo messaggio

Nessun messaggio da leggere
Allegato(i)
Limitatore giornaliero di messaggi, uno strumento utile e ormai indispensabile

[ Vai alla paginaVai alla pagina: 1 ... 14, 15, 16 ]

 

Velvet Ant

233

12650741

25/09/2014, 14:31

Inachis Vedi ultimo messaggio

Nessun messaggio da leggere  
NORME PER I COLLABORATORI DEL FORUM

 
 

Velvet Ant

0

639066

02/06/2011, 12:05

Velvet Ant Vedi ultimo messaggio

Nessun messaggio da leggere
Allegato(i)
NORME PER GLI UTENTI DEL FORUM

[ Vai alla paginaVai alla pagina: 1, 2, 3 ]



 
 

Velvet Ant

30

3519784

23/09/2014, 23:54

Maurizio Bollino Vedi ultimo messaggio

Nessun messaggio da leggere  
Lista degli utenti del "Forum entomologi italiani" per campi di interesse e specializzazione

 
Altri Ordini di Insetti

Velvet Ant

13

1028371

07/09/2023, 17:14

Roberto-07 Vedi ultimo messaggio

Argomenti
Nessun messaggio da leggere
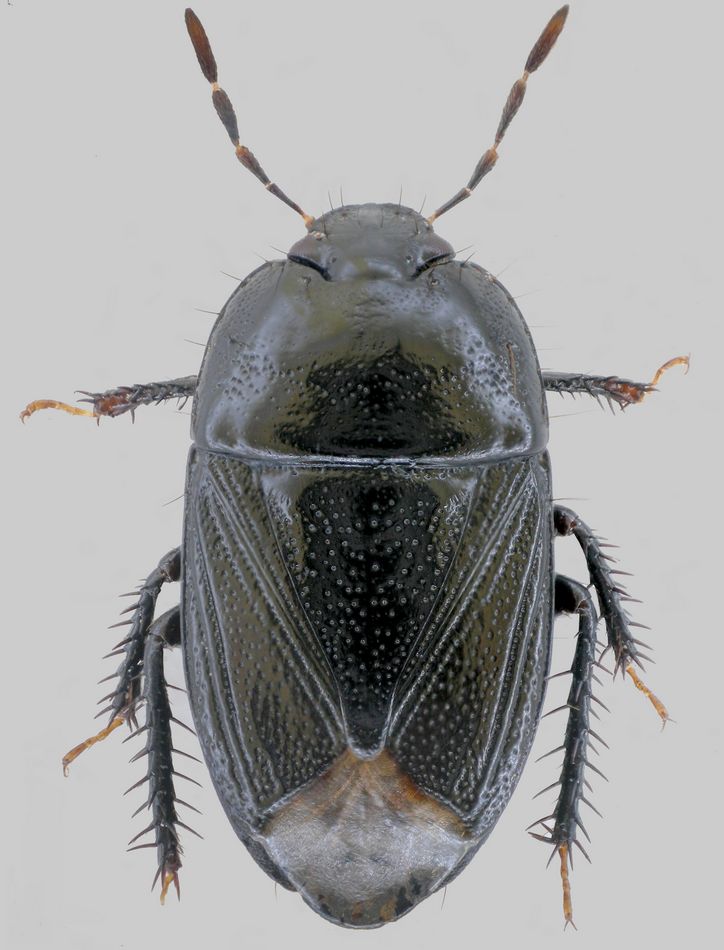
Crocistethus aeneus (Brullé, 1838) - Cydnidae
17.V.2010 - MAROCCO - EE
Allegato(i)
Crocistethus aeneus (Brullé, 1838) - Cydnidae

17.V.2010 - MAROCCO - EE
Hemiptera

Valerio

4

2691

15/01/2016, 23:09

Baris99 Vedi ultimo messaggio

Nessun messaggio da leggere
Macroscytus brunneus (Fabricius 1803) - Cydndae
19.VIII.2015 - CROAZIA - EE
Allegato(i)
Macroscytus brunneus (Fabricius 1803) - Cydndae

19.VIII.2015 - CROAZIA - EE
Hemiptera

GrzegorzG

3

2235

01/12/2015, 21:08

Baris99 Vedi ultimo messaggio

Nessun messaggio da leggere
Allegato(i)
Tritomegas sexmaculatus (Rambur, 1839) ninfa - Cydnidae

4.VIII.2015 - POLONIA - EE
Hemiptera

GrzegorzG

2

1901

20/10/2015, 13:22

GrzegorzG Vedi ultimo messaggio

Nessun messaggio da leggere
Cydnus aterrimus (Forster, 1771) - Cydnidae
31.V.2015 - ITALIA - Sicilia - SR
Allegato(i)
Cydnus aterrimus (Forster, 1771) - Cydnidae

31.V.2015 - ITALIA - Sicilia - SR
Hemiptera

Gregorio

4

2376

02/06/2015, 20:16

Gregorio Vedi ultimo messaggio

Nessun messaggio da leggere
Allegato(i)
Macroscytus brunneus (Fabricius, 1803) (cf.) - Cydnidae

2014 - ITALIA - Puglia - LE
Hemiptera

Frob

2

1961

25/05/2015, 7:43

Frob Vedi ultimo messaggio

Nessun messaggio da leggere
Canthophorus dubius (Scopoli, 1763) - Cydnidae
5.V.2015 - ITALIA - Lombardia - LC
Allegato(i)
Canthophorus dubius (Scopoli, 1763) - Cydnidae

5.V.2015 - ITALIA - Lombardia - LC
Hemiptera

etguarna

5

2366

07/05/2015, 22:14

etguarna Vedi ultimo messaggio

Nessun messaggio da leggere
Byrsinus sp. - Cydnide
29.III.2015 - MALTA - EE
Allegato(i)
Byrsinus sp. - Cydnide

29.III.2015 - MALTA - EE
Hemiptera

Palaemonetes

3

1700

01/05/2015, 15:48

Dioli Vedi ultimo messaggio

Nessun messaggio da leggere
Legnotus picipes (Fallen 1807) (cf.) - Cydnidae
25.IV.2015 - SLOVACCHIA - EE
Allegato(i)
Legnotus picipes (Fallen 1807) (cf.) - Cydnidae

25.IV.2015 - SLOVACCHIA - EE
Hemiptera

GrzegorzG

1

1359

30/04/2015, 15:17

Palaemonetes Vedi ultimo messaggio

Nessun messaggio da leggere
Byrsinus sp. - Cydnidae
17.VI.2012 - TURCHIA - EE
Allegato(i)
Byrsinus sp. - Cydnidae

17.VI.2012 - TURCHIA - EE
Hemiptera

Baris99

2

1778

01/11/2014, 14:58

Baris99 Vedi ultimo messaggio

Nessun messaggio da leggere
Thyreocoris scarabaeoides (Linnaeus, 1758) - Cydnidae
18.X.2014 - ITALIA - Umbria - TR
Allegato(i)
Thyreocoris scarabaeoides (Linnaeus, 1758) - Cydnidae

18.X.2014 - ITALIA - Umbria - TR
Hemiptera

FORBIX

2

1851

23/10/2014, 21:09

FORBIX Vedi ultimo messaggio

Nessun messaggio da leggere
Tritomegas bicolor (Linnaeus, 1758) - Cydnidae
7.III.2014 - SVIZZERA - EE
Allegato(i)
Tritomegas bicolor (Linnaeus, 1758) - Cydnidae

7.III.2014 - SVIZZERA - EE
Hemiptera

gio

2

1916

14/04/2014, 12:29

gio Vedi ultimo messaggio

Nessun messaggio da leggere
Mazara CTDA Marroccia
2.III.2014 - ITALIA - Sicilia - TP
Allegato(i)
Mazara CTDA Marroccia

2.III.2014 - ITALIA - Sicilia - TP
Coleoptera

Davide Castelli

5

2365

04/03/2014, 22:08

Lucanus tetraodon Vedi ultimo messaggio

Nessun messaggio da leggere
Cydnidae sp.
22.X.2013 - ITALIA - Toscana - GR
Allegato(i)
Cydnidae sp.

22.X.2013 - ITALIA - Toscana - GR
Hemiptera

pipine26

1

1548

14/12/2013, 13:22

elleelle Vedi ultimo messaggio

Nessun messaggio da leggere
Legnotus sp. - Cydnidae
6.V.2013 - GRECIA - EE
Allegato(i)
Legnotus sp. - Cydnidae

6.V.2013 - GRECIA - EE
Hemiptera

Mantispid

1

1520

29/07/2013, 18:31

Mantispid Vedi ultimo messaggio

Nessun messaggio da leggere
Canthophorus sp. - Cydnidae
20.VII.2013 - ITALIA - Sardegna - OT
Allegato(i)
Canthophorus sp. - Cydnidae

20.VII.2013 - ITALIA - Sardegna - OT
Hemiptera

Mauro

4

2778

20/07/2013, 18:54

Mauro Vedi ultimo messaggio

Nessun messaggio da leggere
Tritomegas sexmaculatus (Rambur, 1839) - Cydnidae
25.IV.2013 - ITALIA - Emilia-Romagna - BO
Allegato(i)
Tritomegas sexmaculatus (Rambur, 1839) - Cydnidae

25.IV.2013 - ITALIA - Emilia-Romagna - BO
Hemiptera

sarsar09

2

1965

03/05/2013, 9:09

sarsar09 Vedi ultimo messaggio

Nessun messaggio da leggere
Ochetostethus sp. - Cydnidae
23.IX.2012 - ITALIA - Lombardia - BS
Allegato(i)
Ochetostethus sp. - Cydnidae

23.IX.2012 - ITALIA - Lombardia - BS
Hemiptera

Livio

2

1558

23/02/2013, 14:40

Livio Vedi ultimo messaggio

Nessun messaggio da leggere
Canthophorus sp. - Cydnidae (neanidi)
21.V.2012 - ITALIA - Sicilia - EN
Allegato(i)
Canthophorus sp. - Cydnidae (neanidi)

21.V.2012 - ITALIA - Sicilia - EN
Hemiptera

skapc66

7

2527

14/12/2012, 14:16

skapc66 Vedi ultimo messaggio

Nessun messaggio da leggere
Allegato(i)
Canthophorus dubius (Scopoli, 1763) (cf.) - Cydnidae

26.V.2012 - SPAGNA - EE
Hemiptera

Isidro

3

1784

08/12/2012, 1:49

Maura Vedi ultimo messaggio

Nessun messaggio da leggere
Tritomegas bicolor (Linnaeus, 1758) neanide - Cydnidae
10.V.2012 - ITALIA - Veneto - PD
Allegato(i)
Tritomegas bicolor (Linnaeus, 1758) neanide - Cydnidae

10.V.2012 - ITALIA - Veneto - PD
Hemiptera

Mattia Miola

1

1360

26/09/2012, 22:38

Maura Vedi ultimo messaggio

Nessun messaggio da leggere
Allegato(i)
Geotomus (Geotomus) elongatus elongatus (Herrich-Schäffer, 1840) - Cydnidae Cydninae Geotomini

25.III.2012 - ITALIA - Lazio - RM
Hemiptera

soken

7

2485

24/09/2012, 14:22

soken Vedi ultimo messaggio

Nessun messaggio da leggere
Cydnus aterrimus (Forster 1771) - Cydnidae
6.VI.2012 - ITALIA - Sicilia - ME
Allegato(i)
Cydnus aterrimus (Forster 1771) - Cydnidae

6.VI.2012 - ITALIA - Sicilia - ME
Hemiptera

Lucanus tetraodon

3

2215

14/09/2012, 19:05

Lucanus tetraodon Vedi ultimo messaggio

Nessun messaggio da leggere
Cydnus aterrimus (Forster 1771) - Cydnidae
7.VII.2012 - ITALIA - Molise - IS
Allegato(i)
Cydnus aterrimus (Forster 1771) - Cydnidae

7.VII.2012 - ITALIA - Molise - IS
Hemiptera

Franco ROSSI

3

2296

02/08/2012, 10:58

Franco ROSSI Vedi ultimo messaggio

Nessun messaggio da leggere
Tritomegas rotundipennis (Dohrn, 1862) - Cydnidae
29.II.2012 - ITALIA - Lazio - RM
Allegato(i)
Tritomegas rotundipennis (Dohrn, 1862) - Cydnidae

29.II.2012 - ITALIA - Lazio - RM
Hemiptera

soken

3

1809

01/06/2012, 23:18

Seraph Vedi ultimo messaggio

Nessun messaggio da leggere
Tritomegas bicolor (Linnaeus, 1758) - Cydnidae
2.III.2012 - ITALIA - Veneto - RO
Allegato(i)
Tritomegas bicolor (Linnaeus, 1758) - Cydnidae

2.III.2012 - ITALIA - Veneto - RO
Hemiptera

Umbro

5

2190

28/03/2012, 0:29

Dioli Vedi ultimo messaggio

Nessun messaggio da leggere
Legnotus limbosus (Geoffroy, 1785) - Cydnidae
26.II.2012 - ITALIA - Veneto - RO
Allegato(i)
Legnotus limbosus (Geoffroy, 1785) - Cydnidae

26.II.2012 - ITALIA - Veneto - RO
Hemiptera

Umbro

1

1154

20/03/2012, 20:12

giuseppe55 Vedi ultimo messaggio

Nessun messaggio da leggere
Legnotus limbosus (Geoffroy, 1785) - Cydnidae
6.IV.2009 - ITALIA - Lombardia - BG
Allegato(i)
Legnotus limbosus (Geoffroy, 1785) - Cydnidae

6.IV.2009 - ITALIA - Lombardia - BG
Hemiptera

nicoletta

2

1561

11/10/2011, 22:55

nicoletta Vedi ultimo messaggio

Nessun messaggio da leggere
Canthophorus melanopterus cf. - Cydnidae
29.III.2011 - ITALIA - Sardegna - CA
Allegato(i)
Canthophorus melanopterus cf. - Cydnidae

29.III.2011 - ITALIA - Sardegna - CA
Hemiptera

PierFrancescoMurgia

3

1932

27/08/2011, 16:59

Dioli Vedi ultimo messaggio

Nessun messaggio da leggere
Tritomegas bicolor (Linnaeus, 1758) (cf.) - Cydnidae
29.V.2011 - ITALIA - Lombardia - MI
Allegato(i)
Tritomegas bicolor (Linnaeus, 1758) (cf.) - Cydnidae

29.V.2011 - ITALIA - Lombardia - MI
Hemiptera

Zazu1988

5

2384

09/06/2011, 12:34

clido Vedi ultimo messaggio

Nessun messaggio da leggere
Allegato(i)
Tritomegas sexmaculatus (Rambur 1839) - Cydnidae, Sehirinae, Sehirini

20.V.2011 - ITALIA - Sardegna - NU
Hemiptera

Palaemonetes

1

1368

22/05/2011, 18:29

giuseppe55 Vedi ultimo messaggio

Nessun messaggio da leggere
Tritomegas sexmaculatus (Rambur 1839)
6.III.2011 - ITALIA - Marche - PU
Allegato(i)
Tritomegas sexmaculatus (Rambur 1839)

6.III.2011 - ITALIA - Marche - PU
Hemiptera

marco paglialunga

0

980

09/03/2011, 0:08

marco paglialunga Vedi ultimo messaggio

Nessun messaggio da leggere
Canthophorus melanopterus (Herrich-Schaeffer 1835) Cydnidae
19.III.2009 - ITALIA - Sicilia - RG
Allegato(i)
Canthophorus melanopterus (Herrich-Schaeffer 1835) Cydnidae

19.III.2009 - ITALIA - Sicilia - RG
Hemiptera

soken

7

1937

06/02/2011, 15:20

FORBIX Vedi ultimo messaggio

Nessun messaggio da leggere
Geotomus brunnipennis Wagner, 1953 (cf.) - Cydnidae
30.XII.2010 - ITALIA - Toscana - LI
Allegato(i)
Geotomus brunnipennis Wagner, 1953 (cf.) - Cydnidae

30.XII.2010 - ITALIA - Toscana - LI
Hemiptera

FORBIX

5

1690

05/01/2011, 9:02

FORBIX Vedi ultimo messaggio

Nessun messaggio da leggere
Allegato(i)
Tritomegas sexmaculatus (Rambur, 1839) - Heteroptera Cydnidae - Basilicata (MT)

2.IX.2010 - ITALIA - Basilicata - MT
Hemiptera

Mimmo011

2

1268

02/09/2010, 23:41

Mimmo011 Vedi ultimo messaggio

Nessun messaggio da leggere
Allegato(i)
Cydnus aterrimus (Forster, 1771) - Hemiptera, Pentatomoidea, Cydnidae - (RM) Lazio

9.V.2010 - ITALIA - Lazio - RM
Hemiptera

soken

3

1350

23/08/2010, 11:08

soken Vedi ultimo messaggio

Nessun messaggio da leggere
Legnotus limbosus (Geoffroy, 1785) - Cydnidae - Sasso Marconi (BO)
IV.2010 - ITALIA - Emilia-Romagna - BO
Allegato(i)
Legnotus limbosus (Geoffroy, 1785) - Cydnidae - Sasso Marconi (BO)

IV.2010 - ITALIA - Emilia-Romagna - BO
Hemiptera

Loriscola

2

1211

19/04/2010, 8:10

Loriscola Vedi ultimo messaggio

Nessun messaggio da leggere
Ochetostethus sp. - Cydnidae - Sasso Marconi (BO)
IV.2010 - ITALIA - Emilia-Romagna - BO
Allegato(i)
Ochetostethus sp. - Cydnidae - Sasso Marconi (BO)

IV.2010 - ITALIA - Emilia-Romagna - BO
Hemiptera

Loriscola

1

1039

17/04/2010, 23:58

marsal Vedi ultimo messaggio

Nessun messaggio da leggere
Geotomus elongatus (Herrich-Schaeffer, 1840) - Cydnidae
11.IV.2010 - ITALIA - Emilia-Romagna - BO
Allegato(i)
Geotomus elongatus (Herrich-Schaeffer, 1840) - Cydnidae

11.IV.2010 - ITALIA - Emilia-Romagna - BO
Hemiptera

Notoxus59

4

1718

13/04/2010, 20:10

Notoxus59 Vedi ultimo messaggio

Nessun messaggio da leggere
Microporus nigrita (Fabricius 1794) - Cydnidae
V.1995 - ITALIA - Marche - PU
Allegato(i)
Microporus nigrita (Fabricius 1794) - Cydnidae

V.1995 - ITALIA - Marche - PU
Hemiptera

marco paglialunga

1

1011

18/02/2010, 19:39

eremicus Vedi ultimo messaggio

Nessun messaggio da leggere
Geotomus punctulatus (A. Costa, 1847) - Cydnidae - Sasso Marconi (BO)
22.I.2010 - ITALIA - Emilia-Romagna - BO
Allegato(i)
Geotomus punctulatus (A. Costa, 1847) - Cydnidae - Sasso Marconi (BO)

22.I.2010 - ITALIA - Emilia-Romagna - BO
Hemiptera

Loriscola

3

1170

28/01/2010, 22:45

Loriscola Vedi ultimo messaggio

Nessun messaggio da leggere
Allegato(i)
Ochetostethus cf. melonii Rizzotti Vlach, 2000 - Cydnidae. Sardegna

26.XI.2007 - ITALIA - Sardegna - NU
Hemiptera

Ranatra

1

884

29/10/2009, 20:47

eremicus Vedi ultimo messaggio

Nessun messaggio da leggere
Geotomus punctulatus (A. Costa, 1847) Cydnidae. Sardegna
24.VII.2007 - ITALIA - Sardegna - NU
Allegato(i)
Geotomus punctulatus (A. Costa, 1847) Cydnidae. Sardegna

24.VII.2007 - ITALIA - Sardegna - NU
Hemiptera

Ranatra

5

1412

27/08/2009, 17:06

Ranatra Vedi ultimo messaggio

Nessun messaggio da leggere
Cydnus aterrimus (Forster 1771), Cydnidae
24.III.1996 - ITALIA - Sardegna - CA
Allegato(i)
Cydnus aterrimus (Forster 1771), Cydnidae

24.III.1996 - ITALIA - Sardegna - CA
Hemiptera

Daniele Sechi

5

1540

27/08/2009, 17:00

eremicus Vedi ultimo messaggio

Nessun messaggio da leggere
Tritomegas bicolor (Linnaeus, 1758) (Cydnidae)
17.III.2009 - ITALIA - Emilia-Romagna - BO
Allegato(i)
Tritomegas bicolor (Linnaeus, 1758) (Cydnidae)

17.III.2009 - ITALIA - Emilia-Romagna - BO
Hemiptera

Loriscola

6

1942

15/04/2009, 16:48

clido Vedi ultimo messaggio

Nessun messaggio da leggere
Tritomegas bicolor (Linnaeus, 1758), Cydnidae, Romagna
29.IV.2006 - ITALIA - Emilia-Romagna - BO
Allegato(i)
Tritomegas bicolor (Linnaeus, 1758), Cydnidae, Romagna

29.IV.2006 - ITALIA - Emilia-Romagna - BO
Hemiptera

Notoxus59

3

1213

03/03/2009, 20:22

Notoxus59 Vedi ultimo messaggio

Nessun messaggio da leggere
Byrsinus cf. laticollis (Wagner, 1954) Cydnidae Sardegna
31.V.1991 - ITALIA - Sardegna - CA
Allegato(i)
Byrsinus cf. laticollis (Wagner, 1954) Cydnidae Sardegna

31.V.1991 - ITALIA - Sardegna - CA
Hemiptera

Daniele Sechi

0

765

11/02/2009, 17:20

Daniele Sechi Vedi ultimo messaggio

Nessun messaggio da leggere
Allegato(i)
Byrsinus cf. flavicornis (F., 1794) Cydnidae Portogallo

25.VII.1996 - PORTOGALLO - EE
Hemiptera

Daniele Sechi

0

940

11/02/2009, 17:18

Daniele Sechi Vedi ultimo messaggio

Nessun messaggio da leggere
Allegato(i)
Crocistethus cf. basalis (Fieber 1861), Cydnidae Tunisia

21.V.2004 - TUNISIA - EE
Hemiptera

Daniele Sechi

0

1015

11/02/2009, 17:12

Daniele Sechi Vedi ultimo messaggio

Nessun messaggio da leggere
Macroscytus brunneus (Fabricius 1803), Cydnidae Sardegna
6.VIII.1992 - ITALIA - Sardegna - NU
Allegato(i)
Macroscytus brunneus (Fabricius 1803), Cydnidae Sardegna

6.VIII.1992 - ITALIA - Sardegna - NU
Hemiptera

Daniele Sechi

0

925

11/02/2009, 17:10

Daniele Sechi Vedi ultimo messaggio

Nessun messaggio da leggere
Byrsinus albipennis (A. Costa 1853), Cydnidae Sardegna
24.III.1996 - ITALIA - Sardegna - CA
Allegato(i)
Byrsinus albipennis (A. Costa 1853), Cydnidae Sardegna

24.III.1996 - ITALIA - Sardegna - CA
Hemiptera

Daniele Sechi

0

711

08/02/2009, 22:23

Daniele Sechi Vedi ultimo messaggio

Visualizza ultimi argomenti:  Ordina per  Ordine:  
nuovo argomento
Vai alla pagina Precedente  1, 2
Pagina 2 di 2 [ 100 argomenti ]

Tutti gli orari sono UTC + 1 ora [ ora legale ]


Chi c’è in linea

Visitano il forum: Nessuno e 2 ospiti


Legenda
Messaggi da leggere Messaggi da leggere Nessun messaggio da leggere Nessun messaggio da leggere Annuncio Annuncio
 
Specie indeterminata / discussione generica
Messaggi non letti [ Popolari ] Messaggi non letti [ Popolari ] Nessun messaggio da leggere [ Popolare ] Nessun messaggio da leggere [ Popolare ] Importante Importante
 
Specie determinata fino al genere o cf.
Messaggi non letti [ Bloccati ] Messaggi non letti [ Bloccati ] No messaggi non letti [ Bloccati ] No messaggi non letti [ Bloccati ] Argomento spostato Argomento spostato
 
Specie correttamente determinata
Permessi
Non puoi aprire nuovi argomenti
Non puoi rispondere negli argomenti
Non puoi modificare i tuoi messaggi
Non puoi cancellare i tuoi messaggi
Non puoi inviare allegati

Cerca per:
Vai a:  
cron