Benvenuto Ospite

Forum Entomologi Italiani

www.entomologiitaliani.net/forum
 
Oggi è 28/02/2026, 13:37

Tutti gli orari sono UTC + 1 ora [ ora legale ]

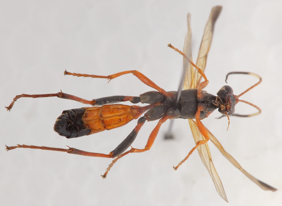
Ctenochares bicolorus (Linnaeus, 1767) - Ichneumonidae Ichneumoninae Ichneumonini - Toscana, Isola d'Elba



nuovo argomento
rispondi
Pagina 1 di 1 [ 4 messaggi ]
Autore Messaggio
MessaggioInviato: 01/10/2010, 19:23 
Avatar utente

Iscritto il: 17/02/2009, 0:05
Messaggi: 8524
Località: Isola d'Elba - Arcipelago Toscano
Nome: Leonardo Forbicioni
Portoferraio (LI) - 29.IX.2010 - Colle Reciso

Ichneumonidae??

da determinare18.JPG

da determinare19.JPG

da determinare20.JPG


_________________
"Stay hungry, stay foolish".
Steve Jobs, 2005
___________________
jjuniper8(at)gmail.com
Twitter: @weevil_forbix
cell. 339/5275910
___________________


Top
profilo
MessaggioInviato: 01/10/2010, 19:59 
Avatar utente

Iscritto il: 06/02/2009, 9:02
Messaggi: 1429
Località: Verona - Roma - Foggia e sporadicamente Padova
Nome: Filippo Di Giovanni
Ha tutta l'aria di Ctenochares bicolorus (Ichneumonidae Ichneumoninae). E' specie che va dall'Europa fino alla regione Afrotropicale e all'Australia-Nuova Zelanda, parassita di Nottuidi.

A presto, Pippo

_________________
"Non posso separare il piacere estetico che provo nel vedere una farfalla dal piacere scientifico di sapere che cosa è" (V.Nabokov)


Top
profilo
MessaggioInviato: 27/12/2010, 12:44 
 

Iscritto il: 16/12/2010, 13:19
Messaggi: 7
Località: Scandicci (FI)
Nome: Francesco Taschini
scusate la domanda che potrebbe sembrare blasfema...

ma ci sono differenze tra "Ctenochares bicolorus" e "Ctenochares instructor" o sono la stessa specie??

Grazie


Top
profilo
MessaggioInviato: 17/01/2011, 15:21 
Avatar utente

Iscritto il: 06/02/2009, 9:02
Messaggi: 1429
Località: Verona - Roma - Foggia e sporadicamente Padova
Nome: Filippo Di Giovanni
task ha scritto:
scusate la domanda che potrebbe sembrare blasfema...

ma ci sono differenze tra "Ctenochares bicolorus" e "Ctenochares instructor" o sono la stessa specie??

Grazie


Scusa se ti rispondo con ritardo. Ichneumon instructor Fabricius, 1793 è sinonimo di C.bicolorus (L.,1767).

A presto, Pippo

_________________
"Non posso separare il piacere estetico che provo nel vedere una farfalla dal piacere scientifico di sapere che cosa è" (V.Nabokov)


Top
profilo
Visualizza ultimi messaggi:  Ordina per  
nuovo argomento
rispondi
Pagina 1 di 1 [ 4 messaggi ]

Tutti gli orari sono UTC + 1 ora [ ora legale ]


Chi c’è in linea

Visitano il forum: Nessuno e 1 ospite


Non puoi aprire nuovi argomenti
Non puoi rispondere negli argomenti
Non puoi modificare i tuoi messaggi
Non puoi cancellare i tuoi messaggi
Non puoi inviare allegati

Cerca per:
Vai a: