Benvenuto Ospite

Forum Entomologi Italiani

www.entomologiitaliani.net/forum
 
Oggi è 27/04/2026, 13:02

Tutti gli orari sono UTC + 1 ora [ ora legale ]

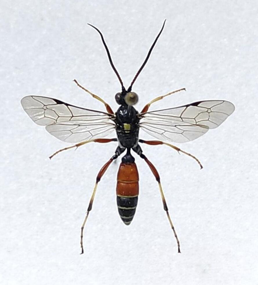
Ctenichneumon panzeri (Wesmael 1845) - Ichneumonidae Ichneumoninae Ichneumonini

5.IX.2025 - ITALIA - Toscana - PI, Laiano, vicino il fiume Serchio


nuovo argomento
rispondi
Pagina 1 di 1 [ 2 messaggi ]
Autore Messaggio
MessaggioInviato: 08/12/2025, 13:33 
Avatar utente

Iscritto il: 08/07/2022, 10:09
Messaggi: 399
Località: Lucca (LU)
Nome: Massimiliano Marchi
Buongiorno a tutti! :hi:

Ho difficoltà con questo maschio di Diphyus... dimensione: 13 mm

Qualcuno riesce ad aiutarmi...?

Grazie! :)
Max
C-D.jpg


Clipeo 2.jpg


Spazio malare.jpg


Labbro.jpg


Mandibole.jpg


Mesopleuron.jpg


Propodeum - Dorsale.jpg


T2.jpg


Tergiti.jpg


Femore posteriore.jpg



Top
profilo
 Oggetto del messaggio: Re: Diphyus sp. ? da identificare
MessaggioInviato: 09/12/2025, 23:48 
Avatar utente

Iscritto il: 08/07/2022, 10:09
Messaggi: 399
Località: Lucca (LU)
Nome: Massimiliano Marchi
Sono riuscito ad identificarlo: maschio di Ctenichneumon panzeri (Wesmael 1845) - Ichneumonidae Ichneumoninae Ichneumonini :ok:


Top
profilo
Visualizza ultimi messaggi:  Ordina per  
nuovo argomento
rispondi
Pagina 1 di 1 [ 2 messaggi ]

Tutti gli orari sono UTC + 1 ora [ ora legale ]


Chi c’è in linea

Visitano il forum: Nessuno e 1 ospite


Non puoi aprire nuovi argomenti
Non puoi rispondere negli argomenti
Non puoi modificare i tuoi messaggi
Non puoi cancellare i tuoi messaggi
Non puoi inviare allegati

Cerca per:
Vai a: