Benvenuto Ospite

Forum Entomologi Italiani

www.entomologiitaliani.net/forum
 
Oggi è 26/01/2026, 13:04

Tutti gli orari sono UTC + 1 ora [ ora legale ]

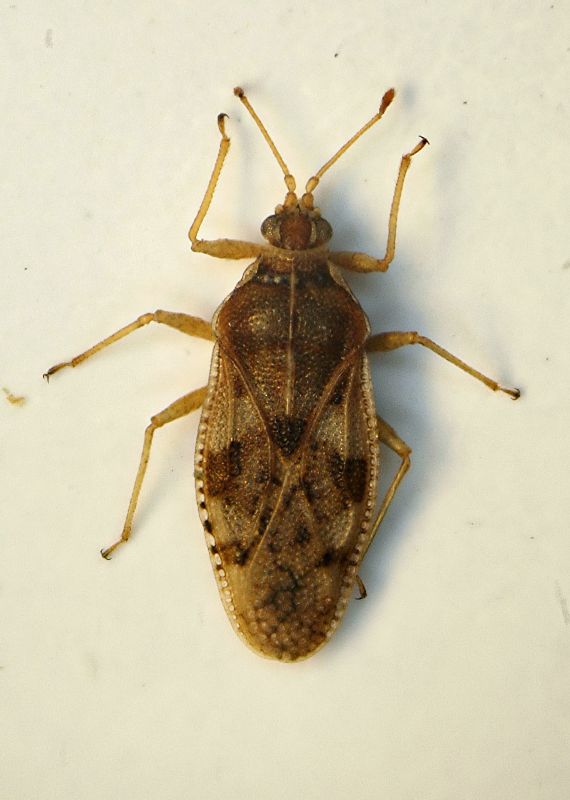
Monosteira unicostata (Mulsant & Rey, 1852) Tingidae

5.IV.2009 - ITALIA - Emilia-Romagna - BO, Sasso Marconi - Palazzo Rossi (Sfalcio)


nuovo argomento
rispondi
Pagina 1 di 1 [ 6 messaggi ]
Autore Messaggio
MessaggioInviato: 06/04/2009, 23:54 
Avatar utente

Iscritto il: 05/02/2009, 17:25
Messaggi: 4894
Località: Zola Predosa (BO)
Nome: Loris Colacurcio
Sasso Marconi (BO) - P.zzo Rossi - 05.IV.2009
a sfalcio

Loris

Heterottero sfalcio 05.jpg


_________________
Loris


Top
profilo
 Oggetto del messaggio: Re: Heterottero sfalcio
MessaggioInviato: 07/04/2009, 14:50 
Avatar utente

Iscritto il: 06/02/2009, 8:59
Messaggi: 305
Località: Sassari
Nome: Laura Loru
Beh, il pronoto e le emielitre ricoperte da un reticolo poligonale e la forma pentagonale del pronoto stesso che ricopre completamente lo scutello portano indubbiamente sulla strada dei tingidi.
Per quanto riguarda la specie ci devo pensare :? ma mi sà che stavolta faranno prima gli esperti :) .

Ciao Laura


Top
profilo
 Oggetto del messaggio: Re: Heterottero sfalcio
MessaggioInviato: 07/04/2009, 15:11 
Avatar utente

Iscritto il: 06/02/2009, 8:59
Messaggi: 305
Località: Sassari
Nome: Laura Loru
Pensandoci bene.......... e se fosse la Monosteira unicostata :) ?
Di sicuro le assomiglia parecchio!

Ciao Laura.

P.S. Comunque vada ringrazio Loris per avermi fatto fare un tuffo nei Tingidi :ok:


Top
profilo
 Oggetto del messaggio: Re: Heterottero sfalcio
MessaggioInviato: 07/04/2009, 23:25 
Avatar utente

Iscritto il: 06/02/2009, 9:15
Messaggi: 1468
Località: Vigevano PV
Nome: Danilo Mario Piccolino
Ranatra ha scritto:
Pensandoci bene.......... e se fosse la Monosteira unicostata :) ?
Di sicuro le assomiglia parecchio!

Ciao Laura.

P.S. Comunque vada ringrazio Loris per avermi fatto fare un tuffo nei Tingidi :ok:



Concordo in tutto con Laura anche per me è la Monosteira unicostata

:hi:

_________________
Danilo


Top
profilo
 Oggetto del messaggio: Re: Heterottero sfalcio
MessaggioInviato: 08/04/2009, 10:26 
Avatar utente

Iscritto il: 05/02/2009, 17:25
Messaggi: 4894
Località: Zola Predosa (BO)
Nome: Loris Colacurcio
Come sempre ringrazio e rassicuro Ranatra.....tranquilla posso tenerti in esercizio (su Tingidi ed heterotteri vari) senza alcuna fatica :lol:

Loris

_________________
Loris


Top
profilo
 Oggetto del messaggio: Re: Heterottero sfalcio
MessaggioInviato: 08/04/2009, 17:02 
Avatar utente

Iscritto il: 05/02/2009, 17:34
Messaggi: 894
Località: Sondrio - Lombardia - Italia
Nome: Paride Dioli
Confermo :)
Monosteira unicostata (Mulsant & Rey, 1852)

_________________
Link: https://www.ndsu.edu/pubweb/~rider/Pentatomoidea/Researchers/Dioli_Paride.htm
Papers in PDF format: https://www.researchgate.net/profile/Paride_Dioli/?ev=hdr_xprf/


Top
profilo
Visualizza ultimi messaggi:  Ordina per  
nuovo argomento
rispondi
Pagina 1 di 1 [ 6 messaggi ]

Tutti gli orari sono UTC + 1 ora [ ora legale ]


Chi c’è in linea

Visitano il forum: Nessuno e 1 ospite


Non puoi aprire nuovi argomenti
Non puoi rispondere negli argomenti
Non puoi modificare i tuoi messaggi
Non puoi cancellare i tuoi messaggi
Non puoi inviare allegati

Cerca per:
Vai a:  
cron