Benvenuto Ospite

Forum Entomologi Italiani

www.entomologiitaliani.net/forum
 
Oggi è 26/01/2026, 16:18

Tutti gli orari sono UTC + 1 ora [ ora legale ]

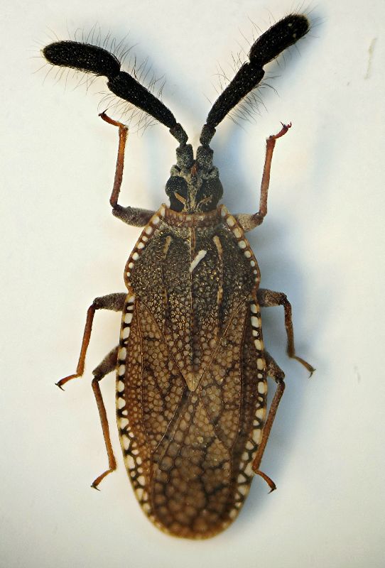
Copium clavicorne clavicorne (Linnaeus, 1758) Tingidae

5.IV.2009 - ITALIA - Emilia-Romagna - BO, Sasso Marconi - Palazzo Rossi (Sfalcio)


nuovo argomento
rispondi
Pagina 1 di 1 [ 5 messaggi ]
Autore Messaggio
MessaggioInviato: 06/04/2009, 23:52 
Avatar utente

Iscritto il: 05/02/2009, 17:25
Messaggi: 4894
Località: Zola Predosa (BO)
Nome: Loris Colacurcio
Sasso Marconi (BO) - P.zzo Rossi - 05.IV.2009

A sfalcio ...e non si può dire che non abbia delle antenne importanti !! :no1:

Loris

Heterottero sfalcio 02.jpg


_________________
Loris


Top
profilo
 Oggetto del messaggio: Re: Heterottero con ANTENNE !
MessaggioInviato: 07/04/2009, 12:14 
Avatar utente

Iscritto il: 06/02/2009, 8:59
Messaggi: 305
Località: Sassari
Nome: Laura Loru
Beh, il pronoto e le emielitre ricoperte da un reticolo poligonale, la forma pentagonale del pronoto stesso ed il fatto che copra completamente lo scutello portano indubbiamente sulla strada dei tingidi. La maggior parte delle specie di questa famiglia ha senza dubbio antenne meno importanti! Ora dò un'occhiata alla Faune de France e, a meno che un esperto non bazzicchi sul forum nel frattempo riconoscendolo al volo :lol: , proverò a dire la mia :D !

Ciao Laura


Top
profilo
 Oggetto del messaggio: Re: Heterottero con ANTENNE !
MessaggioInviato: 07/04/2009, 13:08 
Avatar utente

Iscritto il: 06/02/2009, 8:59
Messaggi: 305
Località: Sassari
Nome: Laura Loru
Allora, ci sono, dovrebbe trattarsi di Copium clavicorne clavicorne!
Lascio ovviamente agli esperti l'ultima parola, specialmente per la sottospecie!

Ciao Laura


Top
profilo
 Oggetto del messaggio: Re: Heterottero con ANTENNE !
MessaggioInviato: 07/04/2009, 13:49 
Avatar utente

Iscritto il: 05/02/2009, 17:25
Messaggi: 4894
Località: Zola Predosa (BO)
Nome: Loris Colacurcio
Grazie !! :hp:

In effetti è molto rassomigliante.....a questo:
http://www.koleopterologie.de/heteropte ... nther.html

Loris

_________________
Loris


Top
profilo
 Oggetto del messaggio: Re: Heterottero con ANTENNE !
MessaggioInviato: 08/04/2009, 14:17 
Avatar utente

Iscritto il: 05/02/2009, 17:34
Messaggi: 894
Località: Sondrio - Lombardia - Italia
Nome: Paride Dioli
Confermo: Copium clavicorne clavicorne (Linnaeus, 1758)
Copium clavicorne siculum Tamanini, 1974 è solo nell'isola.

_________________
Link: https://www.ndsu.edu/pubweb/~rider/Pentatomoidea/Researchers/Dioli_Paride.htm
Papers in PDF format: https://www.researchgate.net/profile/Paride_Dioli/?ev=hdr_xprf/


Top
profilo
Visualizza ultimi messaggi:  Ordina per  
nuovo argomento
rispondi
Pagina 1 di 1 [ 5 messaggi ]

Tutti gli orari sono UTC + 1 ora [ ora legale ]


Chi c’è in linea

Visitano il forum: Nessuno e 1 ospite


Non puoi aprire nuovi argomenti
Non puoi rispondere negli argomenti
Non puoi modificare i tuoi messaggi
Non puoi cancellare i tuoi messaggi
Non puoi inviare allegati

Cerca per:
Vai a: