Benvenuto Ospite

Forum Entomologi Italiani

www.entomologiitaliani.net/forum
 
Oggi è 30/11/2025, 14:55

Tutti gli orari sono UTC + 1 ora [ ora legale ]

Euthystira brachyptera brachyptera (Ocskay, 1826) - Acrididae Gomphocerinae

13.IX.2015 - ITALIA - Friuli-Venezia Giulia - PN, dint. di Claut, 540 m


nuovo argomento
rispondi
Pagina 1 di 1 [ 3 messaggi ]
Autore Messaggio
MessaggioInviato: 17/10/2015, 13:10 
 

Iscritto il: 08/12/2013, 1:52
Messaggi: 7574
Località: Bagnacavallo (RA)
Nome: Giorgio Pezzi
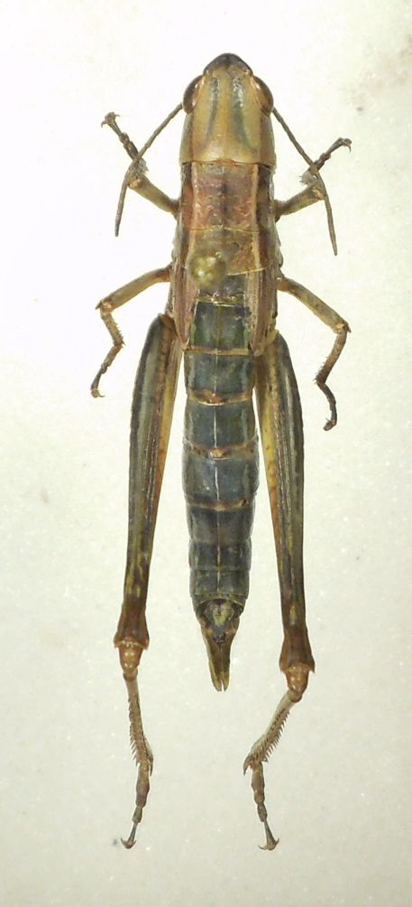
Questo celifero mi lascia perplesso poichè le tegmine anche nel vivo erano color verde tenue, come il corpo visto dall'alto. Si può riconoscere? Corpo di mm 25. Raccolto su prato aperto. Grazie. :hi:
DSCF2062.JPG



DSCF2061.JPG

Top
profilo
 Oggetto del messaggio: Re: Cavalletta da ID.
MessaggioInviato: 17/10/2015, 13:17 
Avatar utente

Iscritto il: 19/06/2012, 14:35
Messaggi: 5647
Località: Alfonsine (RA)
Nome: Marco Villani
Femmina di Euthystira brachyptera, ossia un Gomphocerino (come Omocestus, Chorthippus e simili) e non un Podismino.
:hi:


Top
profilo
 Oggetto del messaggio: Re: Cavalletta da ID.
MessaggioInviato: 17/10/2015, 20:26 
 

Iscritto il: 08/12/2013, 1:52
Messaggi: 7574
Località: Bagnacavallo (RA)
Nome: Giorgio Pezzi
Grazie. Ecco perchè i conti non tornavano. Ci vediamo domani.
:hi:


Top
profilo
Visualizza ultimi messaggi:  Ordina per  
nuovo argomento
rispondi
Pagina 1 di 1 [ 3 messaggi ]

Tutti gli orari sono UTC + 1 ora [ ora legale ]


Chi c’è in linea

Visitano il forum: Nessuno e 2 ospiti


Non puoi aprire nuovi argomenti
Non puoi rispondere negli argomenti
Non puoi modificare i tuoi messaggi
Non puoi cancellare i tuoi messaggi
Non puoi inviare allegati

Cerca per:
Vai a: