Benvenuto Ospite

Forum Entomologi Italiani

www.entomologiitaliani.net/forum
 
Oggi è 30/11/2025, 14:31

Tutti gli orari sono UTC + 1 ora [ ora legale ]

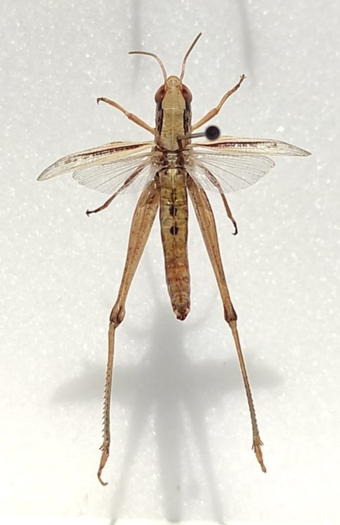
Euchorthippus declivus (Brisout de Barneville, 1848) - Acrididae

28.VII.2022 - ITALIA - Toscana - LU, Lammari (LU), 15m s.l.m., campo fiorito, giornata di sole, mattino


nuovo argomento
rispondi
Pagina 1 di 1 [ 5 messaggi ]
Autore Messaggio
MessaggioInviato: 07/08/2022, 22:16 
Avatar utente

Iscritto il: 08/07/2022, 10:09
Messaggi: 380
Località: Lucca (LU)
Nome: Massimiliano Marchi
Ed ecco la seconda! :lol:

Anche qui stessa storia dell'esemplare presentato poco prima (per chi lo volesse osservare e magari aiutarmi nell'identificazione :) questo è il link http://www.entomologiitaliani.net/public/forum/phpBB3/viewtopic.php?f=11&t=99968)...

Ordine: Orthoptera --> Famiglia: Acrididae --> Genere: ... il nulla cosmico... :cry: :cry: :cry:

Grazie mille a chiunque spenderà anche solo qualche secondo per aiutarmi! ;)
Max

Schermata 2022-08-07 a 22.11.51.jpg


Schermata 2022-08-07 a 22.12.16.jpg


Schermata 2022-08-07 a 22.11.58.jpg


Schermata 2022-08-07 a 22.13.57.jpg


Schermata 2022-08-07 a 22.15.10.jpg



Top
profilo
MessaggioInviato: 08/08/2022, 8:24 
Avatar utente

Iscritto il: 19/06/2012, 14:35
Messaggi: 5647
Località: Alfonsine (RA)
Nome: Marco Villani
Euchorthippus declivus ;)
:hi:


Top
profilo
MessaggioInviato: 08/08/2022, 15:02 
Avatar utente

Iscritto il: 08/07/2022, 10:09
Messaggi: 380
Località: Lucca (LU)
Nome: Massimiliano Marchi
marco villa ha scritto:
Euchorthippus declivus ;)
:hi:
Grazie n°2 a te, Marco! :ok: :ok: :ok:

La domanda è: c'è un testo che mi consigli per l'identificazione delle cavallette? Cioè immagino che ce ne siano molti ma me ne potresti consigliare uno o un paio, secondo te indispensabili? Magari con chiavi per la differenziazione del genere? Ne esistono? :?

Scusa le tante domande ma vorrei veramente imparare a riconoscerle e studiare i vari tratti caratteristici...anche se so che ci vorrà mooooolto tempo ed esperienza, magari con un testo di appoggio potrei migliorare più rapidamente :)

Grazie mille ancora per il tempo che mi hai dedicato! :hi:
Max


Top
profilo
MessaggioInviato: 10/08/2022, 12:54 
Avatar utente

Iscritto il: 19/06/2012, 14:35
Messaggi: 5647
Località: Alfonsine (RA)
Nome: Marco Villani
Ciao :)
Ti consiglio il Fauna d'Italia sugli Orthoptera. Include anche le chiavi e le tavole fotografiche. Per chi inizia ad interessarsi agli ortotteri è un testo imprescindibile ;)
:hi:


Top
profilo
MessaggioInviato: 10/08/2022, 13:59 
Avatar utente

Iscritto il: 08/07/2022, 10:09
Messaggi: 380
Località: Lucca (LU)
Nome: Massimiliano Marchi
marco villa ha scritto:
Ti consiglio il Fauna d'Italia sugli Orthoptera. Include anche le chiavi e le tavole fotografiche. Per chi inizia ad interessarsi agli ortotteri è un testo imprescindibile ;)

Ciao Marco e grazie mille per il tuo consiglio! :ok:
Ho visto che online costa più o meno 50€... te sai se ne esiste anche un pdf?
Se hai bisogno, posso scriverti in privato la mia mail o il mio numero di telefono...fammi sapere! ;)

Grazie ancora! :hi:
Max


Top
profilo
Visualizza ultimi messaggi:  Ordina per  
nuovo argomento
rispondi
Pagina 1 di 1 [ 5 messaggi ]

Tutti gli orari sono UTC + 1 ora [ ora legale ]


Chi c’è in linea

Visitano il forum: Nessuno e 1 ospite


Non puoi aprire nuovi argomenti
Non puoi rispondere negli argomenti
Non puoi modificare i tuoi messaggi
Non puoi cancellare i tuoi messaggi
Non puoi inviare allegati

Cerca per:
Vai a: