Benvenuto Ospite

Forum Entomologi Italiani

www.entomologiitaliani.net/forum
 
Oggi è 29/04/2026, 12:16

Tutti gli orari sono UTC + 1 ora [ ora legale ]

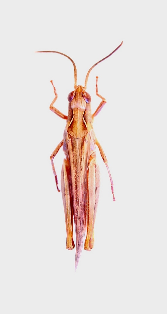
Chorthippus (Glyptobothrus) brunneus brunneus (Thunberg, 1815) - Acrididae Gomphocerinae

4.V.2013 - ITALIA - Sardegna - OT, isola di Tavolara, leg. R. Rattu


nuovo argomento
rispondi
Pagina 1 di 1 [ 2 messaggi ]
Autore Messaggio
MessaggioInviato: 01/08/2013, 15:23 
Avatar utente

Iscritto il: 02/09/2009, 20:57
Messaggi: 8703
Località: Cagliari
Nome: Roberto Rattu
Uno dei pochi ortotteri raccolti nell'isola di Tavolara; questo acridide misura circa 20 mm. Chorthippus?

DSC_9262.JPG



DSC_9268.JPG



Top
profilo
 Oggetto del messaggio: Re: Ortottero da id. 1
MessaggioInviato: 27/09/2017, 22:03 
Avatar utente

Iscritto il: 19/06/2012, 14:35
Messaggi: 5667
Località: Alfonsine (RA)
Nome: Marco Villani
Ciao Roberto, hai visto giusto: Chorthippus (Glyptobothrus) brunneus brunneus (Thunberg, 1815).
Marco.


Top
profilo
Visualizza ultimi messaggi:  Ordina per  
nuovo argomento
rispondi
Pagina 1 di 1 [ 2 messaggi ]

Tutti gli orari sono UTC + 1 ora [ ora legale ]


Chi c’è in linea

Visitano il forum: Nessuno e 7 ospiti


Non puoi aprire nuovi argomenti
Non puoi rispondere negli argomenti
Non puoi modificare i tuoi messaggi
Non puoi cancellare i tuoi messaggi
Non puoi inviare allegati

Cerca per:
Vai a: