Forum Entomologi Italiani
https://www.entomologiitaliani.net/public/forum/phpbb3/

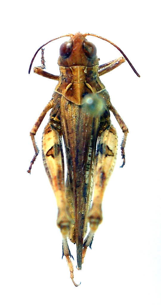
Dociostaurus (Kazakia) jagoi occidentalis Soltani, 1978 - Acrididae Gomphocerinae
https://www.entomologiitaliani.net/public/forum/phpbb3/viewtopic.php?f=119&t=64722
Pagina 1 di 1

Autore:  Tenebrio [ 13/10/2015, 23:18 ]
Oggetto del messaggio:  Dociostaurus (Kazakia) jagoi occidentalis Soltani, 1978 - Acrididae Gomphocerinae

Un altro ortottero, credo possa essere un Dociostaurus.

Lunghezza 19 mm

Ortottero 5a.jpg


Ortottero 5b.jpg


Ortottero 5c.jpg



:) Ciao
Piero

Autore:  marco villa [ 14/10/2015, 15:41 ]
Oggetto del messaggio:  Re: Ortottero 4 - Dociostaurus?

Dociostaurus (Kazakia) jagoi occidentalis Soltani, 1978
:hi:

Autore:  Tenebrio [ 14/10/2015, 21:51 ]
Oggetto del messaggio:  Re: Ortottero 4 - Dociostaurus?

Grazie! Genere e specie nuovi per il forum :birra:

:) Ciao
Piero

Autore:  marco villa [ 14/10/2015, 21:53 ]
Oggetto del messaggio:  Re: Ortottero 4 - Dociostaurus?

:ok:
In effetti sul forum mancano un sacco di specie, anche comuni (non che D. jagoi sia comune...).

Pagina 1 di 1 Tutti gli orari sono UTC + 1 ora [ ora legale ]
Powered by phpBB® Forum Software © phpBB Group
http://www.phpbb.com/