Benvenuto Ospite

Forum Entomologi Italiani

www.entomologiitaliani.net/forum
 
Oggi è 25/01/2026, 17:00

Tutti gli orari sono UTC + 1 ora [ ora legale ]

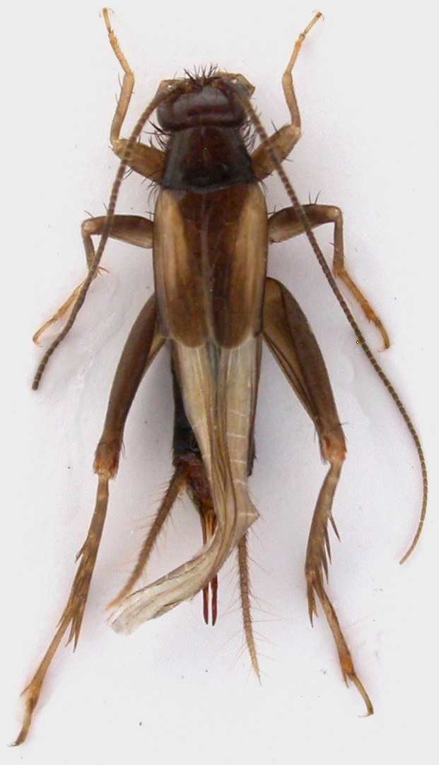
Stenonemobius gracilis (Jakovleff, 1871) - Gryllidae

11.VIII.2018 - ITALIA - Sardegna - CA, Saline di Cagliari, R. Rattu leg.


nuovo argomento
rispondi
Pagina 1 di 1 [ 1 messaggio ]
Autore Messaggio
MessaggioInviato: 14/08/2018, 17:07 
Avatar utente

Iscritto il: 02/09/2009, 20:57
Messaggi: 8703
Località: Cagliari
Nome: Roberto Rattu
Un piccolo e interessante ortottero poco comune, frutto di recenti cacce al lume: Stenonemobius gracilis. L'esemplare misura 6 mm:

DSCN3817.JPG



Top
profilo
Visualizza ultimi messaggi:  Ordina per  
nuovo argomento
rispondi
Pagina 1 di 1 [ 1 messaggio ]

Tutti gli orari sono UTC + 1 ora [ ora legale ]


Chi c’è in linea

Visitano il forum: Nessuno e 1 ospite


Non puoi aprire nuovi argomenti
Non puoi rispondere negli argomenti
Non puoi modificare i tuoi messaggi
Non puoi cancellare i tuoi messaggi
Non puoi inviare allegati

Cerca per:
Vai a: