Benvenuto Ospite

Forum Entomologi Italiani

www.entomologiitaliani.net/forum
 
Oggi è 19/11/2025, 14:00

Tutti gli orari sono UTC + 1 ora [ ora legale ]

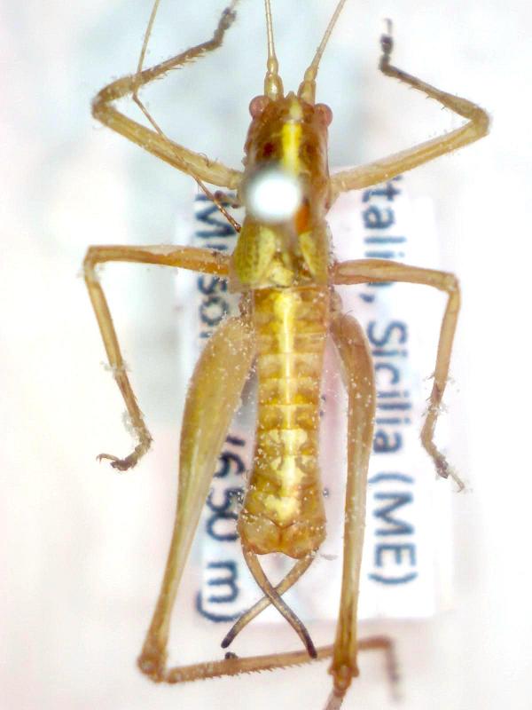
Meconema meridionale A. Costa 1860 - Tettigoniidae Meconematinae

8.IX.2012 - ITALIA - Sicilia - ME, Monti Peloritani, Musolino (c. 650 m s.l.m.)


nuovo argomento
rispondi
Pagina 1 di 1 [ 3 messaggi ]
Autore Messaggio
MessaggioInviato: 15/03/2013, 21:08 
Avatar utente

Iscritto il: 30/12/2010, 11:51
Messaggi: 4548
Località: San Giovanni Valdarno (AR)
Nome: Giovanni Altadonna
Ortottero da Musolino, sotto pietra.

Sicilia (ME), Monti Peloritani, Musolino (c. 650 m s.l.m.), 8/IX/2012, G. Altadonna legit.

Dimensioni: 12 mm

12 mm.jpg


_________________
"L' uomo che è cieco alle bellezze della natura ha perduto metà del piacere di vivere"
Sir Robert Baden Powell

Giovanni Altadonna


Top
profilo
 Oggetto del messaggio: Re: Ortottero da ID
MessaggioInviato: 15/03/2013, 22:51 
Avatar utente

Iscritto il: 28/04/2010, 23:44
Messaggi: 2107
Località: Roma
Nome: Valerio Viglioglia
Sotto pietra ??????
e come c'è finito, questi vivono sulle chiome degli alberi !

Meconema meridionale A. Costa 1860 (Meconematidae)

_________________
Valerio V


Top
profilo
 Oggetto del messaggio: Re: Ortottero da ID
MessaggioInviato: 16/03/2013, 20:23 
Avatar utente

Iscritto il: 30/12/2010, 11:51
Messaggi: 4548
Località: San Giovanni Valdarno (AR)
Nome: Giovanni Altadonna
Grazie Valerio. :birra: Il dato è corretto, l' ho scritto anche sul cartellino.

_________________
"L' uomo che è cieco alle bellezze della natura ha perduto metà del piacere di vivere"
Sir Robert Baden Powell

Giovanni Altadonna


Top
profilo
Visualizza ultimi messaggi:  Ordina per  
nuovo argomento
rispondi
Pagina 1 di 1 [ 3 messaggi ]

Tutti gli orari sono UTC + 1 ora [ ora legale ]


Chi c’è in linea

Visitano il forum: Nessuno e 11 ospiti


Non puoi aprire nuovi argomenti
Non puoi rispondere negli argomenti
Non puoi modificare i tuoi messaggi
Non puoi cancellare i tuoi messaggi
Non puoi inviare allegati

Cerca per:
Vai a: