Forum Entomologi Italiani
https://www.entomologiitaliani.net/public/forum/phpbb3/

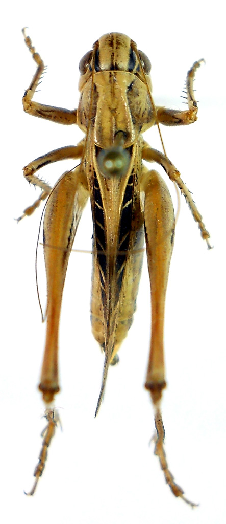
Tessellana tessellata tessellata (Charpentier, 1825) - Tettigoniidae Tettigoniinae
https://www.entomologiitaliani.net/public/forum/phpbb3/viewtopic.php?f=122&t=64653
Pagina 1 di 1

Autore:  Tenebrio [ 10/10/2015, 23:26 ]
Oggetto del messaggio:  Tessellana tessellata tessellata (Charpentier, 1825) - Tettigoniidae Tettigoniinae

Tra il materiale raccolto da mio figlio durante il suo soggiorno lavorativo in Gallura.
Un altro Ortottero in attesa d'identificazione.

Lunghezza 19 mm
Ortottero a_02.jpg



Ortottero a_03.jpg



:) Ciao
Piero

Autore:  marco villa [ 11/10/2015, 9:33 ]
Oggetto del messaggio:  Re: Ortottero 2

Platycleidino tipo Sardoplatycleis, Tessellana, etc...
Più tardi ci guardo meglio.
:hi:

Autore:  marco villa [ 11/10/2015, 10:40 ]
Oggetto del messaggio:  Re: Ortottero 2

Tessellana tessellata femmina ;)
:hi:

Autore:  Tenebrio [ 11/10/2015, 11:16 ]
Oggetto del messaggio:  Re: Ortottero 2

marco villa ha scritto:
Platycleidino tipo Sardoplatycleis, Tessellana, etc...
Più tardi ci guardo meglio.
marco villa ha scritto:
Tessellana tessellata femmina ;)
Grazie. Dopo la tua ipotesi di questa mattina avevo verificato con Fauna d'Italia ed ero arrivato anch'io a tessellata (Charpentier 1825).

:) Ciao
Piero

Pagina 1 di 1 Tutti gli orari sono UTC + 1 ora [ ora legale ]
Powered by phpBB® Forum Software © phpBB Group
http://www.phpbb.com/