Benvenuto Ospite

Forum Entomologi Italiani

www.entomologiitaliani.net/forum
 
Oggi è 23/11/2025, 5:59

Tutti gli orari sono UTC + 1 ora [ ora legale ]

Sceliphron caementarium (Drury, 1770) - Sphecidae - Toscana, Isola d'Elba

23.VI.2010 - ITALIA - Toscana - LI, Capoliveri


nuovo argomento
rispondi
Pagina 1 di 1 [ 5 messaggi ]
Autore Messaggio
MessaggioInviato: 26/06/2010, 17:22 
Avatar utente

Iscritto il: 17/02/2009, 0:05
Messaggi: 8521
Località: Isola d'Elba - Arcipelago Toscano
Nome: Leonardo Forbicioni
Capoliveri (LI) - 23.VI.2010
Ovvio che non sarà lui....


Sceliphron caementarium0.JPG


_________________
"Stay hungry, stay foolish".
Steve Jobs, 2005
___________________
jjuniper8(at)gmail.com
Twitter: @weevil_forbix
cell. 339/5275910
___________________
Top
profilo
MessaggioInviato: 26/06/2010, 17:23 
Avatar utente

Iscritto il: 17/02/2009, 0:05
Messaggi: 8521
Località: Isola d'Elba - Arcipelago Toscano
Nome: Leonardo Forbicioni
Capoliveri (LI) - 23.VI.2010


Sceliphron caementarium1.JPG


_________________
"Stay hungry, stay foolish".
Steve Jobs, 2005
___________________
jjuniper8(at)gmail.com
Twitter: @weevil_forbix
cell. 339/5275910
___________________
Top
profilo
MessaggioInviato: 26/06/2010, 17:23 
Avatar utente

Iscritto il: 17/02/2009, 0:05
Messaggi: 8521
Località: Isola d'Elba - Arcipelago Toscano
Nome: Leonardo Forbicioni
Capoliveri (LI) - 23.VI.2010


Sceliphron caementarium3.JPG

Sceliphron caementarium2.JPG


_________________
"Stay hungry, stay foolish".
Steve Jobs, 2005
___________________
jjuniper8(at)gmail.com
Twitter: @weevil_forbix
cell. 339/5275910
___________________
Top
profilo
MessaggioInviato: 30/06/2010, 23:36 
Avatar utente

Iscritto il: 17/02/2009, 0:05
Messaggi: 8521
Località: Isola d'Elba - Arcipelago Toscano
Nome: Leonardo Forbicioni
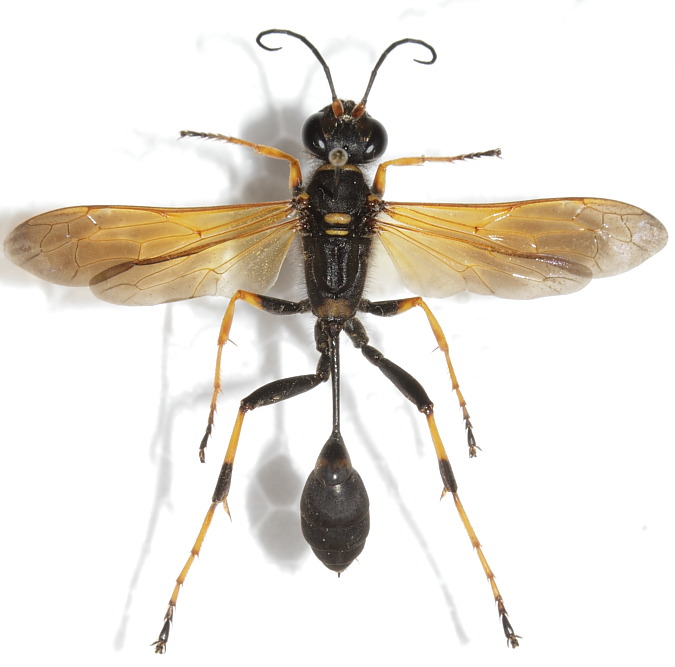
Allora, se le tegule non sono nere, se il torace non è completamente nero.......e se trocanteri e femori delle zampe posteriori sono completamente neri......più dodici articoli antennali.....se non sono cecato e ci ho capito almeno qualcosina, allora anche questa dovrebbe essere una femmina di Sceliphron caementarium.
Giusto!?

_________________
"Stay hungry, stay foolish".
Steve Jobs, 2005
___________________
jjuniper8(at)gmail.com
Twitter: @weevil_forbix
cell. 339/5275910
___________________


Top
profilo
MessaggioInviato: 01/07/2010, 11:32 
 

Iscritto il: 06/02/2009, 9:05
Messaggi: 2588
Località: Alghero
Nome: Pietro Niolu
Aggiungi che anche il propodeo é macchiato di giallo e non dovrebbero esserci dubbi.

_________________
Ciao
Pietro


Top
profilo
Visualizza ultimi messaggi:  Ordina per  
nuovo argomento
rispondi
Pagina 1 di 1 [ 5 messaggi ]

Tutti gli orari sono UTC + 1 ora [ ora legale ]


Chi c’è in linea

Visitano il forum: Nessuno e 3 ospiti


Non puoi aprire nuovi argomenti
Non puoi rispondere negli argomenti
Non puoi modificare i tuoi messaggi
Non puoi cancellare i tuoi messaggi
Non puoi inviare allegati

Cerca per:
Vai a:  
cron