Benvenuto Ospite

Forum Entomologi Italiani

www.entomologiitaliani.net/forum
 
Oggi è 27/01/2026, 20:52

Tutti gli orari sono UTC + 1 ora [ ora legale ]

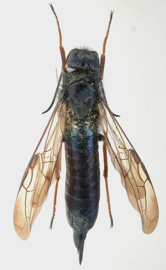
Sirex noctilio Fabricius, 1793 (cf.) - Siricidae

24.XI.2017 - ITALIA - Sardegna - CA, Sìnnai, loc. San Gregorio, R. Rattu leg.


nuovo argomento
rispondi
Pagina 1 di 1 [ 4 messaggi ]
Autore Messaggio
MessaggioInviato: 14/01/2018, 16:11 
Avatar utente

Iscritto il: 02/09/2009, 20:57
Messaggi: 8703
Località: Cagliari
Nome: Roberto Rattu
Dovrebbe trattarsi di Sirex noctilio. L'ho estratto dalla celletta mentre esaminavo un tronco morto di Pinus pinea. Misura 22 mm:

DSCN3397.JPG


DSCN3399.JPG



Top
profilo
MessaggioInviato: 14/01/2018, 18:29 
Avatar utente

Iscritto il: 05/02/2009, 17:31
Messaggi: 9527
Località: milano
Nome: maurizio pavesi
ciao roberto :)

potrebbe essere... e potrebbe non :?

a quanto pare la questione dei Sirex è più complicata di quel che si ritiene in genere :oooner: le specie nostrane non sono solo i "classici" juvencus e noctilio, è citata ad es. anche una sp. nordamericana introdotta, S. cyaneus; secondo altri autori tuttavia, S. cyaneus (riconoscibile per il pronoto estesamente biancastro) non risulterebbe essere mai stato introdotto in europa, e le citazioni europee andrebbero in realtà riferite a S. torvus, specie recentemente rivalutata

ho trovato questo lavoro, che spero possa servire anche per le specie nostre (fra l'altro, anche il materiale del museo a questo punto necessita di una revisione)

tieni però presente che non è del tutto escluso che i Sirex di sardegna possano essere qualcosa di diverso dalle specie già note, analogamente a quanto accaduto a suo tempo con l'Urocerus poi descritto come franzinii; fauna eur non cita Sirex purchessia di sardegna, il che ovviamente non vuol dire che non ci possono essere, ma potrebbe voler dire che materiale sardo in giro non ce n'è

e a questo proposito, dalla foto mi sembra di vedere che i femori, anche i post., sono scuri; puoi confermarmi se è così anche in visione ventrale?

_________________
*****************
Immagine maurizio


Top
profilo
MessaggioInviato: 14/01/2018, 18:53 
Avatar utente

Iscritto il: 02/09/2009, 20:57
Messaggi: 8703
Località: Cagliari
Nome: Roberto Rattu
gomphus ha scritto:
fauna eur non cita Sirex purchessia di sardegna, il che ovviamente non vuol dire che non ci possono essere, ma potrebbe voler dire che materiale sardo in giro non ce n'è

Ciao Maurizio, intanto grazie. Due Sirex sono citati di Sardegna in questo lavoro:

Pesarini, F., 2001: Symphyta collected in Sardinia and housed in the collection of the Istituto di Entomologia Agraria, University of Sassari (Hymenoptera Symphyta) / Imenotteri sinfiti raccolti in Sardegna e conservati nelle collezioni dellIstituto di Entomologia Agraria dellUniversita di Sassari (Hymenoptera Symphyta). Annali del Museo Civico di Storia Naturale di Ferrara, 4: 117-129.

:hi:


Top
profilo
MessaggioInviato: 14/01/2018, 19:12 
Avatar utente

Iscritto il: 05/02/2009, 17:31
Messaggi: 9527
Località: milano
Nome: maurizio pavesi
ok :) domani me lo procuro

p.s. dato che il lavoro è del 2001, quelli di fauna eur avrebbero dovuto fare in tempo ad accorgersene :to: ...

_________________
*****************
Immagine maurizio


Top
profilo
Visualizza ultimi messaggi:  Ordina per  
nuovo argomento
rispondi
Pagina 1 di 1 [ 4 messaggi ]

Tutti gli orari sono UTC + 1 ora [ ora legale ]


Chi c’è in linea

Visitano il forum: Nessuno e 1 ospite


Non puoi aprire nuovi argomenti
Non puoi rispondere negli argomenti
Non puoi modificare i tuoi messaggi
Non puoi cancellare i tuoi messaggi
Non puoi inviare allegati

Cerca per:
Vai a: