| Autore |
Messaggio |
|
Mikiphasmide
|
Inviato: 19/11/2020, 15:40 |
|
Iscritto il: 21/02/2011, 15:25 Messaggi: 3879 Località: Montecchio Emilia (RE)
Nome: Violi Michele
|
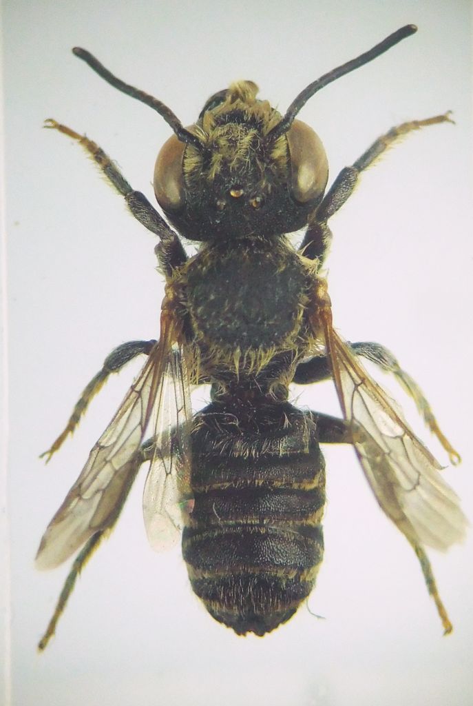
Preso con piattini gialli in zona incolta nel retro del campeggio, nella Corsica del nord. 9 mm.
_________________ Michele 
|
|
| Top |
|
 |
|
Andricus
|
Inviato: 19/11/2020, 15:56 |
|
Iscritto il: 01/07/2010, 22:26 Messaggi: 5665 Località: Viterbo
Nome: Marco Selis
|
Mi pare un maschio di M. (Eutricharaea), prova a seguire la chiave in questo lavoro 
|
|
| Top |
|
 |
|
Mikiphasmide
|
Inviato: 20/11/2020, 13:01 |
|
Iscritto il: 21/02/2011, 15:25 Messaggi: 3879 Località: Montecchio Emilia (RE)
Nome: Violi Michele
|
Sono in dubbio fra Xanthosarus ed Eutricharaea, perchè il mio esemplare mi sembra abbia caratteristiche intermedie. Le mandibole sono trifide, il T7 ha un minuscolo dentino (non saprei dire se il T7 sia visibile o meno, si vede solo in visione ventrale), l'S4 non ha un membrana ialina come negli esempi del lavoro, ma c'è un bordo più sottile e chiaro. I tarsomeri anteriori vanno dal nero del basitarso all'arancione degli ultimi tre, infine il T6 è glabro sul disco. Non può essere M. giraudi, unica Eutricharaea col disco glabro del T6 perche avrebbe il basitarso anteriore modificato con una proiezione sul tarsomero seguente, e non può essere M. lagopoda e M. maritima, uniche Xanthosarus con le mandibole trifide, perchè i maschi hanno i tarsi anteriori molto larghi. Boh! 
_________________ Michele 
|
|
| Top |
|
 |
|
Andricus
|
Inviato: 20/11/2020, 16:30 |
|
Iscritto il: 01/07/2010, 22:26 Messaggi: 5665 Località: Viterbo
Nome: Marco Selis
|
|
È indubbiamente del sottogenere Eutricharaea. I maschi di Xanthosarus hanno sempre i tarsi anteriori espansi e bianchi e il T6 completamente glabro, la chiave quando si riferisce a "disco del T6" intende tutta la parte convessa al di sopra della carena preapicale e non solo al centro. Per la specie non mi pronuncio oltre, le Eutricharaea italiane sono quasi una ventina e le chiavi ne comprendono solo una parte.
|
|
| Top |
|
 |
|
Mikiphasmide
|
Inviato: 20/11/2020, 17:11 |
|
Iscritto il: 21/02/2011, 15:25 Messaggi: 3879 Località: Montecchio Emilia (RE)
Nome: Violi Michele
|
Ok grazie Marco  Quindi sarà una specie di Eutricharaea un po' anomala per via del dentino appena accennato sul T7... però occhio che non è italiana, anche se molto vicina  Provo a vedere se col lavoro riesco ad arrivare al gruppo di specie per restringere il campo, anche se c'è scritto che questo sottogenere ha bisogno di una revisione. Proverò a scrivere anche all'autore.
_________________ Michele 
|
|
| Top |
|
 |
|
Pietro Niolu
|
Inviato: 20/11/2020, 20:35 |
|
Iscritto il: 06/02/2009, 9:05 Messaggi: 2588 Località: Alghero
Nome: Pietro Niolu
|
|
Trovo grande somiglianza con i miei esemplari di Megachile apicalis. Dovresti verificare il colore della superficie interna del femore anteriore a ls presenza delle piccole aree ellitiche traslucide, laterali: se limitate al 2° tergite o presenti sul 2° e 3° tergite. Se nello stesso sito hai catturato delle femmine postale pure, le femmine della M. apicali sono caratteristiche.
_________________ Ciao Pietro
|
|
| Top |
|
 |
|
Mikiphasmide
|
Inviato: 20/11/2020, 22:06 |
|
Iscritto il: 21/02/2011, 15:25 Messaggi: 3879 Località: Montecchio Emilia (RE)
Nome: Violi Michele
|
|
Grazie per l'intervento Pietro! I femori anteriori sono neri nella parte basale, con una macchia arancione nella metà distale. Nei tergiti 2 e 3 vedo delle macchie laterali opache per la fine punteggiatura, quella sul T3 più ridotta. Sono quelle di cui parli?
_________________ Michele 
|
|
| Top |
|
 |
|
Pietro Niolu
|
Inviato: 20/11/2020, 23:23 |
|
Iscritto il: 06/02/2009, 9:05 Messaggi: 2588 Località: Alghero
Nome: Pietro Niolu
|
|
Confermerei Megachile (Eutricharea) apicalis (Spinola, 1808).
Altri pareri?
_________________ Ciao Pietro
|
|
| Top |
|
 |
|
Mikiphasmide
|
Inviato: 21/11/2020, 18:34 |
|
Iscritto il: 21/02/2011, 15:25 Messaggi: 3879 Località: Montecchio Emilia (RE)
Nome: Violi Michele
|
|
Grazie Pietro! Nel frattempo mi ha risposto anche Christophe Praz, arrivando anche lui a M. (Eutricharaea) apicalis, col beneficio del dubbio di una determinazione da foto. Purtroppo ho solo questo maschio.
_________________ Michele 
|
|
| Top |
|
 |
|