Benvenuto Ospite

Forum Entomologi Italiani

www.entomologiitaliani.net/forum
 
Oggi è 30/11/2025, 22:56

Tutti gli orari sono UTC + 1 ora [ ora legale ]

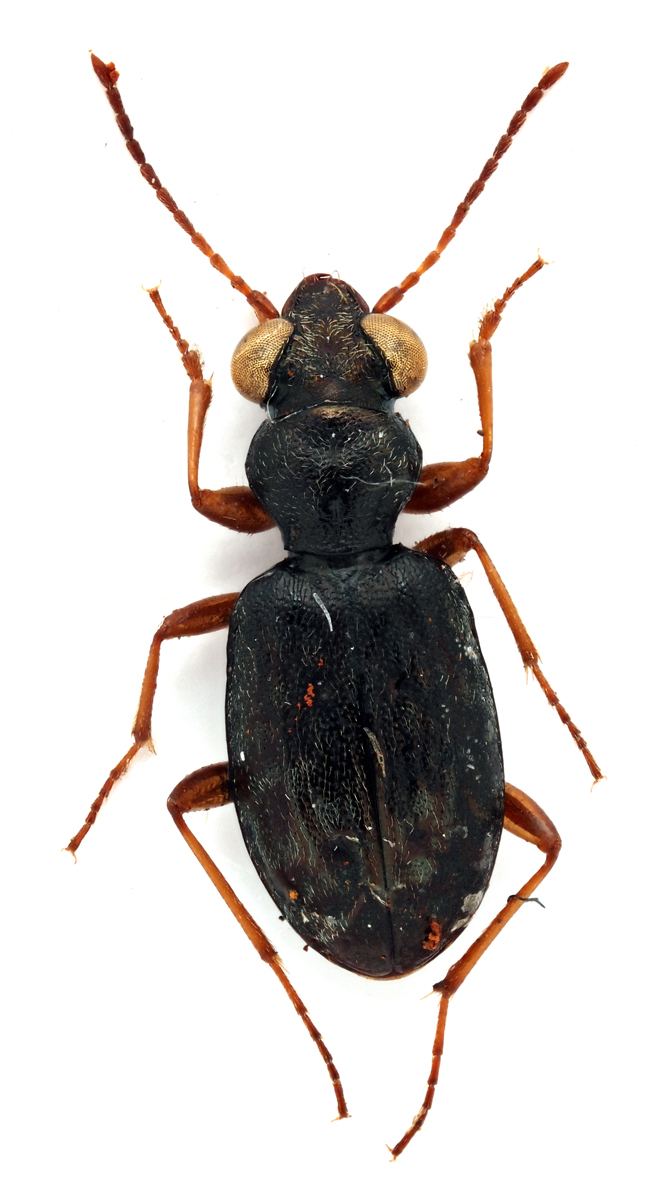
Asaphidion austriacum Schweiger, 1975 (cf.) - Carabidae

5.III.1973 - ITALIA - Friuli-Venezia Giulia - UD, Porto Nogaro


nuovo argomento
rispondi
Pagina 1 di 1 [ 6 messaggi ]
Autore Messaggio
MessaggioInviato: 19/11/2013, 21:18 
Avatar utente

Iscritto il: 10/05/2009, 15:30
Messaggi: 7182
Località: Ancona
Nome: Giacomo Giovagnoli
Fiume Corno, Porto Nogaro (Udine); 05.III.1973; lg. S. Piazzini.

Mi fermo ad Asaphidion...

[grazie zio per le foto!!! :birra: ]

Dimensioni: 4mm
Comb1170_14crc.jpg


Comb1171_47crc.jpg



Ciao :)

_________________
Immagine Giacomo


Top
profilo
 Oggetto del messaggio: Re: Asaphidion da ID... - Carabidae
MessaggioInviato: 19/11/2013, 22:51 
Avatar utente

Iscritto il: 05/02/2009, 17:31
Messaggi: 9527
Località: milano
Nome: maurizio pavesi
ciao giacomo

a me :oops: dà l'impressione di un Asaphidion austriacum Schweiger, 1975: elitre tozze e ovoidali, tipo flavipes-curtum, e pronoto anche sul disco con punteggiatura regolare, fine e superficiale (nel curtum ugualmente regolare, ma profonda e grossolana; nel flavipes regolare solo ai lati, sul disco estesamente confluente in rughe irregolari)

per togliere ogni dubbio, visto che è un maschio, si potrebbe ;) ...

_________________
*****************
Immagine maurizio


Top
profilo
MessaggioInviato: 21/11/2013, 23:20 
Avatar utente

Iscritto il: 05/02/2009, 17:31
Messaggi: 9527
Località: milano
Nome: maurizio pavesi
giacomooo :D ... servirebbe un estrazioncina ;)

se possibile :to: senza disperdere al vento l'edeago :lol1: ...

_________________
*****************
Immagine maurizio


Top
profilo
MessaggioInviato: 22/11/2013, 14:28 
Avatar utente

Iscritto il: 10/05/2009, 15:30
Messaggi: 7182
Località: Ancona
Nome: Giacomo Giovagnoli
Mau, devo proprio?
Non ci accontentiamo del cf.?

_________________
Immagine Giacomo


Top
profilo
MessaggioInviato: 22/11/2013, 15:46 
Avatar utente

Iscritto il: 05/02/2009, 17:31
Messaggi: 9527
Località: milano
Nome: maurizio pavesi
giacomo, potremmo anche... in attesa che qualcun altro, con più pratica con le "bestie" piccole, provveda ;) ...

nel frattempo, non è che riusciresti a (far) fare :to: una foto dettagliata del pronoto, dove si vedano bene superficie e punteggiatura? potrebbe bastare quella :) ...

_________________
*****************
Immagine maurizio


Top
profilo
MessaggioInviato: 29/10/2014, 23:14 
Avatar utente

Iscritto il: 10/05/2009, 15:30
Messaggi: 7182
Località: Ancona
Nome: Giacomo Giovagnoli
In ritardo...

Metto anche altre foto che sono venute meglio.

[grazie zio per le foto!!! :birra: ]

Comb1480a_12zF3cr.jpg


Comb1481a_32zF3cr.jpg


Comb1482_35zF3cr.jpg


Comb1482a_37zF3cr.jpg



Ciao :)

_________________
Immagine Giacomo


Top
profilo
Visualizza ultimi messaggi:  Ordina per  
nuovo argomento
rispondi
Pagina 1 di 1 [ 6 messaggi ]

Tutti gli orari sono UTC + 1 ora [ ora legale ]


Chi c’è in linea

Visitano il forum: Nessuno e 4 ospiti


Non puoi aprire nuovi argomenti
Non puoi rispondere negli argomenti
Non puoi modificare i tuoi messaggi
Non puoi cancellare i tuoi messaggi
Non puoi inviare allegati

Cerca per:
Vai a: