Benvenuto Ospite

Forum Entomologi Italiani

www.entomologiitaliani.net/forum
 
Oggi è 23/11/2025, 20:45

Tutti gli orari sono UTC + 1 ora [ ora legale ]

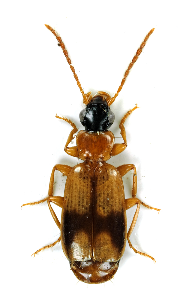
Philorhizus sigma (Rossi, 1790) - Carabidae

14.XI.2013 - POLONIA - EE, Puszcza Piska


nuovo argomento
rispondi
Pagina 1 di 1 [ 1 messaggio ]
Autore Messaggio
MessaggioInviato: 13/05/2023, 18:40 
Avatar utente

Iscritto il: 10/05/2009, 15:30
Messaggi: 7182
Località: Ancona
Nome: Giacomo Giovagnoli
Philorhizus sigma (Rossi, 1790)

Puszcza Piska (Polonia); 14.XI.2013; lg. T. Gazurek :lov1:

[grazie zio per le foto!!! :birra: ]

Dimensioni: 4mm
Comb3896rc-10L3.jpg



Ciao :)

_________________
Immagine Giacomo


Top
profilo
Visualizza ultimi messaggi:  Ordina per  
nuovo argomento
rispondi
Pagina 1 di 1 [ 1 messaggio ]

Tutti gli orari sono UTC + 1 ora [ ora legale ]


Chi c’è in linea

Visitano il forum: Google [Bot] e 9 ospiti


Non puoi aprire nuovi argomenti
Non puoi rispondere negli argomenti
Non puoi modificare i tuoi messaggi
Non puoi cancellare i tuoi messaggi
Non puoi inviare allegati

Cerca per:
Vai a: